Image de présentation du bien n° 292054

A propos de ce bien

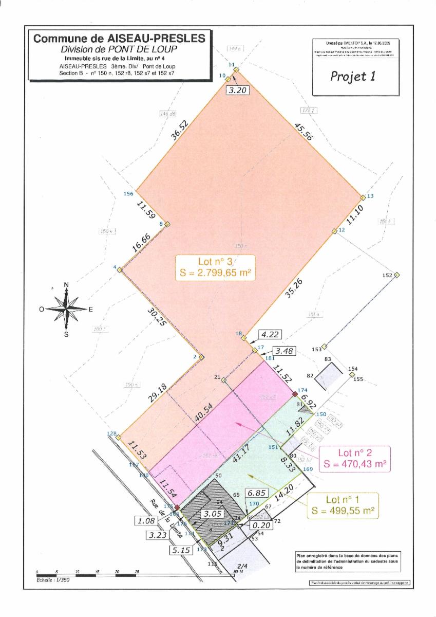
Référence: 292054


Lot n°3 du plan d'une contenance de 2799,65m². Terrain en zone d'habitat sur +/-50mau plan de secteur et pour le reste en zone d'activité économique industrielle. Libre d'occupation. Visites sur place.

Informations générales

  • Libre à partir duÀ l'acte
  • Type de bienTerrains

Informations sur le jardin et terrain

  • Superficie cadastrale2800m2

Informations sur les commodités et facilités

  • Bus à proximité
  • Magasins à proximité
  • Écoles à proximité
  • Autoroute à proximité

Informations financières

  • Revenu cadastral à définir

Informations urbanistiques

  • Destination urbanistique la plus récenteZone d'habitat

Données relatives à la protection du patrimoine

  • Inscription à la liste de sauvegarde ou de classement du patrimoine immobilierNon

Vente de gré à gré

Faire offre à partir de

52 500 €

Vendu par l'étude Sophie BELLOTTO, Notaire

Vous avez une question sur ce bien ou souhaitez planifier une visite ? Contactez le notaire du vendeur.

Informations de visite

Visites sur place