Image de présentation du bien n° 288612

A propos de ce bien

Référence: 288612


P score: A

Informations générales

  • Libre à partir duÀ l'acte
  • Type de bienTerrains

Informations sur le jardin et terrain

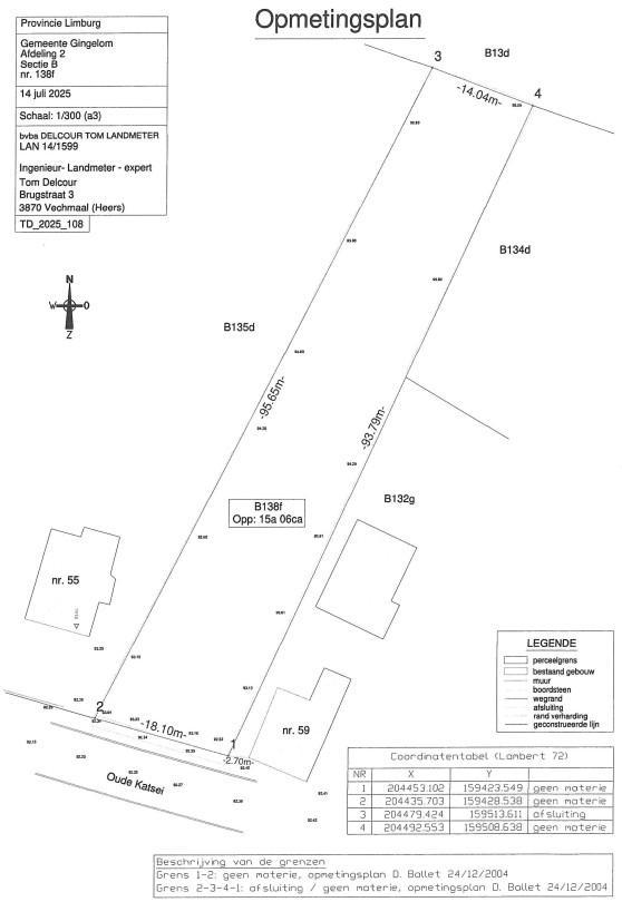
  • Superficie cadastrale1506m2

Informations financières

  • Revenu cadastral à définir

Informations urbanistiques

  • La destination urbanistique la plus récente de ce bien avec les dénominations utilisées dans le registre des plansdeels woongebied met landelijk karakter en deels agrarisch gebied (achterste deel)

Vente de gré à gré

Prix souhaité

158 000 €

Vendu par l'étude Notaris Nolens Christophe

Vous avez une question sur ce bien ou souhaitez planifier une visite ? Contactez le notaire du vendeur.