Image de présentation du bien n° 293632

A propos de ce bien

Référence: 293632


P score: B

Informations générales

  • Libre à partir duÀ l'acte
  • Type de bienTerrains
  • Revenu cadastral6 €

Informations supplémentaires

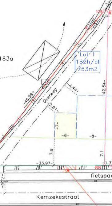
  • Surface de construction753m2

Informations sur le jardin et terrain

  • Superficie cadastrale754m2

Informations urbanistiques

  • Permis d'urbanisation ou permis de lotir
  • La destination urbanistique la plus récente de ce bien avec les dénominations utilisées dans le registre des planswoongebieden
  • Inondabilité de la zonePas d’application

Données relatives à la protection du patrimoine

  • Le bien est protégé ou repris dans un inventaire établiNon

Documents et pièces jointes

Vente de gré à gré

Prix souhaité

195 000 €

Vendu par l'étude HOUTSAEGER & HAEMERS, GEASSOCIEERDE NOTARISSEN

Vous avez une question sur ce bien ou souhaitez planifier une visite ? Contactez le notaire du vendeur.

Informations de visite

De bouwgrond is vrij te bezoeken, voor meer informatie neem contact op met het notariskantoor via suleika@notarisvh.be of 03/776.08.64