Résumé de votre recherche

Terrains

Zeven-Bunderstraat, 3730 Sint-Huibrechts-Hern

Faire offre à partir de
64 000 €

Image de présentation du bien n° 249413
Vente de gré à gré
  • Référence: 249413
  • Het perceel gelegen te Hoeselt (St-Huibrechts-Hern), tussen de Zeven-Bunderstraat en de Hernerweg, ter plaatse genaamd 'Het Hemelrijk' (sectie C nummer 88A), is verpacht. De verkoop geschiedt ONDER DE OPSCHORTENDE VOORWAARDE VAN NIET-UITOEFENING VAN HET RECHT VAN VOORKOOP DOOR DE PACHTER. VERKOOP DOOR INSCHRIJVING ONDER GESLOTEN OMSLAG De inschrijving dient te gebeuren onder gesloten omslag, die aan het kantoor Geassocieerde Notarissen Rembert VAN BAEL-Cathérine GIELEN, Graanmarkt 1, 3700 Tongeren-Borgloon, tijdens de kantooruren, uiterlijk op 12 februari 2026, om 09.30 uur, bezorgd dient te worden tegen ontvangstbewijs; het kantoor is geopend op maandag, woensdag en donderdag van 09.00 u tot 12.30 u en van 13.30 u tot 18.00 u; op dinsdag van 09.00 u tot 12.30 u en van 13.30 u tot 18.30 u; op vrijdag van 09.00 u tot 13.00 u. Inschrijvingen dienen onvoorwaardelijk te zijn en uitgebracht te worden zonder opschortende voorwaarden, behoudens opschortende voorwaarde van niet-uitoefening van het voorkooprecht door de pachter. De inschrijvingen dienen te gebeuren tegen een vaste prijs voor het gehele goed. Op 12 februari 2026, om 11 uur, worden de gesloten omslagen met de inschrijvingen opengemaakt op het kantoor Geassocieerde Notarissen Rembert VAN BAEL-Cathérine GIELEN, in aanwezigheid van de vertegenwoordiger van de verkoper. Zodra de hoogste inschrijving bekend is, zal de notaris het recht van voorkoop aan de pachter aanbieden volgens de voorschriften van de pachtwet per aangetekende brief, uiterlijk binnen de acht dagen na de opening van de inschrijvingen. Als de pachter zijn recht van voorkoop niet uitoefent noch overdraagt volgens de voorschriften van de pachtwet, zal de notaris de hoogste inschrijver uitnodigen voor het verlijden van de verkoopakte.
  • Revenu Cadastral: 91 €
  • Libre à partir du: autre
  • Rembert VAN BAEL - Cathérine GIELEN, Geassocieerde Notarissen
  • Personne de contact: Ingrid MEURMANS
  • Tel: (012) 23.04.13
  • Email: ingrid.meurmans.104232@belnot.be

Terrains

Papenbergstraat, 3730 Sint-Huibrechts-Hern

Faire offre à partir de
24 000 €

Image de présentation du bien n° 249387
Vente de gré à gré
  • Référence: 249387
  • Het perceel gelegen te Hoeselt (St-Huibrechts-Hern) aan de Papenbergstraat, ter plaatse genaamd 'De Papen Berg' (sectie C nummer 26A), is verpacht. De verkoop geschiedt ONDER DE OPSCHORTENDE VOORWAARDE VAN NIET-UITOEFENING VAN HET RECHT VAN VOORKOOP DOOR DE PACHTER. VERKOOP DOOR INSCHRIJVING ONDER GESLOTEN OMSLAG De inschrijving dient te gebeuren onder gesloten omslag, die aan het kantoor Geassocieerde Notarissen Rembert VAN BAEL-Cathérine GIELEN, Graanmarkt 1, 3700 Tongeren-Borgloon, tijdens de kantooruren, uiterlijk op 12 februari 2026, om 09.30 uur, bezorgd dient te worden tegen ontvangstbewijs; het kantoor is geopend op maandag, woensdag en donderdag van 09.00 u tot 12.30 u en van 13.30 u tot 18.00 u; op dinsdag van 09.00 u tot 12.30 u en van 13.30 u tot 18.30 u; op vrijdag van 09.00 u tot 13.00 u. Inschrijvingen dienen onvoorwaardelijk te zijn en uitgebracht te worden zonder opschortende voorwaarden, behoudens opschortende voorwaarde van niet-uitoefening van het voorkooprecht door de pachter. De inschrijvingen dienen te gebeuren tegen een vaste prijs voor het gehele goed. Op 12 februari 2026, om 11 uur, worden de gesloten omslagen met de inschrijvingen opengemaakt op het kantoor Geassocieerde Notarissen Rembert VAN BAEL-Cathérine GIELEN, in aanwezigheid van de vertegenwoordiger van de verkoper. Zodra de hoogste inschrijving bekend is, zal de notaris het recht van voorkoop aan de pachter aanbieden volgens de voorschriften van de pachtwet per aangetekende brief, uiterlijk binnen de acht dagen na de opening van de inschrijvingen. Als de pachter zijn recht van voorkoop niet uitoefent noch overdraagt volgens de voorschriften van de pachtwet, zal de notaris de hoogste inschrijver uitnodigen voor het verlijden van de verkoopakte.
  • Revenu Cadastral: 34 €
  • Libre à partir du: autre
  • Rembert VAN BAEL - Cathérine GIELEN, Geassocieerde Notarissen
  • Personne de contact: Ingrid MEURMANS
  • Tel: (012) 23.04.13
  • Email: ingrid.meurmans.104232@belnot.be

Terrains

Wanveldstraat, 3730 Werm

Faire offre à partir de
23 000 €

Image de présentation du bien n° 249381
Vente de gré à gré
  • Référence: 249381
  • Het perceel gelegen te Hoeselt (Werm) nabij de Wanveldstraat, ter plaatse genaamd 'Het Tungers Veld' (sectie A nummer 420A), is verpacht. De verkoop geschiedt ONDER DE OPSCHORTENDE VOORWAARDE VAN NIET-UITOEFENING VAN HET RECHT VAN VOORKOOP DOOR DE PACHTER. VERKOOP DOOR INSCHRIJVING ONDER GESLOTEN OMSLAG De inschrijving dient te gebeuren onder gesloten omslag, die aan het kantoor Geassocieerde Notarissen Rembert VAN BAEL-Cathérine GIELEN, Graanmarkt 1, 3700 Tongeren-Borgloon, tijdens de kantooruren, uiterlijk op 12 februari 2026, om 09.30 uur, bezorgd dient te worden tegen ontvangstbewijs; het kantoor is geopend op maandag, woensdag en donderdag van 09.00 u tot 12.30 u en van 13.30 u tot 18.00 u; op dinsdag van 09.00 u tot 12.30 u en van 13.30 u tot 18.30 u; op vrijdag van 09.00 u tot 13.00 u. Inschrijvingen dienen onvoorwaardelijk te zijn en uitgebracht te worden zonder opschortende voorwaarden, behoudens opschortende voorwaarde van niet-uitoefening van het voorkooprecht door de pachter. De inschrijvingen dienen te gebeuren tegen een vaste prijs voor het gehele goed. Op 12 februari 2026, om 11 uur, worden de gesloten omslagen met de inschrijvingen opengemaakt op het kantoor Geassocieerde Notarissen Rembert VAN BAEL-Cathérine GIELEN, in aanwezigheid van de vertegenwoordiger van de verkoper. Zodra de hoogste inschrijving bekend is, zal de notaris het recht van voorkoop aan de pachter aanbieden volgens de voorschriften van de pachtwet per aangetekende brief, uiterlijk binnen de acht dagen na de opening van de inschrijvingen. Als de pachter zijn recht van voorkoop niet uitoefent noch overdraagt volgens de voorschriften van de pachtwet, zal de notaris de hoogste inschrijver uitnodigen voor het verlijden van de verkoopakte.
  • Revenu Cadastral: 32 €
  • Libre à partir du: autre
  • Rembert VAN BAEL - Cathérine GIELEN, Geassocieerde Notarissen
  • Personne de contact: Ingrid MEURMANS
  • Tel: (012) 23.04.13
  • Email: ingrid.meurmans.104232@belnot.be

Terrains

Tapstraat, 3700 Lauw

Faire offre à partir de
7 115 €

Image de présentation du bien n° 249329
Vente de gré à gré
  • Référence: 249329
  • Het perceel gelegen te Tongeren (Lauw) aan de Tapstraat, ter plaatse genaamd 'Onder de Sleyberg' (sectie A nummer 386A), is verpacht. De verkoop geschiedt ONDER DE OPSCHORTENDE VOORWAARDE VAN NIET-UITOEFENING VAN HET RECHT VAN VOORKOOP DOOR DE PACHTER. VERKOOP DOOR INSCHRIJVING ONDER GESLOTEN OMSLAG De inschrijving dient te gebeuren onder gesloten omslag, die aan het kantoor Geassocieerde Notarissen Rembert VAN BAEL-Cathérine GIELEN, Graanmarkt 1, 3700 Tongeren-Borgloon, tijdens de kantooruren, uiterlijk op 12 februari 2026, om 09.30 uur, bezorgd dient te worden tegen ontvangstbewijs; het kantoor is geopend op maandag, woensdag en donderdag van 09.00 u tot 12.30 u en van 13.30 u tot 18.00 u; op dinsdag van 09.00 u tot 12.30 u en van 13.30 u tot 18.30 u; op vrijdag van 09.00 u tot 13.00 u. Inschrijvingen dienen onvoorwaardelijk te zijn en uitgebracht te worden zonder opschortende voorwaarden, behoudens opschortende voorwaarde van niet-uitoefening van het voorkooprecht door de pachter. De inschrijvingen dienen te gebeuren tegen een vaste prijs voor het gehele goed. Op 12 februari 2026, om 11 uur, worden de gesloten omslagen met de inschrijvingen opengemaakt op het kantoor Geassocieerde Notarissen Rembert VAN BAEL-Cathérine GIELEN, in aanwezigheid van de vertegenwoordiger van de verkoper. Zodra de hoogste inschrijving bekend is, zal de notaris het recht van voorkoop aan de pachter aanbieden volgens de voorschriften van de pachtwet per aangetekende brief, uiterlijk binnen de acht dagen na de opening van de inschrijvingen. Als de pachter zijn recht van voorkoop niet uitoefent noch overdraagt volgens de voorschriften van de pachtwet, zal de notaris de hoogste inschrijver uitnodigen voor het verlijden van de verkoopakte.
  • Revenu Cadastral: 10 €
  • Libre à partir du: autre
  • Rembert VAN BAEL - Cathérine GIELEN, Geassocieerde Notarissen
  • Personne de contact: Ingrid MEURMANS
  • Tel: (012) 23.04.13
  • Email: ingrid.meurmans.104232@belnot.be

Terrains

Tapstraat, 3700 Lauw

Faire offre à partir de
9 415 €

Image de présentation du bien n° 249336
Vente de gré à gré
  • Référence: 249336
  • Het perceel gelegen te Tongeren (Lauw) aan de Tapstraat, ter plaatse genaamd 'Onder de Sleyberg' (sectie A nummer 388A), is verpacht. De verkoop geschiedt ONDER DE OPSCHORTENDE VOORWAARDE VAN NIET-UITOEFENING VAN HET RECHT VAN VOORKOOP DOOR DE PACHTER. VERKOOP DOOR INSCHRIJVING ONDER GESLOTEN OMSLAG De inschrijving dient te gebeuren onder gesloten omslag, die aan het kantoor Geassocieerde Notarissen Rembert VAN BAEL-Cathérine GIELEN, Graanmarkt 1, 3700 Tongeren-Borgloon, tijdens de kantooruren, uiterlijk op 12 februari 2026, om 09.30 uur, bezorgd dient te worden tegen ontvangstbewijs; het kantoor is geopend op maandag, woensdag en donderdag van 09.00 u tot 12.30 u en van 13.30 u tot 18.00 u; op dinsdag van 09.00 u tot 12.30 u en van 13.30 u tot 18.30 u; op vrijdag van 09.00 u tot 13.00 u. Inschrijvingen dienen onvoorwaardelijk te zijn en uitgebracht te worden zonder opschortende voorwaarden, behoudens opschortende voorwaarde van niet-uitoefening van het voorkooprecht door de pachter. De inschrijvingen dienen te gebeuren tegen een vaste prijs voor het gehele goed. Op 12 februari 2026, om 11 uur, worden de gesloten omslagen met de inschrijvingen opengemaakt op het kantoor Geassocieerde Notarissen Rembert VAN BAEL-Cathérine GIELEN, in aanwezigheid van de vertegenwoordiger van de verkoper. Zodra de hoogste inschrijving bekend is, zal de notaris het recht van voorkoop aan de pachter aanbieden volgens de voorschriften van de pachtwet per aangetekende brief, uiterlijk binnen de acht dagen na de opening van de inschrijvingen. Als de pachter zijn recht van voorkoop niet uitoefent noch overdraagt volgens de voorschriften van de pachtwet, zal de notaris de hoogste inschrijver uitnodigen voor het verlijden van de verkoopakte.
  • Revenu Cadastral: 13 €
  • Libre à partir du: autre
  • Rembert VAN BAEL - Cathérine GIELEN, Geassocieerde Notarissen
  • Personne de contact: Ingrid MEURMANS
  • Tel: (012) 23.04.13
  • Email: ingrid.meurmans.104232@belnot.be

Terrains

Tapstraat, 3700 Lauw

Faire offre à partir de
42 090 €

Image de présentation du bien n° 249340
Vente de gré à gré
  • Référence: 249340
  • Het perceel gelegen te Tongeren (Lauw) aan de Tapstraat, ter plaatse genaamd 'Onder de Sleyberg' (sectie A nummer 390A), is verpacht. De verkoop geschiedt ONDER DE OPSCHORTENDE VOORWAARDE VAN NIET-UITOEFENING VAN HET RECHT VAN VOORKOOP DOOR DE PACHTER. VERKOOP DOOR INSCHRIJVING ONDER GESLOTEN OMSLAG De inschrijving dient te gebeuren onder gesloten omslag, die aan het kantoor Geassocieerde Notarissen Rembert VAN BAEL-Cathérine GIELEN, Graanmarkt 1, 3700 Tongeren-Borgloon, tijdens de kantooruren, uiterlijk op 12 februari 2026, om 09.30 uur, bezorgd dient te worden tegen ontvangstbewijs; het kantoor is geopend op maandag, woensdag en donderdag van 09.00 u tot 12.30 u en van 13.30 u tot 18.00 u; op dinsdag van 09.00 u tot 12.30 u en van 13.30 u tot 18.30 u; op vrijdag van 09.00 u tot 13.00 u. Inschrijvingen dienen onvoorwaardelijk te zijn en uitgebracht te worden zonder opschortende voorwaarden, behoudens opschortende voorwaarde van niet-uitoefening van het voorkooprecht door de pachter. De inschrijvingen dienen te gebeuren tegen een vaste prijs voor het gehele goed. Op 12 februari 2026, om 11 uur, worden de gesloten omslagen met de inschrijvingen opengemaakt op het kantoor Geassocieerde Notarissen Rembert VAN BAEL-Cathérine GIELEN, in aanwezigheid van de vertegenwoordiger van de verkoper. Zodra de hoogste inschrijving bekend is, zal de notaris het recht van voorkoop aan de pachter aanbieden volgens de voorschriften van de pachtwet per aangetekende brief, uiterlijk binnen de acht dagen na de opening van de inschrijvingen. Als de pachter zijn recht van voorkoop niet uitoefent noch overdraagt volgens de voorschriften van de pachtwet, zal de notaris de hoogste inschrijver uitnodigen voor het verlijden van de verkoopakte.
  • Revenu Cadastral: 59 €
  • Libre à partir du: autre
  • Rembert VAN BAEL - Cathérine GIELEN, Geassocieerde Notarissen
  • Personne de contact: Ingrid MEURMANS
  • Tel: (012) 23.04.13
  • Email: ingrid.meurmans.104232@belnot.be

Appartements

23/3 Kleine Bergstraat, 3300 Tienen

Faire offre à partir de
185 000 €

Image de présentation du bien n° 290768
Vente publique en ligne
  • Référence: 290768
  • Le notaire Cedric HONOREZ, à Tirlemont, procédera à une vente publique en ligne via Biddit : VILLE DE TIRLEMONT, 3e division Situé dans un immeuble d'appartements, Kleine Bergstraat 23, selon le titre et le cadastre actuel section H numéro 755/H P0000 pour une superficie de soixante-six centiares. L'appartement situé au troisième étage, comprenant : I. En propriété privative et exclusive : Hall avec vestiaire et WC, un salon, une cuisine, un couloir avec escalier, deux chambres dont une avec terrasse, une salle de bains, et les caves à charbon et à provisions numérotées « 3 ». II. En copropriété et indivision forcée : trois cent six millièmes dans les parties communes générales, y compris le terrain. KI (non indexé) : 535,00 €. Comprend : - Hall, salon, cuisine, WC ; - 2 chambres, salle de bains ; - Cave avec espace de rangement. EPC - 421 kWh/m² - label énergétique E - numéro de certificat 20250728-0003654199-RES-1. Obligation de rénovation. NON sécurisé contre l'amiante TEST DE L'EAU Le bien a obtenu les scores suivants : • Score P (parcelle) A et score G (bâtiment) A. Aménagement du territoire : Zone résidentielle. G score: A P score: A
  • Nombre de chambres: 2
  • Nombre de salles de bains: 1
  • Vente en cours
  • Date de début: 13/01/2026 10:00
  • Date de fin: 21/01/2026 10:00
  • Pas d'enchère: 1000 €
  • Revenu Cadastral: 535 €
  • Libre à partir du: A l'acte
  • HONOREZ NOTARIS
  • Personne de contact: Jens DEPRE
  • Tel: 016804908
  • Email: jens@honorez.eu
  • Informations de visite
  • Les mardis : 16/12/2025 – 23/12/2025 – 30/12/2025 – 06/01/2026 – 20/01/2026, chaque fois de 17h15 à 18h15. Les samedis : 20/12/2025 – 27/12/2025 – 10/01/2026 – 17/01/2026, chaque fois de 11h30 à 12h30.

Maisons

152 Molderdijk, 2400 Mol

Faire offre à partir de
220 000 €

Image de présentation du bien n° 290770
Vente publique en ligne
  • Référence: 290770
  • G score: A P score: A
  • Nombre de chambres: 3
  • Nombre de salles de bains: 1
  • Vente en cours
  • Date de début: 26/01/2026 13:00
  • Date de fin: 03/02/2026 13:00
  • Pas d'enchère: 1000 €
  • Revenu Cadastral: 1229 €
  • Libre à partir du: A l'acte
  • Notacampina
  • Personne de contact: Inès Vertonghen
  • Tel: (014) 81.29.52
  • Email: info@notacampina.be
  • Informations de visite
  • na tel. afspr. met kantoor.

Maisons

295 Aarschotsesteenweg, 3300 Tienen

Faire offre à partir de
170 000 €

Image de présentation du bien n° 290771
Vente publique en ligne
  • Référence: 290771
  • Le notaire Cedric HONOREZ, à Tirlemont, procédera à une vente publique en ligne via Biddit : VILLE DE TIRLEMONT, 3e division Comprend : - Hall, salon, cuisine, salle de bains, toilettes ; - 2 chambres ; - Cave, grand jardin et garage. EPC - 613 kWh/m² - label énergétique F - numéro de certificat 20250728-00036454232-RES-1. Obligation de rénovation. Non sécurisé en matière d'amiante. TEST DE L'EAU Le bien a obtenu les scores suivants : score P (parcelle) A et score G (bâtiment) A. Aménagement du territoire : zone résidentielle. G score: A P score: A
  • Nombre de chambres: 2
  • Nombre de salles de bains: 1
  • Vente en cours
  • Date de début: 13/01/2026 11:00
  • Date de fin: 21/01/2026 11:00
  • Pas d'enchère: 1000 €
  • Revenu Cadastral: 545 €
  • Libre à partir du: A l'acte
  • HONOREZ NOTARIS
  • Personne de contact: Jens DEPRE
  • Tel: 016804908
  • Email: jens@honorez.eu
  • Informations de visite
  • Les mardis : 16/12/2025 – 23/12/2025 – 30/12/2025 – 06/01/2026 – 13/01/2026 – 20/01/2026, chaque fois de 18h30 à 19h30. Les samedis : 20/12/2025 – 27/12/2025 – 10/01/2026 – 17/01/2026, chaque fois de 12h45 à 13h45.

Maisons

29 Rue des Muguets, 4420 Saint-Nicolas

Faire offre à partir de
299 000 €

Image de présentation du bien n° 290748
Vente de gré à gré
  • Référence: 290748
  • Jolie maison bel-étage récemment rénovée, située sur les hauteurs de Saint-Nicolas et dans une rue calme en cul-de-sac, proche des commerces et facilités. Au rez-de-chaussée : un hall d'entrée, un garage (avec porte sectionnelle motorisée), une buanderie avec accès au jardin, et une chambre de 13 m². Au premier étage, un hall menant à : un séjour de 24 m², une cuisine équipée de 10 m², une chambre de 13 m² avec dressing, une salle de bains et une salle de douche avec WC. Sous-sol : une cave. Extérieurs : un joli petit jardin et deux terrasses. Equipements : chauffage central au gaz, châssis en PVC double vitrage avec volets électriques, citerne d'eau de pluie (raccordée au WC). PEB : D. Installation électrique conforme. Opportunité à ne pas rater - à découvrir rapidement ! Visites sur rendez-vous en appelant l'étude au 04/234.73.11 entre 9h et 16h30 et en dehors de ces heures, au 0471/23.38.58.
  • Nombre de chambres: 2
  • Superficie habitable: 159m2
  • Nombre de salles de bains: 1
  • Revenu Cadastral: 956 €
  • Libre à partir du: A l'acte
  • ADVENTILL, société notariale
  • Personne de contact: Florence LAMBERT
  • Tel: (04) 234.73.11
  • Email: immo@etudenotariale.be
  • Informations de visite
  • Sur rendez-vous au 04/234.73.11

Maisons

118 Rue de la Citadelle, 7712 Herseaux

Faire offre à partir de
540 000 €

Image de présentation du bien n° 290735
Vente de gré à gré
  • Référence: 290735
  • 0478 20 35 65 A VENDRE – MAISON avec garage, carport, 5 chambres, jardin, atelier, partie professionnelle, terrain, à proximité immédiate de toutes commodités Possibilités multiples d’exploitation, bien idéal pour une profession libérale. Adresse : HERSEAUX, Rue de la Citadelle, 118 - 5 chambres - Maison + Partie professionnelle (bureau) + Atelier + Terrain - Jardin - Garage + carport -Superficie du terrain : 3270 m² - PEB E Maison comprenant : -Sous-sol : cave -Rez-de-chaussée : hall d’entrée, salon (cheminée), salle à manger, cuisine équipée avec vue jardin, wc avec lave-mains, partie professionnelle (comprenant bureau, salle d’attente, porte accoustique, accès vers l’extérieur) -1er étage : hall de nuit, 5 chambres, wc -2ème étage : grand grenier aménageable -Extérieur : jardin, terrasse, parking, atelier, garage, carport Carrelage et plancher bois au rez-de-chaussée + parquet flottant à l’étage Chauffage central au gaz. Châssis aluminium double-vitrage (anti-effraction, thermique, accoustique, déperlant). Système d’alarme. Citerne 20000 litres avec groupe hydrophore. Puits. Screen + stores automatiques. Cheminée busée. Grille automatique. Superficie : 3270 m² – Superficie utile : 320 m² – RC : 2969 Euros Pour les possibilités de construction, s’adresser à l’Urbanisme de la Ville de MOUSCRON. Maison idéalement située, proche de toutes commodités (axes routiers et autoroutiers, transports en commun, nombreux commerces, écoles, église, …). Rédiger une offre pour ce bien : https://actalex.be/modele-doffre/ Prix et renseignements communiqués à titre informatif, sous réserve de confirmation
  • Nombre de chambres: 5
  • Superficie habitable: 320m2
  • Revenu Cadastral: 2969 €
  • Libre à partir du: A définir
  • ACTALEX NOTAIRES ASSOCIES - GEASSOCIEERDE NOTARISSEN
  • Personne de contact: Dorothée CALLEWAERT
  • Tel: (056) 56.20.40
  • Email: dorothee.callewaert.460040@belnot.be
  • Informations de visite
  • 0478/203565

Terrains

Wanveldstraat, 3730 Werm

Faire offre à partir de
21 000 €

Image de présentation du bien n° 249384
Vente de gré à gré
  • Référence: 249384
  • Het perceel gelegen te Hoeselt (Werm) aan de Wanveldstraat, ter plaatse genaamd 'Het Tungers Veld' (sectie A nummer 429A), is verpacht. De verkoop geschiedt ONDER DE OPSCHORTENDE VOORWAARDE VAN NIET-UITOEFENING VAN HET RECHT VAN VOORKOOP DOOR DE PACHTER. VERKOOP DOOR INSCHRIJVING ONDER GESLOTEN OMSLAG De inschrijving dient te gebeuren onder gesloten omslag, die aan het kantoor Geassocieerde Notarissen Rembert VAN BAEL-Cathérine GIELEN, Graanmarkt 1, 3700 Tongeren-Borgloon, tijdens de kantooruren, uiterlijk op 12 februari 2026, om 09.30 uur, bezorgd dient te worden tegen ontvangstbewijs; het kantoor is geopend op maandag, woensdag en donderdag van 09.00 u tot 12.30 u en van 13.30 u tot 18.00 u; op dinsdag van 09.00 u tot 12.30 u en van 13.30 u tot 18.30 u; op vrijdag van 09.00 u tot 13.00 u. Inschrijvingen dienen onvoorwaardelijk te zijn en uitgebracht te worden zonder opschortende voorwaarden, behoudens opschortende voorwaarde van niet-uitoefening van het voorkooprecht door de pachter. De inschrijvingen dienen te gebeuren tegen een vaste prijs voor het gehele goed. Op 12 februari 2026, om 11 uur, worden de gesloten omslagen met de inschrijvingen opengemaakt op het kantoor Geassocieerde Notarissen Rembert VAN BAEL-Cathérine GIELEN, in aanwezigheid van de vertegenwoordiger van de verkoper. Zodra de hoogste inschrijving bekend is, zal de notaris het recht van voorkoop aan de pachter aanbieden volgens de voorschriften van de pachtwet per aangetekende brief, uiterlijk binnen de acht dagen na de opening van de inschrijvingen. Als de pachter zijn recht van voorkoop niet uitoefent noch overdraagt volgens de voorschriften van de pachtwet, zal de notaris de hoogste inschrijver uitnodigen voor het verlijden van de verkoopakte.
  • Revenu Cadastral: 30 €
  • Libre à partir du: autre
  • Rembert VAN BAEL - Cathérine GIELEN, Geassocieerde Notarissen
  • Personne de contact: Ingrid MEURMANS
  • Tel: (012) 23.04.13
  • Email: ingrid.meurmans.104232@belnot.be

Garages

184 Rue Horloz, 4420 Saint-Nicolas

Faire offre à partir de
29 000 €

Image de présentation du bien n° 290751
Vente de gré à gré
  • Référence: 290751
  • Garage fermé de 54 m² situé en recul de la route (environ 10 mètres). Porte métallique (2,5 X 2,5 m). Accessible via une cour commune. Sol en béton. Profondeur : environ 6,5 mètres. Possibilité de stockage ou garage pour 3 voitures. Visites sur rendez-vous en appelant l'étude au 04/234.73.11 entre 9h et 16h30 et en dehors de ces heures, au 0471/23.38.58.
  • Revenu Cadastral: 69 €
  • Libre à partir du: A l'acte
  • ADVENTILL, société notariale
  • Personne de contact: Florence LAMBERT
  • Tel: (04) 234.73.11
  • Email: immo@etudenotariale.be
  • Informations de visite
  • Sur rendez-vous au 04/234.73.11

Maisons

30 rue Gréroire, 6040 Jumet

Faire offre à partir de
175 000 €

Image de présentation du bien n° 290688
Vente de gré à gré
  • Référence: 290688
  • ?? Charmante maison à parachever – Gros potentiel & environnement paisible ! ? Découvrez cette belle opportunité située dans un cadre calme et verdoyant ?? Une maison offrant un volume généreux, une belle luminosité et la possibilité d’aménager chaque espace selon vos envies ??. ?? Composition du bien Rez-de-chaussée : • Entrée menant à la pièce de séjour ?? • sur la droite, une annexe dont la hauteur a été surélevée sans autorisation urbanistique, avec accès extérieur. • Grand espace ouvert salon – salle à manger – pièce cuisine, traversant et très lumineux ?? Étage : • Deux beaux espaces modulables à aménager selon vos besoins : chambres, bureau, salle de jeux… ???? (Accès à prévoir) Niveau du jardin : • Plusieurs pièces dont chaufferie ??, accessibles par le terrain en pente à l’arrière. ?? Extérieurs Un grand jardin offrant : • Une serre ?? • Un pigeonnier ??? • Des bâtiments anciens pouvant servir de garage, atelier ou abris ?? • Un carport à l’arrière du bien ?? • Un terrain à front de rue potentiellement constructible ??? ?? Caractéristiques techniques • Toiture refaite (couverture + longerons) • Poutrains-claveaux à l’étage • Sols en béton • Châssis anciens • Chaudière au mazout ancienne ?? • Citerne d’eau de pluie avec pompe ?? ?? Travaux encore à réaliser ?? : • Plafonnage • Revêtements de sols • Isolation de toiture • Installation électrique ? • Chauffage • Sanitaires ?? … et finitions selon vos préférences ?
  • Nombre de chambres: 3
  • Superficie habitable: 143m2
  • Nombre de salles de bains: 1
  • Revenu Cadastral: 331 €
  • Libre à partir du: A l'acte
  • NOTAIRES GROSFILS
  • Personne de contact: Julien GOOSSENS
  • Tel: (071) 32.50.23
  • Email: julien.goossens.130153@belnot.be
  • Informations de visite
  • En contactant l'étude des Notaires Astrid & Bernard Grosfils, à Lodelinsart au 071/20.15.54

Terrains

Tapstraat, 3700 Lauw

Faire offre à partir de
24 955 €

Image de présentation du bien n° 249335
Vente de gré à gré
  • Référence: 249335
  • Het perceel gelegen te Tongeren (Lauw) nabij de Tapstraat, ter plaatse genaamd 'Onder de Sleyberg' (sectie A nummer 387A), is verpacht. De verkoop geschiedt ONDER DE OPSCHORTENDE VOORWAARDE VAN NIET-UITOEFENING VAN HET RECHT VAN VOORKOOP DOOR DE PACHTER. VERKOOP DOOR INSCHRIJVING ONDER GESLOTEN OMSLAG De inschrijving dient te gebeuren onder gesloten omslag, die aan het kantoor Geassocieerde Notarissen Rembert VAN BAEL-Cathérine GIELEN, Graanmarkt 1, 3700 Tongeren-Borgloon, tijdens de kantooruren, uiterlijk op 12 februari 2026, om 09.30 uur, bezorgd dient te worden tegen ontvangstbewijs; het kantoor is geopend op maandag, woensdag en donderdag van 09.00 u tot 12.30 u en van 13.30 u tot 18.00 u; op dinsdag van 09.00 u tot 12.30 u en van 13.30 u tot 18.30 u; op vrijdag van 09.00 u tot 13.00 u. Inschrijvingen dienen onvoorwaardelijk te zijn en uitgebracht te worden zonder opschortende voorwaarden, behoudens opschortende voorwaarde van niet-uitoefening van het voorkooprecht door de pachter. De inschrijvingen dienen te gebeuren tegen een vaste prijs voor het gehele goed. Op 12 februari 2026, om 11 uur, worden de gesloten omslagen met de inschrijvingen opengemaakt op het kantoor Geassocieerde Notarissen Rembert VAN BAEL-Cathérine GIELEN, in aanwezigheid van de vertegenwoordiger van de verkoper. Zodra de hoogste inschrijving bekend is, zal de notaris het recht van voorkoop aan de pachter aanbieden volgens de voorschriften van de pachtwet per aangetekende brief, uiterlijk binnen de acht dagen na de opening van de inschrijvingen. Als de pachter zijn recht van voorkoop niet uitoefent noch overdraagt volgens de voorschriften van de pachtwet, zal de notaris de hoogste inschrijver uitnodigen voor het verlijden van de verkoopakte.
  • Revenu Cadastral: 35 €
  • Libre à partir du: autre
  • Rembert VAN BAEL - Cathérine GIELEN, Geassocieerde Notarissen
  • Personne de contact: Ingrid MEURMANS
  • Tel: (012) 23.04.13
  • Email: ingrid.meurmans.104232@belnot.be

Terrains

Wijngaerds Bosstraat, 3730 Hoeselt

Faire offre à partir de
17 000 €

Image de présentation du bien n° 249476
Vente de gré à gré
  • Référence: 249476
  • Het perceel gelegen te Hoeselt aan de Wijngaerds Bosstraat, ter plaatse genaamd 'Het Bosch Veldje' (sectie M nummer 716A), is verpacht. De verkoop geschiedt ONDER DE OPSCHORTENDE VOORWAARDE VAN NIET-UITOEFENING VAN HET RECHT VAN VOORKOOP DOOR DE PACHTER. VERKOOP DOOR INSCHRIJVING ONDER GESLOTEN OMSLAG De inschrijving dient te gebeuren onder gesloten omslag, die aan het kantoor Geassocieerde Notarissen Rembert VAN BAEL-Cathérine GIELEN, Graanmarkt 1, 3700 Tongeren-Borgloon, tijdens de kantooruren, uiterlijk op 12 februari 2026, om 09.30 uur, bezorgd dient te worden tegen ontvangstbewijs; het kantoor is geopend op maandag, woensdag en donderdag van 09.00 u tot 12.30 u en van 13.30 u tot 18.00 u; op dinsdag van 09.00 u tot 12.30 u en van 13.30 u tot 18.30 u; op vrijdag van 09.00 u tot 13.00 u. Inschrijvingen dienen onvoorwaardelijk te zijn en uitgebracht te worden zonder opschortende voorwaarden, behoudens opschortende voorwaarde van niet-uitoefening van het voorkooprecht door de pachter. De inschrijvingen dienen te gebeuren tegen een vaste prijs voor het gehele goed. Op 12 februari 2026, om 11 uur, worden de gesloten omslagen met de inschrijvingen opengemaakt op het kantoor Geassocieerde Notarissen Rembert VAN BAEL-Cathérine GIELEN, in aanwezigheid van de vertegenwoordiger van de verkoper. Zodra de hoogste inschrijving bekend is, zal de notaris het recht van voorkoop aan de pachter aanbieden volgens de voorschriften van de pachtwet per aangetekende brief, uiterlijk binnen de acht dagen na de opening van de inschrijvingen. Als de pachter zijn recht van voorkoop niet uitoefent noch overdraagt volgens de voorschriften van de pachtwet, zal de notaris de hoogste inschrijver uitnodigen voor het verlijden van de verkoopakte.
  • Revenu Cadastral: 22 €
  • Libre à partir du: autre
  • Rembert VAN BAEL - Cathérine GIELEN, Geassocieerde Notarissen
  • Personne de contact: Ingrid MEURMANS
  • Tel: (012) 23.04.13
  • Email: ingrid.meurmans.104232@belnot.be

Terrains

Tapstraat, 3700 Lauw

Faire offre à partir de
6 210 €

Image de présentation du bien n° 249295
Vente de gré à gré
  • Référence: 249295
  • Het perceel gelegen te Tongeren (Lauw) aan de Tapstraat, ter plaatse genaamd 'Onder de Sleyberg' (sectie A nummer 385A), is verpacht. De verkoop geschiedt ONDER DE OPSCHORTENDE VOORWAARDE VAN NIET-UITOEFENING VAN HET RECHT VAN VOORKOOP DOOR DE PACHTER. VERKOOP DOOR INSCHRIJVING ONDER GESLOTEN OMSLAG De inschrijving dient te gebeuren onder gesloten omslag, die aan het kantoor Geassocieerde Notarissen Rembert VAN BAEL-Cathérine GIELEN, Graanmarkt 1, 3700 Tongeren-Borgloon, tijdens de kantooruren, uiterlijk op 12 februari 2026, om 09.30 uur, bezorgd dient te worden tegen ontvangstbewijs; het kantoor is geopend op maandag, woensdag en donderdag van 09.00 u tot 12.30 u en van 13.30 u tot 18.00 u; op dinsdag van 09.00 u tot 12.30 u en van 13.30 u tot 18.30 u; op vrijdag van 09.00 u tot 13.00 u. Inschrijvingen dienen onvoorwaardelijk te zijn en uitgebracht te worden zonder opschortende voorwaarden, behoudens opschortende voorwaarde van niet-uitoefening van het voorkooprecht door de pachter. De inschrijvingen dienen te gebeuren tegen een vaste prijs voor het gehele goed. Op 12 februari 2026, om 11 uur, worden de gesloten omslagen met de inschrijvingen opengemaakt op het kantoor Geassocieerde Notarissen Rembert VAN BAEL-Cathérine GIELEN, in aanwezigheid van de vertegenwoordiger van de verkoper. Zodra de hoogste inschrijving bekend is, zal de notaris het recht van voorkoop aan de pachter aanbieden volgens de voorschriften van de pachtwet per aangetekende brief, uiterlijk binnen de acht dagen na de opening van de inschrijvingen. Als de pachter zijn recht van voorkoop niet uitoefent noch overdraagt volgens de voorschriften van de pachtwet, zal de notaris de hoogste inschrijver uitnodigen voor het verlijden van de verkoopakte.
  • Revenu Cadastral: 8 €
  • Libre à partir du: autre
  • Rembert VAN BAEL - Cathérine GIELEN, Geassocieerde Notarissen
  • Personne de contact: Ingrid MEURMANS
  • Tel: (012) 23.04.13
  • Email: ingrid.meurmans.104232@belnot.be

Terrains

19 Geburestraat, 3201 Langdorp

Faire offre à partir de
280 000 €

Image de présentation du bien n° 290766
Vente de gré à gré
  • Référence: 290766
  • Terrain constructible spacieux de 8 ares, idéal pour une maison individuelle, situé dans un quartier calme et verdoyant de Langdorp. Référence cadastrale : 0111ZP0000. Ce terrain bénéficie d'un large talus, d'une orientation favorable et d'un accès facile à Aarschot, aux écoles et aux commerces. Emplacement idéal pour ceux qui recherchent la tranquillité à proximité de toutes les commodités. P score: A
  • Libre à partir du: A l'acte
  • GEERINCKX & CALLEWAERT, geassocieerde notarissen
  • Personne de contact: Hanne GHYS
  • Tel: (016) 56.63.61
  • Email: hanne.ghys@notarisgeerinckx.be

Terrains

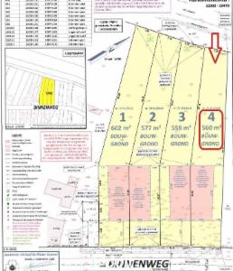
Binnenweg, 2570 Duffel

Faire offre à partir de
160 000 €

Image de présentation du bien n° 290767
Vente publique en ligne
  • Référence: 290767
  • P score: D
  • Vente en cours
  • Date de début: 19/01/2026 12:00
  • Date de fin: 27/01/2026 12:00
  • Pas d'enchère: 1000 €
  • Libre à partir du: A l'acte
  • Coussement & Liekens notarissen
  • Personne de contact: Jeroen DE JONGE
  • Tel: (015) 31.12.11
  • Email: jeroen@clnotarissen.be
  • Informations de visite
  • vrij te bezichtigen vanaf de openbare weg

Maisons

83 Rue des Bruyères, 7034 Obourg

Faire offre à partir de
60 000 €

Image de présentation du bien n° 290669
Vente de gré à gré
  • Référence: 290669
  • Maison avec terrasse, annexe et jardin sur un terrain de 3 a 05 ca. Il se compose de deux étages et d'une cave. Au rez-de-chaussée : un grand living dessert cuisine, salle de douche et une chambre (aménagée en lieu et place du garage). Au premier étage : deux chambres. A l'arrière de la maison: une terrasse et une annexe. Un passage latéral permet d'accéder à l'arrière de la maison. L'ensemble est à rénover entièrement.
  • Nombre de chambres: 3
  • Revenu Cadastral: 312 €
  • Libre à partir du: A l'acte
  • Tiphène FREDERIC, Notaire
  • Personne de contact: Tiphene FRÉDÉRIC
  • Tel: (065) 11.10.10
  • Email: tiphene.frederic@belnot.be
  • Informations de visite
  • S'adresser en l'étude

Maisons

12 Rue des Eglantiers, 4920 Sougné-Remouchamps

Faire offre à partir de
250 000 €

Image de présentation du bien n° 290499
Vente de gré à gré
  • Référence: 290499
  • Belle maison à Sougné-Remouchamps, composée d'un salon/salle à manger, d'une cuisine équipée, d'une arrière cuisine / buanderie, d'une chambre, d'un bureau, d'une salle de bains, d'un WC. Chauffage central au mazout, Cassette à bois. Panneaux photovoltaiques. Deux caves. Grand terrain. Belle vue. Pas de raccordement à l'eau de ville. Visites sur rendez-vous préalables avec l'étude au 04/384.48.41
  • Nombre de chambres: 1
  • Revenu Cadastral: 622 €
  • Libre à partir du: A l'acte
  • Etude SCAVEE, MAGHE ET LENELLE
  • Personne de contact: Jérémy COLARD
  • Tel: (04) 369.15.19
  • Email: jeremy.colard.357711@belnot.be
  • Informations de visite
  • Visites sur rendez-vous préalables avec l'étude au 04/384.48.41

Maisons

98 Groenstraat, 3730 Hoeselt

Faire offre à partir de
140 000 €

Image de présentation du bien n° 290725
Vente publique en ligne
  • Référence: 290725
  • G score: A P score: A
  • Nombre de chambres: 4
  • Nombre de salles de bains: 1
  • Vente en cours
  • Date de début: 02/02/2026 11:00
  • Date de fin: 10/02/2026 11:00
  • Pas d'enchère: 1000 €
  • Revenu Cadastral: 493 €
  • Libre à partir du: A l'acte
  • VREVEN, Simon
  • Personne de contact: Inge JEURIS
  • Tel: (089) 41.12.11
  • Email: simon.vreven@belnot.be
  • Informations de visite
  • Na afspraak met het kantoor van notaris Simon Vreven te Bilzen-Hoeselt, waar de sleutels zich bevinden

Terrains

Blaasveldstraat, 2830 Tisselt

Faire offre à partir de
83 000 €

Image de présentation du bien n° 290721
Vente publique en ligne
  • Référence: 290721
  • Parcelle de terrain agricole d'une superficie de 2 ha 06 a 90 ca. Cette parcelle est libre de tout bail. Elle est située dans une zone agricole, ce qui permet de bénéficier d'un taux réduit de 10 % sur les droits d'enregistrement. Non bailée. Droit de préemption De Vlaamse Waterweg. Située dans une zone inondable (score de parcelle D). Sortie vers la Blaasveldstraat. P score: D
  • Vente en cours
  • Date de début: 05/01/2026 11:00
  • Date de fin: 13/01/2026 11:00
  • Pas d'enchère: 1000 €
  • Revenu Cadastral: 66 €
  • Libre à partir du: A l'acte
  • Van de Poel & Pinoy
  • Personne de contact: Anne MICHIELS
  • Tel: (015) 22.83.36
  • Email: anne@notarisvandepoel.be
  • Informations de visite
  • Libre visite

Terrains

Blaasveldstraat, 2830 Tisselt

Faire offre à partir de
90 000 €

Image de présentation du bien n° 290722
Vente publique en ligne
  • Référence: 290722
  • Parcelle de terrain agricole d'une superficie de 2 ha 24 a 45 ca. Cette parcelle est libre de tout bail. Elle est située dans une zone agricole, ce qui permet de bénéficier d'un taux réduit de 10 % sur les droits d'enregistrement. Non bailée. Droit de préemption De Vlaamse Waterweg. Située dans une zone inondable (score de parcelle D). Sortie vers la Blaasveldstraat. P score: D
  • Vente en cours
  • Date de début: 05/01/2026 12:00
  • Date de fin: 13/01/2026 12:00
  • Pas d'enchère: 1000 €
  • Revenu Cadastral: 97 €
  • Libre à partir du: A l'acte
  • Van de Poel & Pinoy
  • Personne de contact: Anne MICHIELS
  • Tel: (015) 22.83.36
  • Email: anne@notarisvandepoel.be
  • Informations de visite
  • Libre visite

Terrains

Blaasveldstraat, 2830 Tisselt

Faire offre à partir de
19 000 €

Image de présentation du bien n° 290726
Vente publique en ligne
  • Référence: 290726
  • Parcelle de terrain agricole d'une superficie de 48a 65ca. Cette parcelle est libre de tout bail. Elle est en partie située dans une zone d'extension résidentielle, ce qui signifie qu'un taux réduit de 10 % de droits d'enregistrement n'est PAS possible. Non louée. Droit de préemption De Vlaamse Waterweg. Située dans une zone inondable (score de parcelle D). Sortie vers la Blaasveldstraat. P score: D
  • Vente en cours
  • Date de début: 05/01/2026 14:00
  • Date de fin: 13/01/2026 14:00
  • Pas d'enchère: 1000 €
  • Revenu Cadastral: 21 €
  • Libre à partir du: A l'acte
  • Van de Poel & Pinoy
  • Personne de contact: Anne MICHIELS
  • Tel: (015) 22.83.36
  • Email: anne@notarisvandepoel.be
  • Informations de visite
  • Libre visite

Appartements

5 Brugsesteenweg, 8800 Roeselare

Faire offre à partir de
105 000 €

Image de présentation du bien n° 290733
Vente publique en ligne
  • Référence: 290733
  • Appartement situé au centre-ville de Roulers, entièrement rénové et prêt à emménager. Il dispose d'une cuisine ouverte avec coin salon, de 2 chambres, d'une salle de bains, de toilettes séparées, d'un débarras et d'un local technique. Le balcon offre un espace extérieur supplémentaire. Situation idéale à proximité des commerces, des restaurants et des transports en commun. L'acte constitutif, les informations syndicales et le dossier post-intervention peuvent être consultés au cabinet du notaire. G score: B P score: B
  • Nombre de chambres: 2
  • Nombre de salles de bains: 1
  • Vente en cours
  • Date de début: 19/01/2026 11:00
  • Date de fin: 27/01/2026 11:00
  • Pas d'enchère: 1000 €
  • Revenu Cadastral: 922 €
  • Libre à partir du: A l'acte
  • NOTARIAAT SOETE & PYCK
  • Personne de contact: Kantoor Not. Soete & Pyck
  • Tel: (051) 24.01.36
  • Email: info@notariaatsp.be
  • Informations de visite
  • Le bien peut être visité par les acheteurs potentiels après avoir contacté par téléphone le notaire Soete & Pyck à Roulers.

Maisons

168 Grand'Route, 4347 Voroux-Goreux

Faire offre à partir de
50 000 €

Image de présentation du bien n° 290647
Vente publique en ligne
  • Référence: 290647
  • Commune de Fexhe le Haut Clocher : 3ème division : Voroux Goreux, Grand Route n°168 Une maison à (rénover) avec garage et jardin, idéale pour entrepreneur ou investisseur. Volume principal : 5x8m + volume arrière à démolir, cave, Un garage accolé en maçonnerie (largeur environ 2,4 x 4,5), Comprenant : rez : une pièce en façade (4 x 3,5) escalier central type meunier – une pièce arrière de même dimension – Dans un volume arrière de construction plus fragile – réserve et point d’eau Étage : 2 chambres mansardés Pas de combles Le bien semble relié à l’égout. A rénover complètement : électricité – sanitaires – isolation – vérification toiture – installation chauffage et plomberie plafonnage – sols – démolition et reconstruction des volumes arrière. RC 267 euros Jardin arrière – passage latéral à pied depuis le jardin vers la Grand route. Superficie: 655m2 - largeur à rue de la parcelle : 9mètres. Mise à prix : 50.000 Informations et visites en l'Etude du notaire CRISMER: 04/250.10.56.
  • Nombre de chambres: 2
  • Vente en cours
  • Date de début: 13/01/2026 14:00
  • Date de fin: 21/01/2026 14:00
  • Pas d'enchère: 1000 €
  • Revenu Cadastral: 267 €
  • Libre à partir du: Immédiatement
  • CRISMER & de SAUVAGE, Notaires Associés
  • Personne de contact: Ilona BARCARO
  • Tel: (04) 250.10.56
  • Email: ilona.barcaro.130807@belnot.be

Maisons

47 Heirbrugstraat, 9160 Lokeren

Faire offre à partir de
200 000 €

Image de présentation du bien n° 290738
Vente publique en ligne
  • Référence: 290738
  • G score: D P score: D
  • Nombre de chambres: 4
  • Superficie habitable: 147m2
  • Nombre de salles de bains: 1
  • Vente en cours
  • Date de début: 19/01/2026 10:00
  • Date de fin: 27/01/2026 10:00
  • Pas d'enchère: 1000 €
  • Revenu Cadastral: 658 €
  • Libre à partir du: A l'acte
  • Notaris Bart Hutsebaut
  • Personne de contact: Kantoor Not. HUTSEBAUT Bart
  • Tel: (09) 348.23.67
  • Email: bart.hutsebaut@belnot.be
  • Informations de visite
  • OP VASTE BEZOEKDAGEN: zaterdagen 10 januari, 17 januari en 24 januari 2026 telkens van 13u-14u, ZONDER voorafgaandelijke inschrijving en/of aanmelding

Terrains

Hameau de Neuville, 4970 Francorchamps

Faire offre à partir de
155 000 €

Image de présentation du bien n° 290702
Vente de gré à gré
  • Référence: 290702
  • L'Etude des Notaires GUYOT & CREMER a le plaisir de vous proposer à la vente un superbe ensemble immobilier situé à Neuville (Francorchamps). Idéalement implantés au cœur du Hameau de Neuville, ces terrains bénéficient d'une situation privilégiée dans une zone en pleine expansion. Le cadre est à la fois paisible et accessible, avec des parcelles légèrement inclinées qui offrent un véritable potentiel de développement. Ces terrains sont parfaits pour y bâtir votre future maison tout en y associant une prairie, idéale pour une exploitation agricole ou tout autre projet ! DESCRIPTION: 1)Terrain à bâtir de 1500 m² entièrement situé en zone d'habitat à caractère rural, portant la référence cadastrale suivante : Section E 388D. RC = 16 € 2)Terrain à usage de prairie de 6339 m² situé également en zone d'habitat à caractère rural, portant la référence cadastrale suivante : Section E 388E. RC = 19 € Cette parcelle est bordée d'un ruisseau non navigable et non classé, ajoutant un charme naturel à la propriété. L'ensemble est proposé* au prix attractif de 155.000 €. Le prix est une proposition qui ne lie pas le vendeur. Pour toute information complémentaire ou pris de rendez-vous, contactez l'Etude GUYOT & CREMER au 087/77 10 72 !
  • Revenu Cadastral: 35 €
  • Libre à partir du: A l'acte
  • GUYOT & CREMER, notaires associés
  • Personne de contact: Aline SCHMITZ
  • Tel: (087) 77.10.72
  • Email: aline.schmitz.460044@belnot.be

Maisons

54 Sinaaidorp, 9112 Sint-Niklaas

Faire offre à partir de
295 000 €

Image de présentation du bien n° 290724
Vente publique en ligne
  • Référence: 290724
  • G score: A P score: A
  • Nombre de chambres: 1
  • Superficie habitable: 116m2
  • Nombre de salles de bains: 1
  • Vente en cours
  • Date de début: 19/01/2026 11:00
  • Date de fin: 27/01/2026 11:00
  • Pas d'enchère: 1000 €
  • Revenu Cadastral: 622 €
  • Libre à partir du: A l'acte
  • Notaris Bart Hutsebaut
  • Personne de contact: Kantoor Not. HUTSEBAUT Bart
  • Tel: (09) 348.23.67
  • Email: bart.hutsebaut@belnot.be
  • Informations de visite
  • BEZICHTIGING OP VASTE BEZOEKDAGEN : zaterdagen 10 januari 2026, 17 januari 2026 en 24 januari 2026 telkens van 14u30-15u30, ZONDER voorafgaandelijke inschrijving en/of aanmelding.

Maisons

20 Rue de Liège, 4130 Esneux

Faire offre à partir de
265 000 €

Image de présentation du bien n° 290742
Vente de gré à gré
  • Référence: 290742
  • REPORTAGE PHOTOS EN COURS Esneux, 1ère division, Esneux, une maison d’habitation 2 chambres avec garages et jardin. Rue de Liège 20 à Esneux Section C n° 0172YP0000 743€ - 527 m² Année de construction : 1930 Installation électrique conforme PEB G COMPOSITION : • Bel étage : hall d’entrée carrelé, cuisine équipée à remettre au goût du jour, salle de bains avec wc, douche, lavabo et coin buanderie donnant accès au jardin, salle à manger, vaste living de +-40 m², véranda carrelée avec accès indépendant, salle de repassage carrelée avec accès indépendant vers le jardin arrière et 1ère chambre. • Etage mansardé sur plancher: salle de bains avec baignoire, douche et wc, 2e chambre mansarde pour du rangement. • Sous-sol : cave avec chaudière. • Extérieur : petit jardin avant, terrasse avant sur le garage, jardin arrière, abri de jardin à l’arrière et deux garages à rue communicantes entre eux à l’intérieur avec deux portes basculantes différentes. EQUIPEMENTS DU BIEN: -citerne à mazout dans un des deux garages -chauffage centrale au mazout/Viessman/en bon état, -thermostat d’ambiance, -vannes thermostatiques, -eau chaude par la chaudière, -toitures en pente/tuiles, -volets, -châssis PVC/double vitrage.
  • Nombre de chambres: 2
  • Revenu Cadastral: 743 €
  • Libre à partir du: A l'acte
  • BOVY-LONNOY, Notaires
  • Personne de contact: Thi Hoang NGUYEN
  • Tel: (04) 369.15.00
  • Email: thihoang.nguyen.358158@belnot.be
  • Informations de visite
  • Sur rendez-vous avec l'étude

Maisons

46 Avenue de la Libération, 6791 Athus

Faire offre à partir de
215 000 €

Image de présentation du bien n° 290221
Vente de gré à gré
  • Référence: 290221
  • A VENDRE : ATHUS, maison 2 chambres proche du GDL et des grands axes. Elle se compose, Au rez-de-chaussée : un salon, une cuisine et un wc séparé. Au premier étage : une chambre et une mezzanine lumineuse. Au deuxième étage : une deuxième grande chambre avec potentiel. Au sous-sol : une buanderie et une salle de bain avec WC. Le bien dispose également d'une terrasse et d'un jardin, exposés sud-ouest, ainsi qu'une place de parking extérieure. Les + : - RC = 480 € - rénovation partielle - Gaz de ville - Jardin - Terrasse - Situation proche du GDL PEB : 20191022015377 Catégorie F - 508 kWh/m².an - 77 175 kWh/an Pour renseignements et visites, merci de contacter l'étude du Notaire Anne-France HAMES au 063/38.54.23.
  • Nombre de chambres: 2
  • Superficie habitable: 152m2
  • Nombre de salles de bains: 1
  • Revenu Cadastral: 480 €
  • Libre à partir du: A l'acte
  • Anne-France HAMES, société notariale
  • Personne de contact: Audric KOOB
  • Tel: (063) 38.54.23
  • Email: audric.koob.127530@belnot.be

Maisons

86 Rue Ernest Martel, 7190 Ecaussinnes

Faire offre à partir de
270 000 €

Image de présentation du bien n° 290731
Vente de gré à gré
  • Référence: 290731
  • VISITES : 0489/29.77.11 - Maison 3 façades avec garage et jardin – Construction 1957. Cette agréable maison, bien entretenue et dotée d’un garage ainsi que d’un jardin, est construite sur 4 niveaux et offre de beaux volumes. Quelques travaux de modernisation sont à prévoir. Niveau -1 (Sous-sol) Hall de cave, deux caves, garage une voiture avec porte automatisée et espace buanderie. Niveau 0 (légèrement en contrehaut de la rue et du jardin) Hall d’entrée, séjour lumineux de 27,11 m², Cuisine semi équipée de 19,87 m², sas, vestiaire, WC séparé. Niveau +1 (Étage – espace de nuit) Hall de nuit avec placard intégré, bureau / dressing, salle de bains, deux chambres de 11,80 m² et 14,86 m², WC séparé. Niveau +2 (Combles) Grenier accessible via escalier escamotable, aménageable. Châssis PVC double vitrage avec volets, Châssis aluminium double vitrage à l’arrière, Châssis bois double vitrage à l’étage, Chauffage central au gaz de ville. Citerne à mazout d'une contenance inconnue en sous-sol de +/- 70 ans, vendu en l'état, à charge des acquéreurs. A proximité de la gare, des écoles, magasins. Belle vue à l'étage. Maison à remettre au goût du jour. VENTE SOUMISE A AUTORISATION DU JUGE DE PAIX. Faire offre à partir de 270.000 €. Renseignements en l’étude des Notaires François NOE & Gaëtan LEMAIRE : 067/41.15.80. Visites : 0489/29.77.11.
  • Nombre de chambres: 2
  • Revenu Cadastral: 669 €
  • Libre à partir du: A l'acte
  • François NOE & Gaëtan LEMAIRE, Notaires associés
  • Personne de contact: Natacha VANDENHENDE
  • Tel: (067) 41.15.80
  • Email: natacha.vandenhende.168476@belnot.be
  • Informations de visite
  • 0489/29.77.11

Maisons

4 Rue des Champs du Bois, 1421 Ophain-Bois-Seigneur-Isaac

Faire offre à partir de
355 000 €

Image de présentation du bien n° 290737
Vente de gré à gré
  • Référence: 290737
  • VISITES : 0489/29.77.11 - Bungalow des années 1970 – 3 chambres – Garage – Situé dans un quartier calme, verdoyant et champêtre, il offre un beau potentiel et se compose comme suit : Séjour lumineux de 40 m², Cuisine de 7,7 m², Réserve, 3 chambres : 8,8 m² – 8,2 m² – 12 m², Salle de bains avec WC, Salle de douche avec WC, Garage de 13 m². Châssis PVC double vitrage (2013), Chauffage central au gaz - Chaudière Vaillant (2015) - Bien à rénover entièrement. VENTE SOUMISE A AUTORISATION DU JUGE DE PAIX. Faire offre à partir de 355.000 €. Renseignements en l’étude des Notaires François NOE & Gaëtan LEMAIRE : 067/41.15.80 - Visites : 0489/29.77.11.
  • Nombre de chambres: 3
  • Revenu Cadastral: 1670 €
  • Libre à partir du: A l'acte
  • François NOE & Gaëtan LEMAIRE, Notaires associés
  • Personne de contact: Natacha VANDENHENDE
  • Tel: (067) 41.15.80
  • Email: natacha.vandenhende.168476@belnot.be
  • Informations de visite
  • 0489/29.77.11

Maisons

18 Rue de Ghlin, 7012 Jemappes

Faire offre à partir de
160 000 €

Image de présentation du bien n° 290739
Vente de gré à gré
  • Référence: 290739
  • Dans une rue calme, proche des grands axes et de Mons, maison de rangée fraichement rénovée avec 2 chambres. Le rez-de-chaussée se compose d'un grand living, d'une cuisine, d'une salle de bain, et d'une chaufferie. A l'arrière du bâtiment se trouvent une terrasse en gravier et un jardin clôturé. Au premier étage, l'escalier donne sur une grande pièce avec accès à une chambre, une salle d'eau avec WC, et l'escalier vers le deuxième étage Au deuxième étage, une pièce mansardée occupe toute la surface, illuminée par deux vélux.
  • Nombre de chambres: 2
  • Superficie habitable: 115m2
  • Nombre de salles de bains: 1
  • Revenu Cadastral: 272 €
  • Libre à partir du: A l'acte
  • Tiphène FREDERIC, Notaire
  • Personne de contact: Tiphene FRÉDÉRIC
  • Tel: (065) 11.10.10
  • Email: tiphene.frederic@belnot.be
  • Informations de visite
  • S'adresser en l'étude

Maisons

129 Rue de l'Eglise, 4032 Liège

Faire offre à partir de
90 000 €

Image de présentation du bien n° 290540
Vente de gré à gré
  • Référence: 290540
  • Maison située à Chenée. Elle est composée : - Au rez-de-chaussée : d'un hall d'entrée, d'une salle de bains, d'une cuisine et d'un salon - Au premier étage : d'un hall et de trois chambres à coucher
  • Nombre de chambres: 3
  • Superficie habitable: 105m2
  • Nombre de salles de bains: 1
  • Revenu Cadastral: 336 €
  • Libre à partir du: A l'acte
  • Pierre GOVERS & Emilie GILLET - Notaires associés
  • Personne de contact: Coline ANTOINE
  • Tel: (04) 367.54.33
  • Email: coline.antoine.182659@belnot.be
  • Informations de visite
  • Les visites auront lieu uniquement sur rendez-vous par téléphone au numéro suivant: 04/361.85.33 (à l'exception des mercredi et vendredi après-midi, l'étude étant sur répondeur) ou par e-mail à l'adresse coline.antoine.182659@belnot.be

Maisons

19 Roannay, 4987 La Gleize

Faire offre à partir de
349 000 €

Image de présentation du bien n° 290729
Vente publique en ligne
  • Référence: 290729
  • Magnifique propriété à rénover avec moulin à eau à La Gleize - Moulin à eau authentique avec prairies (12 626 m²) - Avec dépendance - Situé dans un havre de paix – emplacement unique - À rénover - Beaucoup de potentiel - Sans bail ni loyer Chauffage central au gaz - pas d'eau courante - alimenté en eau de source (moulin avec droit d'eau selon déclaration du vendeur). Situation : - Situation très rurale - À environ 6 km du centre de Stoumont (province de Liège)
  • Nombre de chambres: 6
  • Superficie habitable: 662m2
  • Nombre de salles de bains: 2
  • Vente en cours
  • Date de début: 13/01/2026 13:00
  • Date de fin: 21/01/2026 13:00
  • Pas d'enchère: 1000 €
  • Revenu Cadastral: 1029 €
  • Libre à partir du: Immédiatement
  • Notaris Jan Kindermans
  • Personne de contact: Kantoor Not. Jan Kindermans
  • Tel: (03) 443.94.90
  • Email: notaris@notariskindermans.be
  • Informations de visite
  • Samedi 13 december 2025, samedi 20 december 2025, samedi 27, samedi 2025, samedi 3 januari 2026, samedi 10 januari 2026, entre 11h et 15h

Maisons

8 Rue des Hirondelles, 5570 Winenne

Faire offre à partir de
220 000 €

Image de présentation du bien n° 290755
Vente de gré à gré
  • Référence: 290755
  • Maison 3 façades, avec grand garage, jardin et dépendance d'une contenance de 6 ares 51 centiares. Composition: Rez: hall, salon avec poêle pellets, salle à manger, cuisine équipée avec lave-vaisselle, taques induction, hotte, four, évier (sans frigo) et poêle pellets, wc. 1er étage: hall, 3 chambres, salle de bains, wc. Grand grenier aménagé en chambre (Possibilité de faire 2 chambres au lieu d'une). Ce bien est équipé de châssis double et triple vitrage PVC, d'un chauffage central mazout, de deux poêle à pellets, d'une VMC et d'une installation électrique conforme. Prix souhaité : 220.000 EUR sauf offre supérieure. Renseignements et visites en l'étude du notaire LAURENT à Beauraing
  • Nombre de chambres: 4
  • Revenu Cadastral: 428 €
  • Libre à partir du: A l'acte
  • Philippe LAURENT, société notariale
  • Personne de contact: Chloé GRIDLET
  • Tel: (082) 71.14.24
  • Email: chloe.gridlet.133918@belnot.be
  • Informations de visite
  • Sur RDV en l'Etude.

Maisons

29 Rue Rogier, 4800 Verviers

Faire offre à partir de
130 000 €

Image de présentation du bien n° 290514
Vente de gré à gré
  • Référence: 290514
  • Bâtiment avec habitation et entrepôt à Verviers, Rue Rogier 29 et 31
  • Nombre de chambres: 2
  • Revenu Cadastral: 1800 €
  • Libre à partir du: Immédiatement
  • RIJCKAERT & MALHERBE, Notaires Associés
  • Personne de contact: Tom JERUSALEM
  • Tel: (087) 59.53.70
  • Email: tom.jerusalem.351490@belnot.be
  • Informations de visite
  • Prendre rendez-vous avec l'étude

Terrains

Papendreef, 9968 Assenede

Faire offre à partir de
85 000 €

Image de présentation du bien n° 280879
Vente publique
  • Référence: 280879
  • P score: D
  • Revenu Cadastral: 54 €
  • Libre à partir du: autre
  • NOTARISSEN Els DE BLOCK en Tim VANDERSTEEN
  • Personne de contact: Femke VAN WIELE
  • Tel: (03) 711.08.27
  • Email: femke.vanwiele.460034@belnot.be

Terrains

Bekputstraat, 9968 Bassevelde

Faire offre à partir de
50 000 €

Image de présentation du bien n° 280884
Vente publique
  • Référence: 280884
  • P score: A
  • Revenu Cadastral: 28 €
  • Libre à partir du: autre
  • NOTARISSEN Els DE BLOCK en Tim VANDERSTEEN
  • Personne de contact: Femke VAN WIELE
  • Tel: (03) 711.08.27
  • Email: femke.vanwiele.460034@belnot.be

Appartements

21 Fruithoflaan, 2600 Berchem

Faire offre à partir de
219 000 €

Image de présentation du bien n° 290718
Vente publique en ligne
  • Référence: 290718
  • Appartement situé au 4ème étage à gauche, avec deux chambres, terrasse, cave et ascenseur. Charges communes par trimestre : 765 EUR pour le fonds de roulement + 153 EUR pour le capital de réserve. Sans amiante. Aucune obligation de rénovation. Inspection électrique non conforme. Les clés seront remises après paiement des frais et du prix. Les frais sont payables à l'attribution, au plus tard le 30 janvier 2026. Le prix est payable au plus tard le 13 mars 2026. G score: A P score: B
  • Nombre de chambres: 2
  • Superficie habitable: 112m2
  • Nombre de salles de bains: 1
  • Vente en cours
  • Date de début: 19/01/2026 14:00
  • Date de fin: 27/01/2026 14:00
  • Pas d'enchère: 1000 €
  • Revenu Cadastral: 1115 €
  • Libre à partir du: autre
  • LIBRIS Notarissen
  • Personne de contact: Kantoor LIBRIS Notarissen
  • Tel: (03) 281.03.61
  • Email: info@librisnotarissen.be
  • Informations de visite
  • Le samedi de 10h à 12h à partir du samedi 27/12 jusque samedi 24/1/2026. Sans rendez-vous.

Garages

1/5 Fruithoflaan, 2600 Berchem

Faire offre à partir de
21 000 €

Image de présentation du bien n° 290719
Vente publique en ligne
  • Référence: 290719
  • Garage n° 15 dans le complexe de garages situé à l’arrière. Entrée par Fruithoflaan. Sortie par Sint-Theresiastraat. Frais généraux : 6 €/mois. Sans amiante. Les clés seront remises après paiement des frais et du prix. Les frais sont payables à l'attribution, au plus tard le 30 janvier 2026. Le prix est payable au plus tard le 13 mars 2026. G score: A P score: A
  • Vente en cours
  • Date de début: 19/01/2026 14:00
  • Date de fin: 27/01/2026 14:00
  • Pas d'enchère: 100 €
  • Libre à partir du: autre
  • LIBRIS Notarissen
  • Personne de contact: Kantoor LIBRIS Notarissen
  • Tel: (03) 281.03.61
  • Email: info@librisnotarissen.be
  • Informations de visite
  • Le samedi de 10h à 12h à partir du samedi 27/12 jusque samedi 24/1/2026. Sans rendez-vous. Pour toute question, veuillez vous rendre au Fruithoflaan 21 (4e étage, à gauche) (LOT 1 de cet appel d'offres).

Garages

58+ Fruithoflaan, 2600 Berchem

Faire offre à partir de
23 000 €

Image de présentation du bien n° 290720
Vente publique en ligne
  • Référence: 290720
  • Garage n° 2. Pas de charges mensuelles. Pas de copropriété. Sans amiante. Droit de passage à côté de l’immeuble d’appartements en face. Remise des clés après paiement des charges et du prix. Charges payables à l’attribution au plus tard le 30 janvier 2026. Prix payable au plus tard le 13 mars 2026. G score: A P score: A
  • Vente en cours
  • Date de début: 19/01/2026 14:00
  • Date de fin: 27/01/2026 14:00
  • Pas d'enchère: 100 €
  • Libre à partir du: autre
  • LIBRIS Notarissen
  • Personne de contact: Kantoor LIBRIS Notarissen
  • Tel: (03) 281.03.61
  • Email: info@librisnotarissen.be
  • Informations de visite
  • Le samedi de 10h à 12h à partir du samedi 27/12 jusque samedi 24/1/2026. Sans rendez-vous. Pour toute question, veuillez vous rendre au Fruithoflaan 21 (4e étage, à gauche) (LOT 1 de cet appel d'offres).

Maisons

215 Brugseweg, 8920 Langemark

Faire offre à partir de
215 000 €

Image de présentation du bien n° 290476
Vente de gré à gré
  • Référence: 290476
  • G score: A P score: A
  • Nombre de chambres: 3
  • Nombre de salles de bains: 1
  • Revenu Cadastral: 414 €
  • Libre à partir du: A l'acte
  • Notaris Ellen Vanslambrouck
  • Personne de contact: Ann STRUYE
  • Tel: (057) 48.91.41
  • Email: ann.struye.112656@belnot.be

Maisons

18 Dorpsstraat, 8952 Wulvergem

Faire offre à partir de
145 000 €

Image de présentation du bien n° 290275
Vente de gré à gré
  • Référence: 290275
  • Située au cœur du village de Wulvergem, en face de l’église, cette maison de ville comprend : un hall d’entrée, un séjour (salon - salle à manger), une cuisine équipée de base, une salle de bain avec baignoire et WC, une chambre/bureau et un garage pour deux voitures. Un demi-palier donne accès à une chambre. Au premier étage se trouvent un spacieux hall de nuit, deux chambres et un grenier de stockage. Cave en sous-sol. À l’extérieur : terrasse et spacieux jardin orienté plein sud avec abri de jardin. Maison ancienne, saine et bien entretenue, nécessitant des travaux de rénovation. G score: A P score: A
  • Nombre de chambres: 4
  • Nombre de salles de bains: 1
  • Revenu Cadastral: 250 €
  • Libre à partir du: A l'acte
  • Thevelin & Feys, geassocieerde notarissen
  • Personne de contact: Sarah CLAERHOUT
  • Tel: (057) 44.51.51
  • Email: sarah.claerhout.131391@belnot.be

Terrains

Blaasveldstraat, 2830 Tisselt

Faire offre à partir de
24 000 €

Image de présentation du bien n° 290723
Vente publique en ligne
  • Référence: 290723
  • Parcelle de terrain agricole d'une superficie de 60a 40 ca. Cette parcelle est libre de tout bail. Elle est située dans une zone agricole, ce qui permet de bénéficier d'un taux réduit de 10 % sur les droits d'enregistrement. Non bailée. Droit de préemption De Vlaamse Waterweg. Située dans une zone inondable (score de parcelle D). Sortie vers la Blaasveldstraat. P score: D
  • Vente en cours
  • Date de début: 05/01/2026 13:00
  • Date de fin: 13/01/2026 13:00
  • Pas d'enchère: 1000 €
  • Revenu Cadastral: 26 €
  • Libre à partir du: A l'acte
  • Van de Poel & Pinoy
  • Personne de contact: Anne MICHIELS
  • Tel: (015) 22.83.36
  • Email: anne@notarisvandepoel.be
  • Informations de visite
  • Libre visite

Terrains

Broedersblok, 3300 Hakendover

Faire offre à partir de
300 000 €

Image de présentation du bien n° 290607
Vente de gré à gré
  • Référence: 290607
  • P score: A
  • Revenu Cadastral: 17 €
  • Libre à partir du: A l'acte
  • HONOREZ NOTARIS
  • Personne de contact: Jens DEPRE
  • Tel: (016) 81.11.53
  • Email: jens.depre.351228@belnot.be

Terrains

Rue Royale, 7141 Carnières

Faire offre à partir de
24 000 €

Image de présentation du bien n° 290728
Vente de gré à gré
  • Référence: 290728
  • Parcelle de terrain reprise au cadastre sous nature de jardin, laquelle est située en zone d'habitat. Contenance: 2a 90ca
  • Revenu Cadastral: 2 €
  • Libre à partir du: A l'acte
  • BABUSIAUX & PIRLOT NOTAIRES ASSOCIES
  • Personne de contact: Laura WOJCIECHOWSKI
  • Tel: (064) 31.14.20
  • Email: laura.wojciechowski.183400@belnot.be

Maisons

18D Avenue Arthur Procès, 5000 Namur

Faire offre à partir de
265 000 €

Image de présentation du bien n° 290730
Vente de gré à gré
  • Référence: 290730
  • Charmante maison d'habitation 4 façades type villa avec passage carrossable, garage, terrasse et jardin arboré. Rez-de-chaussée: hall d'entrée; WC avec lave-mains; bureau ou chambre; cuisine équipée et séjour avec cheminée (salon/salle à manger) donnant sur la terrasse. 1er étage : palier ; 2 grandes chambres ; salle de bains (baignoire, lavabo, WC) et grenier. Sous-sol : grand garage et chaufferie. Confort : Châssis bois simple vitrage + volets, chauffage central mazout (citerne 1.500L non enterrée), électricité bi-horaire, raccordement égouts, monte-escalier, toiture en ardoises isolée en laine de roche. Orientation : Sud/Est. Remarque: Maison en bon état d'entretien; idéalement située dans un quartier résidentiel très sollicité sur les hauteurs de Namur (limite Bouge) ; à proximité des commerces et à 5 minutes du centre de Namur. Le prix demandé est de 265.000,00 € sous réserve de l'acceptation des propriétaires. Visites: sur RDV avec Mr FRANCK au 0476/422.607
  • Nombre de chambres: 2
  • Nombre de salles de bains: 1
  • Revenu Cadastral: 1346 €
  • Libre à partir du: A l'acte
  • Xavier DUGARDIN, Notaires associés SPRL
  • Personne de contact: Xavier DUGARDIN
  • Tel: (081) 22.10.00
  • Email: xavier.dugardin@belnot.be
  • Informations de visite
  • Sur RDV avec Monsieur FRANCK au 0476/422.607

Maisons

179 Rue du Bornoville, 7700 Luingne

Faire offre à partir de
219 000 €

Image de présentation du bien n° 290734
Vente de gré à gré
  • Référence: 290734
  • Maison avec jardin & garage 2 voitures + parking supplémentaire, comprenant: - une cave carrelée, saine; - au rez-de-chaussée : hall d'entrée, spacieuse pièce de séjour, cuisine semi-équipée avec espace repas, salle de bain (baignoire, wc, meuble lavabo), jolie terrasse couverte, remise, jardin exposé sud-est, garage 2 voitures avec porte motorisée, place de parking privée devant le garage; - le 1er étage est composée d'un hall de nuit desservant 2 chambres (parquet partout) - le 2nd contient une 3e chambre avec vélux (parquet) et un grenier. Spacieuse maison située dans un secteur prisé, équipée de châssis en double vitrage, chauffée par un feu au gaz parcelle de terrain de 232 m² VISITES sur rendez-vous par téléphone avec le vendeur au 0479/977.016. Réf. ML-2025-1112
  • Nombre de chambres: 3
  • Nombre de salles de bains: 1
  • Revenu Cadastral: 639 €
  • Libre à partir du: A l'acte
  • Mathilde VAN DEN BERGH, Notaire
  • Personne de contact: Michaël LOIN
  • Tel: (056) 34.22.60
  • Email: michael.loin.217610@belnot.be
  • Informations de visite
  • Sur rendez-vous par téléphone avec le vendeur au 0479/977.016.

Maisons

42 Rue Julien Lahaut, 7140 Morlanwelz

Faire offre à partir de
280 000 €

Image de présentation du bien n° 290736
Vente de gré à gré
  • Référence: 290736
  • Découvrez cette charmante habitation idéale pour accueillir une famille ou toute personne recherchant un cadre agréable et pratique au quotidien. Vous profiterez d’un living , d’une cuisine , ainsi que d’une toilette séparée. Le bien dispose également de deux chambres, d’une salle de bain, et d’une pièce polyvalente pouvant servir de buanderie et de réserve, parfaite pour optimiser votre organisation. Un garage vient compléter ce bien, offrant un confort supplémentaire pour le stationnement ou le stockage. Côté technique, vous serez séduits par la pompe à chaleur assurant le chauffage et la production d’eau chaude, un atout économique et écologique. PEB : E-359 Prix : faire offre à partir de 280.000 € Visites uniquement sur rendez-vous préalable au 064/22.13.52 Ne manquez pas cette opportunité rare ! Ce bien n’attend plus que vous.
  • Nombre de chambres: 2
  • Revenu Cadastral: 889 €
  • Libre à partir du: A l'acte
  • Thierry BRICOUT, Notaire
  • Personne de contact: Sandy LUFRANO
  • Tel: (064) 22.13.52
  • Email: sandy.lufrano.130922@belnot.be
  • Informations de visite
  • Visites uniquement sur rendez-vous préalable au 064/22.13.52.

Terrains

, 4280 Thisnes

Faire offre à partir de
224 964 €

Image de présentation du bien n° 290681
Vente de gré à gré
  • Référence: 290681
  • Terres agricoles à Vendre à Hannut (Thisnes et grand Hallet) Nous proposons à la vente, 5ha62a41ca de terres agricoles en divers morceaux. Occupés en vertu d’un bail à ferme verbal en 3° période d’occupation. Prix souhaité : € 40.000 €/ha pour l'ensemble. En cas d'intérêt pour certaines parcelles, faire ofre Publicité non contractuelle.
  • Revenu Cadastral: 384 €
  • Libre à partir du: autre
  • Etudes Notariales associées
  • Personne de contact: Pierre VALKIERS
  • Tel: (085) 25.00.55
  • Email: info@lesnotaires.be
  • Informations de visite
  • Veuillez contacter l'étude au 085/25.00.55

Terrains

Rue des Gottes, 4217 Héron

Faire offre à partir de
110 325 €

Image de présentation du bien n° 290650
Vente de gré à gré
  • Référence: 290650
  • Belle terre agricole, bien plane, accès aisé le long d'un chemin carrossable. Nous proposons à la vente, une terre agricole en lieu dit " Les Gottes ", rue Les Gottes. Cadastrée section A numéros 34AP0000 et 44AP0000 d'une contenance de 2ha12a16ca - RC 139. Occupés en vertu d’un bail à ferme verbal en 3° période d’occupation. Rens Prix souhaité € 52.000/ha. Publicité non contractuelle.
  • Revenu Cadastral: 139 €
  • Libre à partir du: autre
  • Etudes Notariales associées
  • Personne de contact: Pierre VALKIERS
  • Tel: (085) 25.00.55
  • Email: info@lesnotaires.be
  • Informations de visite
  • Veuillez contacter l'étude au 085/25.00.55

Maisons

226 Houwaartstraat, 3272 Scherpenheuvel-Zichem

Faire offre à partir de
315 000 €

Image de présentation du bien n° 290740
Vente de gré à gré
  • Référence: 290740
  • G score: C P score: C
  • Nombre de chambres: 3
  • Revenu Cadastral: 327 €
  • Libre à partir du: A l'acte
  • Boogaerts Koen & Boogaerts Bert
  • Personne de contact: Griet Notariskantoor
  • Tel: (016) 50.24.20
  • Email: info@notarisboogaerts.net
  • Informations de visite
  • Bezoek mogelijk na telefonische afspraak met eigenaar op nummer 0492/50 68 15

Maisons

33 Rue du Château d'Eau, 6596 Seloignes

Faire offre à partir de
280 000 €

Image de présentation du bien n° 290743
Vente de gré à gré
  • Référence: 290743
  • Villa récente située dans un quartier résidentiel, sise rue du Château d'eau 33, cadastrée section A numéro 0074VP0000, pour une contenance de 11a 59ca- revenu cadastral :1027€ comprenant au rez : hall avec wc, salon-sam, cuisine non équipée avec grande baie vitrée vue sur jardin, buanderie, garage - Etage : 4 chambres - sdb avec douche et bain + wc - Grenier aménageable (plancher) - Chauffage central mazout avec cuve à mazout de 1.200l - Citerne eau de pluie de +/- 7000l - Mini station d'épuration reliée aux égouts -Construction terminée en 2016 - PEB : B et électricité conforme valable jusqu'en 2041.
  • Nombre de chambres: 4
  • Nombre de salles de bains: 1
  • Revenu Cadastral: 1027 €
  • Libre à partir du: A l'acte
  • Vincent MAILLARD notaire et associés
  • Personne de contact: Bernadette PONCELET
  • Tel: (060) 21.11.16
  • Email: bernadette.poncelet.129569@belnot.be
  • Informations de visite
  • Sur RDV avec l'Etude

Appartements

57 Rue Mazy, 5100 Jambes

Faire offre à partir de
50 000 €

Image de présentation du bien n° 290749
Vente publique en ligne
  • Référence: 290749
  • À deux pas de l'Enjambée, ce studio au rez-de-chaussée est une excellente opportunité pour un investisseur ou pour toute personne cherchant un pied-à-terre pratique et bien situé. Il offre un bel espace de vie avec accès à un balcon, une kitchenette et une salle d’eau. À rénover, il présente un potentiel évident pour créer un espace moderne, confortable et parfaitement optimisé. Atouts : • Emplacement top, commerces et transports immédiats • Balcon agréable • Rez-de-chaussée pratique • Idéal investissement / premier achat • Beau potentiel après rénovation Un studio à redessiner selon vos envies, dans un secteur très recherché. ?? Infos & visites : Thibault – 0486/97.87.0
  • Nombre de chambres: 1
  • Superficie habitable: 22m2
  • Nombre de salles de bains: 1
  • Vente en cours
  • Date de début: 07/01/2026 12:00
  • Date de fin: 15/01/2026 12:00
  • Pas d'enchère: 1000 €
  • Revenu Cadastral: 535 €
  • Libre à partir du: A l'acte
  • Frédéric MAGNUS, Notaire
  • Personne de contact: Frédéric MAGNUS
  • Tel: 0486978700
  • Email: frederic.magnus@belnot.be
  • Informations de visite
  • Sur RDV avec Thibault au 0486/97.87.00

Maisons

20 Rue de la Seuwe, 6061 Montignies-sur-Sambre

Faire offre à partir de
160 000 €

Image de présentation du bien n° 290454
Vente de gré à gré
  • Référence: 290454
  • Maison 2 façades avec cour et garage d'une superficie de 1 a et 45 ca, située à Montignies-sur-sambre, rue de la Seuwe, 20 et comprenant : - Au sous-sol : 3 grandes caves carrelées. - Au rez-de-chaussée : un hall d’entrée (+/- 9,2 m²), un séjour/salle à manger/living (+/-32 m²), une cuisine (+/- 8 m²) avec un coin à dîner (+/- 14,4 m²), une salle de douche (+/- 4,2 m²). - Au 1er étage : un hall de nuit (+/- 6,7 m²), 3 chambres (+/- 14,7 m², 22 m² et 9,9 m²) et une salle de bain (+/-3,9 m²). - Au 2ème étage : un hall de nuit (+/- 5,8 m²), 2 chambres (+/- 8,2 m² et 10,1 m²) et un petit grenier (+/- 7,1 m²). - Garage indépendant à l’arrière avec électricité (accessible par la porte de la cour) - Châssis en bois simple vitrage + volets (dont 2 électriques à l’arrière) - Cour à l’arrière sans jardin - Chauffage au gaz. Alarme - RC : 753€ - PEB : G. Faire offre à partir 160.000€. Les visites s'effectuent du lundi au vendredi de 16h30 à 19h. Uniquement sur RDV au 071/41.45.34
  • Nombre de chambres: 5
  • Nombre de salles de bains: 1
  • Revenu Cadastral: 753 €
  • Libre à partir du: A l'acte
  • Gilles FRANCE Notaire
  • Personne de contact: Charlotte METZ
  • Tel: (071) 41.45.34
  • Email: charlotte.metz.127191@belnot.be
  • Informations de visite
  • Les visites s'effectuent du lundi au vendredi de 16h30 à 19h. Uniquement sur RDV au 071/41.45.34

Terrains

3 Avenue des Pins, 4121 Neuville-en-Condroz

Faire offre à partir de
299 000 €

Image de présentation du bien n° 278912
Vente de gré à gré
  • Référence: 278912
  • Ce magnifique et rare terrain à bâtir est idéalement situé dans le prisé Bois du Rognac à Neupré. Cette parcelle est située au calme dans l'Avenue des Pins (en face du numéro 6) mais néanmoins proche des commodités de la Route du Condroz. Son orientation est optimale. De plus, le terrain n'a pas de vis-à-vis arrière. Sa superficie totale est de 1760 m².
  • Revenu Cadastral: 13 €
  • Libre à partir du: A l'acte
  • BERNARD DEGIVE - SOCIETE NOTARIALE
  • Personne de contact: Valerie LALLEMAND
  • Tel: (04) 371.40.11
  • Email: valerie.lallemand.109629@belnot.be

Maisons

15 Rue Léopold, 4840 Welkenraedt

Faire offre à partir de
145 000 €

Image de présentation du bien n° 290753
Vente de gré à gré
  • Référence: 290753
  • COMPOSITION : Sous-sol : Caves Rez : Hall d’entrée, salon et salle à manger en enfilade, cuisine, accès à la cour et au jardin ; 1er étage : Palier, deux grandes chambres à coucher, salle de bain avec lavabo, baignoire et wc ; 2ème étage : Palier, deux chambres mansardées, une pièce d’eau avec lavabo ; 3ème étage : Grand grenier ; Commodités : Cour et jardin à l’arrière ; RC : 448 € ; Superficie: 198m² ; Occupation : Libre à l’acte.
  • Nombre de chambres: 4
  • Nombre de salles de bains: 1
  • Revenu Cadastral: 448 €
  • Libre à partir du: A l'acte
  • Notaire François ANGENOT
  • Personne de contact: Virginie HALLEUX
  • Tel: (087) 88.06.77
  • Email: virginie.halleux.354556@belnot.be
  • Informations de visite
  • Visites sur rendez-vous avec l'Etude

Maisons

13 Avenue des Peupliers, 7500 Tournai

Faire offre à partir de
125 000 €

Image de présentation du bien n° 290395
Vente de gré à gré
  • Référence: 290395
  • Jolie villa avec jardin sur 8 ares 50 centiares comprenant: -au rez-de-chaussée: Salon, salle-à-manger, salle-de-bain (baignoire, évier), bureau, cuisine, arrière cuisine, wc, buanderie -au 1er étage: 2 chambres; -cave Garage carrelé Chauffage non fonctionnel Citerne d'eau de pluie Bien idéalement situé et avec un beau potentiel
  • Nombre de chambres: 2
  • Superficie habitable: 118m2
  • Nombre de salles de bains: 1
  • Revenu Cadastral: 560 €
  • Libre à partir du: A l'acte
  • SRL Charlotte DECOCK, Notaire
  • Personne de contact: Yves DUQUENNE
  • Tel: (069) 22.35.35
  • Email: yves.duquenne.354610@belnot.be
  • Informations de visite
  • Sur rendez-vous à prendre en l'étude au 069/22.35.35

Maisons

27 Rue Fourneau, 4570 Marchin

Faire offre à partir de
235 000 €

Image de présentation du bien n° 290649
Vente de gré à gré
  • Référence: 290649
  • Nous proposons à la vente, Charmante Maison – Rue Fourneau, N°27 à MARCHIN. Venez découvrir cette magnifique maison d'habitation située au 27 Rue Fourneau, dans un quartier prisé, à proximité de toutes facilités. Idéale pour une famille, elle offre une superficie de 20a 49ca, selon le cadastre. Ce bien rare, avec son cadre verdoyant, vous offrira un cadre de vie paisible tout en étant proche de toutes les infrastructures nécessaires à la vie quotidienne. Contactez-nous pour plus d'informations ou pour organiser une visite. Publicite non contractuelle.
  • Nombre de chambres: 3
  • Superficie habitable: 211m2
  • Nombre de salles de bains: 2
  • Revenu Cadastral: 642 €
  • Libre à partir du: A l'acte
  • Etudes Notariales associées
  • Personne de contact: Anne-Louise BURTON
  • Tel: (085) 25.00.55
  • Email: info@lesnotaires.be
  • Informations de visite
  • Veuillez contacter l'étude au 085/25.00.55

Maisons

11 Rue des Grands Prés, 4032 Chênée

Faire offre à partir de
95 000 €

Image de présentation du bien n° 290547
Vente de gré à gré
  • Référence: 290547
  • Maison de commerce au cadastre, située à Chênée Elle se compose : - Au rez-de-chaussée : d'un hall d'entrée, d'une cuisine, d'une salle à manger et d'un salon ; - Au premier étage : d'un hall, de deux chambres à coucher et d'une salle de bains ; - D'un grenier Maison inondée en 2021 et n'a pas été habitée depuis. Aucune rénovation n'a été effectuée. La toiture a été refaite en 2012 ainsi que les châssis à l'arrière de la maison. La chaudière a été remplacée en 2016
  • Nombre de chambres: 2
  • Superficie habitable: 132m2
  • Revenu Cadastral: 473 €
  • Libre à partir du: A l'acte
  • Pierre GOVERS & Emilie GILLET - Notaires associés
  • Personne de contact: Coline ANTOINE
  • Tel: (04) 367.54.33
  • Email: coline.antoine.182659@belnot.be
  • Informations de visite
  • Les visites auront lieu uniquement sur rendez-vous par téléphone au numéro suivant: 04/361.85.33 (à l'exception des mercredis et vendredis après-midi, l'étude étant sur répondeur) ou par e-mail à l'adresse coline.antoine.182659@belnot.be

Maisons

56 Brechtsesteenweg, 2960 Brecht

Faire offre à partir de
315 000 €

Image de présentation du bien n° 290764
Vente de gré à gré
  • Référence: 290764
  • G score: A P score: A
  • Nombre de chambres: 3
  • Nombre de salles de bains: 1
  • Revenu Cadastral: 649 €
  • Libre à partir du: A l'acte
  • Notariaat Noma
  • Personne de contact: Jolien HOREMANS
  • Tel: (03) 312.20.28
  • Email: verkoop@notariaatnoma.be

Appartements

Square Gramme, 4020 Liège

Faire offre à partir de
285 000 €

Image de présentation du bien n° 290223
Vente de gré à gré
  • Référence: 290223
  • Appartement de caractère dans un bel immeuble d’angle avec aussi bien vue sur l'Ourthe que sur la Meuse. L'appartement, d'une superficie totale approximative, balcons compris, de 145,50 m², est situé au premier étage et comprend 2 chambres et 2 caves. Bon état d’entretien, finitions et décoration soignées, anciennes avec modernité. Revêtement de sol : parquet ; carreaux de ciment ; carrelage. Châssis PVC double vitrage. Chauffage central au gaz. Compteur électrique et décompteur eau et gaz. Petite terrasse à l’arrière au calme, balcon à l’avant avec vue sur l’Ourthe et la Meuse. Moyens de communication : Bus ; quais ; commerces ; écoles ; gare à proximité. Visites sur RDV au 0495/7842.31 (Mme SACCO)
  • Nombre de chambres: 2
  • Nombre de salles de bains: 1
  • Revenu Cadastral: 1187 €
  • Libre à partir du: A l'acte
  • François MATHONET, société notariale
  • Personne de contact: Valentina MORREALE
  • Tel: (04) 221.15.49
  • Email: valentina.morreale.460037@belnot.be
  • Informations de visite
  • Sur RDV au 0495/7842.31 (Mme SACCO)

Maisons

8 Brouwerijweg, 8906 Elverdinge

Faire offre à partir de
355 000 €

Image de présentation du bien n° 290684
Vente de gré à gré
  • Référence: 290684
  • G score: A P score: B
  • Nombre de chambres: 3
  • Nombre de salles de bains: 1
  • Revenu Cadastral: 604 €
  • Libre à partir du: A l'acte
  • Ghesquière, Breyne, De Brabandere & Degryse, notariskantoor
  • Personne de contact: Kantoor NK Ter Waarde
  • Tel: (057) 20.77.98
  • Email: info@nkterwaarde.be

Appartements

101 Quai de Rome, 4000 Liège

Faire offre à partir de
229 000 €

Image de présentation du bien n° 261630
Vente de gré à gré
  • Référence: 261630
  • Dans un immeuble à appartements dénommé "Résidence MOSA", situé Quai de Rome 101 à Liège, sur la rive gauche de la Meuse, un appartement au troisième étage, comprenant: Un hall d'entrée, deux chambres et un bureau (une chambre en façade avant avec balcon et une chambre et un bureau en façade arrière), un living (séjour constitué de parquet en chevron), une cuisine, deux grands placards de rangement, une salle de bain et un wc séparé. Un balcon à l'arrière avec accès par la cuisine. Une cave et un emplacement de parking privatifs (porte sectionnelle récente entrée parking). Entrée avec codeur. L'acte de base de la Résidence, le règlement d'ordre intérieur et les renseignements du syndic peuvent être consultés (demande à adresser à l'étude). Visite uniquement sur rendez-vous au 04/337.15.44 (Etude AEQUALIS NOTAIRES ASSOCIES)
  • Nombre de chambres: 2
  • Nombre de salles de bains: 1
  • Revenu Cadastral: 932 €
  • Libre à partir du: A l'acte
  • AEQUALIS NOTAIRES ASSOCIES
  • Personne de contact: Veronique YERNAUX
  • Tel: (04) 337.15.44
  • Email: veronique.yernaux.460025@belnot.be
  • Informations de visite
  • Prendre contact avec l'étude AEQUALIS NOTAIRES ASSOCIES au 04/337.15.44

Maisons

41 Rue de Lantin, 4000 Rocourt

Faire offre à partir de
220 000 €

Image de présentation du bien n° 289790
Vente de gré à gré
  • Référence: 289790
  • Maison mitoyenne dite « Bel étage » REZ + 1 + Sous-sol, 3 chambres avec jardin et garage 1-2 voitures en enfilade COMPOSITION : Sous-sol : *Une chaufferie ; *Une cave de rangement ; *Un garage donnant accès à la véranda. Rez-de-chaussée : *Un halle d'entrée avec escalier ; *Un living ; *Une cuisine équipée ; *Un véranda ; *Un WC séparé. 1er étage: *Trois chambres ; *Une salle de bain. Autres: *Un abris de jardin ; *Jardin. ÉQUIPEMENTS ET AUTRES CARACTÉRISTIQUES : *Toiture plate-forme (roofing) à rénover ; *Revêtement de sol: carrelage, vinyl et béton ; *Cuisine meublée avec électroménager (taque de cuisson, four, hotte et frigo) ; *Salle de douche avec meuble de lavabo, WC et un bidet ; *WC séparé ; *Châssis en bois à remplacer, simple vitrage, avec volets ; *Véranda; *Chauffage central à mazout en bon état : chaudière au sol de la marque "PERGE" et citerne cuve en acier d'une contenance de +/- 2.500 litres ; *Eau chaude sur central ; *Branchements: eau, électricité (220 V), téléphone, télévision, électricité (non-conforme) et compteur mono-horaire ; *Vue sur le jardin et végétation le long de l'autoroute ; *Quartier calme, proche de toutes les commodités et les facilités d'accès. La maison est bien entretenue et peut accueillir rapidement une famille.
  • Nombre de chambres: 3
  • Revenu Cadastral: 1140 €
  • Libre à partir du: A l'acte
  • François MATHONET, société notariale
  • Personne de contact: Annelyse WATHELET
  • Tel: (04) 221.15.49
  • Email: annelyse.wathelet.460037@belnot.be
  • Informations de visite
  • Sur RDV au numéro suivant : 0495/7842.31 (Mme SACCO)

Maisons

47 Rodenbachstraat, 8908 Vlamertinge

Faire offre à partir de
190 000 €

Image de présentation du bien n° 290685
Vente publique en ligne
  • Référence: 290685
  • Cette charmante maison, située à Vlamertinge, offre tout ce que vous recherchez : un excellent état d'entretien, des pièces spacieuses et des équipements modernes, ainsi qu'un grand garage avec une allée. Cette maison est idéale pour les primo-accédants ou les familles à la recherche d'un logement confortable et clé sur porte. Grâce à son agencement ouvert et ses espaces lumineux, la maison vous semblera immédiatement chez vous ! G score: A P score: B
  • Nombre de chambres: 3
  • Nombre de salles de bains: 1
  • Vente en cours
  • Date de début: 12/01/2026 13:00
  • Date de fin: 20/01/2026 13:00
  • Pas d'enchère: 1000 €
  • Revenu Cadastral: 779 €
  • Libre à partir du: A l'acte
  • MICHAËL MERTENS - ASTRID DEDEURWAERDERE, GEASSOCIEERDE NOTARISSEN
  • Personne de contact: Kantoor Not. Mertens & Dedeurwaerdere
  • Tel: (057) 20.25.32
  • Email: info@mdnotarissen.be
  • Informations de visite
  • Les acheteurs potentiels peuvent visiter le bien sur rendez-vous chez le notaire

Maisons

37 Avenue de la Gare, 1401 Baulers

Faire offre à partir de
350 000 €

Image de présentation du bien n° 290675
Vente de gré à gré
  • Référence: 290675
  • VISITES UNIQUEMENT SUR RENDEZ-VOUS AU SERVICE VISITE NOTARIAL: 0489/29.77.11!!! Belle grande maison de maître située à Nivelles (Baulers), idéalement située et d'une superficie de +/-165m². Construite sur 4 niveaux (sous-sol, rdc, étage et grenier), elle se compose au rez-de-chaussée d'un hall d'entrée distribuant l'accès à l'étage et au sous-sol, une salle à manger communicante avec la cuisine et un WC. Le hall distribue également la seconde salle à manger et le salon. Au 1er étage, vous trouverez un hall de nuit, 4 chambres (d'une superficie de +-/ 16m², 18m², 17.5m² et 15.5m²), une salle de douche avec toilette et l'escalier donnant accès au grenier. Grenier aménageable de +/- 80m². Le sous-sol comprend la chaufferie, les deux caves dont une communique avec le garage. Attenant à la maison, vous trouverez une petite étable avec un atelier et un grenier. Chauffage au mazout avec citerne < 3000L. Châssis simple et double vitrage en bois, électricité non conforme et compteur mono-horaire, eau de ville, isolation sommaire et absence de sous-toiture, !!! présence d'amiante sur les tuyaux de chauffage en sous-sol. Bien avec un très beau potentiel après rénovation!!!
  • Nombre de chambres: 4
  • Superficie habitable: 165m2
  • Libre à partir du: A l'acte
  • Adeline Vanpée et Diane de Roubaix - Notaires associés
  • Personne de contact: Kelly WATERLOT
  • Tel: (067) 21.20.92
  • Email: kelly.waterlot.353597@belnot.be

Maisons

9 Rue des Acacias, 5590 Achêne

Faire offre à partir de
280 000 €

Image de présentation du bien n° 290645
Vente de gré à gré
  • Référence: 290645
  • Belle maison de plain-pied située à Achêne, comprenant hall, cuisine, salon - salle à manger, salle de bain avec wc, 3 chambres, grenier, garage et jardin. Châssis double vitrage - Chauffage central mazout – PEB : G R.C. : 622 € – Contenance : 6 ares 59 ca Renseignements et visites en l'étude.
  • Nombre de chambres: 3
  • Nombre de salles de bains: 1
  • Revenu Cadastral: 622 €
  • Libre à partir du: A l'acte
  • Amélie PERLEAU, Société notariale
  • Personne de contact: Jessica JEANMART
  • Tel: (083) 21.29.21
  • Email: jessica.jeanmart.127605@belnot.be
  • Informations de visite
  • Renseignements et visites en l'étude

Terrains

Doornplasstraat, 9031 Gent

Faire offre à partir de
125 000 €

Image de présentation du bien n° 290695
Vente de gré à gré
  • Référence: 290695
  • P score: D
  • Revenu Cadastral: 50 €
  • Libre à partir du: A l'acte
  • Notaris Thibault Van Belle
  • Personne de contact: Jonas VAN HOLDERBEKE
  • Tel: (09) 372.70.47
  • Email: jonas.vanholderbeke.131771@belnot.be
  • Informations de visite
  • Vrij te bezoeken

Maisons

23 Ripipiaberg, 9220 Hamme

Faire offre à partir de
120 000 €

Image de présentation du bien n° 290703
Vente publique en ligne
  • Référence: 290703
  • G score: B P score: B
  • Nombre de chambres: 3
  • Nombre de salles de bains: 1
  • Vente en cours
  • Date de début: 06/01/2026 15:00
  • Date de fin: 14/01/2026 15:00
  • Pas d'enchère: 1000 €
  • Revenu Cadastral: 128 €
  • Libre à partir du: Immédiatement
  • SVEN HEYVAERT, NOTARISVENNOOTSCHAP
  • Personne de contact: Jade NELIS
  • Tel: (052) 47.70.83
  • Email: jade@notarisheyvaert.be
  • Informations de visite
  • Vrijdagen 19 december 2025, 02 en 09 januari 2026 telkens van 16u-18u. Zaterdagen 20 en 27 december 2025, en 3 en 10 januari 2026 telkens van 14u-16u

Maisons

16 Hazelnootstraat, 3600 Genk

Faire offre à partir de
295 000 €

Image de présentation du bien n° 290706
Vente de gré à gré
  • Référence: 290706
  • Een mooie op te frissen half open bebouwing gelegen in de mooie en rustige buurt van Boxbergheide. De woning is gelegen op een ruim perceel. Indeling: 3 slaapkamers, 2 badkamers, een living, een keuken, 1WC beneden, veranda. Pluspunten ligging: - Rustige leefomgeving - Centrale ligging (in de nabijheid van Genk, Bokrijk en Hasselt) - In de nabijheid van scholen en winkels - Nabij de Hasseltweg - Nabij de oprit van de E314 Er is géén renovatieplicht aangezien de woning label D heeft. Vrij vanaf de akte. Bezichtigingen kunnen steeds na afspraak.
  • Nombre de chambres: 3
  • Nombre de salles de bains: 2
  • Revenu Cadastral: 577 €
  • Libre à partir du: A l'acte
  • NOTARACT
  • Personne de contact: Kantoor NOTARACT
  • Tel: (089) 51.83.51
  • Email: info@notaract.be
  • Informations de visite
  • Na afspraak

Terrains

Chession, 4987 Stoumont

Faire offre à partir de
140 000 €

Image de présentation du bien n° 290320
Vente de gré à gré
  • Référence: 290320
  • Grandes parcelles avec zone à bâtir de 1900 m² à Lorcé (Chession). Superficie totale 7690m². Libre de constructeur. Terrain non équipé en eau (frais de raccordement à prévoir d'environ 13.000€ HTVA). Belle orientation et vue dégagée. Dernier terrain en zone d'habitat. Prix demandé : 140.000€. (pour la superficie à bâtir, voir plan en annexe et hachures rouges).
  • Revenu Cadastral: 26 €
  • Libre à partir du: A l'acte
  • Etude SCAVEE, MAGHE ET LENELLE
  • Personne de contact: Jérémy COLARD
  • Tel: (04) 369.15.19
  • Email: jeremy.colard.357711@belnot.be

Maisons

28 Hameau de Chambralles, 4920 Aywaille

Faire offre à partir de
300 000 €

Image de présentation du bien n° 290198
Vente de gré à gré
  • Référence: 290198
  • Belle maison en pierres du pays située dans le Hameau de Chambralles à Aywaille, composée au rez-de-chaussée d'un hall, d'une salle à manger, d'une cuisine équipée, d'un salon, d'un bureau, d'un WC, d'une salle de bains (douche+évier), d'un garage (remise+chaufferie), d'un débarras, d'un 2ème garage. Au premier étage, 3 chambres. Genier. Une cave. Chauffage central mazout. Doubles vitrages. Cheminée. Beau jardin, terrasse. Visites sous forme de rendez-vous préalable avec l'étude au 04/384.48.41.
  • Nombre de chambres: 3
  • Revenu Cadastral: 595 €
  • Libre à partir du: A l'acte
  • Etude SCAVEE, MAGHE ET LENELLE
  • Personne de contact: Jérémy COLARD
  • Tel: (04) 369.15.19
  • Email: jeremy.colard.357711@belnot.be
  • Informations de visite
  • Visites sous forme de rendez-vous préalable avec l'étude au 04/384.48.41

Maisons

7 Vorsenborgstraat, 2800 Mechelen

Faire offre à partir de
100 000 €

Image de présentation du bien n° 290708
Vente publique
  • Référence: 290708
  • Bien située dans un quartier calme. Description : Sous-sol : cave. Rez-de-chaussée : hall d’entrée avec escalier, salon, cuisine, salle de bain et jardin. Premier étage : (accessible par un escalier en bois) : palier, 1 chambre à l’avant et 1 chambre à l’arrière. Informations complémentaires : Aucun droit de préemption. Attestation de sol vierge. Revenu cadastral : encore non enregistré. Surface : 223 m². Installation électrique : non conforme. Certificat énergétique (EPC) : 943 kWh/m² (label F). Non conforme en matière d’amiante. Inscrit dans l’inventaire du patrimoine architectural sous la dénomination « TUINWIJK DE VRIJE WOONST ». Aucun bois Pas situé dans une zone inondable ou susceptible d’inondation – score de terrain A et score de bâtiment A. Prix de départ : 100.000,00 € Disponible immédiatement après paiement du prix d’achat et des frais. ATTENTION ! CONDITIONS DE VENTE ESSENTIELLES/SPECIFIQUES liées à la vente, voir les conditions de vente. Visite : Les clés peuvent être retirées pendant les heures de bureau au cabinet notarial (du lundi au vendredi entre 9h00-12h30 et 13h30-17h30 ; vendredi 9h00-12h30), sur réservation téléphonique préalable. DATE DE LA VENTE : Mercredi 7 janvier 2026 à 14h00, au Centre de Services Locaux Den Abeel, 2800 Malines, Jozef Verbertstraat 61. Les acheteurs mariés doivent être en possession de leur livret de mariage et, le cas échéant, de leur contrat de mariage. Pour plus d’informations, veuillez contacter le notaire chargé de la vente. G score: A P score: A
  • Nombre de chambres: 2
  • Superficie habitable: 124m2
  • Nombre de salles de bains: 1
  • Libre à partir du: autre
  • Notariskantoor Huygens & Lefevre
  • Personne de contact: Kantoor Not. Huygens & Lefevre
  • Tel: (015) 28.75.40
  • Email: info@notarissenveemarkt.be
  • Informations de visite
  • De sleutels kunnen tijdens de kantooruren worden afgehaald op het notariskantoor (elke werkdag tussen 9u-12u30 en 13u30-17u30 en op vrijdag tussen 9u-12u30) mits tel. reservatie.

Maisons

36 Abeelstraat, 2800 Mechelen

Faire offre à partir de
100 000 €

Image de présentation du bien n° 290704
Vente publique
  • Référence: 290704
  • Bien situé, maison dans un quartier calme. Disposition : Sous-sol : cave. Rez-de-chaussée : hall d’entrée avec escalier, salon, salle à manger, cuisine, salle de bain et jardin. Premier étage : (accès par escalier) hall de nuit, 1 chambre à l’avant et 2 chambres à l’arrière. Pas de droit de préemption / Attestation de sol vierge / Revenu cadastral : non encore enregistré / Surface : 213 m² / Installation électrique - non conforme / Certificat de performance énergétique (EPC) : 473 kWh/m² (label E) / Non sécurisé contre l'amiante / Inscrit à l'inventaire du patrimoine architectural sous le nom de Jardin de la Maison Libre / Pas de bois / Non situé dans une zone d’inondation réelle ou potentielle – score de terrain A et score de bâtiment A / Non situé dans une zone à risque d’inondation / Prix de départ : 100.000,00 € / Disponible immédiatement après paiement du prix d'achat et des frais. ATTENTION ! CONDITIONS DE VENTE ESSENTIELLES/SPÉCIFIQUES associées à la vente, voir conditions de vente. Visite : Les clés peuvent être retirées pendant les heures de bureau au cabinet notarial (chaque jour ouvrable entre 9h00 – 12h30 et 13h30 – 17h30 ; vendredi de 9h00 à 12h30) sur réservation téléphonique. SEUL JOUR DE VENTE : mercredi 7 janvier 2026 à 14h00 au Centre de Services Locaux Den Abeel, à 2800 Malines, Jozef Verbertstraat 61. Les acheteurs mariés doivent être en possession de leur livret de famille et, le cas échéant, de leur contrat de mariage. Pour plus d’informations, veuillez contacter le cabinet du notaire en charge de la vente. G score: A P score: A
  • Nombre de chambres: 3
  • Nombre de salles de bains: 1
  • Libre à partir du: autre
  • Notariskantoor Huygens & Lefevre
  • Personne de contact: Kantoor Not. Huygens & Lefevre
  • Tel: (015) 28.75.40
  • Email: info@notarissenveemarkt.be
  • Informations de visite
  • De sleutels kunnen tijdens de kantooruren worden afgehaald op het notariskantoor (elke werkdag tussen 9u-12u30 en 13u30-17u30 en op vrijdag tussen 9u-12u30) mits tel. reservatie.

Maisons

336 Tervuursesteenweg, 2800 Mechelen

Faire offre à partir de
100 000 €

Image de présentation du bien n° 290700
Vente publique
  • Référence: 290700
  • Bien situé, maison dans un quartier calme. Disposition : Sous-sol : cave Rez-de-chaussée : hall d’entrée avec escalier, salon, salle à manger, cuisine, salle de bain, débarras et jardin. Premier étage : (accès par escalier) hall de nuit, 1 chambre à l’avant et 2 chambres à l’arrière. Deuxième étage : grenier. Pas de droit de préemption / Attestation de sol vierge / Revenu cadastral : 280,00 € / Surface : 172 m² / Installation électrique - non conforme / Certificat de performance énergétique (EPC) : 963 kWh/m² (label F) / Non sécurisé contre l'amiante / Inscrit à l'inventaire du patrimoine architectural sous le nom de Jardin de la Maison Libre / Pas de bois / Non situé dans une zone d’inondation réelle ou potentielle – score de terrain B et score de bâtiment B / Non situé dans une zone à risque d’inondation / Prix de départ : 100.000,00 € / Disponible immédiatement après paiement du prix d'achat et des frais. ATTENTION ! CONDITIONS DE VENTE ESSENTIELLES/SPÉCIFIQUES associées à la vente, voir conditions de vente. Visite : Les clés peuvent être retirées pendant les heures de bureau au cabinet notarial (chaque jour ouvrable entre 9h00 – 12h30 et 13h30 – 17h30 ; vendredi de 9h00 à 12h30) sur réservation téléphonique. SEUL JOUR DE VENTE : mercredi 7 janvier 2026 à 14h00 au Centre de Services Locaux Den Abeel, à 2800 Malines, Jozef Verbertstraat 61. Les acheteurs mariés doivent être en possession de leur livret de famille et, le cas échéant, de leur contrat de mariage. Pour plus d’informations, veuillez contacter le cabinet du notaire en charge de la vente. G score: B P score: B
  • Nombre de chambres: 3
  • Superficie habitable: 129m2
  • Nombre de salles de bains: 1
  • Revenu Cadastral: 280 €
  • Libre à partir du: autre
  • Notariskantoor Huygens & Lefevre
  • Personne de contact: Kantoor Not. Huygens & Lefevre
  • Tel: (015) 28.75.40
  • Email: info@notarissenveemarkt.be
  • Informations de visite
  • De sleutels kunnen tijdens de kantooruren worden afgehaald op het notariskantoor (elke werkdag tussen 9u-12u30 en 13u30-17u30 en op vrijdag tussen 9u-12u30) mits tel. reservatie.

Terrains

Deiffelt, 6670 Gouvy

Faire offre à partir de
60 000 €

Image de présentation du bien n° 290682
Vente publique en ligne
  • Référence: 290682
  • Saisissez l’opportunité d’acquérir un terrain de 23 ares 30 centiares (lot 2) à Deiffelt, situé à quelques minutes de la frontière luxembourgeoise. Ce terrain spacieux, a proximité d'une rue passante, offre une excellente visibilité et un accès pratique tout en bénéficiant d'un cadre verdoyant. Caractéristiques : - Surface de 23 ares 30 centiares, idéale pour vos projets - Accès direct à une rue passante, bonne visibilité - Terrain plat et dégagé avec vue sur les espaces verts alentours - Proximité immédiate de la frontière luxembourgeoise et des commodités locales Ne laissez pas passer cette belle opportunité dans un secteur prisé et dynamique !
  • Vente en cours
  • Date de début: 12/01/2026 14:00
  • Date de fin: 20/01/2026 14:00
  • Pas d'enchère: 1000 €
  • Libre à partir du: A l'acte
  • Pierre COTTIN & Caroline MONSEUR - Société Notariale
  • Personne de contact: Lisa FRANSOLET
  • Tel: 080 41 01 84
  • Email: lisa.fransolet.129486@belnot.be

Autre

46 Rue de l'Union, 7100 Haine-Saint-Pierre

Faire offre à partir de
170 000 €

Image de présentation du bien n° 290712
Vente de gré à gré
  • Référence: 290712
  • Complexe immobilier polyvalent proposé à la vente à partir de 170.000 €. Le bien comprend un hangar doté de bureaux, offrant de nombreuses possibilités suivi d’une annexe actuellement à usage de studio composé d’un living , d’une cuisine équipée, d’une chambre, ainsi que d’un coin salle de bain avec douche, évier et toilette. Une pièce supplémentaire vient compléter l’espace et peut être utilisée selon les besoins comme bureau, rangement ou espace de vie additionnel. Vous trouverez également un studio d’enregistrement, idéal pour une activité musicale. Le complexe dispose également d’un garage séparé, pratique pour le stationnement ou le stockage. Le bien présente une contenance de 6 ares et un revenu cadastral de 1.251 € (sous réserve du contrôle du cadastre). L’ensemble constitue une opportunité intéressante pour un investisseur, un indépendant ou toute personne recherchant un bien combinant habitation et espace professionnel. Les visites se font uniquement sur rendez-vous au numéro suivant :0495 57 84 16.
  • Libre à partir du: A l'acte
  • Thierry BRICOUT, Notaire
  • Personne de contact: Sandy LUFRANO
  • Tel: (064) 22.13.52
  • Email: sandy.lufrano.130922@belnot.be
  • Informations de visite
  • sur rendez-vous au 0495 57 84 16.

Terrains

Hoogbeemden, 3850 Binderveld

Faire offre à partir de
89 125 €

Image de présentation du bien n° 290714
Vente de gré à gré
  • Référence: 290714
  • P score: D
  • Libre à partir du: A définir
  • Notaris Tatiana Budo
  • Personne de contact: Ine THEWIS
  • Tel: (011) 68.20.60
  • Email: ine.thewis@notarisbudo.be

Maisons

2 Deken Rochettelaan, 3300 Tienen

Faire offre à partir de
220 000 €

Image de présentation du bien n° 290715
Vente publique en ligne
  • Référence: 290715
  • Dans la charmante ville de Tirlemont, vous trouverez cette maison rurale de caractère, que vous pourrez transformer en votre propre maison. Située à proximité des écoles, des commerces et des restaurants. La maison date des années 1960. Elle est située sur un terrain de 7a 37ca. Sa bonne accessibilité est un atout majeur, car elle se trouve à seulement 8 minutes de Tirlemont et à 30 minutes de Louvain. Derrière cette façade se trouvent, au premier étage, 4 chambres spacieuses, un hall de nuit et un dressing/débarras. Au rez-de-chaussée, vous trouverez un hall d'entrée, un salon, une salle à manger, un coin salon, une cuisine, un débarras, des toilettes et une salle de bains. Au sous-sol, vous trouverez deux espaces de rangement. Il y a également un garage indépendant. G score: A P score: A
  • Nombre de chambres: 4
  • Superficie habitable: 152m2
  • Nombre de salles de bains: 1
  • Vente en cours
  • Date de début: 13/01/2026 13:00
  • Date de fin: 21/01/2026 13:00
  • Pas d'enchère: 1000 €
  • Revenu Cadastral: 1236 €
  • Libre à partir du: A l'acte
  • SMETS & DENRUYTER
  • Personne de contact: Femke HERROELEN
  • Tel: (016) 77.70.16
  • Email: femke.herroelen.172833@belnot.be
  • Informations de visite
  • Tous les mercredis de 14h-17h et tous les samedis de 14h-17h, ainsi que sur rendez-vous pris par téléphone, et ce du mercredi 10 décembre 2025 au vendredi 17 janvier 2025 inclus

Garages

19+ Rue Sablonnière, 7012 Jemappes

Faire offre à partir de
15 000 €

Image de présentation du bien n° 290638
Vente de gré à gré
  • Référence: 290638
  • Ensemble de 2 garages à vendre en lot ou séparément, d'une contenance de 17 ca chacun. Faire offre à partir de 15 000 euros/garage. Le garage n°3 est libre et le garage n°4 est loué
  • Revenu Cadastral: 62 €
  • Libre à partir du: A définir
  • NOTAGO, société notariale
  • Personne de contact: Isabelle ZICOT
  • Tel: (065) 35.20.03
  • Email: isabelle.zicot.131094@belnot.be
  • Informations de visite
  • Clés en l'étude

Maisons

58 Ieperstraat, 2300 Turnhout

Faire offre à partir de
245 000 €

Image de présentation du bien n° 290717
Vente de gré à gré
  • Référence: 290717
  • G score: A P score: A
  • Nombre de chambres: 2
  • Revenu Cadastral: 356 €
  • Libre à partir du: A l'acte
  • NOTARIS FREDERIC ROSART
  • Personne de contact: Yves STAMMEN
  • Tel: (014) 41.69.31
  • Email: notariaat@notarisrosart.be
  • Informations de visite
  • Op afspraak

Maisons

212 Tolhuislaan, 9000 Gent

Faire offre à partir de
150 000 €

Image de présentation du bien n° 290500
Vente publique en ligne
  • Référence: 290500
  • Maison mitoyenne en centre-ville nécessitant des travaux de rénovation, comprenant un sous-sol, un rez-de-chaussée, deux étages et des combles. Inscrite à l'inventaire des logements insalubres et au registre des demandes de réparation (assignation). G score: A P score: A
  • Nombre de chambres: 4
  • Nombre de salles de bains: 1
  • Vente en cours
  • Date de début: 08/01/2026 13:00
  • Date de fin: 16/01/2026 13:00
  • Pas d'enchère: 1000 €
  • Revenu Cadastral: 448 €
  • Libre à partir du: A l'acte
  • Notaris Luc Jansen
  • Personne de contact: Kantoor Not. Luc Jansen
  • Tel: (09) 225.28.55
  • Email: info@notariaatjansen.be
  • Informations de visite
  • La propriété peut être visitée par les acheteurs potentiels tous les mercredis de 16h00 à 18h00 et tous les samedis de 10h00 à 12h00, du samedi 3 janvier 2026 au mercredi 14 janvier 2026.

Maisons

279 Rue de Fleurjoux, 6220 Fleurus

Faire offre à partir de
225 000 €

Image de présentation du bien n° 290690
Vente de gré à gré
  • Référence: 290690
  • Charmante maison 4 façades de plain-pied avec terrasse, garage et grand jardin d'une superficie totale de 12a 45ca Elle est composée d'un hall d'entrée en L, d'une cuisine, d'un living de +/- 32m², d'un WC, une SDD, 3 chambres (dont une petite), cave et d'un garage. Châssis DV PVC, chauffage central mazout, citerne d'eau de pluie, système d'alarme. Offre à partir de 225.000 euros. Pour les visites contacter l'étude au 071/82.30.30
  • Nombre de chambres: 3
  • Nombre de salles de bains: 1
  • Libre à partir du: A l'acte
  • Olivier VANDENBROUCKE, notaire
  • Personne de contact: Barbara PAOLI
  • Tel: (071) 82.30.30
  • Email: barbara.paoli.133256@belnot.be
  • Informations de visite
  • S'adresser en l'étude.

Maisons

20 Avenue Général Bertrand, 4600 Visé

Faire offre à partir de
170 000 €

Image de présentation du bien n° 290368
Vente publique en ligne
  • Référence: 290368
  • Maison d'habitation 3 façades avec petit jardin et garage non attenant sise à 4600 Visé Avenue Général Bertrand, 20 ( à l’angle de deux rues). Maison de ville dans quartier semi-résidentiel, à proximité du centre-ville et axes routiers, comprenant: SOUS-SOL (carrelé) : Dégagement (2.75x2.8), cave (3.9x.3.15), cave 2 (3.95x1.1), cave 3 (2.85x1.7), local chaufferie avec accès extérieur (3.4x2.5 – chaudière – chauffe-eau Weishaupt) et coin machines. REZ : Hall carrelé en « L » (3.4x1.68 et 1.8x1.4), WC suspendu avec lavabo (1.3x0.95), séjour sur parquet avec accès cuisine (4.4x3), cuisine semi-équipée carrelée avec porte accès extérieur (3.5x2.7 – mobilier – lavabo - lave-vaisselle– hotte – cuisinière gaz et combiné frigo-congélateur posé, salle-à-manger sur parquet (4.01x4.49). 1ER ETAGE (plancher) : Palier (2.45x2), chambre 1 (3.47x2.68), chambre 2 (4.4x3.1), salle d’eau carrelée en « L » (2.5x1.7 et 1.45x1.25 – meuble avec vasque – cabine douche – WC), chambre 3 (4.48x4). EXTERIEUR : petit jardin arboré avec en surplomb terrasse en bois et garage non-attenant. Chauffage central au gaz naturel (Chaudière - entretien en août 2025 et chauffe-eau récent), Châssis alu et bois pour portes, simple et double vitrage. Revenu cadastral non indexé : 706 euros Superficie du terrain d'assiette selon cadastre : 256 mètres carrés
  • Nombre de chambres: 3
  • Nombre de salles de bains: 1
  • Vente en cours
  • Date de début: 05/01/2026 13:30
  • Date de fin: 13/01/2026 13:30
  • Pas d'enchère: 1000 €
  • Revenu Cadastral: 706 €
  • Libre à partir du: A l'acte
  • ETUDE NOTARIALE DE LOUVEIGNE, société notariale
  • Personne de contact: Jennifer WESMAEL
  • Tel: (04) 360.01.40
  • Email: jennifer.wesmael.351976@belnot.be
  • Informations de visite
  • Sur place SANS RDV : mercredis 10/12, 17/12 & 24/12 & mardi 30/12 de 12h à 13h - samedis 13/12, 20/12&27/12 de 10h à 11h. Pendant enchères : Lu 5/1/26 - ma 6/1 - mercredi 7/1 - je 8/1&ve 9/1 de 12h à 13h. Sa10/1/26- lu12/1&ma13/1 de 10h à 11h

Maisons

18 Abeelstraat, 2800 Mechelen

Faire offre à partir de
100 000 €

Image de présentation du bien n° 290711
Vente publique
  • Référence: 290711
  • Maison bien située dans un quartier calme. Description : Sous-sol : cave. Rez-de-chaussée : hall d'entrée avec escalier, salon, cuisine, salle de bains, véranda et jardin. Premier étage : (accessible par un escalier en bois) palier, 1 chambre à l'avant et 2 chambres à l'arrière (dont 1 avec WC). Deuxième étage : grenier. Aucun droit de préemption / Certificat de sol vierge / Revenu cadastral : 280,00 € / Surface : 364 m² / Installation électrique - non conforme / DPE : 973 kWh/m² (label F) / Non conforme aux normes d'absence d'amiante / Inscrit dans l'inventaire du patrimoine architectural sous le nom de Jardin de la libre habitation / Pas de zone boisée / Pas situé dans une zone sensible aux inondations, ni dans une zone de risque d'inondation – score du terrain A et score du bâtiment A / Prix de mise à prix : 100.000,00 € / Disponible immédiatement après paiement du prix d'achat et des frais. ATTENTION ! CONDITIONS DE VENTE ESSENTIELLES/SPECIFIQUES liées à la vente, voir conditions de vente. Visite : Les clés peuvent être retirées pendant les heures de bureau au cabinet notarial (chaque jour ouvrable entre 9h00 - 12h30 et 13h30 - 17h30 ; vendredi de 9h00 à 12h30) sur réservation téléphonique. DATE DE VENTE UNIQUE : mercredi 7 janvier 2026 à 14h00 au Centre de Services Locaux Den Abeel, 2800 Malines, Jozef Verbertstraat 61. Les acheteurs mariés doivent être en possession de leur livret de famille et, le cas échéant, de leur contrat de mariage. Pour plus de renseignements, veuillez contacter le bureau du notaire vendeur. G score: A P score: A
  • Nombre de chambres: 3
  • Superficie habitable: 84m2
  • Nombre de salles de bains: 1
  • Revenu Cadastral: 280 €
  • Libre à partir du: autre
  • Notariskantoor Huygens & Lefevre
  • Personne de contact: Kantoor Not. Huygens & Lefevre
  • Tel: (015) 28.75.40
  • Email: info@notarissenveemarkt.be
  • Informations de visite
  • De sleutels kunnen tijdens de kantooruren worden afgehaald op het notariskantoor (elke werkdag tussen 9u-12u30 en 13u30-17u30 en op vrijdag tussen 9u-12u30) mits tel. reservatie.

Maisons

8 Vorsenborgstraat, 2800 Mechelen

Faire offre à partir de
100 000 €

Image de présentation du bien n° 290709
Vente publique
  • Référence: 290709
  • Maison bien située dans un quartier calme. Description : Sous-sol : cave. Rez-de-chaussée : hall d'entrée avec escalier, salon/salle à manger, cuisine, salle de bains, véranda et jardin. Premier étage : (accessible par un escalier en bois) palier, 1 chambre à l'avant et 2 chambres à l'arrière. Deuxième étage : grenier Aucun droit de préemption / Certificat de sol vierge / Revenu cadastral : 317,00 € / Surface : 186 m² / Installation électrique - non conforme / DPE : 942 kWh/m² (label F) / Non conforme aux normes d'absence d'amiante / Inscrit dans l'inventaire du patrimoine architectural sous le nom de Jardin de la libre habitation / Pas de zone boisée / Pas situé dans une zone sensible aux inondations, ni dans une zone de risque d'inondation – score du terrain A et score du bâtiment A / Prix de mise à prix : 100.000,00 € / Disponible immédiatement après paiement du prix d'achat et des frais. ATTENTION ! CONDITIONS DE VENTE ESSENTIELLES/SPECIFIQUES liées à la vente, voir conditions de vente. Visite : Les clés peuvent être retirées pendant les heures de bureau au cabinet notarial (chaque jour ouvrable entre 9h00 - 12h30 et 13h30 - 17h30 ; vendredi de 9h00 à 12h30) sur réservation téléphonique. DATE DE VENTE UNIQUE : mercredi 7 janvier 2026 à 14h00 au Centre de Services Locaux Den Abeel, 2800 Malines, Jozef Verbertstraat 61. Les acheteurs mariés doivent être en possession de leur livret de famille et, le cas échéant, de leur contrat de mariage. Pour plus de renseignements, veuillez contacter le bureau du notaire vendeur. G score: A P score: A
  • Nombre de chambres: 3
  • Superficie habitable: 124m2
  • Nombre de salles de bains: 1
  • Revenu Cadastral: 317 €
  • Libre à partir du: autre
  • Notariskantoor Huygens & Lefevre
  • Personne de contact: Kantoor Not. Huygens & Lefevre
  • Tel: (015) 28.75.40
  • Email: info@notarissenveemarkt.be
  • Informations de visite
  • De sleutels kunnen tijdens de kantooruren worden afgehaald op het notariskantoor (elke werkdag tussen 9u-12u30 en 13u30-17u30 en op vrijdag tussen 9u-12u30) mits tel. reservatie.

Maisons

4 Beukstraat, 2800 Mechelen

Faire offre à partir de
100 000 €

Image de présentation du bien n° 290707
Vente publique
  • Référence: 290707
  • Bien situé, maison dans un quartier calme. Disposition : Sous-sol : cave. Rez-de-chaussée : hall d’entrée avec escalier, salon, WC séparé, véranda et jardin. Premier étage : (accès par escalier) hall de nuit, 1 chambre à l’avant, salle de bain et 1 chambre à l’arrière. Deuxième étage : grenier. Pas de droit de préemption / Attestation de sol vierge / Revenu cadastral : non encore enregistré / Surface : 224 m² / Installation électrique - non conforme / Certificat de performance énergétique (EPC) : 1015 kWh/m² (label F) / Non sécurisé contre l’amiante / Inscrit à l'inventaire du patrimoine architectural sous le nom de Jardin de la Maison Libre / Pas de bois / Non situé dans une zone d’inondation réelle ou potentielle – score de terrain A et score de bâtiment A / Non situé dans une zone à risque d’inondation / Inscrit à l'inventaire des bâtiments inhabités et inadaptés / Prix de départ : 100.000,00 € / Disponible immédiatement après paiement du prix d'achat et des frais. ATTENTION ! CONDITIONS DE VENTE ESSENTIELLES/SPÉCIFIQUES associées à la vente, voir conditions de vente. Visite : Les clés peuvent être retirées pendant les heures de bureau au cabinet notarial (chaque jour ouvrable entre 9h00 – 12h30 et 13h30 – 17h30 ; vendredi de 9h00 à 12h30) sur réservation téléphonique. SEUL JOUR DE VENTE : mercredi 7 janvier 2026 à 14h00 au Centre de Services Locaux Den Abeel, à 2800 Malines, Jozef Verbertstraat 61. Les acheteurs mariés doivent être en possession de leur livret de famille et, le cas échéant, de leur contrat de mariage. Pour plus d’informations, veuillez contacter le cabinet du notaire en charge de la vente. G score: A P score: A
  • Nombre de chambres: 3
  • Superficie habitable: 114m2
  • Nombre de salles de bains: 1
  • Libre à partir du: autre
  • Notariskantoor Huygens & Lefevre
  • Personne de contact: Kantoor Not. Huygens & Lefevre
  • Tel: (015) 28.75.40
  • Email: info@notarissenveemarkt.be
  • Informations de visite
  • De sleutels kunnen tijdens de kantooruren worden afgehaald op het notariskantoor (elke werkdag tussen 9u-12u30 en 13u30-17u30 en op vrijdag tussen 9u-12u30) mits tel. reservatie.

Maisons

12 Matigheidstraat, 2800 Mechelen

Faire offre à partir de
100 000 €

Image de présentation du bien n° 290705
Vente publique
  • Référence: 290705
  • Bien situé, maison dans un quartier calme. Disposition : Sous-sol : cave. Rez-de-chaussée : hall d’entrée avec escalier, salon, salle à manger, cuisine, salle de bain, WC séparé et jardin. Premier étage : (accès par escalier) hall de nuit, 1 chambre à l’avant et 2 chambres à l’arrière. Deuxième étage : grenier. Pas de droit de préemption / Attestation de sol vierge / Revenu cadastral : deux cent quarante euros (€ 240,00) / Surface : 448 m² / Installation électrique - non conforme / Certificat de performance énergétique (EPC) : 497 kWh/m² (label E) / Sécurité contre l’amiante / Inscrit à l'inventaire du patrimoine architectural sous le nom de Jardin de la Maison Libre / Pas de bois / Non situé dans une zone d’inondation réelle ou potentielle – score de terrain et score de bâtiment D / Non situé dans une zone à risque d’inondation / Prix de départ : 100.000,00 € / Disponible immédiatement après paiement du prix d'achat et des frais. ATTENTION ! CONDITIONS DE VENTE ESSENTIELLES/SPÉCIFIQUES associées à la vente, voir conditions de vente. Visite : Les clés peuvent être retirées pendant les heures de bureau au cabinet notarial (chaque jour ouvrable entre 9h00 – 12h30 et 13h30 – 17h30 ; vendredi de 9h00 à 12h30) sur réservation téléphonique. SEUL JOUR DE VENTE : mercredi 7 janvier 2026 à 14h00 au Centre de Services Locaux Den Abeel, à 2800 Malines, Jozef Verbertstraat 61. Les acheteurs mariés doivent être en possession de leur livret de famille et, le cas échéant, de leur contrat de mariage. Pour plus d’informations, veuillez contacter le cabinet du notaire en charge de la vente. G score: D P score: D
  • Nombre de chambres: 3
  • Superficie habitable: 130m2
  • Nombre de salles de bains: 1
  • Revenu Cadastral: 240 €
  • Libre à partir du: autre
  • Notariskantoor Huygens & Lefevre
  • Personne de contact: Kantoor Not. Huygens & Lefevre
  • Tel: (015) 28.75.40
  • Email: info@notarissenveemarkt.be
  • Informations de visite
  • De sleutels kunnen tijdens de kantooruren worden afgehaald op het notariskantoor (elke werkdag tussen 9u-12u30 en 13u30-17u30 en op vrijdag tussen 9u-12u30) mits tel. reservatie.

Maisons

314 Tervuursesteenweg, 2800 Mechelen

Faire offre à partir de
120 000 €

Image de présentation du bien n° 290699
Vente publique
  • Référence: 290699
  • Bien situé, maison dans un quartier calme. Disposition : Sous-sol : cave. Rez-de-chaussée : hall d’entrée avec escalier, salon, cuisine, salle de bain, débarras et jardin. Premier étage : (accès par un escalier en bois) hall de nuit, 1 chambre à l'avant et 2 chambres à l'arrière. Deuxième étage : (accès par un escalier) grenier. Pas de droit de préemption / Attestation de sol vierge / Revenu cadastral : non encore enregistré / Surface : 178 m² / Installation électrique - non conforme / Certificat de performance énergétique (EPC) : 363 kWh/m² (label D) / Sécurité contre l'amiante / Inscrit à l'inventaire du patrimoine architectural sous le nom de Jardin de la Maison Libre / Pas de bois / Non situé dans une zone d'inondation réelle ou potentielle – score de terrain C et score de bâtiment A / Non situé dans une zone à risque d’inondation / Prix de départ : 120.000,00 € / Disponible immédiatement après paiement du prix d'achat et des frais. ATTENTION ! CONDITIONS DE VENTE ESSENTIELLES/SPÉCIFIQUES associées à la vente, voir conditions de vente. Visite : Les clés peuvent être retirées pendant les heures de bureau au cabinet notarial (chaque jour ouvrable entre 9h00 – 12h30 et 13h30 – 17h30 ; vendredi de 9h00 à 12h30) sur réservation téléphonique. SEUL JOUR DE VENTE : mercredi 7 janvier 2026 à 14h00 au Centre de Services Locaux Den Abeel, à 2800 Malines, Jozef Verbertstraat 61. Les acheteurs mariés doivent être en possession de leur livret de famille et, le cas échéant, de leur contrat de mariage. Pour plus d’informations, veuillez contacter le cabinet du notaire en charge de la vente. G score: A P score: C
  • Nombre de chambres: 3
  • Superficie habitable: 126m2
  • Nombre de salles de bains: 1
  • Libre à partir du: autre
  • Notariskantoor Huygens & Lefevre
  • Personne de contact: Kantoor Not. Huygens & Lefevre
  • Tel: (015) 28.75.40
  • Email: info@notarissenveemarkt.be
  • Informations de visite
  • De sleutels kunnen tijdens kantooruren worden afgehaald op het notariskantoor (elke werkdag tussen 9u-12u30 en 13u30-17u30 en op vrijdag tussen 9u-12u30) mits tel. reservatie.

Maisons

193 Rue Victor Delporte, 7370 Dour

Faire offre à partir de
190 000 €

Image de présentation du bien n° 290666
Vente de gré à gré
  • Référence: 290666
  • Superficie : 2215 m2 – Revenu cadastral total : 338,00 EUR État : bon état, libre d’occupation à l’acte Rez-de-chaussée : hall d’entrée avec bureau sur la droite et WC séparé, d’un living agrémenté d’une cassette à bois, cuisine équipée : un évier avec égouttoir, une plaque vitrocéramique, une hotte et un four. Garage : garage avec porte électrique et espace de rangement, d’une buanderie équipée d’une douche et d’un puits de lumière. Sous-sol : Une cave sèche 1er étage : hall de nuit, de deux chambres (l’une avec parquet, l’autre avec moquette), ainsi que d’une salle de bains comprenant un WC, un meuble avec deux lavabos et un accès au grenier Grenier : non aménageable. Extérieur : magnifique jardin avec terrasse équipée d’une tente solaire électrique, d’une remise en dur et d’un verger. Un passage carrossable situé sur le côté gauche sert de servitude pour les maisons voisines. Commodités : Châssis en bois double vitrage. Toiture en ardoise isolée et en bon état. Convecteurs électriques. Citerne d’eau de pluie avec groupe hydrophore reliée aux deux WC, aux machines et à un robinet de service extérieur ; ? Rapport de conformité électrique disponible ? PEB : F
  • Nombre de chambres: 2
  • Revenu Cadastral: 338 €
  • Libre à partir du: A l'acte
  • Jean-Charles DASSELEER, Notaire
  • Personne de contact: Stefano VACCA
  • Tel: (065) 78.43.32
  • Email: stefano.vacca.133066@belnot.be
  • Informations de visite
  • sur RDV avec l'Etude

Maisons

9 Rue Jean Deremince, 5000 Beez

Faire offre à partir de
295 000 €

Image de présentation du bien n° 290197
Vente de gré à gré
  • Référence: 290197
  • Idéalement située, à proximité des commerces et des axes routiers Maison 4 façades avec jardin et terrasse . Superficie du terrain : 25a08ca - Revenu cadastral : 1125 € Superficie habitable : 210 m² Composition : Sous-sol : 1 cave Rez-de-chaussée : Hall d'entrée avec un wc et lave-mains, Salon, Salle à manger, Cuisine ouverte, Buanderie, Bureau, Salle de douche. ETAGE : Hall de nuit, Chambre n°1, Chambre n°2, Chambre n°3, Mezzanine , Bureau, Salle de douche avec wc. Grenier aménageable (36m²) 2 pièces. Garage: 2 voitures Autre : Atelier et Chaufferie Informations pratiques : Chauffage central au mazout, Châssis en bois double vitrage bon état , Toit : Ardoises naturelles bon état. Etat général : à rafraichir Prix : 295.000,00€ sauf offre supérieure Accessibilité : Bien desservi par les transports en commun, proche de Namur, des écoles et des commerces Visites sur rendez-vous. Pour tout renseignement, téléphoner à l'étude au 081/22.01.57.
  • Nombre de chambres: 3
  • Superficie habitable: 210m2
  • Revenu Cadastral: 1125 €
  • Libre à partir du: A l'acte
  • Damien LE CLERCQ, Société Notariale
  • Personne de contact: Marie-Laure GODFROID
  • Tel: (081) 22.01.57
  • Email: marielaure.godfroid.133843@belnot.be
  • Informations de visite
  • Visites sur rendez-vous avec Madame GODFROID Marie-Laure au 081/22.01.57

Terrains

124 Denderbellestraat, 9200 Sint-Gillis-bij-Dendermonde

Faire offre à partir de
140 000 €

Image de présentation du bien n° 290141
Vente publique en ligne
  • Référence: 290141
  • P score: B
  • Vente en cours
  • Date de début: 13/01/2026 12:00
  • Date de fin: 21/01/2026 12:00
  • Pas d'enchère: 1000 €
  • Revenu Cadastral: 3 €
  • Libre à partir du: Immédiatement
  • Laura Jacobs, Notarisvennootschap
  • Personne de contact: Laura JACOBS
  • Tel: (052) 20.28.59
  • Email: info@notarisjacobs.be

Maisons

35 Rue de la Praye, 6200 Châtelet

Faire offre à partir de
95 000 €

Image de présentation du bien n° 290519
Vente de gré à gré
  • Référence: 290519
  • Ce bien se compose au rez: salle à manger, salon, cuisine semi-équipée, salle de douche; à l'étage: palier, 2 chambres; grenier aménagé en 2 chambres. Caves. Terrasse avec jardin. Raccordée à l'égout. Superficie : 1 are - Rc : 312 €. Poêles au gaz. Châssis DV en PVC et en alu.
  • Nombre de chambres: 4
  • Nombre de salles de bains: 1
  • Revenu Cadastral: 312 €
  • Libre à partir du: A l'acte
  • Sophie BELLOTTO, Notaire
  • Personne de contact: Isabelle CARLIER
  • Tel: (071) 38.11.85
  • Email: isabelle.carlier.223258@belnot.be
  • Informations de visite
  • Contacter l'étude au 071/38.11.85

Maisons

55 Laurys Gewatstraat, 2560 Nijlen

Faire offre à partir de
320 000 €

Image de présentation du bien n° 290636
Vente publique en ligne
  • Référence: 290636
  • Maison semi-ouverte à rénover avec potentiel et grand jardin à aménager, située dans un bon emplacement. Disposition : rez-de-chaussée : entrée avec toilettes, salon, cuisine, véranda, arrière-cuisine et garage. Au premier étage : hall, 3 chambres, salle de bains avec baignoire et lavabo et débarras. G score: D P score: D
  • Nombre de chambres: 3
  • Superficie habitable: 187m2
  • Nombre de salles de bains: 1
  • Vente en cours
  • Date de début: 12/01/2026 12:00
  • Date de fin: 20/01/2026 12:00
  • Pas d'enchère: 1000 €
  • Revenu Cadastral: 680 €
  • Libre à partir du: A l'acte
  • Van de Poel & Pinoy
  • Personne de contact: Anne MICHIELS
  • Tel: (015) 22.83.36
  • Email: anne@notarisvandepoel.be
  • Informations de visite
  • La maison peut être visitée les samedis suivants, entre 10h00 et 12h00 (sans rendez-vous préalable) : • Samedi 27 décembre 2025 ; • Samedi 3 janvier 2026 ; • Samedi 10 janvier 2026 ; • Samedi 17 janvier 2026.

Terrains

Linderstraat, 3700 Tongeren

Faire offre à partir de
195 000 €

Image de présentation du bien n° 290652
Vente de gré à gré
  • Référence: 290652
  • Indien u op zoek bent naar een bouwgrond in de meest residentiële villawijk van Tongeren (“Villawijk Romeinse Wallen”, gelegen tussen de Sint-Truidersteenweg en de Romeinse Kassei) mag u uw zoektocht staken. Wij bieden u een rustig gelegen perceel bouwgrond (kadastraal nummer 196M9 P0000), bestemd voor open bebouwing, gelegen op de hoek van de Linderstraat en Op de Steinberg. Dit mooie perceel van 8a88ca laat toe om binnen de voorschriften een gezinswoning in open bebouwing te construeren. Nevenbestemmingen (bv. vrij beroep) worden toegelaten, dit mits ze geen hinder vormen voor de woonkwaliteit. De voorschriften laten toe om een maximale bouwdiepte van 17 meter op het gelijkvloers en 12 meter op het verdiep. Het centrum van Tongeren bevindt zich binnen handbereik waar lokale handelaars, gezellige restaurants en leuke boetieks gevestigd zijn. Winkel, school, … ? Allemaal op wandelafstand. Verbinding met andere gemeenten is gewaarborgd door de nabijheid van de Sint-Truidersteenweg en de gemakkelijke toegang tot de E40. Heeft deze goed gelegen bouwgrond jouw interesse gewekt? Zit u nog met enkele vragen? U kan zich steeds wenden tot het notariskantoor. Bestemming: Woongebied. Niet gelegen in overstromingsgevoelig gebied of watergevoelig openruimtegebied.
  • Libre à partir du: A l'acte
  • Notaris Jean-Marie THIJS
  • Personne de contact: Kantoor Not. Jean-Marie Thijs
  • Tel: (012) 23.86.86
  • Email: info@notaris-thijs.be

Maisons

52 Rue du Trixhay, 4020 Wandre

Faire offre à partir de
180 000 €

Image de présentation du bien n° 290655
Vente de gré à gré
  • Référence: 290655
  • Cette maison d’habitation, située dans un quartier calme, à proximité de toutes commodités, d’une surface habitable de 151m² (selon PEB), se compose comme suit : Au sous-sol : de caves (65m²) ; Au rez-de-chaussée : d’un hall d’entrée (9m²), d’un living (25m²), d’une cuisine (12m²), d’un WC, et d’un garage (16m²) ; Et enfin, au premier étage : d’un hall de nuit (7m²), d’une salle de bain (4m²) et de trois chambres (20m²-20m²-13m²). Equipée de châssis double vitrage et de volets au rez-de-chaussée. Agrémentée d’un jardin orienté à l’ouest. Chauffage central au gaz. (PEB D – 335kWh/m².an –50452 kWh/an) (Électricité non-conforme -Compteur mono-horaire).
  • Nombre de chambres: 3
  • Superficie habitable: 151m2
  • Nombre de salles de bains: 1
  • Revenu Cadastral: 1028 €
  • Libre à partir du: A l'acte
  • Etude Notariale Rosu & Lemaire, Notaires associés
  • Personne de contact: Lévi ROSU
  • Tel: (04) 239.89.89
  • Email: notaire@rosu.be
  • Informations de visite
  • sur rendez-vous - Contacter l'étude : 04/239.89.89

Maisons

121 Chaussée Brunehaut, 7972 Quevaucamps

Faire offre à partir de
400 000 €

Image de présentation du bien n° 290659
Vente de gré à gré
  • Référence: 290659
  • OFFRE EN COURS 400.000 € Exceptionnel immeuble à usage de bureaux aux magnifiques finitions, comprenant de beaux espaces de réunion, de réception et d’archivage, avec possibilité de travailler sur plusieurs plateaux dans un bâtiment de belle volumétrie avec un équipement de bureaux (placards, mobiliers), d’éclairages, d’insonorisation, de climatisation, etc. de grand standing. Cuisine et commodités. Grand grenier isolé offrant beaux potentiels avec alimentations et câblages. 2 accès à la maison. 2 escaliers pour accéder aux étages. Aile attenante à l’arrière à parachever offrant une belle surface appelée à devenir une cuisine/espace de convivialité avec accès au jardin, espace réservé à l’accueil de sanitaires, douche ; très grand garage pour plusieurs véhicules/stockage/local technique. Parking aisé en façade avant. Grand terrain arrière sur environ 13 ares offrant de nombreuses possibilités et du parking, accessible par superbe carport sécurisé par un portail et permettant l’accès au terrain avec véhicules de toutes tailles et déchargement au sec et en sécurité de marchandises. Bien situé sur un axe offrant une belle visibilité (Chaussée Brunehault 121 à Quevaucamps, commune de Beloeil) et proche des autoroutes E19 et E42. Possibilité d’y établir une belle PME. Rénovation réfléchie aux fins d’offrir la possibilité de revenir en tout ou en partie à du logement. Plans disponibles Visite virtuelle via https://my.matterport.com/show/?m=Uw6qjmJAm1C
  • Nombre de chambres: 4
  • Revenu Cadastral: 854 €
  • Libre à partir du: A l'acte
  • Paul-Etienne et Pierre-Olivier CULOT, notaires associés
  • Personne de contact: Aurore VOS
  • Tel: (069) 68.91.11
  • Email: aurore.vos.128777@belnot.be
  • Informations de visite
  • Prendre rendez-vous en l'Etude des Notaires Associés Paul-Etienne et Pierre Olivier CULOT au 069/68.91.11

Maisons

136 Rachamps, 6600 Bastogne

Faire offre à partir de
310 000 €

Image de présentation du bien n° 290656
Vente de gré à gré
  • Référence: 290656
  • Maison d'habitation "Rachamps 136", construction ossature bois JUMATT de 2015, cadastrée Commune de BASTOGNE 4ème division Noville (82024) section B n° 475HP0000 et 475LP0000, RC 634€, sur et avec terrain de 34a 69ca, comprenant : rez : hall, séjour avec cuisine équipée et salon avec poêle à bois, salle de bains (évier, douche italienne, wc), garage avec porte d'accès terrasse (grenier via escalier escamotable) ; étage 1 : 4 chambres, grenier via escalier escamotable. Equipements : PEB A, toiture ardoises artificielles, châssis PVC double vitrage, pompe à chaleur, 12 panneaux photovoltaïques, électricité conforme, boiler thermodynamique, VMC double flux, alarme sécurité et incendie, vides ventilés, mini station d'épuration, citerne d'eau de pluie 10.000L. Extérieur : terrasse, accès latéral vers jardin, plan d'eau, abri pour animaux et volière. Vente sous régime des droits d'enregistrement. Le prix annoncé est une base de négociation n'engageant pas le vendeur. Les informations sont fournies à titre indicatif et non contractuel.
  • Nombre de chambres: 4
  • Superficie habitable: 165m2
  • Nombre de salles de bains: 1
  • Revenu Cadastral: 634 €
  • Libre à partir du: A l'acte
  • Quentin BOINET - société notariale
  • Personne de contact: Pascal LIEGEOIS
  • Tel: (061) 21.11.22
  • Email: pascal.liegeois.131656@belnot.be
  • Informations de visite
  • Sur rendez-vous via l'étude (061/21.11.22)

Maisons

53 Sint-Lambertusstraat, 2600 Berchem

Faire offre à partir de
165 000 €

Image de présentation du bien n° 290663
Vente publique en ligne
  • Référence: 290663
  • G score: B P score: B
  • Nombre de chambres: 2
  • Nombre de salles de bains: 1
  • Vente en cours
  • Date de début: 06/01/2026 13:00
  • Date de fin: 14/01/2026 13:00
  • Pas d'enchère: 1000 €
  • Revenu Cadastral: 490 €
  • Libre à partir du: A l'acte
  • De Ferm-Van Oostveldt, geassocieerde notarissen
  • Personne de contact: Kantoor Not. De Ferm & Van Oostveldt
  • Tel: (03) 645.40.44
  • Email: info@notarismerksem.be
  • Informations de visite
  • op maandag 15/12, 22/12, 29/12/25 van 16u-18u en op zaterdag 3/1, 10/1/26 van 11u-13u.

Maisons

3 rue de la gare, 6983 La Roche-en-Ardenne

Faire offre à partir de
90 000 €

Image de présentation du bien n° 288859
Vente publique en ligne
  • Référence: 288859
  • L'Etude Piérard & Dumoulin² vous présente cette maison 2 façades situées dans le centre de La Roche-en-Ardenne à proximité de toutes les commodités. Cette maison dispose d'une superficie habitable d'environ 150m² répartie sur 4 niveaux. Au rez-de-chaussée, le bien se compose d'une cuisine équipée avec salle à manger, un salon et un WC indépendant. Le premier étage est lui composé d'un hall de nuit, 2 chambres de 11m² et 13,5m², un WC indépendant et une salle de bains. Le deuxième étage est composé d'un second espace cuisine - salle à manger de 18m², une salle de douche, un WC indépendant et une troisième chambre. Au quatrième étage, nous retrouvons deux dernières chambres de 9m² chacune. La maison bénéficie également d'un sous-sol composé d'une partie cave et d'un garage une voiture accessible par l'arrière du bâtiment. La maison est chauffée via chauffage électrique et est en bon état général. Intéressés? Contactez-nous au 084/320.320.
  • Nombre de chambres: 5
  • Superficie habitable: 150m2
  • Nombre de salles de bains: 1
  • Vente en cours
  • Date de début: 26/01/2026 14:00
  • Date de fin: 03/02/2026 14:00
  • Pas d'enchère: 1000 €
  • Revenu Cadastral: 842 €
  • Libre à partir du: A l'acte
  • PIERARD & DUMOULIN²
  • Personne de contact: Guillaume DUMOULIN
  • Tel: (084) 32.03.20
  • Email: guillaume.dumoulin.460008@belnot.be

Maisons

26 Rue des Lilas, 6030 Goutroux

Faire offre à partir de
190 000 €

Image de présentation du bien n° 290651
Vente de gré à gré
  • Référence: 290651
  • Maison trois façades avec grand jardin comprenant : Rez-de-chaussée : un hall d’entrée, bureau, WC, salon, salle à manger, cuisine équipée donnant sur la terrasse, garage. 1er étage : hall de nuit, trois chambres et une salle de bain. Extérieur : terrasse, très grand jardin. Contenance totale : 21 ares 92 centiares. RC totale à confirmer : 681 €. PEB F : 493 kWh/m2.an. Les renseignements ci-dessus sont donnés à titre informatif et non contractuel.
  • Nombre de chambres: 3
  • Nombre de salles de bains: 1
  • Revenu Cadastral: 681 €
  • Libre à partir du: A l'acte
  • Ingrid DE WINTER - Notaire
  • Personne de contact: Laetitia BECKER
  • Tel: (071) 32.17.80
  • Email: laetitia.becker.126417@belnot.be
  • Informations de visite
  • Sur rendez-vous à prendre en l'Étude auprès de Madame BECKER

Garages

296 Chaussée de Bruxelles, 1300 Wavre

Faire offre à partir de
7 500 €

Image de présentation du bien n° 290634
Vente de gré à gré
  • Référence: 290634
  • Dans un immeuble récent sis à Wavre, Chaussée de Bruxelles n°296, 7 emplacements de parking intérieurs (numéros 2, 11, 21, 22, 23, 24 et 34) à vendre en lot ou séparément, proches des commodités et du centre de Wavre. Faire offre à partir de 7.500,00 € par emplacement.
  • Libre à partir du: A l'acte
  • HOUET & BRASSEUR, Notaires associés
  • Personne de contact: Pauline VAN ASBROECK
  • Tel: (010) 22.21.33
  • Email: pauline.vanasbroeck.130997@belnot.be
  • Informations de visite
  • Merci de contacter le 0475/20.01.36

Terrains

Romeveld, 3450 Geetbets

Faire offre à partir de
126 500 €

Image de présentation du bien n° 290672
Vente de gré à gré
  • Référence: 290672
  • P score: D
  • Libre à partir du: autre
  • Notaris Tatiana Budo
  • Personne de contact: Kantoor Not. Tatiana Budo
  • Tel: (011) 68.20.60
  • Email: tatiana.budo@belnot.be
  • Informations de visite
  • vrij

Terrains

26 Rue Baillet-Latour, 6761 Latour

Faire offre à partir de
140 000 €

Image de présentation du bien n° 290351
Vente de gré à gré
  • Référence: 290351
  • Parcelle de terrain située en zone d’habitat à caractère rural – 12a 88ca - Léger dénivelé apportant au terrain un caractère harmonieux. Entouré d’un magnifique mur en pierre, charme et cachet assuré. - Longueur : 46m longé par une voie communale sans issue. - Largeur : 24,60m longé par une route communale. - Quartier paisible, environnement verdoyant et arboré. Moins d’1 Km des balades du Ravel - Accès aisé aux grands axes, aux écoles et aux commerces. Lignes de bus et gare à proximité.
  • Libre à partir du: A l'acte
  • Aurore FOURNIRET société notariale
  • Personne de contact: Thiebaud DELMELLE
  • Tel: (063) 57.70.62
  • Email: thiebaud.delmelle.128090@belnot.be

Terrains

Romeveld, 3450 Geetbets

Faire offre à partir de
41 687 €

Image de présentation du bien n° 290673
Vente de gré à gré
  • Référence: 290673
  • P score: D
  • Libre à partir du: autre
  • Notaris Tatiana Budo
  • Personne de contact: Kantoor Not. Tatiana Budo
  • Tel: (011) 68.20.60
  • Email: tatiana.budo@belnot.be
  • Informations de visite
  • vrij

Terrains

Romeveld, 3450 Geetbets

Faire offre à partir de
92 000 €

Image de présentation du bien n° 290674
Vente de gré à gré
  • Référence: 290674
  • P score: A
  • Libre à partir du: A définir
  • Notaris Tatiana Budo
  • Personne de contact: Ine THEWIS
  • Tel: (011) 68.20.60
  • Email: ine.thewis@notarisbudo.be
  • Informations de visite
  • Vrij te bezoeken

Maisons

14 Avenue Marie-Thérèse, 4900 Spa

Faire offre à partir de
198 000 €

Image de présentation du bien n° 290426
Vente de gré à gré
  • Référence: 290426
  • L'Etude des Notaires GUYOT & CREMER a le plaisir de vous proposer à la vente cette CHARMANTE MAISON SPADOISE À RÉNOVER, idéalement située sur les hauteurs, dans le quartier prisé du "Waux-Hall". Ce bien bénéficie d’un emplacement privilégié, dans une rue calme, tout en étant à proximité immédiate de toutes les commodités telles que la gare, les arrêts de bus et les commerces du centre-ville. Le bien est composé comme suit : Hall d'entrée, salon avec loggia, salle à manger, cuisine (à installer) donnant accès au jardinet arrière orienté plein Sud. À l'étage : hall de nuit, chambre parentale avec balcon (16 m²), seconde chambre (14 m²), bureau, cagibi et salle de bains (évier, baignoire, WC). Au sous-sol : hall de cave, garage pouvant accueillir un véhicule, buanderie/chaufferie, ainsi que 2 petites caves de rangement. Techniques : Chauffage central au mazout, citerne de 2500L, châssis simple vitrage bois, électricité non conforme (mono-horaire). Revenu cadastral : 892 €. PEB : G – "604 kWh/m².an" – 80.230 kWh/an (référence n° 20251010015447). Le prix affiché est une proposition indicative et n’engage en rien le vendeur. Prise de rendez-vous en l'étude GUYOT & CREMER : 087/77 10 72, ne tardez plus !
  • Nombre de chambres: 2
  • Superficie habitable: 110m2
  • Nombre de salles de bains: 1
  • Revenu Cadastral: 892 €
  • Libre à partir du: A l'acte
  • GUYOT & CREMER, notaires associés
  • Personne de contact: Aline SCHMITZ
  • Tel: (087) 77.10.72
  • Email: aline.schmitz.460044@belnot.be

Maisons

68 Rue de Carignan, 6820 Florenville

Faire offre à partir de
270 000 €

Image de présentation du bien n° 290662
Vente de gré à gré
  • Référence: 290662
  • Vous rêvez d’espace, de lumière et d’un jardin plein sud ? Découvrez cette spacieuse maison familiale située Rue de Carignan 68 à Florenville Ses atouts : • 6 chambres + bureau • 2 salles de bain • Cuisine équipée • Grand salon – salle à manger lumineux • Terrasse & jardin orienté sud • 2 garages, cave et abri de jardin • Chauffage central – PEB D – Châssis double vitrage Un cadre de vie paisible, proche de tout, parfait pour accueillir votre famille
  • Nombre de chambres: 5
  • Nombre de salles de bains: 2
  • Revenu Cadastral: 1257 €
  • Libre à partir du: A l'acte
  • Christophe VAZQUEZ & Marie GERARD - Notaires associés
  • Personne de contact: Belinda HEINEN
  • Tel: (061) 31.14.77
  • Email: belinda.heinen.126615@belnot.be

Terrains

Gebranden Bos, 3850 Binderveld

Faire offre à partir de
86 250 €

Image de présentation du bien n° 290676
Vente de gré à gré
  • Référence: 290676
  • P score: D
  • Libre à partir du: autre
  • Notaris Tatiana Budo
  • Personne de contact: Kantoor Not. Tatiana Budo
  • Tel: (011) 68.20.60
  • Email: tatiana.budo@belnot.be
  • Informations de visite
  • vrij

Terrains

Gebrande Bosch, 3850 Binderveld

Faire offre à partir de
140 875 €

Image de présentation du bien n° 290679
Vente de gré à gré
  • Référence: 290679
  • P score: D
  • Libre à partir du: autre
  • Notaris Tatiana Budo
  • Personne de contact: Kantoor Not. Tatiana Budo
  • Tel: (011) 68.20.60
  • Email: tatiana.budo@belnot.be
  • Informations de visite
  • vrij

Maisons

22 Rue de l'Auwy, 6810 Izel

Faire offre à partir de
200 000 €

Image de présentation du bien n° 290667
Vente de gré à gré
  • Référence: 290667
  • Découvrez cette maison 4 façades à rénover entièrement, offrant de beaux volumes et un énorme potentiel ! Située dans un quartier calme, elle est prête à être transformée selon vos envies Composition : Rez : cuisine équipée, salon, salle à manger, buanderie, salle de bain Étage : 3 chambres, 1 salle de bain 3 garages, chauffage au mazout
  • Nombre de chambres: 3
  • Revenu Cadastral: 649 €
  • Libre à partir du: A l'acte
  • Christophe VAZQUEZ & Marie GERARD - Notaires associés
  • Personne de contact: Belinda HEINEN
  • Tel: (061) 31.14.77
  • Email: belinda.heinen.126615@belnot.be

Maisons

70 Rue de Renaumont, 6880 Bertrix

Faire offre à partir de
200 000 €

Image de présentation du bien n° 290677
Vente publique en ligne
  • Référence: 290677
  • Ancienne ferme en pierre à rénover offrant de nombreuses possibilités avec grange, entrepôt, étables, dépendances, cour et grand jardin, beaux volumes et bien située. - Rez-de-chaussée : hall d'entrée, cuisine, arrière cuisine/buanderie, salle à manger, salon et séjour ; - 1er étage : palier, 5 chambres et grenier ; - 2ème étage : grenier aménageable ; - Sous-sol : 2 caves. Entrepôt de +/- 150 m², grange, 5 étables, dépendances, fenil, cour et grand jardin.
  • Nombre de chambres: 5
  • Vente en cours
  • Date de début: 13/01/2026 13:00
  • Date de fin: 21/01/2026 13:00
  • Pas d'enchère: 1000 €
  • Revenu Cadastral: 763 €
  • Libre à partir du: A l'acte
  • Marie KLELS Société notariale
  • Personne de contact: Célina GUILLAUME
  • Tel: (061) 41.42.08
  • Email: celina.guillaume.131060@belnot.be
  • Informations de visite
  • Visites sur RDV avec DOMINIQUE VAN DEN HOVE au 082/77.18.77 — tapez 2, du Lundi au Samedi entre 9h et 19h.

Maisons

50 Quartier de la Bruyère, 7971 Basècles

Faire offre à partir de
225 000 €

Image de présentation du bien n° 290644
Vente de gré à gré
  • Référence: 290644
  • MAISON D’HABITATION Comprenant : Au sous-sol : une cave. Au rez-de-chaussée : un hall, une salle à manger, une cuisine semi-équipée (sans frigo), un cellier, une salle de bains équipée, un W.C intérieur et trois chambres. Extérieur : une terrasse, un jardin et un garage avec porte électrique. RC : 528,00€ Contenance : 8 ares Observations : plain-pied, volets, citerne et double vitrage partiel. Chauffage : central gaz.
  • Nombre de chambres: 3
  • Nombre de salles de bains: 1
  • Revenu Cadastral: 528 €
  • Libre à partir du: A l'acte
  • Anthony PIRARD, Notaire
  • Personne de contact: Florine COCU
  • Tel: (069) 57.50.21
  • Email: florine.cocu.126292@belnot.be

Appartements

103 Avenue des Anciens Combattants, 1140 Evere

Faire offre à partir de
195 000 €

Image de présentation du bien n° 289164
Vente publique en ligne
  • Référence: 289164
  • Dans l’immeuble sis avenue des Anciens Combattants 103 : L’appartement type U au 6e étage Comprenant : hall avec armoires et local dressing, living, cuisine, wc, 2 chambres, sdb, 2 terrasses, cave C196 au -1. R.c.n.i. 1.430€. Libre d’occupation. Zone d’habitation à prédominance résidentielle. PEB : C+/110. Contr. électr. non conforme. Visites : mercredis 10 et 17/12/25 et 7 et 14/01/26 de 12-14h et samedis 13 et 20/12/25 et 10/01/26 de 12-14h. Séance info : lundi 05.01.26 à 18h - Début enchères : mercr. 07.01.26 à 14h - Fin enchères : jeu. 15.01.26 à 14h - Mise à prix : 195.000€ - Enchère min. : 2.500€ - Sign. acte : mardi 20.01.26 à 18h - www.biddit.be - Réf. bien : 289164
  • Nombre de chambres: 2
  • Nombre de salles de bains: 1
  • Vente en cours
  • Date de début: 07/01/2026 14:00
  • Date de fin: 15/01/2026 14:00
  • Pas d'enchère: 2500 €
  • Revenu Cadastral: 1430 €
  • Libre à partir du: A l'acte
  • Notilius, Notaires Associés
  • Personne de contact: Catarina DA SILVA DE SOUSA FERREIRA
  • Tel: (02) 663.26.36
  • Email: cf@notilius.be
  • Informations de visite
  • mercredis 10 et 17/12/25 et 7 et 14/01/26 de 12-14h et samedis 13 et 20/12/25 et 10/01/26 de 12-14h

Terrains

300 Brusselsesteenweg, 1730 Asse

Faire offre à partir de
290 000 €

Image de présentation du bien n° 290637
Vente de gré à gré
  • Référence: 290637
  • P score: A
  • Revenu Cadastral: 155 €
  • Libre à partir du: A l'acte
  • Aileen RENIERS, Notaris
  • Personne de contact: Grietje VAN BUGGENHOUT
  • Tel: (02) 568.16.50
  • Email: grietje.vanbuggenhout.128561@belnot.be

Maisons

21 Rue de Marbaix, 6110 Montigny-le-Tilleul

Faire offre à partir de
200 000 €

Image de présentation du bien n° 290632
Vente de gré à gré
  • Référence: 290632
  • Maison quatre façades avec jardin à rénover comprenant : Rez-de-chaussée : hall d’entrée, salon, salle à manger, cuisine, salle de bain, WC et garage. Premier étage : deux chambres. Combles. Chauffage central gaz, cave. Grand jardin. Terrain en zone d’habitat à front de voirie sur le côté. !!! Maison inhabitable et améliorable !!! Les amateurs doivent prendre contact avec la commune pour tout renseignement. Contenance : 8 ares 03 centiares. RC à confirmer : 565. PEB D : 312 kWh/m2.an. Les renseignements ci-dessus sont donnés à titre informatif et non contractuel.
  • Nombre de chambres: 2
  • Nombre de salles de bains: 1
  • Revenu Cadastral: 565 €
  • Libre à partir du: A l'acte
  • Ingrid DE WINTER - Notaire
  • Personne de contact: Ingrid DE WINTER
  • Tel: (071) 32.17.80
  • Email: ingrid.dewinter@belnot.be
  • Informations de visite
  • Sur rendez-vous à prendre en l'Étude auprès de Madame BECKER

Maisons

201 Rue des Hayettes, 6200 Châtelineau

Faire offre à partir de
160 000 €

Image de présentation du bien n° 283641
Vente de gré à gré
  • Référence: 283641
  • Cette maison 3 façades se compose comme suit : Partie DROITE : Sous-sol : grandes caves sur toute la superficie de la maison. Rez-de-chaussée : un hall d'entrée, un bureau/chambre (+/- 17,8m²), un séjour (+/-26,5 m²), une cuisine et une salle de douche. 1er étage : un hall de nuit et 3 chambres (+/- 11m², 12,6m², 16m²). Grenier : un palier (+/- 25m²) et 2 chambres (+/- 11,2m² et 13,5m²). Extérieur : une terrasse à terminer (pas d'escalier pour descendre dans le jardin) et un jardin (actuellement accessible par les caves). Partie GAUCHE en gros œuvre (!! infraction urbanistique - les vendeurs prennent en charge la régularisation) : Rez-de-chaussée : 2 pièces aménageables (actuellement avec une porte de garage) + étages aménageables. Divers : - Libre à l'acte - Châssis DV - Chauffage central au mazout - Superficie habitable : +/- 170m² - Revenu cadastral non indexé : 356€ - Superficie du terrain : 2a 36ca - PEB : F / Consommation spécifique d’énergie primaire : 454 kWh/m².an - Electricité : installation conforme Visites sur rendez-vous et renseignements au 0470/99.77.13
  • Nombre de chambres: 6
  • Revenu Cadastral: 356 €
  • Libre à partir du: A l'acte
  • Notaires DUPUIS et Associés
  • Personne de contact: Alison ES
  • Tel: 0470/99.77.13
  • Email: alison.es.352489@belnot.be
  • Informations de visite
  • Visites sur rendez-vous au 0470/99.77.13

Maisons

53 Clos de la Bleuse Tartine, 7700 Mouscron

Faire offre à partir de
240 000 €

Image de présentation du bien n° 290642
Vente de gré à gré
  • Référence: 290642
  • Située dans un clos tranquille, cette maison spacieuse et lumineuse offre un cadre de vie paisible et confortable. À l’avant, un petit jardin et un parking privé vous accueillent. Le hall d’entrée, doté d’un escalier en pierre naturelle et d’un WC, mène vers un séjour chaleureux comprenant salon et salle à manger avec feu ouvert. La cuisine équipée, ouverte sur un jardin d’hiver lumineux avec feu ouvert également, crée un espace de vie convivial. Le garage dispose d’un coin buanderie et d’un accès direct au jardin. À l’étage, vous trouverez un hall de nuit avec trappe et escalier escamotable menant au grenier, deux grandes chambres, une petite chambre, ainsi qu’une salle de bains avec baignoire et lavabo. Le grenier est aménageable, offrant un beau potentiel pour une chambre supplémentaire ou un espace polyvalent. Le jardin arboré, idéalement orienté, bénéficie d’un abri de jardin et d’un environnement calme à proximité immédiate des commodités : commerces, écoles, bus, … Équipements : chauffage central au gaz, chaudière murale à condensation récente, châssis PVC (sauf 2) avec persiennes, triple vitrage en façade, double vitrage à l’arrière, porte de garage sectionnelle motorisée avec porte d’accès, …
  • Nombre de chambres: 3
  • Nombre de salles de bains: 1
  • Revenu Cadastral: 743 €
  • Libre à partir du: A l'acte
  • Notaire Philippe DUMON
  • Personne de contact: Sylvie SEYNAEVE
  • Tel: (056) 33.05.41
  • Email: sylvie.seynaeve.125344@belnot.be
  • Informations de visite
  • Renseignements en Etude

Maisons

33 Zur Holzwarche, 4761 Bullange

Faire offre à partir de
295 000 €

Image de présentation du bien n° 279709
Vente de gré à gré
  • Référence: 279709
  • La maison d'habitation sise à Wirtzfeld, Zur Holzwarche 33, sur et avec terrain d'une superficie de 9,33 Ar.
  • Nombre de chambres: 5
  • Superficie habitable: 222m2
  • Nombre de salles de bains: 1
  • Revenu Cadastral: 925 €
  • Libre à partir du: A définir
  • NOTAVITHA, Notariatsgesellschaft
  • Personne de contact: Gido SCHÜR
  • Tel: (080) 22.86.69
  • Email: gido.schur@belnot.be
  • Informations de visite
  • Veuillez vous adresse à l'étude pour fixer une rendez-vous de visite.

Terrains

129 Bleken, 2990 Wuustwezel

Faire offre à partir de
210 000 €

Image de présentation du bien n° 290648
Vente de gré à gré
  • Référence: 290648
  • P score: A
  • Revenu Cadastral: 123 €
  • Libre à partir du: A l'acte
  • NOTURA - Segers, Eyskens en Luyten
  • Personne de contact: Annelies VAN BEURDEN
  • Tel: (014) 42.51.51
  • Email: annelies.vanbeurden.132316@belnot.be

Maisons

35 Rue du Boquillon, 6860 Mellier

Faire offre à partir de
345 000 €

Image de présentation du bien n° 290623
Vente de gré à gré
  • Référence: 290623
  • Cette maison moderne tout confort et prête à vivre est idéalement située au coeur du petit village paisible de Mellier, dans un environnement verdoyant. Elle se compose comme suit: Au rez-de chaussée : hall d’entrée, cuisine équipée donnant sur une vaste pièce de vie lumineuse avec cassette à bois (salon – salle à manger), bureau, wc indépendant, Au 1er étage : Grand hall de nuit aménagé en salon TV, trois grandes chambres, salle de bain avec WC. Au Sous-sol : caves sous toute la maison A l'extérieur: double garage indépendant, un car-port, un chalet de rangement, un grand jardin entièrement clôturé. Techniques : électricité conforme, châssis PVC double vitrage avec volets, chauffage central au mazout, citerne d’eau de pluie, station d’épuration individuelle.
  • Nombre de chambres: 3
  • Nombre de salles de bains: 1
  • Revenu Cadastral: 656 €
  • Libre à partir du: A l'acte
  • Sophie Robinet, société notariale
  • Personne de contact: Véronique MEEUS
  • Tel: (061) 61.10.09
  • Email: veronique.meeus.104182@belnot.be

Maisons

5660 Frasnes

Faire offre à partir de
95 000 €

Image de présentation du bien n° 279078
Vente de gré à gré
  • Référence: 279078
  • Une maison d’habitation Avec garage et espace aménageable Rue Derrière l’Eglise, 5, À Frasnes-lez-Couvin (Couvin)-Descr. Som. : Ss-sol : cave- Rez : Salon (18m²+poêle à mazout), sàm (12m²), cuisine (12m²), sdb (wc, lav, baig), garage+ grenier aménageable (50m²)-Etage : palier, 2 chambres (12 et 18 m²), grenier aménageable-Chauff. Mazout (Poêle)- Boiler électrique- DV- Espaces aménageables- Garage+ Grenier- PEB (N°20250210028297) –Quartier calme et agréable (derrière l’Eglise)- Proximité Commodités (écoles, commerces, axes routiers…..)-RC : 322€-Sup : 01 A 07CA-Vis. : Sur RDV en l’étude
  • Nombre de chambres: 2
  • Revenu Cadastral: 322 €
  • Libre à partir du: A l'acte
  • Grégoire DANDOY - notaires associés
  • Personne de contact: Anne-Catherine REVELART
  • Tel: (060) 31.10.97
  • Email: annecatherine.revelart.127241@belnot.be

Maisons

1006 Chaussée du Roeulx, 7021 Havré

Faire offre à partir de
260 000 €

Image de présentation du bien n° 290668
Vente de gré à gré
  • Référence: 290668
  • Maison bel étage comprenant au rez-de-chaussée : grand garage avec chaufferie au gaz, hall avec escalier vers le séjour. Au 1er étage : séjour avec cuisine équipée (chauffage par le sol), une cour pavée. Au 2ème étage : deux chambres et une salle de bain. Equipements : chauffage par le sol, une citerne, raccordement à l'égout, maison bien isolée, contrôle électrique conforme. Le bien est actuellement loué. Visites sur rendez-vous pris en l'étude.
  • Nombre de chambres: 2
  • Revenu Cadastral: 645 €
  • Libre à partir du: A l'acte
  • Mathieu DURANT - Notaire
  • Personne de contact: Ornella MUTRI
  • Tel: (065) 76.57.00
  • Email: ornella.mutri.125716@belnot.be
  • Informations de visite
  • Sur rendez-vous

Terrains

Rue du Bésir, 5570 Winenne

Faire offre à partir de
12 500 €

Image de présentation du bien n° 290389
Vente de gré à gré
  • Référence: 290389
  • Parcelles boisées en zone forestière d'une superficie totale de 50a 09ca A front de la rue du Bésir Libre d'occupation Environnement remarquable Offre actuelle: 12.500 €
  • Libre à partir du: A l'acte
  • Coralie de WILDE d´ESTMAEL et Cédric DEL MARMOL notaires associés
  • Personne de contact: Christelle DEWIT
  • Tel: (071) 50.10.39
  • Email: christelle.dewit.350692@belnot.be
  • Informations de visite
  • Directement sur place

Maisons

2 Rue de Belle Vue, 6180 Courcelles

Faire offre à partir de
140 000 €

Image de présentation du bien n° 290653
Vente de gré à gré
  • Référence: 290653
  • Vente de gré à gré. COURCELLES. Une maison de plain-pied érigée sur une parcelle de terrain de 15 ares 46 centiares, sise à l’angle des rue de Viesville et rue de Belle Vue. Composition : Hall, rangements, water-closet, un grand living avec cuisine équipée, une grande chambre avec salle de bains. Châssis double vitrage, grande terrasse. PEB : C (237). Electricité conforme. Autorisation obtenue de la commune d’agrandir le bien (pour une seconde chambre).
  • Nombre de chambres: 1
  • Nombre de salles de bains: 1
  • Revenu Cadastral: 20 €
  • Libre à partir du: A définir
  • NOTAIRE LINKER
  • Personne de contact: Didier CLAEYS
  • Tel: (071) 34.11.11
  • Email: didier.claeys.182386@belnot.be
  • Informations de visite
  • Merci de prendre rendez-vous auprès de l'étude du Notaire LINKER au 071/341111

Terrains

Omleiding, 3020 Herent

Faire offre à partir de
55 000 €

Image de présentation du bien n° 290657
Vente publique en ligne
  • Référence: 290657
  • Terrain agricole facilement accessible situé à Herent, Omleiding, d'une superficie totale de 1 ha 48 a 09 ca. Parcelles cadastrales 78E, 78G, 79F et 80. Libre de tout bail. P score: A
  • Vente en cours
  • Date de début: 25/02/2026 12:00
  • Date de fin: 05/03/2026 12:00
  • Pas d'enchère: 1000 €
  • Libre à partir du: Immédiatement
  • Lerut Erik & Lerut Liesbeth
  • Personne de contact: Kantoor Not. Lerut Erik & Liesbeth
  • Tel: (016) 63.02.55
  • Email: liesbeth.lerut@notariaat-lerut.be
  • Informations de visite
  • Libre

Maisons

105 Rue des Rivages, 5500 Dinant

Faire offre à partir de
125 000 €

Image de présentation du bien n° 290484
Vente publique en ligne
  • Référence: 290484
  • A VENDRE ANCIEN PRESBYTERE DE DINANT. VENTE BIDDIT. Enchères sur Biddit.be du 19/01/2026 au 27/01/2026. Belle bâtisse en pierre avec beaucoup de charme et en bordure de Meuse. Cet ancien presbytère à rénover dispose d'agréables volumes répartis comme suit au Rdc: hall d’entrée, salon, salle à manger, cuisine, 1 patio, 1 salle de douche. 1er étage : hall de nuit et 3 chambres spacieuses. 2ème étage: vaste grenier aménageable. 3 caves en sous-sol. Petit jardin avec vue Meuse et escalier d'accès au halage et possibilité d'aménager un parking. PEB "G", installation électrique non conforme, châssis bois simple vitrage, chaudière gaz. RC 617€. Idéalement située à proximité de toutes les commodités de Dinant. Idéal pour projet de rénovation. VISITES sur rdv à partir du 8 décembre 2025 au 26/01/2026. Signature du PV d'adjudication le 04/02/2026. Infos sur BIDDIT.BE.
  • Nombre de chambres: 3
  • Superficie habitable: 164m2
  • Vente en cours
  • Date de début: 19/01/2026 13:00
  • Date de fin: 27/01/2026 13:00
  • Pas d'enchère: 1000 €
  • Revenu Cadastral: 621 €
  • Libre le: 18/03/2026
  • Julie ZULIANI, Notaire
  • Personne de contact: Julie ZULIANI
  • Tel: 0473182955
  • Email: sebastien.guilmot.181941@belnot.be

Terrains

Clos du Village, 7760 Molenbaix

Faire offre à partir de
100 000 €

Image de présentation du bien n° 290660
Vente de gré à gré
  • Référence: 290660
  • Terrain à bâtir de 725 m², idéalement situé dans un clos résidentiel calme, au cœur du charmant village de Molenbaix. Un environnement paisible et convivial, parfait pour concrétiser votre projet de construction dans un cadre de vie agréable. Faire offre à partir de : 100.000,00 € Revenu cadastral : 8 € Une belle opportunité dans un secteur recherché. À découvrir sans tarder !
  • Revenu Cadastral: 8 €
  • Libre à partir du: A l'acte
  • Notaire Philippe DUMON
  • Personne de contact: Sylvie SEYNAEVE
  • Tel: (056) 33.05.41
  • Email: sylvie.seynaeve.125344@belnot.be
  • Informations de visite
  • Renseignements en Etude

Maisons

35 Smisstraat, 9200 Sint-Gillis-bij-Dendermonde

Faire offre à partir de
650 000 €

Image de présentation du bien n° 290665
Vente de gré à gré
  • Référence: 290665
  • G score: A P score: A
  • Nombre de chambres: 4
  • Nombre de salles de bains: 1
  • Revenu Cadastral: 1271 €
  • Libre à partir du: A l'acte
  • Sophie Van Der Biest & Eline Lanckman, geassocieerde notarissen
  • Personne de contact: Inez DE PROFT
  • Tel: (052) 21.16.94
  • Email: inez.deproft.126003@belnot.be

Maisons

16/18 Chemin du Rouge Bonnet, 7370 Dour

Faire offre à partir de
40 000 €

Image de présentation du bien n° 290661
Vente de gré à gré
  • Référence: 290661
  • Maison d’habitation comprenant : Rez-de-chaussée : 5 pièces en enfilade avec ancienne cuisine et ancienne salle de bains. Etage: 4 « chambres » en enfilade Extérieur : très grand jardin Raccordements : eau – électricité – pas d’égout (fosse sceptique) Maison accessible via un petit passage situé à côté du numéro 20 du Chemin du rouge Bonnet.
  • Nombre de chambres: 4
  • Revenu Cadastral: 292 €
  • Libre à partir du: A l'acte
  • Anne WUILQUOT et Emmanuel NIZET, notaires associés
  • Personne de contact: Wuilquot et Nizet Notaires associés
  • Tel: (065) 71.81.20
  • Email: info@wuilquot.be

Appartements

41 Rue du Gouvernement, 7000 Mons

Faire offre à partir de
180 000 €

Image de présentation du bien n° 290664
Vente de gré à gré
  • Référence: 290664
  • Grand appartement 2 chambres au 5ème étage de la résidence Velasquez. Un grand living de 35m² s'ouvre dès l'entrée de l'appartement, après le passage d'une petit vestibule et débarras. Il est très lumineux grâce à ses 5 grandes fenêtres. La cuisine équipée communique sans porte avec le living. La seconde partie de l'appartement est composée du hall de nuit, toilette, salle de douche et chaufferie. Au bout de celui-ci, on accède aux deux chambres qui se trouvent sur la façade opposée de l'immeuble. Le bien dispose d'une chaudière gaz individuelle qui alimente un chauffage central, ainsi que de la climatisation. L'ensemble est en très bon état, prêt à être habité sans travaux complémentaires. Le bien comprend également une cave. Panneaux photovoltaïques pour la copropriété.
  • Nombre de chambres: 2
  • Superficie habitable: 119m2
  • Nombre de salles de bains: 1
  • Revenu Cadastral: 1137 €
  • Libre à partir du: A l'acte
  • Tiphène FREDERIC, Notaire
  • Personne de contact: Tiphene FRÉDÉRIC
  • Tel: (065) 11.10.10
  • Email: tiphene.frederic@belnot.be
  • Informations de visite
  • S'adresser en l'étude

Maisons

26 Rue Baillet-Latour, 6761 Latour

Faire offre à partir de
280 000 €

Image de présentation du bien n° 290267
Vente de gré à gré
  • Référence: 290267
  • Maison de charme avec une belle façade en pierre du pays. A l’avant, une grande cour protégée par un portail et garage attenant à la maison. A l’arrière un jardin de plus de 1200 m2, clos par un mur qui en fait un espace idéal de loisirs. Grand potager. Belle terrasse, le tout parfaitement orienté. Comprenant : *Au rez-de-chaussée : Grand et lumineux séjour, plancher en chêne – Bureau – Cuisine pavée de tomettes anciennes. Plusieurs cheminées fonctionnelles – Office/Buanderie – Salle de bain – WC. Superficie du Rez : +/- 120m² *Étage : 4 chambres avec points d’eau – WC / superficie : +/- 85m² *Grand grenier aménageable avec un immense potentiel : superficie : +/- 75m² *Chauffage central alimenté par une chaudière au mazout. *Deux grandes caves. *Alarme – Nombreux rangements. *Garage avec local de rangement au-dessus. *Prix demandé : 280.000 € Possibilité d’acquérir un terrain supplémentaire contigu de 12a88ca.
  • Nombre de chambres: 4
  • Nombre de salles de bains: 1
  • Revenu Cadastral: 513 €
  • Libre à partir du: A l'acte
  • Aurore FOURNIRET société notariale
  • Personne de contact: Thiebaud DELMELLE
  • Tel: (063) 57.70.62
  • Email: thiebaud.delmelle.128090@belnot.be

Maisons

311 Grote Steenweg, 3350 Drieslinter

Faire offre à partir de
105 000 €

Image de présentation du bien n° 290671
Vente publique en ligne
  • Référence: 290671
  • Maison à rénover à Drieslinter avec panneaux solaires et batterie domestique. La superficie du terrain est de 17 ares et 47 centiares. Le revenu cadastral non indexé s'élève à 933 euros. Cette maison dispose d'une cuisine ouverte avec salon, salle de bains et bureau/salle à manger. Au premier étage se trouvent 3 chambres. Il y a également un garage qui sert également de local technique. La maison dispose d'un grand jardin et est déjà équipée de panneaux solaires et d'une batterie domestique. Année de construction : 1964/1965. Pas de droit de préemption. Certificat de sol vierge. Aucun permis d'urbanisme délivré. Aucun permis d'environnement pour le lotissement de terrains. Destination urbanistique : zones résidentielles (maisons), zones de captage d'eau et zones agricoles (à l'arrière). Aucune mesure judiciaire ou administrative imposée. Score de parcelle D et score de bâtiment D : risque moyen d'inondation. EPC : D : 348 kWh/ (m²an), numéro de certificat 20240917-0003375575-RES-1. Non sécurisé en matière d'amiante. Aucune obligation de rénovation. Non situé dans une zone ouverte sensible à l'eau. Visite possible sans rendez-vous les jours suivants : mercredi 10 décembre 2025, mardi 23 décembre 2025, mercredi 7 janvier 2026 et mercredi 14 janvier 2026, entre 15h et 16h. Libre de toute location. Si le propriétaire n'a pas libéré le bien au moment de l'entrée en possession de l'acheteur, ce dernier doit s'en occuper à ses propres frais. Vous en prendrez possession après la signature de l'acte d'attribution et après paiement du prix et des frais. Le procès-verbal d'attribution est prévu le lundi 26 janvier 2026 à 17 heures au cabinet notarial Champagne & Timmermans à Linter. G score: D P score: D
  • Nombre de chambres: 3
  • Superficie habitable: 271m2
  • Nombre de salles de bains: 1
  • Vente en cours
  • Date de début: 12/01/2026 11:00
  • Date de fin: 20/01/2026 11:00
  • Pas d'enchère: 1000 €
  • Revenu Cadastral: 933 €
  • Libre à partir du: A l'acte
  • Champagne & Timmermans
  • Personne de contact: Kathleen ACHTEN
  • Tel: (011) 78.44.75
  • Email: ka@notaris-linter.be
  • Informations de visite
  • Sans rendez-vous les jours suivants : mercredi 10 décembre 2025, mardi 23 décembre 2025, mercredi 7 janvier 2026 et mercredi 14 janvier 2026, entre 15h-16h

Terrains

Slameuterstraat, 2861 Onze-Lieve-Vrouw-Waver

Faire offre à partir de
25 000 €

Image de présentation du bien n° 290670
Vente de gré à gré
  • Référence: 290670
  • P score: A
  • Revenu Cadastral: 16 €
  • Libre à partir du: Immédiatement
  • Notarissen Cuypers & Cuypers
  • Personne de contact: Fleur VERBEECK
  • Tel: (015) 24.11.63
  • Email: fleur.verbeeck.350922@belnot.be

Maisons

44 Rue Joseph Heusdens, 4460 Grâce-Hollogne

Faire offre à partir de
220 000 €

Image de présentation du bien n° 290654
Vente de gré à gré
  • Référence: 290654
  • Maison bel-étage – 3 chambres – place de parking – jardin – proche commodités Découvrez cette maison bel-étage offrant un beau potentiel et idéalement située à proximité de toutes les commodités, avec un accès autoroutier rapide (à seulement 2 km). Un bien idéal pour ceux qui souhaitent aménager et personnaliser leur futur logement. Le rez-de-chaussée se compose d’un hall d’entrée, d’un WC, ainsi que d’un grand garage et deux espaces de rangement (ou aménagement autre). À l’étage, vous trouverez une grande cuisine, un salon lumineux, ainsi qu’une salle de bain. Le dernier niveau se compose de trois chambres. À l’extérieur, une terrasse en balcon mène sur un jardin, qui complète agréablement le bien. Certains châssis viennent d'être remplacés (porte d'entrée, garage, fenêtre du séjour), offrant un premier pas vers l’amélioration du confort. Cette maison représente une excellente opportunité pour investisseurs, bricoleurs ou toute personne désireuse de créer un intérieur à son image. POUR LES VISITES, MERCI DE CONTACTER L'ETUDE AU 04/239.75.19
  • Nombre de chambres: 3
  • Nombre de salles de bains: 1
  • Revenu Cadastral: 959 €
  • Libre à partir du: A l'acte
  • Audrey PETERS - société notariale
  • Personne de contact: Alys DISPA
  • Tel: (04) 239.75.15
  • Email: alys.dispa.358254@belnot.be
  • Informations de visite
  • POUR LES VISITES, MERCI DE CONTACTER L'ETUDE AU 04/239.75.19

Maisons

65 Rue du Millénaire, 6810 Chiny

Faire offre à partir de
200 000 €

Image de présentation du bien n° 290680
Vente de gré à gré
  • Référence: 290680
  • Découvrez cet ancien presbytère de caractère, idéalement situé au cœur de Chiny, charmante commune de la vallée de la Semois. Description du bien : • Superficie totale du terrain : 12 ares 05 centiares • Jardin orienté nord-ouest pour plus de fraîcheur • Nombreuses caractéristiques d’origine et de caractère : parquet massif aux étages, grandes portes en chêne, hauts plafonds, éviers en pierre, etc. • Rez-de-chaussée comprenant : une cuisine, un salon – salle à manger, un bureau et un garage, une buanderie • À l’étage : 3 grandes chambres lumineuses, une salle de bain • Greniers aménageables, offrant un potentiel supplémentaire Points forts • Bâtisse authentique au cachet unique • Volumes généreux et multiples possibilités d’aménagement • Environnement calme et verdoyant Description du bien • Superficie totale du terrain : 12 ares 05 centiares • Jardin orienté nord-ouest pour plus de fraîcheur • Nombreuses caractéristiques d’origine et de caractère : parquet massif aux étages, grandes portes en chêne, hauts plafonds, éviers en pierre, etc. • Rez-de-chaussée comprenant : une cuisine, un salon – salle à manger, un bureau et un garage, une buanderie • À l’étage : 3 grandes chambres lumineuses, une salle de bain • Greniers aménageables, offrant un potentiel supplémentaire Points forts • Bâtisse authentique au cachet unique • Volumes généreux et multiples possibilités d’aménagement • Environnement calme et verdoyant
  • Nombre de chambres: 2
  • Nombre de salles de bains: 1
  • Revenu Cadastral: 610 €
  • Libre à partir du: A l'acte
  • Christophe VAZQUEZ & Marie GERARD - Notaires associés
  • Personne de contact: Belinda HEINEN
  • Tel: (061) 31.14.77
  • Email: belinda.heinen.126615@belnot.be

Maisons

48 Rue Clément Delpierre, 1310 La Hulpe

Faire offre à partir de
140 000 €

Image de présentation du bien n° 290203
Vente publique en ligne
  • Référence: 290203
  • Située dans un quartier recherché de La Hulpe, cette maison pleine de charme offre une base solide pour créer un véritable petit bijou. Coquette, lumineuse et bien agencée, elle conviendra parfaitement à ceux qui cherchent un projet de rénovation avec un beau potentiel. Ce qu’elle propose : • 3 chambres • Espace de vie ouvert offrant une belle luminosité • Cuisine agréable avec accès direct vers le jardin • CC mazout • Grand espace buanderie • Jardin convivial, bien orienté et facile d’entretien • Cave/garage avec accès direct à la rue • Emplacement prévu pour poêle à bois ou autre système chauffage d’appoint À retenir : Cette maison n’est pas immense, mais elle possède ce petit “plus” qui fait toute la différence : du potentiel, un cachet certain et un emplacement d’exception à deux pas de toutes les facilités. À rénover, mais parfaite pour construire un cocon chaleureux selon vos envies. Visites uniquement sur rendez-vous à prendre avec Mme BEECKAERT Gaëtane (0486/902171)
  • Nombre de chambres: 3
  • Vente en cours
  • Date de début: 26/01/2026 12:00
  • Date de fin: 03/02/2026 12:00
  • Pas d'enchère: 1000 €
  • Revenu Cadastral: 575 €
  • Libre à partir du: A l'acte
  • David REMY, société notariale
  • Personne de contact: Emilie ROBAEYS
  • Tel: (081) 83.34.99
  • Email: emilie.robaeys.128462@belnot.be
  • Informations de visite
  • Uniquement sur rendez-vous à prendre avec Mme BEECKAERT Gaëtane (0486/902171)

Appartements

35 Rue Docteur Henri Schaltin, 4900 Spa

Faire offre à partir de
269 000 €

Image de présentation du bien n° 290678
Vente de gré à gré
  • Référence: 290678
  • L’Étude des Notaires Guyot & Cremer a le plaisir de vous proposer à la vente ce SUPERBE APPARTEMENT, bien équipé et idéalement situé rue Dr. Henri Schaltin 35 à 4900 Spa. Le bien est situé dans une petite copropriété au sein d'une grande maison de Maître spadoise, offrant un caractère unique et une atmosphère élégante. L'appartement bénéficie également de l'ascenseur, un atout indéniable pour le confort au quotidien. L'appartement est composé comme suit : cuisine moderne (2009) full équipée (21 m²) (frigo américain, four, hotte, évier, taque induction + grill, cave à vin, machine à café, micro-ondes), séjour lumineux avec coin salon et salle à manger (29 m²), buanderie (3 m²), une chambre (11 m²), hall de nuit (6 m²), salle de bains (5,5 m²) (douche, double vasque, WC), chambre à coucher vitrée (13 m²), WC séparé. L'appartement dispose également d'une spacieuse terrasse de 32 m² avec une vue dégagée, offrant un espace de détente en plein air, ainsi qu'une cave privative en sous-sol et un local vélo commun, idéal pour les amateurs de cyclisme. Techniques: chauffage central au gaz de ville, chaudière privative Vaillant à condensation, châssis double vitrage PVC, RC = 880 €, provisions pour charges communes (électricité et eau des communes, ascenseur, assurances, syndic etc.) = 207 €/mois, PEB B= "170"kWh/m².an - 19.408 kWh/an (ref n°20240620010449). Le prix affiché est une proposition qui ne lie pas le vendeur! Pour toute information complémentaire ou prise de rendez-vous, veuillez contacter l’Étude Guyot & Cremer au 087/77.10.72
  • Nombre de chambres: 2
  • Superficie habitable: 100m2
  • Nombre de salles de bains: 1
  • Revenu Cadastral: 880 €
  • Libre à partir du: A l'acte
  • GUYOT & CREMER, notaires associés
  • Personne de contact: Aline SCHMITZ
  • Tel: (087) 77.10.72
  • Email: aline.schmitz.460044@belnot.be

Maisons

40 Rue du Polonais, 6060 Gilly

Faire offre à partir de
135 000 €

Image de présentation du bien n° 290586
Vente de gré à gré
  • Référence: 290586
  • Ce bien se compose au rez : salle à manger, salon, cuisine, hall; à l'étage: palier, 2 grandes chambres, belle salle de bains; grenier améanageable, accès par escalier fixe. Caves. Jardin avec remise. Raccordée à l'égout. Chauffage central au gaz. Châssis DV en PVC et en bois. Superficie : 2 ares - RC : 416 €. Bien vendu avec tous les encombrants restants.
  • Nombre de chambres: 2
  • Nombre de salles de bains: 1
  • Revenu Cadastral: 416 €
  • Libre à partir du: autre
  • Sophie BELLOTTO, Notaire
  • Personne de contact: Isabelle CARLIER
  • Tel: (071) 38.11.85
  • Email: isabelle.carlier.223258@belnot.be
  • Informations de visite
  • Contacter l'étude au 071/38.11.85

Maisons

14 au-dessus de la ville, 6767 Harnoncourt

Faire offre à partir de
240 000 €

Image de présentation du bien n° 290014
Vente de gré à gré
  • Référence: 290014
  • Maison familiale lumineuse, composée de : Au rez-de-chaussée : un hall d’entrée, un vaste séjour lumineux avec salon et salle à manger, ouvrant sur une agréable terrasse extérieure. Une cuisine fonctionnelle, ainsi qu'un WC séparé. À l’étage : trois chambres, dont une offrant une belle vue, ainsi qu’une salle de bain. Grenier de rangement accessible par un escalier escamotable. Au sous-sol : plusieurs caves, une chaufferie, et un garage équipé d’une porte électrique. À l’extérieur : un beau jardin bien entretenu, surplombant le village. Un cadre de vie agréable grâce à de beaux volumes et une luminosité optimale.
  • Nombre de chambres: 3
  • Nombre de salles de bains: 1
  • Revenu Cadastral: 640 €
  • Libre à partir du: A l'acte
  • Florence MOREAU, Notaire
  • Personne de contact: Aline RATY
  • Tel: (063) 57.71.04
  • Email: aline.raty.129577@belnot.be
  • Informations de visite
  • Prendre RDV en l'Etude par mail a.raty@notairemoreau.be ou par téléphone 063.21.00.86

Maisons

61 Kerkepad, 2275 Wechelderzande

Faire offre à partir de
350 000 €

Image de présentation du bien n° 290639
Vente publique en ligne
  • Référence: 290639
  • G score: A P score: A
  • Nombre de chambres: 2
  • Nombre de salles de bains: 1
  • Vente en cours
  • Date de début: 05/01/2026 10:00
  • Date de fin: 13/01/2026 10:00
  • Pas d'enchère: 1000 €
  • Revenu Cadastral: 1018 €
  • Libre à partir du: A l'acte
  • Notariaat Noma
  • Personne de contact: Kantoor Notariaat NOMA
  • Tel: (03) 312.20.28
  • Email: info@notariaatnoma.be
  • Informations de visite
  • elke zaterdag van 10u-12u vanaf 6/12.

Maisons

45 Queneau, 7880 Flobecq

Faire offre à partir de
150 000 €

Image de présentation du bien n° 287000
Vente publique en ligne
  • Référence: 287000
  • Une maison d’habitation avec ses dépendances, un jardin et un verger Sis aux lieux dits Queneau 45 et « Hameau du Queneau ». Sup.18a 80ca. Comprenant : salon, salle à manger, cuisine, sdb, 2 chambres, espaces de rangement. R.c.n.i. 317€. Libre d’occupation. Zone d’habitation, à caractère rural. PEB : G/611. Contr. électr. non conforme. Visites : mercredis 14, 21 et 28/01/26 de 15 à 17h et samedis 10, 17 et 24/01/26 de 15-17h. Début des enchères : jeudi 22.01.26 à 12h - Fin des enchères : vendredi 30.01.26 à 12h - Mise à prix : 150.000€ - Enchère min. : 1.000€ - Sign. acte : lundi 09.02.26 à 16h - www.biddit.be - Réf. bien : 287000.
  • Nombre de chambres: 2
  • Nombre de salles de bains: 1
  • Vente en cours
  • Date de début: 22/01/2026 12:00
  • Date de fin: 30/01/2026 12:00
  • Pas d'enchère: 1000 €
  • Revenu Cadastral: 317 €
  • Libre à partir du: A l'acte
  • DE CLIPPELE - BRUYAUX - NAETS, Notaires Associés
  • Personne de contact: Camille CHEVRIER
  • Tel: (02) 538.60.76
  • Email: c.chevrier@notabel.info
  • Informations de visite
  • mercredis 14, 21 et 28/01/26 de 15 à 17h et samedis 10, 17 et 24/01/26 de 15-17h.

Commerces

30 Rue Marcel Vandy, 5020 Flawinne

Faire offre à partir de
399 000 €

Image de présentation du bien n° 289586
Vente de gré à gré
  • Référence: 289586
  • Là où la vallée de la Sambre déploie ses courbes paisibles et ses lumières changeantes, se dresse une maison de commerce au charme rare, prête à écrire une nouvelle page de son histoire. Actuellement occupée par une agence bancaire jusqu’à fin mars 2026, elle offre à son futur propriétaire le temps de réfléchir, de rêver, de projeter. Une activité commerciale peut y renaître… ou l’espace peut s’habiller d’un tout autre destin. L’accès entre la maison et le commerce peut être ouvert… ou préservé séparément : à vous de choisir le chemin. La partie habitation, lumineuse et accueillante, se compose de ses pièces habituelles, de trois chambres, d’un bureau, d’une véranda, qui capture les rayons du soleil et de deux terrasses (couverte ou non) orientées plein sud, parfaite pour contempler chaque heure qui glisse sur la vallée. Un chauffage central, des caves pratiques, une vue à 180 degrés qui respire la liberté : ici, l’horizon est un luxe quotidien. Pour des raisons de sécurité évidentes, les photos et les plans de la partie bancaire ne pourront être disponibles que sur place. Cette partie est bien entendu à votre disposition pendant les visites Votre futur projet pourrait bien s’y ancrer, entre ciel, Sambre et douceur de vivre. Faire offre à partir de 399.000E Le visuel reste non contractuel Les visites sont prévues dans le calme les mardis à 10h et les jeudis à 14h sur rendez-vous en contactant Isvan au 0475254457 7j/7 de 8h à 20h
  • Revenu Cadastral: 2796 €
  • Libre à partir du: A l'acte
  • Notaires GEORGE & DEKEYSER
  • Personne de contact: Isvan WILHELMI
  • Tel: 0475254457
  • Email: isvan.wilhelmi.223703@belnot.be
  • Informations de visite
  • Les visites sont prévues dans le calme les mardis à 10h et les jeudis à 14h sur rendez-vous en contactant Isvan au 0475254457 7j/7 de 8h à 20h

Terrains

, 7301 Boussu

Faire offre à partir de
125 000 €

Image de présentation du bien n° 290643
Vente de gré à gré
  • Référence: 290643
  • Un terrain à front de la route pour une contenance de 10 ares 53 ca. longueur en façade : 20 m
  • Revenu Cadastral: 12 €
  • Libre à partir du: A l'acte
  • Société Notariale Géry LEFEBVRE
  • Personne de contact: Luana TENACE
  • Tel: (065) 45.71.68
  • Email: luana.tenace.128744@belnot.be

Terrains

Chemin Depouhon, 4900 Spa

Faire offre à partir de
166 342 €

Image de présentation du bien n° 260565
Vente de gré à gré
  • Référence: 260565
  • L'étude des Notaires Fassin a le plaisir de vous faire découvrir ce terrain situé en lieudit "Hastienne" accessible via le Chemin du Pouhon à Creppe, sur les hauteurs de Spa. Le terrain est actuellement situé en zone d'aménagement communal concerté (zone ZACC) , cadastré section D, numéro 0776B P0000 d'une contenance de 7561m² selon matrice cadastrale. Prix demandé : 22€/m². A voir
  • Revenu Cadastral: 48 €
  • Libre à partir du: A l'acte
  • Armand & Amélie FASSIN, Notaires Associés
  • Personne de contact: Alexandra PIRON
  • Tel: (087) 77.25.09
  • Email: alexandra.piron.353858@belnot.be

Maisons

8 Rue de la Reine Elisabeth, 5060 Tamines

Faire offre à partir de
360 000 €

Image de présentation du bien n° 290640
Vente de gré à gré
  • Référence: 290640
  • Maison 3 faç.(190m²) rénovée en 2021 (5a 69 ca) avec jardin et 2 emplacements de parking, comprenant : caves, au rez de chaussée : hall, WC, bureau, salon-salle à manger, cuisine super équipée (taque gaz-frigo américain-four-Micro ondes-LV-hotte) + poèle à pellets, au premier étage : Hall, 4 chambres, salle de bains (à rénover), au 2e étage : grenier ; chauffage central au gaz (chaudière Viesmann 2021), chassis DV alu (2021)+ stores, isolation externe (2021) y compris toiture, électricité rénovée mais non agréée, PEB 2017 : G585 (avant rénovation), RC 894 €, proche écoles-centre-gare. Faire offre à partir de 360.000 €, visites s'adresser en l'étude.
  • Nombre de chambres: 4
  • Nombre de salles de bains: 1
  • Revenu Cadastral: 894 €
  • Libre à partir du: A l'acte
  • Louis RAVET, société notariale
  • Personne de contact: Louis RAVET
  • Tel: (071) 78.50.08
  • Email: louis.ravet@belnot.be

Terrains

Loheré, 6941 Heyd

Faire offre à partir de
99 000 €

Image de présentation du bien n° 290624
Vente publique en ligne
  • Référence: 290624
  • Belle parcelle de terrain située en quasi totalité en zone d'habitat à caractère rural et en zone agricole pour le surplus, d'une superficie totale de 2.519 m² à Durbuy (Heyd) en lieu-dit "Tozée" à front de la rue Loheré. Atouts : - Quartier résidentiel calme et prisé à proximité de la Ville de Durbuy. Cette parcelle n'est pas située dans un lotissement, mais fait l'objet d'une parcelle plus grande ayant reçu un avis de division favorable en 2 lots distincts de la part de la Ville de Durbuy ; pour tout renseignement au sujet des possibilités/projets de construction, il y a lieu de s'adresser à l'Administration de la Ville de Durbuy. - Début des enchères : Lundi 12 janvier 2026 à 12h00 - Clôture des enchères : Mardi 20 janvier 2026 à 12h00 - Signature du procès-verbal d’adjudication (présence obligatoire) : Lundi 26 janvier 2026 à 14h, en l’étude du notaire FRAIKIN - Mise à prix : 99.000 € (nonante-neuf mille euros) - Frais et droits d'enregistrement payables et exigibles dans les 5 jours ouvrables ; prix payable et exigible dans les 6 semaines. Pas de condition suspensive d'obtention de crédit. Pour plus d’informations ou pour participer à la vente, veuillez consulter le cahier des charges disponible en annexe.
  • Vente en cours
  • Date de début: 12/01/2026 12:00
  • Date de fin: 20/01/2026 12:00
  • Pas d'enchère: 1000 €
  • Libre à partir du: A l'acte
  • Shalini FRAIKIN, Société Notariale
  • Personne de contact: Hugo Xavier Louis GOURDANGE
  • Tel: (04) 362.62.42
  • Email: hugo.gourdange.112607@belnot.be
  • Informations de visite
  • Les visites du terrain sont autorisées librement et sans accompagnement d’un membre de l’étude notariale. Les visiteurs s’y rendront sous leur entière responsabilité, à leurs risques et périls, et devront prendre toutes les précautions nécessaires eu égard à la nature des lieux. L’étude du Notaire FRAIKIN se dégage de toute responsabilité en cas d’accident, dommage ou incident survenant lors de ces visites. En procédant à la visite, chaque intéressé reconnaît expressément visiter les lieux en toute connaissance de cause et renonce à tout recours à l’encontre de l’étude.

Terrains

Loheré, 6941 Heyd

Faire offre à partir de
99 000 €

Image de présentation du bien n° 290629
Vente publique en ligne
  • Référence: 290629
  • Belle parcelle de terrain en zone d'habitat à caractère rural d'une superficie totale de 2.519 m² située à Durbuy (Heyd) en lieu-dit "Tozée" à front de la rue Loheré. Atouts : - Quartier résidentiel calme et prisé à proximité de la Ville de Durbuy. Cette parcelle n'est pas située dans un lotissement, mais fait l'objet d'une parcelle plus grande ayant reçu un avis de division favorable en 2 lots distincts de la part de la Ville de Durbuy ; pour tout renseignement au sujet des possibilités/projets de construction, il y a lieu de s'adresser à l'Administration de la Ville de Durbuy. - Début des enchères : Lundi 12 janvier 2026 à 12h00 - Clôture des enchères : Mardi 20 janvier 2026 à 12h00 - Signature du procès-verbal d’adjudication (présence obligatoire) : Lundi 26 janvier 2026 à 15h, en l’étude du notaire FRAIKIN - Mise à prix : 99.000 € (nonante-neuf mille euros) - Frais et droits d'enregistrement payables et exigibles dans les 5 jours ouvrables ; prix payable et exigible dans les 6 semaines. Pas de condition suspensive d'obtention de crédit. Pour plus d’informations ou pour participer à la vente, veuillez consulter le cahier des charges disponible en annexe.
  • Vente en cours
  • Date de début: 12/01/2026 12:00
  • Date de fin: 20/01/2026 12:00
  • Pas d'enchère: 1000 €
  • Libre à partir du: A l'acte
  • Shalini FRAIKIN, Société Notariale
  • Personne de contact: Hugo Xavier Louis GOURDANGE
  • Tel: (04) 362.62.42
  • Email: hugo.gourdange.112607@belnot.be
  • Informations de visite
  • Les visites du terrain sont autorisées librement et sans accompagnement d’un membre de l’étude notariale. Les visiteurs s’y rendront sous leur entière responsabilité, à leurs risques et périls, et devront prendre toutes les précautions nécessaires eu égard à la nature des lieux. L’étude du Notaire FRAIKIN se dégage de toute responsabilité en cas d’accident, dommage ou incident survenant lors de ces visites. En procédant à la visite, chaque intéressé reconnaît expressément visiter les lieux en toute connaissance de cause et renonce à tout recours à l’encontre de l’étude.

Maisons

10 Broekstraat, 9310 Herdersem

Faire offre à partir de
351 000 €

Image de présentation du bien n° 290317
Vente publique en ligne
  • Référence: 290317
  • Une maison avec un abattoir de poulets et un terrain en pâturage situé derrière la propriété à Aalst (Herdersem), Broekstraat 10, d'une superficie de 190 mètres carrés. Rez-de-chaussée : salon, salle de bains avec toilettes, cuisine. Étage : salle de bains, trois chambres et toilettes. Chauffage au gaz, toiture isolée et double vitrage. G score: A P score: A
  • Nombre de chambres: 3
  • Nombre de salles de bains: 2
  • Vente en cours
  • Date de début: 12/01/2026 14:00
  • Date de fin: 20/01/2026 14:00
  • Pas d'enchère: 2000 €
  • Revenu Cadastral: 3204 €
  • Libre à partir du: A l'acte
  • Caudron, Herzeel & Breckpot, geassocieerde notarissen
  • Personne de contact: Kantoor Not. Caudron, Herzeel & Breckpot
  • Tel: (053) 21.11.05
  • Email: frederic.caudron@belnot.be
  • Informations de visite
  • Journées portes ouvertes : les samedis 3 janvier 2026, 10 janvier 2026 et 17 janvier 2026, de 10 h à 11 h.

Maisons

74 Rue de la Glacerie, 5190 Moustier-sur-Sambre

Faire offre à partir de
185 000 €

Image de présentation du bien n° 290589
Vente de gré à gré
  • Référence: 290589
  • Située dans une rue à sens unique, cette maison saine et bien entretenue offre de beaux volumes, un grand jardin avec accès arrière, et plusieurs espaces annexes parfaits pour les bricoleurs, indépendants ou familles à la recherche d’espace. Ce qu’elle propose : • 3 chambres • Grand grenier aménageable pour créer des chambres supplémentaires ou un bureau • Beaux espaces de vie ouverts • Cuisine fonctionnelle avec accès vers le jardin • Citerne d’eau de pluie • Chauffage central au mazout • Toiture en bon état avec sous-toiture • Système d’alarme installé • 2 annexes/ateliers (14 m² et 22 m²) parfaits pour rangement, bricolage ou activité pro • Cave de 20 m² de rangement • Orientation ouest arrière : profitez du soleil en fin de journée ?? • Accès direct au jardin depuis la rue arrière Les atouts : • Maison habitable rapidement, saine et entretenue • Commerces et écoles à proximité immédiate • Excellent potentiel ?? Infos & visites : avec Matthieu au 0479472905 ? Une maison où tout est prêt pour accueillir vos projets, vos envies et votre famille !
  • Nombre de chambres: 3
  • Revenu Cadastral: 537 €
  • Libre à partir du: A l'acte
  • Frédéric MAGNUS, Notaire
  • Personne de contact: Matthieu Monsieur
  • Tel: 0479472905
  • Email: frederic.magnus@belnot.be
  • Informations de visite
  • ?? Infos & visites : avec Matthieu au 0479472905

Maisons

46 Houten Schoen, 9100 Sint-Niklaas

Faire offre à partir de
360 000 €

Image de présentation du bien n° 290590
Vente publique en ligne
  • Référence: 290590
  • A rénover. Maison charmante aux éléments authentiques, bien située, avec grand jardin. G score: A P score: A
  • Nombre de chambres: 4
  • Nombre de salles de bains: 1
  • Vente en cours
  • Date de début: 15/01/2026 14:00
  • Date de fin: 23/01/2026 14:00
  • Pas d'enchère: 1000 €
  • Revenu Cadastral: 563 €
  • Libre à partir du: Immédiatement
  • RAEMDONCK NOTARISVENNOOTSCHAP
  • Personne de contact: Ingeborg KETELS
  • Tel: (03) 727.10.80
  • Email: i.ketels@notaris-sgw.be
  • Informations de visite
  • chaque Samedi entre 10h et midi

Maisons

40 Rozenlaan, 8890 Dadizele

Faire offre à partir de
190 000 €

Image de présentation du bien n° 290591
Vente publique en ligne
  • Référence: 290591
  • Maison idéalement située, à 1 km du centre-ville animé à DADIZELE, Rozenlaan 40. 240 m². RC : 379,00 €. Rez-de-chaussée : hall d’entrée, WC, séjour, salle à manger, cuisine, véranda, garage, jardin; premier étage : 4 chambres, salle de bains; grenier: accès par un escalier escamotable. Chauffage central au gaz. G score: A P score: A
  • Nombre de chambres: 4
  • Nombre de salles de bains: 1
  • Vente en cours
  • Date de début: 14/01/2026 13:00
  • Date de fin: 22/01/2026 13:00
  • Pas d'enchère: 1000 €
  • Revenu Cadastral: 379 €
  • Libre à partir du: A l'acte
  • Notariskantoor Thierry Devos
  • Personne de contact: Thierry DEVOS
  • Tel: (056) 31.11.49
  • Email: thierry.devos@belnot.be
  • Informations de visite
  • Les samedis & mercredis après consultation avec l'étude, du 29 novembre 2025 au samedi 14 janvier 2026

Maisons

100 Rue Emile Fourcault, 6020 Dampremy

Faire offre à partir de
82 000 €

Image de présentation du bien n° 290592
Vente de gré à gré
  • Référence: 290592
  • Maison d’habitation avec 3 chambres, garage et jardin se composant comme suit: SOUS-SOL : 2 caves dont une avec pièce d’eau, accès par une porte vers le jardin. REZ-DE-CHAUSSEE : hall, cuisine, salon, salle à manger, WC, balcon, terrasse et jardin. 1er ETAGE : 3 chambres (une grande, une moyenne et une plus petite). Grenier : entièrement isolé (travaux effectués en 2024). Garage accessible par la rue de la Grande Armée. PEB en cours de réalisation Bien libre d’occupation à l’acte authentique. VISITES : renseignements en létude
  • Nombre de chambres: 3
  • Revenu Cadastral: 371 €
  • Libre à partir du: A l'acte
  • Clarence BALIEUX - NOTAIRE
  • Personne de contact: Julie BRESCIANI
  • Tel: (071) 31.01.30
  • Email: clarence.balieux@belnot.be
  • Informations de visite
  • Renseignements en l'étude

Maisons

195 Moeshofstraat, 2170 Merksem

Faire offre à partir de
211 000 €

Image de présentation du bien n° 290595
Vente publique en ligne
  • Référence: 290595
  • G score: C P score: C
  • Nombre de chambres: 3
  • Superficie habitable: 120m2
  • Nombre de salles de bains: 1
  • Vente en cours
  • Date de début: 12/01/2026 14:00
  • Date de fin: 20/01/2026 14:00
  • Pas d'enchère: 1000 €
  • Revenu Cadastral: 1284 €
  • Libre à partir du: A l'acte
  • Notaris Katherine De Wispelaere
  • Personne de contact: Kantoor Not. Katherine De Wispelaere
  • Tel: (03) 640.01.80
  • Email: info@notariaatmerksem.be
  • Informations de visite
  • elke dinsdag van 10u-12u en elke zaterdag van 12u-14u vanaf dinsdag 16/12 tem zaterdag 17/1/2026.

Maisons

23 Rue de la Ferme de Sotteville, 7110 Strépy-Bracquegnies

Faire offre à partir de
380 000 €

Image de présentation du bien n° 290601
Vente de gré à gré
  • Référence: 290601
  • Superbe villa familiale alliant espace, confort et équipements modernes. Dès l’entrée, vous découvrirez un hall accueillant, une toilette séparée ainsi qu’un vaste salon et une salle à manger. La cuisine équipée ouverte offre un espace convivial et pratique, complété par une buanderie disposant d’une seconde cuisine entièrement équipée. Une grande véranda donne accès à un beau jardin . À l’étage, le hall de nuit dessert quatre chambres ainsi qu’une salle de bain complète comprenant une baignoire, une douche à l’italienne, un lavabo et une toilette. La maison est équipée d’un chauffage central au gaz pour un confort optimal en toute saison. Parmi les nombreux atouts, vous bénéficierez de 19 panneaux solaires, ainsi que d’un groupe hydrophore, d’un garage avec porte électrique , un système d’alarme et PEB B . Cette villa lumineuse et fonctionnelle représente une occasion rare. Les offres sont prises à partir de 380.000 €(dernière offre en l'Etude 440.000€). Pour plus d’informations ou pour planifier une visite, contactez-nous au 064/22.13.52
  • Nombre de chambres: 4
  • Revenu Cadastral: 1060 €
  • Libre à partir du: A définir
  • Thierry BRICOUT, Notaire
  • Personne de contact: Sandy LUFRANO
  • Tel: (064) 22.13.52
  • Email: sandy.lufrano.130922@belnot.be
  • Informations de visite
  • contactez-nous au 064/22.13.52.

Appartements

167 Hovestraat, 2650 Edegem

Faire offre à partir de
379 000 €

Image de présentation du bien n° 290602
Vente de gré à gré
  • Référence: 290602
  • G score: A P score: A
  • Nombre de chambres: 3
  • Revenu Cadastral: 1231 €
  • Libre à partir du: A l'acte
  • DE CORT-RAES-RIEMS
  • Personne de contact: Karin DELEN
  • Tel: (03) 827.12.22
  • Email: karin.delen.222316@belnot.be
  • Informations de visite
  • Telefonisch contacteren

Terrains

8 Velmerlaan, 3800 Sint-Truiden

Faire offre à partir de
125 000 €

Image de présentation du bien n° 290581
Vente de gré à gré
  • Référence: 290581
  • P score: B
  • Libre à partir du: Immédiatement
  • Bernard en Nicolas INDEKEU, geassocieerde notarissen
  • Personne de contact: Sindy NULENS
  • Tel: (011) 78.93.10
  • Email: sindy.nulens.128645@belnot.be

Appartements

12 Rue Jean de Dampierre, 5100 Jambes

Faire offre à partir de
220 000 €

Image de présentation du bien n° 290529
Vente publique en ligne
  • Référence: 290529
  • Appartement lumineux avec terrasse situé au premier étage de la résidence « MELEZE-TILLEUL-AMANDE » construite en 2019, rue de Dampierre 12/15, dans un quartier agréable, proche du bord de Meuse, des grands axes, des transports en commun, des commerces et des loisirs. Comprenant : - Un hall d’entrée, un grand séjour avec coin cuisine donnant sur une grande terrasse, un hall de nuit, deux chambres, une salle-de-douche, une buanderie, un wc. - Une cave et un emplacement de parking intérieur. - Confort : Chauffage central au gaz de ville, électricité conforme, double vitrage, porte blindée, panneaux photovoltaïques (copropriété) - Revenu cadastral total : 1.141,00 euros - Occupation : Libre après paiement du prix - Urbanisme : Zone d’habitat, zone égouttée PEB B - Certificat n°20200318503129– E totale : 7.762 kWh/an – E spec : 88 kWh/m2.an
  • Nombre de chambres: 2
  • Vente en cours
  • Date de début: 19/01/2026 14:00
  • Date de fin: 27/01/2026 14:00
  • Pas d'enchère: 1000 €
  • Revenu Cadastral: 1141 €
  • Libre à partir du: autre
  • Hélène Diricq, société notariale
  • Personne de contact: Hélène DIRICQ
  • Tel: (081) 41.10.37
  • Email: helene.diricq@belnot.be
  • Informations de visite
  • sur rendez-vous via l'étude

Maisons

1 Rue de l'Ourthe, 6990 Hotton

Faire offre à partir de
165 000 €

Image de présentation du bien n° 290609
Vente de gré à gré
  • Référence: 290609
  • Très belle maison d'habitation 3 façades située dans le village de Deulin (commune de Hotton) dans un endroit calme en bordure de l'Ourthe elle se compose de 2 caves au sous-sol, au RDC: hall d'entrée, cuisine semi-équipée (pas d'appareils ménagers), salon, salle à manger, buanderie au 1er étage: 4 belles chambres et une salle de bains (baignoire, lavabo). Au 2ème étage: très spacieux grenier aménageable l'intérieur nécessite des travaux de rénovation (électricité, sanitaire, isolation,..) châssis en bois double vitrage, pas de chauffage central, 2 poêles à mazout + citerne à mazout de 1000 l, station d'épuration
  • Nombre de chambres: 4
  • Nombre de salles de bains: 1
  • Revenu Cadastral: 582 €
  • Libre à partir du: A l'acte
  • Michel JACQUET, Notaire
  • Personne de contact: Angelique DOCQUIER
  • Tel: (084) 31.20.48
  • Email: angelique.docquier.133140@belnot.be
  • Informations de visite
  • Prendre rendez-vous en l'étude

Garages

242-328 Philippe Saveryslaan, 9140 Temse

Faire offre à partir de
23 000 €

Image de présentation du bien n° 290612
Vente publique en ligne
  • Référence: 290612
  • Possibilité : - d'acheter l'espace de bureau et les 4 places de parking ensemble ; - d'acheter l'espace de bureau et les places de parking séparément ; - d'acheter les 4 places de parking ensemble. G score: C P score: C
  • Vente en cours
  • Date de début: 06/01/2026 11:00
  • Date de fin: 14/01/2026 11:00
  • Pas d'enchère: 1000 €
  • Libre à partir du: A l'acte
  • NOTARISSEN Els DE BLOCK en Tim VANDERSTEEN
  • Personne de contact: Anna DE WINTER
  • Tel: (03) 711.08.27
  • Email: anna@notarissentemse.be
  • Informations de visite
  • - Le samedi 6 décembre 2025 de 10h à 12h et le samedi 13 décembre 2025 de 10h à 12h; - Sur rendez-vous avec le vendeur au numéro 0475/36.90.29.

Garages

242-328 Philippe Saveryslaan, 9140 Temse

Faire offre à partir de
23 000 €

Image de présentation du bien n° 290614
Vente publique en ligne
  • Référence: 290614
  • Possibilité : - d'acheter l'espace de bureau et les 4 places de parking ensemble ; - d'acheter l'espace de bureau et les places de parking séparément ; - d'acheter les 4 places de parking ensemble. G score: C P score: C
  • Vente en cours
  • Date de début: 06/01/2026 13:00
  • Date de fin: 14/01/2026 13:00
  • Pas d'enchère: 1000 €
  • Libre à partir du: A l'acte
  • NOTARISSEN Els DE BLOCK en Tim VANDERSTEEN
  • Personne de contact: Anna DE WINTER
  • Tel: (03) 711.08.27
  • Email: anna@notarissentemse.be
  • Informations de visite
  • - Le samedi 6 décembre 2025 de 10h à 12h et le samedi 13 décembre 2025 de 10h à 12h; - Sur rendez-vous avec le vendeur au numéro 0475/36.90.29.

Garages

242-328 Philippe Saveryslaan, 9140 Temse

Faire offre à partir de
88 000 €

Image de présentation du bien n° 290618
Vente publique en ligne
  • Référence: 290618
  • Possibilité : - d'acheter l'espace de bureau et les quatre places de parking ensemble ; - d'acheter l'espace de bureau et les places de parking séparément ; - d'acheter les quatre places de parking ensemble. G score: C P score: C
  • Vente en cours
  • Date de début: 06/01/2026 09:00
  • Date de fin: 14/01/2026 09:00
  • Pas d'enchère: 1000 €
  • Libre à partir du: A l'acte
  • NOTARISSEN Els DE BLOCK en Tim VANDERSTEEN
  • Personne de contact: Anna DE WINTER
  • Tel: (03) 711.08.27
  • Email: anna@notarissentemse.be
  • Informations de visite
  • - Le samedi 6 décembre 2025 de 10h à 12h et le samedi 13 décembre 2025 de 10h à 12h; - Sur rendez-vous avec le vendeur au numéro 0475/36.90.29.

Maisons

19 Hanenberg, 2470 Retie

Faire offre à partir de
380 000 €

Image de présentation du bien n° 290619
Vente de gré à gré
  • Référence: 290619
  • G score: A P score: A
  • Nombre de chambres: 3
  • Superficie habitable: 184m2
  • Nombre de salles de bains: 1
  • Revenu Cadastral: 585 €
  • Libre à partir du: A l'acte
  • NOTURA - Segers, Eyskens en Luyten
  • Personne de contact: Kantoor Notura Turnhout
  • Tel: (03) 233.26.33
  • Email: kantoor+turnhout@notura.be
  • Informations de visite
  • na afspraak met het notariskantoor.

Appartements

12 Willem Van Doornyckstraat, 9120 Haasdonk

Faire offre à partir de
190 000 €

Image de présentation du bien n° 290620
Vente publique en ligne
  • Référence: 290620
  • G score: A P score: A
  • Nombre de chambres: 1
  • Superficie habitable: 82m2
  • Nombre de salles de bains: 1
  • Vente en cours
  • Date de début: 06/01/2026 14:00
  • Date de fin: 14/01/2026 14:00
  • Pas d'enchère: 1000 €
  • Revenu Cadastral: 774 €
  • Libre à partir du: A l'acte
  • Bohyn & Ide, geassocieerde notarissen
  • Personne de contact: Kantoor Not. Bohyn & Ide
  • Tel: (052) 73.09.30
  • Email: info@bohyn-ide.be
  • Informations de visite
  • Elke zaterdagvoormiddag van 10u-12u, en dit vanaf zaterdag 13 december 2025 tot en met zaterdag 10 januari 2026

Maisons

13 Rue Hanson, 4130 Esneux

Faire offre à partir de
130 000 €

Image de présentation du bien n° 290621
Vente publique en ligne
  • Référence: 290621
  • Cette charmante maison située dans une ruelle calme au coeur du village recherché de Hony (Esneux)se compose: au rez-de-chaussée : 1 hall,1 salon/salle à manger,1 cuisine,1 WC,1 terrasse avec accès menant au jardin; au premier étage : 2 chambres, 1 salle de bains,1 buanderie; au deuxième étage : 1 chambre et 1 pièce rangement; au sous-sol : un garage. Surface PEB: 150m²; PEB: G; électricité non conforme
  • Nombre de chambres: 3
  • Superficie habitable: 150m2
  • Nombre de salles de bains: 1
  • Vente en cours
  • Date de début: 11/01/2026 13:00
  • Date de fin: 19/01/2026 13:00
  • Pas d'enchère: 1000 €
  • Revenu Cadastral: 560 €
  • Libre à partir du: A l'acte
  • URBIN-CHOFFRAY & HEPTIA, Notaires Associés
  • Personne de contact: Catherine MAINVILLE
  • Tel: (04) 380.10.98
  • Email: catherine.mainville.351977@belnot.be
  • Informations de visite
  • sur rdv

Maisons

11 Poelstraat, 9100 Nieuwkerken-Waas

Faire offre à partir de
339 000 €

Image de présentation du bien n° 290625
Vente de gré à gré
  • Référence: 290625
  • G score: C P score: D
  • Nombre de chambres: 3
  • Superficie habitable: 200m2
  • Nombre de salles de bains: 1
  • Revenu Cadastral: 740 €
  • Libre à partir du: A l'acte
  • VERLINDEN & HOUTSAEGER - Geassocieerde Notarissen
  • Personne de contact: Suleika TILLAERT
  • Tel: (03) 776.08.64
  • Email: suleika@notarisvh.be
  • Informations de visite
  • Neem contact op met het notariskantoor via 03/776.08.64 of suleika@notarisvh.be

Maisons

157 Weggevoerdenstraat, 3012 Wilsele

Faire offre à partir de
349 000 €

Image de présentation du bien n° 290626
Vente de gré à gré
  • Référence: 290626
  • Maison bien située (construction semi-ouverte), entre le centre de Wilsele Putkapel et Wijgmaal. La maison a été partiellement rénovée (nouvelle cuisine et nouvelle salle de bains). Située à quelques minutes à vélo du centre de Louvain et à proximité de la bretelle d'accès à l'E314 Kessel-Lo. G score: D P score: D
  • Nombre de chambres: 2
  • Nombre de salles de bains: 1
  • Revenu Cadastral: 466 €
  • Libre le: 01/04/2026
  • Triau & Verwimp
  • Personne de contact: Anneleen VAN ROMPAYE
  • Tel: (016) 44.60.30
  • Email: anneleen@notariaat-rotselaar.be

Appartements

2 Rue de la Cigogne, 7800 Ath

Faire offre à partir de
210 000 €

Image de présentation du bien n° 290627
Vente de gré à gré
  • Référence: 290627
  • Appartement au 3e étage avec 1 cave et 1 emplacement de parking situé à quelques pas de la gare d'Ath - Commerces et centre-ville à proximité - Comprend: hall d'entrée, cuisine équipée ouverte, living lumineux donnant sur la terrasse, buanderie, 2 chambres dont une avec un accès sur la terrasse , sdb (douche & lavabo), wc avec lavabo - cave - parking - PEB: B - A visiter sans tarder!
  • Nombre de chambres: 2
  • Revenu Cadastral: 1044 €
  • Libre à partir du: A l'acte
  • Laurent BARNICH & Quentin DUCARME, notaires associés
  • Personne de contact: Laetitia GARAU
  • Tel: (068) 28.21.76
  • Email: laetitia.garau.131177@belnot.be
  • Informations de visite
  • Renseignements et offres: s'adresser en l'étude des notaires associés Laurent BARNICH & Quentin DUCARME à Ath - tél. 068/28.21.76

Maisons

61 Rue des Bruyères, 7034 Obourg

Faire offre à partir de
40 000 €

Image de présentation du bien n° 290631
Vente de gré à gré
  • Référence: 290631
  • Petite maison à rénover avec cour et jardin. Rue calme proche de l'accès aux autoroutes. Grand living de 40 m², 1 chambre de 10 m², espace wc et salle de douche de 9 m², espace cuisine de 5,5 m². Cour de 20 m², jardin de 70 m². Grenier aménageable et possibilité de construire un étage.
  • Nombre de chambres: 1
  • Revenu Cadastral: 306 €
  • Libre à partir du: A l'acte
  • Julien FRANEAU, Notaire
  • Personne de contact: Nicolas VERHOLLE
  • Tel: (065) 33.52.12
  • Email: nicolas.verholle.106393@belnot.be

Maisons

34 Louis Herbertstraat, 9160 Lokeren

Faire offre à partir de
450 000 €

Image de présentation du bien n° 290582
Vente publique en ligne
  • Référence: 290582
  • G score: A P score: A
  • Nombre de chambres: 3
  • Superficie habitable: 198m2
  • Nombre de salles de bains: 1
  • Vente en cours
  • Date de début: 06/01/2026 15:00
  • Date de fin: 14/01/2026 15:00
  • Pas d'enchère: 1000 €
  • Revenu Cadastral: 1006 €
  • Libre à partir du: A l'acte
  • VAN der VEKEN, Raf
  • Personne de contact: Julie VAN DER VEKEN
  • Tel: (03) 210.92.79
  • Email: julie.vanderveken@notariaatbelsele.be
  • Informations de visite
  • elke zaterdag van 10u-12u vanaf 13/12 tem 10/1/2026

Maisons

23A Rue Mauditienne, 5150 Floreffe

Faire offre à partir de
420 000 €

Image de présentation du bien n° 290588
Vente de gré à gré
  • Référence: 290588
  • Située dans un environnement privilégié, cette villa d’architecte offre de magnifiques volumes, une luminosité exceptionnelle et une conception pensée pour le confort au quotidien. Une propriété rare, parfaitement orientée sud-ouest arrière, avec une vue dégagée dont on ne se lasse pas. Ce qu’elle propose : • Grands espaces de vie ouverts, lumineux et chaleureux • Cuisine équipée avec accès direct à la terrasse • 2 chambres + bureau • Grenier aménageable (5 x 9 m) : chambres supplémentaires, espace loisirs, etc. • Terrasse de 50 m² orientée SO • K7 à bois pour un confort supplémentaire • Châssis double vitrage en bois • CC mazout, compteur bi-horaire et électricité conforme • Citerne d’eau de pluie + filtre • Porte de garage électrique + portail électrique • Abris 5 x 8,5 m pratique et polyvalent • Accès à rue arrière : idéal pour stationnement ou activité • Maison saine À retenir : Une villa au charme indéniable, avec une architecture soignée, de beaux volumes et un potentiel encore exploitable. L’ensemble est habitable rapidement et offre un cadre de vie privilégié entre nature, luminosité et tranquillité. ?? Infos & visites : Thibault – 0486/97.87.00
  • Nombre de chambres: 4
  • Nombre de salles de bains: 1
  • Revenu Cadastral: 1301 €
  • Libre à partir du: A l'acte
  • WATILLON-HAMES, société notariale
  • Personne de contact: Clément LÉONARD
  • Tel: (081) 22.91.23
  • Email: clement.leonard.214659@belnot.be
  • Informations de visite
  • ?? Infos & visites : Thibault – 0486/97.87.00

Maisons

80 Korte Mermansstraat, 2300 Turnhout

Faire offre à partir de
285 000 €

Image de présentation du bien n° 290593
Vente de gré à gré
  • Référence: 290593
  • G score: B P score: B
  • Nombre de chambres: 4
  • Nombre de salles de bains: 1
  • Revenu Cadastral: 691 €
  • Libre à partir du: A l'acte
  • SZABO notarissen
  • Personne de contact: Johnny VAN LAER
  • Tel: (014) 27.90.72
  • Email: johnny@szabonotarissen.be
  • Informations de visite
  • na afspraak met het notariskantoor.

Maisons

50 Rue Eugène Dupont, 7860 Lessines

Faire offre à partir de
99 000 €

Image de présentation du bien n° 290460
Vente de gré à gré
  • Référence: 290460
  • Bonne maison d’habitation deux façades avec petit garage et jardin située dans le centre de Lessines à proximité de toutes les facilités (écoles, commerces, gare), composée comme suit : - Au sous-sol : une cave sèche (compteur d’eau) - Au rez-de-chaussée (en enfilade) : un couloir desservant un petit garage 1 voiture (compteur électrique + gaz), une salle à manger, un salon (verrière), une cuisine semi-équipée (évier, taques aux gaz de ville, frigo, chauffe-eau Bulex), une salle de bains (WC, lavabo, bain/douche, lavabo), jardin, remise. - Au 1er étage : 2 chambres, dont une avec convecteur. - Au 2ème étage : 1 chambre + un grenier aménageable. - Convecteur (gaz de ville) - Raccordement à l’égout - Simple vitrage - Volets aux fenêtres Renseignements généraux : RC : 294€ PEB : E Contrôle de l’installation électrique : non conforme Superficie cadastrale : 1 are et 30 centiares
  • Nombre de chambres: 2
  • Nombre de salles de bains: 1
  • Revenu Cadastral: 294 €
  • Libre à partir du: A l'acte
  • DEVREUX, Laurent
  • Personne de contact: Caroline RASSON
  • Tel: (068) 33.24.00
  • Email: caroline.rasson.106781@belnot.be
  • Informations de visite
  • Vous pouvez contacter l’Etude au 068/33.24.00 pour les visites.

Maisons

14 Rechtstraat, 3770 Val-Meer

Faire offre à partir de
250 000 €

Image de présentation du bien n° 290596
Vente publique en ligne
  • Référence: 290596
  • Maison située dans un environnement calme et verdoyant avec une vue imprenable. La maison est bien entretenue et entièrement rénovée en 2009. Elle dispose de 3 chambres, 2 salles de bains, un garage intégré et un garage séparé. Au rez-de-chaussée, la maison comprend un hall d'entrée, un spacieux salon, une cuisine, un débarras, une grande salle de bains et un garage intégré. À l'étage, on trouve 3 chambres et une salle de bains plus petite, ainsi qu'un espace de rangement au deuxième étage. Il y a également une cave, mais la maison n'est pas entièrement sous-solée. Dans le grand jardin orienté au sud, se trouvent un garage séparé et un abri de jardin. La maison est située sur un terrain de 212 m² et dispose d'une bande de jardin avant pavée et d'une petite cour intérieure à l'arrière. Elle bénéficie d'un emplacement calme avec un accès rapide aux entrées de l'E313, et se trouve dans une région offrant de nombreuses commodités accessibles à vélo. De plus, Riemst est idéalement situé entre les villes de Bilzen, Maastricht, Visé et Tongres, ce qui en fait un emplacement très bien desservi. G score: D P score: D
  • Nombre de chambres: 3
  • Nombre de salles de bains: 2
  • Vente en cours
  • Date de début: 07/01/2026 14:00
  • Date de fin: 15/01/2026 14:00
  • Pas d'enchère: 1000 €
  • Revenu Cadastral: 684 €
  • Libre à partir du: A l'acte
  • NEVEN & BEX
  • Personne de contact: Maria BEX
  • Tel: (012) 44.09.40
  • Email: maria.bex@nbnotarissen.be
  • Informations de visite
  • Chaque mercredi & chaque vendredi de 15h30 à 17h, à partir du mercredi 3/12/2025 jusqu'au vendredi 9/01/2026, sur rendez-vous téléphonique avec le bureau notarial; pas accessible le 24/12/2025, le 26/12/2025, le 31/12/2025 et le 2/01/2026

Maisons

7 Rue de la Flache, 7390 Quaregnon

Faire offre à partir de
80 000 €

Image de présentation du bien n° 290597
Vente de gré à gré
  • Référence: 290597
  • Maison d’habitation située à proximité du centre de Quaregnon. Elle dispose au rez-de-chaussée d’un hall d’entrée, d’une pièce avant/bureau, d’une pièce de vie composée d’un salon, d’une salle à manger et d’une cuisine, d’un coin buanderie et d’une salle de douche (avec wc). L’étage se compose de deux chambres et d’un grenier accessible via l’une des chambres. L’extérieur bénéfice d’une remise et d’un jardin. Equipement : Chauffage central gaz et châssis double vitrage. Présence d’une cave. PEB n°20251127006936 Consommation spécifique : 548 kWh/m².an Label : G Consommation théorique totale : 55 679 kWh/an
  • Nombre de chambres: 2
  • Superficie habitable: 102m2
  • Revenu Cadastral: 426 €
  • Libre à partir du: A l'acte
  • Anne TOUBEAUX, Notaire
  • Personne de contact: Loris CONTI
  • Tel: (065) 51.01.08
  • Email: loris.conti.127209@belnot.be
  • Informations de visite
  • S'adresser en l'étude.

Appartements

390 - Kerkhovensesteenweg, 3920 Lommel

Faire offre à partir de
210 000 €

Image de présentation du bien n° 290528
Vente publique en ligne
  • Référence: 290528
  • VILLE DE LOMMEL, troisième division : Dans un immeuble d'appartements, dénommé « Résidence Luyten », sur un terrain situé le long de la Kerkhovensesteenweg 390-392, connu selon l'acte de base comme section E, partie du numéro 1025/A/2 et actuellement connu selon le cadastre comme section E numéro 1025G2P0000, d'une superficie de six ares cinquante-six centièmes (6a 56ca), telle qu'indiquée comme lot 1 sur le plan cadastral établi par le géomètre Grevendonck à Lommel le 29 juillet 2015, plan qui est repris dans la base de données des plans de délimitation de l'Administration générale de la documentation patrimoniale sous le numéro de référence 72343-10152, et qui est également joint à l'acte de base mentionné ci-dessous, passé devant le notaire Ruud JANSEN à Lommel le 25 janvier 2016 : Appartement 4, situé à l'adresse Kerkhovensesteenweg 390/0102, situé au premier étage à droite, comprenant : a) en propriété privative et exclusive : au premier étage : hall d'entrée, chambre 1, chambre 2, salle de bains, wc, débarras/buanderie, cuisine ouverte, salle à manger-salon, terrasse extérieure. b) en copropriété et indivision forcée : deux cent quatre millièmes (204/1 000) dans les parties communes de l'immeuble, y compris le terrain ; Numéro de parcelle : 1025G2P0004 Place de parking 2, située au sous-sol, comprenant : a) En propriété privée et exclusive : la place de parking proprement dite b) En copropriété et indivision forcée : douze millièmes (12/1 000) dans les parties communes de l'immeuble, y compris le terrain ; Numéro de parcelle : 1025G2P0010 Comme décrit dans l'acte de base passé devant le notaire Ruud JANSEN à Lommel le 25 janvier 2016, transcrit au premier bureau hypothécaire à Hasselt le 28 janvier suivant sous le numéro de formalité 70-T-28/01/ 2016-00670, et la modification de l'acte de base passé devant le même notaire Ruud JANSEN le 13 avril 2016, transcrit au premier bureau hypothécaire de Hasselt le 19 avril suivant sous le numéro de formalité 70-T-19/04/2016-03468. Urbanisme : - permis de construire 4 appartements en date du 22 octobre 2013 et de déplacer le puits d'eau de pluie et les puisards en date du 22 décembre 2015 ; - zone résidentielle ; - aucune mesure de réparation judiciaire ou administrative imposée ; - aucun droit de préemption RUP ; - permis de lotissement daté du 7 février 1989 et permis de lotissement modificatif daté du 6 août 2013. Permis d'environnement, certificat de sol vierge daté du 23 janvier 2025. Non situé dans une zone à risque d'inondation, une zone sensible aux inondations, une zone inondable délimitée ou une zone riveraine, ou une zone signalée ; non situé dans une zone ouverte sensible à l'eau. Score P : A. Score G : A. Pas de patrimoine immobilier, non protégé. Contrôle de l'installation électrique : conforme. Pas de dossier post-intervention disponible, l'acheteur assume toute responsabilité, à l'exclusion du vendeur. Toutes les informations sont disponibles dans les conditions de vente uniformes. G score: A P score: A
  • Nombre de chambres: 2
  • Nombre de salles de bains: 1
  • Vente en cours
  • Date de début: 07/01/2026 12:00
  • Date de fin: 15/01/2026 12:00
  • Pas d'enchère: 1000 €
  • Revenu Cadastral: 832 €
  • Libre à partir du: Immédiatement
  • FLEMINGS & JANSEN
  • Personne de contact: Steffie DE MAEYER
  • Tel: (011) 54.40.19
  • Email: steffie@fjnot.be
  • Informations de visite
  • Après rendez-vous préalable auprès du notaire. Pas de visite possible du 24 décembre 2025 au 4 janvier 2026 inclus.

Maisons

5 Albrecht Rodenbachstraat, 2070 Zwijndrecht

Faire offre à partir de
165 000 €

Image de présentation du bien n° 290605
Vente publique en ligne
  • Référence: 290605
  • G score: A P score: A
  • Nombre de chambres: 3
  • Superficie habitable: 72m2
  • Nombre de salles de bains: 1
  • Vente en cours
  • Date de début: 20/01/2026 14:00
  • Date de fin: 28/01/2026 14:00
  • Pas d'enchère: 1000 €
  • Revenu Cadastral: 508 €
  • Libre à partir du: A l'acte
  • Bohyn & Ide, geassocieerde notarissen
  • Personne de contact: Kantoor Not. Bohyn & Ide
  • Tel: (052) 73.09.30
  • Email: info@bohyn-ide.be
  • Informations de visite
  • Elke zaterdagvoormiddag van 9u-13u, en dit vanaf zaterdag 27 december 2025 tot en met zaterdag 24 januari 2026

Maisons

23 Avenue Nestor Martin, 6870 Saint-Hubert

Faire offre à partir de
85 000 €

Image de présentation du bien n° 290278
Vente de gré à gré
  • Référence: 290278
  • Charmante maison à rénover, composée d’un petit hall d’entrée, d’une cuisine non équipée et salle à manger, de deux grandes chambres et deux plus petites, une salle de bain avec WC à rafraîchir, et d’un grenier aménageable. Le bien dispose d’une cave en dessous des pièces de vie accessible via une trappe située sous l’escalier. Le bien est partiellement équipé de double vitrage (à l’arrière du bâtiment). Poêle à mazout. Un joli jardin se situe à l’arrière, avec passage sur le côté de la maison.
  • Nombre de chambres: 4
  • Revenu Cadastral: 537 €
  • Libre à partir du: A l'acte
  • Sophie Robinet, société notariale
  • Personne de contact: Melanie BASTIN
  • Tel: (061) 61.10.09
  • Email: melanie.bastin.104182@belnot.be
  • Informations de visite
  • Fixer rendez-vous avec l'Etude

Maisons

32A Rue Alfred Thiébaut, 6280 Gerpinnes

Faire offre à partir de
309 000 €

Image de présentation du bien n° 290604
Vente de gré à gré
  • Référence: 290604
  • Villa (style chalet) avec garage et vaste jardin/terrain d'une superficie de 24 ares et 35 ca situé à Gerpinnes, rue Alfred Thiébaut, 32A (rue calme mais proche du centre) et composé comme suit : - Au niveau jardin (+/- 100 m²): un grand garage, une buanderie, une chambre et un débarras. - Au rez-de-chaussée: un hall d’entrée (+/- 21 m²), un séjour/salle à manger (+/- 54 m²), un WC (+/- 2,5 m²), hall avec un petit bureau (+/- 7 m²), une salle de jeux (+/- 7 m²) et une cuisine (+/- 15 m²). Terrasse qui fait toute la façade avant et le côté gauche vers la cuisine. - Au 1er étage: un palier/cage d’escalier (+/- 21 m²), un hall de nuit (+/- 5 m²), une chambre parentale avec salle de bain (+/- 21,5 m² et 6,5 m²) et terrasse (façade avant), une chambre avec dressing intégré (+/- 10 m²), une chambre enfant (+/- 8 m²) et une salle de douche (+/- 4 m²). - Vaste jardin tout autour du chalet avec 3 abris de jardin et un garage. Passage latéral droit avec portique. - Terrasses en balcon (en haut et en bas). - Chauffage au mazout. - Châssis double vitrage en bois. - PEB : F. - RC : 1.079€. Les visites s'effectuent les lundis et vendredis de 16h30 à 19h. Uniquement sur RDV au 071/41.45.34. Faire offre à partir de 309.000€.
  • Nombre de chambres: 4
  • Nombre de salles de bains: 1
  • Revenu Cadastral: 1079 €
  • Libre à partir du: A l'acte
  • Gilles FRANCE Notaire
  • Personne de contact: Charlotte METZ
  • Tel: (071) 41.45.34
  • Email: charlotte.metz.127191@belnot.be
  • Informations de visite
  • Les visites s'effectuent les lundi et vendredi de 16h30 à 19h. Uniquement sur RDV au 071/41.45.34

Maisons

1 De Wandeling, 8560 Gullegem

Faire offre à partir de
269 000 €

Image de présentation du bien n° 290611
Vente de gré à gré
  • Référence: 290611
  • Cette maison spacieuse semi-ouverte avec allée, garage et très grand jardin ensoleillé est située dans un quartier calme et prisé de Gullegem, à proximité du centre du village, des commerces et à deux pas de toutes les voies d'accès (R8, autoroutes, etc.). Depuis le hall d'entrée (avec toilettes séparées pour les invités), vous avez directement accès au salon lumineux et à la cuisine équipée. La maison dispose d'un garage spacieux qui donne sur le jardin. À l'étage, vous trouverez 3 chambres, un espace de rangement séparé et une salle de bains rénovée. La maison est équipée de double vitrage, d'un étage intermédiaire isolé et d'un toit en pente. Pour plus d'informations et pour visiter : étude notariale Orinn Vijncke à Gullegem - 056/42.44.44 ou info@notariaatdmv.be. G score: A P score: A
  • Nombre de chambres: 3
  • Superficie habitable: 150m2
  • Nombre de salles de bains: 1
  • Revenu Cadastral: 624 €
  • Libre à partir du: A l'acte
  • NOTARIS ORINN VIJNCKE
  • Personne de contact: Gwendoline VANSTEENLANDT
  • Tel: (056) 42.44.44
  • Email: gv@notariaatdmv.be

Bureaux

242 Philippe Saveryslaan, 9140 Temse

Faire offre à partir de
525 000 €

Image de présentation du bien n° 290610
Vente publique en ligne
  • Référence: 290610
  • Possibilité : - d'acheter l'espace de bureau et les 4 places de parking ensemble ; - d'acheter l'espace de bureau et les places de parking séparément ; - d'acheter les 4 places de parking ensemble. G score: C P score: C
  • Vente en cours
  • Date de début: 06/01/2026 10:00
  • Date de fin: 14/01/2026 10:00
  • Pas d'enchère: 1000 €
  • Revenu Cadastral: 2271 €
  • Libre à partir du: A l'acte
  • NOTARISSEN Els DE BLOCK en Tim VANDERSTEEN
  • Personne de contact: Anna DE WINTER
  • Tel: (03) 711.08.27
  • Email: anna@notarissentemse.be
  • Informations de visite
  • - Le samedi 6 décembre 2025 de 10h à 12h et le samedi 13 décembre 2025 de 10h à 12h; - Sur rendez-vous avec le vendeur au numéro 0475/36.90.29.

Garages

242-328 Philippe Saveryslaan, 9140 Temse

Faire offre à partir de
21 000 €

Image de présentation du bien n° 290613
Vente publique en ligne
  • Référence: 290613
  • Possibilité : - d'acheter l'espace de bureau et les 4 places de parking ensemble ; - d'acheter l'espace de bureau et les places de parking séparément ; - d'acheter les 4 places de parking ensemble. G score: C P score: C
  • Vente en cours
  • Date de début: 06/01/2026 12:00
  • Date de fin: 14/01/2026 12:00
  • Pas d'enchère: 1000 €
  • Libre à partir du: A l'acte
  • NOTARISSEN Els DE BLOCK en Tim VANDERSTEEN
  • Personne de contact: Anna DE WINTER
  • Tel: (03) 711.08.27
  • Email: anna@notarissentemse.be
  • Informations de visite
  • - Le samedi 6 décembre 2025 de 10h à 12h et le samedi 13 décembre 2025 de 10h à 12h; - Sur rendez-vous avec le vendeur au numéro 0475/36.90.29.

Garages

242-328 Philippe Saveryslaan, 9140 Temse

Faire offre à partir de
21 000 €

Image de présentation du bien n° 290615
Vente publique en ligne
  • Référence: 290615
  • Possibilité : - d'acheter l'espace de bureau et les 4 places de parking ensemble ; - d'acheter l'espace de bureau et les places de parking séparément ; - d'acheter les 4 places de parking ensemble. G score: C P score: C
  • Vente en cours
  • Date de début: 06/01/2026 14:00
  • Date de fin: 14/01/2026 14:00
  • Pas d'enchère: 1000 €
  • Libre à partir du: A l'acte
  • NOTARISSEN Els DE BLOCK en Tim VANDERSTEEN
  • Personne de contact: Anna DE WINTER
  • Tel: (03) 711.08.27
  • Email: anna@notarissentemse.be
  • Informations de visite
  • - Le samedi 6 décembre 2025 de 10h à 12h et le samedi 13 décembre 2025 de 10h à 12h; - Sur rendez-vous avec le vendeur au numéro 0475/36.90.29.

Bureaux

242 Philippe Saveryslaan, 9140 Temse

Faire offre à partir de
613 000 €

Image de présentation du bien n° 290616
Vente publique en ligne
  • Référence: 290616
  • Possibilité : - d'acheter l'espace de bureau et les quatre places de parking ensemble ; - d'acheter l'espace de bureau et les places de parking séparément ; - d'acheter les quatre places de parking ensemble. G score: C P score: C
  • Vente en cours
  • Date de début: 06/01/2026 15:00
  • Date de fin: 14/01/2026 15:00
  • Pas d'enchère: 1000 €
  • Revenu Cadastral: 2447 €
  • Libre à partir du: A l'acte
  • NOTARISSEN Els DE BLOCK en Tim VANDERSTEEN
  • Personne de contact: Anna DE WINTER
  • Tel: (03) 711.08.27
  • Email: anna@notarissentemse.be
  • Informations de visite
  • - Le samedi 6 décembre 2025 de 10h à 12h et le samedi 13 décembre 2025 de 10h à 12h; - Sur rendez-vous avec le vendeur au numéro 0475/36.90.29.

Maisons

37 Rue de la Fraternité, 6792 Halanzy

Faire offre à partir de
140 000 €

Image de présentation du bien n° 290622
Vente de gré à gré
  • Référence: 290622
  • COMPRENANT AU SOUS-SOL : 2 caves AU REZ-DE CHAUSSÉE : couloir, salle à manger, salon, cuisine non-équipée avec four à pain, débarras, WC, buanderie donnant accès au jardin. AU PREMIER ÉTAGE : hall de nuit desservant 3 chambres et un petit bureau. SOUS-TOIT : grenier Châssis bois simple vitrage avec volets. Pas de chauffage. Garage simple et jardin. Proximité des grands axes, des écoles et commerces. Contenance totale de 8a 13ca R.C : 708 euros PEB N° 20251124010026 – CLASSE G
  • Nombre de chambres: 3
  • Revenu Cadastral: 708 €
  • Libre à partir du: A l'acte
  • Nicolas PEIFFER - Société notariale
  • Personne de contact: Lara DEFOSSÉ
  • Tel: (063) 38.83.30
  • Email: info@notairepeiffer.be
  • Informations de visite
  • Renseignements et visites, s’adresser en l’Etude du notaire Nicolas PEIFFER à Aubange

Maisons

17 Avenue Coquette, 1428 Lillois-Witterzée

Faire offre à partir de
365 000 €

Image de présentation du bien n° 290608
Vente de gré à gré
  • Référence: 290608
  • Vente sous autorisation du Juge de Paix • Maison 4 façades (Lot n°12 du lotissement "Pré Coquette") avec jardin et carport extérieur • Immeuble A RÉNOVER • Libre d’occupation • Située dans un quartier résidentiel et à ± 10 min de la gare • L’ensemble cadastré section A n° 0333TP0000 • Sous-sol : dégagement / cage d'escaliers, grande cave et garage (+ adoucisseur eau) • Rez : hall d'entrée avec cage d'escaliers vers l'étage et accès vers cave/garage, wc, séjour avec insert cassette/salle à manger (± 44m²) avec accès terrasse, cuisine meublée équipée (± 12m²), buanderie avec accès extérieur (± 4m² - boiler eau chaude) et pièce bureau/chambre (± 10m²) • 1er étage sous toiture : hall de nuit, wc, 4 chambres avec placards de rangement en sous-pente (± 15m², ± 14m², ± 11m² et ± 10m² avec boiler eau chaude), SDB de ± 7m² • Accès grenier par trappe escalier escamotable, non aménageable • Jardin arboré, terrasse couverte, pièce extérieure (rangement) • Équipement : fosse septique (voir plan), châssis bois - double vitrage, chauffage par convecteurs électriques • Visites : sur rendez-vous en téléphonant au préalable au 0476/244.177 durant les heures de bureau • Renseignements complémentaires en l’étude • Faire offre via l'application www.biddit.be
  • Nombre de chambres: 5
  • Superficie habitable: 151m2
  • Nombre de salles de bains: 1
  • Revenu Cadastral: 1802 €
  • Libre à partir du: A l'acte
  • Valérie DHANIS & Enguerrand de PIERPONT, notaires associés
  • Personne de contact: Véronique BAUCQ
  • Tel: (02) 384.20.00
  • Email: veronique.baucq.222030@belnot.be
  • Informations de visite
  • Sur RDV en téléphonant au préalable au 0476/244.177 durant les heures de bureaux

Maisons

26 Rue des Combattants, 4690 Glons

Faire offre à partir de
178 000 €

Image de présentation du bien n° 290522
Vente de gré à gré
  • Référence: 290522
  • Notre Etude vous propose cette maison 2 façades avec une superficie habitable de +-145m² située dans un quartier calme et recherché à Bassenge à proximité de toutes commodités. Elle se compose comme suit ; un hall d'entrée, une salle à manger, un salon, une cuisine lumineuse donnant accès au long jardin orienté plein sud avec abri de jardin. 2 chambres + 1 grenier aménageable, 1 salle de bain lumineuse et rénovée et une cave. Toiture bon état -> faite en 2010 Châssis double vitrage PVC PEB E, chauffage au poêle à pellets et un chauffage convecteur électrique accumulateur. Pour prévoir une visite, n'hésitez pas à prendre contact avec Madame Armella HUKIC au 04/230.31.00.
  • Nombre de chambres: 2
  • Nombre de salles de bains: 1
  • Revenu Cadastral: 275 €
  • Libre à partir du: A l'acte
  • FORET Charles-Henri, société notariale
  • Personne de contact: Armella HUKIÇ
  • Tel: (04) 230.31.00
  • Email: armella.hukic.130831@belnot.be

Maisons

44 Londenstraat, 2000 Antwerpen

Faire offre à partir de
402 500 €

Image de présentation du bien n° 290538
Vente publique en ligne
  • Référence: 290538
  • G score: B P score: B
  • Nombre de chambres: 1
  • Vente en cours
  • Date de début: 27/01/2026 14:00
  • Date de fin: 04/02/2026 14:00
  • Pas d'enchère: 500 €
  • Revenu Cadastral: 2404 €
  • Libre à partir du: A l'acte
  • Notaris Koen De Raeymaecker
  • Personne de contact: Koen DE RAEYMAECKER
  • Tel: (03) 231.42.75
  • Email: koen.deraeymaecker@belnot.be
  • Informations de visite
  • Sleutel op te halen op notariskantoor na tel. afspr. en mits betaling van een borgsom.

Maisons

171, 7080 rue Emile Vandervelde

Faire offre à partir de
180 000 €

Image de présentation du bien n° 290628
Vente de gré à gré
  • Référence: 290628
  • Belle villa de plain-pied comprenant corridor, wc, salon, salle à manger, bureau, cuisine semi-équipée, salle de bains, 2 chambres, cave, garage, grand jardin (environs 10 ares), terrasse, passage latéral. Chauffage central mazout.
  • Nombre de chambres: 2
  • Nombre de salles de bains: 1
  • Revenu Cadastral: 1019 €
  • Libre à partir du: A l'acte
  • ETUDE RAUCENT
  • Personne de contact: Joëlle BERLEMONT
  • Tel: (065) 61.08.50
  • Email: joelle.berlemont.130252@belnot.be
  • Informations de visite
  • Prendre RDV en l'étude

Maisons

88 Kanaalstraat, 8550 Zwevegem

Faire offre à partir de
240 000 €

Image de présentation du bien n° 290630
Vente publique en ligne
  • Référence: 290630
  • Bungalow à rénover avec garage, situé dans un quartier résidentiel calme. Cette maison comprend une cuisine, un salon, deux chambres et une salle de bains. Obligation de rénovation (label F). G score: A P score: A
  • Nombre de chambres: 2
  • Nombre de salles de bains: 1
  • Vente en cours
  • Date de début: 07/01/2026 10:00
  • Date de fin: 15/01/2026 10:00
  • Pas d'enchère: 1000 €
  • Revenu Cadastral: 1110 €
  • Libre à partir du: A l'acte
  • Denys, Vanden Daelen & De Ketele, notarissen
  • Personne de contact: Kantoor Not. Denys, Vanden Daelen & De Ketele
  • Tel: (056) 76.05.88
  • Email: info@dvddnotarissen.be
  • Informations de visite
  • Les candidats acheteurs pourront visiter le bien : le jeudi 11 décembre 2025 entre 15h30 et 16h30, le vendredi 19 décembre 2025 entre 15h30 et 16h30, - le vendredi 9 janvier 2026 entre 15h30 et 16h30

Maisons

86 Nieuwstraat, 9150 Rupelmonde

Faire offre à partir de
255 000 €

Image de présentation du bien n° 288719
Vente de gré à gré
  • Référence: 288719
  • G score: A P score: A
  • Nombre de chambres: 3
  • Superficie habitable: 147m2
  • Nombre de salles de bains: 1
  • Revenu Cadastral: 500 €
  • Libre à partir du: A l'acte
  • AMPE & DE VUSSER GEASSOCIEERDE NOTARISSEN
  • Personne de contact: Gitte DIERICK
  • Tel: (03) 774.10.37
  • Email: gitte.dierick@a-dv.be

Maisons

60 Vrijheidsstraat, 9470 Denderleeuw

Faire offre à partir de
280 000 €

Image de présentation du bien n° 290633
Vente publique en ligne
  • Référence: 290633
  • * Rez-de-chaussée : - cuisine, salle à manger, salon (semi-)ouvert avec vue sur le jardin et le garage - chambre, WC séparé avec buanderie, accès à la deuxième terrasse et au jardin. * Premier étage : - chambre 1, chambre bébé, salle de bains 1 (baignoire, douche, lavabo spacieux), toilettes séparées et dressing. * Deuxième étage : - deux chambres, salle de douche * Sous-sol sur la majeure partie de la surface * Possibilité d'aménager un grenier de rangement dans l'annexe G score: A P score: A
  • Nombre de chambres: 4
  • Nombre de salles de bains: 2
  • Vente en cours
  • Date de début: 05/01/2026 14:00
  • Date de fin: 13/01/2026 14:00
  • Pas d'enchère: 1000 €
  • Revenu Cadastral: 560 €
  • Libre à partir du: A l'acte
  • Caudron, Herzeel & Breckpot, geassocieerde notarissen
  • Personne de contact: Kantoor Not. Caudron, Herzeel & Breckpot
  • Tel: (053) 21.11.05
  • Email: frederic.caudron@belnot.be
  • Informations de visite
  • Mercredi 17 décembre 2025 et mercredi 7 janvier 2026 de 18h à 20h, ainsi que samedi 20 décembre 2025, samedi 27 décembre 2025 et samedi 10 janvier 2026 de 10h à 12h.

Maisons

19 Rue Octave Philippot, 4570 Marchin

Faire offre à partir de
359 000 €

Image de présentation du bien n° 290010
Vente de gré à gré
  • Référence: 290010
  • Avec la douceur des paysages, elle se tient prête à offrir un nouveau chapitre à ceux qui rêvent d’espace, de lumière et de sérénité. Posée dans un environnement où la ruralité respire encore, cette demeure vous accueille comme un cocon où l’on se sent immédiatement chez soi. Dès l’entrée, vous découvrez ses pièces habituelles, pensées pour accompagner chaque instant du quotidien. La cuisine, véritable cœur de la maison, invite à partager repas. Les châssis neufs, fraîchement installés, veillent à votre confort et diffusent une douce lumière. La maison offre trois chambres, un dressing. Le chauffage central au mazout garantit chaleur et sérénité en toute saison En poursuivant la visite, vous trouverez une buanderie, une cave pratique, un grenier plein de potentiel, prêt à accueillir vos projets ou vos souvenirs. À l’extérieur, le charme se déploie encore : une terrasse couverte prolonge les soirées et protège les moments partagés, quel que soit le caprice du ciel. Le jardin se niche entièrement en zone d’habitat, un atout précieux pour vos projets futurs. Il s’anime au fil des saisons, offrant tantôt un écrin verdoyant, tantôt un manteau doré, toujours propice aux rêveries comme aux jeux. Pour compléter cet ensemble rare, la maison dispose de deux garages, idéaux pour abriter véhicules, outils ou passions. Le visuel reste non contractuel Les visites sont prévues les lundis à 16h et les dimanches à 10h sur rendez-vous en contactant Isvan au 0475254457 7j/7 de 8h à 20h
  • Nombre de chambres: 3
  • Revenu Cadastral: 599 €
  • Libre à partir du: A l'acte
  • Notaires GEORGE & DEKEYSER
  • Personne de contact: Isvan WILHELMI
  • Tel: 0475254457
  • Email: isvan.wilhelmi.223703@belnot.be
  • Informations de visite
  • Les visites sont prévues les lundis à 16h et les dimanches à 10h sur rendez-vous en contactant Isvan au 0475254457 7j/7 de 8h à 20h

Maisons

44 Boswachtersdreef, 2920 Kalmthout

Faire offre à partir de
595 000 €

Image de présentation du bien n° 290599
Vente de gré à gré
  • Référence: 290599
  • Cette maison à rénover à Kalmthout est une opportunité exceptionnelle pour ceux qui rêvent de vivre dans un environnement verdoyant et calme. La maison a été conçue par l'architecte Jo Crepain, ce qui lui confère un atout architectural supplémentaire. Avec son jardin ensoleillé, son garage pratique et ses fondations solides, cette maison offre toutes les possibilités pour la rénover entièrement à votre goût et la transformer en une maison chaleureuse et contemporaine. Points forts - Conçue par l'architecte Jo Crepain - Situation dans un cadre verdoyant - Environnement très calme - Jardin ensoleillé - Emplacement idéal à Dennendaal - Garage inclus Vous souhaitez découvrir le potentiel de cette maison ? Contactez-nous dès aujourd'hui pour obtenir plus d'informations ou organiser une visite ! G score: A P score: B
  • Nombre de chambres: 2
  • Superficie habitable: 196m2
  • Nombre de salles de bains: 1
  • Revenu Cadastral: 1993 €
  • Libre à partir du: A l'acte
  • Dejongh, De Boungne & De Smedt, geassocieerde notarissen
  • Personne de contact: Kantoor Not. Dejongh, De Boungne & De Smedt
  • Tel: (03) 666.80.35
  • Email: info@djbs-notarissen.be

Maisons

92 Rue Paul Janson, 6560 Grand-Reng

Faire offre à partir de
100 000 €

Image de présentation du bien n° 286430
Vente de gré à gré
  • Référence: 286430
  • Maison d'habitation avec jardin d'une superficie de 2a 80ca composée: Au rez: salon, salle à manger, cuisine équipée, buanderie, salle de bains, cour et jardin A l’étage: 2 chambres Grenier non aménageable Sous-sol : 1 cave Chauffage central au mazout (cuve de 2000 litres) Châssis PVC brun double vitrage. Egouttage à rue Toiture arrière refaite il y a +/- 15 ans Electricité : en bon état mais pv électrique non conforme PEB : G (534 kWh/m³/an)
  • Nombre de chambres: 2
  • Superficie habitable: 98m2
  • Nombre de salles de bains: 1
  • Revenu Cadastral: 190 €
  • Libre à partir du: autre
  • LOSSEAU, Eric
  • Personne de contact: Angelique VAN WYMEERSCH
  • Tel: (071) 55.54.30
  • Email: angelique.vanwymeersch.130161@belnot.be

Maisons

9 Damstraat, 9260 Wichelen

Faire offre à partir de
412 000 €

Image de présentation du bien n° 290583
Vente publique en ligne
  • Référence: 290583
  • Située dans la Damstraat à Serskamp (Wichelen), cette maison spacieuse se trouve dans une double habitation avec un grand jardin. Au rez-de-chaussée, vous trouverez un hall d'entrée avec toilettes, deux chambres, une salle de bains, un salon lumineux avec cuisine et un espace de rangement. Il y a également une cave spacieuse. Au premier étage, vous trouverez un hall avec toilettes, un espace de rangement, une chambre et une salle de bains avec baignoire et douche. Au deuxième étage, vous trouverez une pièce polyvalente qui sert actuellement de salle de jeux. La maison est située à la campagne, mais également à proximité du centre de Serskamp. Pour toute question complémentaire, vous pouvez toujours contacter le étude notarial « NOTARIAAT KALKENSE MEERSEN, notaires associés » à 9270 Laarne (Kalken), Vaartstraat 90/2, au numéro 09/367.62.43 ou par e-mail : info@notariaatkalken.be. Le dossier d'intervention ultérieure relatif à la rénovation peut être consulté au cabinet du notaire. G score: A P score: D
  • Nombre de chambres: 3
  • Nombre de salles de bains: 2
  • Vente en cours
  • Date de début: 31/12/2025 14:00
  • Date de fin: 08/01/2026 14:00
  • Pas d'enchère: 1000 €
  • Revenu Cadastral: 1067 €
  • Libre à partir du: Immédiatement
  • NOTARIAAT KALKENSE MEERSEN, geassocieerde notarissen
  • Personne de contact: Alice GHEERAERT
  • Tel: (09) 367.62.43
  • Email: info@notariaatkalken.be
  • Informations de visite
  • Visite libre aux moments suivants : - samedi 20/12/2025 de 12h30 à 14h30; - samedi 27/12/2025 de 12h30 à 14h30; - mercredi 31/12/2025 de 14h à 16h; - samedi 3/01/2026 de 10h à 12h; - mercredi 7/01/2026 de 14h à 16h;

Maisons

32 Drapstraat, 9220 Hamme

Faire offre à partir de
289 000 €

Image de présentation du bien n° 290584
Vente de gré à gré
  • Référence: 290584
  • G score: D P score: D
  • Nombre de chambres: 3
  • Nombre de salles de bains: 1
  • Revenu Cadastral: 805 €
  • Libre à partir du: A l'acte
  • FLIES & DE JONGHE, GEASSOCIEERDE NOTARISSEN
  • Personne de contact: Kantoor Not. Flies & De Jonghe
  • Tel: (052) 33.99.00
  • Email: ellen.flies@belnot.be

Terrains

71 Molenbaan, 2290 Vorselaar

Faire offre à partir de
180 000 €

Image de présentation du bien n° 290258
Vente de gré à gré
  • Référence: 290258
  • P score: B
  • Libre à partir du: A l'acte
  • NOTADUX
  • Personne de contact: Peggy GOOSSENS
  • Tel: (014) 50.74.30
  • Email: peggy.goossens.350138@belnot.be

Maisons

3 Rue des Saules, 4317 Faimes

Faire offre à partir de
180 000 €

Image de présentation du bien n° 280606
Vente de gré à gré
  • Référence: 280606
  • Commune de FAIMES : CELLES-TERMOGNE Situé rue des Saules n°3 Ensemble immobilier destiné à un promoteur/professionnel : - Maison d’habitation a l’état de gros œuvre avec cour et jardin - Un volume à bâtir adjacent pourrait convenir pour y créer un appartement+ garage) état de gros œuvre ouvert - Un batiment arrière avec accès carrossable ( toiture éternit) volume intérieur environ 200m2 – état à revoir - Un jardin rejoignant la maison Superficie totale 1.243m2 Pour créer des logements supplémentaires un permis d’urbanisme doit être obtenu Prix demandé : 180.000 euros Vente soumise à autorisation de justice
  • Nombre de chambres: 3
  • Revenu Cadastral: 481 €
  • Libre à partir du: Immédiatement
  • CRISMER & de SAUVAGE, Notaires Associés
  • Personne de contact: Stéphanie LAMBERT
  • Tel: (04) 250.10.56
  • Email: stephanie.lambert.130807@belnot.be

Maisons

37 Waterhoek, 8580 Avelgem

Faire offre à partir de
649 000 €

Image de présentation du bien n° 290585
Vente de gré à gré
  • Référence: 290585
  • G score: B P score: D
  • Nombre de chambres: 3
  • Nombre de salles de bains: 2
  • Revenu Cadastral: 493 €
  • Libre à partir du: A définir
  • DENYS-MONTEYNE, Geassocieerde Notarissen
  • Personne de contact: Bernard DENYS
  • Tel: 0478/23.00.54
  • Email: bernard.denys@belnot.be

Maisons

1 Rue de la Tannerie, 6820 Sainte-Cécile

Faire offre à partir de
28 000 €

Image de présentation du bien n° 290523
Vente online
  • Référence: 290523
  • Maison à rénover entièrement – Prix attractif – belle opportunité à saisir ! Située au cœur du charmant village de Sainte-Cécile, cette maison offre un excellent potentiel pour un projet de résidence secondaire, un investissement ou encore la création d’un gîte. Le bien nécessite une rénovation complète mais dispose déjà de beaux volumes, offrant de nombreuses possibilités d’aménagement. À l’arrière de la maison, vous profiterez d’un petit jardin ainsi que d’un garage en très bon état, un atout pour le stationnement, le stockage ou l’aménagement d’un atelier. Ce bien constitue une opportunité pour les investisseurs, les bricoleurs ou toute personne à la recherche d’un projet de rénovation à façonner de A à Z. Possibilité d’obtention des droits réduits si respect des conditions légales applicables (nous vous invitons, sur ce point, à prendre vos renseignements auprès de l’étude.) Pour en savoir plus ou pour organiser une visite, contactez-nous dès aujourd'hui : 061/31.16.95 LL@notflo.be
  • Nombre de chambres: 2
  • Nombre de salles de bains: 1
  • Vente en cours
  • Date de début: 26/01/2026 12:00
  • Date de fin: 03/02/2026 12:00
  • Pas d'enchère: 1000 €
  • Revenu Cadastral: 270 €
  • Libre à partir du: A l'acte
  • Charlotte BRICOULT & François CATINUS, notaires associés
  • Personne de contact: Charlotte BRICOULT
  • Tel: (061) 31.16.95
  • Email: charlotte.bricoult@belnot.be
  • Informations de visite
  • Pour tous renseignements et visites, prendre contact avec l'étude

Terrains

Blijde-Inkomststraat, 2140 Borgerhout

Faire offre à partir de
197 500 €

Image de présentation du bien n° 290534
Vente online
  • Référence: 290534
  • P score: A
  • Vente en cours
  • Date de début: 27/01/2026 13:00
  • Date de fin: 04/02/2026 13:00
  • Pas d'enchère: 500 €
  • Revenu Cadastral: 4 €
  • Libre à partir du: A l'acte
  • Notaris Koen De Raeymaecker
  • Personne de contact: Koen DE RAEYMAECKER
  • Tel: (03) 231.42.75
  • Email: koen.deraeymaecker@belnot.be
  • Informations de visite
  • na tel. contact met het notariskantoor.

Maisons

118 Rue sur la Statte, 4870 Trooz

Faire offre à partir de
145 000 €

Image de présentation du bien n° 290396
Vente de gré à gré
  • Référence: 290396
  • Cette maison mitoyenne, idéalement située dans un quartier calme à Trooz, constitue une opportunité idéale pour un premier achat, parfaitement adaptée à une personne seule ou un jeune couple. Elle offre un cadre de vie confortable et fonctionnel, avec de beaux volumes lumineux. Composition du bien : - Rez-de-chaussée : Séjour lumineux ouvert sur une cuisine semi-équipée. - Premier étage : Chambre ainsi qu’une salle de bain équipée d’une baignoire. - Deuxième étage : Grenier entièrement aménagé pouvant servir de chambre supplémentaire, bureau ou espace polyvalent selon vos besoins. Cave - Surface habitable : 96 m² - Revenu cadastral : 237 € - Certificat PEB 20251104025432 (coeff. E- 423 kWh/m²/an) - Installation électrique conforme - Attestation conformité gaz - Zone d’habitat - Renseignements et visites : S’adresser en l’Etude du Notaire Renaud MOZIN à Olne (087/26.60.80 - renaud.mozin@belnot.be)
  • Nombre de chambres: 1
  • Superficie habitable: 96m2
  • Nombre de salles de bains: 1
  • Revenu Cadastral: 237 €
  • Libre à partir du: A l'acte
  • Renaud MOZIN, Notaire
  • Personne de contact: Lucie OTTENBURGS
  • Tel: 087/26.60.79
  • Email: lucie.ottenburgs.128868@belnot.be
  • Informations de visite
  • Visites sur rendez-vous : s’adresser en l’Etude du Notaire Renaud MOZIN (087/26.60.80 - renaud.mozin@belnot.be)

Maisons

155 Rue Defuisseaux, 7333 Tertre

Faire offre à partir de
290 000 €

Image de présentation du bien n° 290537
Vente de gré à gré
  • Référence: 290537
  • Maison bel étage - 2 façades - nouvelle construction (2022). Rez-de-chaussée : hall d'entrée, chaufferie, buanderie et pièce à usage de bureau ou de dressing, garage. 1er étage : séjour avec terrasse, cuisine. 2ème étage : salle de bain et 3 chambres. 3ème étage : grenier de stockage. Extérieurs: jardin et terrasse. Equipements : châssis en PVC, système d'alarme, électricité aux normes, chauffage central au gaz, garage avec porte sectionnelle et électrique, système double flux. La maison est actuellement louée. Acte de division à prévoir. Une quote-part des frais de géomètre et des frais d'acte de division sera à charge des acquéreurs. Visites sur rendez-vous pris en l'Etude.
  • Nombre de chambres: 3
  • Libre à partir du: A l'acte
  • Mathieu DURANT - Notaire
  • Personne de contact: Ornella MUTRI
  • Tel: (065) 76.57.00
  • Email: ornella.mutri.125716@belnot.be
  • Informations de visite
  • Sur rendez-vous

Terrains

Rue Jean Deremince, 5000 Beez

Faire offre à partir de
105 000 €

Image de présentation du bien n° 290245
Vente de gré à gré
  • Référence: 290245
  • Beau terrain à bâtir (zone d'habitat) lot 1de 16 ares 61 centiares dans une rue calme de Beez. Largeur: 17 mètres de façade et Profondeur de +:- 97 mètres. Orientation Est. Plan en annexe. Prix :105.000,00€ sauf offre supérieure Pour tout renseignement, téléphoner à l'étude au 081/22.01.57.
  • Libre à partir du: A l'acte
  • Damien LE CLERCQ, Société Notariale
  • Personne de contact: Marie-Laure GODFROID
  • Tel: (081) 22.01.57
  • Email: marielaure.godfroid.133843@belnot.be

Maisons

121 Rue Alfred Defuisseaux, 7390 Quaregnon

Faire offre à partir de
30 000 €

Image de présentation du bien n° 290429
Vente online
  • Référence: 290429
  • Maison d'habitation à rénover située dans une ruelle. Le bien se compose au rez-de-chaussée d’un hall d’entrée, d’un salon, d’une salle à manger, d’une salle de douche avec wc, d’une cuisine et d’un coin buanderie (présence d’une forte humidité). L’étage dispose de deux chambres ainsi que de wc séparés. Extérieur : terrasse avant et arrière, jardin de 54 ca, non attenant, situé un peu plus loin dans la ruelle. Equipements : châssis double vitrage – plus de système chauffage. Cave. L’acquéreur devra faire son affaire personnelle du mobilier encore présent dans le bien. PEB n°20251106003653 Consommation spécifique : 949 kWh/m².an Label : G
  • Nombre de chambres: 2
  • Superficie habitable: 100m2
  • Vente en cours
  • Date de début: 06/01/2026 10:00
  • Date de fin: 14/01/2026 10:00
  • Pas d'enchère: 1000 €
  • Revenu Cadastral: 280 €
  • Libre à partir du: A l'acte
  • Anne TOUBEAUX, Notaire
  • Personne de contact: Loris CONTI
  • Tel: (065) 51.01.08
  • Email: loris.conti.127209@belnot.be
  • Informations de visite
  • S'adresser en l'étude.

Autre

9 Rue des Martyrs, 7330 Saint-Ghislain

Faire offre à partir de
80 000 €

Image de présentation du bien n° 290546
Vente de gré à gré
  • Référence: 290546
  • Hangar avec électricité et un point d'eau. Un projet pour faire une maison a été réalisé. Visites sur rendez-vous.
  • Revenu Cadastral: 468 €
  • Libre à partir du: A l'acte
  • Mathieu DURANT - Notaire
  • Personne de contact: Ornella MUTRI
  • Tel: (065) 76.57.00
  • Email: ornella.mutri.125716@belnot.be
  • Informations de visite
  • Sur rendez-vous

Maisons

5 Rue Sur la Champagne, 6687 Bertogne

Faire offre à partir de
170 000 €

Image de présentation du bien n° 290552
Vente de gré à gré
  • Référence: 290552
  • Maison d'habitation à restaurer mitoyenne 3 façades "rue Sur la Champagne 5", cadastrée Commune de BASTOGNE 7ème division Bertogne (82005) section B n° 1456HP0000, année 1850-1874, RC 637€, sur et avec terrain de ± 12a 38ca (voir plan avec options A-B-C), comprenant : rez : hall/couloir, 4 pièces, cuisine, wc ; étage 1 (plancher) : hall de nuit/couloir, 3 chambres, salle de bain ; étage 2 (plancher) : vastes greniers aménageables ; sous-sol : cave terre battue sous la moitié du bâtiment. Equipements : PEB G, toiture non isolée éternits, châssis bois double vitrage, égouts. Extérieur : jardin, hangar (1/3 pierres avec fosse, 2/3 bois & tôles). Options suivant offre(s) respective(s) supplémentaire(s) : A) ± 04a 75ca partie (solde) du 1456HP0000 ; B) ± 02a 31ca partie du 1457GP0000 ; C) ± 01a 82ca partie (solde) du 1457GP0000. Vente sous régime des droits d'enregistrement. Le prix annoncé est une base de négociation n'engageant pas le vendeur. Les informations sont fournies à titre indicatif et non contractuel.
  • Nombre de chambres: 3
  • Superficie habitable: 251m2
  • Nombre de salles de bains: 1
  • Revenu Cadastral: 637 €
  • Libre à partir du: A l'acte
  • Quentin BOINET - société notariale
  • Personne de contact: Pascal LIEGEOIS
  • Tel: (061) 21.11.22
  • Email: pascal.liegeois.131656@belnot.be
  • Informations de visite
  • Sur rendez-vous via l'étude (061/21.11.22)

Maisons

7 Rue de l'Oratoire, 7000 Mons

Faire offre à partir de
220 000 €

Image de présentation du bien n° 290509
Vente de gré à gré
  • Référence: 290509
  • Située à proximité immédiate de l'autoroute, des grands prés et du centre ville, cette jolie villa se trouve sur un terrain de plus de 8 ares, avec un beau jardin arboré et très bien entretenu. Elle se déploie sur 3 niveaux : cave, rez-de-chaussée et combles aménagés. Au rez-de-chaussée, on retrouve un vestibule d'entrée, un living, une cuisine, une chambre, la salle de douche et un garage. A l'étage, un grand grenier aménagé. Sous l'ensemble de la maison, on retrouve une cave avec toute la technique et nombre d'espaces de stockage. Accès au jardin directement depuis la cave ou depuis la cuisine via une grande terrasse en hauteur. Au niveau énergétique, deux boilers fournissent l'eau chaude sanitaire tandis que le chauffage central fonctionne grâce à une chaudière au gaz (gaz de ville). En plus du gaz, il est possible de chauffer la maison grâce à un poêle à bois déjà installé dans le living. Les châssis double vitrage en bois sont tous équipés de volets intégrés. Actuellement, une grande volière/enclos à chat est présente dans le jardin (visible sur les photos). Elle est accessible depuis la cave via une chatière et fait partie de la vente, au même titre que le chalet de jardin. La maison est en très bon état général.
  • Nombre de chambres: 2
  • Superficie habitable: 148m2
  • Revenu Cadastral: 671 €
  • Libre à partir du: A l'acte
  • Tiphène FREDERIC, Notaire
  • Personne de contact: Tiphene FRÉDÉRIC
  • Tel: (065) 11.10.10
  • Email: tiphene.frederic@belnot.be
  • Informations de visite
  • Sur rendez-vous

Maisons

17 Rue de la Prévoyance, 7000 Mons

Faire offre à partir de
85 000 €

Image de présentation du bien n° 290541
Vente de gré à gré
  • Référence: 290541
  • Maison d'habitation 2 façades comprenant au rez-de-chaussée : hall d'entrée, salon-salle à manger, cuisine, salle de bains avec WC, pièce à l'arrière - Etage : 2 chambres, grenier aménageable - cave au sous-sol - chauffage par convecteurs gaz - châssis double vitrage. Offres fermes uniquement, d'une durée minimum de 3 mois à partir du 01/12/2025 et uniquement à destination de logement.
  • Nombre de chambres: 2
  • Revenu Cadastral: 369 €
  • Libre à partir du: A l'acte
  • NOTAGO, société notariale
  • Personne de contact: Isabelle ZICOT
  • Tel: (065) 35.20.03
  • Email: isabelle.zicot.131094@belnot.be
  • Informations de visite
  • Clés en l'étude

Maisons

27 Rue de la Prévoyance, 7000 Mons

Faire offre à partir de
70 000 €

Image de présentation du bien n° 290542
Vente de gré à gré
  • Référence: 290542
  • Maison d'habitation 2 façades en travaux comprenant au rez-de-chaussée : hall d'entrée, 2 grandes pièces - Etage : 2 chambres, grenier aménageable - cave au sous-sol chauffage par convecteurs gaz - châssis double vitrage. Offres fermes uniquement, d'une durée minimum de 3 mois à partir du 01/12/2025 et uniquement à destination de logement.
  • Nombre de chambres: 2
  • Revenu Cadastral: 327 €
  • Libre à partir du: A l'acte
  • NOTAGO, société notariale
  • Personne de contact: Isabelle ZICOT
  • Tel: (065) 35.20.03
  • Email: isabelle.zicot.131094@belnot.be
  • Informations de visite
  • Clés en l'étude

Appartements

11 Rue des Croix du Feu, 7100 La Louvière

Faire offre à partir de
90 000 €

Image de présentation du bien n° 290553
Vente de gré à gré
  • Référence: 290553
  • Un studio au 4e étage à la rue des croix du Feu, n° 11, proche de toutes commodités RC : 518€. Comprenant : Hall d’entrée avec rangement, living lumineux, cuisine semi-équipée, salle de douche (avec lavabo et WC), balcon. Ascenseur Parlophone PEB : C. Electricité conforme. Chauffage au gaz de ville. Châssis double vitrage. Faire offre à partir de 90.000 € Visites : En semaine sur permis de l’étude et rendez-vous.
  • Revenu Cadastral: 518 €
  • Libre à partir du: A l'acte
  • Notaire Léopold DERBAIX
  • Personne de contact: Justa DOUNGMENE FOUE
  • Tel: (064) 36.68.68
  • Email: LEOPOLD.DERBAIX@BELNOT.BE

Maisons

34 Rue des Bleuets, 7000 Mons

Faire offre à partir de
150 000 €

Image de présentation du bien n° 290296
Vente de gré à gré
  • Référence: 290296
  • Maison comprenant : rdc : salon, salle à manger, cuisine - étage : 3 grandes chambres et une petite (pouvant servir de dressing), salle de bains (lavabo, bidet, baignoire), garage, cour et jardin - chauffage central mazout (raccordement au gaz déjà prévu) - simple vitrage et volets
  • Nombre de chambres: 4
  • Revenu Cadastral: 644 €
  • Libre à partir du: A l'acte
  • NOTAGO, société notariale
  • Personne de contact: Isabelle ZICOT
  • Tel: (065) 35.20.03
  • Email: isabelle.zicot.131094@belnot.be
  • Informations de visite
  • Renseignements en l'étude

Maisons

2 Rue de la Rochelle, 6567 Merbes-le-Château

Faire offre à partir de
120 000 €

Image de présentation du bien n° 290548
Vente de gré à gré
  • Référence: 290548
  • Ensemble immobilier composé d’une maison à rénover, d’un bureau, d’un studio et d’un entrepôt Caractéristiques : Maison à rénover PEB : G PV électrique non conforme Bureau Studio (non conforme au niveau urbanistique) Grand entrepôt attenant - premier constat d’activité économique désaffectée : 04/06/2025 Situation : Quartier calme, proche des commodités et axes principaux. Opportunité attractive pour investisseurs, porteurs d’un projet de réaffectation / reconversion (sous réserve d’accords urbanistiques). Volumes importants, multiples possibilités d’exploitation. Bien vendu en l’état (y compris les encombrants) LOT 2 : Faire offre à partir de 120.000,00€ LOT 1 : Voir première publication
  • Nombre de chambres: 4
  • Revenu Cadastral: 2423 €
  • Libre à partir du: A l'acte
  • Isabelle Allard, Notaire
  • Personne de contact: Vincent RUFFALDI
  • Tel: (071) 59.07.34
  • Email: vincent.ruffaldi@belnot.be
  • Informations de visite
  • Prise de RENDEZ-VOUS au 071/59.07.34 (extension n°2)

Maisons

15 Rue Herbert Hoover, 6200 Châtelineau

Faire offre à partir de
130 000 €

Image de présentation du bien n° 290558
Vente de gré à gré
  • Référence: 290558
  • Maison d'habitation comprenant : Rez-de-Chaussée : hall d'entrée, bureau, grand salon - salle à manger, cuisine équipée, salle de bains (W.C., lavabo, douche), terrasse et jardin. 1er Etage : 3 chambres, salle de bains (W.C., lavabo, baignoire). 2éme Etage : grande chambre, grenier aménageable. 2 caves. Confort : châssis PVC double vitrage avec volets, chauffage central au gaz de ville, possibilité d'acquérir un garage en face de la maison. Visites : contacter l'Etude. Prix : faire offre à partir de 130.000,00 euros.
  • Nombre de chambres: 4
  • Nombre de salles de bains: 1
  • Revenu Cadastral: 520 €
  • Libre à partir du: A l'acte
  • PATERNOSTER, VAN CAUWENBERGH et POLLEUNIS,société notariale
  • Personne de contact: Didier DELAPAS
  • Tel: (071) 38.06.33
  • Email: etude@notaires-pa-pv.be
  • Informations de visite
  • Visites organisées par l'Etude.

Maisons

3 La Falize, 4990 Lierneux

Faire offre à partir de
300 000 €

Image de présentation du bien n° 290557
Vente de gré à gré
  • Référence: 290557
  • Commune de Lierneux – 1ère division – Lierneux - Une maison sise La Falize 3 cadastrée section B numéro 0338R2P0000 pour une superficie de 1.995 mètres carrés et un revenu cadastral de 525 euros Composition : Rez de chaussée : - Hall d’entrée, salle à manger, cuisine équipée, living, escalier et grand living (avec poutres), terrasse, - Deux feux ouverts, - Un grand bureau (pièce TV), 1er étage : - Beaux planchers, - Deux chambres à coucher dont une avec du tapiflex, - Une salle de bain (WC, douche, évier, lave-mains). 2ème étage : - Deux chambres mansardées. Petits greniers, Trois caves avec accès à un jardin Un garage. Caractéristiques : - PEB : numéro 20240129017682 /Espe : 62.838 kWh/an/catégorie D/ 340 kWh/m²/an, - Installation électrique : non conforme, - Chauffage central au mazout (cuve plus ou moins 2.500 litres), - Châssis double vitrage en PVC, - Nouveaux volets, - Toiture neuve. Visites : Renseignements en l’Etude (04/252.18.72) Occupation : Libre PRIX DEMANDE : 300.000 euros Possibilité de bénéficier des taux d’enregistrement réduits si toutes les conditions sont remplies.
  • Nombre de chambres: 4
  • Nombre de salles de bains: 1
  • Revenu Cadastral: 525 €
  • Libre à partir du: A l'acte
  • Gabriel RASSON & Benjamine WILKIN , société notariale
  • Personne de contact: Emilie LEONARD
  • Tel: (04) 252.18.72
  • Email: emilie.leonard.356712@belnot.be
  • Informations de visite
  • Renseignements en l'étude

Maisons

21 Beukenhof, 9980 Sint-Laureins

Faire offre à partir de
240 000 €

Image de présentation du bien n° 290574
Vente online
  • Référence: 290574
  • G score: A P score: C
  • Nombre de chambres: 4
  • Nombre de salles de bains: 1
  • Vente en cours
  • Date de début: 10/12/2025 15:00
  • Date de fin: 18/12/2025 15:00
  • Pas d'enchère: 1000 €
  • Revenu Cadastral: 647 €
  • Libre à partir du: A l'acte
  • VAN dER AUWERMEULEN - LOONTJENS, geassocieerde notarissen
  • Personne de contact: Karen MORTIER
  • Tel: (09) 372.71.80
  • Email: karen.mortier.132571@belnot.be
  • Informations de visite
  • Na afspraak via notariskantoor (tel. 09 372 71 80 - karen.mortier.132571@belnot.be): zaterdag 29 november, 6 en 13 december van 14u-16u, vrijdag 5 en 12 december van 14u-16u & woensdag 17 december van 15u-17u

Maisons

15 Rue Emile Mazy, 5170 Bois-de-Villers

Faire offre à partir de
520 000 €

Image de présentation du bien n° 290517
Vente de gré à gré
  • Référence: 290517
  • Grande maison 4 façades, avec vaste jardin (plus de 20 ares) et double garage. Cadre de vie agréable : maison spacieuse, lumineuse et de standing, jardin bien arboré, possibilité de se déplacer à pieds, à proximité de toutes les commodités (magasins, arrêt de bus, écoles,..). Parfait pour une profession libérale et une famille. Composition : hall d'entrée, wc, cuisine neuve et équipée, buanderie (avec espaces de rangement), grand espace salon et salle manger (avec feu ouvert), bureau, hall de nuit, nombreux espaces de rangement/dressings intégrés, 4 chambres, salle de bain/de douche, avec éviers et wc. Un sentier borde le terrain (voir plan disponible sur demande).
  • Nombre de chambres: 4
  • Revenu Cadastral: 1864 €
  • Libre à partir du: Immédiatement
  • LP & Co, Notaires associés
  • Personne de contact: Florence MARTIN
  • Tel: (071) 77.19.74
  • Email: olivier.petit@belnot.be
  • Informations de visite
  • visites sur rendez-vous avec l'étude de Me PETIT (LP and Co)

Terrains

Rue de la Pannerie, 6120 Jamioulx

Faire offre à partir de
132 000 €

Image de présentation du bien n° 290555
Vente online
  • Référence: 290555
  • Terrain à bâtir à vendre Lot 8 COMMUNE DE HAM-SUR-HEURE -NALINNES- 6ième division- Section JAMIOULX Une parcelle de « terrain à bâtir », cadastrée selon matrice récente section B numéro 162H P0000, pour une contenance selon cadastre de onze ares quatre-vingt-cinq centiares (11a 85ca) et selon le plan de mesurage annexé à l’acte de dépôt du permis d’urbanisation ; Conditions -Toute personne souhaitant se porter acquéreur de l’un des lots ci-après décrit devra respecter les conditions suivantes- Agir en qualité de personnes physiques ;-Être domicilié dans la commune de Ham-sur-Heure-Nalinnes depuis au moins six mois ou avoir été domicilié dans la commune durant au moins cinq années ; Nul ne pourra acquérir plus d’un lot ; -Sauf en cas de force majeure appréciée par le Conseil communal, dans les cinq ans de la vente, l’adjudicataire sera tenu d’ériger sur la parcelle objet de la vente une habitation. A défaut de remplir cette obligation, la vente sera annulée de plein droit, après mise en demeure signifié par exploit d’huissier à la diligence de la Commune. En tout état de cause, il est interdit à l’adjudicataire ou à ses ayants droits de revendre le terrain nu, c’est-à-dire avant l’achèvement des travaux de construction du gros œuvre. Cette stipulation est une condition essentielle de la vente dont le non-respect entrainera de plein droit sa résolution. Toute revente du bien même construit dans les cinq ans de la vente sera soumis à autorisation de la Commune.
  • Vente en cours
  • Date de début: 13/01/2026 14:00
  • Date de fin: 21/01/2026 14:00
  • Pas d'enchère: 1000 €
  • Revenu Cadastral: 9 €
  • Libre à partir du: A l'acte
  • MAUFROID Anne
  • Personne de contact: Jean-Michel HYPERSIEL
  • Tel: (071) 21.30.47
  • Email: jeanmichel.hypersiel.124016@belnot.be
  • Informations de visite
  • comme il s'agit d'un terrain, il n'y a pas de visite

Terrains

Rue de la Pannerie, 6120 Jamioulx

Faire offre à partir de
110 000 €

Image de présentation du bien n° 290562
Vente online
  • Référence: 290562
  • Terrain à bâtir à vendre Lot 13 COMMUNE DE HAM-SUR-HEURE -NALINNES- 6ième division- Section JAMIOULX Une parcelle de « terrain à bâtir », cadastrée selon matrice récente section B numéro 162P P0000, pour une contenance de neuf ares quatre-vingt-huit centiares (9a 88ca) selon cadastre et selon le plan de mesurage annexé à l’acte de dépôt du permis d’urbanisation ; Conditions -Toute personne souhaitant se porter acquéreur de l’un des lots ci-après décrit devra respecter les conditions suivantes- Agir en qualité de personnes physiques ;-Être domicilié dans la commune de Ham-sur-Heure-Nalinnes depuis au moins six mois ou avoir été domicilié dans la commune durant au moins cinq années ; Nul ne pourra acquérir plus d’un lot ; -Sauf en cas de force majeure appréciée par le Conseil communal, dans les cinq ans de la vente, l’adjudicataire sera tenu d’ériger sur la parcelle objet de la vente une habitation. A défaut de remplir cette obligation, la vente sera annulée de plein droit, après mise en demeure signifié par exploit d’huissier à la diligence de la Commune. En tout état de cause, il est interdit à l’adjudicataire ou à ses ayants droits de revendre le terrain nu, c’est-à-dire avant l’achèvement des travaux de construction du gros œuvre. Cette stipulation est une condition essentielle de la vente dont le non-respect entrainera de plein droit sa résolution. Toute revente du bien même construit dans les cinq ans de la vente sera soumis à autorisation de la Commune.
  • Vente en cours
  • Date de début: 13/01/2026 14:00
  • Date de fin: 21/01/2026 14:00
  • Pas d'enchère: 1000 €
  • Revenu Cadastral: 8 €
  • Libre à partir du: A l'acte
  • MAUFROID Anne
  • Personne de contact: Jean-Michel HYPERSIEL
  • Tel: (071) 21.30.47
  • Email: jeanmichel.hypersiel.124016@belnot.be
  • Informations de visite
  • comme il s'agit d'un terrain, il n'y a pas de visite

Terrains

Rue de la Pannerie, 6120 Jamioulx

Faire offre à partir de
108 000 €

Image de présentation du bien n° 290565
Vente online
  • Référence: 290565
  • Terrain à bâtir à vendre Lot 15 COMMUNE DE HAM-SUR-HEURE -NALINNES- 6ième division- Section JAMIOULX Une parcelle de « terrain à bâtir », cadastrée selon matrice récente section B numéro 162S P0000, pour une contenance de neuf ares soixante-neuf centiares (9a 69ca) selon cadastre et selon le plan de mesurage annexé à l’acte de dépôt du permis d’urbanisation ; Conditions -Toute personne souhaitant se porter acquéreur de l’un des lots ci-après décrit devra respecter les conditions suivantes- Agir en qualité de personnes physiques ;-Être domicilié dans la commune de Ham-sur-Heure-Nalinnes depuis au moins six mois ou avoir été domicilié dans la commune durant au moins cinq années ; Nul ne pourra acquérir plus d’un lot ; -Sauf en cas de force majeure appréciée par le Conseil communal, dans les cinq ans de la vente, l’adjudicataire sera tenu d’ériger sur la parcelle objet de la vente une habitation. A défaut de remplir cette obligation, la vente sera annulée de plein droit, après mise en demeure signifié par exploit d’huissier à la diligence de la Commune. En tout état de cause, il est interdit à l’adjudicataire ou à ses ayants droits de revendre le terrain nu, c’est-à-dire avant l’achèvement des travaux de construction du gros œuvre. Cette stipulation est une condition essentielle de la vente dont le non-respect entrainera de plein droit sa résolution. Toute revente du bien même construit dans les cinq ans de la vente sera soumis à autorisation de la Commune.
  • Vente en cours
  • Date de début: 13/01/2026 14:00
  • Date de fin: 21/01/2026 14:00
  • Pas d'enchère: 1000 €
  • Revenu Cadastral: 8 €
  • Libre à partir du: A l'acte
  • MAUFROID Anne
  • Personne de contact: Jean-Michel HYPERSIEL
  • Tel: (071) 21.30.47
  • Email: jeanmichel.hypersiel.124016@belnot.be
  • Informations de visite
  • comme il s'agit d'un terrain, il n'y a pas de visite

Terrains

Rue de la Pannerie, 6120 Jamioulx

Faire offre à partir de
100 000 €

Image de présentation du bien n° 290566
Vente publique en ligne
  • Référence: 290566
  • Terrain à bâtir à vendre Lot 16 COMMUNE DE HAM-SUR-HEURE -NALINNES- 6ième division- Section JAMIOULX Une parcelle de « terrain à bâtir », cadastrée selon matrice récente section B numéro 162T P0000, pour une contenance de huit ares nonante-six centiares (8a 96ca) selon cadastre et selon le plan de mesurage annexé à l’acte de dépôt du permis d’urbanisation ; Conditions -Toute personne souhaitant se porter acquéreur de l’un des lots ci-après décrit devra respecter les conditions suivantes- Agir en qualité de personnes physiques ;-Être domicilié dans la commune de Ham-sur-Heure-Nalinnes depuis au moins six mois ou avoir été domicilié dans la commune durant au moins cinq années ; Nul ne pourra acquérir plus d’un lot ; -Sauf en cas de force majeure appréciée par le Conseil communal, dans les cinq ans de la vente, l’adjudicataire sera tenu d’ériger sur la parcelle objet de la vente une habitation. A défaut de remplir cette obligation, la vente sera annulée de plein droit, après mise en demeure signifié par exploit d’huissier à la diligence de la Commune. En tout état de cause, il est interdit à l’adjudicataire ou à ses ayants droits de revendre le terrain nu, c’est-à-dire avant l’achèvement des travaux de construction du gros œuvre. Cette stipulation est une condition essentielle de la vente dont le non-respect entrainera de plein droit sa résolution. Toute revente du bien même construit dans les cinq ans de la vente sera soumis à autorisation de la Commune.
  • Vente en cours
  • Date de début: 13/01/2026 14:00
  • Date de fin: 21/01/2026 14:00
  • Pas d'enchère: 1000 €
  • Revenu Cadastral: 7 €
  • Libre à partir du: A l'acte
  • MAUFROID Anne
  • Personne de contact: Jean-Michel HYPERSIEL
  • Tel: (071) 21.30.47
  • Email: jeanmichel.hypersiel.124016@belnot.be
  • Informations de visite
  • comme il s'agit d'un terrain, il n'y a pas de visite

Terrains

Rue de la Pannerie, 6120 Jamioulx

Faire offre à partir de
122 000 €

Image de présentation du bien n° 290567
Vente publique en ligne
  • Référence: 290567
  • Terrain à bâtir à vendre Lot 21 COMMUNE DE HAM-SUR-HEURE -NALINNES- 6ième division- Section JAMIOULX Une parcelle de « terrain à bâtir », cadastrée selon matrice récente section B numéro 162Z P0000, pour une contenance de douze ares onze centiares (12a 11ca) selon cadastre et selon le plan de mesurage annexé à l’acte de dépôt du permis d’urbanisation ; Conditions -Toute personne souhaitant se porter acquéreur de l’un des lots ci-après décrit devra respecter les conditions suivantes- Agir en qualité de personnes physiques ;-Être domicilié dans la commune de Ham-sur-Heure-Nalinnes depuis au moins six mois ou avoir été domicilié dans la commune durant au moins cinq années ; Nul ne pourra acquérir plus d’un lot ; -Sauf en cas de force majeure appréciée par le Conseil communal, dans les cinq ans de la vente, l’adjudicataire sera tenu d’ériger sur la parcelle objet de la vente une habitation. A défaut de remplir cette obligation, la vente sera annulée de plein droit, après mise en demeure signifié par exploit d’huissier à la diligence de la Commune. En tout état de cause, il est interdit à l’adjudicataire ou à ses ayants droits de revendre le terrain nu, c’est-à-dire avant l’achèvement des travaux de construction du gros œuvre. Cette stipulation est une condition essentielle de la vente dont le non-respect entrainera de plein droit sa résolution. Toute revente du bien même construit dans les cinq ans de la vente sera soumis à autorisation de la Commune.
  • Vente en cours
  • Date de début: 03/02/2026 14:00
  • Date de fin: 11/02/2026 14:00
  • Pas d'enchère: 1000 €
  • Revenu Cadastral: 10 €
  • Libre à partir du: A l'acte
  • MAUFROID Anne
  • Personne de contact: Jean-Michel HYPERSIEL
  • Tel: (071) 21.30.47
  • Email: jeanmichel.hypersiel.124016@belnot.be
  • Informations de visite
  • comme il s'agit d'un terrain, il n'y a pas de visite

Terrains

Rue de la Pannerie, 6120 Jamioulx

Faire offre à partir de
98 000 €

Image de présentation du bien n° 290570
Vente publique en ligne
  • Référence: 290570
  • Terrain à bâtir à vendre Lot 25 COMMUNE DE HAM-SUR-HEURE -NALINNES- 6ième division- Section JAMIOULX Une parcelle de « terrain à bâtir », cadastrée selon matrice récente section B numéro 162D2 P0000, pour une contenance de huit ares quatre-vingt un centiares (8a 81ca) selon cadastre et selon le plan de mesurage annexé à l’acte de dépôt du permis d’urbanisation ; Conditions -Toute personne souhaitant se porter acquéreur de l’un des lots ci-après décrit devra respecter les conditions suivantes- Agir en qualité de personnes physiques ;-Être domicilié dans la commune de Ham-sur-Heure-Nalinnes depuis au moins six mois ou avoir été domicilié dans la commune durant au moins cinq années ; Nul ne pourra acquérir plus d’un lot ; -Sauf en cas de force majeure appréciée par le Conseil communal, dans les cinq ans de la vente, l’adjudicataire sera tenu d’ériger sur la parcelle objet de la vente une habitation. A défaut de remplir cette obligation, la vente sera annulée de plein droit, après mise en demeure signifié par exploit d’huissier à la diligence de la Commune. En tout état de cause, il est interdit à l’adjudicataire ou à ses ayants droits de revendre le terrain nu, c’est-à-dire avant l’achèvement des travaux de construction du gros œuvre. Cette stipulation est une condition essentielle de la vente dont le non-respect entrainera de plein droit sa résolution. Toute revente du bien même construit dans les cinq ans de la vente sera soumis à autorisation de la Commune.
  • Vente en cours
  • Date de début: 03/02/2026 14:00
  • Date de fin: 11/02/2026 14:00
  • Pas d'enchère: 1000 €
  • Revenu Cadastral: 7 €
  • Libre à partir du: A l'acte
  • MAUFROID Anne
  • Personne de contact: Jean-Michel HYPERSIEL
  • Tel: (071) 21.30.47
  • Email: jeanmichel.hypersiel.124016@belnot.be
  • Informations de visite
  • comme il s'agit d'un terrain, il n'y a pas de visite

Terrains

Rue de la Pannerie, 6120 Jamioulx

Faire offre à partir de
82 000 €

Image de présentation du bien n° 290572
Vente publique en ligne
  • Référence: 290572
  • Terrain à bâtir à vendre Lot 27 COMMUNE DE HAM-SUR-HEURE -NALINNES- 6ième division- Section JAMIOULX Une parcelle de « terrain à bâtir », cadastrée selon matrice récente section B numéro 162F2 P0000, pour une contenance de sept ares trente-cinq centiares (7a 35ca) selon cadastre et selon le plan de mesurage annexé à l’acte de dépôt du permis d’urbanisation ; Conditions -Toute personne souhaitant se porter acquéreur de l’un des lots ci-après décrit devra respecter les conditions suivantes- Agir en qualité de personnes physiques ;-Être domicilié dans la commune de Ham-sur-Heure-Nalinnes depuis au moins six mois ou avoir été domicilié dans la commune durant au moins cinq années ; Nul ne pourra acquérir plus d’un lot ; -Sauf en cas de force majeure appréciée par le Conseil communal, dans les cinq ans de la vente, l’adjudicataire sera tenu d’ériger sur la parcelle objet de la vente une habitation. A défaut de remplir cette obligation, la vente sera annulée de plein droit, après mise en demeure signifié par exploit d’huissier à la diligence de la Commune. En tout état de cause, il est interdit à l’adjudicataire ou à ses ayants droits de revendre le terrain nu, c’est-à-dire avant l’achèvement des travaux de construction du gros œuvre. Cette stipulation est une condition essentielle de la vente dont le non-respect entrainera de plein droit sa résolution. Toute revente du bien même construit dans les cinq ans de la vente sera soumis à autorisation de la Commune.
  • Vente en cours
  • Date de début: 03/02/2026 14:00
  • Date de fin: 11/02/2026 14:00
  • Pas d'enchère: 1000 €
  • Revenu Cadastral: 6 €
  • Libre à partir du: A l'acte
  • MAUFROID Anne
  • Personne de contact: Jean-Michel HYPERSIEL
  • Tel: (071) 21.30.47
  • Email: jeanmichel.hypersiel.124016@belnot.be
  • Informations de visite
  • comme il s'agit d'un terrain, il n'y a pas de visite

Maisons

84 Rue des Combattants, 7130 Bray

Faire offre à partir de
55 000 €

Image de présentation du bien n° 290575
Vente de gré à gré
  • Référence: 290575
  • Maison 2 façades à rénover, proche des commodités Composée comme suit : Rez-de-chaussée : séjour/salon, salle à manger, cuisine non équipée, salle de bain, buanderie; 1er étage : 2 chambres en enfilade ; Sous-sol : cave ; Extérieur : cour, jardin, abri de jardin; Garage. - Aucun procès-verbal électrique ne sera remis à l'acte, le bien devant être rénové. - Le bien est vendu en l'état et avec tout son contenu. Montant de la dernière offre : 55.000€ ferme (sans clause suspensive de crédit).
  • Nombre de chambres: 2
  • Revenu Cadastral: 329 €
  • Libre à partir du: A l'acte
  • BABUSIAUX & PIRLOT NOTAIRES ASSOCIES
  • Personne de contact: Laura WOJCIECHOWSKI
  • Tel: (064) 31.14.20
  • Email: laura.wojciechowski.183400@belnot.be
  • Informations de visite
  • Remise des clés en l'étude sur rdv

Maisons

31 Everslaan, 3078 Everberg

Faire offre à partir de
580 000 €

Image de présentation du bien n° 290577
Vente publique en ligne
  • Référence: 290577
  • G score: A P score: B
  • Nombre de chambres: 7
  • Superficie habitable: 495m2
  • Nombre de salles de bains: 4
  • Vente en cours
  • Date de début: 10/02/2026 14:00
  • Date de fin: 18/02/2026 14:00
  • Pas d'enchère: 1000 €
  • Revenu Cadastral: 3550 €
  • Libre à partir du: A l'acte
  • NOTARISSEN KORTENBERG
  • Personne de contact: Kantoor Notarissen Kortenberg
  • Tel: (02) 759.65.03
  • Email: info@notarissenkortenberg.be
  • Informations de visite
  • Zonder afspraak, op eigen risico, op elke dinsdag tussen 19u15-20u15 en elke zaterdag tussen 10u15-11u15

Maisons

8 Rue Tienne aux Grives, 5300 Sclayn

Faire offre à partir de
320 000 €

Image de présentation du bien n° 290573
Vente de gré à gré
  • Référence: 290573
  • Située dans un environnement calme et verdoyant à Andenne, dans la localité de Sclayn, cette maison 4 façades offre de beaux volumes, une agréable luminosité et une très jolie vue dégagée. Au sous-sol / rez-de-chaussée : - Hall d’entrée - Grand garage avec volet électrique - WC séparé Au 1er étage (niveau de vie) : - Spacieux living lumineux avec poêle à bois - Cuisine - Salle à manger - Véranda donnant sur le jardin - Salle de bain avec douche et baignoire - Une chambre - Jardin orienté plein sud Au 2? étage : - Deux chambres - WC séparé Caractéristiques techniques : - Chauffage central au mazout - Châssis bois double vitrage anciens (remplacement à prévoir) - Très belle vue dégagée
  • Nombre de chambres: 3
  • Superficie habitable: 171m2
  • Nombre de salles de bains: 1
  • Revenu Cadastral: 1189 €
  • Libre à partir du: A l'acte
  • URBIN-CHOFFRAY & HEPTIA, Notaires Associés
  • Personne de contact: Emmeline PARENT
  • Tel: (04) 380.10.98
  • Email: emmeline.parent.351977@belnot.be

Maisons

72 Boulevard Sylvain Dupuis, 1070 Anderlecht

Faire offre à partir de
560 000 €

Image de présentation du bien n° 290487
Vente de gré à gré
  • Référence: 290487
  • Sis boulevard Sylvain Dupuis 72 pour une superficie de 3a 72ca. Grand garage pour 2 voitures, 3 débarras. Très grand jardin arboré. R.c.n.i. 2.032€. Libre d’occupation. Zone d’habitation, en espace structurant. PEB E/233 (app. 1), G/815 (app. 2). Contr. électr. non conforme. Visites sur RDV à l’ étude. Prix souhaité : 560.000€ - www.biddit.be – Réf. bien : 290487.
  • Nombre de chambres: 4
  • Revenu Cadastral: 2032 €
  • Libre à partir du: A l'acte
  • FRANCOIS Cécile, Société Notariale
  • Personne de contact: Cecile FRANCOIS
  • Tel: (02) 649.61.22
  • Email: cecile.francois@belnot.be
  • Informations de visite
  • Visites sur RDV à l’ étude.

Appartements

81 Avenue des Ardennes, 4130 Tilff

Faire offre à partir de
200 000 €

Image de présentation du bien n° 290551
Vente de gré à gré
  • Référence: 290551
  • Prix : Faire offre à partir de 200.000€ Découvrez cet appartement situé au 1er étage de la Résidence « Ardennes Tilff ». Il se compose d’un hall d’entrée, d’un séjour lumineux, d’une cuisine équipée avec débarras, d’une salle de bains, d’un bureau et de deux chambres, tandis qu’un garage privatif vient compléter l’ensemble. L’immeuble bénéficie d’un ascenseur remis aux normes, d’un chauffage central au mazout, d’un parlophone,... . Parmi ses atouts, vous profiterez d’une belle vue sur le terril, du parc communal juste en face, d’un garage, d’un appartement lumineux, d’un environnement touristique avec de nombreuses activités, du Ravel, des écoles, des commerces et d’un bon voisinage. Quelques travaux sont à prévoir (mise en conformité électrique, tuyauterie du W.C., remise au goût du jour), ce logement offre un excellent potentiel et allie confort, praticité et emplacement stratégique, idéal pour y vivre ou pour investir. Pour en savoir plus sur ce bien, visitez www.notairedemolin.net : vous y trouverez tous les documents utiles. Pour plus d'informations ou pour organiser une visite, contactez l'Etude du Notaire Demolin au 064/54.10.30.
  • Nombre de chambres: 2
  • Superficie habitable: 88m2
  • Nombre de salles de bains: 1
  • Revenu Cadastral: 1288 €
  • Libre à partir du: A l'acte
  • NICOLAS DEMOLIN, NOTAIRE
  • Personne de contact: Samir LAICHE
  • Tel: (064) 54.10.30
  • Email: samir.laiche.109462@belnot.be
  • Informations de visite
  • Le bien vendu pourra être visité par les candidats-acquéreurs sur rendez-vous en contactant le secrétariat de l'étude du Notaire Nicolas Demolin au 064/54.10.30.

Maisons

145 Veldstraat, 8500 Kortrijk

Faire offre à partir de
198 000 €

Image de présentation du bien n° 290580
Vente de gré à gré
  • Référence: 290580
  • G score: A P score: A
  • Nombre de chambres: 3
  • Nombre de salles de bains: 1
  • Revenu Cadastral: 617 €
  • Libre à partir du: A l'acte
  • NOTARIS PATRICK TORRELLE
  • Personne de contact: Sofie HAUTEKIET
  • Tel: (056) 71.12.86
  • Email: sofie.hautekiet.132852@belnot.be

Appartements

25 Avenue de Spa, 4800 Verviers

Faire offre à partir de
259 000 €

Image de présentation du bien n° 290391
Vente de gré à gré
  • Référence: 290391
  • L'Etude des Notaires GUYOT & CREMER a le plaisir de vous proposer à la VENTE ce SUPERBE, DUPLEX idéalement situé dans une petite copropriété. Ce bien bénéficie d'un emplacement stratégique, en fin de rue commerçante et à proximité immédiate des commodités et des parcs. Le duplex se trouve au 1ER et 2EME étage et se compose comme suit : un lumineux séjour (31,29 m²) avec balcon, une cuisine moderne et entièrement équipée(frigo américain, four, micro-ondes, taque à induction, hotte, évier, lave-vaisselle, îlot central). La cuisine donne accès à une spacieuse terrasse orientée Est, ainsi qu’à un jardin privatif de +/- 310 m². À l’étage : un hall de nuit, un WC, une grande chambre à coucher (23 m²), un coin dressing qui peut facilement être transformé en chambre supplémentaire. La salle de bains est équipée d'une baignoire d'angle, une douche, une double vasque, d'un sèche serviettes et d’un coin buanderie. Le bien dispose également d'une cave de rangement au sous-sol. Techniques: châssis en PVC triple vitrage, une chaudière gaz à condensation récente, compteurs individuels pour l’eau, l’électricité et le gaz. Les charges communes sont de 50€/an. La copropriété est petite et bien gérée par les occupants. L'électricité est conforme, un "monte personne" est installé pour les escaliers intérieurs et extérieurs. Les sols sont en parquet ou carrelage. RC =722€, PEB C = 195 kWh/m².an et 24.453 kWh/an (n°20251124011195). Le bien comprend une quote-part de 30/100èmes dans les parties communes de l’immeuble. Cette propriété représente une superbe opportunité à ne pas manquer à proximité d'Heusy !!! Le prix d'affiche est une proposition qui ne lie pas le vendeur. Prise de rendez-vous en l'étude GUYOT & CREMER : 087/ 77.10. 72
  • Nombre de chambres: 1
  • Superficie habitable: 111m2
  • Nombre de salles de bains: 1
  • Revenu Cadastral: 722 €
  • Libre à partir du: A l'acte
  • GUYOT & CREMER, notaires associés
  • Personne de contact: Aline SCHMITZ
  • Tel: (087) 77.10.72
  • Email: aline.schmitz.460044@belnot.be

Terrains

Chemin du Fawetay, 4900 Spa

Faire offre à partir de
149 000 €

Image de présentation du bien n° 279261
Vente de gré à gré
  • Référence: 279261
  • L'Etude des Notaires associés FASSIN a le plaisir de vous proposer à la vente deux magnifiques parcelles de terrain, chacune d'une superficie de 14 ares 75 centiares (1.475m²), idéalement situées Chemin du Fawetay à Creppe, sur les hauteurs de Spa, à seulement 5 minutes du centre-ville. À seulement quelques pas des bois, du calme et du charmant village de Creppe, ces terrains vous offrent un cadre de vie optimal et une perspective d’avenir apaisante, parfait pour réaliser votre projet de construction. Caractéristiques des terrains : - Zone d’habitat à caractère rural selon le plan de secteur. - Libres de constructeur, vous choisissez votre propre projet. - Tous projets de construction devront être soumis à une demande auprès du service urbanisme -Chemin d'accès privé entre les riverains. Une belle opportunité à ne pas manquer ! Venez découvrir ces terrains et laissez-vous séduire par leur emplacement privilégié. À voir sans tarder ! Pour toute information complémentaire ou pour planifier une visite, n’hésitez pas à nous contacter.
  • Libre à partir du: A l'acte
  • Armand & Amélie FASSIN, Notaires Associés
  • Personne de contact: Alexandra PIRON
  • Tel: (087) 29.29.75
  • Email: alexandra.piron.353858@belnot.be

Appartements

29 Kastanjeboomstraat, 8000 Brugge

Faire offre à partir de
200 000 €

Image de présentation du bien n° 290479
Vente de gré à gré
  • Référence: 290479
  • Cet appartement, situé au premier étage d’une rue calme perpendiculaire à la Katelijnestraat, se trouve en plein centre historique. Il est à distance de marche de Bruusk, du pont Bonifacius, de l’ancien hôpital Saint-Jean et du Béguinage, avec tous les atouts du centre-ville à portée de main. L’aménagement comprend un hall d’entrée, une salle de douche avec raccordement pour machine à laver, un séjour lumineux avec cuisine ouverte, ainsi qu’une chambre offrant une vue sur certains des plus anciens bâtiments de Bruges. La cave privative, accessible via le local à vélos commun, offre un espace de rangement supplémentaire. Atouts : 1. Rénovations réalisées en 2017 et 2020. 2. Appartement lumineux avec vue historique. 3. Ascenseur dans l’immeuble. 4. Possibilité d’installer des panneaux solaires sur la toiture plate. 5. Compteurs séparés pour l’électricité, le gaz et l’eau. 6. Cave/stockage privatif + local à vélos commun. 7. PEB C et bien sans amiante. L’appartement est proposé à un prix de départ. Toute offre supérieure à ce prix sera présentée au propriétaire. G score: A P score: A
  • Nombre de chambres: 1
  • Superficie habitable: 60m2
  • Nombre de salles de bains: 1
  • Revenu Cadastral: 626 €
  • Libre à partir du: A l'acte
  • Dirk Hendrickx en Benjamin Verheye - Geassocieerde notarissen
  • Personne de contact: Bénédicte VAN OUTRYVE D´YDEWALLE
  • Tel: 050/58.14.45
  • Email: bene@hvnotarissen.be
  • Informations de visite
  • Les personnes intéressées peuvent contacter l’étude notariale pour obtenir plus d’informations ou pour s’inscrire pour visite uniquement sur rendez-vous

Maisons

18 Dorpsplein, 3110 Rotselaar

Faire offre à partir de
261 000 €

Image de présentation du bien n° 290536
Vente publique en ligne
  • Référence: 290536
  • Maison spacieuse et bien située à usage mixte au cœur de Rotselaar. Rez-de-chaussée : local commercial, grande pièce avec cuisine donnant accès à la terrasse et au jardin, couloir menant à l'escalier (sous l'escalier se trouvent un espace de rangement et une cave), pièce supplémentaire, salle de bains avec douche, salle de fitness. Premier étage : 4 chambres à coucher, salon avec cuisine, salle de bains, pièce supplémentaire, local technique, w.c. Deuxième étage : grand grenier utilisé comme chambre à coucher avec salon. G score: A P score: A
  • Nombre de chambres: 5
  • Nombre de salles de bains: 2
  • Vente en cours
  • Date de début: 11/01/2026 13:00
  • Date de fin: 19/01/2026 13:00
  • Pas d'enchère: 1000 €
  • Revenu Cadastral: 1898 €
  • Libre à partir du: A l'acte
  • Jasmien De Ras, notaris
  • Personne de contact: Machteld MOECHARS
  • Tel: (016) 60.11.21
  • Email: machteld.moechars.129031@belnot.be
  • Informations de visite
  • Tous les samedis de 10h-12h, et ce, du 20 décembre 2025 au 10 janvier 2026 inclus

Maisons

35 Rue Dardry, 7110 Houdeng-Goegnies

Faire offre à partir de
240 000 €

Image de présentation du bien n° 290535
Vente de gré à gré
  • Référence: 290535
  • Maison de maître à vendre. Elle comprend, au sous-sol : une cave, une buanderie, une chaufferie (cuve à mazout de 3.000L, nouvelle chaudière) ; au rez-de-chaussée : un hall, un salon, une salle à manger, un living, une cuisine, une véranda, un WC ; au premier étage : trois chambres, un bureau, une salle de bain (baignoire, double évier, WC). Le bien comprend également : un grenier aménageable au 2e étage, un jardin et un garage. Pour les visites, vous pouvez contacter l'Etude au 065/71.81.10 ou par e-mail à l'adresse info@notariat-thulin.be
  • Nombre de chambres: 3
  • Nombre de salles de bains: 1
  • Revenu Cadastral: 907 €
  • Libre à partir du: A l'acte
  • Fabrice DE VISCH, Notaire
  • Personne de contact: Logan DELYS
  • Tel: (065) 71.81.10
  • Email: logan.delys.356907@belnot.be
  • Informations de visite
  • Visite sur rendez vous à prendre directement avec l'étude.

Appartements

90-92 Boulevard de la Sauvenière, 4000 Liège

Faire offre à partir de
140 000 €

Image de présentation du bien n° 290188
Vente de gré à gré
  • Référence: 290188
  • Idéalement situé au cœur de Liège (Boulevard de la Sauvenière), ce kot lumineux bénéficie d'un accès immédiat aux transports en communs, commerces, universités et infrastructures culturelles. Tout est accessible à pied, à vélo, en bus ou en tram. Situé au quatrième étage de la résidence "Chick&Kot Sauvenière", il se compose d'un espace de vie comprenant une chambre, une kitchenette, une salle de bain privative ainsi qu'un WC, le tout pour une superficie d'environ 26 mètres carrés. Ce kot dispose en outre de la jouissance privative et exclusive d'un balcon avec vue sur un jardin commun aménagé. Chaque étage de la résidence comporte un espace convivial commun réservé à ses occupants. Grâce à une gestion locative assurée par un prestataire externe spécialisé, ce bien est une opportunité pour un investissement durable sans tracas. Actuellement loué pour 685€/mois, le revenu net versé après déduction de l'ensemble des charges est d'environ 455€/mois. Pour de plus amples renseignements quant à la gestion centralisée, aux renseignements du syndic et/ou pour obtenir une copie des plans de la résidence, n'hésitez pas à nous contacter au 04.361.85.30 ou par mail à l'adresse suivante hugo.beckers.182659@belnot.be.
  • Nombre de chambres: 1
  • Superficie habitable: 26m2
  • Revenu Cadastral: 661 €
  • Libre à partir du: autre
  • Pierre GOVERS & Emilie GILLET - Notaires associés
  • Personne de contact: Hugo BECKERS
  • Tel: (04) 367.54.33
  • Email: hugo.beckers.182659@belnot.be
  • Informations de visite
  • Les visites auront lieu uniquement sur rendez-vous par téléphone au numéro suivant : 04/361.85.30 (à l'exception du mercredi et du vendredi après-midi, l'étude étant sur répondeur) ou par e-mail à l'adresse suivante : hugo.beckers.182659@belnot.be

Maisons

137 Rue du Joncquois, 7000 MONS

Faire offre à partir de
60 000 €

Image de présentation du bien n° 276552
Vente en viager
  • Référence: 276552
  • Maison en viager à vendre Opportunité unique : maison d’habitation spacieuse à vendre en viager, idéale pour un investissement ou une résidence familiale future. Située dans un environnement calme et agréable, cette propriété offre de belles possibilités d’aménagement. Description du bien : •Rez-de-chaussée: hall d’entrée, living chaleureux, cuisine fonctionnelle, une chambre, salle de bains, cellier pratique, garage intégré, jardin privé. •Étage: living lumineux, cuisine équipée, salle de bains, trois chambres confortables, hall de nuit spacieux •Grenier aménageable selon vos besoins (chambres supplémentaires, espace de loisirs, etc.) Caractéristiques techniques: chauffage central au gaz, châssis double vitrage en bois (1ère génération) Conditions de vente en viager: •Bouquet initial: 60.000 € •Rente mensuelle: 800 € Ce bien représente une belle opportunité grâce à sa configuration et son potentiel. Idéal pour un projet de long terme.
  • Nombre de chambres: 4
  • Revenu Cadastral: 1184 €
  • Antoine HAMAIDE et Elise CORNEZ, Notaires associés
  • Personne de contact: Gloria TESO
  • Tel: (065) 35.13.64
  • Email: gloria.teso.131532@belnot.be

Maisons

6 Bergstraat, 9190 Stekene

Faire offre à partir de
450 000 €

Image de présentation du bien n° 290433
Vente de gré à gré
  • Référence: 290433
  • G score: A P score: A
  • Nombre de chambres: 4
  • Nombre de salles de bains: 1
  • Revenu Cadastral: 244 €
  • Libre à partir du: A l'acte
  • Notarissen Frank Muller, notarisvennootschap
  • Personne de contact: Celine DIRICX
  • Tel: (03) 777.77.77
  • Email: celine.diricx.176347@belnot.be
  • Informations de visite
  • Contacteer ons kantoor op het nummer 03 777 7777 voor een bezichtiging!

Maisons

13 Rue du Progrès, 7000 Mons

Faire offre à partir de
100 000 €

Image de présentation du bien n° 290526
Vente de gré à gré
  • Référence: 290526
  • Maison d'habitation 2 façades comprenant au rez-de-chaussée : salon-salle à manger, cuisine, salle de bains avec WC séparé - Etage : 2 chambres et grenier aménageable isolé - cave au sous-sol, cour et jardin - Chauffage par convecteurs gaz - double vitrage. Offres fermes uniquement, d'une durée minimum de 3 mois à partir du 01/12/2025 et uniquement à destination de logement.
  • Nombre de chambres: 2
  • Revenu Cadastral: 282 €
  • Libre à partir du: A l'acte
  • NOTAGO, société notariale
  • Personne de contact: Isabelle ZICOT
  • Tel: (065) 35.20.03
  • Email: isabelle.zicot.131094@belnot.be
  • Informations de visite
  • Clés en l'étude

Maisons

65 Rue de l'Epargne, 7000 Mons

Faire offre à partir de
100 000 €

Image de présentation du bien n° 290530
Vente de gré à gré
  • Référence: 290530
  • Maison d'habitation 2 façades comprenant au rez-de-chaussée : salon-salle à manger, cuisine, salle de bains avec WC séparé - Etage : 2 chambres et grenier aménageable - cave au sous-sol, cour et jardin - chauffage par convecteurs gaz - châssis double vitrage. Offres fermes uniquement, d'une durée minimum de 3 mois à partir du 01/12/2025 et uniquement à destination de logement.
  • Nombre de chambres: 2
  • Revenu Cadastral: 451 €
  • Libre à partir du: A l'acte
  • NOTAGO, société notariale
  • Personne de contact: Isabelle ZICOT
  • Tel: (065) 35.20.03
  • Email: isabelle.zicot.131094@belnot.be
  • Informations de visite
  • Clés en l'étude

Maisons

41 Rue du Trieu, 7000 Mons

Faire offre à partir de
95 000 €

Image de présentation du bien n° 290531
Vente de gré à gré
  • Référence: 290531
  • Maison d'habitation 2 façades comprenant au rez-de-chaussée : salon-salle à manger, cuisine, salle de bains, WC - Etage : 2 chambres, grenier isolé aménageable - cave au sous-sol, jardin - chauffage convecteurs gaz - châssis double vitrage. Offres fermes uniquement, d'une durée minimum de 3 mois à partir du 01/12/2025 et uniquement à destination de logement.
  • Nombre de chambres: 2
  • Revenu Cadastral: 309 €
  • Libre à partir du: A l'acte
  • NOTAGO, société notariale
  • Personne de contact: Isabelle ZICOT
  • Tel: (065) 35.20.03
  • Email: isabelle.zicot.131094@belnot.be
  • Informations de visite
  • Clés en l'étude

Maisons

27 Rue de la Mutualité, 7000 Mons

Faire offre à partir de
80 000 €

Image de présentation du bien n° 290532
Vente de gré à gré
  • Référence: 290532
  • Maison d'habitation 2 façades comprenant au rez-de-chaussée : hall d'entrée, salon-salle à manger, cuisine, salle de bains avec WC séparé - Etage : 2 chambres, grenier isolé aménageable - cave au sous-sol - chauffage par convecteurs gaz - vitrage en mauvais état. Offres fermes uniquement, d'une durée minimum de 3 mois à partir du 01/12/2025 et uniquement à destination de logement.
  • Nombre de chambres: 2
  • Revenu Cadastral: 319 €
  • Libre à partir du: A l'acte
  • NOTAGO, société notariale
  • Personne de contact: Isabelle ZICOT
  • Tel: (065) 35.20.03
  • Email: isabelle.zicot.131094@belnot.be
  • Informations de visite
  • Clés en l'étude

Maisons

16 Chaussée de Cuesmes, 7000 Mons

Faire offre à partir de
95 000 €

Image de présentation du bien n° 290533
Vente de gré à gré
  • Référence: 290533
  • Maison d'habitation 2 façades comprenant au rez-de-chaussée : hall d'entrée, salon-salle à manger, cuisine, salle de bains avec WC - Etage : 2 chambres, grenier aménageable - cave au sous-sol, cour à l'arrière - chauffage par convecteurs gaz - châssis simple vitrage. Offres fermes uniquement, d'une durée minimum de 3 mois à partir du 01/12/2025 et uniquement à destination de logement.
  • Nombre de chambres: 2
  • Revenu Cadastral: 361 €
  • Libre à partir du: A l'acte
  • NOTAGO, société notariale
  • Personne de contact: Isabelle ZICOT
  • Tel: (065) 35.20.03
  • Email: isabelle.zicot.131094@belnot.be
  • Informations de visite
  • Clés en l'étude

Maisons

31 Rue de la Prévoyance, 7000 Mons

Faire offre à partir de
75 000 €

Image de présentation du bien n° 290543
Vente de gré à gré
  • Référence: 290543
  • Maison d'habitation 2 façades comprenant au rez-de-chaussée : hall d'entrée, salon-salle à manger, cuisine, salle de bains , WC - Etage : 2 chambres, grenier aménageable - cave au sous-sol - chauffage par convecteurs gaz - châssis double vitrage. Offres fermes uniquement, d'une durée minimum de 3 mois à partir du 01/12/2025 et uniquement à destination de logement.
  • Nombre de chambres: 2
  • Revenu Cadastral: 275 €
  • Libre à partir du: A l'acte
  • NOTAGO, société notariale
  • Personne de contact: Isabelle ZICOT
  • Tel: (065) 35.20.03
  • Email: isabelle.zicot.131094@belnot.be
  • Informations de visite
  • Clés en l'étude

Maisons

124 Avenue du Général de Gaulle, 7000 Mons

Faire offre à partir de
110 000 €

Image de présentation du bien n° 290544
Vente de gré à gré
  • Référence: 290544
  • Maison d'habitation 2 façades comprenant au rez-de-chaussée : grand living, salle à manger, cuisine, veranda, - Etage : 3 chambres, salle de bains avec WC, grenier aménageable - caves au sous-sol, jardin - chauffage par convecteurs gaz - châssis double vitrage. Offres fermes uniquement, d'une durée minimum de 3 mois à partir du 01/12/2025 et uniquement à destination de logement.
  • Nombre de chambres: 3
  • Revenu Cadastral: 520 €
  • Libre à partir du: A l'acte
  • NOTAGO, société notariale
  • Personne de contact: Isabelle ZICOT
  • Tel: (065) 35.20.03
  • Email: isabelle.zicot.131094@belnot.be

Maisons

50 Rue des Ecoles, 7034 Obourg

Faire offre à partir de
125 000 €

Image de présentation du bien n° 290549
Vente de gré à gré
  • Référence: 290549
  • Maison d'habitation 2 façades comprenant au rez-de-chaussée : hall d'entrée, grand living, salle à manger, cuisine, salle de bains, WC - Etage : hall de nuit, 4 chambres, grenier aménageable - cave au sous-sol - chauffage par convecteurs gaz - châssis double vitrage. Offres fermes uniquement, d'une durée minimum de 3 mois à partir du 01/12/2025 et uniquement à destination de logement.
  • Nombre de chambres: 4
  • Revenu Cadastral: 741 €
  • Libre à partir du: A l'acte
  • NOTAGO, société notariale
  • Personne de contact: Isabelle ZICOT
  • Tel: (065) 35.20.03
  • Email: isabelle.zicot.131094@belnot.be
  • Informations de visite
  • Clés en l'étude

Maisons

6 Rue de la Rochelle, 6567 Merbes-le-Château

Faire offre à partir de
80 000 €

Image de présentation du bien n° 290539
Vente de gré à gré
  • Référence: 290539
  • Ensemble immobilier composé d’une maison en ruine et d’un entrepôt Caractéristiques : Maison en très mauvais état - présence de mérule Entrepôt attenant Dispense PEB Pas de PV électrique Citerne à mazout de plus de 3.000 L (pas de permis d'environnement) Jardin Situation : Quartier calme, proche des commodités et axes principaux. Opportunité pour investisseur ou constructeur souhaitant repartir sur une base neuve. Permis de démolition accordé – démarches simplifiées pour repartir sur un éventuel nouveau projet. Bien vendu en l’état (y compris les encombrants) LOT 1 : Faire offre à partir de 80.000,00€ LOT 2 : Voir deuxième publication
  • Nombre de chambres: 3
  • Revenu Cadastral: 1151 €
  • Libre à partir du: A l'acte
  • Isabelle Allard, Notaire
  • Personne de contact: Vincent RUFFALDI
  • Tel: (071) 59.07.34
  • Email: vincent.ruffaldi@belnot.be
  • Informations de visite
  • Prise de RENDEZ-VOUS au 071/59.07.34 (extension n°2)

Maisons

3 Bas Chemin, 7321 Blaton

Faire offre à partir de
170 000 €

Image de présentation du bien n° 290556
Vente de gré à gré
  • Référence: 290556
  • le bien se compose comme suit : Sous-sol : cave (+/- 15 m²) Rez : hall d'entrée, salon/Living (+/- 40 m²), cuisine équipée (+/- 16 m²); 2 chambres (12 et 16 m²), salle de douche avec wc (+/- 6 m²), pergola, terrasse, annexe (+/- 10 m²), garage (+/- 16 m²), petit passage latéral couvert, volets, doubles vitrages (PVC et ALU), égout + fosse, Chauffage Gaz de Ville (chaudière Vaillant ventouse 2022), jardin Etage : grenier de belle hauteur facilement aménageable (+/- 75 m²) Electricité conforme
  • Nombre de chambres: 2
  • Revenu Cadastral: 294 €
  • Libre à partir du: A l'acte
  • JONNIAUX, Constant
  • Personne de contact: Annie DE KEYZER
  • Tel: (065) 62.04.33
  • Email: annie.dekeyzer.130757@belnot.be

Terrains

, 7120 Estinnes-au-Mont

Faire offre à partir de
400 000 €

Image de présentation du bien n° 290062
Vente de gré à gré
  • Référence: 290062
  • Terrains à vendre situés à Estinnes-au-Mont Contenance totale de 57 ares et 70 centiares Se renseigner auprès de l'urbanisme d' Estinnes concernant les prescriptions urbanistiques.
  • Revenu Cadastral: 35 €
  • Libre à partir du: A l'acte
  • BABUSIAUX & PIRLOT NOTAIRES ASSOCIES
  • Personne de contact: Laura WOJCIECHOWSKI
  • Tel: (064) 31.14.20
  • Email: laura.wojciechowski.183400@belnot.be

Appartements

16c Quai Saint Léonard, 4000 Liège

Faire offre à partir de
185 000 €

Image de présentation du bien n° 290563
Vente de gré à gré
  • Référence: 290563
  • Appartement 2 chambres situé au 6ème étage de la Résidence Lambert Grisard à 4000 Liège, Quai Saint-Léonard 16C. Immeuble avec ascenseur. Joliment situé, à proximité du Tram et de toutes commodités. Celui-ci se compose d'un hall d'entrée, de 2 chambres dont 1 avec balcon, une salle de bain, un wc séparé, une cuisine équipée et un séjour avec vue sur Meuse.
  • Nombre de chambres: 2
  • Superficie habitable: 81m2
  • Nombre de salles de bains: 1
  • Revenu Cadastral: 862 €
  • Libre à partir du: A l'acte
  • Hélène BOURGUIGNON - Société notariale
  • Personne de contact: Christiane BAERT
  • Tel: (019) 32.21.22
  • Email: christiane.baert.132878@belnot.be

Autre

7+ La Falize, 4990 Lierneux

Faire offre à partir de
25 000 €

Image par défaut de présentation d'un bien 290560
Vente de gré à gré
  • Référence: 290560
  • Commune de Lierneux – 1ère division – Lierneux - Un bâtiment rural sise La Falize 7 + cadastré section A numéro 01882EP0000 pour une superficie de 94 mètres carrés et un revenu cadastral de 7 euros Visites : Renseignements en l’Etude (04/252.18.72) Occupation : Libre PRIX DEMANDE : 25.000 euros
  • Revenu Cadastral: 7 €
  • Libre à partir du: A l'acte
  • Gabriel RASSON & Benjamine WILKIN , société notariale
  • Personne de contact: Emilie LEONARD
  • Tel: (04) 252.18.72
  • Email: emilie.leonard.356712@belnot.be
  • Informations de visite
  • Renseignements en l'étude

Maisons

7 La Falize, 4990 Lierneux

Faire offre à partir de
130 000 €

Image par défaut de présentation d'un bien 290550
Vente de gré à gré
  • Référence: 290550
  • Commune de Lierneux – 1ère division – Lierneux - Une ferme sise La Falize 7 cadastrée section A numéro 0148PP0000 pour une superficie de 949 mètres carrés et un revenu cadastral de 319 euros Composition: Rez de chaussée : - Hall d’entrée, une cuisine, un living, une pièce sanitaire (WC et douche) - Un WC avec évier, Entresol : - Deux chambres Entresol : - Deux chambres Un grenier + fenil + une petite étable Ancienne laiterie + dépendances en ruines Petits greniers, Trois caves avec accès à un jardin Un garage. Caractéristiques : - PEB : numéro 20251030014812/Espe : 58.666 kWh/an/catégorie E/ 418 kWh/m²/an, - Installation électrique : non conforme, - Chauffage central au mazout, - Châssis double vitrage. Visites : Renseignements en l’Etude (04/252.18.72) Occupation : Libre Bien à rénover PRIX DEMANDE : 130.000 euros Possibilité de bénéficier des taux d’enregistrement réduits si toutes les conditions sont remplies
  • Nombre de chambres: 4
  • Nombre de salles de bains: 1
  • Revenu Cadastral: 319 €
  • Libre à partir du: A l'acte
  • Gabriel RASSON & Benjamine WILKIN , société notariale
  • Personne de contact: Emilie LEONARD
  • Tel: (04) 252.18.72
  • Email: emilie.leonard.356712@belnot.be
  • Informations de visite
  • Prendre contact avec l'étude

Terrains

Rue de la Pannerie, 6120 Jamioulx

Faire offre à partir de
157 000 €

Image de présentation du bien n° 290561
Vente publique en ligne
  • Référence: 290561
  • Terrain à bâtir à vendre Lot 9 COMMUNE DE HAM-SUR-HEURE -NALINNES- 6ième division- Section JAMIOULX Une parcelle de « terrain à bâtir », cadastrée selon matrice récente section B numéro 162K P0000, pour une contenance de seize ares septante-cinq centiares (16a 75ca) selon cadastre et selon le plan de mesurage annexé à l’acte de dépôt du permis d’urbanisation; Conditions -Toute personne souhaitant se porter acquéreur de l’un des lots ci-après décrit devra respecter les conditions suivantes- Agir en qualité de personnes physiques ;-Être domicilié dans la commune de Ham-sur-Heure-Nalinnes depuis au moins six mois ou avoir été domicilié dans la commune durant au moins cinq années ; Nul ne pourra acquérir plus d’un lot ; -Sauf en cas de force majeure appréciée par le Conseil communal, dans les cinq ans de la vente, l’adjudicataire sera tenu d’ériger sur la parcelle objet de la vente une habitation. A défaut de remplir cette obligation, la vente sera annulée de plein droit, après mise en demeure signifié par exploit d’huissier à la diligence de la Commune. En tout état de cause, il est interdit à l’adjudicataire ou à ses ayants droits de revendre le terrain nu, c’est-à-dire avant l’achèvement des travaux de construction du gros œuvre. Cette stipulation est une condition essentielle de la vente dont le non-respect entrainera de plein droit sa résolution. Toute revente du bien même construit dans les cinq ans de la vente sera soumis à autorisation de la Commune.
  • Vente en cours
  • Date de début: 13/01/2026 14:00
  • Date de fin: 21/01/2026 14:00
  • Pas d'enchère: 1000 €
  • Revenu Cadastral: 13 €
  • Libre à partir du: A l'acte
  • MAUFROID Anne
  • Personne de contact: Jean-Michel HYPERSIEL
  • Tel: (071) 21.30.47
  • Email: jeanmichel.hypersiel.124016@belnot.be
  • Informations de visite
  • comme il s'agit d'un terrain, il n'y a pas de visite

Terrains

Rue de la Pannerie, 6120 Jamioulx

Faire offre à partir de
86 000 €

Image de présentation du bien n° 290564
Vente publique en ligne
  • Référence: 290564
  • Terrain à bâtir à vendre Lot 14 COMMUNE DE HAM-SUR-HEURE -NALINNES- 6ième division- Section JAMIOULX Une parcelle de « terrain à bâtir », cadastrée selon matrice récente section B numéro 162R P0000, pour une contenance de huit ares soixante-cinq centiares (8a 65ca) selon cadastre et selon le plan de mesurage annexé à l’acte de dépôt du permis d’urbanisation ; Conditions -Toute personne souhaitant se porter acquéreur de l’un des lots ci-après décrit devra respecter les conditions suivantes- Agir en qualité de personnes physiques ;-Être domicilié dans la commune de Ham-sur-Heure-Nalinnes depuis au moins six mois ou avoir été domicilié dans la commune durant au moins cinq années ; Nul ne pourra acquérir plus d’un lot ; -Sauf en cas de force majeure appréciée par le Conseil communal, dans les cinq ans de la vente, l’adjudicataire sera tenu d’ériger sur la parcelle objet de la vente une habitation. A défaut de remplir cette obligation, la vente sera annulée de plein droit, après mise en demeure signifié par exploit d’huissier à la diligence de la Commune. En tout état de cause, il est interdit à l’adjudicataire ou à ses ayants droits de revendre le terrain nu, c’est-à-dire avant l’achèvement des travaux de construction du gros œuvre. Cette stipulation est une condition essentielle de la vente dont le non-respect entrainera de plein droit sa résolution. Toute revente du bien même construit dans les cinq ans de la vente sera soumis à autorisation de la Commune.
  • Vente en cours
  • Date de début: 13/01/2026 14:00
  • Date de fin: 21/01/2026 14:00
  • Pas d'enchère: 1000 €
  • Revenu Cadastral: 7 €
  • Libre à partir du: A l'acte
  • MAUFROID Anne
  • Personne de contact: Jean-Michel HYPERSIEL
  • Tel: (071) 21.30.47
  • Email: jeanmichel.hypersiel.124016@belnot.be
  • Informations de visite
  • comme il s'agit d'un terrain, il n'y a pas de visite

Terrains

Rue de la Pannerie, 6120 Jamioulx

Faire offre à partir de
98 000 €

Image de présentation du bien n° 290568
Vente publique en ligne
  • Référence: 290568
  • Terrain à bâtir à vendre Lot 23 COMMUNE DE HAM-SUR-HEURE -NALINNES- 6ième division- Section JAMIOULX Une parcelle de « terrain à bâtir », cadastrée selon matrice récente section B numéro 162B2 P0000, pour une contenance de huit ares septante-quatre centiares (8a 74ca) selon cadastre et selon le plan de mesurage annexé à l’acte de dépôt du permis d’urbanisation ; Conditions -Toute personne souhaitant se porter acquéreur de l’un des lots ci-après décrit devra respecter les conditions suivantes- Agir en qualité de personnes physiques ;-Être domicilié dans la commune de Ham-sur-Heure-Nalinnes depuis au moins six mois ou avoir été domicilié dans la commune durant au moins cinq années ; Nul ne pourra acquérir plus d’un lot ; -Sauf en cas de force majeure appréciée par le Conseil communal, dans les cinq ans de la vente, l’adjudicataire sera tenu d’ériger sur la parcelle objet de la vente une habitation. A défaut de remplir cette obligation, la vente sera annulée de plein droit, après mise en demeure signifié par exploit d’huissier à la diligence de la Commune. En tout état de cause, il est interdit à l’adjudicataire ou à ses ayants droits de revendre le terrain nu, c’est-à-dire avant l’achèvement des travaux de construction du gros œuvre. Cette stipulation est une condition essentielle de la vente dont le non-respect entrainera de plein droit sa résolution. Toute revente du bien même construit dans les cinq ans de la vente sera soumis à autorisation de la Commune.
  • Vente en cours
  • Date de début: 03/02/2026 14:00
  • Date de fin: 11/02/2026 14:00
  • Pas d'enchère: 1000 €
  • Revenu Cadastral: 7 €
  • Libre à partir du: A l'acte
  • MAUFROID Anne
  • Personne de contact: Jean-Michel HYPERSIEL
  • Tel: (071) 21.30.47
  • Email: jeanmichel.hypersiel.124016@belnot.be
  • Informations de visite
  • comme il s'agit d'un terrain, il n'y a pas de visite

Terrains

Rue de la Pannerie, 6120 Jamioulx

Faire offre à partir de
76 000 €

Image de présentation du bien n° 290569
Vente publique en ligne
  • Référence: 290569
  • Terrain à bâtir à vendre Lot 24 COMMUNE DE HAM-SUR-HEURE -NALINNES- 6ième division- Section JAMIOULX Une parcelle de « terrain à bâtir », cadastrée selon matrice récente section B numéro 162C2 P0000, pour une contenance de six ares septante-six centiares (6a 76ca) selon cadastre et selon le plan de mesurage annexé à l’acte de dépôt du permis d’urbanisation ; Conditions -Toute personne souhaitant se porter acquéreur de l’un des lots ci-après décrit devra respecter les conditions suivantes- Agir en qualité de personnes physiques ;-Être domicilié dans la commune de Ham-sur-Heure-Nalinnes depuis au moins six mois ou avoir été domicilié dans la commune durant au moins cinq années ; Nul ne pourra acquérir plus d’un lot ; -Sauf en cas de force majeure appréciée par le Conseil communal, dans les cinq ans de la vente, l’adjudicataire sera tenu d’ériger sur la parcelle objet de la vente une habitation. A défaut de remplir cette obligation, la vente sera annulée de plein droit, après mise en demeure signifié par exploit d’huissier à la diligence de la Commune. En tout état de cause, il est interdit à l’adjudicataire ou à ses ayants droits de revendre le terrain nu, c’est-à-dire avant l’achèvement des travaux de construction du gros œuvre. Cette stipulation est une condition essentielle de la vente dont le non-respect entrainera de plein droit sa résolution. Toute revente du bien même construit dans les cinq ans de la vente sera soumis à autorisation de la Commune.
  • Vente en cours
  • Date de début: 03/02/2026 14:00
  • Date de fin: 11/02/2026 14:00
  • Pas d'enchère: 1000 €
  • Revenu Cadastral: 5 €
  • Libre à partir du: A l'acte
  • MAUFROID Anne
  • Personne de contact: Jean-Michel HYPERSIEL
  • Tel: (071) 21.30.47
  • Email: jeanmichel.hypersiel.124016@belnot.be
  • Informations de visite
  • comme il s'agit d'un terrain, il n'y a pas de visite

Terrains

Rue de la Pannerie, 6120 Jamioulx

Faire offre à partir de
87 000 €

Image de présentation du bien n° 290571
Vente publique en ligne
  • Référence: 290571
  • Terrain à bâtir à vendre Lot 26 COMMUNE DE HAM-SUR-HEURE -NALINNES- 6ième division- Section JAMIOULX Une parcelle de « terrain à bâtir », cadastrée selon matrice récente section B numéro 162E2 P0000, pour une contenance de sept ares quatre-vingt-deux centiares (7a 82ca) selon cadastre et selon le plan de mesurage annexé à l’acte de dépôt du permis d’urbanisation ; Conditions -Toute personne souhaitant se porter acquéreur de l’un des lots ci-après décrit devra respecter les conditions suivantes- Agir en qualité de personnes physiques ;-Être domicilié dans la commune de Ham-sur-Heure-Nalinnes depuis au moins six mois ou avoir été domicilié dans la commune durant au moins cinq années ; Nul ne pourra acquérir plus d’un lot ; -Sauf en cas de force majeure appréciée par le Conseil communal, dans les cinq ans de la vente, l’adjudicataire sera tenu d’ériger sur la parcelle objet de la vente une habitation. A défaut de remplir cette obligation, la vente sera annulée de plein droit, après mise en demeure signifié par exploit d’huissier à la diligence de la Commune. En tout état de cause, il est interdit à l’adjudicataire ou à ses ayants droits de revendre le terrain nu, c’est-à-dire avant l’achèvement des travaux de construction du gros œuvre. Cette stipulation est une condition essentielle de la vente dont le non-respect entrainera de plein droit sa résolution. Toute revente du bien même construit dans les cinq ans de la vente sera soumis à autorisation de la Commune.
  • Vente en cours
  • Date de début: 03/02/2026 14:00
  • Date de fin: 11/02/2026 14:00
  • Pas d'enchère: 1000 €
  • Revenu Cadastral: 6 €
  • Libre à partir du: A l'acte
  • MAUFROID Anne
  • Personne de contact: Jean-Michel HYPERSIEL
  • Tel: (071) 21.30.47
  • Email: jeanmichel.hypersiel.124016@belnot.be
  • Informations de visite
  • comme il s'agit d'un terrain, il n'y a pas de visite

Maisons

88 Warandestraat, 9810 Nazareth

Faire offre à partir de
335 000 €

Image de présentation du bien n° 290576
Vente de gré à gré
  • Référence: 290576
  • Maison bien située à Nazareth. Composition: Cave ; Rez-de-chaussée : hall d’entrée avec escalier, salon, salle à manger, cuisine, salle de bains avec WC ; Premier étage : deux chambres et un bureau ; Grenier rampant. Vue sur la campagne depuis le jardin. Obligation de rénovation. Présence d’amiante. G score: B P score: B
  • Nombre de chambres: 2
  • Nombre de salles de bains: 1
  • Revenu Cadastral: 481 €
  • Libre à partir du: Immédiatement
  • Notaris Bernard Desmet, notarisvennootschap
  • Personne de contact: Kantoor DESMET Bernard
  • Tel: (09) 385.40.27
  • Email: bernard.desmet@belnot.be
  • Informations de visite
  • VIA AFSPRAAK MET HET NOTARISKANTOOR

Maisons

15 Chemin des Ranchauds, 5020 Malonne

Faire offre à partir de
370 000 €

Image de présentation du bien n° 290579
Vente de gré à gré
  • Référence: 290579
  • Charmante maison bourgeoise 4 façades, idéalement située dans une rue sans issue pour vivre en toute tranquillité et sécurité. Située à proximité de Namur et de la citadelle. Entourée d’un beau grand jardin plat (orienté sud). Possibilités d’aménagements extérieurs, dont la construction d’un double garage sur la droite du terrain (sous réserve de l’obtention d’un nouveau permis). Caractéristiques principales : 1. 4 chambres avec possibilité d’aménager une 5? chambre 2. Cuisine équipée complète récente, fonctionnelle et moderne 3. Grand living avec bow window lumineux 4. Salle à manger communicante avec la cuisine 5. PEB : D 6. Électricité conforme 7. Grand terrain parfaitement plat et exploitable d’une contenance de 15ares (1.500m²) 8. Jardin orienté sud 9. Quartier calme et familial 10. Charme de l’ancien 11. Cave 12. Chauffage central mazout 13. Châssis récents PVC double vitrage Atouts supplémentaires : 1. Idéal pour colocation, famille recomposée ou famille nombreuse 2. Possibilité d’aménager à faible frais une cinquième chambre 3. Belle grande terrasse 4. Revenu cadastral 585€ -> précompte immobilier réduit possible 5. Abris de jardin Prix souhaité : 370.000 EUR sauf offre supérieure. Renseignements et visites en l'étude du notaire LAURENT à Beauraing
  • Nombre de chambres: 4
  • Nombre de salles de bains: 1
  • Revenu Cadastral: 585 €
  • Libre à partir du: A l'acte
  • Philippe LAURENT, société notariale
  • Personne de contact: Chloé GRIDLET
  • Tel: (082) 71.14.24
  • Email: charlotte.laurent.133918@belnot.be
  • Informations de visite
  • Sur RDV en l'Etude.

Maisons

10 Docteur Depage, 7100 Saint-Vaast

Faire offre à partir de
130 000 €

Image de présentation du bien n° 290578
Vente de gré à gré
  • Référence: 290578
  • Maison à moderniser située dans une rue tranquille de la cité- jardin. Le rez-de-chaussée se compose d’un hall d’entrée, d’un salon-salle à manger lumineux avec un poêle au gaz et une cheminée pour un feu au bois ainsi qu’une cuisine assez spacieuse mais non équipée qui donne sur le jardin clôturé et une salle de bains (avec bain, lavabo, WC et coin buanderie) . À l’étage, un palier dessert trois chambres revêtues de vinyle. Le deuxième étage dispose d’un grenier aménageable offrant un beau potentiel d’agrandissement (toiture légèrement isolée). Équipements divers : châssis double vitrage ancien et simple vitrage pour les chambres côté jardin pas de chauffage central. La salle de bains et la cuisine ont été ajoutées vers 1980 avec permis d’urbanisme validé (dossier consultable). Une maison idéale pour une famille ou un projet de rénovation dans un quartier calme et agréable.
  • Nombre de chambres: 3
  • Nombre de salles de bains: 1
  • Revenu Cadastral: 468 €
  • Libre à partir du: A l'acte
  • Aurélie HAINE, Notaire
  • Personne de contact: Sophie CARLIER
  • Tel: (064) 22.35.42
  • Email: sophie.carlier.125922@belnot.be

Terrains

Het Veld, 2530 Boechout

Faire offre à partir de
350 000 €

Image de présentation du bien n° 290495
Vente de gré à gré
  • Référence: 290495
  • P score: A
  • Revenu Cadastral: 3 €
  • Libre à partir du: A l'acte
  • Notaris Stéphane Van Roosbroeck
  • Personne de contact: Alexander SELS
  • Tel: (03) 454.14.54
  • Email: alexander.sels.127985@belnot.be

Maisons

27 Keerbergstraat, 2800 Mechelen

Faire offre à partir de
225 000 €

Image de présentation du bien n° 290494
Vente publique en ligne
  • Référence: 290494
  • Maison pleine de caractère à rénover au cœur de Malines. Située dans un environnement résidentiel de grande valeur historique. À distance de marche des commerces et des transports en commun. Électricité non conforme. Pas de citerne à mazout. PEB label F. Obligation de rénovation. Présence d’amiante. G score: A P score: A
  • Nombre de chambres: 1
  • Nombre de salles de bains: 1
  • Vente en cours
  • Date de début: 03/02/2026 14:00
  • Date de fin: 11/02/2026 14:00
  • Pas d'enchère: 1000 €
  • Revenu Cadastral: 277 €
  • Libre à partir du: A l'acte
  • SPAEPEN Adrienne
  • Personne de contact: Jessy DUSCHEK
  • Tel: (015) 28.60.10
  • Email: j.duschek@notaris-spaepen.be
  • Informations de visite
  • Chaque mercredi 15h-17h, du 14/01 au 04/02/2026

Maisons

4 Ruelle de l'Escalier, 7387 Angreau

Faire offre à partir de
185 000 €

Image de présentation du bien n° 290458
Vente de gré à gré
  • Référence: 290458
  • Pour tout renseignement, merci de prendre contact avec l'Etude par téléphone -Rez : hall, WC, salon avec feu au bois, sàm, cuisine équipée (taque, armoire, frigo, évier), sdb (douche et évier) - 1 chambre moyenne, 1 chambre avec armoire, 1 chambre avec bibliothèque -Ext : jardin, terrasse, garage et passage latéral Etage aménageable ( +- 2 chambres possible), Châssis double vitrage, une cave, chauffage central au mazout - Raccord : eau, électricité et égouts RC : 664€ Superficie : 5a90ca PEB 20250423037412 cat G
  • Nombre de chambres: 3
  • Nombre de salles de bains: 1
  • Revenu Cadastral: 664 €
  • Libre à partir du: A l'acte
  • Société Notariale Géry LEFEBVRE
  • Personne de contact: Luana TENACE
  • Tel: (065) 45.71.68
  • Email: luana.tenace.128744@belnot.be

Maisons

132 Rue de Mons-lez-Liège, 4400 Mons-lez-Liège

Faire offre à partir de
385 000 €

Image de présentation du bien n° 290501
Vente de gré à gré
  • Référence: 290501
  • Située dans un lotissement calme et recherché, à proximité immédiate de l’autoroute E42 et des commerces, cette maison 4 façades des années 60 offre un excellent potentiel pour ceux qui recherchent un bien à personnaliser selon leurs goûts. Édifiée sur un terrain plat d’environ 650 m², elle bénéficie d’une vue imprenable et d’un environnement verdoyant et paisible. Le rez-de-chaussée se compose d’un spacieux hall d’entrée, d’un lumineux salon/séjour, d’une cuisine semi-équipée, d’un débarras et d’un WC indépendant. À l’étage, vous trouverez 4 chambres confortables ainsi qu’une salle de bains avec douche. Le bien dispose également d’un garage double, de deux caves, d’une terrasse arrière donnant sur un agréable jardin avec abri en bois, idéal pour les moments de détente en extérieur. L’ensemble est à rafraîchir et moderniser, mais offre une base saine et solide pour en faire une maison familiale chaleureuse et fonctionnelle. Atouts principaux : • Environnement calme et résidentiel • Accès rapide à l’E42 et aux commodités • 4 chambres spacieuses • Garage 2 voitures + caves • Grand jardin avec belle vue dégagée
  • Nombre de chambres: 4
  • Superficie habitable: 181m2
  • Nombre de salles de bains: 1
  • Revenu Cadastral: 1023 €
  • Libre à partir du: A l'acte
  • Marjorie ALBERT, Société Notariale
  • Personne de contact: Charlotte HAESEN
  • Tel: (04) 275.10.75
  • Email: charlotte.haesen.126979@belnot.be
  • Informations de visite
  • Pour les visites, merci d'appeler Mr VANDROMME au 0475/75.36.36

Maisons

3 Rue du Parc, 5620 Florennes

Faire offre à partir de
65 000 €

Image de présentation du bien n° 290507
Vente de gré à gré
  • Référence: 290507
  • Maison d'habitation deux façades libre d'occupation
  • Nombre de chambres: 1
  • Revenu Cadastral: 379 €
  • Libre à partir du: A l'acte
  • L&D Not, société notariale
  • Personne de contact: Gontran DE MOREAU
  • Tel: (071) 68.80.48
  • Email: gontran.demoreau.109215@belnot.be

Maisons

40 Rue Henry de Rohan-Chabot, 5620 Florennes

Faire offre à partir de
15 000 €

Image de présentation du bien n° 290512
Vente publique en ligne
  • Référence: 290512
  • [Visites accompagnées par la société GIL, joignable au 071 38 84 49] Cette maison d'habitation, à rénover complètement, se compose comme suit : - sous-sol : petite cave ; - rez-de-chaussée : sas d'entrée, salon, salle-à-manger, espace cuisine et ancien WC ; - étage : palier desservant deux chambres. Observations : Garage avec atelier ; Jardin ; Châssis simple vitrage en bois, Aucun système de chauffage ; Raccordement à l'égout.
  • Nombre de chambres: 2
  • Superficie habitable: 114m2
  • Vente en cours
  • Date de début: 05/01/2026 11:00
  • Date de fin: 13/01/2026 11:00
  • Pas d'enchère: 2000 €
  • Revenu Cadastral: 287 €
  • Libre à partir du: A l'acte
  • L&D Not, société notariale
  • Personne de contact: Nora DUFOUR
  • Tel: (071) 68.80.48
  • Email: nora.dufour.109215@belnot.be

Garages

2+ Rue de Corenne, 5620 Florennes

Faire offre à partir de
12 500 €

Image de présentation du bien n° 290515
Vente publique en ligne
  • Référence: 290515
  • [Visites accompagnées par la société GIL, joignable au 071 38 84 49] 1/Un garage, sis rue de Corenne, numéro 2 +, cadastré selon titre et extrait cadastral récent section D, numéro 0128Z3P0000, pour une contenance de cinquante-deux centiares (52ca). Revenu cadastral non indexé : cent septante-trois euros (€ 173,00). 2/Un garage, sis rue de Corenne, numéro 2+, cadastré selon titre et extrait cadastral section D, numéro 0128A4P0000, pour une contenance de vingt-deux centiares (22ca). Revenu cadastral non indexé : soixante-et-un euros (€ 61,00). 3/Un parking, sis rue de Corenne, cadastré selon titre et extrait cadastral récent section D, numéro 0128B4P0000, pour une contenance d’un are cinquante-six centiares (01a 56ca). Revenu cadastral non indexé : dix-neuf euros (€ 19,00).
  • Vente en cours
  • Date de début: 05/01/2026 11:00
  • Date de fin: 13/01/2026 11:00
  • Pas d'enchère: 2000 €
  • Revenu Cadastral: 253 €
  • Libre à partir du: A l'acte
  • L&D Not, société notariale
  • Personne de contact: Nora DUFOUR
  • Tel: (071) 68.80.48
  • Email: nora.dufour.109215@belnot.be

Garages

70+ Rue Henry de Rohan-Chabot, 5620 Florennes

Faire offre à partir de
10 000 €

Image de présentation du bien n° 290520
Vente publique en ligne
  • Référence: 290520
  • [Visites accompagnées par la société GIL, joignable au 071 38 84 49] Deux garages spacieux, sis rue Henry de Rohan-Chabot, numéro 70 +, cadastrés ensemble selon titre et extrait cadastral récent section D, numéro 0129P17P0000, pour une contenance d’un are soixante-six centiares (01a 66ca). Revenu cadastral non indexé : deux cent treize euros (€ 213,00). ! Toiture manquante sur une partie du bâtiment !
  • Vente en cours
  • Date de début: 05/01/2026 11:00
  • Date de fin: 13/01/2026 11:00
  • Pas d'enchère: 2000 €
  • Revenu Cadastral: 213 €
  • Libre à partir du: A l'acte
  • L&D Not, société notariale
  • Personne de contact: Nora DUFOUR
  • Tel: (071) 68.80.48
  • Email: nora.dufour.109215@belnot.be

Maisons

48 Runksterkiezel, 3500 Hasselt

Faire offre à partir de
960 000 €

Image de présentation du bien n° 290518
Vente publique en ligne
  • Référence: 290518
  • Située au Runksterkiezel 48 à Hasselt, cette villa moderne datant de 2000 se trouve dans un quartier résidentiel calme et verdoyant, reconnu pour son cadre de vie agréable, sa bonne accessibilité et sa proximité des écoles, des commerces et des voies d’accès. Les environs offrent le confort d’un quartier résidentiel tout en bénéficiant du calme d’un environnement naturel. La propriété repose sur une parcelle exceptionnellement vaste de 1 ha 64 a 62 ca, garantissant une intimité optimale et de nombreuses possibilités d’aménagement. La maison propose un volume habitable bien pensé comprenant notamment quatre chambres, deux salles de bains, un bureau, ainsi que plusieurs espaces de vie donnant sur le grand jardin. À l’extérieur, vous trouverez également une piscine, parfaitement intégrée dans le cadre verdoyant. Le bien dispose d’un label PEB D. Ce bien unique est vendu publiquement via Biddit. Début des enchères : le 27 janvier à 14h00. Fin des enchères : le 4 février à 14h00. Mise à prix : 960.000 €. Signature du procès-verbal d’adjudication : le 11 février à 9h00. Les visites auront lieu : Le samedi 6 décembre de 10h00 à 12h00; Le samedi 13 décembre de 10h00 à 12h00; Le samedi 10 janvier de 10h00 à 12h00; Le samedi 17 janvier de 10h00 à 12h00; Le samedi 24 janvier de 10h00 à 12h00; Le samedi 31 janvier de 10h00 à 12h00. Le bien sera disponible après paiement du prix, des frais et des charges. Cette villa allie espace, intimité, confort et situation exceptionnelle. Une opportunité unique pour ceux qui recherchent une habitation de qualité sur un domaine de grande envergure. La cuve à mazout a été équipée d’un bouchon vert, comme en atteste le certificat de conformité établi par Vastgoed Experts en date du 28/11/2025.
  • Nombre de chambres: 4
  • Nombre de salles de bains: 2
  • Vente en cours
  • Date de début: 27/01/2026 14:00
  • Date de fin: 04/02/2026 14:00
  • Pas d'enchère: 1000 €
  • Revenu Cadastral: 3744 €
  • Libre à partir du: autre
  • Gilissen, Janssen & Neven
  • Personne de contact: Kantoor Not. Gilissen, Janssen & Neven
  • Tel: (011) 22.26.29
  • Email: info@gjnot.be
  • Informations de visite
  • Le samedi 6 décembre de 10h00 à 12h00; Le samedi 13 décembre de 10h00 à 12h00; Le samedi 10 janvier de 10h00 à 12h00; Le samedi 17 janvier de 10h00 à 12h00; Le samedi 24 janvier de 10h00 à 12h00; Le samedi 31 janvier de 10h00 à 12h00

Maisons

34 Rue Roger Decoene, 7700 Mouscron

Faire offre à partir de
190 000 €

Image de présentation du bien n° 290516
Vente de gré à gré
  • Référence: 290516
  • À 2 pas de la gare, habitation spacieuse, située en plein centre, à proximité immédiate de la gare de Mouscron et offrant un beau potentiel familial. Rez-de-chaussée : Hall d’entrée, spacieux séjour, cuisine lumineuse, salle de bains, cave 1er étage : Hall de nuit, 2 belles chambres; 2ème étage : 3 chambres (une grande + deux plus petites) À l’extérieur, un beau jardin offre un espace agréable. Chauffage par convecteur gaz et feu au charbon, Eau de ville, eau de puits et récupération d’eau de pluie, Châssis PVC double vitrage Persiennes dont 1 électrique programmable au rez-de-chaussée en façade Cette maison offre de très beaux volumes, de nombreuses possibilités d’aménagement, un emplacement central recherché : Commerces, écoles, bus, services à proximité, un cadre parfait pour une grande famille ou un projet d’investissement
  • Nombre de chambres: 5
  • Nombre de salles de bains: 1
  • Revenu Cadastral: 448 €
  • Libre à partir du: A l'acte
  • Notaire Philippe DUMON
  • Personne de contact: Sylvie SEYNAEVE
  • Tel: (056) 33.05.41
  • Email: sylvie.seynaeve.125344@belnot.be
  • Informations de visite
  • Renseignements en Etude

Maisons

58 Poekestraat, 8755 Ruiselede

Faire offre à partir de
180 000 €

Image de présentation du bien n° 290428
Vente de gré à gré
  • Référence: 290428
  • G score: C P score: D
  • Nombre de chambres: 2
  • Nombre de salles de bains: 1
  • Revenu Cadastral: 275 €
  • Libre à partir du: A l'acte
  • Notariskantoor Verhaeghe, Baert & Vertriest
  • Personne de contact: Kimberly DESPLENTER
  • Tel: (051) 68.85.20
  • Email: kimberly.desplenter.352991@belnot.be

Maisons

27 Rue du Pont-à-Rieu, 7500 Saint-Maur

Faire offre à partir de
85 000 €

Image de présentation du bien n° 290505
Vente de gré à gré
  • Référence: 290505
  • Maison d’habitation unifamiliale sise à SAINT-MAUR comprenant : Au rez-de-chaussée : un hall d’entrée, un w.c, une buanderie, une cuisine équipée (récente), un salon et une salle-à-manger, À l’étage 1 : deux chambres, une salle de bains carrelée (une baignoire d’angle et un lavabo), et un grenier aménageable. À l’extérieur : un petit jardin avec chalet (à restaurer).
  • Nombre de chambres: 2
  • Superficie habitable: 116m2
  • Nombre de salles de bains: 1
  • Revenu Cadastral: 203 €
  • Libre à partir du: A l'acte
  • Pierre-Olivier LOIX & Valentin DELWART, notaires associés
  • Personne de contact: Bettina CIAPPINA
  • Tel: (069) 22.52.15
  • Email: bettina.ciappina.351226@belnot.be
  • Informations de visite
  • Prendre rendez-vous en l'étude des Notaires Pierre-Olivier LOIX et Valentin DELWART au 069/22.52.15

Maisons

274 Uilenstraat, 9100 Nieuwkerken-Waas

Faire offre à partir de
165 000 €

Image de présentation du bien n° 290481
Vente de gré à gré
  • Référence: 290481
  • G score: A P score: B
  • Nombre de chambres: 1
  • Nombre de salles de bains: 1
  • Revenu Cadastral: 297 €
  • Libre à partir du: A l'acte
  • NOTARIS DOMINIQUE DE KESEL
  • Personne de contact: Kirsi VAN AERDE
  • Tel: (03) 776.49.65
  • Email: kirsi.vanaerde.133462@belnot.be

Maisons

10 Herreweg, 9660 Brakel

Faire offre à partir de
140 000 €

Image de présentation du bien n° 290488
Vente de gré à gré
  • Référence: 290488
  • G score: A P score: A
  • Nombre de chambres: 2
  • Superficie habitable: 120m2
  • Nombre de salles de bains: 1
  • Revenu Cadastral: 354 €
  • Libre à partir du: A l'acte
  • Vanderlinden & De Borre, geassocieerde notarissen
  • Personne de contact: Katleen VERMEIR
  • Tel: (055) 42.33.99
  • Email: katleen.vermeir.130765@belnot.be
  • Informations de visite
  • Bezichtiging na telefonische afspraak met het notariskantoor.

Appartements

17 Place des Guillemins, 4000 Liège

Faire offre à partir de
99 000 €

Image de présentation du bien n° 290525
Vente de gré à gré
  • Référence: 290525
  • STUDIO A VENDRE - QUARTIER GUILLEMINS Studio au deuxième étage d'un immeuble place des Guillemins. Idéalement situé, proche de toutes commodités et de l'hyper centre, ce studio est composé comme suit: Une cuisine, toilette avec wc, et une cave située au sous-sol. Ce studio dispose d'un double vitrage, PEB E. Contactez l'étude pour tous renseignements complémentaires. Les visites sont organisées sans rendez-vous aux horaires suivants: - Dimanche 7 décembre 2025 de 15h30 à 16h30; - Vendredi 12 décembre 2025 de 14h00 à 15h00.
  • Nombre de chambres: 1
  • Superficie habitable: 41m2
  • Revenu Cadastral: 788 €
  • Libre à partir du: A l'acte
  • Anne Françoise HONHON et Christine DÔME, notaires associés
  • Personne de contact: Coralie BARRERO VITELLARO
  • Tel: (04) 223.25.27
  • Email: coralie.barrero.223755@belnot.be

Maisons

51 Oude Abdijstraat, 9300 Aalst

Faire offre à partir de
199 000 €

Image de présentation du bien n° 290493
Vente publique en ligne
  • Référence: 290493
  • Maison bien située, cadastrée section E, numéro 43X3P0000, superficie 2a 98ca. G score: D P score: D
  • Nombre de chambres: 4
  • Nombre de salles de bains: 1
  • Vente en cours
  • Date de début: 28/01/2026 14:00
  • Date de fin: 05/02/2026 14:00
  • Pas d'enchère: 1000 €
  • Revenu Cadastral: 741 €
  • Libre à partir du: autre
  • Van Maele en Couck geassocieerde notarissen
  • Personne de contact: Marlies VAN DEN CRUYCE
  • Tel: (053) 21.65.24
  • Email: marlies@notarisvanmaele.be
  • Informations de visite
  • Les samedis 10, 17, 24 et 31 janvier 2026, de 10 h à 12 h.

Maisons

43 Tieltse Baan, 3200 Aarschot

Faire offre à partir de
240 000 €

Image de présentation du bien n° 290496
Vente de gré à gré
  • Référence: 290496
  • Ville d'AARSCHOT MAISON à rénover avec REMISE, GARAGE et JARDIN, Tieltse Baan 43, cadastrée quartier C n° 158/B/2 et 158/C/2 pour 10 ares 50 centiares, comprenant: Cave (8 m²) ; Rez-de-chaussée (69 m²) : hall d'entrée avec escalier, séjour, cuisine, véranda, salle de bains, wc, jardin avec débarras (46 m²) et garage (17 m²) ; Étage (46 m²) : 4 chambres à coucher ; Grenier (à aménager éventuellement). Zone résidentielle à caractère rural (50 premiers mètres) et zone agricole (à l'arrière) – Année de construction 1952 (permis) - Permis de construire pour l'extension d'un débarras (03/09/1959) et d'un garage (24/03/1966). Pas de citation à comparaître – Pas de droit de préemption – Pas de risque d'inondation. Commodités : eau, électricité, égouts, télévision par câble, téléphone, double vitrage, volets roulants, chauffage central au mazout. Visite : sur rendez-vous. Libre de toute occupation - EPC 750 kWh/m²/an (label F). G score: A P score: A
  • Nombre de chambres: 4
  • Superficie habitable: 129m2
  • Nombre de salles de bains: 1
  • Revenu Cadastral: 482 €
  • Libre à partir du: A l'acte
  • Michiels, Stroeykens & Pelgrims
  • Personne de contact: Kantoor Not. Michiels, Stroeykens & Pelgrims
  • Tel: (016) 56.17.74
  • Email: info@notarissen-msp.be
  • Informations de visite
  • Sur rendez-vous

Maisons

11 Durmstraat, 9930 Lievegem

Faire offre à partir de
450 000 €

Image de présentation du bien n° 290497
Vente de gré à gré
  • Référence: 290497
  • G score: A P score: B
  • Nombre de chambres: 3
  • Superficie habitable: 150m2
  • Revenu Cadastral: 818 €
  • Libre à partir du: A l'acte
  • Notaris Thibault Van Belle
  • Personne de contact: Jonas VAN HOLDERBEKE
  • Tel: (09) 372.70.47
  • Email: jonas.vanholderbeke.131771@belnot.be
  • Informations de visite
  • Bezoek na afspraak met het notariaat. Contact via 09.372.70.47 of kantoor@notarisvanbelle.be

Maisons

18 Rue Camille Desy, 6032 Mont-sur-Marchienne

Faire offre à partir de
75 000 €

Image de présentation du bien n° 290498
Vente de gré à gré
  • Référence: 290498
  • Maison d’habitation à rénover entièrement, présentant un beau potentiel d’aménagement, située dans un quartier calme à proximité de toutes commodités et composée de : - Un salon; - Une salle-à-manger (présentant des problèmes d’humidité à cause de la plateforme voisine); - Pièce destinée à l’aménagement d’une cuisine; - Une salle de bain; - Deux chambres à coucher; - Un grenier accessible via un escalier fixe (toiture non isolée); - Une cave. Informations utiles: - Le bien n’est pas raccordé aux égouts (présence d’une fosse septique); - Raccordement au gaz de ville; - Châssis en PVC double vitrage (+ présence de volets au rez-de-chaussée).
  • Nombre de chambres: 2
  • Revenu Cadastral: 342 €
  • Libre à partir du: A l'acte
  • Sophie LEFEVRE
  • Personne de contact: Sophie LEFEVRE
  • Tel: (071) 36.16.70
  • Email: sophie.lefevre@belnot.be

Maisons

95 Triloystraat, 8930 Rekkem

Faire offre à partir de
180 000 €

Image de présentation du bien n° 290281
Vente de gré à gré
  • Référence: 290281
  • A VENDRE – MAISON mitoyenne avec garage, parkings, jardin, 3 chambres, au calme, proche de toutes commodités Adresse : REKKEM, Triloystraat, 95 - 3 chambres - Jardin - Garage + parkings - Superficie du terrain : 404 m² Maison comprenant : -Sous-sol : cave saine -Rez-de-chaussée : hall d’entrée, salon lumineux, salle à manger, cuisine avec bar (baie vitrée vers le jardin), salle de bain (baignoire, douche, lavabo), garage, wc -1er étage : hall de nuit, 2 chambres, 1 bureau -2ème étage : grande chambre mansardée + grenier -Extérieur : terrasse bois et autoblocants, étang, jardin (large ouverture vers le ciel, arbres dans les propriétés voisines), abri de jardin en , parkings Carrelage partout au rez-de-chaussée + parquet flottant aux étages. Chauffage central électrique. Châssis PVC double-vitrage avec persiennes. Superficie : 404 m² – superficie utile : 176 m² – RC : 528 Euros Maison idéalement située au calme, proche de toutes commodités (axes routiers et autoroutiers, transports en commun, nombreux commerces, écoles, église, …).
  • Nombre de chambres: 3
  • Superficie habitable: 404m2
  • Revenu Cadastral: 528 €
  • Libre à partir du: A l'acte
  • ACTALEX NOTAIRES ASSOCIES - GEASSOCIEERDE NOTARISSEN
  • Personne de contact: Andréa RIGGI
  • Tel: (056) 56.20.40
  • Email: andrea.riggi.460040@belnot.be

Maisons

3 Rue Alexandre Joveneau, 7522 Blandain

Faire offre à partir de
280 000 €

Image de présentation du bien n° 290030
Vente de gré à gré
  • Référence: 290030
  • Belle maison à usage de commerce et d’habitation, sur et avec terrain cadastré pour 530 m2. Au rez de chaussée : Entrée carrossable (ancien garage actuellement à usage professionnel), local commercial en façade, cuisine équipée. A l’arrière : une pièce d’environ 100 m² anciennement à usage professionnel donnant sur le jardin, buanderie, chaufferie. Au 1er étage : salon, une salle à manger, une cuisine équipée, une salle de bains et 3 chambres (dont 2 communicantes). Garnie en grande partie de double vitrage ( en pvc avec persienne et/ou en bois) Vaste grenier non isolé, aménageable. Chauffage central mazout, Deux citerne extérieurs à mazout de 2500 litres. Electricité : Conforme PEB: E Chambres : 3 Salle de bain : 1 Le matériel professionnel pourra faire l'objet d'une vente séparée. Offre à faire en l'Étude. Visite sur rendez-vous.
  • Nombre de chambres: 3
  • Nombre de salles de bains: 1
  • Revenu Cadastral: 745 €
  • Libre le: 30/07/2026
  • ESPACE NOTAIRES - Société notariale
  • Personne de contact: Suyada WAYNO
  • Tel: (069) 64.65.00
  • Email: suyada.wayno.460047@belnot.be
  • Informations de visite
  • Contacter l'étude au 069/64.65.00

Maisons

68 Rue d'Houdeng, 7070 Le Roeulx

Faire offre à partir de
120 000 €

Image de présentation du bien n° 290444
Vente de gré à gré
  • Référence: 290444
  • LE ROEULX - RUE D'HOUDENG, 68 Maison d’habitation comprenant : Rez : living, cuisine semi-équipée, salle de douche, 2 caves, cour, remise, garage, jardin Etage : 2 chambres, grenier Châssis double vitrage, convecteurs gaz. SERVITUDE DE PASSAGE – PANNEAU PUBLICITAIRE Superficie : 4 ares 70 centiares RC : 322€ PEB : G – 660 kWh/m2.an Visites : Clef en l’étude
  • Nombre de chambres: 2
  • Revenu Cadastral: 322 €
  • Libre à partir du: A l'acte
  • Delplanche, Martin
  • Personne de contact: Valerie PÂQUET
  • Tel: (064) 23.82.90
  • Email: valerie.paquet.132043@belnot.be
  • Informations de visite
  • Clef en l'étude, la réserver au 064/23.82.90

Appartements

7/9 Victor Govaerslaan, 2170 Merksem

Faire offre à partir de
199 000 €

Image de présentation du bien n° 290492
Vente de gré à gré
  • Référence: 290492
  • G score: A P score: A
  • Nombre de chambres: 2
  • Superficie habitable: 87m2
  • Nombre de salles de bains: 1
  • Revenu Cadastral: 862 €
  • Libre à partir du: A l'acte
  • Daan Dierickx & Pierre Godts, Geassocieerde Notarissen
  • Personne de contact: Debbie STAEPELS
  • Tel: (03) 230.25.15
  • Email: debbie.staepels.460003@belnot.be

Terrains

Avenue du Long Buisson, 6460 Chimay

Faire offre à partir de
112 000 €

Image de présentation du bien n° 290502
Vente de gré à gré
  • Référence: 290502
  • Très beau terrain à bâtir situé en lieudit "La Justice" dans un endroit calme cadastré section D numéros 0378D2P0000 et 0378E2P0000 pour une contenance totale de 14 ares et suivant plan de mesurage de 13a 99ca 65dcm² étant les lots 7 et 8 du plan de division.
  • Revenu Cadastral: 12 €
  • Libre à partir du: A l'acte
  • Vincent MAILLARD notaire et associés
  • Personne de contact: Bernadette PONCELET
  • Tel: (060) 21.11.16
  • Email: bernadette.poncelet.129569@belnot.be

Maisons

70 Rue Saint-Joseph, 5670 Nismes

Faire offre à partir de
260 000 €

Image de présentation du bien n° 290503
Vente de gré à gré
  • Référence: 290503
  • Une Jolie villa avec terrasse et jardin Récemment rénovée Rue Saint-Joseph, 70 À Nismes (Viroinval)-Descr. Som. : Sous-sol : Entièrement cavé (+ accès jardin), garage-Rez : hall d’entrée, wc, séjour (38m²+ insert) – cuisine équipée avec coins repas (récente) et accès terrasse, buanderie, bureau (15m²)-Etage : palier + dressing, sdb ( douche it., baignoire, dble lav, wc), 4 chambres (15, 18, 15 et 11m²)-DV+volets- Chauff. Cent. Maz (chaudière récente) - Terrasse et Jardin- Allée de garage et portail- Parking- Travaux récents (cuisine éq, isolation, salle de bain,….)- PEB F (20251127002109)-Villa lumineuse-Quartier résidentiel-En retrait de la route- Très belle vue- Proximité centre et commerces-RC: 1224€- Sup : 12 A 82 CA-vis. : Sur RDV en l’étude
  • Nombre de chambres: 4
  • Revenu Cadastral: 1224 €
  • Libre à partir du: A l'acte
  • Grégoire DANDOY - notaires associés
  • Personne de contact: Anne-Catherine REVELART
  • Tel: (060) 31.10.97
  • Email: annecatherine.revelart.127241@belnot.be
  • Informations de visite
  • RDV ETUDE

Maisons

12 Rue du Bambou, 1190 Forest

Faire offre à partir de
400 000 €

Image de présentation du bien n° 290483
Vente publique en ligne
  • Référence: 290483
  • Une maison avec jardin Sise rue du Bambou 12 pour une superficie de 2a 31ca. Comprenant hall d’entrée, garage, chaufferie, salon, salle à manger, cuisine, terrasse, bureau, 6 chambres, 2 salles de bains. R.c.n.i. 2.114€. Libre d’occupation. Zone d’habitation. PEB E/246. Contr. électr. non conforme. Visites : samedis 10-17-24/1 de 9-11h et mercredis 7-14-21/1 de 10-12h. Début enchères : mercredi 21.01.26 à 13h - Fin enchères : jeudi 29.01.26 à 13h - Mise à prix : 400.000€ - Enchère min. : 1.000€ - Sign. acte : vendredi 06.02.26 à 10h - www.biddit.be - Réf. bien : 290483.
  • Nombre de chambres: 6
  • Nombre de salles de bains: 2
  • Vente en cours
  • Date de début: 21/01/2026 13:00
  • Date de fin: 29/01/2026 13:00
  • Pas d'enchère: 1000 €
  • Revenu Cadastral: 2114 €
  • Libre à partir du: A l'acte
  • Corinne Dupont et Hélène Desenfans, notaires associées
  • Personne de contact: Charlotte MATTELAER
  • Tel: (02) 217.52.57
  • Email: charlotte.mattelaer@not-dupont.be
  • Informations de visite
  • samedis 10-17-24/1 de 9-11h et mercredis 7-14-21/1 de 10-12h.

Maisons

1 Route d'Engis, 4121 Neuville-en-Condroz

Faire offre à partir de
215 000 €

Image de présentation du bien n° 256913
Vente de gré à gré
  • Référence: 256913
  • Cette maison de commerce actuellement composée d’un café et d’un appartement se situe idéalement à Neuville-en-Condroz. L'immeuble se compose au rez-de-chaussée d’une partie café (50m²) avec toilettes, d’une cuisine (9m²), d’une pièce arrière (12m²) et d’une chaufferie (4m²). Accès à l’arrière du bâtiment via la cuisine. L’étage se compose d’une grande pièce à vivre (34m²), d’une pièce pouvant être aménagée en cuisine (14m²), d’une chambre (13m²), et d’une salle de bain (baignoire, évier, douche et WC, 8m²). Combles aménageables (60m²) avec belle hauteur sous plafonds (au maximum 4,4m). Caves (30m²). Chauffage au mazout. La terrasse avant ne fait pas partie du bien. Les dimensions sont données à titre informatif. PEB de la partie appartement : G
  • Nombre de chambres: 1
  • Nombre de salles de bains: 1
  • Revenu Cadastral: 1013 €
  • Libre à partir du: A l'acte
  • BERNARD DEGIVE - SOCIETE NOTARIALE
  • Personne de contact: Valerie LALLEMAND
  • Tel: (04) 371.40.11
  • Email: valerie.lallemand.109629@belnot.be

Maisons

38 Rue Henry de Rohan-Chabot, 5620 Florennes

Faire offre à partir de
20 000 €

Image de présentation du bien n° 290504
Vente publique en ligne
  • Référence: 290504
  • [Visites accompagnées par la société GIL, joignable au 071 38 84 49] Une maison de commerce, sise rue Henry de Rohan-Chabot, numéro 38, cadastrée selon titre et extrait cadastral récent section D, numéro 0128C4P0000, pour une contenance d’un are (01a), laquelle se compose comme suit : - rez-de-chaussée : espace commercial avec comptoir, réserve et arrière cuisine ; - étage : hall de nuit desservant trois chambres ; - sous-toiture : grenier aménageable. Observations : Châssis simple vitrage en bois, Anciens radiateurs électriques, Raccordement à l'égout.
  • Nombre de chambres: 3
  • Superficie habitable: 161m2
  • Vente en cours
  • Date de début: 05/01/2026 11:00
  • Date de fin: 13/01/2026 11:00
  • Pas d'enchère: 2000 €
  • Revenu Cadastral: 880 €
  • Libre à partir du: A l'acte
  • L&D Not, société notariale
  • Personne de contact: Nora DUFOUR
  • Tel: (071) 68.80.48
  • Email: nora.dufour.109215@belnot.be

Appartements

11 Boulevard Léopold III, 1030 Schaerbeek

Faire offre à partir de
91 000 €

Image de présentation du bien n° 284985
Vente publique en ligne
  • Référence: 284985
  • Un emplacement stratégique, un potentiel à révéler ! Dans un immeuble à appartements multiples idéalement situé à front du boulevard Léopold III 11 et de la rue Henri Chômé. Ligne de bus et tram à proximité immédiate de l’immeuble - emplacement à proximité des grands axes et des commodités. Description du bien : L’ appartement A.3 sis au niveau 000 Comprenant : un hall d’entrée, living, cuisine, salle de bains et une chambre à coucher. Le bien est repris sous l’identifiant parcellaire 0399 S15 P0012. PEB G/579. Electricité : non conforme. A prévoir : Le bien nécessite une rénovation complète. Visites organisées par www.smartvisite.be. Uniquement sur RDV au 02/880.21.16 disponibles du 02/12/25 au 17/01/26 inclus. Les visites auront lieu les mardis 2 et 9 décembre, puis chaque mercredi et chaque samedi, jusqu’à la veille de clôture des enchères. Une pause des visites est prévue entre le 21 décembre 2025 et le 6 janvier 2026. Début enchères : mardi 20.01.26 à 10h - Fin enchères : mercredi 28.01.26 à 10h - Mise à prix : 91.000€ - Enchère min. : 1.000€ - Sign. acte : mardi 03.02.26 à 14h - www.biddit.be - Réf. bien : 284985.
  • Nombre de chambres: 1
  • Nombre de salles de bains: 1
  • Vente en cours
  • Date de début: 20/01/2026 10:00
  • Date de fin: 28/01/2026 10:00
  • Pas d'enchère: 1000 €
  • Revenu Cadastral: 927 €
  • Libre à partir du: autre
  • ACTALYS, Notaires associés
  • Personne de contact: Inès D'ASPREMONT LYNDEN
  • Tel: (02) 204.09.59
  • Email: ida@actalys.be
  • Informations de visite
  • organisées par www.smartvisite.be. Uniquement sur RDV au 02/880.21.16 disponibles du 02/12/25 au 17/01/26 inclus. Les visites auront lieu les mardis 2 et 9 décembre, puis chaque mercredi et chaque samedi, jusqu’à la veille de clôture des enchères. Une pause des visites est prévue entre le 21 décembre 2025 et le 6 janvier 2026.

Maisons

48 Goudenregenlaan, 9100 Sint-Niklaas

Faire offre à partir de
250 000 €

Image de présentation du bien n° 290513
Vente de gré à gré
  • Référence: 290513
  • G score: A P score: B
  • Nombre de chambres: 3
  • Nombre de salles de bains: 1
  • Revenu Cadastral: 463 €
  • Libre à partir du: A l'acte
  • Tack & De Moor - notarisvennootschap
  • Personne de contact: Michaël DE BOEY
  • Tel: (03) 776.02.38
  • Email: mdb@tackdemoor.be

Appartements

54 Rue Point du Jour, 1470 Bousval

Faire offre à partir de
315 000 €

Image de présentation du bien n° 290406
Vente de gré à gré
  • Référence: 290406
  • Un appartement duplex dans une charmante maison, ancienne étable complètement rénovée, dans un quartier verdoyant et calme de Bousval, se composant de : - Rez-de-chaussée : un hall avec un escalier. - Premier étage : un spacieux et lumineux salon, avec une cuisine entièrement équipée. Ce niveau comprend également un bureau aménagé avec des meubles de rangement. - Deuxième étage : un dressing lumineux, donnant sur une chambre avec un plafond cathédrale, ainsi qu'une grande salle d'eau avec douche à l’italienne, baignoire et meuble lavabo. Enfin, quelques marches supplémentaires vous mènent à une chambre spacieuse avec une terrasse orientée à l’est. L'appartement est vendu avec deux emplacements de parkings extérieurs et une cave au sous-sol. Modalités : Le bien sera libre d'occupation à l'acte. Le mobilier visible sur les photos est inclus dans la vente pour un montant de 2.900,00 €. Un décompte pour la reprise du mazout sera établi lors de la signature de l'acte. L'installation électrique est conforme. La toiture a été aménagée en terrasse sans l'obtention préalable d'un permis d'urbanisme en 2006 (amnistie acquise en 2016). Petite copropriété sans syndic, charges mensuelles de 179,80 €. Le fond du jardin est une partie commune de la copropriété. Faire offre à partir de 315.000,00 € chez les Notaires BARRANCO & van RAEMDONCK, à Genappe, via la plateforme Biddit.
  • Nombre de chambres: 2
  • Superficie habitable: 117m2
  • Nombre de salles de bains: 1
  • Revenu Cadastral: 1028 €
  • Libre à partir du: A l'acte
  • CATHY BARRANCO - SOPHIE van RAEMDONCK, notaires associés
  • Personne de contact: Julie HEX
  • Tel: (067) 78.01.99
  • Email: julie.hex.125880@belnot.be
  • Informations de visite
  • Les visites se dérouleront sur rendez-vous les mercredis entre 14h et 16h et les samedis entre 10h et 12h. Pour prendre rendez-vous, veuillez contacter Pierre Gahide par téléphone au 0474/46.34.44 ou par email à pogahide@gmail.com.

Terrains

Rue Quoesimodes, 4540 Amay

Faire offre à partir de
60 000 €

Image de présentation du bien n° 290521
Vente de gré à gré
  • Référence: 290521
  • Terrain à vendre de 325m² situé en zone d'habitat sis rue Quoesimodes à coté du numéro 7. Prendre contact avec la commune de Saint-Georges ou l'étude en fonction de votre projet.
  • Revenu Cadastral: 1 €
  • Libre à partir du: A l'acte
  • Delmotte, Pierre
  • Personne de contact: Antonino MANTIONE
  • Tel: (04) 263.57.55
  • Email: antonino.mantione.132910@belnot.be

Maisons

2 Rue de l'Astia, 6280 Gerpinnes

Faire offre à partir de
150 000 €

Image de présentation du bien n° 289574
Vente de gré à gré
  • Référence: 289574
  • Belle maison en pierres comprenant: Rez-de-chaussée: Hall d'entrée avec placards, spacieux living, pièce annexe pour la cuisine, salle de douche avec wc. Etage: Hall de nuit, 2 chambres avec plancher et vinyle Grenier aménageable et accessible par une trappe Confort: Chauffage central au mazout, châssis PVC double vitrage, remise avec chaudière et citerne à mazout, jardin Superficie totale: 3a 58ca PEB: F RC:505,00 € Possibilité d'acquérir un garage à la rue d'Hymiée Offre actuelle: 150.000 €
  • Nombre de chambres: 2
  • Superficie habitable: 161m2
  • Revenu Cadastral: 505 €
  • Libre à partir du: A l'acte
  • Coralie de WILDE d´ESTMAEL et Cédric DEL MARMOL notaires associés
  • Personne de contact: Christelle DEWIT
  • Tel: (071) 50.10.39
  • Email: christelle.dewit.350692@belnot.be
  • Informations de visite
  • Visites sur RDV au 071/50.10.39

Maisons

22 Volkstuinlei, 2170 Merksem (Antwerpen)

Faire offre à partir de
399 000 €

Image de présentation du bien n° 290524
Vente de gré à gré
  • Référence: 290524
  • G score: A P score: A
  • Nombre de chambres: 3
  • Nombre de salles de bains: 1
  • Revenu Cadastral: 525 €
  • Libre à partir du: A l'acte
  • De Ferm-Van Oostveldt, geassocieerde notarissen
  • Personne de contact: Ann ZANDER
  • Tel: (03) 645.40.44
  • Email: ann@notarismerksem.be

Maisons

1 Rue Berward, 1320 Tourinnes-la-Grosse

Faire offre à partir de
270 000 €

Image de présentation du bien n° 290485
Vente de gré à gré
  • Référence: 290485
  • Opportunité à saisir - Charmante maison à rénover située au cœur du village de Tourinnes-la-Grosse, dans l'entité de Beauvechain. Elle se compose d'un hall d'entrée, d'une vaste pièce à vivre (salon/salle à manger), d'une cuisine, d'une toilette séparée, d'une salle de bain et, à l'étage, de deux chambres ainsi que d'une pièce pouvant servir de bureau et menant aux combles (aménageables). Magnifique et vaste jardin (parcelle d'environ 15 ares). Le bien dispose d'un garage mais également d'une place de parking séparée, de l'autre côté de la rue, en face de la maison. Le bien est idéalement situé dans une rue calme, à 10' de la E40, à 7' d'une école maternelle et primaire et à 8' de divers commerces. Maison vide et libre. PEB F. Simple vitrage. Installation électrique à remettre aux normes. Chauffage central au mazout (chaudière installée en 2015). Contrôle de la citerne à effectuer avant la signature de l'acte (si nécessaire en raison de la contenance). Petite réparation à la cheminée à prévoir. Visites sur rendez-vous. Demandes à formuler par mail à l'adresse frederic@notavisit.be ou par téléphone au 0470/12.11.15. Pour obtenir de plus amples renseignements quant au bien, adresser un courriel à l'adresse suivante : justine.jacquart.127423@belnot.be.
  • Nombre de chambres: 2
  • Nombre de salles de bains: 1
  • Revenu Cadastral: 813 €
  • Libre à partir du: A l'acte
  • Grégoire Michaux Notaire
  • Personne de contact: Justine JACQUART
  • Tel: (010) 86.60.17
  • Email: justine.jacquart.127423@belnot.be
  • Informations de visite
  • Visites sur rendez-vous. Demandes à formuler par mail à l'adresse frederic@notavisit.be ou par téléphone au 0470/12.11.15.

Terrains

53 Rue Maigret, 7330 Saint-Ghislain

Faire offre à partir de
60 000 €

Image de présentation du bien n° 290450
Vente de gré à gré
  • Référence: 290450
  • terrain avec 2 garages - environ 5,50 mètres de façade sur +/- 70 m de profondeur (mesures approximatives et sans aucune responsabilité)
  • Revenu Cadastral: 120 €
  • Libre à partir du: A définir
  • Benoit BOSMANS, Notaire
  • Personne de contact: Benoit BOSMANS
  • Tel: (064) 44.23.34
  • Email: benoit.bosmans@belnot.be
  • Informations de visite
  • directement sur place

Bureaux

276 Diksmuidelaan, 2600 Berchem

Faire offre à partir de
3 247 000 €

Image de présentation du bien n° 290431
Vente publique en ligne
  • Référence: 290431
  • G score: A P score: B
  • Vente en cours
  • Date de début: 24/02/2026 13:00
  • Date de fin: 04/03/2026 13:00
  • Pas d'enchère: 500 €
  • Revenu Cadastral: 14573 €
  • Libre le: 01/04/2027
  • Notaris Koen De Raeymaecker
  • Personne de contact: Koen DE RAEYMAECKER
  • Tel: (03) 231.42.75
  • Email: koen.deraeymaecker@belnot.be
  • Informations de visite
  • na tel. afspr. met notariskantoor.

Terrains

Polderstraat, 3920 Lommel

Faire offre à partir de
165 000 €

Image de présentation du bien n° 290462
Vente de gré à gré
  • Référence: 290462
  • P score: A
  • Libre à partir du: A l'acte
  • Notaris Bart Vankrunkelsven
  • Personne de contact: Liesbeth SCHEUNDERS
  • Tel: (011) 34.11.56
  • Email: liesbeth@notarisbartvankrunkelsven.be

Terrains

Rue du Warchet, 6280 Joncret

Faire offre à partir de
97 410 €

Image de présentation du bien n° 289918
Vente de gré à gré
  • Référence: 289918
  • Parcelle de terrain située en zone d'habitat dans un environnement champêtre et calme tout en étant proche du centre et des grands axes routiers. Portant le LOT 2, d'une contenance de 1.146,13 m², précadastration en cours Situé en zone d'habitat au plan de secteur et en zone de régime d'assainissement collectif : station d'épuration collective : égouttage précaire voir inexistant - Plan d'Assainissement par Sous bassin Hydrographique : prendre contact avec le bureau d'étude communal. Le projet est à soumettre au service urbanistique de la Commune de Gerpinnes (071/50 90 30) - les clôtures ne font pas partie de la vente (parcelle située à côté du numéro 28)
  • Libre à partir du: A l'acte
  • Alexis BRAHY, Notaire
  • Personne de contact: Nathalie RIMBOLD
  • Tel: (071) 20.80.23
  • Email: nathalie.rimbold.128702@belnot.be
  • Informations de visite
  • Renseignements en l'étude

Terrains

Rue du Pré Barré, 6280 Joncret

Faire offre à partir de
112 795 €

Image de présentation du bien n° 289823
Vente de gré à gré
  • Référence: 289823
  • Parcelle de terrain située en zone d'habitat dans un environnement champêtre et calme, tout en étant proche du centre et des grands axes routiers. Portant le Lot 1 pour une contenance de 1326,65 m² et précadastrée sous le n° 52033A242LP0000. Située en zone d'habitat au plan de secteur et en zone de régime d'assainissement collectif - Station d'épuration collective existante (égouttage existant mais précaire pour la Rue Pré Barré). Plan d'assainissement par Sous bassin Hydrographique : prendre contact avec le bureau d'étude communal de Gerpinnes. Le projet est à soumettre au service urbanistique de la commune de Gerpinnes (071/50 90 30) - les clôtures ne font pas partie de la vente (parcelle située à côté du numéro 61)
  • Libre à partir du: A l'acte
  • Alexis BRAHY, Notaire
  • Personne de contact: Pauline VERCAMMEN
  • Tel: (071) 20.69.70
  • Email: pauline.vercammen.128702@belnot.be
  • Informations de visite
  • Renseignements en l'étude

Terrains

Rue du Pré Barré, 6280 Joncret

Faire offre à partir de
112 795 €

Image de présentation du bien n° 289825
Vente de gré à gré
  • Référence: 289825
  • Parcelle de terrain située en zone d'habitat dans un environnement champêtre et calme tout en étant proche du centre et des grands axes routiers. Portant le LOT 2, d'une contenance de 1.326,65 m² et pré cadastrée sous le numéro 52033 A 242 M P0000. Situé en zone d'habitat au plan de secteur et en zone de régime d'assainissement collectif : station d'épuration collective : égouttage existant mais précaire - Plan d'Assainissement par Sous bassin Hydrographique : prendre contact avec le bureau d'étude communal. Le projet est à soumettre au service urbanistique de la Commune de Gerpinnes (071/50 90 30) - les clôtures ne font pas partie de la vente (parcelle située à côté du numéro 61)
  • Libre à partir du: A l'acte
  • Alexis BRAHY, Notaire
  • Personne de contact: Nathalie RIMBOLD
  • Tel: (071) 20.69.70
  • Email: nathalie.rimbold.128702@belnot.be
  • Informations de visite
  • Zone d'habitat

Maisons

22 Abdijlaan, 8460 Oudenburg

Faire offre à partir de
405 000 €

Image de présentation du bien n° 290471
Vente publique en ligne
  • Référence: 290471
  • G score: B P score: B
  • Nombre de chambres: 4
  • Nombre de salles de bains: 1
  • Vente en cours
  • Date de début: 07/01/2026 11:00
  • Date de fin: 15/01/2026 11:00
  • Pas d'enchère: 1000 €
  • Revenu Cadastral: 850 €
  • Libre à partir du: A l'acte
  • Vermeersch en Kerckhove, geassocieerde notarissen
  • Personne de contact: Jana HENNEBERT
  • Tel: (059) 26.60.26
  • Email: jana.hennebert.127878@belnot.be
  • Informations de visite
  • elke zaterdag van 13u30-15u (met uitzondering van 6 december) tot en met zaterdag 3 januari 2026, of na telefonische afspraak met het notariskantoor. Op zondag 7 december zal het kunnen bezocht worden van 10u-11u30

Terrains

6590 Momignies

Faire offre à partir de
10 035 €

Image de présentation du bien n° 288890
Vente de gré à gré
  • Référence: 288890
  • Pâture sise au lieudit "Les Trieux" cadastrée section B n°0298CP0000 de 40a14ca RC 24,00€ libre d'occupation
  • Revenu Cadastral: 24 €
  • Libre à partir du: A l'acte
  • Vincent MAILLARD notaire et associés
  • Personne de contact: Bernadette PONCELET
  • Tel: (060) 21.11.16
  • Email: bernadette.poncelet.129569@belnot.be

Maisons

47 Rue du Moulin (GY), 6060 Gilly

Faire offre à partir de
69 000 €

Image de présentation du bien n° 290467
Vente publique en ligne
  • Référence: 290467
  • Cette maison 2 façades située dans un quartier calme de Gilly, offre un cadre de vie agréable et spacieux. Idéale pour un premier achat ou une petite famille, elle se compose comme suit : Grand salon lumineux, Cuisine, Salle de bain, 2 chambres spacieuses , Cave / espace de stockage Extérieur : Un jardin
  • Nombre de chambres: 2
  • Vente en cours
  • Date de début: 15/12/2025 14:00
  • Date de fin: 23/12/2025 14:00
  • Pas d'enchère: 1000 €
  • Revenu Cadastral: 386 €
  • Libre à partir du: A l'acte
  • Christophe HOSPEL - NOTAIRE
  • Personne de contact: Christophe HOSPEL
  • Tel: (071) 29.75.50
  • Email: immo@hospel-notaire.be
  • Informations de visite
  • Étude notariale Christophe HOSPEL – 071/29.75.50

Maisons

59 Rue du Patronage, 7700 Mouscron

Faire offre à partir de
165 000 €

Image de présentation du bien n° 290486
Vente de gré à gré
  • Référence: 290486
  • Maison d’habitation 3 chambres, comprenant : Un hall d’entrée, une pièce de vie avec espace rangement, un espace repas, une cuisine équipée (taque électrique, hotte, four, lave-vaisselle, frigo et lavabo), un WC séparé, une salle de bain avec baignoire-douche, rangements et meuble double vasque, espace buanderie. Terrasse et jardin avec chalet de jardin. Au 1e étage : une grande chambre sur l’avant et une chambre sur l’arrière, avec accès vers grenier. Au 2e étage : Grenier aménagé en chambre spacieuse et espace de rangement. Le bien est équipé d’un insert au gaz ; les châssis sont en double vitrage. Le bien est raccordé à l’eau, au gaz, à l’électricité, ainsi qu’à l’égouttage de type tout-à-l’égout. Installation électrique conforme. Réf étude : 2025-1136 Pour les visites - Contactez la vendeuse au 0472/58.74.90 Le bien est actuellement loué en gestion locative avec l'AIS. Le bail peut soit être renouvelé pour acquérir le bien comme investissement, soit être cassé pour y habiter suivant préavis de 6 mois. Prix indicatif : 165.000€
  • Nombre de chambres: 3
  • Superficie habitable: 138m2
  • Nombre de salles de bains: 1
  • Revenu Cadastral: 354 €
  • Libre à partir du: A définir
  • Mathilde VAN DEN BERGH, Notaire
  • Personne de contact: Corentin BARTHOLOMEUS
  • Tel: (056) 34.22.60
  • Email: corentin.bartholomeus.107946@belnot.be
  • Informations de visite
  • Contactez la vendeuse au 0472/58.74.90

Appartements

175 Rue du Trône, 1050 Ixelles

Faire offre à partir de
230 000 €

Image de présentation du bien n° 290468
Vente publique en ligne
  • Référence: 290468
  • rue du Trône 175 Lot 2 : Appartement « lot 2 » au 1e étage Compr. salle à manger, cuisine, hall, accès au jardin (à charge d’entretien), salle de bains avec wc, 1 chambre, balcon, dressing, cave 2. R.c.n.i. 737€. PEB E/236. Contr. électr. non conforme. Libre d’occupation. Zone d’habitation, ZICHEE, en liseré de noyau commercial, le long d’un espace structurant. Vis. mardis 2-9-16/12 de 17-19h et samedis 6-13-20/12 de 14-16h. Début enchères : lundi 15.12.25 à 14h - Fin enchères : mardi 23.12.25 à 14h - Mise à prix : 230.000€ - Enchère min. : 1.000€ - Sign. acte : lundi 05.01.26 à 16h - www.biddit.be - Réf. bien : 290468. Possibilité de vente en masse (lot de 4 appartements) voir réf. biddit 290472
  • Nombre de chambres: 1
  • Nombre de salles de bains: 1
  • Vente en cours
  • Date de début: 15/12/2025 14:00
  • Date de fin: 23/12/2025 14:00
  • Pas d'enchère: 1000 €
  • Revenu Cadastral: 737 €
  • Libre à partir du: A l'acte
  • INDEKEU - de CRAYENCOUR
  • Personne de contact: Géraldine VINOGRADOFF
  • Tel: (02) 647.32.80
  • Email: geraldine.vinogradoff@gerard-indekeu.be
  • Informations de visite
  • mardis 2-9-16/12 de 17-19h et samedis 6-13-20/12 de 14-16h.

Appartements

175 Rue du Trône, 1050 Ixelles

Faire offre à partir de
190 000 €

Image de présentation du bien n° 290469
Vente publique en ligne
  • Référence: 290469
  • rue du Trône 175 Lot 3 : Appartement « lot 3 » au 2e étage Compr. salle à manger, 1 chambre, salle de bains avec wc, salon, balcon, cuisine, cave 3. R.c.n.i. 686€. PEB G/364. Contr. électr. non conforme. Loué. Zone d’habitation, ZICHEE, en liseré de noyau commercial, le long d’un espace structurant. Vis. mardis 2-9-16/12 de 17-19h et samedis 6-13-20/12 de 14-16h. Début enchères : lundi 15.12.25 à 14h - Fin enchères : mardi 23.12.25 à 14h - Mise à prix : 190.000€ - Enchère min. : 1.000€ - Sign. acte : lundi 05.01.26 à 16h - www.biddit.be - Réf. bien : 290469. Possibilité de vente en masse (lot de 4 appartements) voir réf. biddit 290472
  • Nombre de chambres: 1
  • Nombre de salles de bains: 1
  • Vente en cours
  • Date de début: 15/12/2025 14:00
  • Date de fin: 23/12/2025 14:00
  • Pas d'enchère: 1000 €
  • Revenu Cadastral: 686 €
  • Libre à partir du: autre
  • INDEKEU - de CRAYENCOUR
  • Personne de contact: Géraldine VINOGRADOFF
  • Tel: (02) 647.32.80
  • Email: geraldine.vinogradoff@gerard-indekeu.be
  • Informations de visite
  • mardis 2-9-16/12 de 17-19h et samedis 6-13-20/12 de 14-16h.

Maisons

175 Rue du Trône, 1050 Ixelles

Faire offre à partir de
750 000 €

Image de présentation du bien n° 290472
Vente publique en ligne
  • Référence: 290472
  • rue du Trône 175 Immeuble de rapport comprenant 4 appartements soit : Lot 1 : Appartement « lot 1 » au sous-sol, rdc et à l’entresol Compr. hall, débarras, wc, salle de bains, cave 1, 1 chambre, séjour, salle à manger, cuisine, buanderie. R.c.n.i. 892€. PEB F/283. Contr. électr. non conforme. Lot 2 : Appartement « lot 2 » au 1e étage Compr. salle à manger, cuisine, hall, accès au jardin (à charge d’entretien), salle de bains avec wc, 1 chambre, balcon, dressing, cave 2. R.c.n.i. 737€. PEB E/236. Contr. électr. non conforme. Lot 3 : Appartement « lot 3 » au 2e étage Compr. salle à manger, 1 chambre, salle de bains avec wc, salon, balcon, cuisine, cave 3. R.c.n.i. 686€. PEB G/364. Contr. électr. non conforme. Lot 4 : Appartement « lot 4 » au 3e étage Compr. débarras à l’entresol, hall, séjour, terrasse, salle de bains avec wc, 1 chambre, cuisine, cave 4. R.c.n.i. 448€. PEB G/702. Contr. électr. non conforme. Libres d’occupation sauf le 3e étage loué. Zone d’habitation, ZICHEE, en liseré de noyau commercial, le long d’un espace structurant. Vis. mardis 2-9-16/12 de 17-19h et samedis 6-13-20/12 de 14-16h. Début enchères : lundi 15.12.25 à 14h - Fin enchères : mardi 23.12.25 à 14h - Mise à prix : 750.000€ - Enchère min. : 1.000€ - Sign. acte : lundi 05.01.26 à 16h - www.biddit.be - Réf. bien : 290472. Possibilité de vente par lot voir réf. biddit : 297466 (lot 1) - 290468 (lot 2) - 290469 (lot 3) - 290470 (lot 4)
  • Nombre de chambres: 4
  • Nombre de salles de bains: 4
  • Vente en cours
  • Date de début: 15/12/2025 14:00
  • Date de fin: 23/12/2025 14:00
  • Pas d'enchère: 1000 €
  • Revenu Cadastral: 2763 €
  • Libre à partir du: autre
  • INDEKEU - de CRAYENCOUR
  • Personne de contact: Géraldine VINOGRADOFF
  • Tel: (02) 647.32.80
  • Email: geraldine.vinogradoff@gerard-indekeu.be
  • Informations de visite
  • mardis 2-9-16/12 de 17-19h et samedis 6-13-20/12 de 14-16h.

Maisons

7 Place de la Station, 5190 Jemeppe-sur-Sambre

Faire offre à partir de
190 000 €

Image de présentation du bien n° 251947
Vente de gré à gré
  • Référence: 251947
  • Maison (156 m²) entièrement rénovée avec jardin+remise (1a 54 ca) et 16 panneaux photovoltaiques comprenant : 2 caves + citerne à mazout 2500 l au rez : salon, sàm, cuisine full équipée (sauf lave-vaisselle), buanderie au 1er étage : 2 chambres et sdb au 2e étage : 2 chambres et salle d'eau pompe à chaleur (chaud+froid), possibilité chcmazout (pas de chaudière), châssis DV PVC (neuf), toiture en tuiles (neuve), façade refaite, alarme, égoûts, PEB B170, électricité non conforme (plans manquants), nombreuses possibilités de parking, proche gare-écoles-commerces, possibilité droits réduits sous réserve de révision du RC par l’administration. Faire offre àpd 190.000 €, visites s'adresser en l'étude.
  • Nombre de chambres: 4
  • Revenu Cadastral: 676 €
  • Libre à partir du: A l'acte
  • Louis RAVET, société notariale
  • Personne de contact: Louis RAVET
  • Tel: (071) 78.50.08
  • Email: louis.ravet@belnot.be

Maisons

127 Chaussée Brunehault, 7141 Carnières

Faire offre à partir de
140 000 €

Image de présentation du bien n° 290456
Vente de gré à gré
  • Référence: 290456
  • Belle maison à rafraîchir comprenant : - REZ: Hall d'entrée, séjour, salle à manger, cuisine donnant accès à la cour et au jardin. - ETAGE: Hall de nuit desservant 3 chambres et une salle de bains. - Grenier aménageable. Caves. Jardin. Possibilité de parking devant la maison. RC : 409 euros.
  • Nombre de chambres: 3
  • Superficie habitable: 116m2
  • Nombre de salles de bains: 1
  • Revenu Cadastral: 140000 €
  • Libre à partir du: A l'acte
  • NOTAREUL
  • Personne de contact: Céline PILLOUD
  • Tel: (064) 44.23.06
  • Email: celine.pilloud.130682@belnot.be
  • Informations de visite
  • Clé à retirer en l'Etude sur rendez-vous préalable

Maisons

10 Lombardsijdelaan, 8434 Westende

Faire offre à partir de
395 000 €

Image de présentation du bien n° 290459
Vente de gré à gré
  • Référence: 290459
  • Cette maison prête à emménager offre un confort immédiat grâce à sa finition moderne, sa luminosité optimale et son agencement pratique. Le rez-de-chaussée comprend un séjour ouvert avec salle à manger, une cuisine entièrement équipée avec vue sur le jardin, une buanderie ainsi qu’un WC séparé/salle de bain supplémentaire. Au premier étage, vous trouverez deux grandes chambres et une salle de bain rénovée avec douche à l’italienne. Le dernier étage, accessible par un escalier fixe, a été aménagé en troisième chambre complète ou en espace polyvalent. À l’arrière, vous profitez d’un jardin ensoleillé avec terrasse. La maison est située dans un environnement calme tout en étant proche des commerces, des écoles et des transports en commun. Une habitation idéale pour ceux qui recherchent une maison de qualité, entièrement prête à vivre.
  • Nombre de chambres: 3
  • Superficie habitable: 213m2
  • Nombre de salles de bains: 2
  • Revenu Cadastral: 681 €
  • Libre à partir du: A l'acte
  • VANHIMBEECK & SCHOCKAERT, geassocieerde notarissen
  • Personne de contact: Anse DE SLOOVER
  • Tel: (059) 30.04.32
  • Email: anse@vsnotarissen.be

Terrains

Rue du Warchet, 6280 Joncret

Faire offre à partir de
97 410 €

Image de présentation du bien n° 289905
Vente de gré à gré
  • Référence: 289905
  • Parcelle de terrain située en zone d'habitat dans un environnement champêtre et calme tout en étant proche du centre et des grands axes routiers. Portant le LOT 1, d'une contenance de 1.146,13 m² , précadastration en cours Situé en zone d'habitat au plan de secteur et en zone de régime d'assainissement collectif : station d'épuration collective : égouttage inexistant - Plan d'Assainissement par Sous bassin Hydrographique : prendre contact avec le bureau d'étude communal. Le projet est à soumettre au service urbanistique de la Commune de Gerpinnes (071/50 90 30) - les clôtures ne font pas partie de la vente (parcelle située à côté du numéro 28)
  • Libre à partir du: A l'acte
  • Alexis BRAHY, Notaire
  • Personne de contact: Pauline VERCAMMEN
  • Tel: (071) 20.69.70
  • Email: pauline.vercammen.128702@belnot.be
  • Informations de visite
  • Renseignements en l'étude

Appartements

234 Rue de Birmingham, 1070 Anderlecht

Faire offre à partir de
180 000 €

Image de présentation du bien n° 290451
Vente publique en ligne
  • Référence: 290451
  • Situé au deuxième étage de la Résidence Birmingham à Anderlecht, cet appartement d'environ 60,70 m² séduit par sa luminosité et sa disposition agréable. Il se compose d’un living chaleureux avec cuisine américaine, d’un hall avec penderie, d’une chambre confortable, d’une salle de bains, d’un WC séparé ainsi que d’une buanderie. Une cave privative complète l’ensemble. Actuellement loué, il est important de noter qu’aucune copie du bail en cours n’a pu être retrouvée. Le bien présente un PEB de classe C et l'installation électrique est non conforme. La mise à prix est fixée à 180.000 €. Les enchères se dérouleront du 5 janvier 2026 à 11h au 13 janvier 2026 à 11h, avec signature du procès-verbal d’adjudication le 16 janvier 2026 en l'étude. Aucune condition suspensive de financement ne sera acceptée. Les visites sont organisées exclusivement sur rendez-vous au 02/390.02.18.
  • Nombre de chambres: 1
  • Vente en cours
  • Date de début: 05/01/2026 11:00
  • Date de fin: 13/01/2026 11:00
  • Pas d'enchère: 1000 €
  • Revenu Cadastral: 857 €
  • Libre à partir du: autre
  • ETIENNE DERYCKE ET BENEDICTE VANDENBORRE, NOTAIRES ASSOCIES
  • Personne de contact: Aurore SARLET
  • Tel: (02) 390.02.18
  • Email: aurore.sarlet.222009@belnot.be
  • Informations de visite
  • Uniquement sur rendez-vous au 02/390.02.18.

Terrains

Vieux Chemin du Poète, 1301 Bierges

Faire offre à partir de
70 000 €

Image de présentation du bien n° 290463
Vente publique en ligne
  • Référence: 290463
  • Joli terrain situé à Bierges, dans un environnement calme et verdoyant, à proximité des commodités et axes routiers principaux. Situé au lieu-dit "Rive gauche", il présence une superficie de 5 ares 3. N'hésitez pas à prendre contact pour plus de renseignements!
  • Vente en cours
  • Date de début: 07/01/2026 15:00
  • Date de fin: 15/01/2026 15:00
  • Pas d'enchère: 1000 €
  • Revenu Cadastral: 2 €
  • Libre à partir du: A l'acte
  • Wathelet - De Spiegeleire, notaires associés
  • Personne de contact: Philippine WATHELET
  • Tel: (010) 22.21.55
  • Email: philippine.wathelet.132282@belnot.be
  • Informations de visite
  • Le terrain peut librement être visité jusqu'au jeudi 15 janvier.

Terrains

Vent, 9968 Bassevelde

Faire offre à partir de
58 000 €

Image de présentation du bien n° 290464
Vente publique en ligne
  • Référence: 290464
  • Terrains agricoles bien situés. P score: A
  • Vente en cours
  • Date de début: 05/01/2026 14:00
  • Date de fin: 13/01/2026 14:00
  • Pas d'enchère: 1000 €
  • Libre à partir du: autre
  • NOTARISSEN Els DE BLOCK en Tim VANDERSTEEN
  • Personne de contact: Anna DE WINTER
  • Tel: (03) 711.08.27
  • Email: anna@notarissentemse.be
  • Informations de visite
  • Les candidats acheteurs peuvent visiter le bien eux-mêmes, étant donné qu'il s'agit de parcelles de terres agricoles/prairies.

Terrains

43+ Beekstraat, 9968 Bassevelde

Faire offre à partir de
67 000 €

Image de présentation du bien n° 290465
Vente publique en ligne
  • Référence: 290465
  • Terrains agricoles bien situés. P score: D
  • Vente en cours
  • Date de début: 05/01/2026 15:00
  • Date de fin: 13/01/2026 15:00
  • Pas d'enchère: 1000 €
  • Libre à partir du: autre
  • NOTARISSEN Els DE BLOCK en Tim VANDERSTEEN
  • Personne de contact: Anna DE WINTER
  • Tel: (03) 711.08.27
  • Email: anna@notarissentemse.be
  • Informations de visite
  • Les candidats acheteurs peuvent visiter le bien eux-mêmes, étant donné qu'il s'agit de parcelles de terres agricoles/prairies.

Maisons

437 Rue de Gemine, 5300 Landenne

Faire offre à partir de
200 000 €

Image de présentation du bien n° 290099
Vente de gré à gré
  • Référence: 290099
  • Maison 4 façades avec jardin. Superficie du terrain : 12a 99ca - Revenu cadastral : 678,00 € Superficie habitable : 240m² Composition : Sous-sol : 2 caves Rez-de-chaussée : Hall , Cuisine, Salon, Salle à manger, Hall arrière, Buanderie avec Wc. 1er ETAGE : Hall, 3 Chambres , Bureau, Salle de bain avec Wc. Grenier aménageable (38.22m²) Garage de (43.22m²) Informations pratiques : Chauffage central au mazout, Châssis en bois simple vitrage, Toit : Ardoises artificielles. Etat général : à rénover PEB G Prix : 200.000,00€ sauf offre supérieure Visites sur rendez-vous. Pour tout renseignement, téléphoner à l'étude au 081/22.01.57.
  • Nombre de chambres: 3
  • Superficie habitable: 240m2
  • Nombre de salles de bains: 1
  • Revenu Cadastral: 678 €
  • Libre à partir du: A l'acte
  • Damien LE CLERCQ, Société Notariale
  • Personne de contact: Marie-Laure GODFROID
  • Tel: (081) 22.01.57
  • Email: marielaure.godfroid.133843@belnot.be
  • Informations de visite
  • Visites sur rendez-vous avec Madame GODROID Marie-Laure au 081/22.01.57

Maisons

6 Tweekapellenstraat, 9050 Gentbrugge

Faire offre à partir de
210 000 €

Image de présentation du bien n° 290475
Vente publique en ligne
  • Référence: 290475
  • Une maison à rénover située au 6, Tweekapellenstraat, à Gentbrugge. Située près de la place de l'église de Gentbrugge, Située à proximité des commerces, des écoles, des transports en commun et d'un centre d'athlétisme/padel. À 5 minutes à pied du Gentbrugse Meersen. G score: D P score: D
  • Nombre de chambres: 3
  • Superficie habitable: 128m2
  • Nombre de salles de bains: 1
  • Vente en cours
  • Date de début: 10/02/2026 15:00
  • Date de fin: 18/02/2026 15:00
  • Pas d'enchère: 1000 €
  • Revenu Cadastral: 347 €
  • Libre à partir du: A l'acte
  • NOTARIS MAARTEN DUYTSCHAEVER
  • Personne de contact: Clara VAN OPSTAL
  • Tel: (09) 230.00.68
  • Email: info@notarisduytschaever.be
  • Informations de visite
  • Visite sur rendez-vous. Du 7 janvier 2026 au 14 février 2026, tous les mercredis de 14h00 à 16h00 et tous les samedis de 10h00 à 12h00.

Maisons

32 Les Arsillières, 6590 Momignies

Faire offre à partir de
200 000 €

Image de présentation du bien n° 290473
Vente de gré à gré
  • Référence: 290473
  • Fermette dans un cadre verdoyant située dans le centre de Momignies, rue Les Arsillières 32, cadastrée section B numéro 0615NP0000 pour une contenance de 18a 28ca - revenu cadastral : 645,00€ comprenant : salle à manger avec feu au bois(fonctionnel), cuisine semi-équipée, salon avec feu ouvert (fonctionnel), 1 pièce, 1 cave voutée, 1 salle de bains avec douche, wc et lavabo, petit hall et 2 chambres dont une avec bureau, ancienne étable (chaufferie) avec chaudière neuve (2025) chauffage central / vieille porte en chêne et pin- châssis bois simple vitrage, grand grenier, 1 puit avec pompe hydrophore. Très beau et grand verger avec petite serre pour jardinage avec garage et annexe.
  • Nombre de chambres: 2
  • Nombre de salles de bains: 1
  • Revenu Cadastral: 645 €
  • Libre à partir du: A l'acte
  • Vincent MAILLARD notaire et associés
  • Personne de contact: Sophie TOURNEUR
  • Tel: (060) 21.11.16
  • Email: sophie.tourneur.129569@belnot.be

Maisons

9 Voie de la Liberté, 6717 Attert

Faire offre à partir de
250 000 €

Image de présentation du bien n° 290455
Vente publique en ligne
  • Référence: 290455
  • LES ENCHÈRES NE POURRONT ÊTRE ÉMISES QU’EXCLUSIVEMENT ONLINE PAR LE BIAIS DU SITE INTERNET SÉCURISÉ WWW.BIDDIT.BE Une maison d’habitation sise à Attert, voie de la Liberté 9 LA MISE À PRIX POUR CE BIEN EST DE 250.000€ L’ENCHÈRE MINIMUM POUR CE BIEN S’ÉLÈVE À 1.000 € SOUS-SOL / GARAGE : Caves composées d’un garage – hall – 2 pièces de rangement - chaufferie - avec 2 citernes à mazout de 2 x 750 litres - accès au jardin REZ-DE-CHAUSSEE : Hall – WC - cuisine équipée – salle de bain – salon/salle à manger– une chambre – 2 vérandas 1ER ETAGE : Deux chambres et deux greniers EXTERIEUR : Beau jardin plat avec grand étang et deux abris de jardin - Orienté Ouest - Petit jardinet avant avec Haie pour l’intimité + encore espace devant la haie - Allée de garage menant au garage sis à l’arrière du sous-sol/rez-de-jardin CONFORT :PEB E – Pv installation électrique non conforme – châssis Bois double vitrages récents – Bien relié aux égouts à l’exception du WC– chauffage mazout (deux cuves de 750l). CONTENANCE : 16a 25ca selon la matrice cadastrale R.C. : 765€ selon la matrice cadastrale JOUISSANCE :Libre à l’acte CONSTRUCTION : 1973 ___________________________________________________________________________________________ LE BIEN POURRA ÊTRE VISITÉ PAR LES CANDIDATS-ACQUÉREURS SUR PRISE DE RDV AVEC L’ETUDE. LE JOUR ET L’HEURE DU DÉBUT DES ENCHÈRES EST LE 12/01/26 À 14H – LE JOUR ET L’HEURE DE CLOTURE DES ENCHERES EST LE 20/01/26 À 14H. SOUS RÉSERVE D’ÉVENTUELLES PROLONGATIONS, CONFORMÉMENT À L’ARTICLE 9 DES CONDITIONS GÉNÉRALES, EN RAISON DU SABLIER ET/OU D’UNE PANNE DE LA PLATEFORME D’ENCHÈRES. CAHIER DES CHARGES ET RENSEIGNEMENTS EN L’ÉTUDE LE NOTAIRE ATTIRE L’ATTENTION DES ÉVENTUELS ADJUDICATAIRES QU’AUCUN PAIEMENT EN ESPÈCES NE SERA ACCEPTÉ.
  • Nombre de chambres: 3
  • Nombre de salles de bains: 1
  • Vente en cours
  • Date de début: 12/01/2026 14:00
  • Date de fin: 20/01/2026 14:00
  • Pas d'enchère: 1000 €
  • Revenu Cadastral: 765 €
  • Libre à partir du: A l'acte
  • BOSSELER Philippe - société notariale
  • Personne de contact: Miguel DEHASSE
  • Tel: (063) 22.02.28
  • Email: miguel.dehasse.133942@belnot.be

Maisons

58 Rue du Bois, 6464 Bourlers

Faire offre à partir de
125 000 €

Image de présentation du bien n° 290478
Vente de gré à gré
  • Référence: 290478
  • Maison d'habitation de type fermette offrant des volumes ouverts et un bon agencement des pièces, sise rue des Bois 58 cadastrée section B n°0255/02KP0000 de 18a 87ca - rc : 252,00€ comprenant sous sols : cave voûtée sous la partie salon, à usage technique- cave de stockage - rez : hall, salle à manger ouvert sur cuisine non équipée avec vue sur jardin, pièce d'eau à renover, espace salon avec une entrée distincte - une piève pouvant servir de bureau ou de chambre. Garage et un double garage communicant avec l'habitation - étage : vaste plateau de 45m² en gros oeuvre fermé, à aménager en chambres.
  • Nombre de chambres: 1
  • Revenu Cadastral: 252 €
  • Libre à partir du: A l'acte
  • Vincent MAILLARD notaire et associés
  • Personne de contact: Sophie TOURNEUR
  • Tel: (060) 21.11.16
  • Email: sophie.tourneur.129569@belnot.be
  • Informations de visite
  • sur rdv à prendre au 0472/63.69.56

Terrains

34-36+ Rue Ernest Milcamps, 7100 La Louvière

Faire offre à partir de
65 000 €

Image de présentation du bien n° 290482
Vente de gré à gré
  • Référence: 290482
  • CONTENANCE : 4a 30ca OCCUPATION : garages loués. REVENU CADASTRAL : 181 euros VISITES : sur rendez-vous. VENTE AU PLUS OFFRANT : Faire offre à partir de 65.000 euros.
  • Revenu Cadastral: 181 €
  • Libre à partir du: autre
  • Jules Bastin, société notariale
  • Personne de contact: Melissa FISCHETTI
  • Tel: (064) 22.16.32
  • Email: melissa.fischetti.173245@belnot.be
  • Informations de visite
  • Sur rendez-vous, s'adresser en l'Etude au 064/22 16 32

Appartements

8 Rue de Beyseghem, 1120 Bruxelles

Faire offre à partir de
220 000 €

Image de présentation du bien n° 285165
Vente de gré à gré
  • Référence: 285165
  • Un appartement 1 chambre au 2e étage avec cave et grenier Dans un immeuble calme, rue de Beyseghem 8. Comprenant : salle à manger, cuisine, 1 chambre, wc, palier, petite cave au sous-sol, ainsi qu’un grenier dans les combles (accès au toit à garantir). R.c.n.i. 542€. Loué 932,43€/m. Zone d’habitation à prédominance résidentielle. PEB G/765. Contr. électr. non conforme. Visites sur rendez-vous tél. n° 02/663.26.36. FAIRE OFFRE APD 220.000€ - www.biddit.be - Réf. bien : 285165. https://www.biddit.be/fr/catalog/detail/285165
  • Nombre de chambres: 1
  • Revenu Cadastral: 542 €
  • Libre à partir du: autre
  • Notilius, Notaires Associés
  • Personne de contact: Catarina DA SILVA DE SOUSA FERREIRA
  • Tel: (02) 663.26.36
  • Email: cf@notilius.be
  • Informations de visite
  • sur rendez-vous tél. n° 02/663.26.36.

Appartements

175 Rue du Trône, 1050 Ixelles

Faire offre à partir de
200 000 €

Image de présentation du bien n° 290466
Vente publique en ligne
  • Référence: 290466
  • rue du Trône 175 Lot 1 : Appartement « lot 1 » au sous-sol, rdc et à l’entresol Compr. hall, débarras, wc, salle de bains, cave 1, 1 chambre, séjour, salle à manger, cuisine, buanderie. R.c.n.i. 892€. PEB F/283. Contr. électr. non conforme. Libre d’occupation. Zone d’habitation, ZICHEE, en liseré de noyau commercial, le long d’un espace structurant. Vis. mardis 2-9-16/12 de 17-19h et samedis 6-13-20/12 de 14-16h. Début enchères : lundi 15.12.25 à 14h - Fin enchères : mardi 23.12.25 à 14h - Mise à prix : 200.000€ - Enchère min. : 1.000€ - Sign. acte : lundi 05.01.26 à 16h - www.biddit.be - Réf. bien : 297466. Possibilité de vente en masse (lot de 4 appartements) voir réf. biddit 290472
  • Nombre de chambres: 1
  • Nombre de salles de bains: 1
  • Vente en cours
  • Date de début: 15/12/2025 14:00
  • Date de fin: 23/12/2025 14:00
  • Pas d'enchère: 1000 €
  • Revenu Cadastral: 892 €
  • Libre à partir du: A l'acte
  • INDEKEU - de CRAYENCOUR
  • Personne de contact: Géraldine VINOGRADOFF
  • Tel: (02) 647.32.80
  • Email: geraldine.vinogradoff@gerard-indekeu.be
  • Informations de visite
  • mardis 2-9-16/12 de 17-19h et samedis 6-13-20/12 de 14-16h.

Appartements

175 Rue du Trône, 1050 Ixelles

Faire offre à partir de
180 000 €

Image de présentation du bien n° 290470
Vente publique en ligne
  • Référence: 290470
  • rue du Trône 175 Lot 4 : Appartement « lot 4 » au 3e étage Compr. débarras à l’entresol, hall, séjour, terrasse, salle de bains avec wc, 1 chambre, cuisine, cave 4. R.c.n.i. 448€. PEB G/702. Contr. électr. non conforme. Libre d’occupation. Zone d’habitation, ZICHEE, en liseré de noyau commercial, le long d’un espace structurant. Vis. mardis 2-9-16/12 de 17-19h et samedis 6-13-20/12 de 14-16h. Début enchères : lundi 15.12.25 à 14h - Fin enchères : mardi 23.12.25 à 14h - Mise à prix : 180.000€ - Enchère min. : 1.000€ - Sign. acte : lundi 05.01.26 à 16h - www.biddit.be - Réf. bien : 290470. Possibilité de vente en masse (lot de 4 appartements) voir réf. biddit 290472
  • Nombre de chambres: 1
  • Nombre de salles de bains: 1
  • Vente en cours
  • Date de début: 15/12/2025 14:00
  • Date de fin: 23/12/2025 14:00
  • Pas d'enchère: 1000 €
  • Revenu Cadastral: 448 €
  • Libre à partir du: A l'acte
  • INDEKEU - de CRAYENCOUR
  • Personne de contact: Géraldine VINOGRADOFF
  • Tel: (02) 647.32.80
  • Email: geraldine.vinogradoff@gerard-indekeu.be
  • Informations de visite
  • mardis 2-9-16/12 de 17-19h et samedis 6-13-20/12 de 14-16h.

Maisons

30 Chemin de Soignies, 7940 Brugelette

Faire offre à partir de
75 000 €

Image de présentation du bien n° 254936
Vente de gré à gré
  • Référence: 254936
  • Vente sous réserve d'autorisation judiciaire - Maison à rénover entièrement, sur et avec 5 ares 60 ca, comprenant : caves (sous eau), living, cuisine semi-équipée, salle de douche, buanderie, chambre ou bureau. Etage : 3 chambres. Séparés de la maison : remise, lavatory et jardin de 4 ares 30 ca, accessible par une servitude (voir plan) - pas de système de chauffage (pas de PEB), simple vitrage partout.
  • Nombre de chambres: 3
  • Revenu Cadastral: 357 €
  • Libre à partir du: A l'acte
  • DEGRÈVE Vinciane
  • Personne de contact: Isabelle MOREAU
  • Tel: (068) 65.71.27
  • Email: isabelle.moreau.201103@belnot.be
  • Informations de visite
  • S'adresser en l'Etude pour les clés

Appartements

295 Rue de Forrière, 6180 Courcelles

Faire offre à partir de
85 000 €

Image de présentation du bien n° 277725
Vente de gré à gré
  • Référence: 277725
  • Appartement (Lot 6 et partie du lot 5) comprenant: Rez: Grand garage, jardin + abris Etage 1: Hall, wc, cuisine, séjour, salle de bain, 2 chambres Etage 2: Grand grenier
  • Nombre de chambres: 2
  • Libre à partir du: A l'acte
  • LEBRUN Olivier
  • Personne de contact: Laurence SCORNAUX
  • Tel: (071) 45.56.47
  • Email: laurence.scornaux.111690@belnot.be
  • Informations de visite
  • RDV à prendre avec l'étude du Notaire Olivier LEBRUN (071/45.56.47)

Maisons

293 Rue de Forrière, 6180 Courcelles

Faire offre à partir de
55 000 €

Image de présentation du bien n° 277721
Vente de gré à gré
  • Référence: 277721
  • Maison d'habitation à rénover (lot 4 et rez lot 5) comprenant: Rez: garage, salon, salle à manger, cuisine, chaufferie, salle de bain Etage: 2 chambres Grenier aménageable cave
  • Nombre de chambres: 2
  • Libre à partir du: A l'acte
  • LEBRUN Olivier
  • Personne de contact: Laurence SCORNAUX
  • Tel: (071) 45.56.47
  • Email: laurence.scornaux.111690@belnot.be
  • Informations de visite
  • RDV à prendre avec l'étude du Notaire Olivier LEBRUN (071/45.56.47)

Terrains

Peperstraat, 2400 Mol

Faire offre à partir de
18 000 €

Image de présentation du bien n° 290399
Vente publique en ligne
  • Référence: 290399
  • terrain à vendre P score: D
  • Vente en cours
  • Date de début: 05/01/2026 13:00
  • Date de fin: 13/01/2026 13:00
  • Pas d'enchère: 1000 €
  • Libre à partir du: A l'acte
  • Notaris Bart Laureys
  • Personne de contact: Nele Peetermans
  • Tel: (014) 31.44.01
  • Email: nele@notarislaureys.be
  • Informations de visite
  • libre d'accès

Terrains

15 Kapellekens, 2400 Mol

Faire offre à partir de
5 600 €

Image de présentation du bien n° 290400
Vente publique en ligne
  • Référence: 290400
  • parcelle de terrain P score: B
  • Vente en cours
  • Date de début: 05/01/2026 13:00
  • Date de fin: 13/01/2026 13:00
  • Pas d'enchère: 1000 €
  • Libre à partir du: A l'acte
  • Notaris Bart Laureys
  • Personne de contact: Nele Peetermans
  • Tel: (014) 31.44.01
  • Email: nele@notarislaureys.be
  • Informations de visite
  • Visite libre

Maisons

672 Gistelse Steenweg, 8200 Sint-Andries

Faire offre à partir de
490 000 €

Image de présentation du bien n° 290403
Vente publique en ligne
  • Référence: 290403
  • G score: C P score: C
  • Nombre de chambres: 3
  • Nombre de salles de bains: 1
  • Vente en cours
  • Date de début: 05/01/2026 13:00
  • Date de fin: 13/01/2026 13:00
  • Pas d'enchère: 5000 €
  • Revenu Cadastral: 2714 €
  • Libre à partir du: autre
  • VVD NOTARISVENNOOTSCHAP
  • Personne de contact: Anouchka DEMETS
  • Tel: (050) 40.40.40
  • Email: anouchka.demets.217345@belnot.be
  • Informations de visite
  • Bezoek mogelijk na contact met notariskantoor VAN DAMME, VAN DAMME, DELAERE & WILLEMS, te Brugge (Sint-Andries), via één van de volgende kanalen: telefonisch op het nummer 050/40.40.40 of via mail naar info@vvdnotarissen.be

Terrains

Holrakkerstraat, 3510 Spalbeek

Faire offre à partir de
160 000 €

Image de présentation du bien n° 290409
Vente de gré à gré
  • Référence: 290409
  • P score: B
  • Libre à partir du: A l'acte
  • WILSENS, CLEEREN, VERDUYN & D´JOOS
  • Personne de contact: Kantoor Not. Wilsens, Cleeren, Verduyn & D'Joos
  • Tel: (012) 74.10.83
  • Email: info@notariaatwcvd.be

Terrains

Holrakkerstraat, 3510 Spalbeek

Faire offre à partir de
160 000 €

Image de présentation du bien n° 290410
Vente de gré à gré
  • Référence: 290410
  • P score: B
  • Libre à partir du: A l'acte
  • WILSENS, CLEEREN, VERDUYN & D´JOOS
  • Personne de contact: Kantoor Not. Wilsens, Cleeren, Verduyn & D'Joos
  • Tel: (012) 74.10.83
  • Email: info@notariaatwcvd.be

Maisons

50 Rue du Broctia, 5020 Malonne

Faire offre à partir de
310 000 €

Image de présentation du bien n° 290398
Vente de gré à gré
  • Référence: 290398
  • Jolie maison idéalement située, à rénover partiellement, implantée sur un terrain de 30 ares dans un environnement calme et verdoyant. Le rez-de-chaussée se compose d’un hall d’entrée desservant, sur la gauche, une spacieuse pièce de vie équipée d’un poêle à bois, ainsi qu’une cuisine semi-équipée. Un couloir mène ensuite à un bureau pouvant être aménagé en chambre, une salle de bain et un WC séparé. À l’étage, vous trouverez un vaste hall de nuit desservant deux chambres, avec la possibilité d’en créer une troisième. Le sous-sol comprend un garage ainsi qu’une cave occupant toute la superficie de la maison. Les châssis sont en double vitrage. Le bien est équipé d’un chauffage central au mazout et d’un poêle à bois dans la pièce de vie.
  • Nombre de chambres: 3
  • Superficie habitable: 172m2
  • Nombre de salles de bains: 1
  • Revenu Cadastral: 1172 €
  • Libre à partir du: A l'acte
  • LP & Co, Notaires associés
  • Personne de contact: Eric JOISSAINS
  • Tel: (071) 77.19.74
  • Email: eric.joissains.460066@belnot.be

Maisons

17 Avenue du Champ de Bataille, 7012 Jemappes

Faire offre à partir de
78 500 €

Image de présentation du bien n° 290407
Vente de gré à gré
  • Référence: 290407
  • Maison à rénover entièrement, offrant un fort potentiel après travaux. • Sous-sol : une cave. • Rez-de-chaussée: un hall d’entrée, une pièce à l’avant cloisonnée, une buanderie, wc, salle de bains, une pièce ouverte pouvant servir de salle à manger et salon, ainsi qu’une cuisine. • Étage : deux chambres. • Combles : grenier accessible par une chambre Un garage situé avenue du Champ de Bataille 29+ Divers: électricité à terminer, chauffage mazout -3.000l, châssis double vitrage ancien, toiture à rénover Prix: Faire offre à partir de 70.000,00 € maison Faire offre à partir de 8.500,00 € garage Contenance maison: 1 are 10 centiares 10 centiares RC: 594,00 € Contenance garage: 14 centiares RC: 57,00 €
  • Nombre de chambres: 2
  • Revenu Cadastral: 594 €
  • Libre à partir du: A l'acte
  • Antoine HAMAIDE et Elise CORNEZ, Notaires associés
  • Personne de contact: Gloria TESO
  • Tel: (065) 35.13.64
  • Email: gloria.teso.131532@belnot.be

Maisons

14 Rue du Château d'Eau, 5150 Floreffe

Faire offre à partir de
420 000 €

Image de présentation du bien n° 290272
Vente de gré à gré
  • Référence: 290272
  • Très belle et luxueuse villa située dans un endroit calme, offrant de beaux espaces, une luminosité exceptionnelle et des aménagements complets. Il s’agit d’une maison récente ( 2002 ), parfaitement entretenue, idéale pour un emménagement immédiat. Composition Rez-de-chaussée : Hall d’entrée WC séparé Bureau Spacieux living comprenant un espace salle à manger et un salon Cuisine ouverte entièrement équipée Buanderie Chaufferie Grand garage deux portes offrant un vaste espace de stockage Étage : Hall de nuit en mezzanine Trois chambres dont : Une suite avec salle de bains (bain + douche) et dressing Une chambre disposant d’un WC et offrant la possibilité d’aménager une douche supplémentaire Extérieur : Magnifique jardin de 30 ares, parfaitement entretenu Espace de stationnement à l’avant de la maison Équipements Chauffage : mazout Châssis / vitrages : bois double vitrage Toiture : tuiles Cuisine : meubles de rangement, four, frigo, lave-vaisselle, plaques de cuisson, hotte, évier Salle de bains : bain + douche Divers : parlophone avec caméra, système d’alarme sur châssis Éléments d’appréciation: Maison très bien entretenue Emménagement immédiat possible Beaux volumes Grand jardin Maison bien équipée Vaste garage 11x7,5 M avec étage pour espace de stockage
  • Nombre de chambres: 3
  • Superficie habitable: 240m2
  • Nombre de salles de bains: 1
  • Revenu Cadastral: 1511 €
  • Libre à partir du: A l'acte
  • LP & Co, Notaires associés
  • Personne de contact: Eric JOISSAINS
  • Tel: (071) 77.19.74
  • Email: eric.joissains.460066@belnot.be

Maisons

72 Rue de Liéry, 4621 Retinne

Faire offre à partir de
250 000 €

Image de présentation du bien n° 290411
Vente de gré à gré
  • Référence: 290411
  • OPTION - OPTION - OPTION - Maison d'habitation unifamiliale semi mitoyenne avec jardin à front de rue et double garage sise à RETINNE, rue de Liéry 72. Prix souhaité : 250.000 €. Ce bien se compose comme suit : au sous-sol : cave; au rez-de-chaussée : ancien garage transformé en buanderie, SDD conçue pour personne à mobilité réduite (douche à l'italienne, un wc, un lavabo), cuisine équipée, salon-salle à manger, hall avec monte escaliers; au 1er étage : 3 chambres en enfilade, SDD (douche, un lavabo et un wc); au second étage : grenier aménageable non isolé. Châssis DV en PVC blanc avec volets au rez-de-chaussée. Chauffage central au gaz, double garage en enfilade. Certificat PEB F - n° 20250512006464 établi le 12.05.2025. Installation électrique non conforme. Superficie totale : 325 m² - RC : 494 €. Bien en bon état à remettre au goût du jour. Proche de toutes commodités.
  • Nombre de chambres: 3
  • Superficie habitable: 149m2
  • Revenu Cadastral: 494 €
  • Libre à partir du: A l'acte
  • Hervé RANDAXHE, notaire
  • Personne de contact: Elisabeth POUSSET
  • Tel: (04) 358.30.20
  • Email: elisabeth.pousset.132621@belnot.be
  • Informations de visite
  • Renseignements en l'Etude

Maisons

49 Rabauwakkers, 2360 Oud-Turnhout

Faire offre à partir de
399 000 €

Image de présentation du bien n° 290421
Vente de gré à gré
  • Référence: 290421
  • G score: A P score: A
  • Nombre de chambres: 3
  • Superficie habitable: 147m2
  • Nombre de salles de bains: 1
  • Revenu Cadastral: 1056 €
  • Libre à partir du: A l'acte
  • NOTURA - Segers, Eyskens en Luyten
  • Personne de contact: Annelies VAN BEURDEN
  • Tel: (014) 65.92.45
  • Email: annelies.vanbeurden@notura.be

Terrains

4 Draverslaan, 2980 Zoersel

Faire offre à partir de
280 000 €

Image de présentation du bien n° 290423
Vente de gré à gré
  • Référence: 290423
  • P score: A
  • Libre à partir du: A l'acte
  • PHILIPPE VERLINDEN, NOTARIS
  • Personne de contact: Jorga OOMEN
  • Tel: (03) 340.21.94
  • Email: jo@notariaatrijkevorsel.be
  • Informations de visite
  • vrij te bezichtigen.

Terrains

Rue de la Saulx, 7600 Péruwelz

Faire offre à partir de
75 000 €

Image de présentation du bien n° 290436
Vente de gré à gré
  • Référence: 290436
  • Terrain en zone constructible sis rue de la Saulx, entre les numéros 19 et 19C, d'une superficie de 11 a 91 ca. Façade: +/- 25 m. Profondeur droite: +/- 46 m. Profondeur gauche: +/- 25 m. Libre d'occupation. R.C.: 5 €. Equipements et prescriptions urbanistiques: s'adresser à la Ville de Péruwelz.
  • Revenu Cadastral: 5 €
  • Libre à partir du: Immédiatement
  • Benoit DE SMET, notaire
  • Personne de contact: Valerie MIDI
  • Tel: (069) 77.90.50
  • Email: valerie.midi.128363@belnot.be
  • Informations de visite
  • En l'Etude du notaire Benoit DE SMET au 069/77.90.50.

Maisons

17 Pastoor Van der Auwerastraat, 2640 Mortsel

Faire offre à partir de
193 500 €

Image de présentation du bien n° 290437
Vente publique en ligne
  • Référence: 290437
  • G score: A P score: A
  • Nombre de chambres: 3
  • Nombre de salles de bains: 1
  • Vente en cours
  • Date de début: 20/01/2026 13:00
  • Date de fin: 28/01/2026 13:00
  • Pas d'enchère: 500 €
  • Revenu Cadastral: 294 €
  • Libre à partir du: A l'acte
  • Notaris Koen De Raeymaecker
  • Personne de contact: Koen DE RAEYMAECKER
  • Tel: (03) 231.42.75
  • Email: koen.deraeymaecker@belnot.be
  • Informations de visite
  • op woensdag 17/12 en zaterdag 10/1 na verplichte tel. afspr. of sleutel ophalen op notariskantoor mits betaling borgsom na verplichte tel. afspr.

Terrains

5630 Silenrieux

Faire offre à partir de
80 000 €

Image de présentation du bien n° 290445
Vente de gré à gré
  • Référence: 290445
  • Magnifique terrain de 16 ares 85 centiares situé en zone d’habitat à caractère rural Environnement calme et verdoyant, à proximité des commodités et des Lacs de l’Eau d’Heure. Le terrain dispose d’un accès aisé à rue (3 entrées) équipée en eau, électricité et égout Faire offre à partir de 80.000,00€
  • Revenu Cadastral: 8 €
  • Libre à partir du: A l'acte
  • Isabelle Allard, Notaire
  • Personne de contact: Vincent RUFFALDI
  • Tel: (071) 59.07.34 (ext. 2)
  • Email: vincent.ruffaldi@belnot.be
  • Informations de visite
  • Informations supplémentaires au 071/59.07.34 (extension n°2)

Maisons

2 Courte Rue, 5670 Treignes

Faire offre à partir de
279 000 €

Image de présentation du bien n° 290434
Vente de gré à gré
  • Référence: 290434
  • Dans un beau village bucolique et touristique, un Ensemble Immobilier-Maison (en pierres du pays)-Terrain-Logement Communautaire : (salle de fêtes, centre de vacances), Home de vacances , Plaine de Jeux (en grande partie en zone de services publics et d'équipements communautaires, dans un périmètre d'intérêt culturel, historique ou esthétique et en zone d'habitat à caractère rural). COMMUNE DE VIROINVAL, troisième division, TREIGNES Un ensemble immobilier composé de ce qui suit: 1. Maison rue Courte Rue 2+ Une maison d'habitation avec dépendances, sur et avec terrain, sise Courte Rue numéro 2 +, cadastrée section B, numéro 0375BP0000, d'une superficie de 1 a 13 ca. (sous-sol : caves (état brut rustique : pierres rejointoyées et voussettes briques), rez : grand living (+- 50 m2), arrière cuisine, bureau, 1 pièce façade, WC dans cour arrière, étage : 5 chambres (dont 2 petites mansardées), combles : 2 pièces (isolation stirodur), Libre occup, Commodités : eau de distribution, chauffe eau gaz Vaillant, chauffage central mazout Equipement intérieur : escalier bois, tablettes marbre, portes (intérieures et extérieures) en bois, carrelage sol rez granito, murs crépis, plafonds plafonnage peint, poutres apparentes 2. Salle des Fêtes rue Courte Rue 2+ et 6 - Un entrepôt avec dépendances, sur et avec terrain, sis Courte Rue numéro 2 +, cadastré section B, numéro 0376FP0000, d'une superficie de 6 a 41 ca. - Une ruine avec dépendances, sur et avec terrain, sise Courte Rue numéro 6, cadastrée section B, numéro 0379HP0000, d'une superficie de 3 a 50 ca. Permis délivrés : permis d'environnement (réf. 010/2004) pour l'exploitation de 4 cuves aériennes de mazout (4.000 l) Ppierres du pays et blocs béton, sous-sol : cave, rez : local salle de fâtes, 1 pièce façade, étage : 3 pièces, combles : grenier non aménagé et non isolé Commodités : eau de distribution, chauffage central mazout (installation récente 2015 avec chaudière St Roch, isolation asbeste, 5 cuves 1100 1 ( + bac anti débordement), électricité sommaire, châssis bois simple vitrage en mauvais état. 3. Salle de fêtes et centre de vacances sis rue Courte Rue, 6+ - Un chemin sis Village, cadastré section B, numéro 0408FP0000, d'une superficie de 32 ca. - Un home de vacances avec dépendances, sur et avec terrain, sis Courte Rue numéro 6 +, cadastré section B, numéro 0409NP0000, d'une superficie de 1 a 22 ca. - Une remise avec dépendances, sur et avec terrain, sise Courte Rue numéro 6 +, cadastrée section B, numéro 0409PP0000, d'une superficie de 19 ca. - Une Plaine de Jeux sise Sint-Roch, cadastré section B, numéro 0409RP0000, d'une superficie de 43 a 18 ca. (29a 36 en zone d'habitat à caractère rural et 13a 81ca zone service public) rez : salle des fêtes, grande salle (+- 21x11) avec scène (+- 5 m), bar, cuisine équipée, arrière cuisine, remises et débarras, blocs WC, infirmerie, bloc sanitaire, garage - terrain de basket - terrain bâtissable (zone d'habitat), étage : plusieurs dortoirs mansardés Commodités : eau de distribution, installation électrique conforme, bolier électrique, état d'entretien usagé et/ou défraîchis, toitures en état passable, modification du plan de secteur. Une partie de la plaine de jeux (env. 29 a 36 ca) se trouve en zone d'habitat à caractère rural et donc potentiellement constructible, moyennant vérification : - de la conformité urbanistique - de la création d'une voirie (en propriété ou en servitude) - de la viabilisation des parcelles créées (eau, électricité, égouttage) statut de zone de services publics et d'équipements communautaires: toute modification de cette affectation nécessite une modification au plan de secteur. Les biens sont libres d'occupation
  • Nombre de chambres: 6
  • Revenu Cadastral: 730 €
  • Libre à partir du: A l'acte
  • Florence DEMOUSTIER - Société notariale
  • Personne de contact: Catherine HERBAY
  • Tel: (071) 66.60.30
  • Email: catherine.herbay.129981@belnot.be
  • Informations de visite
  • rens en l'Etude

Maisons

35 Rue Henripré, 4821 Andrimont

Faire offre à partir de
360 000 €

Image de présentation du bien n° 290335
Vente de gré à gré
  • Référence: 290335
  • Ce volumineux bâtiment en retrait de la route vous est présenté à la vente Bien que des finitions soient à prévoir, cette maison ne manquera pas de vous intéresser de par son volume, son nombre de chambres et ses nombreuses possibilités d'aménagement L'intégralité du volume est sous cave (il reste essentiellement la chape à terminer) afin de profiter d'une surface -il faut le reconnaitre- assez incroyable Le rez-de chaussée se compose d'un hall d'entrée, d'une cuisine, d'un vaste séjour, d'une grande salle de bains et de 2 grandes chambres L'étage est, quant à lui, dédié aux chambres (4) et greniers/espace rangement (2) Année de construction: 1987 Surface planché chauffé (peb) = 256 m² ! Châssis bois D.V. Chaudière gaz à condensation très récente
  • Nombre de chambres: 6
  • Nombre de salles de bains: 1
  • Revenu Cadastral: 1507 €
  • Libre à partir du: A l'acte
  • François DENIS, société notariale
  • Personne de contact: Christophe JAMAR
  • Tel: (087) 33.00.63
  • Email: christophe.jamar.124164@belnot.be
  • Informations de visite
  • Prendre rdv en l'étude

Maisons

40 Rue Auguste Dupont, 4800 Ensival

Faire offre à partir de
165 000 €

Image de présentation du bien n° 282854
Vente de gré à gré
  • Référence: 282854
  • Composition: Sous-sol: 3 caves, chaufferie / buanderie Rez: hall, salon, salle à manger, cuisine, buanderie avec cabine de douche, WC, terrasse couverte, jardin avec abri de jardin 1er: 2 chambres dont une très grande, SDB (baignoire, WC, lavabo) 2e: 3 petites chambres mansardées / greniers 3e: combles accessibles par un escalier fixe Equipement: chauffage central gaz (chaudière murale HR de marque Bulex de 2021), châssis PVC DV en façade et au rez, simple vitrage bois partout ailleurs, volets, chauffe-eau au gaz, électricité à remettre en conformité (compteur numérique), toiture de 1992 avec tuiles en béton, plafonds moulurés, parquet flottant au rez, coupole de la cuisine remplacée en 2023, coffre-fort dans la grande chambre. Construction 1905. Bon état d'entretien. Seules les caves ont été inondées en 2021. Très beaux volumes. Situation calme dans une rue secondaire peu fréquentée, à proximité immédiate des commerces et services du centre d'Ensival. Facilité d'accès à l'autoroute E42. Visites: contacter Monsieur Fauchet (indépendant chargé des visites) au 0473/57.17.58
  • Nombre de chambres: 5
  • Superficie habitable: 210m2
  • Nombre de salles de bains: 1
  • Revenu Cadastral: 758 €
  • Libre à partir du: A l'acte
  • LAGUESSE et STOCKART - Notaires associés
  • Personne de contact: Michel CANFIN
  • Tel: (087) 33.08.33
  • Email: michel.canfin.201160@belnot.be
  • Informations de visite
  • contacter Monsieur Fauchet (indépendant chargé des visites) au 0473/57.17.58

Maisons

12 Meersstraat, 9270 Laarne

Faire offre à partir de
495 000 €

Image de présentation du bien n° 290432
Vente publique en ligne
  • Référence: 290432
  • Située dans la Meersstraat à Laarne, cette maison individuelle dispose d'un garage intégré, d'une piscine couverte et d'un pool house. Au rez-de-chaussée, vous trouverez un hall d'entrée, des toilettes, un bureau, une cuisine, un salon lumineux, un espace de rangement et un garage intégré. Vous aurez également accès à une cave spacieuse. Au premier étage, vous trouverez un hall de nuit, une salle de bains, des toilettes et 4 chambres. Il y a également un accès au grenier. La maison est située à proximité de la campagne et du centre de Laarne. Pour toute question complémentaire, vous pouvez toujours contacter le cabinet notarial « NOTARIAAT KALKENSE MEERSEN, notaires associés », à 9270 Laarne (Kalken), Vaartstraat 90/2, au numéro 09/367.62.43 ou par e-mail : info@notariaatkalken.be G score: A P score: A
  • Nombre de chambres: 5
  • Nombre de salles de bains: 1
  • Vente en cours
  • Date de début: 22/12/2025 14:00
  • Date de fin: 30/12/2025 14:00
  • Pas d'enchère: 1000 €
  • Revenu Cadastral: 1555 €
  • Libre à partir du: Immédiatement
  • NOTARIAAT KALKENSE MEERSEN, geassocieerde notarissen
  • Personne de contact: Alice GHEERAERT
  • Tel: (09) 367.62.43
  • Email: info@notariaatkalken.be
  • Informations de visite
  • Visites libres aux moments suivants : - mercredi 10/12/2025 de 15h à 17h ; - samedi 13/12/2025 de 10h à 12h ; - mercredi 17/12/2025 de 15h à 17h ; - samedi 20/12/2025 de 10h à 12h ; - mardi 23/12/2025 de 15h à 17h ; - samedi 27/12/2025 de 10h à 12h ;

Maisons

39 Jozef Meganckstraat, 9300 Aalst

Faire offre à partir de
195 000 €

Image de présentation du bien n° 289611
Vente de gré à gré
  • Référence: 289611
  • G score: B P score: B
  • Nombre de chambres: 3
  • Revenu Cadastral: 334 €
  • Libre à partir du: A l'acte
  • Benjamin Van Hauwermeiren & Vincent Van de Keer, geassocieerde notaris
  • Personne de contact: Vincent VAN DE KEER
  • Tel: (09) 369.06.26
  • Email: vincent.vandekeer@belnot.be

Maisons

81 Rue Paul Barré, 6020 Dampremy

Faire offre à partir de
59 000 €

Image de présentation du bien n° 290443
Vente de gré à gré
  • Référence: 290443
  • L'étude du Notaire Christophe Hospel propose à la vente cette maison 2 façades comprenant : un salon, une cuisine (non équipée), un WC séparé, 2 chambres, un grenier offrant un bel espace de stockage ou un potentiel d'aménagement, PAS DE SALLE DE BAIN actuellement mais possibilité d'en créer une, châssis simple vitrage. N'hésitez pas à nous contacter au 071.29.75.50 pour plus d'infos !
  • Nombre de chambres: 2
  • Superficie habitable: 105m2
  • Revenu Cadastral: 371 €
  • Libre à partir du: A l'acte
  • Christophe HOSPEL - NOTAIRE
  • Personne de contact: Christophe HOSPEL
  • Tel: (071) 29.75.50
  • Email: immo@hospel-notaire.be
  • Informations de visite
  • 071.29.75.50

Maisons

20 Peperstraat, 2400 Mol

Faire offre à partir de
155 600 €

Image de présentation du bien n° 290397
Vente publique en ligne
  • Référence: 290397
  • Maison à rénover. G score: A P score: A
  • Nombre de chambres: 3
  • Nombre de salles de bains: 1
  • Vente en cours
  • Date de début: 05/01/2026 13:00
  • Date de fin: 13/01/2026 13:00
  • Pas d'enchère: 1000 €
  • Revenu Cadastral: 842 €
  • Libre à partir du: A l'acte
  • Notaris Bart Laureys
  • Personne de contact: Nele Peetermans
  • Tel: (014) 31.44.01
  • Email: nele@notarislaureys.be
  • Informations de visite
  • Après rendez-vous préalable avec le notaire.

Terrains

Peperstraat, 2400 Mol

Faire offre à partir de
5 600 €

Image de présentation du bien n° 290401
Vente publique en ligne
  • Référence: 290401
  • terrain à vendre P score: D
  • Vente en cours
  • Date de début: 05/01/2026 13:00
  • Date de fin: 13/01/2026 13:00
  • Pas d'enchère: 1000 €
  • Libre à partir du: A l'acte
  • Notaris Bart Laureys
  • Personne de contact: Nele Peetermans
  • Tel: (014) 31.44.01
  • Email: nele@notarislaureys.be
  • Informations de visite
  • libre accès

Appartements

1 Place Quetelet, 1210 Saint-Josse-ten-Noode

Faire offre à partir de
200 000 €

Image de présentation du bien n° 290358
Vente de gré à gré
  • Référence: 290358
  • Quartier Botanique, dans un bel immeuble à appartements sis place Quetelet 1 L’ appartement C2 au 2e étage à l’arrière Comprenant : 2 chambres, salle de bains, salle à manger faisant partie intégrante du salon, hall, wc, dégagement, cuisine et terrasse, cave n° 22 au sous-sol, mansarde n° 8 au 5e étage à l’arrière. R.c.n.i. 1.048€. Libre d’occupation. Zone d’habitation, ZICHEE. PEB D+/161. Contr. électr. non conforme. Visites àpd 5/12/2025 : vendredis de 16-17h et samedis de 15-16h. Faire offre àpd 200.000€ - www.biddit.be – Réf. bien : 290358. https://www.biddit.be/fr/catalog/detail/290358
  • Nombre de chambres: 2
  • Nombre de salles de bains: 1
  • Revenu Cadastral: 1048 €
  • Libre à partir du: A l'acte
  • François Dhont et Simon Krug, notaires associés
  • Personne de contact: François DHONT
  • Tel: (02) 217.30.44
  • Email: info@not-dhont.be
  • Informations de visite
  • àpd 5/12/2025 : vendredis de 16-17h et samedis de 15-16h.

Maisons

12 Rue des Combattants, 6760 Virton

Faire offre à partir de
250 000 €

Image de présentation du bien n° 290328
Vente de gré à gré
  • Référence: 290328
  • Située en plein centre-ville de Virton, à proximité immédiate des commerces, de la Grand’Rue et des transports en commun, cette maison offre un cadre de vie pratique et recherché. Un grand parking gratuit se trouve également juste à côté du bien, facilitant le stationnement au quotidien. L’habitation se compose comme suit : - Rez-de-chaussée : Un salon lumineux / Une salle à manger / Une cuisine équipée comprenant notamment un four récent / Une cave s’étendant sous toute la surface de la maison, offrant un vaste espace de stockage / Un garage permettant de stationner un véhicule, équipé d’une porte électrique / Une cour à l’arrière de la maison. - Équipements techniques : Châssis double vitrage / Présence de volets / Cuve à mazout de 1.500 L / Maison raccordée à l’égout. - Étage : Quatre chambres / Une salle de bain équipée de deux grands lavabos et d’une vaste douche, - Accès au grenier par escalier fixe ; celui-ci est isolé par le sol et offre un potentiel de rangement supplémentaire. Cette maison dispose de nombreux atouts tant par son emplacement privilégié au cœur de Virton que par ses volumes et ses équipements.
  • Nombre de chambres: 4
  • Superficie habitable: 212m2
  • Nombre de salles de bains: 1
  • Revenu Cadastral: 761 €
  • Libre à partir du: A l'acte
  • Aurore FOURNIRET société notariale
  • Personne de contact: Thiebaud DELMELLE
  • Tel: (063) 57.70.62
  • Email: thiebaud.delmelle.128090@belnot.be

Commerces

131 Rue Sualem R., 4101 Jemeppe-sur-Meuse

Faire offre à partir de
250 000 €

Image de présentation du bien n° 290352
Vente publique en ligne
  • Référence: 290352
  • ?? Immeuble mixte à vendre – Jemeppe-sur-Meuse (Seraing), rue Sualem R. 131-133 Emplacement stratégique – À proximité de toutes commodités et de l’autoroute A604. Cet immeuble historique offre un excellent potentiel, idéal pour un investisseur ou pour une activité professionnelle (rez), avec logement. Situé au cœur de Jemeppe-sur-Meuse, il bénéficie d’une visibilité optimale ainsi que d’un accès aisé aux commerces, transports et axes rapides. 1. Rez-de-chaussée commercial Le rez-de-chaussée est actuellement exploité en activité HORECA (libre de tout bail à compter du 31 janvier 2026) pour un loyer mensuel de 2.500 €. Il se compose de : Une salle de restaurant avec bar et cuisine ouverte, une cuisine arrière, une pièce de rangement, sanitaires. Accès à l’étage (logement) Cet espace pourra accueillir une nouvelle activité (HORECA, bureaux, commerce de proximité, service…) ou être réaménagé selon vos besoins. Il est précise que le fonds de commerce ne fait pas partie de la présente vente. 2. Étage – un grand duplex L’étage propose un vaste duplex offrant de beaux volumes et de multiples possibilités. L'accès se fait soit via le rez commercial, soit via le passage latéral. Il se compose: d'une grande pièce de vie lumineuse, une cuisine, une salle de bains, un WC, deux chambres, un grenier aménageable et un accès à une vaste terrasse. Le logement nécessite un rafraîchissement. Atouts du bien: - Proche des principaux axes - Immeuble mixte polyvalent - Grande terrasse - Vastes volumes et grenier aménageable - Bon potentiel de rendement ?? Intéressé ? Contactez-nous pour plus d’informations ou pour planifier une visite.
  • Vente en cours
  • Date de début: 06/01/2026 14:00
  • Date de fin: 14/01/2026 14:00
  • Pas d'enchère: 1000 €
  • Revenu Cadastral: 1326 €
  • Libre le: 31/01/2026
  • ADVENTILL, société notariale
  • Personne de contact: Yassine BETTAHI
  • Tel: (04) 234.73.11
  • Email: contact@etudenotariale.be
  • Informations de visite
  • Sur rendez-vous: 04/234.73.11

Terrains

Première rue Basse, 7970 Beloeil

Faire offre à partir de
100 000 €

Image de présentation du bien n° 290378
Vente de gré à gré
  • Référence: 290378
  • Terrain en zone à bâtir (LOT A) sis Première rue Basse (à gauche du numéro 5) Contenance: 11 a 18 ca Façade de 22,37 mètres
  • Libre à partir du: A l'acte
  • Paul-Etienne et Pierre-Olivier CULOT, notaires associés
  • Personne de contact: Aurore VOS
  • Tel: (069) 68.91.11
  • Email: aurore.vos.128777@belnot.be
  • Informations de visite
  • Visites sur place

Terrains

Bergdries, 8573 Tiegem

Faire offre à partir de
139 820 €

Image de présentation du bien n° 290408
Vente publique en ligne
  • Référence: 290408
  • Une parcelle de terre agricole et une parcelle de pâturage, connues localement sous le nom de « Beloop Groten Berg »,connues dans la section A du registre foncier selon des extraits récents des numéros de registre cadastral 569/H/P0000 et 569/E/P0000,d'une superficie totale de quatre hectares, vingt-cinq ares et soixante-deux centiares (4ha 25a 62ca). Note de la parcelle agricole : D (probabilité moyenne d’inondation dans le climat actuel), note de la parcelle de pâturage : A (absence d’inondation). P score: D
  • Vente en cours
  • Date de début: 05/01/2026 14:00
  • Date de fin: 13/01/2026 14:00
  • Pas d'enchère: 1000 €
  • Libre à partir du: A l'acte
  • NATHALIE DESIMPEL - ELISABETH DESIMPEL - RONNY VAN EECKHOUT, geassocie
  • Personne de contact: Kantoor Not. Desimpel, Desimpel & Van Eeckhout
  • Tel: (056) 62.76.90
  • Email: info@aktum.be
  • Informations de visite
  • Libre

Appartements

27A Avenue Marius Renard, 1070 Anderlecht

Faire offre à partir de
135 000 €

Image de présentation du bien n° 290385
Vente publique en ligne
  • Référence: 290385
  • Dans un immeuble à appartements situé avenue Marius Renard 27A, bloc I : L’appartement E.14 au 14e ét. Comprenant : salon, cuisine, sdd, wc, 2 chambres, petite cave 3 aux sous-sols. R.c.n.i. 1.204€. Loué Zone d’habitation. PEB : C+/102. Contr. électr. non conforme. Visites sur RDV à prendre avec l’étude à partir du jeudi 27/11 jusqu’au vendredi 26/12/25 inclus – Début enchères : jeudi 18.12.25 à 13h - Fin enchères : vendredi 26.12.25 à 13h - Mise à prix : 135.000€ - Enchère min. : 1.000€ - Sign. acte : lundi 05.01.26 à 16h - www.biddit.be - Réf. bien : 290385.
  • Nombre de chambres: 2
  • Vente en cours
  • Date de début: 18/12/2025 13:00
  • Date de fin: 26/12/2025 13:00
  • Pas d'enchère: 1000 €
  • Revenu Cadastral: 1204 €
  • Libre à partir du: A définir
  • Heindryckx Alexis, Notaire
  • Personne de contact: Anabel LORO MARTIN
  • Tel: (02) 522.09.37
  • Email: alm@not-heindryckx.be
  • Informations de visite
  • sur RDV à prendre avec l’étude à partir du jeudi 27/11 jusqu’au vendredi 26/12/25 inclus –

Terrains

Holrakkerstraat, 3510 Spalbeek

Faire offre à partir de
165 000 €

Image de présentation du bien n° 290412
Vente de gré à gré
  • Référence: 290412
  • P score: D
  • Libre à partir du: A l'acte
  • WILSENS, CLEEREN, VERDUYN & D´JOOS
  • Personne de contact: Kantoor Not. Wilsens, Cleeren, Verduyn & D'Joos
  • Tel: (012) 74.10.83
  • Email: info@notariaatwcvd.be

Maisons

70 Driekruisenstraat, 3700 Tongeren

Faire offre à partir de
126 000 €

Image de présentation du bien n° 290413
Vente de gré à gré
  • Référence: 290413
  • G score: A P score: B
  • Nombre de chambres: 3
  • Superficie habitable: 108m2
  • Nombre de salles de bains: 1
  • Revenu Cadastral: 272 €
  • Libre à partir du: A l'acte
  • Notaris Jean-Marie THIJS
  • Personne de contact: Laurien PRINCEN
  • Tel: (012) 23.86.86
  • Email: laurien@notaris-thijs.be

Maisons

35 Les Arsillières, 6590 Momignies

Faire offre à partir de
55 000 €

Image de présentation du bien n° 290345
Vente de gré à gré
  • Référence: 290345
  • À SAISIR ! Ancienne petite maison mitoyenne (2 façades) à rénover (PEB G - 515 kWh/m².an) située Rue des Arsillières 35, à Momignies, bénéficiant d'un faible coût immobilier et de la proximité immédiate du RAVeL 156. Ce bien est bâti sur une parcelle totale de 350 m² (3a50ca) : surface bâtie cadastrale de ± 42 m² avec un terrain/jardin avant ; surface de plancher chauffée de 78 m². Revenu cadastral : 161 €. Composition : RDC : Séjour, espace Cuisine non équipée, WC ; Étage : Palier desservant 3 Ch. mansardées (Velux) et Grenier ; Absence de chaudière ;Le chauffage actuel (poêle au mazout). Travaux essentiels à prévoir : Rénovations énergétiques et électricité à refaire (https://energie.wallonie.be/fr/aides-et-primes.html?IDC=10717). Environnement : Cadre naturel préservé (Momignies), zone Habitat, proche de services (boulangerie, cabinet médical, pharmacie, écoles,...) ; transports : arrêt de bus à proximité. Momignies offre une qualité de vie rurale aux paysages agréables, des services de proximité et le développement de la mobilité douce (RAVeL). Momignies bénéficie d'une position frontalière avec la France. Idéal investisseur ou premier achat.
  • Nombre de chambres: 3
  • Superficie habitable: 78m2
  • Revenu Cadastral: 161 €
  • Libre à partir du: A l'acte
  • Vincent MAILLARD notaire et associés
  • Personne de contact: Bernadette PONCELET
  • Tel: (060) 21.11.16
  • Email: bernadette.poncelet.129569@belnot.be
  • Informations de visite
  • sur rdv à prendre au 0472/63.69.56

Commerces

6-8 Jacoletstraat, 3970 Leopoldsburg

Faire offre à partir de
175 000 €

Image de présentation du bien n° 290414
Vente publique en ligne
  • Référence: 290414
  • Maison de commerce avec salle de consommation au rez-de-chaussée, appartement spacieux au 1er étage et salle de sport avec sanitaires au premier étage à l'arrière. Entièrement libre de toute occupation. EPC salle de consommation : C, EPC appartement : F, EPC salle de sport : F. G score: A P score: A
  • Vente en cours
  • Date de début: 30/12/2025 14:00
  • Date de fin: 07/01/2026 14:00
  • Pas d'enchère: 1000 €
  • Revenu Cadastral: 4598 €
  • Libre à partir du: Immédiatement
  • Schaeken & Vanhencxthoven, geassocieerde notarissen
  • Personne de contact: Eve VAN ROIE
  • Tel: 014764227
  • Email: eve@svnotarissen.be
  • Informations de visite
  • Chaque mercredi de 14h00 à 16h00 et chaque samedi de 10h00 à 12h00

Maisons

28 Izegemstraat, 8770 Ingelmunster

Faire offre à partir de
50 000 €

Image de présentation du bien n° 290415
Vente publique en ligne
  • Référence: 290415
  • G score: A P score: A
  • Nombre de chambres: 2
  • Nombre de salles de bains: 1
  • Vente en cours
  • Date de début: 22/12/2025 11:30
  • Date de fin: 30/12/2025 11:30
  • Pas d'enchère: 1000 €
  • Revenu Cadastral: 292 €
  • Libre à partir du: A l'acte
  • Vlegels & Van Den Bosch, geassocieerde notarissen
  • Personne de contact: Kantoor Not. Liene Van Den Bosch
  • Tel: (051) 31.89.01
  • Email: info@notariaatvandenbosch.be
  • Informations de visite
  • Op afspraak via notaris

Terrains

Membruggenweg, 3740 Grote-Spouwen

Faire offre à partir de
100 000 €

Image de présentation du bien n° 290416
Vente publique en ligne
  • Référence: 290416
  • Deux parcelles de terres agricoles, situées « Op de Tombe », à Grote-Spouwen, section B numéros 255D et 255E, d’une superficie totale de 2 hectares 21 ares 25 centiares. Les parcelles sont immédiatement libres de toute occupation et de tout bail. La parcelle 255D a un score P de D (se situe partiellement dans une zone sensible aux inondations) et la parcelle 255E un score P de A. Aucun droit de préemption n’est applicable. Les parcelles sont immédiatement disponibles. Aucune servitude n’est applicable. P score: A
  • Vente en cours
  • Date de début: 05/01/2026 12:00
  • Date de fin: 13/01/2026 12:00
  • Pas d'enchère: 1000 €
  • Libre à partir du: Immédiatement
  • Vuylsteke & Bunkens
  • Personne de contact: Elke VANSANTVOORT
  • Tel: (012) 44.01.44
  • Email: elke@vbnot.be
  • Informations de visite
  • Après rendez-vous avec l'étude des notaires Vuylsteke & Bunkens

Maisons

32 Le Torieu, 7521 Chercq

Faire offre à partir de
240 000 €

Image de présentation du bien n° 290417
Vente de gré à gré
  • Référence: 290417
  • Découvrez cette belle maison entièrement rénovée, idéale pour ceux qui recherchent un cadre de vie moderne, lumineux et prêt à habiter. Dès l’entrée, vous profitez d’un spacieux séjour baigné de lumière, relié à une cuisine équipée récente et chaleureuse. Le rez-de-chaussée dispose aussi d’un wc suspendu avec lave-mains. À l’extérieur, deux terrasses vous permettent de profiter de chaque moment : • l’une au niveau des pièces de vie • l’autre donnant directement sur le jardin. À l’étage, une chambre confortable et une salle de bains soignée. Au deuxième étage, une grande chambre a été aménagée, La maison a été rénovée avec soin : chauffage central au gaz, châssis PVC double vitrage, alarme, spots intégrés, installation électrique conforme,… Tout est pensé pour un confort durable. Un bien lumineux, fonctionnel, où l’on se projette immédiatement. À visiter sans tarder : véritable coup de cœur.
  • Nombre de chambres: 2
  • Nombre de salles de bains: 1
  • Revenu Cadastral: 334 €
  • Libre à partir du: A l'acte
  • Notaire Philippe DUMON
  • Personne de contact: Sylvie SEYNAEVE
  • Tel: (056) 33.05.41
  • Email: sylvie.seynaeve.125344@belnot.be
  • Informations de visite
  • Renseignements en Etude

Terrains

29 Binnenhof, 3720 Kortessem

Faire offre à partir de
100 000 €

Image de présentation du bien n° 290419
Vente de gré à gré
  • Référence: 290419
  • Terrain constructible pour maison jumelée situé à « Omstraetveld, Binnenhof 29 », d'une superficie de 419m². Situé au calme, à proximité de l'autoroute E313 et du centre de Kortessem. P score: A
  • Libre à partir du: A l'acte
  • NOTARIS STEFAN D´HUYS
  • Personne de contact: Jana D´HUYS
  • Tel: (011) 43.29.98
  • Email: jana@notarisdhuys.be

Maisons

55 Rue Jardon, 4650 Herve

Faire offre à partir de
235 000 €

Image de présentation du bien n° 290418
Vente de gré à gré
  • Référence: 290418
  • Charmante maison au cœur de Herve – à rafraîchir selon vos envies ! Située en plein centre de Herve, cette maison offre une localisation idéale à proximité immédiate de toutes les commodités. Cette maison de caractère est idéale pour une famille ou pour un premier achat.
  • Nombre de chambres: 5
  • Superficie habitable: 172m2
  • Nombre de salles de bains: 1
  • Revenu Cadastral: 602 €
  • Libre à partir du: A l'acte
  • Véronique SMETS et Vanessa CAVALLERI, notaires associées
  • Personne de contact: Pierre-Louis DELETTRE
  • Tel: (087) 69.26.10
  • Email: pierrelouis.delettre.131169@belnot.be

Maisons

28 Demerbronstraat, 3700 's Herenelderen

Faire offre à partir de
135 000 €

Image de présentation du bien n° 290420
Vente publique en ligne
  • Référence: 290420
  • Cette maison ouverte avec cour intérieure, située sur un terrain de 6a 03ca, se trouve dans le cadre paisible, rural et verdoyant de 's Herenelderen (Tongeren-Borgloon). Grâce à son emplacement, le centre historique de Tongeren et l'autoroute sont facilement accessibles. G score: A P score: A
  • Nombre de chambres: 4
  • Nombre de salles de bains: 1
  • Vente en cours
  • Date de début: 12/01/2026 11:00
  • Date de fin: 20/01/2026 11:00
  • Pas d'enchère: 1000 €
  • Revenu Cadastral: 347 €
  • Libre à partir du: A l'acte
  • NOTARISKANTOOR HOUGAERTS & PEYLS
  • Personne de contact: Kantoor Not. Hougaerts & Peyls
  • Tel: (012) 23.10.22
  • Email: joachim.peyls@belnot.be
  • Informations de visite
  • Les candidats acheteurs pourront visiter le bien après avoir pris contact avec l'étude notariale. Le notaire se réserve le droit d'organiser des visites et/ou de modifier les heures de visite dans l'intérêt de la vente.

Maisons

96 Rue Fivé, 4100 Seraing

Faire offre à partir de
180 000 €

Image de présentation du bien n° 290402
Vente de gré à gré
  • Référence: 290402
  • Découvrez cette maison organisée sur trois niveaux, offrant de beaux volumes et de multiples possibilités d’aménagement. Située dans un environnement proche des transports en commun, elle séduira ceux qui recherchent à la fois confort et fonctionnalité. Au sous-sol, vous trouverez : un espace de stockage de 16 m², idéal pour atelier, buanderie, rangement volumineux ou aménagement supplémentaire selon vos besoins. Au rez-de-chaussée, vous trouverez : un living d'environ 30 m², une cuisine spacieuse d’environ 12 m², une salle d’eau d’environ 5 m² Au premier étage, une chambre d’environ 16 m² et une chambre d’environ 17 m², bénéficient de beaux volumes et d’une luminosité agréable. Au deuxième étage, vous trouverez : une troisième chambre d’environ 19 m², une pièce de stockage d’environ 17 m², partiellement mansardées, offrant de nombreuses possibilités. La maison dispose également d'un garage accessible par une rue parallèle.
  • Nombre de chambres: 3
  • Superficie habitable: 116m2
  • Nombre de salles de bains: 1
  • Revenu Cadastral: 537 €
  • Libre à partir du: A l'acte
  • Fabienne JEANDRAIN, Notaire
  • Personne de contact: Cléa COLLURA
  • Tel: (04) 337.02.77
  • Email: clea.collura.178277@belnot.be
  • Informations de visite
  • Visites sur rendez-vous

Appartements

1 Avenue Guillaume Stassart, 1070 Anderlecht

Faire offre à partir de
175 000 €

Image de présentation du bien n° 290077
Vente publique en ligne
  • Référence: 290077
  • Lumineux appartement de 65 m² situé au 1er étage avec ascenseur dans l'immeuble "Palais d'Erasme", comprenant un hall d'entrée, un vestiaire, un living avec terrasse, une cuisine, 2 chambres de 8 m² et 13 m² avec terrasse, une salle de douche, un wc, une cave en sous-sol n°1 et un garage n° 14. Le bien est libre d'occupation.
  • Nombre de chambres: 2
  • Superficie habitable: 65m2
  • Vente en cours
  • Date de début: 22/01/2026 15:00
  • Date de fin: 30/01/2026 15:00
  • Pas d'enchère: 1500 €
  • Revenu Cadastral: 1036 €
  • Libre à partir du: A l'acte
  • n² notaires
  • Personne de contact: Yves SOMVILLE
  • Tel: (010) 61.22.40
  • Email: info@n2notaires.be
  • Informations de visite
  • Visites sur rendez-vous, et ce à partir du mercredi 10 décembre 2025 jusqu'au vendredi 30 janvier 2026 inclus en contactant le 0486 63 99 65

Maisons

15 Rue de l'Egalité, 4400 Flémalle

Faire offre à partir de
260 000 €

Image de présentation du bien n° 290405
Vente de gré à gré
  • Référence: 290405
  • Découvrez cette charmante maison située dans un quartier très prisé de Flémalle. Elle offre de beaux volumes et est idéalement conçue pour une vie familiale confortable. Elle se compose de nombreuses pièces lumineuses, d’un garage, d’un patio extérieur ainsi que d’un grenier. Au rez-de-chaussée, vous découvrirez une entrée donnant accès à un séjour de 28 m². La cuisine de 10 m² complète cet espace de vie convivial. Une véranda vous permettra de profiter des beaux jours. À l’étage, la maison dispose de trois chambres confortables : une chambre principale de 17 m², une chambre de 12 m² et une troisième chambre de 10 m². Un hall de nuit dessert ces chambres ainsi qu'une salle de bain de 8 m² . Le sous-sol comprend une buanderie de 11 m² et une chaufferie de 9 m², offrant des espaces pratiques pour le rangement et l’entretien. La maison dispose également d'un grenier de 49 m² .
  • Nombre de chambres: 3
  • Superficie habitable: 158m2
  • Revenu Cadastral: 722 €
  • Libre à partir du: A l'acte
  • Fabienne JEANDRAIN, Notaire
  • Personne de contact: Cléa COLLURA
  • Tel: (04) 337.02.77
  • Email: clea.collura.178277@belnot.be

Terrains

Harmonieweg, 3670 Gruitrode

Faire offre à partir de
18 500 €

Image de présentation du bien n° 290424
Vente publique en ligne
  • Référence: 290424
  • P score: B
  • Vente en cours
  • Date de début: 19/01/2026 15:00
  • Date de fin: 27/01/2026 15:00
  • Pas d'enchère: 1000 €
  • Libre à partir du: Immédiatement
  • COEMANS EN COLAERS, GEASSOCIEERDE NOTARISSEN
  • Personne de contact: Diederick DEGEEST
  • Tel: 011360336
  • Email: diederick@notarisvnc.be

Maisons

3 Schanzestraat, 3840 Tongeren-Borgloon

Faire offre à partir de
70 000 €

Image de présentation du bien n° 290430
Vente publique en ligne
  • Référence: 290430
  • Cette ferme, construction ouverte, située sur un terrain de 5a 45ca, se trouve dans un environnement calme et verdoyant à Rijkel. Grâce à son emplacement idéal, le centre de Saint-Trond et Borgloon, ainsi que les établissements scolaires, sont facilement accessibles. Située au centre de la région de Hesbaye. Le rez-de-chaussée de cette maison se compose d'un hall d'entrée, d'un salon et d'une salle à manger, ainsi que d'une annexe à fort potentiel. Au premier étage se trouvent le palier et le hall de nuit avec 2 chambres, des toilettes séparées et une salle de bains. Au premier étage de l'annexe se trouve une autre pièce à fort potentiel. Le jardin se trouve derrière et à côté de la maison. La maison dispose d'une allée avec un parking et un accès au jardin, à la maison et à l'annexe. La maison est déjà équipée de panneaux solaires, EPC C-score. G score: B P score: B
  • Nombre de chambres: 2
  • Nombre de salles de bains: 1
  • Vente en cours
  • Date de début: 12/01/2026 14:00
  • Date de fin: 20/01/2026 14:00
  • Pas d'enchère: 1000 €
  • Revenu Cadastral: 420 €
  • Libre à partir du: A l'acte
  • NOTARISKANTOOR HOUGAERTS & PEYLS
  • Personne de contact: Els SCHABON
  • Tel: 012398127
  • Email: els.schabon.103309@belnot.be
  • Informations de visite
  • Les candidats acheteurs pourront visiter le bien après avoir pris contact avec l'étude notariale. Le notaire soussigné se réserve le droit d'organiser des visites et/ou de modifier les heures de visite dans l'intérêt de la vente.

Maisons

11 Zwaluwenstraat, 2440 Geel

Faire offre à partir de
210 000 €

Image de présentation du bien n° 290435
Vente publique en ligne
  • Référence: 290435
  • G score: A P score: B
  • Nombre de chambres: 4
  • Superficie habitable: 174m2
  • Nombre de salles de bains: 1
  • Vente en cours
  • Date de début: 07/01/2026 13:00
  • Date de fin: 15/01/2026 13:00
  • Pas d'enchère: 1000 €
  • Revenu Cadastral: 1083 €
  • Libre à partir du: A l'acte
  • Balans Notarissen, geassocieerde notarissen
  • Personne de contact: Carolien VANGHEEL
  • Tel: (014) 56.59.00
  • Email: info@balansnotarissen.be
  • Informations de visite
  • elke zondag van 11u-12u vanaf zondag 13/12 tem zondag 10/1.

Maisons

41 Veerstraat, 3830 Wellen

Faire offre à partir de
275 000 €

Image de présentation du bien n° 290439
Vente publique en ligne
  • Référence: 290439
  • À vendre, cette maison très spacieuse à Wellen, située dans un endroit calme juste à l'extérieur du centre du village. Cette maison offre de nombreuses possibilités pour ceux qui recherchent une grande maison pouvant être aménagée entièrement selon leurs propres souhaits. La propriété dispose de plusieurs grandes pièces baignées de lumière naturelle, parfaites pour une maison familiale ou un projet à fort potentiel. La disposition est polyvalente, ce qui rend la maison idéale pour être adaptée à vos goûts et à vos besoins. Récemment rénovée. Équipée de panneaux solaires. Située dans le cadre verdoyant de Wellen. G score: A P score: A
  • Nombre de chambres: 5
  • Nombre de salles de bains: 2
  • Vente en cours
  • Date de début: 19/01/2026 14:00
  • Date de fin: 27/01/2026 14:00
  • Pas d'enchère: 1000 €
  • Revenu Cadastral: 1119 €
  • Libre à partir du: A l'acte
  • NOTARISKANTOOR HOUGAERTS & PEYLS
  • Personne de contact: Els SCHABON
  • Tel: 012398127
  • Email: els.schabon.103309@belnot.be
  • Informations de visite
  • Le mardi 6 janvier de 18h-19h et le mercredi 14 janvier de 18h-19h

Industries

36/38 Rue de Montigny, 6000 Charleroi

Faire offre à partir de
80 000 €

Image de présentation du bien n° 290202
Vente de gré à gré
  • Référence: 290202
  • Entrepôt situé en plein centre ville d'une superficie approximative de 168m² configuré en L, en espace ouvert, répartie en deux zones (51m² et 117m²). Sol en béton lissé, raccordement eau et électricité, hauteur sous plafond à 2,81m Proche de toutes les commodités, axes autoroutiers et centres commerciaux Vendu vide de tout mobilier
  • Revenu Cadastral: 907 €
  • Libre à partir du: A l'acte
  • NOTAIRES GROSFILS
  • Personne de contact: Astrid GROSFILS
  • Tel: (071) 32.50.23
  • Email: astrid.grosfils@belnot.be
  • Informations de visite
  • Contact en l'Etude au 071.20.15.55

Maisons

24 Rue de la Cornette, 4347 Voroux-Goreux

Faire offre à partir de
180 000 €

Image de présentation du bien n° 290441
Vente de gré à gré
  • Référence: 290441
  • Maison 3 façades avec garage, jardin et passage latéral, située à Voroux-Goreux, rue de la Cornette 24. Comprenant: séjour (salon et salle à manger séparés par une jolie porte vitrée ancienne); cuisine non équipée, salle de bain, débarras. Étage: 3 chambres Grenier aménageable. Garage et jardin. Superficie totale de 233m² – RC : 394 euros Chauffage central; électricité conforme, double vitrage. Travaux à prévoir: salle de bain et cuisine Situation calme en bordure du village – proche des axes autoroutiers, et de tous services dont école. Prix demandé : 180.000 euros Visites sur rendez vous pris en l’étude
  • Nombre de chambres: 3
  • Revenu Cadastral: 394 €
  • Libre à partir du: Immédiatement
  • CRISMER & de SAUVAGE, Notaires Associés
  • Personne de contact: Stéphanie LAMBERT
  • Tel: (04) 250.10.56
  • Email: stephanie.lambert.130807@belnot.be

Maisons

2 Rue du Blooming, 6031 Monceau-sur-Sambre

Faire offre à partir de
175 000 €

Image de présentation du bien n° 290448
Vente publique en ligne
  • Référence: 290448
  • Immeuble de rapport comprenant 3 appartements (rez / étage 1 / étage 2) et 2 garages. Loyer mensuel potentiel min. 2.000 €
  • Nombre de chambres: 6
  • Nombre de salles de bains: 3
  • Vente en cours
  • Date de début: 07/12/2025 15:00
  • Date de fin: 15/12/2025 15:00
  • Pas d'enchère: 1000 €
  • Revenu Cadastral: 2242 €
  • Libre à partir du: A définir
  • DRAGUET Caroline
  • Personne de contact: Caroline DRAGUET
  • Tel: (071) 32.15.59
  • Email: caroline.draguet@belnot.be
  • Informations de visite
  • 27/11 à 13h - 02/12 à 13h - 10/12 à 14h - 15/12 à 12h

Maisons

59 Prosper Van Langendonckstraat, 9050 Gentbrugge

Faire offre à partir de
200 000 €

Image de présentation du bien n° 290348
Vente publique en ligne
  • Référence: 290348
  • Maison mitoyenne à rénover avec cour. Bien située, facilement accessible au Brusselsestwg et à l'E17. Disposition : salon, salle à manger, cuisine, buanderie, salle de bains, 3 chambres + bureau. Cave et cour. Score P & G : B. Obligation de rénovation. Zone résidentielle. G score: B P score: B
  • Nombre de chambres: 3
  • Superficie habitable: 139m2
  • Nombre de salles de bains: 1
  • Vente en cours
  • Date de début: 22/01/2026 14:00
  • Date de fin: 30/01/2026 14:00
  • Pas d'enchère: 1000 €
  • Revenu Cadastral: 565 €
  • Libre à partir du: autre
  • Notariaat Wondelgem, Cottenie & De Neve, geassocieerde notarissen
  • Personne de contact: Eva GERNIERS
  • Tel: (09) 253.85.49
  • Email: eva.gerniers@notariaatwondelgem.be
  • Informations de visite
  • - Mercredi 7 janvier de 15h00 à 17h00 - Samedi 10 janvier de 14h00 à 16h00 - Mercredi 14 janvier de 15h00 à 17h00 -Samedi 17 janvier de 14h00 à 16h00 -Mercredi 21 janvier de 15h00 à 17h00 -Samedi 24 janvier de 14h00 à 16h00

Maisons

20 Rue Noire Mécanique, 6040 Jumet

Faire offre à partir de
170 000 €

Image de présentation du bien n° 290347
Vente de gré à gré
  • Référence: 290347
  • Maison d'habitation avec passage latéral, garage et jardin comprenant: Rez: salon, salle à manger, véranda, cuisine, bureau. Etage: 3 chambres, grenier aménageable. Caves
  • Nombre de chambres: 3
  • Revenu Cadastral: 530 €
  • Libre à partir du: A l'acte
  • LEBRUN Olivier
  • Personne de contact: Laurence SCORNAUX
  • Tel: (071) 45.56.47
  • Email: laurence.scornaux.111690@belnot.be
  • Informations de visite
  • RDV à prendre avec l'étude du Notaire Olivier LEBRUN (071/45.56.47)

Appartements

71 Louis Janssenslaan, 2100 Deurne

Faire offre à partir de
102 200 €

Image de présentation du bien n° 290349
Vente publique en ligne
  • Référence: 290349
  • Découvrez cet appartement 2 chambres situé au 71 Louis Janssenslaan à Hoboken. L'appartement dispose également d'un salon lumineux, d'une cuisine pratique, d'une salle de bains et de toilettes séparées. Son emplacement calme à proximité d'une école le rend particulièrement pratique pour les jeunes familles. Une maison idéale pour débuter ou un investissement intéressant dans un endroit agréable. G score: B P score: C
  • Nombre de chambres: 2
  • Superficie habitable: 82m2
  • Nombre de salles de bains: 1
  • Vente en cours
  • Date de début: 28/01/2026 13:00
  • Date de fin: 05/02/2026 13:00
  • Pas d'enchère: 1000 €
  • Revenu Cadastral: 637 €
  • Libre à partir du: A l'acte
  • LaTo
  • Personne de contact: Oscar BEDERT
  • Tel: (03) 827.10.38
  • Email: ob@lato.be
  • Informations de visite
  • - Samedi 17/1/2026, 24/1/2026 et 31/1/2026 de 12h00 à 13h00; et - Mercredi 21/1/2026, 28/1/2026 et 4/2/2026 de 17h00 à 18h00.

Terrains

Hulselstraat, 2470 Retie

Faire offre à partir de
120 000 €

Image de présentation du bien n° 290312
Vente publique en ligne
  • Référence: 290312
  • - Percelen grond, volgens kadaster ‘weiland’, volgens kadaster gelegen ‘Hooidonkse Bemden’ thans volgens huidig kadaster gekend sectie C, nummers 1009/02AP0000 (groot 58a), 1010P0000 (groot 27a 70ca), 1011P0000 (groot 29a 60ca) en 1012AP0000 (groot 29a 5ca), met een totale oppervlakte volgens kadaster van 1ha 44a 35ca. - Perceel 1009/02AP0000: vergunning voor bouwen van een open schuilhok voor runderen de dato 15.02.2000; - bestemming: ‘landschappelijk waardevolle agrarische gebieden’; - habitatrichtlijngebied, genaamd ‘Valleigebied van de Kleine Nete met brongebieden, moerassen en heiden’; - bezwaard zijn met een wettelijke erfdienstbaarheid van openbaar nut, namelijk ‘Erfdienstbare strook langs waterloop (2de en 3de categorie) voor ruimingswerken’, zijnde ‘Zwarte Neet – Onbevaarbare waterloop – categorie 2’; - P-score en G-score perceel C - 1009/02A: 'A'; - P-score percelen C - 1010, 1011 en 1012A; 'D'; - bodemattesten: 'geen risicogrond'; - Asbestattest: 'asbestveilig (maar mogelijk niet asbestvrij)'
  • Vente en cours
  • Date de début: 10/12/2025 14:00
  • Date de fin: 18/12/2025 14:00
  • Pas d'enchère: 1000 €
  • Libre à partir du: Immédiatement
  • Notariskantoor Mia Willemsen
  • Personne de contact: Kantoor Not. Mia Willemsen
  • Tel: (014) 38.98.21
  • Email: kantoor@notariswillemsen.be
  • Informations de visite
  • vrij

Terrains

Rue du Têris, 4100 Seraing

Faire offre à partir de
20 000 €

Image de présentation du bien n° 290097
Vente publique en ligne
  • Référence: 290097
  • Terrain non constructible, situé en zone industrielle, à Seraing, Rue du Têris
  • Vente en cours
  • Date de début: 12/01/2026 14:00
  • Date de fin: 20/01/2026 14:00
  • Pas d'enchère: 1000 €
  • Revenu Cadastral: 9 €
  • Libre à partir du: A l'acte
  • PONSGEN & SALERNO, notaires associés
  • Personne de contact: Yanick Van Laer
  • Tel: (04) 337.07.53
  • Email: yanick.vanlaer.168385@belnot.be
  • Informations de visite
  • Pas de visites organisées. Les candidats acquéreurs peuvent visiter librement le terrain jusqu'à la clôture de la période d'enchères.

Maisons

8 De Pannestraat, 9220 Moerzeke

Faire offre à partir de
110 000 €

Image de présentation du bien n° 290356
Vente publique en ligne
  • Référence: 290356
  • G score: D P score: D
  • Nombre de chambres: 3
  • Superficie habitable: 119m2
  • Nombre de salles de bains: 1
  • Vente en cours
  • Date de début: 13/01/2026 15:00
  • Date de fin: 21/01/2026 15:00
  • Pas d'enchère: 1000 €
  • Revenu Cadastral: 237 €
  • Libre à partir du: Immédiatement
  • SVEN HEYVAERT, NOTARISVENNOOTSCHAP
  • Personne de contact: Jade NELIS
  • Tel: (052) 47.70.83
  • Email: jade@notarisheyvaert.be
  • Informations de visite
  • Op zaterdagen 20 december 2025, 10 en 17 januari 2026 telkens van 10u-12u, en Woensdag 14 januari 2026 van 15u30-17u

Maisons

53-57 Féronstrée, 4000 Liège

Faire offre à partir de
450 000 €

Image de présentation du bien n° 290088
Vente publique en ligne
  • Référence: 290088
  • Situé dans le coeur historique de Liège, cet ensemble rare et plein de potentiel se compose de plusieurs anciennes maisons de commerce et d’habitation, s’étendant entre la rue Féronstrée et la rue de la Rose. Un emplacement stratégique, au cœur d’une zone en pleine redynamisation et à proximité immédiate de toutes les commodités. L’ensemble comprend : 1) Trois anciennes maisons de commerce (parties commerciales au rez-de-chaussée non comprises) donnant sur la rue Féronstrée, développées sur trois à quatre niveaux, datant des 18? et 19? siècles ; accompagnées de volumes secondaires arrière d’un ou deux niveaux. 2) Trois maisons anciennes situées rue de la Rose, également des 18? et 19? siècles, développées sur deux niveaux (hors rez-de-chaussée), ainsi qu’un volume secondaire arrière de type développées sur trois niveaux. 3) La passerelle surplombant la rue de la Rose. Cet ensemble immobilier est entièrement à rénover, offrant un cadre idéal pour un projet d’envergure, qu’il soit résidentiel ou mixte. Un permis d’urbanisme avait été octroyé le 28/08/2020 pour la transformation de plusieurs maisons en douze logements (permis aujourd’hui périmé). À proximité directe de toutes les commodités : commerces, services, restaurants, musées… Arrêt du tram à seulement 50 m. Parking public disponible à proximité immédiate.
  • Nombre de chambres: 1
  • Vente en cours
  • Date de début: 14/01/2026 11:00
  • Date de fin: 22/01/2026 11:00
  • Pas d'enchère: 1000 €
  • Revenu Cadastral: 2848 €
  • Libre à partir du: A l'acte
  • GARSOU & SCHREIBER, notaires associés
  • Personne de contact: Caroline SCHREIBER
  • Tel: (085) 21.43.15
  • Email: caroline.schreiber@belnot.be
  • Informations de visite
  • Visites sur RDV avec Mr Jérome DIRICK au 04/277.18.77 - tapez 2, du lundi au samedi entre 9h et 19h.

Maisons

197 Emile Vandervelde, 6240 Pironchamps

Faire offre à partir de
50 000 €

Image de présentation du bien n° 290360
Vente de gré à gré
  • Référence: 290360
  • Maison d'habitation comprenant : Rez-de-chaussée : hall d'entrée, cuisine (non équipée), salle de bains (baignoire - W.C., lavabo), salon, salle à manger. Etage : 2 chambres, grenier (non aménageable), Confort : châssis PVC double vitrage, cave, convecteur charbon, attention : pas de jardin ni garage. Faire offre à partir de 50.000,00 euros. Libre à l'acte. Visites : G.I.L. Tél. 071/38.84.49 (option 1).
  • Nombre de chambres: 2
  • Revenu Cadastral: 282 €
  • Libre à partir du: A l'acte
  • PATERNOSTER, VAN CAUWENBERGH et POLLEUNIS,société notariale
  • Personne de contact: Didier DELAPAS
  • Tel: (071) 38.06.33
  • Email: etude@notaires-pa-pv.be
  • Informations de visite
  • G.I.L. au 071/38.84.49 (option 1)

Terrains

Place Arnold Franck, 4850 Moresnet

Faire offre à partir de
140 000 €

Image de présentation du bien n° 290361
Vente de gré à gré
  • Référence: 290361
  • Ein Teilbewaldetes Grundstück in Plombières - Moresnet Chapelle zu verkaufen. Die Flächengröße beträgt 782 Quadratmeter.
  • Libre à partir du: A l'acte
  • Jakubowski & Bocken, Notaires associés
  • Personne de contact: Fleur NIESSEN
  • Tel: (087) 74.20.63
  • Email: fleur.niessen.133413@belnot.be

Maisons

16 Pierre Debbautstraat, 8200 Sint-Michiels

Faire offre à partir de
475 000 €

Image de présentation du bien n° 290350
Vente de gré à gré
  • Référence: 290350
  • G score: A P score: A
  • Nombre de chambres: 3
  • Superficie habitable: 126m2
  • Nombre de salles de bains: 1
  • Revenu Cadastral: 714 €
  • Libre à partir du: A l'acte
  • VVD NOTARISVENNOOTSCHAP
  • Personne de contact: Anouchka DEMETS
  • Tel: (050) 40.40.40
  • Email: anouchka.demets.217345@belnot.be
  • Informations de visite
  • Bezoeken via geassocieerde notarissen Van Damme, Van Damme & Delaere: anouchka@vvdnotarissen.be - tel.: 050 40 40 40

Maisons

11 Route de Brienne, 6834 Bellevaux

Faire offre à partir de
275 000 €

Image de présentation du bien n° 290269
Vente de gré à gré
  • Référence: 290269
  • Au cœur du village de Bellevaux alliant le calme à la proximité des grands axes routiers: Ancienne ferme située sur un terrain de 33a 84ca, d’environ 40 m en façade à route, se composant comme suit : Dépendances : hangar sur un espace présentant environ 20 m en façade à route. Anciennes étables et très vaste fenil avec possibilités d’aménagement moyennant les autorisations nécessaires. Très belle vue dégagée à l’arrière de la maison Rez de chaussée : hall d’entrée, cuisine et vaste séjour donnant sur un très grand jardin Etage 1 : 3 chambres et une salle de bains Étage 2: très grand grenier aménageable
  • Nombre de chambres: 3
  • Nombre de salles de bains: 1
  • Revenu Cadastral: 453 €
  • Libre à partir du: A l'acte
  • Caroline RUELLE, Notaire
  • Personne de contact: Alain POCHET
  • Tel: (061) 27.70.78
  • Email: 050189614@belnot.be
  • Informations de visite
  • Pour les visites, merci de prendre contact au n° 0478/029.221 ou au 0494/84.61.64

Maisons

82 Schorsemolenstraat, 2860 Sint-Katelijne-Waver

Faire offre à partir de
170 000 €

Image de présentation du bien n° 290363
Vente publique en ligne
  • Référence: 290363
  • G score: A P score: A
  • Nombre de chambres: 3
  • Nombre de salles de bains: 1
  • Vente en cours
  • Date de début: 19/01/2026 11:00
  • Date de fin: 27/01/2026 11:00
  • Pas d'enchère: 1000 €
  • Revenu Cadastral: 535 €
  • Libre à partir du: A l'acte
  • Unilexa geassocieerde notarissen
  • Personne de contact: Evi CANNAERTS
  • Tel: (03) 457.01.46
  • Email: evi@unilexanotarissen.be
  • Informations de visite
  • Vrij te bezichtigen op zaterdag 3, 10, 17 en 24 januari 2026, telkens tussen 10u-12u

Maisons

178 Rue Franz Merjay, 1050 Ixelles

Faire offre à partir de
1 150 000 €

Image de présentation du bien n° 290302
Vente de gré à gré
  • Référence: 290302
  • Exceptionnelle Maison de Maître – Quartier Place Brugmann. Située dans l’un des quartiers les plus prisés de Bruxelles, à deux pas de la très recherchée Place Brugmann, cette maison de maître de prestige séduit par son charme intemporel, ses volumes remarquables et son potentiel rare. Dès l’entrée, vous serez impressionné par les pièces de séjour extrêmement vastes, baignées de lumière et sublimées par de magnifiques hauteurs sous plafond, typiques des demeures d’exception. Les éléments d’époque, soigneusement préservés, confèrent à l’ensemble une élégance et un cachet incomparables. La maison se compose de 7 chambres généreuses ainsi que de 3 salles de bains, permettant d’imaginer plusieurs configurations familiales ou professionnelles. Chaque niveau offre la possibilité de créer des espaces de vie confortables et harmonieux, adaptés aux besoins de chacun. À l’arrière, un petit jardin intime offre un agréable coin de verdure, idéal pour profiter des beaux jours en plein cœur de la ville. Le bien présente un potentiel de division en plusieurs unités de logement (sous réserve des autorisations urbanistiques nécessaires), ce qui en fait une opportunité rare tant pour les investisseurs que pour les amateurs de grandes demeures familiales. La maison est équipée de panneaux photovoltaïques.
  • Nombre de chambres: 7
  • Revenu Cadastral: 2498 €
  • Libre à partir du: A l'acte
  • LAMBERT Nicolas
  • Personne de contact: Nicolas LAMBERT
  • Tel: (02) 366.45.27
  • Email: nicolas.lambert@belnot.be
  • Informations de visite
  • Uniquement sur rendez-vous au 02/366.45.27

Maisons

31 Rue Henri Tillemans, 6200 Châtelineau

Faire offre à partir de
149 000 €

Image de présentation du bien n° 290376
Vente de gré à gré
  • Référence: 290376
  • Charmante maison 2 façades à rafraîchir, avec garage, grand terrain dont une partie potentiellement constructible, ainsi qu’un large passage carrossable. Elle est idéalement située dans un quartier calme et agréable, tout en étant à proximité immédiate de toutes les commodités (commerces, écoles, transports, axes routiers). Le rez-de-chaussée se compose d’un hall d’entrée, d’un salon, d’une salle à manger, d’une cuisine, d’une véranda et d’une salle de bain avec douche et WC. À l’étage, un hall de nuit dessert trois belles chambres indépendantes offrant de beaux volumes. Le sous-sol comprend une cave de stockage. Sur le plan technique, la maison dispose d’un chauffage central au gaz de ville, de nouveaux châssis en PVC double vitrage et de volets. Réception des offres à partir de 149.000 € pour l’ensemble immobilier. REFERENCES PEB : PEB E = 422 Kwh/m².an. N° 20251114002023.
  • Nombre de chambres: 3
  • Revenu Cadastral: 437 €
  • Libre à partir du: A l'acte
  • Charles DEBRAY, Notaire
  • Personne de contact: Carmelo FALSONE
  • Tel: (071) 38.00.14
  • Email: carmelo.falsone.201566@belnot.be
  • Informations de visite
  • Merci de prendre rendez-vous auprès de l'étude du Notaire Charles DEBRAY à Châtelet au 071/380014.

Maisons

62 Avenue des Fougères, 7100 La Louvière

Faire offre à partir de
210 000 €

Image de présentation du bien n° 290359
Vente de gré à gré
  • Référence: 290359
  • Offre actuelle en l'Etude: 210.000 euros. Bonne maison 3 façades avec garage, saine, bien agencée et comprenant: REZ: Hall d'entrée, salon, salle à manger, cuisine, véranda, jardin, garage. ETAGE: hall de nuit, 3 chambres, salle de bains. Chauffage central gaz avec chaudière à condensation récente (2019). Châssis PVC double vitrage. Grenier avec vélux. RC: 674 euros.
  • Nombre de chambres: 3
  • Nombre de salles de bains: 1
  • Revenu Cadastral: 674 €
  • Libre à partir du: Immédiatement
  • NOTAREUL
  • Personne de contact: Céline PILLOUD
  • Tel: (064) 44.23.06
  • Email: celine.pilloud.130682@belnot.be

Commerces

23 Breydelstraat, 2018 Antwerpen

Faire offre à partir de
375 000 €

Image de présentation du bien n° 290380
Vente publique en ligne
  • Référence: 290380
  • G score: A P score: A
  • Vente en cours
  • Date de début: 05/01/2026 10:00
  • Date de fin: 13/01/2026 10:00
  • Pas d'enchère: 1000 €
  • Revenu Cadastral: 4196 €
  • Libre à partir du: A l'acte
  • NotaLink Geassocieerde Notarissen
  • Personne de contact: Kantoor NOTALINK
  • Tel: (03) 535.18.20
  • Email: info@notalink.be
  • Informations de visite
  • Elke zaterdag van 09u30-11u30, vanaf 6 december tot en met 10 januari

Maisons

36 Sint-Jozefstraat, 2350 Vosselaar

Faire offre à partir de
419 000 €

Image de présentation du bien n° 290381
Vente de gré à gré
  • Référence: 290381
  • G score: B P score: B
  • Nombre de chambres: 3
  • Nombre de salles de bains: 1
  • Revenu Cadastral: 907 €
  • Libre à partir du: Immédiatement
  • Notaris Thomas Coeckelbergs
  • Personne de contact: Nathasia SLEGERS
  • Tel: (014) 68.94.60
  • Email: nathasia@notariscoeckelbergs.be

Maisons

42 Rue de la Paix, 4800 Ensival

Faire offre à partir de
250 000 €

Image de présentation du bien n° 290392
Vente de gré à gré
  • Référence: 290392
  • Composition: Sous-sol: grand garage, 2 caves, vide ventilé Rez: hall, living avec cheminée, 1 pièce ou chambre, cuisine, sas d'accès au jardin, buanderie, 3 chambres, SDB (grande douche, WC, évier) Grand jardin (598 m²) avec grande terrasse betonnée et abri de jardin Equipement: chauffage central gaz (chaudière murale HR), châssis PVC DV avec volets, électricité à remettre en conformité, toiture plate-forme. 159 m² habitables. Construction 1952. 4 façades. Situation pratique à quelques pas des commerces et services du centre d'Ensival. Facilité d'accès à l'autoroute E42. Libre à l'acte. Visites: contacter Monsieur Fauchet (indépendant chargé des visites) au 0473/57.17.58
  • Nombre de chambres: 4
  • Superficie habitable: 159m2
  • Nombre de salles de bains: 1
  • Revenu Cadastral: 1016 €
  • Libre à partir du: A l'acte
  • LAGUESSE et STOCKART - Notaires associés
  • Personne de contact: Michel CANFIN
  • Tel: (087) 33.08.33
  • Email: michel.canfin.201160@belnot.be
  • Informations de visite
  • contacter Monsieur Fauchet (indépendant chargé des visites) au 0473/57.17.58

Terrains

21 Kasteelweg, 2310 Rijkevorsel

Faire offre à partir de
387 000 €

Image de présentation du bien n° 290382
Vente de gré à gré
  • Référence: 290382
  • P score: D
  • Libre à partir du: A l'acte
  • PHILIPPE VERLINDEN, NOTARIS
  • Personne de contact: Jorga OOMEN
  • Tel: (03) 314.56.46
  • Email: jo@notariaatrijkevorsel.be

Maisons

75 Rue Wagner, 4100 Boncelles

Faire offre à partir de
280 000 €

Image de présentation du bien n° 290366
Vente de gré à gré
  • Référence: 290366
  • Boncelles, rue Wagner, 75 : Belle propriété, construite sur une parcelle de terrain de plus de 3.500 m² (situé en zone d'habitat au plan de secteur), située en retrait de la rue Wagner (seconde zone). La propriété est composée d'une maison d'habitation et d'un appartement, situé sur la droite (non reconnu actuellement d’un point de vue administratif/urbanistique). COMPOSITION : 1. LA MAISON D'HABITATION : REZ-DE-CHAUSSEE sur charpente béton – totalement carrelé :: un hall d’entrée de 14,28 m² (4,20*3,40) – un WC de 2,57 m² (1,35*1,90) – une cuisine équipée de 27,23 m² (5,65*4,82) – un séjour de 36,55 m² (8,50*4,30) – un local chaufferie de 7,41 m² (4,36*1,70) 1er ETAGE sur charpente bois – plancher au sol : un hall de nuit – 3 chambres de 15,30 (5,10*3,00) – 10,29 (4,20*2,45) et de 12,08 m² (3,45*3,50) – une salle de bain, composée de d’’une baignoire, d’une douche, d’un lavabo double et wc. 2ème ETAGE sur charpente bois – quickstep au sol : une chambre 2. L'APPARTEMENT REZ-DE-CHAUSSE : une cuisine de 11,99 m² (2,35*5,10) – salon de 17,80 m² (3,56*5,00) – une salle de bain de 7,84 m² (3,50*2,24) 1er ETAGE : une chambre de 14,03 m² (2,75*5,10) RENSEIGNEMENTS DIVERS : Chauffage central au mazout – cuve de 2,500l à l’extérieur – châssis double vitrage en PVC – pas de volets – Installation électrique bi-horaire pas aux normes – pas de panneaux photovoltaïques – toiture en tuiles isolée - alarme– jardin sur le pourtour de la maison – pas relié à l’égout (fosses sceptiques) - deux garages - certificat PEB : F – R.C. : 541,00 euros
  • Nombre de chambres: 4
  • Revenu Cadastral: 541 €
  • Libre à partir du: A l'acte
  • PONSGEN & SALERNO, notaires associés
  • Personne de contact: Laurent VERMERSCH
  • Tel: (04) 337.07.53
  • Email: laurent.vermersch.168385@belnot.be

Maisons

17 Voie du Prêtre, 7370 Dour

Faire offre à partir de
95 000 €

Image de présentation du bien n° 290369
Vente de gré à gré
  • Référence: 290369
  • Maison d’habitation, comprenant : RDC : salle à manger, salon, cuisine semi-équipée, salle de bains 1er étage : palier, 2 chambres 2e étage : grenier partiellement aménagé Extérieurs : cour, remises Terrain en nature de jardin de l’autre côté de la rue d’une superficie de 129 m² (possibilité d’y construire 1 ou 2 garages moyennant obtention d’un permis préalable) Châssis partiellement SV, partiellement DV (certains avec volets)
  • Nombre de chambres: 2
  • Revenu Cadastral: 295 €
  • Libre à partir du: A définir
  • Anne WUILQUOT et Emmanuel NIZET, notaires associés
  • Personne de contact: Félicia SALEMI
  • Tel: (065) 71.81.20
  • Email: felicia.salemi.352189@belnot.be

Terrains

35 Berkenlaan, 2380 Ravels

Faire offre à partir de
210 000 €

Image de présentation du bien n° 290387
Vente de gré à gré
  • Référence: 290387
  • P score: A
  • Revenu Cadastral: 2 €
  • Libre à partir du: A l'acte
  • NOTURA - Segers, Eyskens en Luyten
  • Personne de contact: Annelies VAN BEURDEN
  • Tel: (014) 42.51.51
  • Email: annelies.vanbeurden.132316@belnot.be
  • Informations de visite
  • Vrij te bezoeken

Terrains

Paalseweg, 3980 Tessenderlo-Ham

Faire offre à partir de
145 000 €

Image de présentation du bien n° 290374
Vente de gré à gré
  • Référence: 290374
  • P score: A
  • Libre à partir du: A l'acte
  • Vertessen & Op´t eynde - geassocieerde notarissen
  • Personne de contact: Stephanie VAN BAEKEL
  • Tel: (013) 67.84.44
  • Email: stephanie.vanbaekel.178715@belnot.be

Terrains

Noordstraat, 2470 Retie

Faire offre à partir de
120 000 €

Image de présentation du bien n° 290315
Vente publique en ligne
  • Référence: 290315
  • P score: A
  • Vente en cours
  • Date de début: 10/12/2025 14:00
  • Date de fin: 18/12/2025 14:00
  • Pas d'enchère: 1000 €
  • Libre à partir du: Immédiatement
  • Notariskantoor Mia Willemsen
  • Personne de contact: Kantoor Not. Mia Willemsen
  • Tel: (014) 38.98.21
  • Email: kantoor@notariswillemsen.be
  • Informations de visite
  • vrij

Maisons

59 Parijslaan, 2660 Hoboken

Faire offre à partir de
226 800 €

Image de présentation du bien n° 290354
Vente publique en ligne
  • Référence: 290354
  • Découvrez cette maison spacieuse et calme située à Hoboken. La maison comprend 5 chambres et 2 salles de bains, idéales pour les familles nombreuses. Le salon lumineux et spacieux au premier étage est relié à la cuisine pratique. Avec un garage et un jardin ensoleillé, vous profiterez d'un confort et d'une détente supplémentaires. G score: A P score: A
  • Nombre de chambres: 5
  • Superficie habitable: 186m2
  • Nombre de salles de bains: 2
  • Vente en cours
  • Date de début: 19/01/2026 13:00
  • Date de fin: 27/01/2026 13:00
  • Pas d'enchère: 1000 €
  • Revenu Cadastral: 1140 €
  • Libre à partir du: A l'acte
  • LaTo
  • Personne de contact: Kantoor LATO Notarissen
  • Tel: (03) 827.10.38
  • Email: info@lato.be
  • Informations de visite
  • - Mardi 6/1/2026, 13/1/2026 et 20/1/2026 de 18h30 à 19h30; et - Samedi 10/1/2026, 17/1/2026 et 24/1/2026 de 14h00 à 15h00.

Terrains

13 Stuyfbergen, 9220 Moerzeke

Faire offre à partir de
12 500 €

Image de présentation du bien n° 290357
Vente publique en ligne
  • Référence: 290357
  • P score: A
  • Vente en cours
  • Date de début: 13/01/2026 15:00
  • Date de fin: 21/01/2026 15:00
  • Pas d'enchère: 500 €
  • Libre à partir du: Immédiatement
  • SVEN HEYVAERT, NOTARISVENNOOTSCHAP
  • Personne de contact: Jade NELIS
  • Tel: (052) 47.70.83
  • Email: jade@notarisheyvaert.be
  • Informations de visite
  • vrij

Maisons

13-15 Rue du Collège, 6200 Châtelet

Faire offre à partir de
180 000 €

Image de présentation du bien n° 290362
Vente de gré à gré
  • Référence: 290362
  • Situé à proximité du centre de Châtelet et proche de toutes commodités., cet ancien bureau de poste offre de grands espaces et nécessite une rénovation complète. Le bâtiment est agencé sur plusieurs niveaux pour une surface totale de 356 m2.
  • Nombre de chambres: 4
  • Revenu Cadastral: 1041 €
  • Libre à partir du: A l'acte
  • Etude FLAMENG, Société Notariale
  • Personne de contact: Jessica OLIVIERI
  • Tel: (071) 38.10.79
  • Email: jessica.olivieri.128801@belnot.be

Maisons

20 Rue Henri Debavay, 7700 Mouscron

Faire offre à partir de
149 000 €

Image de présentation du bien n° 290364
Vente de gré à gré
  • Référence: 290364
  • Dans un quartier calme et idéalement située à proximité directe du Centre-Ville de Mouscron, cette maison 2 façades se compose comme suit : Rez-de-chaussée : Hall d’entrée, un salon, salle à manger, une cuisine semi-équipée (four, taque vitrocéramique et évier simple), un WC, une salle de bain, une buanderie. Une cave saine. Un jardin clôturé avec terrasse et annexes. Au 1er étage : un palier desservant 2 grandes chambres. Au 2e étage : deux chambres supplémentaires. Equipements : convecteurs au gaz (4 au rez-de-chaussée, 3 à l’étage), châssis double et simple vitrages, citerne. Tout à l’égout. Points d’attention : - Compteur d’eau à déplacer au rez-de-chaussée - Fil électrique en tissu sur la façade à remplacer impérativement Visites : prendre contact avec l’étude au (056) 33.00.05 Superficie : 196 m² - surface habitable : 154 m² Revenu cadastral non indexé: 510,00 € PEB classe F - PEB No 20251111002304 E spec : 447 kWh/m².an – E totale : 68.763 kWh/an
  • Nombre de chambres: 4
  • Nombre de salles de bains: 1
  • Revenu Cadastral: 510 €
  • Libre à partir du: A l'acte
  • NOTAIRE AURELIE STORME
  • Personne de contact: Jean-Pascal CASTERMAN
  • Tel: (056) 33.00.05
  • Email: jeanpascal.casterman.106641@belnot.be
  • Informations de visite
  • Visites : prendre contact avec l’étude au (056) 33.00.05

Maisons

90 Sentier Saint-Jacques, 6060 Gilly

Faire offre à partir de
190 000 €

Image de présentation du bien n° 290273
Vente de gré à gré
  • Référence: 290273
  • Villa avec garage et jardin d'une superficie de 18 ares et 48 ca, située à Gilly, Sentier Saint-Jacques, 90 et composée comme suit : - Au sous-sol : cave - Au rez-de-chaussée : un hall d’entrée (+/- 8 m² + 14,5 m²), une salle à manger (+/-16 m²), un salon (+/- 17,5 m²), une cuisine (+/- 18 m²), une buanderie (+/- 10 m²), une salle de bain (+/- 3 m²) et un WC (+/- 1 m²). - Au 1er étage : un hall de nuit (+/- 14 m²), 2 chambres (+/- 17,5 m² et 18,5 m²) et un bureau avec balcon (+/- 8 m²). - Grenier Remise attenante avec garage. Jardin avant et arrière. Châssis en bois simple vitrage. PEB : G. Chauffage au mazout. RC : 857€. Faire offre à partir de 190.000€. Les visites s'effectuent du lundi au vendredi de 16h30 à 19h. Uniquement sur RDV au 071/41.45.34.
  • Nombre de chambres: 2
  • Nombre de salles de bains: 1
  • Revenu Cadastral: 857 €
  • Libre à partir du: A l'acte
  • Gilles FRANCE Notaire
  • Personne de contact: Charlotte METZ
  • Tel: (071) 41.45.34
  • Email: charlotte.metz.127191@belnot.be
  • Informations de visite
  • Les visites s'effectuent du lundi au vendredi de 16h30 à 19h. Uniquement sur RDV au 071/41.45.34

Maisons

54 Rue de Pittsburgh, 6000 Charleroi

Faire offre à partir de
120 000 €

Image de présentation du bien n° 290375
Vente de gré à gré
  • Référence: 290375
  • Maison d’habitation avec 3 chambres et jardin se composant comme suit: SOUS-SOL : 3 caves (2 grandes et 1 plus petite). REZ-DE-CHAUSSEE : hall, cuisine semi équipée avec coupole (puit de lumière), grande véranda double vitrage- ouverture complète, salon, salle à manger, salle de bains avec WC, jardin avec petit escalier pour y descendre. 1er ETAGE : hall de nuit, 2 chambres. Grenier : une grande chambre, grenier. Chauffage central au gaz (boiler de janvier 2025) – toiture en bon état – volets partout. Bien libre d’occupation à l’acte authentique. VISITES : sur rendez-vous auprès de la société GIL au 071/38.84.49.
  • Nombre de chambres: 3
  • Nombre de salles de bains: 1
  • Revenu Cadastral: 356 €
  • Libre à partir du: A l'acte
  • Clarence BALIEUX - NOTAIRE
  • Personne de contact: Julie BRESCIANI
  • Tel: (071) 31.01.30
  • Email: clarence.balieux@belnot.be
  • Informations de visite
  • Visites sur rendez-vous auprès de la société GIL au 071/38.84.49

Maisons

91 Rue Léopold, 7080 La Bouverie

Faire offre à partir de
85 000 €

Image de présentation du bien n° 290384
Vente de gré à gré
  • Référence: 290384
  • Maison 3 façades comprenant: Grand séjour, Cuisine équipée avec taques vitrocéramiques, salle de bain avec nouveau boiler Etage: 2 chambres, grand grenier. Sous-sol: cave sèches Cour, Jardin Chauffage central au mazout, Châssis double vitrage.
  • Nombre de chambres: 2
  • Nombre de salles de bains: 1
  • Revenu Cadastral: 558 €
  • Libre à partir du: A l'acte
  • Christophe CAUCHIES, Notaire
  • Personne de contact: Line DELVIGNE
  • Tel: (065) 67.21.78
  • Email: line.delvigne.112367@belnot.be
  • Informations de visite
  • renseignements en l'étude

Maisons

2 Rue Gadiot, 4690 Bassenge

Faire offre à partir de
101 500 €

Image de présentation du bien n° 290353
Vente publique en ligne
  • Référence: 290353
  • Maison à haut potentiel à rafraichir & parachever. Spacieuse maison d'habitation en cours de rénovation située en zone rurale, à proximité de Visé. Rez de chaussée: hall d'entrée (16 mètres carrés), débarras et WC. Cuisine résolument moderne full équipée de 35 mètres carrés, salon (34 mètres carrés) et salle à manger (22 mètres carrés) sur parquet. A l'étage: un hall de nuit, 2 chambres de 26 et 14 mètres carrés. Salle de bains avec baignoire et douche à l'italienne. Grenier aménageable de 42 mètres carrés Cave en sous sol Terrasse, garage cour et jardin Electricité conforme. Châssis PVC double vitrage, panneaux photovoltaïques, poêle à pellets.
  • Nombre de chambres: 2
  • Nombre de salles de bains: 1
  • Vente en cours
  • Date de début: 05/01/2026 12:00
  • Date de fin: 13/01/2026 12:00
  • Pas d'enchère: 1000 €
  • Revenu Cadastral: 431 €
  • Libre à partir du: A définir
  • Philippe BOVEROUX - Alain GUINTENS, notaires associés
  • Personne de contact: Delphine DEVILLE
  • Tel: (04) 286.20.85
  • Email: delphine.deville.102053@belnot.be
  • Informations de visite
  • Visite sur RDV du Lundi au Samedi entre 9h et 19h. Chargé de visites: Mr Jérôme DIRICKS (jerome@advaloris.be) Appelez le 04/277.18.77 et tapez 2

Maisons

6 Rue Neuve, 7090 Braine-le-Comte

Faire offre à partir de
195 000 €

Image de présentation du bien n° 290388
Vente de gré à gré
  • Référence: 290388
  • Maison d’habitation 2 façades à rénover et se compose au RDC : d’un hall d’entrée, d’un salon, d’une salle à manger, d’une salle à déjeuner, d’une cuisine, d’une toilette, d’une buanderie, d’un préau, d’une cour et d’une remise. Au 1 er étage : un palier et deux chambres. Au 2ème étage : un palier, une chambre et un grenier aménageable. Grenier non aménageable. PEB E et électricité non conforme.
  • Nombre de chambres: 3
  • Revenu Cadastral: 541 €
  • Libre à partir du: A l'acte
  • Amélie Lecomte & Alexandre Lecomte, Notaires associés
  • Personne de contact: Alexandra VIANA DA SILVA
  • Tel: (067) 55.08.20
  • Email: alexandra.vianadasilva.352248@belnot.be

Maisons

7390 Wasmuel

Faire offre à partir de
180 000 €

Image de présentation du bien n° 288774
Vente de gré à gré
  • Référence: 288774
  • OFFRE ACTUELLE : 180.000, 00€ Maison deux façades située à Wasmuel composée comme suit : - Au rez-de-chaussée : entrée sur pièce à vivre spacieuse et lumineuse, cuisine équipée avec coin repas, salle de bain avec douche à l'italienne et WC séparé. - Au premier étage : hall de nuit et 2 chambres, possibilité d'aménager en 3 chambres. - Grenier accessible par trappe. - Les extérieurs : terrasse avec pergola et beau jardin. Informations supplémentaires : Cave, tout à l'égout : ok, chauffage central gaz de ville, bon état général, problème d'infiltration dans la cuisine au niveau de la plateforme : devis disponible, le propriétaire se réserve la jouissance du bien au plus tard 6 mois après la signature de l'acte.
  • Nombre de chambres: 3
  • Superficie habitable: 147m2
  • Nombre de salles de bains: 1
  • Revenu Cadastral: 428 €
  • Libre à partir du: A définir
  • Dirosa, Jeanine
  • Personne de contact: Justine CARDON
  • Tel: (065) 78.38.23
  • Email: justine.cardon.107292@belnot.be
  • Informations de visite
  • S'adresser en l'étude - 065/78.38.23.

Maisons

30 Twaalfde-Liniestraat, 8520 Kuurne

Faire offre à partir de
207 000 €

Image de présentation du bien n° 290346
Vente de gré à gré
  • Référence: 290346
  • G score: A P score: D
  • Nombre de chambres: 2
  • Nombre de salles de bains: 1
  • Revenu Cadastral: 304 €
  • Libre à partir du: A définir
  • DENYS-MONTEYNE, Geassocieerde Notarissen
  • Personne de contact: Bernard DENYS
  • Tel: 0478/23.00.54
  • Email: bernard.denys@belnot.be

Terrains

Sint-Jacobusstraat, 3550 Heusden

Faire offre à partir de
69 000 €

Image de présentation du bien n° 290297
Vente publique
  • Référence: 290297
  • P score: A
  • Libre à partir du: A l'acte
  • NOTARIS TRUUS JASPERS
  • Personne de contact: Kantoor Not. Truus Jaspers
  • Tel: (011) 28.63.86
  • Email: tekoop@vjnotarissen.be

Terrains

Sint-Jacobusstraat, 3550 Heusden

Faire offre à partir de
73 000 €

Image de présentation du bien n° 290301
Vente publique
  • Référence: 290301
  • P score: A
  • Libre à partir du: A l'acte
  • NOTARIS TRUUS JASPERS
  • Personne de contact: Kantoor Not. Truus Jaspers
  • Tel: (011) 28.63.86
  • Email: tekoop@vjnotarissen.be

Terrains

Dorpsstraat, 2221 Booischot

Faire offre à partir de
10 900 €

Image de présentation du bien n° 290048
Vente de gré à gré
  • Référence: 290048
  • Een perceel achterliggende grond, gelegen te Booischot, De Heivelden, ten kadaster bekend 6° afdeling, sectie C, nummer 1158R P0000, met een oppervlakte van 1.090 m². Perceel beboste grond gelegen in woonuitbreidingsgebied.
  • Revenu Cadastral: 5 €
  • Libre à partir du: A l'acte
  • VAN ERMENGEM & DE GRAEF, NOTARISSEN
  • Personne de contact: Annelies VANSTRAELEN
  • Tel: (014) 34.75.70
  • Email: annelies.vanstraelen.460028@belnot.be
  • Informations de visite
  • Dit perceel is vrij te bezoeken

Appartements

349 Steynstraat, 2660 Hoboken

Faire offre à partir de
92 960 €

Image de présentation du bien n° 290304
Vente publique en ligne
  • Référence: 290304
  • Découvrez ce charmant appartement situé dans la Steynstraat à Hoboken. L'appartement dispose d'une cuisine entièrement équipée, d'une salle de bains, de toilettes séparées, de deux chambres et d'un balcon. Son emplacement est idéal : vous trouverez à quelques pas des supermarchés, des cafés, des écoles et les transports en commun. G score: A P score: A
  • Nombre de chambres: 2
  • Superficie habitable: 70m2
  • Nombre de salles de bains: 1
  • Vente en cours
  • Date de début: 26/01/2026 13:00
  • Date de fin: 03/02/2026 13:00
  • Pas d'enchère: 1000 €
  • Revenu Cadastral: 778 €
  • Libre à partir du: A l'acte
  • LaTo
  • Personne de contact: Julie CORSTJENS
  • Tel: (03) 827.10.38
  • Email: jc@lato.be
  • Informations de visite
  • Mercredi 14/1/2026, 21/1/2026 et 28/1/2026 de 18h30 à 19h30; en Samedi 17/1/2026, 24/1/2026 et 31/1/2026 de 13h00 à 14h00.

Maisons

5 Impasse de la Lisière, 7090 Hennuyères

Faire offre à partir de
160 000 €

Image de présentation du bien n° 289993
Vente de gré à gré
  • Référence: 289993
  • PEB 20250701025360 Ss : 1 cave avec chaufferie REZ hall d’entrée, salle à manger, cuisine équipée, salon, 1 chambre/bureau, salle de bains avec wc ETAGE :hall de nuit, 3 chambres, salle d’eau avec wc Jardin arboré. Divers : châssis DV, chauffage central mazout, station d’épuration commune, Possibilité d’acquérir un garage LIBRE A LA VENTE : oui SUPERFICIE : 2a70 REVENU CADASTRAL : 468 Visites sur RDV avec l’Etude les jeudis de 13h à 15h et samedi de 10hà 12h OFFRES A PARTIR DE : 160.000,00€
  • Nombre de chambres: 3
  • Revenu Cadastral: 468 €
  • Libre à partir du: Immédiatement
  • Jean-Pierre Derue, société notariale
  • Personne de contact: Caroline COLINET
  • Tel: (064) 66.20.45
  • Email: caroline.colinet.129379@belnot.be

Maisons

7 Impasse de la Lisière, 7090 Hennuyères

Faire offre à partir de
145 000 €

Image de présentation du bien n° 290306
Vente de gré à gré
  • Référence: 290306
  • PEB20250701025495 SS 2 petites caves REZ Vaste living, cuisine meublée, salle de bains avec wc et bidet, joli jardin arboré ETAGE : hall d’entrée 2 chambres Divers : Chauffage central au mazout, citerne 2700l enterrée, station d’épuration commune, VISITES : sur RDV jeudi de 13h00 à 15h00 et samedi 10h00 à 12h00 Possibilité d’acquérir un garage LIBRE A LA VENTE : oui SUPERFICIE : 4a00ca REVENU CADASTRAL : 418 OFFRES A PARTIR DE : 145.000,00€
  • Nombre de chambres: 2
  • Revenu Cadastral: 418 €
  • Libre à partir du: A l'acte
  • Jean-Pierre Derue, société notariale
  • Personne de contact: Caroline COLINET
  • Tel: (064) 66.20.45
  • Email: caroline.colinet.129379@belnot.be

Appartements

89 Jules Moretuslei, 2610 Wilrijk

Faire offre à partir de
142 100 €

Image de présentation du bien n° 290310
Vente publique en ligne
  • Référence: 290310
  • Découvrez cet appartement lumineux situé sur la Jules Moretuslei à Wilrijk, avec un accès facile à l'A12 et à l'E19. Le salon spacieux avec cuisine ouverte constitue le cœur de la maison. L'appartement dispose également d'une salle de bains soignée, de toilettes séparées et de deux chambres. Son emplacement est un véritable atout : à quelques pas, vous trouverez des magasins, des supermarchés, des écoles, des restaurants, etc. G score: D P score: D
  • Nombre de chambres: 2
  • Superficie habitable: 91m2
  • Nombre de salles de bains: 1
  • Vente en cours
  • Date de début: 19/01/2026 13:00
  • Date de fin: 27/01/2026 13:00
  • Pas d'enchère: 1000 €
  • Revenu Cadastral: 795 €
  • Libre à partir du: A l'acte
  • LaTo
  • Personne de contact: Julie CORSTJENS
  • Tel: (03) 827.10.38
  • Email: jc@lato.be
  • Informations de visite
  • - Mercredi 7/1/2026, 14/1/2026 et 21/1/2026 de 18h30 à 19u30; et - Samedi 10/1/2026, 17/1/2026 et 24/1/2026 de 14h00 à 15h00.

Terrains

Hoogstraat, 3560 Lummen

Faire offre à partir de
165 000 €

Image de présentation du bien n° 290316
Vente de gré à gré
  • Référence: 290316
  • P score: A
  • Revenu Cadastral: 1 €
  • Libre à partir du: A l'acte
  • VERELST & VERELST, GEASSOCIEERDE NOTARISSEN
  • Personne de contact: Domien BUEKERS
  • Tel: (013) 38.00.00
  • Email: domien.buekers.351871@belnot.be

Terrains

Hoogstraat, 3560 Lummen

Faire offre à partir de
170 000 €

Image de présentation du bien n° 290319
Vente de gré à gré
  • Référence: 290319
  • P score: A
  • Libre à partir du: A l'acte
  • VERELST & VERELST, GEASSOCIEERDE NOTARISSEN
  • Personne de contact: Domien BUEKERS
  • Tel: (013) 38.00.00
  • Email: domien.buekers.351871@belnot.be

Terrains

Sapstraat, 3740 Grote-Spouwen

Faire offre à partir de
118 000 €

Image de présentation du bien n° 290325
Vente de gré à gré
  • Référence: 290325
  • P score: A
  • Libre à partir du: A l'acte
  • DELTA Notarissen
  • Personne de contact: Ilse BOUMANS
  • Tel: (011) 15.33.33
  • Email: ilse.boumans@deltanotaissen.be

Maisons

3 Bochtestraat, 2260 Westerlo

Faire offre à partir de
359 000 €

Image de présentation du bien n° 289477
Vente de gré à gré
  • Référence: 289477
  • G score: A P score: C
  • Nombre de chambres: 2
  • Revenu Cadastral: 832 €
  • Libre à partir du: A l'acte
  • Notariaat VAN HEMELDONCK
  • Personne de contact: Evelien BROSENS
  • Tel: (014) 26.63.69
  • Email: evelien.brosens.130914@belnot.be

Maisons

80 Rue de Rochefort, 5570 Beauraing

Faire offre à partir de
120 000 €

Image de présentation du bien n° 290308
Vente publique
  • Référence: 290308
  • Maison 3 façades en excellent état général avec jardin plein sud et vue imprenable sur les campagnes se composant de : Au rez-de-chaussée : hall d’entrée, grand living avec cheminée, cuisine totalement équipée. Au premier étage : 3 chambres, 2 salles de bains. Au deuxième étage : 2 chambres, espace bureau. Entièrement cavée. Garage double en profondeur. Extérieur : espace bar, terrasse couverte avec barbecue, jardin, grande terrasse. A proximité de l’autoroute, des écoles et des commerces. Facilités de parking. Jouissance rapprochée. Châssis triple vitrage récent. Chauffage central mazout à condensation. Nouvelle toiture isolée. PEB : D (consommation spécifique d’énergie primaire 332 kWh/m² an). Mise à prix : 120.000 EUR. Visites : sur rendez-vous pris avec NOTAVISIT au 0477/20.79.78.
  • Nombre de chambres: 5
  • Nombre de salles de bains: 2
  • Revenu Cadastral: 657 €
  • Libre à partir du: A l'acte
  • Philippe LAURENT, société notariale
  • Personne de contact: Hugo RIVIR
  • Tel: (082) 71.14.24
  • Email: hugo.rivir.133918@belnot.be
  • Informations de visite
  • Sur RDV avec Notavisit au 0477/20.79.78.

Maisons

105 Rue du Moulin, 5600 Philippeville

Faire offre à partir de
165 000 €

Image de présentation du bien n° 290326
Vente de gré à gré
  • Référence: 290326
  • Maison de ville située à Philippeville, rue du Moulin 105, comprenant au rez-de-chaussée : hall, cuisine équipée (avec hotte, évier, four, taques vitrocéramiques, lave-vaisselle, frigo, congélateur), salle à manger, salon avec feu ouvert (cheminée à tuber), WC, à l'étage : hall de nuit, trois chambres (dont une de passage), salle de bains avec baignoire (avec douche), WC, simple lavabo. Grenier aménageable, cour. Equipements: eau, électricité, téléphone, télédistribution, égouts, chauffage central mazout, citerne de 2.800 litres, châssis en bois double vitrage, toiture en éternit, volets extérieurs manuels, alarme Verisure. Immeuble en très bon état d'entretien mais à rafraichir partiellement, idéalement située, proche de toutes les facilités, commerces, écoles,... Contenance : 1 are 02 centiares Revenu cadastral non-indexé : 448,00 € !!! Attention !!! Le bien ne sera pas vidé par le vendeur. Tout ce qui s’y trouve y restera, sous réserve des effets personnels. Tous les meubles meublants, en ce compris le lave-linge et le sèche-linge, à l’exception toutefois de deux tapis, sont compris dans la vente et ne seront pas enlevés. Faire offre à partir de 165.000 euros. Pour tout renseignement/visite: s'adresser en l'étude ou à l'adresse marie.noel.127910@belnot.be
  • Nombre de chambres: 3
  • Nombre de salles de bains: 1
  • Revenu Cadastral: 448 €
  • Libre à partir du: A l'acte
  • Losseau, Marie
  • Personne de contact: Marie NOËL
  • Tel: (071) 66.64.17
  • Email: marie.noel.127910@belnot.be
  • Informations de visite
  • Sur rendez-vous

Terrains

15 Briscol, 6997 Erezée

Faire offre à partir de
150 000 €

Image de présentation du bien n° 273768
Vente de gré à gré
  • Référence: 273768
  • A la recherche d'un beau terrain avec une vue dégagée sur Erezée? Nous avons ce qu'il vous faut! L'Etude Piérard&Dumoulin² vous présente cette parcelle de 35 ares située dans le charmant village de Briscol, dans la Commune d'Erezée. Disposant d'une largeur à rue d'environ 45m et d'une profondeur de 78m, ce terrain est idéalement orienté au sud-ouest permettant ainsi de profiter d'un ensoleillement maximal. Les futurs propriétaires pourront également bénéficier d'un chouette vue dégagée sur les campagnes. Eau et électricité à proximité. Intéressés? Informations et visites au 084/320.320!
  • Revenu Cadastral: 40 €
  • Libre à partir du: A l'acte
  • PIERARD & DUMOULIN²
  • Personne de contact: Guillaume DUMOULIN
  • Tel: (084) 32.03.20
  • Email: guillaume.dumoulin.460008@belnot.be

Appartements

14 Rue du Pont des Ardennes, 5100 Jambes

Faire offre à partir de
180 000 €

Image de présentation du bien n° 290329
Vente de gré à gré
  • Référence: 290329
  • Situé dans le centre de Jambes à proximité immédiate du bord de Meuse et de toutes commodités, cet appartement logé au 4ème étage (avec ascenseur), sera idéal comme première acquisition ou investissement. Composé d’un lumineux séjour offrant une vue dégagée sur la Citadelle de Namur, une cuisine équipée, un dressing, une chambre, une salle de bains, une toilette séparée, un long balcon, une cave et un garage privatif, ce logement fait partie d’une copropriété de 10 appartements, sécurisée et bien tenue. Chauffage central gaz de ville, châssis double vitrage, PEB-A, électricité non-conforme . Revenu cadastral 976,00€. Prix souhaité : 180.000,00€ Renseignements et visites en l’étude au 081/30.73.01
  • Nombre de chambres: 1
  • Nombre de salles de bains: 1
  • Libre à partir du: A l'acte
  • Philippe BALTHAZAR & Géraldine VAN BILSEN, Notaires associés
  • Personne de contact: Anne-Catherine GERARD
  • Tel: (081) 30.23.69
  • Email: annecatherine.gerard.129411@belnot.be
  • Informations de visite
  • Renseignements et visites en l’étude au 081/30.73.01

Maisons

43 Rue Sainte-Reine, 1300 Wavre

Faire offre à partir de
230 000 €

Image de présentation du bien n° 290332
Vente publique en ligne
  • Référence: 290332
  • Maison à Wavre - historiquement maison de commerce - rez-de-chaussée stockage et deux logements aménagés aux étages sans permis
  • Nombre de chambres: 5
  • Vente en cours
  • Date de début: 13/01/2026 15:00
  • Date de fin: 21/01/2026 15:00
  • Pas d'enchère: 1500 €
  • Revenu Cadastral: 2059 €
  • Libre à partir du: A l'acte
  • n² notaires
  • Personne de contact: Yves SOMVILLE
  • Tel: (010) 61.22.40
  • Email: info@n2notaires.be
  • Informations de visite
  • Visites sur place uniquement sur rendez vous préalable en contactant l'étude notariale au 010/ 61 22 40

Maisons

37 Rue de Wérihet, 4480 Hermalle-sous-Huy

Faire offre à partir de
149 000 €

Image de présentation du bien n° 290331
Vente de gré à gré
  • Référence: 290331
  • Nous vous présentons cette spacieuse maison 3 façades, à rénover entièrement, située dans le village d'Hermalle-sous-Huy. Reposant sur un terrain de 900 m², la maison dispose également d'un grand garage accessible par une allée latérale. D'une superficie habitable de +- 115m², la maison se compose comme suit : Au rez-de-chaussée : un hall d'entrée menant à la cuisine, une chambre, une salle de bain, un WC, et une pièce de vie spacieuse. Au 1er étage : deux belles chambres dont une donnant accès au grenier. Au 2ème étage : grenier aménageable. En plus, vous pourrez bénéficier de beaux espaces au sous-sol de l'immeuble. Le tout agrémenté d'un grand jardin. Aspects techniques: chauffage central au mazout (citerne de 3.000 litres), châssis PVC double vitrage et volets manuels, électricité non conforme, PEB G (569 kWh/m².an) n°20251105008803. Faire offre à partir de 149.000,00 euros sous réserve d'acceptation.
  • Nombre de chambres: 2
  • Superficie habitable: 115m2
  • Nombre de salles de bains: 1
  • Revenu Cadastral: 475 €
  • Libre à partir du: A l'acte
  • Charlotte LABEYE et Ophélie LALLEMEND, Société Notariale
  • Personne de contact: Mathilde RIGA
  • Tel: (04) 233.81.15
  • Email: mathilde.riga.353186@belnot.be
  • Informations de visite
  • Visites sur RDV avec Md RIGA au 04/234.92.63 ou par mail (mathilde.riga.353186@belnot.be).

Maisons

61 Rue Auguste Varet, 6250 Aiseau

Faire offre à partir de
180 000 €

Image de présentation du bien n° 290314
Vente de gré à gré
  • Référence: 290314
  • OFFRE ACTUELLE : 185.000,00 euros. Maison d'habitation 4 façades. Composition : SOUS-SOL : une petite cave et un garage ; REZ-DE-CHAUSSE : hall d'entrée, living, pièce arrière avec chaudière, petite cuisine non équipée, salle de bain avec wc, baignoire et lavabo, deux chambres; PREMIER ETAGE : hall de nuit, une chambre, une deuxième chambre sous combles avec accès au grenier ; GRENIER aménageable; EXTERIEUR : petite cour couverte, très grand jardin en hauteur et remises
  • Nombre de chambres: 4
  • Nombre de salles de bains: 1
  • Revenu Cadastral: 899 €
  • Libre à partir du: A l'acte
  • Cathy PARMENTIER, Notaire
  • Personne de contact: Julie VANDEN BERGHE
  • Tel: (071) 77.12.91
  • Email: julie.vandenberghe.217640@belnot.be
  • Informations de visite
  • En téléphonant au 071/77.12.91

Maisons

32 Rue du Canal, 4800 Ensival

Faire offre à partir de
170 000 €

Image de présentation du bien n° 288902
Vente de gré à gré
  • Référence: 288902
  • Maison unifamiliale à rénover dans quartier agréable - au rez: hall d'entrée, living avec cuisine, jardin - 1er: 2 chambres, salle de bains - 2ème: 3 pièces sous combles - Caves
  • Nombre de chambres: 3
  • Revenu Cadastral: 433 €
  • Libre à partir du: A l'acte
  • Marie ESSER, société notariale
  • Personne de contact: Aurélie LENNERTZ
  • Tel: (087) 33.12.56
  • Email: aurelie.lennertz.222778@belnot.be
  • Informations de visite
  • sur rendez-vous à convenir avec l'étude

Terrains

Sint-Jacobusstraat, 3550 Heusden

Faire offre à partir de
67 000 €

Image de présentation du bien n° 290165
Vente publique
  • Référence: 290165
  • P score: A
  • Libre à partir du: A l'acte
  • NOTARIS TRUUS JASPERS
  • Personne de contact: Kantoor Not. Truus Jaspers
  • Tel: (011) 28.63.86
  • Email: tekoop@vjnotarissen.be

Terrains

Sint-Jacobusstraat, 3550 Heusden

Faire offre à partir de
70 000 €

Image de présentation du bien n° 290298
Vente publique
  • Référence: 290298
  • P score: A
  • Libre à partir du: A l'acte
  • NOTARIS TRUUS JASPERS
  • Personne de contact: Kantoor Not. Truus Jaspers
  • Tel: (011) 28.63.86
  • Email: tekoop@vjnotarissen.be

Terrains

Sint-Jacobusstraat, 3550 Heusden

Faire offre à partir de
71 000 €

Image de présentation du bien n° 290299
Vente publique
  • Référence: 290299
  • P score: A
  • Libre à partir du: A l'acte
  • NOTARIS TRUUS JASPERS
  • Personne de contact: Kantoor Not. Truus Jaspers
  • Tel: (011) 28.63.86
  • Email: tekoop@vjnotarissen.be

Terrains

Sint-Jacobusstraat, 3550 Heusden

Faire offre à partir de
72 000 €

Image de présentation du bien n° 290300
Vente publique
  • Référence: 290300
  • P score: A
  • Libre à partir du: A l'acte
  • NOTARIS TRUUS JASPERS
  • Personne de contact: Kantoor Not. Truus Jaspers
  • Tel: (011) 28.63.86
  • Email: tekoop@vjnotarissen.be

Maisons

66 Vogelhoekstraat, 9050 Gentbrugge

Faire offre à partir de
205 000 €

Image de présentation du bien n° 290303
Vente publique en ligne
  • Référence: 290303
  • Maison de rangée située à proximité de Gand – rez-de-chaussée composé d’un hall d’entrée, d’une cuisine, d’un séjour, d’un WC et d’un débarras, avec accès au jardin urbain ; premier étage composé de deux chambres et d’une salle de bain ; grenier accessible par un escalier fixe pouvant servir de débarras ou de chambre supplémentaire – condition particulière : indemnité en cas de revente. G score: C P score: C
  • Nombre de chambres: 2
  • Nombre de salles de bains: 1
  • Vente en cours
  • Date de début: 10/12/2025 10:00
  • Date de fin: 18/12/2025 10:00
  • Pas d'enchère: 1000 €
  • Revenu Cadastral: 448 €
  • Libre à partir du: A l'acte
  • Notaris Joost EEMAN
  • Personne de contact: Kantoor Not. Joost Eeman
  • Tel: (09) 241.80.60
  • Email: joost.eeman@notaris.be
  • Informations de visite
  • Rendez-vous via le bureau du notaire Joost Eeman

Maisons

161 Jules Van Biesbroeckstraat, 9050 Gentbrugge

Faire offre à partir de
230 000 €

Image de présentation du bien n° 290307
Vente publique en ligne
  • Référence: 290307
  • Bâtiment semi-ouvert à rénover, situé dans la ceinture verte de Gand – Rez-de-chaussée : hall d’entrée, WC, débarras, séjour, cuisine, jardin – Premier étage : quatre chambres, toilette, salle de bains – condition particulière : indemnité en cas de revente G score: C P score: D
  • Nombre de chambres: 4
  • Nombre de salles de bains: 1
  • Vente en cours
  • Date de début: 10/12/2025 11:00
  • Date de fin: 18/12/2025 11:00
  • Pas d'enchère: 1000 €
  • Revenu Cadastral: 686 €
  • Libre à partir du: A l'acte
  • Notaris Joost EEMAN
  • Personne de contact: Kantoor Not. Joost Eeman
  • Tel: (09) 241.80.60
  • Email: joost.eeman@notaris.be
  • Informations de visite
  • Rendez-vous via le bureau du notaire Joost Eeman

Maisons

16 Rue de Maharenne, 5537 Denée

Faire offre à partir de
275 000 €

Image de présentation du bien n° 290305
Vente de gré à gré
  • Référence: 290305
  • Jolie maison avec garage et grand jardin orienté plein sud comprenant au rez: séjour, cuisine, buanderie et wc. A l'étage: 3 chambres et une salle de bains. Chaudière au mazout de moins de 3 ans, citerne d'eau de pluie de 10.000L. Maison offrant de nombreuses possibilités : une partie du terrain est constructible. Visites sur rendez-vous. Faire offre à partir de 275.000€!
  • Nombre de chambres: 3
  • Nombre de salles de bains: 1
  • Revenu Cadastral: 402 €
  • Libre à partir du: A l'acte
  • MB Not, Société notariale
  • Personne de contact: Estelle CHEVALIER
  • Tel: (071) 72.70.02
  • Email: estelle.chevalier.113449@belnot.be

Maisons

1 Stijn Streuvelslaan, 8540 Deerlijk

Faire offre à partir de
375 000 €

Image de présentation du bien n° 290225
Vente de gré à gré
  • Référence: 290225
  • G score: A P score: C
  • Nombre de chambres: 4
  • Nombre de salles de bains: 2
  • Revenu Cadastral: 1086 €
  • Libre à partir du: A l'acte
  • GEASSOCIEERDE NOTARISSEN DEERLIJK
  • Personne de contact: Sharon GOEMAERE
  • Tel: (056) 73.87.11
  • Email: sharon@notarissen-deerlijk.be

Terrains

Vliegveldlaan, 3990 Kleine-Brogel

Faire offre à partir de
55 000 €

Image de présentation du bien n° 290309
Vente de gré à gré
  • Référence: 290309
  • P score: A
  • Libre à partir du: A l'acte
  • Jan Cloet & Nico Vanhout, Geassocieerde Notarissen
  • Personne de contact: Kantoor Not. Cloet & Vanhout
  • Tel: (011) 61.03.33
  • Email: info@notariaatpeer.be

Maisons

43 Park Ter Daelmen, 9930 Zomergem

Faire offre à partir de
275 000 €

Image de présentation du bien n° 290282
Vente publique en ligne
  • Référence: 290282
  • G score: A P score: A
  • Nombre de chambres: 2
  • Nombre de salles de bains: 1
  • Vente en cours
  • Date de début: 30/12/2025 12:00
  • Date de fin: 07/01/2026 12:00
  • Pas d'enchère: 1000 €
  • Revenu Cadastral: 661 €
  • Libre à partir du: A l'acte
  • Notaris Thibault Van Belle
  • Personne de contact: Jonas VAN HOLDERBEKE
  • Tel: (09) 372.70.47
  • Email: jonas.vanholderbeke.131771@belnot.be
  • Informations de visite
  • Vrij bezoek zonder afspraak op de zaterdagen 06/12, 13/12, 20/12 en 03/01, telkens van 10u tot 12u.

Maisons

28 Heidedreef, 2235 Westmeerbeek

Faire offre à partir de
50 000 €

Image de présentation du bien n° 290318
Vente de gré à gré
  • Référence: 290318
  • Mobil-home à rénover situé à 2235 Hulshout, Heidedreef 28, selon le cadastre section A, numéro 0022TP0000, d'une superficie de 958 m². Selon le cadastre, les bâtiments datent de 1969, soit après l'entrée en vigueur de la loi sur l'urbanisme (22 avril 1962), mais avant l'entrée en vigueur du plan régional, ce qui signifie que, conformément à l'article 4.2.14 § 2 VCRO, une présomption réfutable de permis s'applique aux constructions dont il peut être démontré qu'elles existaient effectivement avant 1978 ; selon le vendeur, aucun procès-verbal n'a été dressé et aucune objection non anonyme n'a été introduite dans les 5 ans suivant la construction ou l'installation de la construction ; Il est expressément signalé à l'acheteur qu'il n'existe actuellement aucune certitude quant à la « situation présumée autorisée » et que cela peut être important dans le cadre d'une future demande d'autorisation pour des travaux de construction ou de rénovation. Label EPC F, 1223 kWh/m² par an). Obligation de rénovation. Non conforme aux normes en matière d'amiante. Installation électrique non conforme. G score: A P score: A
  • Nombre de chambres: 1
  • Revenu Cadastral: 163 €
  • Libre à partir du: A l'acte
  • Notaris Bieke Heyns
  • Personne de contact: Flo-Marie OOMS
  • Tel: (014) 21.85.15
  • Email: flo-marie@notarisheyns.be

Terrains

Hoogstraat, 3560 Lummen

Faire offre à partir de
170 000 €

Image de présentation du bien n° 290321
Vente de gré à gré
  • Référence: 290321
  • P score: A
  • Revenu Cadastral: 1 €
  • Libre à partir du: A l'acte
  • VERELST & VERELST, GEASSOCIEERDE NOTARISSEN
  • Personne de contact: Domien BUEKERS
  • Tel: (013) 38.00.00
  • Email: domien.buekers.351871@belnot.be

Maisons

39 Rue Théodore Verhaegen, 1060 Saint-Gilles

Faire offre à partir de
180 000 €

Image de présentation du bien n° 289043
Vente publique en ligne
  • Référence: 289043
  • Une maison d’habitation Sise rue Théodore Verhaegen 39 pour une superficie de 84ca. Comprenant caves, 4 cuisines, salon, 4 chambres, 2 salles de douche, wc, cour. R.c.n.i. 1.465€. Partie libre d’occupation, partie occupée. Zone d’habitation. PEB G/656 (rez), G/416 (1e ét.), G/537 (2e ét.), G/938 (3e ét.). Contr. électr. non conformes. Visites àpd 26/11 au 13/12 incl. : mercredis de 15-17h et samedis de 11h30-13h30. Début enchères : mardi 09.12.25 à 12h - Fin enchères : mercredi 17.12.25 à 12h - Mise à prix : 180.000€ - Enchère min. : 1.000€ - Sign. acte : vendredi 19.12.25 à 10h - www.biddit.be - Réf. bien : 289043.
  • Nombre de chambres: 4
  • Vente en cours
  • Date de début: 09/12/2025 12:00
  • Date de fin: 17/12/2025 12:00
  • Pas d'enchère: 1000 €
  • Revenu Cadastral: 1465 €
  • Libre à partir du: autre
  • Anne RUTTEN, Notaire
  • Personne de contact: Döndü PARLAK
  • Tel: (02) 537.47.21
  • Email: parlak@not-rutten.be
  • Informations de visite
  • àpd 26/11 au 13/12 incl. : mercredis de 15-17h et samedis de 11h30-13h30.

Maisons

21 Rue Ferrer, 7120 Haulchin

Faire offre à partir de
90 000 €

Image de présentation du bien n° 290313
Vente de gré à gré
  • Référence: 290313
  • Maison avec jardin à rénover complètement Pour les visites contacter l'étude au 071/59.09.29
  • Nombre de chambres: 2
  • Revenu Cadastral: 179 €
  • Libre à partir du: A l'acte
  • EMILIE BLAVIER - NOTAIRE
  • Personne de contact: Céline LECHIEN
  • Tel: (071) 59.09.29
  • Email: celine.lechien.129312@belnot.be

Maisons

68 Rue Grande, 6687 Bastogne

Faire offre à partir de
680 000 €

Image de présentation du bien n° 290322
Vente publique en ligne
  • Référence: 290322
  • 930m2 de surface habitable sur un terrain de 11a63ca. 68bte1 : Au rez-de-chaussée : un salon, une salle à manger, une cuisine équipée, une arrière cuisine et une toilette. Au premier étage : trois chambres, un espace de rangement et une grande salle de bain avec douche, baignoire et toilette. 68bte 2 : Situé au 2ème étage : un hall d’entrée, une toilette, une cuisine équipée, une salle de bain avec douche, baignoire et toilette, trois chambres, un salon – salle à manger, un espace de rangement. 68bte 3 : Au sous-sol : cave (+/- 35m2) Au rez-de-chaussée : une hall d’entrée, une salle de bain, un salon, une salle à manger, un cuisine équipée, une toilette, un espace de rangement, une buanderie, une suite parentale avec dressing et salle de bain comprenant baignoire et toilette. Au premier étage : un hall de nuit, une salle de douche, une salle de bain comprenant une douche et toilette, trois chambres, une salle de jeux, une salle de réception avec bar et snooker, un bureau. Propriété d’exception nichée en plein centre du charmant village de Bertogne. Cette demeure de prestige se distingue par ses volumes généreux et son agencement unique. L’ensemble est divisé en trois blocs, chacun bénéficiant de sa propre cuisine entièrement équipée. Cette configuration offre une flexibilité d’utilisation remarquable, idéale pour une grande résidence familiale, un projet de gîte de luxe avec espace de séminaire, un hôtel intimiste, … Bref, ce domaine d’envergure aux multiples facettes représente une opportunité d’investissement rare. Localisation : - 11 km du centre de Bastogne - 17 km du centre de La Roche-en-Ardenne - 21 km de la frontière Luxembourgeoise - 99 m de la maison médicale (médecins, kinésithérapeute, …) - 350m du bureau de poste - 350 m de l’école communale - 750 m d’une pharmacie - 800m d’un commerce ouvert 7j/7 Enchères du 14/01/2026 au 22/01/2026 à 10h00. Lien vers BIDDIT : https://www.biddit.be/fr/catalog/detail/290322 Pour tous renseignements ou pour convenir d'une visite, s'adresser en l'étude : 061/415.205.
  • Nombre de chambres: 10
  • Nombre de salles de bains: 5
  • Vente en cours
  • Date de début: 14/01/2026 10:00
  • Date de fin: 22/01/2026 10:00
  • Pas d'enchère: 2000 €
  • Revenu Cadastral: 1929 €
  • Libre à partir du: A l'acte
  • Joël et Manon TONDEUR, notaires associés
  • Personne de contact: Virginie HAAN
  • Tel: (061) 41.52.05
  • Email: virginie.haan.128108@belnot.be
  • Informations de visite
  • Sur RDV les lundi, jeudi, vendredi et dimanche - S'adresser en l'étude au 061/415.205.

Maisons

30 Rue de Pierpont, 4400 Flémalle-Haute

Faire offre à partir de
250 000 €

Image de présentation du bien n° 290249
Vente de gré à gré
  • Référence: 290249
  • Maison unifamiliale (2 chambres actuelles et possibilité de 3 ou 4 chambres) située à Flémalle à proximité de toutes les commodités. Elle est composée : -au sous-sol: d'un couloir et de trois pièces de stockage, -au rez-de-chaussée: d'un hall d'entrée, d'un WC, d'une cuisine, d'un salon d'une superficie d'environ 15m², d'une salle à manger d'une superficie d'environ 14m² et d'une véranda dans le prolongement d'une superficie d'environ 13m² -au 1er étage: d'une salle de bain de 14,66m² et de deux chambres respectivement d'une superficie de 14,65m² et d'une superficie de 20,93m² -au 2ème étage: d'un grenier en cours d'aménagement en chambres (possibilité de deux chambres supplémentaires) d'une superficie d'environ 42m² Chaudière à gaz Vaillant de 2019 et présence d'une cassette à bois. Présence d'un air conditionné dans le salon et la cuisine situés au rez-de-chaussée et présence d'un adoucisseur d'eau. Nouvelle toiture placée en 2023 et isolation de l'immeuble dont les finitions sont à terminer. Ces travaux n'étaient pas encore réalisés lors de l'établissement du PEB et n'ont donc pas été pris en compte pour la détermination de l'indice repris sur le PEB. Pour plus d'informations et/ou une visite, n'hésitez pas à nous contacter au 04/367.54.33 Plans 2D disponibles en annexes.
  • Nombre de chambres: 2
  • Nombre de salles de bains: 1
  • Revenu Cadastral: 654 €
  • Libre à partir du: A l'acte
  • Pierre GOVERS & Emilie GILLET - Notaires associés
  • Personne de contact: Colombine LOUIS
  • Tel: (04) 367.54.33
  • Email: colombine.louis.182659@belnot.be
  • Informations de visite
  • Les visites auront lieu uniquement sur rendez-vous par téléphone au numéro suivant: 04/367.54.33 (à l'exception des mercredi et vendredi après-midi, l'étude étant sur répondeur) ou par e-mail à l'adresse colombine.louis.182659@belnot.be

Maisons

11 Quartier du Beaujolais, 5590 Serinchamps

Faire offre à partir de
250 000 €

Image de présentation du bien n° 282003
Vente de gré à gré
  • Référence: 282003
  • A vendre à Serinchamps (Haversin), située dans un beau quartier calme et résidentiel, maison unifamiliale offrant toutes les commodités par sa composition : - RDC : cuisine équipée neuve ouverte sur salon/salle à manger, deux chambres dont une avec placards intégrés, 1 SDB/douche entièrement rénovée avec W-C, un W-C supplémentaire indépendant, un petit débarras ; - Etage : grand grenier rénové ; - Garage. Le jardin plat situé à l’arrière de la maison, entièrement clôturé et avec une vue dégagée sur la campagne, fait de ce bien un vrai havre de paix.
  • Nombre de chambres: 2
  • Nombre de salles de bains: 1
  • Revenu Cadastral: 711 €
  • Libre à partir du: A l'acte
  • Patrick Lambinet & Agathe Genin
  • Personne de contact: Laurence SIMON
  • Tel: (083) 23.16.25
  • Email: laurence.simon.358096@belnot.be
  • Informations de visite
  • Renseignements en l'Etude

Maisons

55 Rue du Parc, 6140 Fontaine-l'Évêque

Faire offre à partir de
25 000 €

Image de présentation du bien n° 290133
Vente de gré à gré
  • Référence: 290133
  • Maison 3 façades de +/- 90m² à restaurer complètement située dans le centre de Fontaine l'Evêque. Sous-sol: cave. Rez-de-chaussée: hall d'entrée, salon, salle à manger, cuisine, wc séparé. 1-er étage: hall de nuit, 2 chambres. 2 -ème étage: grenier non aménager. Pas d'extérieur - RC non indexé:356€ Faire offre à partir de 25.000€
  • Nombre de chambres: 2
  • Superficie habitable: 90m2
  • Revenu Cadastral: 356 €
  • Libre à partir du: A l'acte
  • CARPENTIER, Denis
  • Personne de contact: Denis CARPENTIER
  • Tel: (071) 54.88.88
  • Email: denis.carpentier@belnot.be
  • Informations de visite
  • Sur place

Maisons

60 Rue du Mont Falise, 4500 Huy

Faire offre à partir de
199 000 €

Image de présentation du bien n° 290098
Vente de gré à gré
  • Référence: 290098
  • Nous vous proposons à la vente , une maison d'habitation plain-pied située à Huy, rue du Mont Falise, 60 bte B. Située dans un cadre verdoyant, cette maison unifamiliale vous séduira par son authenticité et sa vue imprenable sur la vallée hutoise. Elle se compose, d'un hall d'entrée, d'une cuisine, d'un salon lumineux, d'une salle à manger, d'une salle de bain avec une baignoire et deux lavabos, deux chambres confortables, de caves et d'un garage privatif. Ce bien est une belle opportunité pour les amateurs de calme et de nature, tout en restant à proximité des commodités de Huy. Faire offre à partir de 199.000 €. Publicite non contractuelle.
  • Nombre de chambres: 2
  • Nombre de salles de bains: 1
  • Revenu Cadastral: 661 €
  • Libre à partir du: A l'acte
  • Etudes Notariales associées
  • Personne de contact: Anne-Louise BURTON
  • Tel: (085) 25.00.55
  • Email: annelouise.burton.460002@belnot.be
  • Informations de visite
  • Veuillez contacter l'étude au 085/25.00.55

Appartements

33 rue des Blancs Chevaux, 1348 Louvain-la-Neuve

Faire offre à partir de
95 000 €

Image de présentation du bien n° 290327
Vente publique en ligne
  • Référence: 290327
  • Dans un ensemble immobilier destiné au logement d'étudiants, sis rue des Blancs Chevaux, 33, au niveau du rez-de-chaussée, un studio lumineux de 27 m2 comprenant un séjour pouvant accueillir un coin bureau et un lit. Le séjour donne sur une cuisine ouverte équipée d'un évier, d'un réfrigérateur, d'une taque de cuisson électrique et d'armoires de rangement. Présence d'une salle de douche avec lavabo et toilette. Visites uniquement sur RDV préalable en contactant l'étude au 010/61.22.40 (du lundi au vendredi de 9h à 12h), chaque mercredi de 14h à 16h et chaque samedi de 11h à 13h, et ce jusqu'au mercredi 14 janvier 2026 inclus.
  • Superficie habitable: 27m2
  • Vente en cours
  • Date de début: 07/01/2026 15:00
  • Date de fin: 15/01/2026 15:00
  • Pas d'enchère: 1500 €
  • Revenu Cadastral: 560 €
  • Libre à partir du: A l'acte
  • n² notaires
  • Personne de contact: Yves SOMVILLE
  • Tel: (010) 61.22.40
  • Email: info@n2notaires.be
  • Informations de visite
  • Visites uniquement sur RDV préalable en contactant l'étude au 010/61.22.40 (du lundi au vendredi de 9h à 12h), chaque mercredi de 14h à 16h et chaque samedi de 11h à 13h, et ce jusqu'au mercredi 14 janvier 2026 inclus.

Maisons

10 Rue du Tombois, 7120 Haulchin

Faire offre à partir de
50 000 €

Image de présentation du bien n° 290323
Vente de gré à gré
  • Référence: 290323
  • Maison à rénover salle à manger, cuisine, 1 chambre, grenier Pour les visites contacter l'étude au 071/59.09.29
  • Nombre de chambres: 1
  • Revenu Cadastral: 133 €
  • Libre à partir du: A l'acte
  • EMILIE BLAVIER - NOTAIRE
  • Personne de contact: Céline LECHIEN
  • Tel: (071) 59.09.29
  • Email: celine.lechien.129312@belnot.be

Maisons

35 Melkweide, 9030 Mariakerke

Faire offre à partir de
275 000 €

Image de présentation du bien n° 290235
Vente publique en ligne
  • Référence: 290235
  • G score: A P score: A
  • Nombre de chambres: 2
  • Nombre de salles de bains: 1
  • Vente en cours
  • Date de début: 05/01/2026 12:00
  • Date de fin: 13/01/2026 12:00
  • Pas d'enchère: 1000 €
  • Revenu Cadastral: 971 €
  • Libre à partir du: A l'acte
  • Notaris Peter Calliauw
  • Personne de contact: Melissa VERSTRAETE
  • Tel: (09) 223.17.31
  • Email: melissa.verstraete.133652@belnot.be
  • Informations de visite
  • Bezoek: De woning is te bezichtigen na telefonische afspraak met het kantoor van Notaris Peter Calliauw op het nummer 09 224 17 51.

Maisons

171 Rue du Couvent, 4020 Jupille-sur-Meuse

Faire offre à partir de
130 000 €

Image de présentation du bien n° 289814
Vente de gré à gré
  • Référence: 289814
  • Maison avec cour de 112m² comprenant au rez-de-chaussée une cuisine, un garage (non isolé), une salle à manger ouverte sur un salon; au 1er étage, une chambre et une salle de bains, au 2ème étage, 2 chambres en enfilade. 87m²de superficie utile
  • Nombre de chambres: 3
  • Revenu Cadastral: 374 €
  • Libre à partir du: A l'acte
  • Notaire Stéphanie JANS
  • Personne de contact: Laura DELFOSSE
  • Tel: (04) 367.60.01
  • Email: laura.delfosse.127563@belnot.be
  • Informations de visite
  • sur rendez-vous

Maisons

37 Rue de la Falaise, 5660 Couvin

Faire offre à partir de
95 000 €

Image de présentation du bien n° 290265
Vente de gré à gré
  • Référence: 290265
  • Maison d’habitation habitable en l’état, idéalement située au pied de la falaise et à proximité immédiate des commodités de Couvin (commerces, écoles, crèches…). Rez-de-chaussée : salon, salle à manger, cuisine semi-équipée, chaufferie et cave. 1er étage : deux chambres et salle de bains. Extérieur : petite cour à l’arrière, pratique et facilement aménageable. Grenier aménageable offrant un potentiel d’agrandissement. Un bien fonctionnel, proche du centre, parfait pour un premier achat ou un investissement. Envie de visiter ? Contactez l’étude du Notaire Benoit BAJO Tél : 060 39 90 08 – Benoit.bajo@belnot.be
  • Nombre de chambres: 2
  • Nombre de salles de bains: 1
  • Revenu Cadastral: 242 €
  • Libre à partir du: Immédiatement
  • Benoit BAJO, société notariale
  • Personne de contact: Benoit BAJO
  • Tel: (060) 39.90.08
  • Email: benoit.bajo@belnot.be

Maisons

13 Rue du Fourneau Saint-Michel, 6870 Awenne

Faire offre à partir de
140 000 €

Image de présentation du bien n° 290237
Vente de gré à gré
  • Référence: 290237
  • Charmante maison mitoyenne située dans le paisible village d'Awenne. Elle est agencée sur trois étages. Au rez-de-chaussée, on trouve une cuisine (non équipée) ouverte sur la salle à manger, un garage et une grande buanderie avec toilettes, donnant accès sur l’extérieur. Au premier étage, se trouvent deux chambres spacieuses ainsi qu’une grande salle de bain à rafraîchir. Au deuxième étage, un grand grenier offre de belles possibilités d'aménagement. Le jardin arboré dispose d'une jolie vue sur le village. Cette maison est idéale pour une seconde résidence ou un investissement. Elle peut aussi très bien convenir pour un premier achat. Chauffage central au mazout avec chaudière et boiler récents (2022).
  • Nombre de chambres: 2
  • Nombre de salles de bains: 1
  • Revenu Cadastral: 260 €
  • Libre à partir du: A l'acte
  • Sophie Robinet, société notariale
  • Personne de contact: Melanie BASTIN
  • Tel: (061) 61.10.09
  • Email: melanie.bastin.104182@belnot.be
  • Informations de visite
  • Fixer rendez-vous avec l'Etude

Maisons

37 Rue des Bouleaux, 6840 Neufchâteau

Faire offre à partir de
230 000 €

Image de présentation du bien n° 290260
Vente de gré à gré
  • Référence: 290260
  • Dans un quartier calme de Neufchâteau, bonne maison d’habitation 3 façades avec jardin arboré, laquelle se compose comme suit : o Sous-sol : cave avec garage, o Rez-de-chaussée : living -cuisine – bureau (pouvant faire office de chambre), o Etage : 2 chambres outre 1 salle de bains rénovée, o Chauffage central à tous les étages. - Permet la possibilité de réduction des droits d’enregistrement pour les primo-acquéreurs. Vente soumise à l'autorisation du Juge de Paix.
  • Nombre de chambres: 2
  • Nombre de salles de bains: 1
  • Revenu Cadastral: 669 €
  • Libre à partir du: A l'acte
  • Caroline RUELLE, Notaire
  • Personne de contact: Ségolène DEVILLET
  • Tel: (061) 27.70.78
  • Email: 050189614@belnot.be
  • Informations de visite
  • Pour les visites, merci de prendre contact avec la société AD VALORIS : au 082/77.18.77 avec Monsieur FRANCK tapez 1.

Maisons

21 Rue Jacob, 7080 La Bouverie

Faire offre à partir de
115 000 €

Image de présentation du bien n° 290261
Vente de gré à gré
  • Référence: 290261
  • Maison d'habitation deux façades comprenant : Au sous-sol : 2 caves (avec 1 pompe). Au rez-de-chaussée : un hall, un salon, une salle à manger, un living avec feu ouvert, une cuisine semi-équipée, et une salle de bain (baignoire, évier, WC). A l'étage : un palier, 2 chambres. Combles : un grenier aménageable. Divers : une véranda, un jardin clôturé, un abri de jardin, un garage 1 voiture attenant à la maison. Superficie : 3a 20ca. RC : 540€ Chauffage central au mazout. Châssis double vitrage bois et PVC + volets. Electricité non conforme. PEB G.
  • Nombre de chambres: 2
  • Revenu Cadastral: 540 €
  • Libre à partir du: A l'acte
  • NOTALIBREX, société notariale
  • Personne de contact: Lune MATHIEU
  • Tel: 065/35.26.23
  • Email: lune.mathieu.460043@belnot.be
  • Informations de visite
  • Visites sur rendez-vous en l'étude des Notaires KOEUNE et GLINEUR au 065/35.26.23

Maisons

21 Scheldestraat, 9890 Gavere

Faire offre à partir de
138 000 €

Image de présentation du bien n° 290259
Vente publique en ligne
  • Référence: 290259
  • Une maison d'habitation avec dépendances, sur et avec terrain attenant, située à Gavere, Scheldestraat 21, connue selon le titre et selon le cadastre actuel de Gavere, première section, section A, numéro 70C P0000, d'une superficie de deux cent trente mètres carrés (230 m²) - KI 651,00 €. Elle a été partiellement rénovée, mais les travaux ne sont pas encore terminés. Située près du centre-ville. Les écoles sont accessibles à pied. G score: A P score: A
  • Nombre de chambres: 2
  • Superficie habitable: 234m2
  • Nombre de salles de bains: 1
  • Vente en cours
  • Date de début: 05/01/2026 13:00
  • Date de fin: 13/01/2026 13:00
  • Pas d'enchère: 1000 €
  • Revenu Cadastral: 651 €
  • Libre à partir du: A l'acte
  • NOTARIS MAARTEN DUYTSCHAEVER
  • Personne de contact: Wendy VERNEST
  • Tel: (09) 230.00.68
  • Email: info@notarisduytschaever.be
  • Informations de visite
  • Sans rendez-vous. Du 10 décembre 2025 au samedi 10 janvier 2026 inclus : -Tous les mercredis après-midi de 14h00 à 16h00 (sauf le 24 décembre 2025 et le 31 décembre 2025, où aucune visite n'est possible) -Tous les samedis matin de 10h00 à 12h00

Terrains

6640 Vaux-sur-Sûre

Faire offre à partir de
90 000 €

Image de présentation du bien n° 290232
Vente de gré à gré
  • Référence: 290232
  • À vendre : magnifique terrain en zone d'habitat à caractère rural – Vaux-sur-Sûre (Rosières, Grand-route) Découvrez ce beau terrain plat idéalement situé dans un environnement calme et verdoyant, à mi-chemin entre Bastogne et Libramont, et à proximité immédiate de l’autoroute E25, offrant un accès rapide et aisé aux grands axes. ? Situé dans un lotissement entièrement équipé ? En zone d’habitat à caractère rural ? Environnement paisible et agréable Prix : Faire offre à partir de 90.000 € (prix indicatif n'engageant pas le vendeur). Pour plus d’informations : Etude TONDEUR - 061/415.205.
  • Revenu Cadastral: 8 €
  • Libre à partir du: A l'acte
  • Joël et Manon TONDEUR, notaires associés
  • Personne de contact: Virginie HAAN
  • Tel: (061) 41.52.05
  • Email: virginie.haan.128108@belnot.be

Maisons

17 Rue du Ruisseau, 4460 Grâce-Berleur

Faire offre à partir de
250 000 €

Image de présentation du bien n° 290264
Vente de gré à gré
  • Référence: 290264
  • Située à Grâce-Hollogne, rue du Ruisseau: cette maison semi-mitoyenne des années soixante, en bon état général, offre un cadre de vie confortable et de beaux volumes. Au rez-de-chaussée: un hall d’entrée dessert un grand séjour comprenant salon et salle à manger. La cuisine s’ouvre sur une véranda située à l’arrière, laquelle donne accès au jardin. À l’étage: un hall de nuit mène à trois chambres, ainsi qu’à une salle de bain. En sous-sol: un garage une voiture avec volet électrique ainsi que des caves. Le jardin, agréable et bien proportionné, est complété par un abri situé en fond de parcelle, pratique pour le stockage d’outils ou de matériel. Eléments techniques : - toiture plate en roofing. - chauffage au gaz de ville. - châssis PVC double-vitrage.
  • Nombre de chambres: 3
  • Superficie habitable: 130m2
  • Nombre de salles de bains: 1
  • Revenu Cadastral: 778 €
  • Libre à partir du: A l'acte
  • URBIN-CHOFFRAY & HEPTIA, Notaires Associés
  • Personne de contact: Emmeline PARENT
  • Tel: (04) 380.10.98
  • Email: emmeline.parent.351977@belnot.be

Maisons

45 Kerkstraat, 1800 Peutie

Faire offre à partir de
425 000 €

Image de présentation du bien n° 290263
Vente de gré à gré
  • Référence: 290263
  • G score: A P score: A
  • Nombre de chambres: 3
  • Revenu Cadastral: 1125 €
  • Libre à partir du: A l'acte
  • Principal notarissen - Van Thielen-Michiels
  • Personne de contact: Bart VAN THIELEN
  • Tel: (014) 54.45.80
  • Email: immo@principal-notarissen.be

Maisons

14 Rue Berlanger, 7022 Harmignies

Faire offre à partir de
145 000 €

Image de présentation du bien n° 290270
Vente de gré à gré
  • Référence: 290270
  • Maison d’habitation 3 Façades sise à la rue Berlanger, n° 14 Sur et avec 7a 20 ca - RC : 349 €. Comprenant : Une cave RDC : un salon, salle à manger, cuisine non équipée, 3 chambres, salle de douche (avec lavabo) et un WC séparé. Garage. Grenier A L’extérieur : Cour, remise, une serre et jardin PEB : G, électricité non conforme, Chauffage au mazout (inférieur à 3000 litres). Toiture non isolée. Des volets. Raccordée à l’égout. Faire offre à partir de 145. 000 € Offre actuelle à 145.000 €. Visites : sur permis de l’étude et rendez-vous.
  • Nombre de chambres: 3
  • Revenu Cadastral: 349 €
  • Libre à partir du: A l'acte
  • Notaire Léopold DERBAIX
  • Personne de contact: Justa DOUNGMENE FOUE
  • Tel: (064) 36.68.68
  • Email: LEOPOLD.DERBAIX@BELNOT.BE

Appartements

24 Gustaaf Callierlaan, 9000 Gent

Faire offre à partir de
275 000 €

Image de présentation du bien n° 290266
Vente publique en ligne
  • Référence: 290266
  • G score: D P score: D
  • Nombre de chambres: 2
  • Nombre de salles de bains: 1
  • Vente en cours
  • Date de début: 05/01/2026 14:00
  • Date de fin: 13/01/2026 14:00
  • Pas d'enchère: 1000 €
  • Revenu Cadastral: 1159 €
  • Libre à partir du: A l'acte
  • Notaris Peter Calliauw
  • Personne de contact: Melissa VERSTRAETE
  • Tel: (09) 223.17.31
  • Email: melissa.verstraete.133652@belnot.be

Maisons

106 Kattestraat, 8520 Kuurne

Faire offre à partir de
362 000 €

Image de présentation du bien n° 290276
Vente de gré à gré
  • Référence: 290276
  • Cette charmante maison est entièrement prête à emménager et offre une disposition pratique avec de nombreuses possibilités : Garage spacieux pour voiture et espace de rangement supplémentaire. Séjour convivial avec cuisine ouverte attenante, idéal pour cuisiner et partager des repas. Grande terrasse et jardin, parfaits pour profiter de la vie en plein air. Premier étage : 2 chambres confortables et une salle de bain moderne. Deuxième étage : 2 pièces supplémentaires, idéales comme salle de loisirs, bureau ou chambres supplémentaires. Sous-sol pour un espace de stockage supplémentaire. Cette maison allie confort, espace et finitions prêtes à l’emploi. G score: D P score: D
  • Nombre de chambres: 4
  • Nombre de salles de bains: 1
  • Revenu Cadastral: 702 €
  • Libre à partir du: A l'acte
  • dewaele&thomas, geassocieerde notarissen
  • Personne de contact: Tatiana VERHEYE
  • Tel: (056) 51.32.34
  • Email: tatiana.verheye.133199@belnot.be

Maisons

5 Rue du Réservoir, 4032 Chênée

Faire offre à partir de
90 000 €

Image de présentation du bien n° 280005
Vente de gré à gré
  • Référence: 280005
  • Découvrez cette petite maison mitoyenne, proche de toutes commodités. Elle est composée au rez-de-chaussée: d'un séjour, d'une cuisine et d'un W.C. indépendant. Au premier étage, d'une chambre avec possibilité d'une seconde chambre dans la mezzanine et d'une salle de bain. Installation électrique non conforme. Pour plus d'informations et/ou une visite, n'hésitez pas à nous contacter au 04/367.54.33
  • Nombre de chambres: 2
  • Superficie habitable: 53m2
  • Nombre de salles de bains: 1
  • Revenu Cadastral: 220 €
  • Libre à partir du: A l'acte
  • Pierre GOVERS & Emilie GILLET - Notaires associés
  • Personne de contact: Coline ANTOINE
  • Tel: (04) 367.54.33
  • Email: coline.antoine.182659@belnot.be
  • Informations de visite
  • Les visites auront lieu uniquement sur rendez-vous par téléphone au numéro suivant: 04/367.54.33 (à l'exception du mercredi et du vendredi après-midi, l'étude étant sur répondeur) ou par e-mail à l'adresse coline.antoine.182659@belnot.be

Maisons

3 Rue du Réservoir, 4032 Chênée

Faire offre à partir de
86 000 €

Image de présentation du bien n° 280004
Vente de gré à gré
  • Référence: 280004
  • Découvrez cette petite maison mitoyenne, proche de toutes commodités. Elle est composée au rez-de-chaussée: d'un séjour avec cuisine ouverte, d'une salle de bains et d'un débarras. Au premier étage, d'une grande chambre avec possibilité d'en créer deux distinctes. Installation électrique non conforme. Elle constitue donc un excellent investissement. Pour plus d'informations et/ou une visite, n'hésitez pas à nous contacter au 04/367.54.33
  • Nombre de chambres: 1
  • Superficie habitable: 56m2
  • Nombre de salles de bains: 1
  • Revenu Cadastral: 220 €
  • Libre à partir du: A l'acte
  • Pierre GOVERS & Emilie GILLET - Notaires associés
  • Personne de contact: Coline ANTOINE
  • Tel: (04) 367.54.33
  • Email: coline.antoine.182659@belnot.be
  • Informations de visite
  • Les visites auront lieu uniquement sur rendez-vous par téléphone au numéro suivant: 04/367.54.33 (à l'exception du mercredi et du vendredi après-midi, l'étude étant sur répondeur) ou par e-mail à l'adresse coline.antoine.182659@belnot.be

Maisons

12 Rue de Presgaux, 5660 Cul-des-Sarts

Faire offre à partir de
185 000 €

Image de présentation du bien n° 290280
Vente de gré à gré
  • Référence: 290280
  • Belle villa 4 façades des années 1970 avec garage et jardin Comprenant: 1/ RDC : hall - salon - salle à manger (feu ouvert) - cuisine équipée - salle de bain - WC - terrasse couverte 2/ Etage : hall de nuit - 3 chambres - WC Sous-sol : chaufferie - cave - garage Combles non-aménageables Jardin et abri de jardin. Superficie : 12ares 28centiares RC : 473,00 euros Chauffage central au mazout. Châssis neufs double vitrage. Le bien est située en zone d'habitat à caractère rural au plan de secteur.
  • Nombre de chambres: 3
  • Revenu Cadastral: 473 €
  • Libre à partir du: A l'acte
  • Mélissa CHABOT Notaire
  • Personne de contact: Celine BRY
  • Tel: (060) 34.40.19
  • Email: melissa.chabot@belnot.be
  • Informations de visite
  • Visites sur rendez-vous pris au 071/38.84.49 (OPTION 3)

Maisons

8 Predikherenlaan, 2500 Lier

Faire offre à partir de
340 000 €

Image de présentation du bien n° 290236
Vente de gré à gré
  • Référence: 290236
  • G score: D P score: D
  • Nombre de chambres: 2
  • Superficie habitable: 101m2
  • Nombre de salles de bains: 1
  • Revenu Cadastral: 363 €
  • Libre à partir du: A l'acte
  • Notaris Karl Van Kerkhoven
  • Personne de contact: Natalie VAN LAER
  • Tel: (03) 485.79.37
  • Email: natalie.vanlaer.353162@belnot.be

Appartements

89 Fruithoflaan, 2600 Berchem

Faire offre à partir de
264 000 €

Image de présentation du bien n° 290285
Vente de gré à gré
  • Référence: 290285
  • G score: A P score: C
  • Nombre de chambres: 2
  • Superficie habitable: 120m2
  • Nombre de salles de bains: 1
  • Revenu Cadastral: 2262 €
  • Libre à partir du: A l'acte
  • Notariaat Wellens
  • Personne de contact: Ilse GEEFS
  • Tel: (03) 449.99.17
  • Email: ng@notariswellens.be

Terrains

Rue de Gonrieux, 5660 Cul-des-Sarts

Faire offre à partir de
50 000 €

Image de présentation du bien n° 290286
Vente de gré à gré
  • Référence: 290286
  • Belle parcelle de terrain à bâtir sise rue de Gonrieux, cadastrée section C numéro 0010L2P0000 pour une contenance de 9ares 92centiares. Revenu cadastral: 4 euros. Libre d'occupation. Située en zone d'habitat à caractère rural au plan de secteur.
  • Revenu Cadastral: 4 €
  • Libre à partir du: A l'acte
  • Mélissa CHABOT Notaire
  • Personne de contact: Celine BRY
  • Tel: (060) 34.40.19
  • Email: melissa.chabot@belnot.be
  • Informations de visite
  • A visiter librement sur place

Garages

10 Ancien Chemin d'Ollignies, 7860 Lessines

Faire offre à partir de
50 000 €

Image de présentation du bien n° 290187
Vente de gré à gré
  • Référence: 290187
  • Parcelle de 10 ares et 64 centiares comprenant 12 garages.
  • Revenu Cadastral: 738 €
  • Libre à partir du: A l'acte
  • Donatienne d´HARVENG, Notaire
  • Personne de contact: Laeticia CAVELIER
  • Tel: (068) 33.84.14
  • Email: laeticia.cavelier.125450@belnot.be

Terrains

Fazantstraat, 2400 Mol

Faire offre à partir de
179 500 €

Image de présentation du bien n° 290279
Vente de gré à gré
  • Référence: 290279
  • P score: B
  • Libre à partir du: A l'acte
  • Benijts & Colson, notarissen
  • Personne de contact: Vincent WELLENS
  • Tel: (014) 58.44.41
  • Email: tekoop@benijtscolson.be
  • Informations de visite
  • Dit perceel grond is vrij te bezoeken.

Terrains

Vilstraat, 3511 Kuringen

Faire offre à partir de
150 000 €

Image de présentation du bien n° 290294
Vente publique en ligne
  • Référence: 290294
  • P score: A
  • Vente en cours
  • Date de début: 13/01/2026 14:00
  • Date de fin: 21/01/2026 14:00
  • Pas d'enchère: 1000 €
  • Libre à partir du: A l'acte
  • WILSENS, CLEEREN, VERDUYN & D´JOOS
  • Personne de contact: Kantoor Not. Wilsens, Cleeren, Verduyn & D'Joos
  • Tel: (012) 74.10.83
  • Email: info@notariaatwcvd.be
  • Informations de visite
  • vrij

Maisons

3 Cour Charrette, 4140 Rouvreux

Faire offre à partir de
67 500 €

Image de présentation du bien n° 287785
Vente de gré à gré
  • Référence: 287785
  • Adresse : Cour Charrette n°3, 4140 Sprimont Maison composée de : Rez-de-chaussée : Buanderie, pièce (actuellement bureau) pouvant servir de salon, arrière-cuisine véranda, cour avec terrasse protégée. Étage : 1 chambre, salle de bain (douche, évier, WC). Caractéristiques : Loyer actuel : 450€/mois (location depuis janvier 2023). PEB F. Électricité non conforme. Bonne opportunité d'investissement locatif ! Création de servitude de passage en cours pour accéder au bien n°3 Pour plus d'infos, contactez-nous.
  • Nombre de chambres: 1
  • Revenu Cadastral: 210 €
  • Libre à partir du: A définir
  • Etude SCAVEE, MAGHE ET LENELLE
  • Personne de contact: Laura HANEUSE
  • Tel: (04) 369.15.19
  • Email: laura.haneuse.352939@belnot.be
  • Informations de visite
  • Prendre rendez-vous au 0475 / 675 413 - 0474 / 037 683

Terrains

Romeinseweg, 3770 Val-Meer

Faire offre à partir de
160 000 €

Image de présentation du bien n° 290288
Vente publique en ligne
  • Référence: 290288
  • P score: D
  • Vente en cours
  • Date de début: 21/12/2025 09:00
  • Date de fin: 29/12/2025 09:00
  • Pas d'enchère: 1000 €
  • Revenu Cadastral: 22 €
  • Libre à partir du: A l'acte
  • NOTARIX
  • Personne de contact: Laura NEESEN
  • Tel: (012) 23.11.37
  • Email: notaris.neesen@notarix.be
  • Informations de visite
  • Vrij te bezichtigen

Maisons

41 Rue du Grand Trait, 7080 La Bouverie

Faire offre à partir de
180 000 €

Image de présentation du bien n° 290293
Vente de gré à gré
  • Référence: 290293
  • Maison d'habitation comprenant: Rez-de-chaussée : petit Hall d’entrée, living avec -Salon en façade avant ; -Salle à manger Cuisine entièrement équipée avec coin à manger Buanderie Sdb avec bain – évier simple – wc – douche Caves Etages : Petit hall de nuit 1 chambre à l’arrière 1 chambre à l’avant 1 petite pièce style dressing/rangement Un grenier à finir d’aménager (isolation – veluxs – plancher ok) Extérieur : Une petite terrasse avec BBQ Un jardin avec abri de jardin Chauffage : Central gaz (chaudière neuve – 2024) Toiture : Refaite récemment – isolée Châssis et vitrages : DV partout avec volets en bas et sur le palier Raccordements : Eau – électricité – Egoût – gaz Etat général Très bon état général – quelques finitions à l’étage (dont le grenier) Environnement Maison située à proximité des grands axes routiers
  • Nombre de chambres: 2
  • Revenu Cadastral: 458 €
  • Libre à partir du: A l'acte
  • Anne WUILQUOT et Emmanuel NIZET, notaires associés
  • Personne de contact: Notaires associés Wuilquot et Nizet
  • Tel: (065) 71.81.20
  • Email: info@wuilquot.be

Maisons

483 Chaussée de Hannut, 4460 Grâce-Hollogne

Faire offre à partir de
135 000 €

Image de présentation du bien n° 287755
Vente de gré à gré
  • Référence: 287755
  • Située dans une cour calme, cette maison offre un cadre de vie agréable à proximité des commodités. Rez-de-chaussée : séjour lumineux, hall, cuisine à équiper ; 1er étage : deux chambres, un bureau (ou petite chambre d’appoint), palier desservant les pièces de nuit; Annexe non attenante : salle de bain; Sous-sol : caves Extérieur : Terrain non-attenant, parfait pour profiter des beaux jours ou pour un potager. Cette maison offre de belles possibilités d’aménagement selon vos envies. PEB: classe G (579 kwh/m².an - 72 361 kWh/an)
  • Nombre de chambres: 4
  • Nombre de salles de bains: 1
  • Revenu Cadastral: 296 €
  • Libre à partir du: A l'acte
  • Anne-Catherine Wathelet Notaire
  • Personne de contact: Ingrid DETRY
  • Tel: (087) 22.51.61
  • Email: ingrid.detry.357909@belnot.be
  • Informations de visite
  • Visite uniquement sur rendez-vous

Terrains

Stockeu, 4970 Stavelot

Faire offre à partir de
110 000 €

Image de présentation du bien n° 276858
Vente de gré à gré
  • Référence: 276858
  • Terrain (lot 1) situé en zone d'habitat d'une superficie de 15 ares 1 centiare situé à Stavelot, Stockeu
  • Libre à partir du: A l'acte
  • Cesar, Bernard
  • Personne de contact: Celine JACOT
  • Tel: (080) 86.20.23
  • Email: celine.jacot.125781@belnot.be

Maisons

8 Sint-Eventiuslaan, 3600 Genk

Faire offre à partir de
350 000 €

Image de présentation du bien n° 290058
Vente de gré à gré
  • Référence: 290058
  • G score: A P score: A
  • Nombre de chambres: 6
  • Nombre de salles de bains: 2
  • Revenu Cadastral: 728 €
  • Libre à partir du: A l'acte
  • Clercx, Böse & van der Weij, geassocieerde notarissen
  • Personne de contact: Natalie DELISSEN
  • Tel: (089) 35.44.88
  • Email: natalie.delissen.223164@belnot.be
  • Informations de visite
  • zaterdag op afspraak

Commerces

4 Rue Joseph Wauters, 4300 Waremme

Faire offre à partir de
395 000 €

Image de présentation du bien n° 290209
Vente de gré à gré
  • Référence: 290209
  • Rare sur le marché! Saisissez l'opportunité d'acquérir un immeuble mixte bénéficiant d'un cachet indéniable et d'un emplacement de choix au coeur de la ville de Waremme. Idéalement situé sur la rue principale, il offre un cadre de vie agréable combiné à une surface commerciale prête à l'emploi. Le bien se compose comme suit: Au rez (espace commercial et vie), découvrez une surface commerciale de charme, autrefois l'adresse réputée d'une boutique de vêtements pour dames. Cet espace bénéficiant d'une belle visibilité se compose d'une surface de vente de 110,42 m² entièrement aménagée, de deux espaces vitrines de 10 m², d'une deuxième pièce attenante, parfaite pour un atelier, un bureau ou une extension de la boutique de 13,34 m². A l'arrière, l'espace de vie prend le relais avec un living spacieux, une cuisine récemment aménagée comportant de nombreux placards de rangement ainsi qu'une cour privative. L'étage (espace résidentiel) accessible via l'espace de vie, offre trois chambres de bonnes dimensions, une salle de bains à aménager selon vos goûts et vos besoins, laissant libre cours à votre créativité. Un grenier complète l'étage offrant un potentiel de stockage supplémentaire ou d'aménagement futur (sous réserve d'autorisations). Belles vitrines avec volets intérieurs. Volet ext. devant la porte d'entrée du magasin. Alarme. Sept caméras de surveillance. Climatisation. Toitures en bon état. Châssis double vitrage. Lien video: https://www.youtube.com/watch?v=mg5FIjgw998
  • Nombre de salles de bains: 1
  • Revenu Cadastral: 2436 €
  • Libre à partir du: A l'acte
  • Olivier de LAMINNE de BEX, Société notariale
  • Personne de contact: Joelle LAMBRECHTS
  • Tel: (019) 32.29.10
  • Email: joelle.lambrechts.217594@belnot.be
  • Informations de visite
  • Pour tout renseignement ou visite, s'adresser en l'étude.

Maisons

93 Meereigen, 2170 Merksem

Faire offre à partir de
370 000 €

Image de présentation du bien n° 290262
Vente de gré à gré
  • Référence: 290262
  • G score: A P score: A
  • Nombre de chambres: 4
  • Nombre de salles de bains: 1
  • Revenu Cadastral: 828 €
  • Libre à partir du: A l'acte
  • NOTARIS VAN ROOSBROECK MERKSEM
  • Personne de contact: Catherina TEMPELERS
  • Tel: (03) 645.87.96
  • Email: catherina.tempelers.126383@belnot.be

Maisons

26 Genadedal, 8310 Sint-Kruis

Faire offre à partir de
330 000 €

Image de présentation du bien n° 290274
Vente de gré à gré
  • Référence: 290274
  • G score: D P score: D
  • Nombre de chambres: 3
  • Superficie habitable: 139m2
  • Nombre de salles de bains: 1
  • Revenu Cadastral: 937 €
  • Libre à partir du: A l'acte
  • Notariskantoor Gert De Kesel
  • Personne de contact: Annelies WILLEM
  • Tel: (050) 35.50.22
  • Email: notaris@notarisgertdekesel.be

Maisons

58 Léon Desmottes, 7910 Frasnes-lez-Anvaing

Faire offre à partir de
130 000 €

Image de présentation du bien n° 290271
Vente de gré à gré
  • Référence: 290271
  • Frasnes, rue Léon Desmottes, 58 - Bonne maison d'habitation avec garage sur et avec 01a 04ca. Rez comprenant un hall d'entrée, un living, une cuisine équipée, une salle de bains (meuble lavabo, wc, douche), une buanderie et un petit balcon couvert. Au 1er étage: 2 grandes chambres. Au 2ème étage: un grenier. Le bien dispose également d'un bel espace de stockage (cave au niveau de la rue Oscart Soudant) avec accès via l'intérieur de la maison et du garage doté d'un volet électrique. Châssis en bois double vitrage. Chauffage central mazout. Libre d'occupation. RC: 375 €. L'organisation des visites a été confiée à Monsieur Eric DESLEE, vous pouvez le joindre au 0497/53.12.67.
  • Nombre de chambres: 2
  • Revenu Cadastral: 375 €
  • Libre à partir du: A l'acte
  • DEWASME, TUYTTENS, LENOBLE, Notaires associés
  • Personne de contact: Laurence FONTAINE
  • Tel: (069) 66.60.11
  • Email: laurence.fontaine.183590@belnot.be
  • Informations de visite
  • L'organisation des visites a été confiée à Monsieur Eric DESLEE, vous pouvez le joindre au 0497/53.12.67.

Maisons

43 Rue Basse, 7370 Wihéries

Faire offre à partir de
35 000 €

Image de présentation du bien n° 290268
Vente publique en ligne
  • Référence: 290268
  • Rez-de-chaussée: Une pièce cuisine Un petit salon Une petite annexe avec -salle de bains avec bain, WC et ancienne douche -débarras Etages: Deux chambres mansardées en enfilade (la deuxième est subdivisée en deux également) Extérieur : Un jardin à l’avant et sur le côté de la maison Chauffage : Un poêle aux pellets Toiture : A refaire entièrement Raccordements : Eau – électricité – Egoût Gaz disponible dans la rue Maison à rénover entièrement Cuisine, salle de bains, toiture et isolation Electricité à faire vérifier Escaliers extérieur donnant accès à la maison à refaire Le bien a fait l’objet des travaux suivants : construction d’un débarras/buanderie jouxtant la salle de bain, pour lesquels aucun permis n’a été obtenu à ce jour. (A démolir) Fenêtre du salon donnant sur l’arrière de l’habitation est un verre dormant et doit rester un verre dormant ; le châssis de la fenêtre doit être remplacé par un châssis fixe ne laissant passer que la lumière et non l’air.
  • Nombre de chambres: 2
  • Vente en cours
  • Date de début: 31/12/2025 14:00
  • Date de fin: 08/01/2026 14:00
  • Pas d'enchère: 1000 €
  • Revenu Cadastral: 163 €
  • Libre à partir du: A définir
  • Anne WUILQUOT et Emmanuel NIZET, notaires associés
  • Personne de contact: Notaires associés Wuilquot et Nizet
  • Tel: (065) 71.81.20
  • Email: info@wuilquot.be

Maisons

12 Kooigemwegel, 8554 Sint-Denijs

Faire offre à partir de
142 000 €

Image de présentation du bien n° 290277
Vente de gré à gré
  • Référence: 290277
  • G score: A P score: A
  • Nombre de chambres: 3
  • Nombre de salles de bains: 1
  • Revenu Cadastral: 133 €
  • Libre à partir du: A l'acte
  • Devos, Turpyn, Mullie & Voet, notarissenassociatie
  • Personne de contact: Sharon DESMET
  • Tel: (056) 45.51.88
  • Email: sharon.desmet.353407@belnot.be

Terrains

50 Rue du Fayt, 7973 Grandglise

Faire offre à partir de
40 000 €

Image de présentation du bien n° 289828
Vente de gré à gré
  • Référence: 289828
  • OFFRE FERME DE 40.000 EUROS Beau terrain (LOT 2) en zone d'habitat présentant un développement de façade d'environ 15 mètres, situé dans une jolie rue résidentielle, proche des grands axes. Le terrain est fermé en façade avant par un mur et un portail. Il existe sur celui-ci un vieux garage et une remise.
  • Libre à partir du: A l'acte
  • Paul-Etienne et Pierre-Olivier CULOT, notaires associés
  • Personne de contact: Aurore VOS
  • Tel: (069) 68.91.11
  • Email: aurore.vos.128777@belnot.be
  • Informations de visite
  • Visites sur place

Maisons

83 Rue des Horticulteurs, 1020 Laeken

Faire offre à partir de
125 000 €

Image de présentation du bien n° 280113
Vente publique en ligne
  • Référence: 280113
  • Une maison d’habitation avec dépendances Sise rue des Horticulteurs 83 pour une superficie de 80ca. Comprenant 6 chambres. R.c.n.i. 832€. Libre d’occupation. Attention le bien est frappé d’une interdiction d’habitation en vertu de l’arrêté pris par le Bourgmestre de la Ville de Bruxelles dd 18/12/2020, tel que précisé au présent cahier de charges. Zone d’habitation. PEB G/507. Contr. électr. non conforme. Visites : mardi 18/11 de 13-15h et jeudis 27/11, 11/12 de 9-13h. Le bien est difficilement accessible. La situation actuelle du bien ne permet pas de visites dans des conditions favorables. Le candidat-acquéreur pourra sous sa seule responsabilité visiter l’intérieur. Début enchères : mardi 09.12.25 à 13h - Fin enchères : jeudi 17.12.25 à 13h - Mise à prix : 125.000€ - Enchère min. : 1.000€ - Sign. acte : jeudi 18.12.25 à 17h30 - www.biddit.be - Réf. bien : 280113.
  • Nombre de chambres: 6
  • Vente en cours
  • Date de début: 09/12/2025 13:00
  • Date de fin: 17/12/2025 13:00
  • Pas d'enchère: 1000 €
  • Revenu Cadastral: 832 €
  • Libre à partir du: A l'acte
  • VAN STEENKISTE, société notariale
  • Personne de contact: Victoria MOISSE
  • Tel: (02) 761.93.14
  • Email: vmoisse@vstk.be
  • Informations de visite
  • mardi 18/11 de 13-15h et jeudis 27/11, 11/12 de 9-13h.

Maisons

49 Rue d'Herlaimont, 7160 Chapelle-lez-Herlaimont

Faire offre à partir de
120 000 €

Image de présentation du bien n° 290189
Vente de gré à gré
  • Référence: 290189
  • Bonne maison d'habitation idéalement située, deux façades avec emplacement de parking, comprenant un salon, une cuisine ouverte donnant sur salle à manger, une buanderie, jardin, à l'étage 3 chambres, une salle de bains, balcon, 1 a 30 ca, RC 466 €, double vitrage et volets, prix indicatif et non contractuel,
  • Nombre de chambres: 3
  • Revenu Cadastral: 466 €
  • Libre à partir du: Immédiatement
  • Olivier MINON Notaire
  • Personne de contact: Olivier MINON
  • Tel: (071) 59.00.68
  • Email: olivier.minon@belnot.be

Maisons

477 Rue des Ardennes, 5570 Winenne

Faire offre à partir de
185 000 €

Image de présentation du bien n° 290251
Vente de gré à gré
  • Référence: 290251
  • Maison 2 façades en très bon état, avec garage et jardin d'une contenance de 6 ares 51 centiares. Composition: Rez: hall, salon, salle à manger, cuisine équipée, véranda ouverte buanderie/chaufferie, wc. 1er étage: hall, 3 chambres, grand living, salle de douche, wc. Grenier accessible par trapppe. Ce bien est équipé de châssis double vitrage PVC récents et d'un chauffage central mazout. PEB C. Prix souhaité : 185.000 EUR sauf offre supérieure. Renseignements et visites en l'étude du notaire LAURENT à Beauraing
  • Nombre de chambres: 3
  • Revenu Cadastral: 423 €
  • Libre à partir du: A l'acte
  • Philippe LAURENT, société notariale
  • Personne de contact: Chloé GRIDLET
  • Tel: (082) 71.14.24
  • Email: chloe.gridlet.133918@belnot.be
  • Informations de visite
  • Sur RDV en l'Etude.

Terrains

, 4630 Soumagne

Faire offre à partir de
300 000 €

Image de présentation du bien n° 290284
Vente de gré à gré
  • Référence: 290284
  • Ensemble de pâtures sises à Soumagne, en lieu-dit "Micheroux Village" et "Saar", situées en partie en Zone d'Aménagement Communal Concerté, en partie en zone d'habitat, et en partie en zone agricole , pour une superficie totale de 29.616 m². Sur rendez-vous à prendre au 04/377.11.31 Faire offre en l'Etude.
  • Revenu Cadastral: 242 €
  • Libre à partir du: A l'acte
  • Notaire Laurent VOISIN, Société Notariale
  • Personne de contact: Jessica WILEM
  • Tel: (04) 377.11.31
  • Email: jessica.wilem.111427@belnot.be
  • Informations de visite
  • Sur rendez-vous à prendre au 04/377.11.31

Maisons

22 Wouters-Lefebvreplein, 2830 Willebroek

Faire offre à partir de
265 000 €

Image de présentation du bien n° 290289
Vente publique en ligne
  • Référence: 290289
  • G score: C P score: C
  • Nombre de chambres: 3
  • Nombre de salles de bains: 2
  • Vente en cours
  • Date de début: 22/12/2025 13:00
  • Date de fin: 30/12/2025 13:00
  • Pas d'enchère: 1000 €
  • Revenu Cadastral: 699 €
  • Libre à partir du: Immédiatement
  • CELIS & LIESSE
  • Personne de contact: Kantoor Not. Celis & Liesse
  • Tel: (03) 213.86.00
  • Email: info@notaris-celis.be
  • Informations de visite
  • Het goed zal door de kandidaat-kopers kunnen bezocht worden elke zaterdag van 10u-12u en elke donderdag van 16u-18u, en dit vanaf zaterdag 29 november 2025 tot en met zaterdag 27 december 2025

Terrains

Spechtstraat, 2400 Mol

Faire offre à partir de
55 000 €

Image de présentation du bien n° 290287
Vente de gré à gré
  • Référence: 290287
  • P score: B
  • Revenu Cadastral: 8 €
  • Libre à partir du: A l'acte
  • Benijts & Colson, notarissen
  • Personne de contact: Vincent WELLENS
  • Tel: (014) 58.44.41
  • Email: tekoop@benijtscolson.be
  • Informations de visite
  • Dit perceel grond is vrij te bezoeken.

Maisons

8 Pater Clement Lemmensstraat, 3971 Heppen

Faire offre à partir de
40 000 €

Image de présentation du bien n° 290292
Vente publique en ligne
  • Référence: 290292
  • G score: A P score: A
  • Nombre de chambres: 3
  • Nombre de salles de bains: 1
  • Dates de vente
  • Date de début: 04/12/2025 14:00
  • Date de fin: 12/12/2025 14:00
  • Pas d'enchère: 1000 €
  • Revenu Cadastral: 552 €
  • Libre à partir du: A l'acte
  • Notaris Bart Vankrunkelsven
  • Personne de contact: Liesbeth SCHEUNDERS
  • Tel: (011) 34.11.56
  • Email: liesbeth@notarisbartvankrunkelsven.be
  • Informations de visite
  • Het goed kan bezocht worden op eigen risico de zaterdagen 29 november en 6 december 2025 van 10u-11u, OF op afspraak met het notariskantoor 011/34.11.56

Appartements

56 Avenue Général Jacques, 1400 Nivelles

Faire offre à partir de
140 000 €

Image de présentation du bien n° 290291
Vente publique en ligne
  • Référence: 290291
  • VISITES UNIQUEMENT SUR RENDEZ-VOUS AU SERVICE VISITE NOTARIAL: 0489/29.77.11. Elles débuteront le lundi 24 novembre 2025 et se clôtureront le lundi 12 janvier 2026. Idéalement situé à deux pas de la Collégiale, cet appartement, de +/- 64m² au 2? étage offre un très beau potentiel de rénovation. Il se compose d’un hall d’entrée avec vestiaire, d’un séjour lumineux, d’une cuisine, de deux chambres, d’une salle de bains et d’une toilette séparée. Vous disposez également, au sous-sol, d’une cave et d’un garage privatif. Libre d’occupation.
  • Nombre de chambres: 2
  • Nombre de salles de bains: 1
  • Vente en cours
  • Date de début: 05/01/2026 14:00
  • Date de fin: 13/01/2026 14:00
  • Pas d'enchère: 1000 €
  • Revenu Cadastral: 986 €
  • Libre à partir du: A l'acte
  • Adeline Vanpée et Diane de Roubaix - Notaires associés
  • Personne de contact: Kelly WATERLOT
  • Tel: (067) 21.20.92
  • Email: kelly.waterlot.353597@belnot.be
  • Informations de visite
  • VISITES UNIQUEMENT SUR RENDEZ-VOUS AU SERVICE VISITE NOTARIAL: 0489/29.77.11. Elles débuteront le lundi 24 novembre 2025 et se clôtureront le lundi 12 janvier 2026.

Appartements

47 Rue Scailquin, 1210 Saint-Josse-ten-Noode

Faire offre à partir de
100 000 €

Image de présentation du bien n° 286782
Vente publique en ligne
  • Référence: 286782
  • Dans un immeuble à appartements « Résidence Cormoran et Albatros » sis rue Scailquin 47 L’ appartement J.3 au 3 étage Comprenant hall avec vestiaire, cuisine avec terrasse, living, wc, salle de bains, 1 chambre. R.c.n.i. 867€. Libre d' occupation lors du paiement du prix. Zone d’habitation, en espace structurant, zone administrative. PEB D/182. Contr. électr. non conforme. Visites : mercredis 3-10-17/12 de 10-12h et samedis 29/11, 6-13/12 de 14-16h. Début enchères : jeudi 11.12.25 à 13h - Fin enchères : vendredi 19.12.25 à 13h - Mise à prix : 100.000€ - Enchère min. : 1.000€ - Sign. acte : mardi 23.12.25 à 12h30 - www.biddit.be - Réf. bien : 286782
  • Nombre de chambres: 1
  • Nombre de salles de bains: 1
  • Vente en cours
  • Date de début: 11/12/2025 13:00
  • Date de fin: 19/12/2025 13:00
  • Pas d'enchère: 1000 €
  • Revenu Cadastral: 867 €
  • Libre à partir du: autre
  • DE CLIPPELE - BRUYAUX - NAETS, Notaires Associés
  • Personne de contact: Melanie NOEL
  • Tel: (02) 538.60.76
  • Email: m.noel@notabel.info
  • Informations de visite
  • mercredis 3-10-17/12 de 10-12h et samedis 29/11, 6-13/12 de 14-16h.