Image de présentation du bien n° 293503

A propos de ce bien

Référence: 293503


Situés dans le village calme de Pry-lez-Walcourt, ces deux terrains bénéficient d’un environnement rural agréable, dans une rue peu fréquentée, avec vue dégagée sur la campagne.

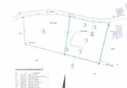
1) Terrain cadastré section B, partie du numéro 194P4P0000, pour une contenance approximative de 24 ares 82 centiares, situé en zone d'habitat à caractère rural.
2) Terrain cadastré section B, partie du numéro 194P4P0000, pour une contenance approximative de 24 ares 99 centiares, situé en zone d'habitat à caractère rural.

Les terrains ne sont pas raccordés à l’eau ni à l’électricité.

Belle superficie permettant différentes possibilités de construction (sous réserve des prescriptions urbanistiques en vigueur).
?? Situation idéale pour un projet sur mesure dans un cadre verdoyant, tout en restant à proximité des commodités du village.

Faire offre à partir de 150.000 € par terrain

Informations générales

  • Libre à partir duÀ l'acte
  • Type de bienTerrains

Informations sur le jardin et terrain

  • Terrain à front de rue
  • Superficie cadastrale2499m2

Informations sur les commodités et facilités

  • Bus à proximité
  • Gare/trains à proximité
  • Magasins à proximité
  • Écoles à proximité

Informations énergétiques

  • Branchement électrique possible

Informations financières

  • Revenu cadastral à définir

Informations urbanistiques

  • Destination urbanistique la plus récenteZone d’habitat à caractère rural

Données relatives à la protection du patrimoine

  • Inscription à la liste de sauvegarde ou de classement du patrimoine immobilierNon

Vente de gré à gré

Faire offre à partir de

150 000 €

Vendu par l'étude Vincent BAELDEN, Notaire

Vous avez une question sur ce bien ou souhaitez planifier une visite ? Contactez le notaire du vendeur.