Image de présentation du bien n° 291214

A propos de ce bien

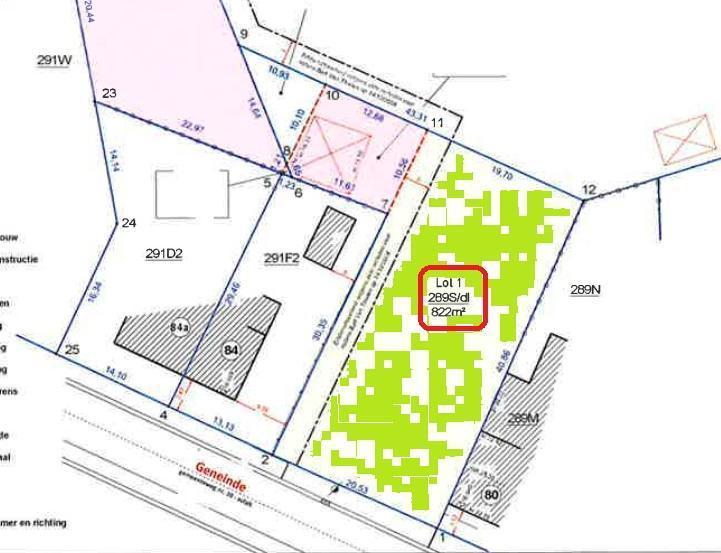
Référence: 291214


P score: B

Informations générales

  • Libre à partir duÀ l'acte
  • Type de bienTerrains

Informations sur le jardin et terrain

  • Superficie cadastrale822m2

Informations financières

  • Revenu cadastral à définir

Informations urbanistiques

  • Permis d'urbanisation ou permis de lotir
  • La destination urbanistique la plus récente de ce bien avec les dénominations utilisées dans le registre des planswoongebied met landelijk karakter

Vente de gré à gré

Prix souhaité

215 000 €

Vendu par l'étude Notaris Bieke Heyns

Vous avez une question sur ce bien ou souhaitez planifier une visite ? Contactez le notaire du vendeur.

Visite virtuelle

Découvrez le bien en visite virtuelle !

Visiter maintenant