Image de présentation du bien n° 294983

A propos de ce bien

Référence: 294983


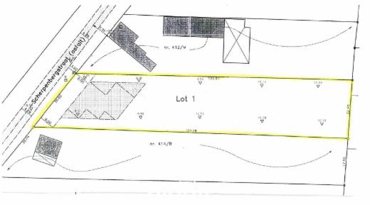
Un terrain d'une superficie de 24 ares et 26 centiares, entièrement situé dans une zone d'habitat à caractère rural, avec une largeur de façade d'environ 26 mètres, section C, numéro 413/C P0000, entre les numéros de maison 9 et 15.
La parcelle bénéficie d'un emplacement idéal dans un environnement calme, facilement accessible et à proximité des écoles, des transports en commun et des commerces.
Il n'y a aucun bâtiment sur la parcelle. P score: A

Informations générales

  • Libre à partir duÀ l'acte
  • Type de bienTerrains

Informations sur le jardin et terrain

  • Superficie cadastrale2426m2
  • Largeur du terrain26m

Informations financières

  • Revenu cadastral à définir

Informations urbanistiques

  • La destination urbanistique la plus récente de ce bien avec les dénominations utilisées dans le registre des plansWoongebied met landelijk karakter

Vente online

Faire offre à partir de

160 000 €

Informations de vente

Logo du partenaire Biddit

Date de début: 20/04/2026 14:00

Date de fin: 28/04/2026 14:00

Pas d'enchère: 1 000 €

Voir la fiche sur Biddit.be

Vendu par l'étude BOVEND´AERDE & MANSHOVEN - geassocieerde notarissen

Informations de visite

Le bien pourra être librement visité par les acheteurs potentiels depuis la voie publique (Scherpenbergstraat)