Image de présentation du bien n° 288213

A propos de ce bien

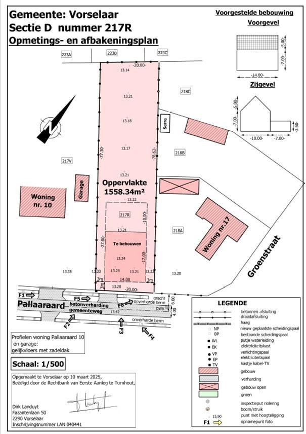
Référence: 288213


P score: A

Informations générales

  • Libre à partir duÀ l'acte
  • Type de bienTerrains

Informations supplémentaires

  • Type de constructionMaison

Informations sur le jardin et terrain

  • Superficie cadastrale1559m2

Informations sur les commodités et facilités

  • Bus à proximité
  • Magasins à proximité
  • Écoles à proximité

Informations financières

  • Revenu cadastral à définir

Informations urbanistiques

  • La destination urbanistique la plus récente de ce bien avec les dénominations utilisées dans le registre des planswoongebied (Randwijken)
  • Inondabilité de la zonePas d’application

Données relatives à la protection du patrimoine

  • Le bien est protégé ou repris dans un inventaire établiNon

Vente de gré à gré

Prix souhaité

305 000 €

Vendu par l'étude NOTADUX

Vous avez une question sur ce bien ou souhaitez planifier une visite ? Contactez le notaire du vendeur.