Samenvatting van uw zoekopdracht

Huizen

2 Roeselberg, 3390 Houwaart

Doe een bod van
380.000 €

Presentatiebeeld van het pand n° 290979
Online openbare verkoop
  • Referentie: 290979
  • Gemeente Tielt-Winge, 2de afdeling, gelegen Roeselberg 2 met een oppervlakte van 19a66ca. Een energiezuinige woning in bosrijke omgeving. De woning werd opgericht in houtskelet met natuurlijke materialen (strobalen bezet met traskalk (buitenzijde) en leem (binnenzijde) met bijzondere aandacht voor het wooncomfort (veel glas aan zuidkant met dakoversteek). Indeling: Gelijkvloers: garage en kelder. Eerste verdieping: 4 slaapkamers, badkamer met ligbad, douche en wc, afzonderlijk toilet. Tweede verdieping: woonruimte met keukenhoek en dakterras. Derde verdieping: mezzanine met bureauruimte. Met aangename tuin. Nutsvoorzieningen: water, elektriciteit, verwarming op houtvergassingsketel & vloerverwarming - zonneboiler. Stedenbouwkundige bestemming: woongebieden met landelijk karakter en landschappelijk waardevolle agrarische gebieden – omgevingsvergunning voor het bouwen van een woning in strobalen– geen maatregel ruimtelijke ordening – voorkooprecht RVV De Vlaamse Waterweg. P-score = A – G-score = A (A= geen overstroming gemodelleerd). Zeer goede onderhoudstoestand - bouwjaar 2016. EPC- 113 kWh/m² jaar (label B) - geen renovatieplicht -elektriciteitsinstallatie conform. G score: A P score: A
  • Aantal kamers: 4
  • Oppervlakte van het woongedeelte: 227m2
  • Aantal badkamers: 1
  • Lopende verkoop
  • Startdatum: 24/02/2026 11:00
  • Einddatum: 04/03/2026 11:00
  • Geen bod: 1000 €
  • Kadastraal inkomen: 1142 €
  • Vrij vanaf: Bij de akte
  • Geysels Kurt
  • Contactpersoon: Sophie GEYSELS
  • Tel: 016140191
  • Email: sophie.geysels@notaris-geysels.be
  • Bezoekgegevens
  • Vrij te bezoeken elke zaterdag van 14u-16u, en dit vanaf zaterdag 07 februari 2026 tot en met zaterdag 28 februari 2026

Huizen

30 Domaine Vincent Van Gogh, 7301 Hornu

Doe een bod van
70.000 €

Presentatiebeeld van het pand n° 291738
Uit de hand
  • Referentie: 291738
  • Bien à rénover situé au centre d’Hornu (Boussu), idéalement situé proche du centre urbain, zone calme, agréable et boisée avec facilité d’accès et de parking. Le bien est composé comme suit : - Au sous-sol : 2 caves spacieuses ; - Au rez-de-chaussée : une pièce à l’avant, une pièce à l’arrière, WC séparé, salle d'eau ; - A l'étage : une chambre grande chambre, une petite chambre avec accès grenier ; - Au grenier : grenier aménageable (escalier existant). - Extérieurs : Jardin avec accès via l'arrière. Technicités : Type de châssis : mixte, majoritairement double, ancienne génération, à revoir, Egouttage : fosse septique et raccordement à l’égout ensuite, Électricité : mise en conformité à prévoir, Toiture : D’époque, à revoir, présence de raccordement gaz au rez + chauffe-eau neuf.
  • Aantal kamers: 2
  • Oppervlakte van het woongedeelte: 90m2
  • Kadastraal inkomen: 438 €
  • Vrij vanaf: Bij de akte
  • Dirosa, Jeanine
  • Contactpersoon: Justine CARDON
  • Tel: (065) 78.38.23
  • Email: justine.cardon.107292@belnot.be
  • Bezoekgegevens
  • S'adresser en l'étude - 065/78.38.23.

Huizen

29 Domaine Vincent Van Gogh, 7301 Hornu

Doe een bod van
68.000 €

Presentatiebeeld van het pand n° 291737
Uit de hand
  • Referentie: 291737
  • Bien à rénover situé au centre d’Hornu (Boussu), idéalement situé proche du centre urbain, zone calme, agréable et boisée avec facilité d’accès et de parking. Le bien est composé comme suit : - Au sous-sol : 2 caves spacieuses ; - Au rez-de-chaussée : une pièce à l’avant, une pièce à l’arrière, WC séparé, salle d'eau ; - A l'étage : une chambre grande chambre, une petite chambre avec accès grenier ; - Au grenier : grenier aménageable (escalier existant). - Extérieurs : Jardin avec accès via l'arrière. Technicités : Type de châssis : mixte, majoritairement double, ancienne génération, à revoir, Egouttage : fosse septique et raccordement à l’égout ensuite, Électricité : mise en conformité à prévoir, Toiture : D’époque, à revoir, présence de raccordement gaz au rez + chauffe-eau neuf.
  • Aantal kamers: 2
  • Oppervlakte van het woongedeelte: 115m2
  • Kadastraal inkomen: 438 €
  • Vrij vanaf: Bij de akte
  • Dirosa, Jeanine
  • Contactpersoon: Justine CARDON
  • Tel: (065) 78.38.23
  • Email: justine.cardon.107292@belnot.be
  • Bezoekgegevens
  • S'adresser en l'étude - 065/78.38.23.

Huizen

4 Domaine Vincent Van Gogh, 7301 Hornu

Doe een bod van
70.000 €

Presentatiebeeld van het pand n° 291625
Uit de hand
  • Referentie: 291625
  • Bien à rénover situé au centre d’Hornu (Boussu), idéalement situé proche du centre urbain, zone calme, agréable et boisée avec facilité d’accès et de parking. Le bien est composé comme suit : - Au sous-sol : 2 caves spacieuses ; - Au rez-de-chaussée : une pièce à l’avant, une pièce à l’arrière avec grande verrière ; - A l'étage : une chambre, WC séparé, une salle d'eau ; - Au grenier : une chambre mansardée et un espace grenier. - Extérieurs : Jardin avec accès via l'arrière. Technicités : Type de châssis : mixte, majoritairement double, ancienne génération, à revoir, Egouttage : fosse septique et raccordement à l’égout ensuite, Électricité : mise en conformité à prévoir, Toiture : D’époque, à revoir.
  • Aantal kamers: 2
  • Oppervlakte van het woongedeelte: 108m2
  • Aantal badkamers: 1
  • Kadastraal inkomen: 416 €
  • Vrij vanaf: Bij de akte
  • Dirosa, Jeanine
  • Contactpersoon: Justine CARDON
  • Tel: (065) 78.38.23
  • Email: justine.cardon.107292@belnot.be
  • Bezoekgegevens
  • S'adresser en l'étude - 065/78.38.23.

Huizen

46 Domaine Vincent Van Gogh, 7301 Hornu

Doe een bod van
70.000 €

Presentatiebeeld van het pand n° 291739
Uit de hand
  • Referentie: 291739
  • Bien à rénover situé au centre d’Hornu (Boussu), idéalement situé proche du centre urbain, zone calme, agréable et boisée avec facilité d’accès et de parking. Le bien est composé comme suit : - Au sous-sol : 2 caves spacieuses ; - Au rez-de-chaussée : une pièce à l’avant, une pièce à l’arrière avec grande verrière ; - A l'étage : une chambre, WC séparé, une salle d'eau ; - Au grenier : une chambre mansardée et un espace grenier. - Extérieurs : Jardin avec accès via l'arrière. Technicités : Type de châssis : mixte, majoritairement double, ancienne génération, à revoir, Egouttage : fosse septique et raccordement à l’égout ensuite, Électricité : mise en conformité à prévoir, Toiture : D’époque, à revoir.
  • Aantal kamers: 2
  • Oppervlakte van het woongedeelte: 108m2
  • Kadastraal inkomen: 416 €
  • Vrij vanaf: Bij de akte
  • Dirosa, Jeanine
  • Contactpersoon: Justine CARDON
  • Tel: (065) 78.38.23
  • Email: justine.cardon.107292@belnot.be
  • Bezoekgegevens
  • S'adresser en l'étude - 065/78.38.23.

Gronden

Smisstraat, 3730 Hoeselt

Doe een bod van
115.500 €

Presentatiebeeld van het pand n° 291818
Uit de hand
  • Referentie: 291818
  • BILZEN-HOESELT: bouwgrond voor open bebouwing in verkaveling, lot 4, sectie I, nummer 873 D P0000, groot 07a. WgLk, Vv, Gvkr, Gmo. P-score: A. Meer info via notaris Mia Knapen te Lanaken. P score: A
  • Vrij vanaf: Bij de akte
  • NOTARIS MIA KNAPEN
  • Contactpersoon: Kantoor Not. Mia Knapen
  • Tel: (089) 76.78.66
  • Email: valerie.ramaekers@notaris-knapen.be

Huizen

6 Deken Adriaensstraat, 1080 Sint-Jans-Molenbeek

Doe een bod van
289.000 €

Presentatiebeeld van het pand n° 289348
Online openbare verkoop
  • Referentie: 289348
  • Een opbrengsthuis met 4 wooneenheden Sise Deken Adriaensstraat 6 voor een oppervlakte van 1a 08ca omvattende : Kelders - op glvl. : inkomhal, eetkamer, salon, keuken, wasplaats, badkamer, 1 slaapkamer, terras - op 1e verd. : living, keuken, badkamer, wc, 2 slaapkamers - op 2e verd. : living, keuken, badkamer, wc, 2 slaapkamers - op 3e verd. : living, keuken, badkamer, wc, 2 slaapkamers. N.g.k.i. 1.824€. Vrij van gebruik. Woongebied, GCHEWS. EPC G/765 (glvl), G/408 (1e verd.), G/408 (2e verd.), G/770 (3e verd.). Contr. elektr. niet conform. Bezoeken (vanaf 21/1 tem 14/2) : woensdag van 14u30-16u30 en zaterdagen van 10u30-12u30. Infosessie : maandag 09.02.26 om 18u - Begin biedingen : woensdag 11.02.26 om 11u - Einde biedingen : donderdag 19.02.26 om 11u - Instelprijs : 289.000€ - Bodverhoging : 2.500€ - Ondertekening akte : vrijdag 27.02.26 om 11u - www.biddit.be - Ref. pand : 289348.
  • Aantal kamers: 7
  • Aantal badkamers: 4
  • Lopende verkoop
  • Startdatum: 11/02/2026 11:00
  • Einddatum: 19/02/2026 11:00
  • Geen bod: 2500 €
  • Kadastraal inkomen: 1824 €
  • Vrij vanaf: Bij de akte
  • Notilius, Notaires Associés
  • Contactpersoon: Rodolphe DE MEEUS
  • Tel: (02) 663.26.13
  • Email: rdm@notilius.be
  • Bezoekgegevens
  • (vanaf 21/1 tem 14/2) : woensdag van 14u30-16u30 en zaterdagen van 10u30-12u30.

Gronden

3 Rue Petit Warichet, 1367 Mont-Saint-André

Doe een bod van
185.000 €

Presentatiebeeld van het pand n° 291822
Uit de hand
  • Referentie: 291822
  • Superbe terrain à bâtir rue Petit Warichet n°3 dans le beau village de Mont Saint André à 3' en voiture des commerces. Il présente 25m de façade de relief plat et offre une vue dégagée vers l'arrière sans vis à vis. Hors aléas d'inondation, voirie équipée hors gaz, pas de servitude, libre de bail à l'acte. Faire offre à partir de 185.000€ sous réserve d'acceptation du vendeur. Droit d'enregistrement à 3% possible moyennant respect des conditions. TVA 21% sur construction. Informations complémentaire au 0499 033 231
  • Kadastraal inkomen: 20 €
  • Vrij vanaf: Bij de akte
  • DacNot, société notariale
  • Contactpersoon: Jean FOSSOUL
  • Tel: 0499 033 231
  • Email: jean.fossoul.350120@belnot.be

Handelspanden

67 Chaussée de Renaix, 7912 Saint-Sauveur

Doe een bod van
900.000 €

Presentatiebeeld van het pand n° 291602
Uit de hand
  • Referentie: 291602
  • Grand complexe immobilier situé le long de la Chaussée de Renaix, à proximité des grands axes routiers, comprenant : Une librairie (en location) avec une réserve, un WC avec évier et un étage; une surface commerciale; un garage automobile (en location) avec partie bureau et WC; un grand entrepôt avec partie bureau et WC; une station-service; un vaste parking et de 4 appartements à rénover (libre d'occupation). Le bien est en partie encavé - chaudière Viessmann avec nouveau bruleur. Cet espace offre de nombreuses possibilités pour diverses activités commerciales et bénéficie d'une grande visibilité et d'une accessibilité facile.
  • Kadastraal inkomen: 7230 €
  • Vrij vanaf: Te bepalen
  • Sylvie DECROYER, Notaire
  • Contactpersoon: Kelly VERPLANCKEN
  • Tel: (069) 86.65.77
  • Email: kelly.verplancken.130732@belnot.be
  • Bezoekgegevens
  • Sur rendez-vous avec l'Etude

Appartementen

40 Avenue Léopold II, 4900 Spa

Doe een bod van
85.000 €

Presentatiebeeld van het pand n° 291815
Uit de hand
  • Referentie: 291815
  • L'étude des Notaires GUYOT & CREMER a le plaisir de vous proposer à la vente la chambre d'hôtel K36 située au rez-de-chaussée de la Radisson Blu Balmoral Hotel à Spa, un établissement de renommée situé au cœur des Ardennes. A deux pas des célèbres Thermes de Spa et du Royal Golf Club des Fagnes véritable destination de choix pour les passionnés de calme et bien-être ! L'hôtel offre un accès complet à ses installations haut de gamme tels que: spa, piscine, salle de sport, billard, bar, restaurant, et bien plus encore, pour garantir à vos futurs locataires un séjour inoubliable. Cette chambre d'hôtel est un investissement idéal vous permettant de bénéficier d'une gestion simplifiée, d'un revenu locatif annuel et d'un grand nombre d'avantages (accès préférentiel etc.). Profitez ainsi d'un emplacement privilégié dans une ville réputée pour son tourisme thermal, ses commerces, sa nature environnante et son célèbre circuit automobile Spa-Francorchamps. Bail d'emphytéotique !! Ne manquez pas cette opportunité et contactez nous au087/77.10.72 !
  • Aantal kamers: 1
  • Oppervlakte van het woongedeelte: 24m2
  • Kadastraal inkomen: 469 €
  • Vrij vanaf: Andere
  • GUYOT & CREMER, notaires associés
  • Contactpersoon: Aline SCHMITZ
  • Tel: (087) 77.10.72
  • Email: aline.schmitz.460044@belnot.be

Gronden

138 Coqjanstraat, 7850 Lettelingen

Doe een bod van
190.000 €

Presentatiebeeld van het pand n° 291823
Uit de hand
  • Referentie: 291823
  • Terrain sis Champ du Bois (à gauche du numéro 138 rue de Coquiane), d'une contenance de 12a82c. Très bien situé. plan de secteur: zone d'habitat/zone agricole.
  • Kadastraal inkomen: 12 €
  • Vrij vanaf: Bij de akte
  • LEX & LAW
  • Contactpersoon: Sophie DELMEE
  • Tel: (02) 395.44.25
  • Email: sophie.delmee.127217@belnot.be

Huizen

18 Edmond Parmentierlaan, 1150 Sint-Pieters-Woluwe

Doe een bod van
599.000 €

Presentatiebeeld van het pand n° 291685
Online openbare verkoop
  • Referentie: 291685
  • Charmante Maison bel-étage à rénover, située à proximité de grands axes de communications, écoles et commerces. sous-sol : garage, Caves et jardin. Rez-de-chaussée : Hall d'entrée, WC, Salon, salle à manger, cuisine. 1e Etage : trois chambres, une salle de bains avec WC, 2e Etage : deux chambres, , une salle de bain avec WC, une terrasse. Actuellement louée avec bail de 9 ans.
  • Aantal kamers: 5
  • Aantal badkamers: 2
  • Lopende verkoop
  • Startdatum: 02/02/2026 13:00
  • Einddatum: 10/02/2026 13:00
  • Geen bod: 1000 €
  • Kadastraal inkomen: 2352 €
  • Vrij vanaf: Andere
  • Tytgat Jean, notaire
  • Contactpersoon: Yasemin KOSE
  • Tel: (071) 78.50.81
  • Email: yasemin.kose.100743@belnot.be
  • Bezoekgegevens
  • Uniquement sur rendez-vous

Huizen

575 Chaussée de Fleurus (GY), 6060 Gilly

Doe een bod van
95.000 €

Presentatiebeeld van het pand n° 290231
Uit de hand
  • Referentie: 290231
  • Maison 2 façades située à Gilly, Chaussée de Fleurus, 575 d'une superficie de 1 are et 08 ca et composée comme ceci : - Au sous-sol : 3 caves. - Au rez-de-chaussée : un hall d’entrée avec wc (+/- 15 m²), un séjour/salle à manger (+/- 35 m²), une cuisine (+/- 10 m²). En annexe : une véranda. - Au 1er étage : un hall de nuit (+/- 5 m²), une salle de bain (+/- 7 m²) et 3 chambres (+/- 16; 10 et 14 m²). - Au grenier : possibilité de 2 à 4 pièces aménageables. Châssis double vitrage en PVC à l’avant et en bois à l’arrière. Jardin à l’arrière. Chauffage au gaz (chaudière à condensation récente). PEB : E. RC : 480€. Les visites s'effectuent les mardis et jeudis de 16h30 à 19h. Uniquement sur RDV au 071/41.45.34. Faire offre à partir de 95.000€
  • Aantal kamers: 3
  • Aantal badkamers: 1
  • Kadastraal inkomen: 480 €
  • Vrij vanaf: Bij de akte
  • Gilles FRANCE Notaire
  • Contactpersoon: Charlotte METZ
  • Tel: (071) 41.45.34
  • Email: charlotte.metz.127191@belnot.be
  • Bezoekgegevens
  • Les visites s'effectuent les mardis et jeudis de 16h30 à 19h. Uniquement sur RDV au 071/41.45.34

Handelspanden

2 Leopold I Esplanade, 8660 De Panne

Doe een bod van
180.000 €

Presentatiebeeld van het pand n° 291729
Online openbare verkoop
  • Referentie: 291729
  • Deze horecazaak gelegen op een uitermate commerciële ligging vlak bij de zeedijk en langs de mooi aangelegde Leopold I Esplanade is volledig gebruiksklaar. Alle roerende goederen dienstig voor de uitbating zitten vervat in huidige verkoop en maken dat de toekomstige eigenaar onmiddellijk kan starten met de zaak van zijn of haar dromen!
  • Lopende verkoop
  • Startdatum: 17/02/2026 13:00
  • Einddatum: 25/02/2026 13:00
  • Geen bod: 1000 €
  • Kadastraal inkomen: 1274 €
  • Vrij vanaf: Bij de akte
  • NOTARIS ERIC DE GRAVE
  • Contactpersoon: Kantoor Not. Eric De Grave
  • Tel: (058) 31.12.52
  • Email: eric.degrave@belnot.be
  • Bezoekgegevens
  • Na telefonisch contact met het notariskantoor op het nummer: 058/31.12.52

Appartementen

165 Blancefloerlaan, 2050 Antwerpen

Doe een bod van
210.000 €

Presentatiebeeld van het pand n° 291834
Uit de hand
  • Referentie: 291834
  • Appartement gelegen op de 5de verdieping. Het appartement omvat 2 slaapkamers, wc, badkamer, living, terras en een kelder in de kelderverdieping. Het is gelegen in de directe nabijheid van de opritten van belangrijke autosnelwegen, maar eveneens nabij openbaar vervoer, scholen en winkels. G score: C P score: C
  • Aantal kamers: 2
  • Aantal badkamers: 1
  • Kadastraal inkomen: 1041 €
  • Vrij vanaf: Bij de akte
  • NOTARLO
  • Contactpersoon: Carola DHAENE
  • Tel: (03) 210.91.70
  • Email: carola.dhaene.100909@belnot.be

Appartementen

21 Pastoor Verwilghenplein, 9120 Haasdonk

Doe een bod van
285.000 €

Presentatiebeeld van het pand n° 291836
Uit de hand
  • Referentie: 291836
  • Indeling: inkomhal, leefruimte met open keuken en terras, berging, apart toilet, badkamer, twee slaapkamers waarvan één met terras. Autostaanplaats en berging in de kelder. G score: A P score: A
  • Aantal kamers: 2
  • Oppervlakte van het woongedeelte: 73m2
  • Kadastraal inkomen: 791 €
  • Vrij vanaf: Te bepalen
  • VAN der AUWERMEULEN, Michel
  • Contactpersoon: Kimberley DE SUTTER
  • Tel: (03) 773.47.12
  • Email: info@notaris-beveren.be

Andere

209 Rue des Awirs, 4400 Flémalle

Doe een bod van
100.000 €

Presentatiebeeld van het pand n° 291832
Online openbare verkoop
  • Referentie: 291832
  • Ancienne maison de repos à rénover rue Des Awirs numéro 209
  • Lopende verkoop
  • Startdatum: 16/02/2026 14:00
  • Einddatum: 24/02/2026 14:00
  • Geen bod: 1000 €
  • Kadastraal inkomen: 4520 €
  • Vrij vanaf: Bij de akte
  • Not&Stiers - Société notariale
  • Contactpersoon: Isabelle MAES
  • Tel: (04) 343.03.30
  • Email: isabelle.maes.132787@belnot.be

Huizen

37 Rue de l'Industrie, 7040 Quévy-le-Grand

Doe een bod van
180.000 €

Presentatiebeeld van het pand n° 291838
Uit de hand
  • Referentie: 291838
  • maison 4 façades sur terrain d'une contenance de 7a 66ca et un jardin d'une contenance de 5a 17ca, comprenant au rez-de-chaussée : hall d'entrée, salon (feu ouvert), salle à manger, WC, salle de bains, bureau, cuisine non équipée, 3 chambres, buanderie, terrasse avec pergola, garage 2 places. Etage : 1 chambre, coin douche, grenier sous combles. Chauffage central mazout, électricité à refaire
  • Aantal kamers: 3
  • Kadastraal inkomen: 737 €
  • Vrij vanaf: Bij de akte
  • ETUDE BOUTTIAU
  • Contactpersoon: Edmond-Charles BOUTTIAU
  • Tel: (065) 34.05.70
  • Email: edmondcharles.bouttiau@belnot.be
  • Bezoekgegevens
  • contacter l'Etude au 065/34.05.70

Gronden

Waterstraat, 8730 Beernem

Doe een bod van
200.000 €

Presentatiebeeld van het pand n° 291846
Uit de hand
  • Referentie: 291846
  • Deze twee ideaal gelegen percelen landbouwgrond te Beernem wachten op een nieuwe eigenaar. Perceel 821C P0000, groot 1ha 12a 12ca en perceel 785E P0000, groot 1ha 08ca. Vrij van pacht. P score: A
  • Vrij vanaf: Bij de akte
  • D´HOORE & THIELEMANS, geassocieerde notarissen
  • Contactpersoon: Kantoor Not. D'Hoore & Thielemans
  • Tel: (050) 78.84.34
  • Email: info@dhoorethielemans.be

Gronden

Mande-Saint-Etienne, 6600 Bastogne

Doe een bod van
90.000 €

Presentatiebeeld van het pand n° 291847
Uit de hand
  • Referentie: 291847
  • Terrain à Mande-Saint-Etienne de 23a 51ca, entièrement en zone d'habitat à caractère rural, cadastré : Commune de BASTOGNE - 9ème division Longchamps (82016) - section E : numéros 303V (02a 11ca) et 303Z (21a 40ca), mesures approximatives : largeur à rue 48m et profondeur 52m, possibilité de division en 2 emplacements moyennant autorisation urbanistique. Vente sous régime des droits d'enregistrement. Le prix annoncé est une base de négociation n'engageant pas le vendeur. Les informations sont fournies à titre indicatif et non contractuel
  • Kadastraal inkomen: 1 €
  • Vrij vanaf: Bij de akte
  • Quentin BOINET - société notariale
  • Contactpersoon: Pascal LIEGEOIS
  • Tel: (061) 21.11.22
  • Email: pascal.liegeois.131656@belnot.be

Huizen

68 Domaine Vincent Van Gogh, 7301 Hornu

Doe een bod van
70.000 €

Presentatiebeeld van het pand n° 291741
Uit de hand
  • Referentie: 291741
  • Bien à rénover situé au centre d’Hornu (Boussu), idéalement situé proche du centre urbain, zone calme, agréable et boisée avec facilité d’accès et de parking. Le bien est composé comme suit : - Au sous-sol : 2 caves spacieuses ; - Au rez-de-chaussée : une pièce à l’avant, une pièce à l’arrière avec grande verrière ; - A l'étage : une chambre, WC séparé, une salle d'eau ; - Au grenier : une chambre mansardée et un espace grenier. - Extérieurs : Jardin avec accès via l'arrière. Technicités : Type de châssis : mixte, majoritairement double, ancienne génération, à revoir, Egouttage : fosse septique et raccordement à l’égout ensuite, Électricité : mise en conformité à prévoir, Toiture : D’époque, à revoir, poêle au rez.
  • Aantal kamers: 2
  • Oppervlakte van het woongedeelte: 108m2
  • Kadastraal inkomen: 416 €
  • Vrij vanaf: Bij de akte
  • Dirosa, Jeanine
  • Contactpersoon: Justine CARDON
  • Tel: (065) 78.38.23
  • Email: justine.cardon.107292@belnot.be
  • Bezoekgegevens
  • S'adresser en l'étude - 065/78.38.23.

Gronden

Smisstraat, 3730 Hoeselt

Doe een bod van
98.720 €

Presentatiebeeld van het pand n° 291819
Uit de hand
  • Referentie: 291819
  • BILZEN-HOESELT: bouwgrond voor open bebouwing in verkaveling, lot 7, sectie I, nummer 873GP0000, groot 06a 44ca. WgLk, Vv, Gvkr, Gmo. P-score: A. Meer info via notaris Mia Knapen te Lanaken. P score: A
  • Vrij vanaf: Bij de akte
  • NOTARIS MIA KNAPEN
  • Contactpersoon: Kantoor Not. Mia Knapen
  • Tel: (089) 76.78.66
  • Email: valerie.ramaekers@notaris-knapen.be

Huizen

56 Domaine Vincent Van Gogh, 7301 Hornu

Doe een bod van
80.000 €

Presentatiebeeld van het pand n° 291740
Uit de hand
  • Referentie: 291740
  • Bien à rénover situé au centre d’Hornu (Boussu), idéalement situé proche du centre urbain, zone calme, agréable et boisée avec facilité d’accès et de parking. Le bien est composé comme suit : - Au sous-sol : 2 caves spacieuses ; - Au rez-de-chaussée : une pièce à l’avant, une pièce à l’arrière, WC séparé, salle d'eau ; - A l'étage : une chambre grande chambre, une petite chambre avec accès grenier ; - Au grenier : grenier aménageable (escalier existant). - Extérieurs : Jardin avec accès via l'arrière. Technicités : Type de châssis : mixte, majoritairement double, ancienne génération, à revoir, Egouttage : fosse septique et raccordement à l’égout ensuite, Électricité : mise en conformité à prévoir, Toiture : D’époque, à revoir.
  • Aantal kamers: 2
  • Oppervlakte van het woongedeelte: 90m2
  • Kadastraal inkomen: 438 €
  • Vrij vanaf: Bij de akte
  • Dirosa, Jeanine
  • Contactpersoon: Justine CARDON
  • Tel: (065) 78.38.23
  • Email: justine.cardon.107292@belnot.be
  • Bezoekgegevens
  • S'adresser en l'étude - 065/78.38.23.

Huizen

43 Reutelbekestraat, 8940 Geluwe

Doe een bod van
110.000 €

Presentatiebeeld van het pand n° 291827
Online openbare verkoop
  • Referentie: 291827
  • Met 3 slaapkamers, badkamer, tuin en garage. G score: C P score: C
  • Aantal kamers: 3
  • Aantal badkamers: 1
  • Lopende verkoop
  • Startdatum: 22/02/2026 10:00
  • Einddatum: 02/03/2026 10:00
  • Geen bod: 1000 €
  • Kadastraal inkomen: 547 €
  • Vrij op: 15/04/2026
  • ACTAPLUS, geassocieerde notarissen
  • Contactpersoon: Karel MYNGHEER
  • Tel: (056) 23.87.27
  • Email: karel@actaplus.be
  • Bezoekgegevens
  • na afspraak met het notariskantoor.

Huizen

5 Rue Léon Hachez, 7060 Soignies

Doe een bod van
250.000 €

Presentatiebeeld van het pand n° 291787
Online openbare verkoop
  • Referentie: 291787
  • Très grande maison d'habitation et/ou commerce avec jardin (accessible également via Ruelle du cimetière entre le n° 8 et 12), disposant de 2 entrées distinctes, avec grand potentiel, offrant belle possibilité d'aménagement en 3 appartements de +/- 110 m² chacun, avec emplacements parking (s/rés. obtention permis d'urbanisme), située en plein centre ville, comprenant : * sous-sol : cave * rez : surface commerciale avec showroom et bureau + partie privée composée d'un salon avec feu ouvert, cuisine, salle de bain (avec wc, évier et douche, et annexe) * 1er et 2ème étage : possibilité d'aménager grand appartement sur chaque étage de +/- 110m² chacun (sous réserve d'obtention de permis) *3ème : grenier aménageable ***Equipement : 2 compteurs de gaz (coupés), 2 compteurs électrique, un compteur d'eau, raccordement aux égouts, nouveaux châssis double vitrage en pvc (le poêle à pellets ne fait pas partie de la vente) **Occupation : libre à l'acte **pour tous renseignements complémentaires, n'hésitez pas à contacter l'Etude : 067/33.11.17 ou consulter notre site : www.bricout.be (annonces immobilières)
  • Aantal kamers: 9
  • Oppervlakte van het woongedeelte: 347m2
  • Lopende verkoop
  • Startdatum: 19/02/2026 15:00
  • Einddatum: 27/02/2026 15:00
  • Geen bod: 2000 €
  • Kadastraal inkomen: 1531 €
  • Vrij vanaf: Bij de akte
  • Xavier Bricout, Notaire
  • Contactpersoon: Monique KNAEPEN
  • Tel: (067) 33.11.17
  • Email: monique.knaepen.131557@belnot.be
  • Bezoekgegevens
  • sur rvs : 0468 36 08 25

Huizen

392 Heerbaan, 3582 Koersel

Doe een bod van
105.000 €

Presentatiebeeld van het pand n° 291830
Online openbare verkoop
  • Referentie: 291830
  • Wij verkopen via biddit een te renoveren ééngezinswoning gelegen langs de Heerbaan nummer 392 te 3582 Koersel. Grootte perceel 520 m², open bebouwing, KI 567 €, bouwjaar 1957. Gelegen in woongebied, geen verkavelingsvergunning, geen voorkooprecht, Gmo (geen rechterlijke herstelmaatregel of bestuurlijke maatregel opgelegd). Vergunningstoestand: De koper wordt er op gewezen dat er voor de aanbouw aan de achtergevel met plat dak, de verharding (kiezels) en de berging achteraan geen stedenbouwkundige vergunning werd aangevraagd. Gebouwen-en Perceelscore = A. EPC = 645 kWh/m² jaar (= energielabel F – er is renovatieplicht van toepassing; tegen 07 juni 2030 dient deze woning energetisch te worden gerenoveerd tot minimum label D of beter). Electrische installatie voldoet niet aan de voorschriften van AREI. Niet asbestveilig. Ondergrondse stookolietank aanwezig met een inhoud van 5000 liters en voorzien van een overvulbeveiliging. G score: A P score: A
  • Aantal kamers: 3
  • Oppervlakte van het woongedeelte: 193m2
  • Aantal badkamers: 1
  • Lopende verkoop
  • Startdatum: 02/03/2026 10:00
  • Einddatum: 10/03/2026 10:00
  • Geen bod: 1000 €
  • Kadastraal inkomen: 567 €
  • Vrij vanaf: Te bepalen
  • Koen Vermeulen, Marijke Mellaerts & Valerie Maussen, geassocieerde not
  • Contactpersoon: Kantoor Not. Vermeulen, Mellaerts & Maussen
  • Tel: (011) 45.50.25
  • Email: marijke.mellaerts@belnot.be
  • Bezoekgegevens
  • Op zaterdag 14 februari, 21 februari, 28 februari & 7 maart tussen 14u-16u

Huizen

62 Sint-Leonarduslaan, 1654 Huizingen

Doe een bod van
205.000 €

Presentatiebeeld van het pand n° 291821
Online openbare verkoop
  • Referentie: 291821
  • Ontdek deze charmante woning met tal van mogelijkheden. Gelegen in een rustige buurt en voorzien van een solide basis, biedt dit pand de ideale kans voor wie graag een eigen stempel drukt. Mis deze kans niet en breng snel je bod uit! G score: B P score: A
  • Aantal kamers: 3
  • Aantal badkamers: 1
  • Lopende verkoop
  • Startdatum: 27/01/2026 10:00
  • Einddatum: 04/02/2026 10:00
  • Geen bod: 1000 €
  • Kadastraal inkomen: 354 €
  • Vrij vanaf: Bij de akte
  • Notaris Katrien Van Kriekinge
  • Contactpersoon: Zoë MATTON
  • Tel: (02) 380.32.11
  • Email: zm@notbeersel.be
  • Bezoekgegevens
  • Zonder afspraak vanaf 21 januari 2026 tem 31 januari 2026: elke woensdag en zaterdag van 14u-16u (woensdag 21 januari, zaterdag 24 januari, woensdag 28 januari en zaterdag 31 januari 2026)

Huizen

45 Fonds de l'Eau, 5660 Couvin

Doe een bod van
265.000 €

Presentatiebeeld van het pand n° 291835
Uit de hand
  • Referentie: 291835
  • Belle villa 4 façades rénovée (reconstruite) complètement en 2017 comprenant séjour, buanderie (boiler 200litres), cuisine équipée, WC, chambre, salle de douche. Elle dispose également d'une grande mezzanine offrant la possibilité de 3 chambres supplémentaires + bureau. Elle dispose également d'un très bon PEB et d'un terrain de + 3.000 m². Très belle vue dégagée. Le bien se situe en zone d'habitat et en zone naturelle au plan de secteur. Visites sur rendez-vous à prendre avec le propriétaire au 0474/69.44.41
  • Aantal kamers: 1
  • Vrij vanaf: Bij de akte
  • Mélissa CHABOT Notaire
  • Contactpersoon: Celine BRY
  • Tel: (060) 34.40.19
  • Email: melissa.chabot@belnot.be
  • Bezoekgegevens
  • Visites sur rendez-vous à prendre au 0474/69.44.41

Huizen

28 Chaussée de Douai, 7610 Rumes

Doe een bod van
120.000 €

Presentatiebeeld van het pand n° 291820
Uit de hand
  • Referentie: 291820
  • Maison avec jardin sur 3 ares 35 centiares, comprenant: -au rez-de-chaussée: un couloir, un salon, une salle-à-manger, une cuisine, une buanderie, une salle-de-bain (baignoire, évier), un wc -au 1er étage: 3 chambres; -au 2e étage: un grenier aménageable Une cave Un jardin avec cabanon Un garage (porte électrique) Châssis double vitrage PVC Chauffage central au mazout (chaudière récente)
  • Aantal kamers: 3
  • Aantal badkamers: 1
  • Kadastraal inkomen: 319 €
  • Vrij vanaf: Bij de akte
  • SRL Charlotte DECOCK, Notaire
  • Contactpersoon: Yves DUQUENNE
  • Tel: (069) 22.35.35
  • Email: yves.duquenne.354610@belnot.be
  • Bezoekgegevens
  • Sur rendez-vous à prendre en l'étude au 069/22.35.35

Huizen

39 Rue de Gurhaumont, 6880 Jehonville

Doe een bod van
65.000 €

Presentatiebeeld van het pand n° 291597
Online openbare verkoop
  • Referentie: 291597
  • Située dans le joli village de Jehonville, au cœur de l'Ardenne, cette authentique ferme en pierres du pays vous séduira par son charme traditionnel et son fort potentiel. D'une surface au sol de plus de 170 m², elle s'étend sur une belle parcelle de 12 ares 20 centiares, offrant de vastes volumes et de multiples possibilités d'aménagement. La grange attenante, aménageable, vous permettra d'imaginer un projet personnalisé, qu'il soit professionnel ou résidentiel. Idéale pour un projet ambitieux, cette propriété est une opportunité rare pour concrétiser vos envies de calme, d'espace et d'authenticité.
  • Aantal kamers: 3
  • Aantal badkamers: 1
  • Lopende verkoop
  • Startdatum: 16/02/2026 11:00
  • Einddatum: 24/02/2026 11:00
  • Geen bod: 1000 €
  • Kadastraal inkomen: 344 €
  • Vrij vanaf: Bij de akte
  • Sophie Robinet, société notariale
  • Contactpersoon: Véronique MEEUS
  • Tel: (061) 61.10.09
  • Email: veronique.meeus.104182@belnot.be
  • Bezoekgegevens
  • Visites organisées par l'étude sur rendez-vous

Huizen

28 Rue Eugène Prévost, 7387 Roisin

Doe een bod van
25.000 €

Presentatiebeeld van het pand n° 291459
Uit de hand
  • Referentie: 291459
  • Maison d’habitation, au calme et en retrait de la rue, comprenant : Sous-sols : cave RDC : 3 pièces, wc, cuisine non équipée Etage : 1 chambre, 1 salle de bain, grenier Extérieurs : jardinet à l’avant, jardin à l’arrière Châssis SV Electricité à revoir Chauffage par poêle au mazout (citerne extérieure aérienne < 3.000 litres) Travaux importants de rénovation à prévoir, mais potentiel intéressant Offre ferme sous autorisation du Juge.
  • Aantal kamers: 1
  • Kadastraal inkomen: 118 €
  • Vrij vanaf: Bij de akte
  • Anne WUILQUOT et Emmanuel NIZET, notaires associés
  • Contactpersoon: Wuilquot et Nizet Notaires associés
  • Tel: (065) 71.81.20
  • Email: info@wuilquot.be

Appartementen

168 Rue Verte, 4100 Seraing

Doe een bod van
160.000 €

Presentatiebeeld van het pand n° 291149
Uit de hand
  • Referentie: 291149
  • Le bien est actuellement loué. Situé dans la Résidence "Parc de la Vecquée" à Seraing, au 5ème étage, le bien se compose comme suit: Un hall, une cuisine avec terrasse, un living avec terrasse, 3 chambres, une salle de bain, un débarras, un W.C et au sous-sol une cave. Nhésitez pas à prendre contact avec l'étude pour plus d'informations ou pour fixer une visite.
  • Aantal kamers: 3
  • Aantal badkamers: 1
  • Kadastraal inkomen: 1006 €
  • Vrij vanaf: Te bepalen
  • Xhauflaire, Grégory
  • Contactpersoon: Noelia BOUZAS GARCIA
  • Tel: (04) 342.82.88
  • Email: noelia.bouzasgarcia.129361@belnot.be
  • Bezoekgegevens
  • Contacter l'étude par mail ou par téphonne au 04/342.82.88

Huizen

23 Rue Montjumont, 6470 Sivry-Rance

Doe een bod van
177.000 €

Presentatiebeeld van het pand n° 291841
Uit de hand
  • Referentie: 291841
  • Ferme à restaurer sise rue Monjumont n°23 cadastrée section G numéro 0527EP0000 de 11a 56ca et une pâture section G numéro 0531CP0000 1ha 83a occupée jusque juillet 2027. La ferme comprenant : rez : hall - sam - salon - cuisine non équipée -sdb + wc - étable . Etage : 3 chambres et grenier - Libre d'occupation.
  • Aantal kamers: 3
  • Kadastraal inkomen: 568 €
  • Vrij vanaf: Bij de akte
  • Vincent MAILLARD notaire et associés
  • Contactpersoon: Bernadette PONCELET
  • Tel: (060) 21.11.16
  • Email: bernadette.poncelet.129569@belnot.be
  • Bezoekgegevens
  • sur rdv à prendre au 0472/63.69.56

Huizen

61 Rue Basse, 7350 Hensies

Doe een bod van
260.000 €

Presentatiebeeld van het pand n° 291789
Uit de hand
  • Referentie: 291789
  • Maison d’habitation 4 façades avec vaste terrain et garage comprenant: RDC: hall, 1 living, 1 cuisine semi-équipée avec ilot central, wc, 3 chambres,1 salle de bains à rénover et 1 véranda ETG: 1 vaste grenier aménageable Châssis: 2x PVC Chauffage: mazout (cuve de 2.800 L) 1 cave Système d’alarme Superficie: maison: 6a 80ca – terrain: 12a 70ca RC: 847€ (maison) – 13€ (terrain) Faire offre à partir de 260.000 euros
  • Aantal kamers: 3
  • Kadastraal inkomen: 847 €
  • Vrij vanaf: Bij de akte
  • NOTALIBREX, société notariale
  • Contactpersoon: Pierre GLINEUR
  • Tel: (065) 64.13.98
  • Email: pierre.glineur@belnot.be
  • Bezoekgegevens
  • S'adresser en l'étude des Notaires GLINEUR & KOEUNE - site de Baudour au 065/64.13.98

Huizen

115 Avenue Père Pire, 5500 Dinant

Doe een bod van
60.000 €

Presentatiebeeld van het pand n° 291842
Online openbare verkoop
  • Referentie: 291842
  • Maison d'habitation sur et avec terrain sise à Dinant, Avenue Père Pire 115, cadastrée section B numéro 0026GP0000 pour 05 ares 50 centiares (revenu cadastral non indexé : 235,00 €). Description : rez : cuisine avec accès garage, garage, salle de douche avec wc, salon, petit jardin; 1er ét. : 1 pièce, cuisine, couloir, wc, salle de douche, salon, 1 chambre ; 2ème étage : 2 chambres. PEB : 376kWh/m².an (E). Electricité à rénover totalement. Libre d'occupation. Mise à prix : 60.000,00 €. Enchères du 11 mars 2026 à 14h00 au 19 mars 2026 à 14h00. Visites : sur rendez-vous via l'étude à partir du 02/02/2026.
  • Aantal kamers: 3
  • Lopende verkoop
  • Startdatum: 11/03/2026 14:00
  • Einddatum: 19/03/2026 14:00
  • Geen bod: 1000 €
  • Kadastraal inkomen: 235 €
  • Vrij vanaf: Bij de akte
  • Stévigny Delphine, société notariale
  • Contactpersoon: Frederic DOZIN
  • Tel: (082) 22.20.46
  • Email: frederic.dozin.113274@belnot.be
  • Bezoekgegevens
  • sur rendez-vous via l'étude à partir du 02 février 2026

Huizen

229 Nijverheidslaan, 9250 Waasmunster

Doe een bod van
460.000 €

Presentatiebeeld van het pand n° 291686
Uit de hand
  • Referentie: 291686
  • Deze zeer goed onderhouden 4-gevel woning van 1987 staande op een oppervlakte van 1470 m2 werd in 2015 gerenoveerd en biedt nog tal van mogelijkheden. Deze woning beschikt over 3 slaapkamers en een achterliggende volledig aangelegde tuin. De indeling van de woonst is als volgt: op het gelijkvloers: inkomhal/traphal, gastentoilet, living met eetplaats, gesloten keuken, wasplaats dat toegang geeft tot de tuin. 1ste verdiep: nachthal/overloop, 3 slaapkamers en de badkamer. Bijkomend beschikt de woning nog over een ruime inpandige garage, serre en eigen teeltgrond. Extra troeven: - gunstige ligging t.o.v. E17, Eekhoekbos en openbaar vervoer - landelijk gelegen - veel lichtinval - dubbele beglazing in pvc - waterput van 3.000 liter - septische put van 1.500 liter - camera's rondom huis - uitgevoerde renovaties: verlaagde plafonds met isolatie tussen, geïsoleerd dak, 20 zonnepanelen, ramen en raamprofielen en huis volledig in crêpi KORTOM ZEKER EN VAST EEN BEZOEK WAARD! G score: A P score: D
  • Aantal kamers: 3
  • Kadastraal inkomen: 907 €
  • Vrij vanaf: Te bepalen
  • Notaris Caroline De Herdt
  • Contactpersoon: Safia OZ
  • Tel: (052) 41.04.15
  • Email: safia.oz.101295@belnot.be
  • Bezoekgegevens
  • Af te stemmen met verkoper

Huizen

51 Rue de l'Egalité, 7080 Eugies

Doe een bod van
150.000 €

Presentatiebeeld van het pand n° 291845
Uit de hand
  • Referentie: 291845
  • maison 3 façades sur terrain d'une contenance de 7a 40ca, comprenant au rez-de-chaussée un hall d'entrée, salon, salle à manger, véranda, cuisine non équipée, salle de bains avec WC, à l'étage : 3 chambres et un grenier aménageable. Chauffage central mazout, châssis PVC (double vitrage + volets), cave, remise, raccordé à l'égout, possibilité de passage latéral
  • Aantal kamers: 3
  • Kadastraal inkomen: 452 €
  • Vrij vanaf: Bij de akte
  • ETUDE BOUTTIAU
  • Contactpersoon: Edmond-Charles BOUTTIAU
  • Tel: (065) 34.05.70
  • Email: edmondcharles.bouttiau@belnot.be
  • Bezoekgegevens
  • contacter l'Etude au 065/34.05.70 de 9h à 12h

Gronden

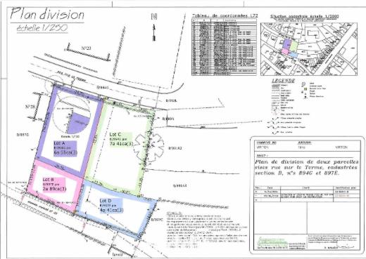
Rue sur le Terme, 6760 Virton

Doe een bod van
50.000 €

Presentatiebeeld van het pand n° 291843
Online openbare verkoop
  • Referentie: 291843
  • VILLE DE VIRTON- première division Une parcelle de terrain située en zone d’habitat, d’une contenance totale mesurée de neuf ares quarante-quatre centiares (9a 44ca) composée : - d’une partie de six ares cinquante-cinq centiares (6a 55ca) représentée sous liseré de couleur mauve et sous la dénomination « lot A » au plan dressé par Monsieur Dominique Mailleux, géomètre-expert immobilier à Ruette, le 16 avril 2024, modifié le 5 juin 2024, précadastrée 85045 section B numéro 1909A P0000. - d’une partie de deux ares quatre-vingt-neuf centiares (2a 89ca) représentée sous liseré de couleur rose et sous la dénomination « lot B » au plan dressé par Monsieur Dominique Mailleux, géomètre-expert immobilier à Ruette, le 16 avril 2024, modifié le 5 juin 2024, précadastrée 85045 section B numéro 1909B P0000 Etant précisé que le lot 3 est issu des parcelles cadastrées sur Virton, 1ère division, section B, numéro 897E P0000, d’une contenance de neuf ares vingt-cinq centiares (9a 25ca) et 894G P0000 d’une contenance de quatorze ares trente centiares (14a 30ca).
  • Lopende verkoop
  • Startdatum: 02/03/2026 09:00
  • Einddatum: 10/03/2026 09:00
  • Geen bod: 1000 €
  • Vrij vanaf: Bij de akte
  • Aurore FOURNIRET société notariale
  • Contactpersoon: Elysa RAJERISOA
  • Tel: (063) 57.70.62
  • Email: elysa.rajerisoa.128090@belnot.be

Gronden

Rue sur le Terme, 6760 Virton

Doe een bod van
50.000 €

Presentatiebeeld van het pand n° 291844
Online openbare verkoop
  • Referentie: 291844
  • VILLE DE VIRTON- première division Une parcelle de terrain située en zone d’habitat, d’une contenance totale mesurée de onze ares quatre-vingt-deux centiares (11a 82ca) composée : - d’une partie de sept ares quarante et un centiares (7a 41ca) représentée sous liseré de couleur verte et sous la dénomination « lot C » au plan prévanté dressé par Monsieur Dominique Mailleux, géomètre-expert immobilier à Ruette, le 16 avril 2024, modifié le 5 juin 2024, précadastrée 85045 section B numéro 1909C P0000. - d’une partie de quatre ares quarante et un centiares (4a 41ca) représentée sous liseré de couleur bleue et sous la dénomination « lot D » au plan prévanté dressé par Monsieur Dominique Mailleux, géomètre-expert immobilier à Ruette, le 16 avril 2024, modifié le 5 juin 2024 précadastrée 85045 section B numéro 1909D P0000. Etant précisé que le lot 4 est issu des parcelles cadastrées sur Virton, 1ère division, section B, numéro 897E P0000, d’une contenance de neuf ares vingt-cinq centiares (9a 25ca) et 894G P0000 d’une contenance de quatorze ares trente centiares (14a 30ca).
  • Lopende verkoop
  • Startdatum: 02/03/2026 10:00
  • Einddatum: 10/03/2026 10:00
  • Geen bod: 1000 €
  • Vrij vanaf: Bij de akte
  • Aurore FOURNIRET société notariale
  • Contactpersoon: Elysa RAJERISOA
  • Tel: (063) 57.70.62
  • Email: elysa.rajerisoa.128090@belnot.be

Appartementen

20 Rue Achille Delattre, 7130 Bray

Doe een bod van
170.000 €

Presentatiebeeld van het pand n° 289100
Uit de hand
  • Referentie: 289100
  • L'étude du Notaire Pol DECRUYENAERE a le plaisir de vous proposer à la vente : Dans un immeuble à appartements et locaux multiples dénommé « Résidence Leandro » et situé rue Achille Delattre numéro 20 ; En propriété privative et exclusive : *l’appartement numéro 3, situé au rez-de-chaussée, à droite en regardant la façade principale comprenant : salon, salle à manger avec coin cuisine, deux chambre, salle de bains avec water-closed sur une surface privative de 80m² environ, avec la cave et l’emplacement de parking numéroté 3 ; En copropriété et indivision forcée : 140/1.000ième des parties communes en ce compris le terrain. Le tout cadastré section B numéro 0341T5P0005 Revenu cadastral : 664,-€ Informations complémentaires: - Lumineux - Rez-de-chaussée - PEB C - Très bien entretenu - Electricité non conforme (léger travaux pour la remise en conformité) - Certains meubles restent - Parking privatif à l'arrière du bâtiment Pour visiter, veuillez cliquer sur l'onglet "contacter le vendeur" afin de nous permettre de vous délivrer un permis de visite.
  • Aantal kamers: 2
  • Aantal badkamers: 1
  • Kadastraal inkomen: 664 €
  • Vrij vanaf: Bij de akte
  • Pol DECRUYENAERE - Notaire
  • Contactpersoon: Fanny CORONADO
  • Tel: (064) 31.11.80
  • Email: fanny.coronado.129130@belnot.be

Gronden

Lindekapelstraat, 3730 Hoeselt

Doe een bod van
407 €

Presentatiebeeld van het pand n° 291646
Online openbare verkoop
  • Referentie: 291646
  • Perceel bos te Bilzen-Hoeselt, gelegen in natuurgebied ter plaatse "De Linden Bemden" met een oppervlakte van 3 are 88 centiare (388m²) Bezwaard met erfdienstbare strook waterloop voor ruimingswerken (Wermbeek). Beschikbaar vanaf ondertekening van de akte. P score: D
  • Lopende verkoop
  • Startdatum: 23/02/2026 14:00
  • Einddatum: 03/03/2026 14:00
  • Geen bod: 250 €
  • Vrij vanaf: Bij de akte
  • NEVEN & BEX
  • Contactpersoon: Rachel KREMERS
  • Tel: 012/44.09.49
  • Email: info@nbnotarissen.be

Gronden

Hardveldstraat, 3730 Hoeselt

Doe een bod van
1.293 €

Presentatiebeeld van het pand n° 291650
Online openbare verkoop
  • Referentie: 291650
  • Hoogstamboomgaard te koop in Bilzen-Hoeselt, in landschappelijk waardevolle agrarisch gebied, gelegen ter plaatse "Het hard veld" met een oppervlakte van 7 are 39 centiare. Bieden vanaf 1.293,25 €. In gebruik via mondelinge overeenkomst. Valt niet onder de pachtwetgeving. P score: A
  • Lopende verkoop
  • Startdatum: 23/02/2026 14:00
  • Einddatum: 03/03/2026 14:00
  • Geen bod: 250 €
  • Vrij vanaf: Andere
  • NEVEN & BEX
  • Contactpersoon: Rachel KREMERS
  • Tel: 012/44.09.49
  • Email: info@nbnotarissen.be

Huizen

25 Rue Reine Astrid, 5660 Mariembourg

Doe een bod van
195.000 €

Presentatiebeeld van het pand n° 291730
Uit de hand
  • Referentie: 291730
  • Belle maison d'habitation au centre de Mariembourg avec accès à 2 rues. Laquelle offre un beau potentiel d'aménagement - idéal pour profession libérale. Deux garages dans lesquels vous pouvez y mettre 2 voitures chacun. Sous-sol : cave Rez-de-chaussée : hall, 4 pièces, cuisine équipée, salle de douche (avec WC), véranda (avec WC) - accès au jardin Etage : cuisine, salon, salle de bain (douche, WC, baignoire, lavabo), 1 chambre (dans les combles) Grenier aménageable Nouvelle chaudière gaz de ville Châssis PVC - Bois double vitrage L'étage est loué selon bail de résidence principal d'un an renouvelé au loyer de 770,00 euros (charges comprises). Superficie : 4ares 15centiares Revenu cadastral : 552,00 euros Visites sur rendez-vous à prendre uniquement par SMS au 0471/84.55.19
  • Aantal kamers: 1
  • Aantal badkamers: 1
  • Kadastraal inkomen: 552 €
  • Vrij vanaf: Andere
  • Mélissa CHABOT Notaire
  • Contactpersoon: Celine BRY
  • Tel: (060) 34.40.19
  • Email: melissa.chabot@belnot.be
  • Bezoekgegevens
  • Visites sur rendez-vous à prendre uniquement par SMS au 0471/84.55.19

Huizen

201 Prof.Scharpélaan, 3130 Betekom

Doe een bod van
190.000 €

Presentatiebeeld van het pand n° 291325
Online openbare verkoop
  • Referentie: 291325
  • Gemeente BEGIJNENDIJK – 2e Afdeling BETEKOM WONING met TUIN, 201 (263m²), gekadastreerd wijk A nummer 202/S P0000, groot 4a, omvat: - kleine bergkelder; - gelijkvloers: woonkamer, badkamer (toilettafel, douche, toilet), keuken, grote berging, stookruimte, garage voor 1 auto en tuin; - verdieping: kleine overloop, 4 slaapkamers en berging; - zolder: vaste trap, werkatelier en ev. in te richten. Woongebied met landelijk karakter - Vergund (bouwjaar vóór 1962) - Gmo - Gvv - Vrij van gebruik – Geen voorkooprecht - K.I. 547 EUR – EPC 464 kWh/m² (energielabel E). Nutsvoorzieningen: CV (gas), PVC-ramen (dubbele beglazing), kabel-TV, tel., waterl. en riolering. G score: A P score: A
  • Aantal kamers: 4
  • Oppervlakte van het woongedeelte: 263m2
  • Aantal badkamers: 1
  • Lopende verkoop
  • Startdatum: 16/02/2026 14:00
  • Einddatum: 24/02/2026 14:00
  • Geen bod: 1000 €
  • Kadastraal inkomen: 547 €
  • Vrij vanaf: Bij de akte
  • Michiels, Stroeykens & Pelgrims
  • Contactpersoon: Wendy VETS
  • Tel: (016) 52.56.12
  • Email: wendy@notarissenmsp.be
  • Bezoekgegevens
  • op zaterdag van 14u-16u vanaf 24/1.

Huizen

12 Veststraat, 3581 Beverlo

Doe een bod van
110.000 €

Presentatiebeeld van het pand n° 291778
Online openbare verkoop
  • Referentie: 291778
  • Halfopen woonhuis op en met grond en aanhorigheden gelegen te Beverlo, Veststraat 12, gekend volgens recente kadastrale gegevens onder sectie C nummers 0629C P0000 en 0629B P0000 met een totale oppervlakte van 7 are en 45 centiare. Indeling: gelijkvloers: inkomhal, woonkamer, eetkamer, keuken, badkamer met apart toilet, veranda, kelder; eerste verdieping: nachthal, 2 slaapkamers en extra kleine kamer, zolder. Achter de woning is een tuin, voorzien van een garage. Ligging nabij winkels, scholen en openbaar vervoer. Alle attesten (EPC, elektriciteit, stookolietank, asbest, e.d.) voorhanden. Blanco bodemattest. Geen wettelijke voorkooprechten van toepassing. Renovatieplicht van toepassing. G score: D P score: D
  • Aantal kamers: 2
  • Aantal badkamers: 1
  • Lopende verkoop
  • Startdatum: 11/02/2026 10:00
  • Einddatum: 19/02/2026 10:00
  • Geen bod: 1000 €
  • Kadastraal inkomen: 606 €
  • Vrij vanaf: Bij de akte
  • MIJN NOTARISSEN
  • Contactpersoon: Justine TOURNIER
  • Tel: (011) 42.57.01
  • Email: justine@mijnnotarissen.be
  • Bezoekgegevens
  • De woning kan bezichtigd worden elke zaterdag van 14 uur tot 16 uur, en dit op volgende zaterdagen: 24 januari 2026, 31 januari 2026, 7 februari 2026 en 14 februari 2026

Huizen

95 Mannenberg, 3270 Scherpenheuvel

Doe een bod van
136.000 €

Presentatiebeeld van het pand n° 291784
Online openbare verkoop
  • Referentie: 291784
  • Te renoveren woning en perceel bouwland, sectie B, nrs0001/F2 en 0001/G2, met oppervlakte 6a 90ca. Alle roerende goederen die nog aanwezig zijn in de woning en op het terrein zijn in de verkoop inbegrepen, in de staat waarin zij zich op heden bevinden. G score: A P score: A
  • Aantal kamers: 2
  • Aantal badkamers: 1
  • Lopende verkoop
  • Startdatum: 16/02/2026 09:00
  • Einddatum: 24/02/2026 09:00
  • Geen bod: 1000 €
  • Kadastraal inkomen: 651 €
  • Vrij vanaf: Bij de akte
  • GEERINCKX & CALLEWAERT, geassocieerde notarissen
  • Contactpersoon: Hanne GHYS
  • Tel: (016) 56.63.61
  • Email: hanne.ghys@notarisgeerinckx.be
  • Bezoekgegevens
  • Zaterdag 7, 14 & 21 februari 2026 van 10u-12u

Huizen

575 Leuvensesteenweg, 3200 Aarschot

Doe een bod van
241.500 €

Presentatiebeeld van het pand n° 291786
Online openbare verkoop
  • Referentie: 291786
  • Instapklare woning, sectie A nr371/G/P, oppervlakte 12a61ca. Keuken, leefruimte, eetkamer, 2 slaapkamers, badkamer en garage. Terras en tuin. G score: A P score: A
  • Aantal kamers: 2
  • Aantal badkamers: 1
  • Lopende verkoop
  • Startdatum: 16/02/2026 09:00
  • Einddatum: 24/02/2026 09:00
  • Geen bod: 1000 €
  • Kadastraal inkomen: 1043 €
  • Vrij vanaf: Andere
  • GEERINCKX & CALLEWAERT, geassocieerde notarissen
  • Contactpersoon: Hanne GHYS
  • Tel: (016) 56.63.61
  • Email: hanne.ghys@notarisgeerinckx.be
  • Bezoekgegevens
  • Zaterdag 31 januari en 7 februari van 10u-12u - zondag 15 en 22 februari van 14u-16u

Appartementen

4 Parc du Bay-Bonnet, 4620 Fléron

Doe een bod van
180.000 €

Presentatiebeeld van het pand n° 291736
Uit de hand
  • Referentie: 291736
  • Appartement de 99 M² situé au 3ème étage de la Résidence "Bay Bonnet Parc" - PAV 4. Prix souhaité : 180.000 €. Cet appartement se compose comme suit : un hall d'entrée, un wc séparé, un living de 36 M² avec terrasse et vue dégagée sur le parc, une cuisine équipée, une SDB (un lavabo et une baignoire), un hall de nuit, trois chambres (12 M², 12 M² et 10 M²) et cave privative n° 12. Châssis DV en PVC. Chauffage individuel au mazout (calorimètres). Provision mensuelle pour charges : +/- 355 €. PEB B n° 20250915010082 établi le 15.09.2025. Installation électrique conforme jusqu'en 2039. Consommation individuelle eau et électricité. Terrasse rénovée en 2023. R.C. 981 €. Cadre verdoyant et paisible. Proche de toutes commodités.
  • Aantal kamers: 3
  • Aantal badkamers: 1
  • Kadastraal inkomen: 981 €
  • Vrij vanaf: Bij de akte
  • Hervé RANDAXHE, notaire
  • Contactpersoon: Elisabeth POUSSET
  • Tel: (04) 358.30.20
  • Email: elisabeth.pousset.132621@belnot.be
  • Bezoekgegevens
  • Renseignements en l'Etude

Handelspanden

2/2 Tongersestraat, 3840 Borgloon

Doe een bod van
177.000 €

Presentatiebeeld van het pand n° 291790
Online openbare verkoop
  • Referentie: 291790
  • Een handelsruimte met polyvalente ruimte en één W.C. G score: D P score: C
  • Lopende verkoop
  • Startdatum: 09/02/2026 14:00
  • Einddatum: 17/02/2026 14:00
  • Geen bod: 1000 €
  • Kadastraal inkomen: 895 €
  • Vrij vanaf: Bij de akte
  • Bénédicte van Parijs & Shenna Van Parijs - Geassocieerde notarissen
  • Contactpersoon: Kelly VANPARIJS
  • Tel: 012201002
  • Email: kellyvanparijs@notariaatborgloon.be
  • Bezoekgegevens
  • Na afspraak met het kantoor

Gronden

Roanne, 4987 La Gleize

Doe een bod van
65.000 €

Presentatiebeeld van het pand n° 290757
Uit de hand
  • Referentie: 290757
  • Beau terrain à bâtir à vendre à La Gleize (Stoumont), d'une superficie totale de 1330 m². Entièrement boisé. (Voir plan en annexe). Prix souhaité : 65.000€.
  • Kadastraal inkomen: 2 €
  • Vrij vanaf: Bij de akte
  • Etude SCAVEE, MAGHE ET LENELLE
  • Contactpersoon: Jérémy COLARD
  • Tel: (04) 369.15.19
  • Email: jeremy.colard.357711@belnot.be

Huizen

97 Bergenstraat, 8691 Beveren-aan-de-IJzer

Doe een bod van
50.000 €

Presentatiebeeld van het pand n° 291804
Online openbare verkoop
  • Referentie: 291804
  • In het centrum van Beveren-IJzer (Alveringem). De woning is zonevreemd gelegen en biedt mogelijkheden voor wie op zoek is naar een renovatieproject in een landelijke omgeving. Vlotte bereikbaarheid en rustige dorpsligging. Kandidaten-kopers wordt aangeraden vooraf contact op te nemen met de dienst Omgeving van de gemeente Alveringem om zich te informeren over de bouw- en verbouwmogelijkheden. G score: A P score: A
  • Aantal kamers: 2
  • Lopende verkoop
  • Startdatum: 19/02/2026 11:00
  • Einddatum: 27/02/2026 11:00
  • Geen bod: 1000 €
  • Kadastraal inkomen: 136 €
  • Vrij vanaf: Onmiddellijk
  • Notaris Valérie SCHRAEPEN
  • Contactpersoon: Kantoor Not. Valérie Schraepen
  • Tel: (058) 28.80.40
  • Email: notaris@notarisschraepen.be
  • Bezoekgegevens
  • mits voorafgaandelijke afspraak met het notariskantoor.

Huizen

5 Rue de Morialmé, 5650 Fraire

Doe een bod van
260.000 €

Presentatiebeeld van het pand n° 291803
Uit de hand
  • Referentie: 291803
  • Maison de commerce comprenant une maison, un appartement, garage et jardin Maison : Rez-de-Chaussée : 4 pièces bas, cuisine, salle de bain, pergolas, jardin, garage, remise et serre, dépendances ; Etage : 4 chambres ; Grenier aménageable ; 3 caves spacieuses font une cave à vin. Appartement : Au 1er étage : cuisine, salle à manger et salon et au 2ème étage deux chambres et une salle de bain. Chaque entité a son propre système de chauffage, son compteur à eau et son compteur électrique
  • Aantal kamers: 4
  • Kadastraal inkomen: 813 €
  • Vrij vanaf: Bij de akte
  • Geneviève GIGOT & Armelle DECUIR - Notaires associés
  • Contactpersoon: Laurence DANNEELS
  • Tel: (071) 66.23.20
  • Email: laurence.danneels.351364@belnot.be
  • Bezoekgegevens
  • Veuillez prendre contact avec l'étude au 071/66.23.20

Huizen

26 Den Kulter, 3890 Gingelom

Doe een bod van
279.000 €

Presentatiebeeld van het pand n° 291808
Uit de hand
  • Referentie: 291808
  • Deze aangename woning is gelegen in Gingelom, een rustige en landelijke gemeente, en biedt een comfortabele en praktische indeling, ideaal voor gezinnen of koppels die op zoek zijn naar ruimte en rust. De woning beschikt over drie volwaardige slaapkamers, een badkamer en een ruime berging die kan dienen als extra opslagruimte, wasplaats of hobbyruimte. De leefruimtes genieten van een aangename lichtinval en sluiten mooi aan op de functionele indeling van de woning. De badkamer is praktisch ingericht en voldoet aan het nodige wooncomfort. Dankzij de rustige ligging in een groene omgeving combineert deze woning aangenaam wonen met een vlotte bereikbaarheid. Deze halfopen bebouwing ligt op een mooi perceel van 6a 23ca en omvat dus een ruime tuin. Een ideale woning voor wie houdt van landelijk wonen met voldoende ruimte en comfort. Binnen in de woning dient de laatste afwerking nog te gebeuren. G score: A P score: A
  • Aantal kamers: 3
  • Oppervlakte van het woongedeelte: 145m2
  • Aantal badkamers: 1
  • Kadastraal inkomen: 485 €
  • Vrij vanaf: Bij de akte
  • NOTARIAAT GINGELOM, Geassocieerde Notarissen
  • Contactpersoon: Elise DE WILDE
  • Tel: 011888882
  • Email: elise@notariaatgingelom.be

Huizen

206-208+ Chaussée de Wégimont, 4630 Ayeneux

Doe een bod van
150.000 €

Presentatiebeeld van het pand n° 291715
Uit de hand
  • Referentie: 291715
  • Petite maison d'habitation en retrait de la chaussée principale située à SOUMAGNE, Chaussée de Wégimont 206-208. Prix souhaité : 150.000 €. Ce bien se compose comme suit : au sous-sol : une cave; au rez-de-chaussée : un hall, salon-salle à manger, une cuisine et un wc séparé; au 1er étage : une chambre, palier, SDB (un wc, un lavabo, une baignoire) et une grande chambre; au 2ème étage : grenier aménageable non isolé. Châssis DV en bois. Chauffage central au mazout. Citerne : 1.000 L. PEB E n° 20251020028101 - Installation électrique non conforme. Superficie : 64 M². RC : 270 €. A rénover.
  • Aantal kamers: 2
  • Aantal badkamers: 1
  • Kadastraal inkomen: 270 €
  • Vrij vanaf: Bij de akte
  • Hervé RANDAXHE, notaire
  • Contactpersoon: Elisabeth POUSSET
  • Tel: (04) 358.30.20
  • Email: elisabeth.pousset.132621@belnot.be
  • Bezoekgegevens
  • Renseignements en l'Etude

Huizen

10 Neerplaats, 8900 Ieper

Doe een bod van
215.000 €

Presentatiebeeld van het pand n° 291791
Uit de hand
  • Referentie: 291791
  • Landelijk gelegen, dicht bij Dikkebus dorp. Indeling: - gelijkvloers; living, keuken, bergruimte, garage; - 1e verdiep: 2 slaapkamers, waarvan 1 kamer perfect ombouwbaar naar een extra slaapkamer. De grote troef van dit huis is de perfect onderhouden tuin. Deze is opgesplitst in 2 delen door een haag. G score: A P score: A
  • Aantal kamers: 3
  • Oppervlakte van het woongedeelte: 132m2
  • Aantal badkamers: 1
  • Kadastraal inkomen: 431 €
  • Vrij vanaf: Bij de akte
  • HIMPE & HIMPE, Geassocieerde Notarissen
  • Contactpersoon: Kantoor Not. Himpe & Himpe
  • Tel: (057) 20.14.46
  • Email: info@notarishimpe.be

Huizen

60 Hoogveld, 3740 Beverst

Doe een bod van
140.000 €

Presentatiebeeld van het pand n° 291809
Online openbare verkoop
  • Referentie: 291809
  • Deze op te frissen meergezinswoning is rustig gelegen vlakbij natuurgebied waar het hele gezin tot rust kan komen. In het eerste deel van de woning vinden we op het gelijkvloers een inkomhal met apart toilet, de woonkamer met haard, een volledig geïnstalleerde keuken en een hobbyruimte die u naar eigen wens kan invullen. Op de eerste verdieping zijn er 3 slaapkamers en een badkamer met bad, lavabo en tweede toilet. In de achterbouw is er een tweede woonruimte gecreëerd met één slaapkamer, open leefruimte met geïnstalleerde keuken, een toilet met lavabo en een bergruimte met een douche. Aan de zijkant van de woning bevindt zich de tuin/het terras en is er toegang tot de ruime tuinberging. De woning is tevens voorzien van rolluiken aan alle ramen. G score: A P score: A
  • Aantal kamers: 4
  • Aantal badkamers: 2
  • Lopende verkoop
  • Startdatum: 24/02/2026 14:00
  • Einddatum: 04/03/2026 14:00
  • Geen bod: 1000 €
  • Kadastraal inkomen: 716 €
  • Vrij vanaf: Bij de akte
  • NOTARIS XAVIER VOETS
  • Contactpersoon: Yasmine BOU M´BAREK
  • Tel: (089) 51.08.60
  • Email: yasmine@notaris-voets.be
  • Bezoekgegevens
  • Na afspraak met het notariskantoor

Huizen

9 Rue du Château, 6210 Villers-Perwin

Doe een bod van
250.000 €

Presentatiebeeld van het pand n° 291179
Uit de hand
  • Referentie: 291179
  • L'étude du Notaire Pol DECRUYENAERE a le plaisir de vous proposer à la vente, un bien sis à VILLERS-PERWIN, rue du château n° 9, composée comme suit : * Sous-sol : diverses caves avec chaufferie et cuve à mazout (3500L), * Rez-de-chaussée : hall d'entrée, living, cuisine non-equipée, cellier, salle d'eau (douche, baignoire et WC), * 1er étage : hall de nuit, 3 chambres et une salle de bains, * Combles : grand grenier non-amenagé. Un grand jardin, un bosquet, diverses remises et un garage. Le bien est équipé de deux poêles à bois. Châssis double vitrage.
  • Aantal kamers: 3
  • Aantal badkamers: 2
  • Kadastraal inkomen: 512 €
  • Vrij vanaf: Bij de akte
  • Pol DECRUYENAERE - Notaire
  • Contactpersoon: Marion ADANT
  • Tel: (064) 31.11.80
  • Email: immoweb@notairedecruyenaere.be
  • Bezoekgegevens
  • Sur rendez-vous + permis de visite

Appartementen

62 Ringlaan, 3550 Zolder

Doe een bod van
295.000 €

Presentatiebeeld van het pand n° 291369
Uit de hand
  • Referentie: 291369
  • Bent u op zoek naar een comfortabel en gunstig gelegen appartement in het hart van Zolder? Dan is dit verzorgd 2-slaapkamerappartement op de tweede verdieping zeker een bezoek waard. Het appartement is gelegen in het centrum van Zolder, met winkels, scholen en openbaar vervoer op wandelafstand. Dankzij de vlotte verbinding met de autosnelwegen E313 en E314 bereikt u deze binnen ca. 10 minuten rijden. Het gebouw beschikt over een gemeenschappelijke inkom met trappenhal en lift. Het appartement, gebouwd in 2004, heeft een bewoonbare oppervlakte van 106 m² en biedt een aangename en praktische indeling. De leefruimte en keuken geven rechtstreeks toegang tot het zonnige terras aan de voorzijde, dat uitgerust is met een elektrische zonneluifel en elektrische screens – ideaal om het hele jaar door te genieten. De leefruimte en grootste slaapkamer zijn uitgerust met airco. Verder beschikt het appartement over: • twee volwaardige slaapkamers • een ruime badkamer met ligbad en douche in bad • voorzieningen voor wasmachine en droogkast in de badkamer • een praktische berging met toegang tot het terras • een ondergrondse, afgesloten autostaanplaats Dankzij het energiezuinige EPC-label B en de elektrische verwarming combineert dit appartement comfort met een gunstig energieverbruik. Troeven op een rij: • topligging in het centrum van Zolder • winkels en openbaar vervoer op wandelafstand • vlotte bereikbaarheid via E313 en E314 • zonnig terras met zonneluifel • lift aanwezig • afgesloten ondergrondse autostaanplaats • energiezuinig (EPC B) Heeft dit gunstig gelegen appartement uw interesse gewekt? Neem dan gerust contact met ons op via mail of via 011/53 02 80 voor meer informatie of een bezoek ter plaatse G score: A P score: B
  • Aantal kamers: 2
  • Oppervlakte van het woongedeelte: 106m2
  • Aantal badkamers: 1
  • Kadastraal inkomen: 987 €
  • Vrij vanaf: Bij de akte
  • Geassocieerde notarissen Marij HENDRICKX & Miek BUSSCHOTS
  • Contactpersoon: Cara VANHOVE
  • Tel: (011) 54.02.80
  • Email: cara@notarissenhb.be
  • Bezoekgegevens
  • Neem dan gerust contact met ons op via mail of via 011/53 02 80 voor meer informatie of een bezoek ter plaatse

Garage

91 Rue de Dave, 5100 Jambes

Doe een bod van
10.000 €

Presentatiebeeld van het pand n° 291394
Uit de hand
  • Referentie: 291394
  • Au sous sol de la résidence "La Source" rue de Dave numéro 91 à Jambes , un emplacement de parking couvert est disponible à la vente. L'emplacement est le numéro 38 de la résidence. Accès par porte de garage électrique télécommandée. Environ 2.25m sur 4.80 m A proximité gare de Jambes Ideal investissement ou occupation. Pas d'obligation d'habiter dans la résidence pour acquérir Faire offre à partir de 10.000€ Les visites sont sur rendez vous en contactant Isvan disponible 7j/7 de 8h à 20h au 0475254457
  • Kadastraal inkomen: 34 €
  • Vrij vanaf: Onmiddellijk
  • Notaires GEORGE & DEKEYSER
  • Contactpersoon: Isvan WILHELMI
  • Tel: 0475254457
  • Email: isvan.wilhelmi.223703@belnot.be
  • Bezoekgegevens
  • Les visites sont sur rendez vous en contactant Isvan disponible 7j/7 de 8h à 20h au 0475254457

Appartementen

29 Rue Pont d'Avroy, 4000 Liège

Doe een bod van
117.000 €

Presentatiebeeld van het pand n° 291593
Uit de hand
  • Referentie: 291593
  • Situé en plein centre de Liège, ce studio entièrement rénové, bénéficie d’une belle vue sur la Collégiale Saint-Denis et d’un emplacement privilégié. Il se compose de : • une cuisine fonctionnelle • une pièce de vie lumineuse • une salle de bains avec WC Le bien se trouve à proximité immédiate de nombreux commerces (magasins de proximité, restaurants, etc.) ainsi que de plusieurs établissements d’enseignement supérieur tels que l’Université de Liège et HEC. Excellente accessibilité grâce à la proximité des transports en commun (arrêts de tram et de train). Les amateurs de culture apprécieront la proximité de lieux emblématiques comme le Forum de Liège et l’Opéra Royal de Wallonie. L’immeuble est sécurisé, équipé d’un ascenseur. Informations techniques : • Chauffage : chauffage central collectif au mazout • Certificat PEB : F – 440 kWh/m².an • Installation électrique : conforme Idéal pour un étudiant, un investisseur ou une personne souhaitant vivre au centre-ville.
  • Aantal kamers: 1
  • Oppervlakte van het woongedeelte: 26m2
  • Aantal badkamers: 1
  • Kadastraal inkomen: 498 €
  • Vrij vanaf: Bij de akte
  • Françoise WERA, Candice COLLARD, Didier TIMMERMANS, notaires associés
  • Contactpersoon: Coralie DEMEYERE
  • Tel: (04) 247.53.39
  • Email: coralie.demeyere.352894@belnot.be

Huizen

87 Kortenhoekstraat, 9308 Hofstade

Doe een bod van
170.000 €

Presentatiebeeld van het pand n° 291713
Online openbare verkoop
  • Referentie: 291713
  • Halfopen bebouwing met potentieel, rustig gelegen in een landelijke omgeving. Deels gerenoveerde woning bestaande uit 3 verdiepingen en kelderverdieping. Zuid-West-gerichte tuin, nog aan te leggen. Afzonderlijke, ruime garage met handig te bedienen garagepoort. Naast de garage mogelijkheid om bijkomend 1 wagen op eigen terrein te parkeren. Indeling: - GELIJKVLOERS: inkom met trap, ruime living, keuken, bergplaats en badkamer; - EERSTE VERDIEPING: hal, 2 zeer grote slaapkamers, 1 kleinere (gasten)kamer en 2 bergruimtes/dressings - TWEEDE VERDIEPING: zolderkamer (met mogelijkheid tot omvormen extra slaapkamer) - KELDERVERDIEPING Elektrische installatie te vernieuwen (niet-conform). Niet asbestveilig. Woning onderworpen aan renovatieverplichting (EPC score F / 697 kWh/m² jaar). Bezoekdagen steeds op woensdag (16u30 - 17u30) en zaterdag (11u00 - 12u00). G score: D P score: D
  • Aantal kamers: 3
  • Oppervlakte van het woongedeelte: 330m2
  • Aantal badkamers: 1
  • Lopende verkoop
  • Startdatum: 02/02/2026 13:00
  • Einddatum: 10/02/2026 13:00
  • Geen bod: 1000 €
  • Kadastraal inkomen: 605 €
  • Vrij vanaf: Onmiddellijk
  • Peêrs & Pans, geassocieerde notarissen
  • Contactpersoon: Evelien BEECKMAN
  • Tel: (053) 77.65.01
  • Email: evelien.beeckman.111955@belnot.be

Huizen

7-9 Harenheidestraat, 1130 Brussel

Doe een bod van
325.000 €

Presentatiebeeld van het pand n° 291584
Online openbare verkoop
  • Referentie: 291584
  • Een handels- en opbrengsthuis Gelegen Harenheidestraat 7-9 voor een oppervlakte van 2a 10ca. Omvat volgens stedenbouwkundige gegevens: een handelsgelijkvloers (winkel met bijkantoor op het gelijkvloers + kelders in de ondergrondse verdieping) en een 'duplex' woning op de 1e en 2e verdieping met 3 slaapkamers en volgens de werkelijkheid: een handelsgelijkvloers (winkel + bijkantoor op het gelijkvloers + kelders in de ondergrondse verdieping) en twee woningen op de 1e en 2e verdieping. N.g.k.i. 2.952€. Verhuurd. Woongebied. EPC D-/196 (1e verd.), F/324 (2e verd.). Contr. elektr. niet conform. Bezoeken : zaterdagen 31/1, 7-14/2 van 11u30-13u30 en dinsdagen 3-10-17/2 van 12u30-14u30. Begin biedingen : woensdag 11.02.26 om 13u - Einde biedingen : donderdag 19.02.26 om 13u - Instelprijs : 325.000€ - Bodverhoging : 1.000€ - Ondertekening akte : woensdag 25.02.26 om 14u - www.biddit.be - Ref. pand : 291584.
  • Aantal kamers: 3
  • Lopende verkoop
  • Startdatum: 11/02/2026 13:00
  • Einddatum: 19/02/2026 13:00
  • Geen bod: 1000 €
  • Kadastraal inkomen: 2952 €
  • Vrij vanaf: Andere
  • ACTEA, notaires associés
  • Contactpersoon: Vinciane ROSENAU
  • Tel: (02) 227.40.40
  • Email: vinciane.rosenau@actea.be
  • Bezoekgegevens
  • zaterdagen 31/1, 7-14/2 van 11u30-13u30 en dinsdagen 3-10-17/2 van 12u30-14u30.

Huizen

3 Vredesstraat, 8930 Menen

Doe een bod van
65.000 €

Presentatiebeeld van het pand n° 291805
Online openbare verkoop
  • Referentie: 291805
  • Gesloten bebouwing. Met 2 slaapkamers, badkamer. G score: A P score: A
  • Aantal kamers: 2
  • Aantal badkamers: 1
  • Lopende verkoop
  • Startdatum: 23/02/2026 10:00
  • Einddatum: 03/03/2026 10:00
  • Geen bod: 1000 €
  • Kadastraal inkomen: 567 €
  • Vrij op: 17/04/2026
  • ACTAPLUS, geassocieerde notarissen
  • Contactpersoon: Karel MYNGHEER
  • Tel: (056) 23.87.27
  • Email: karel@actaplus.be
  • Bezoekgegevens
  • na afspraak met het notariskantoor.

Garage

16+ Grensstraat, 8930 Menen

Doe een bod van
30.000 €

Presentatiebeeld van het pand n° 291807
Online openbare verkoop
  • Referentie: 291807
  • Genummerd 8, 9 en 10. Gezamenlijke opppervlakte van 51ca. G score: A P score: A
  • Lopende verkoop
  • Startdatum: 23/02/2026 11:00
  • Einddatum: 03/03/2026 11:00
  • Geen bod: 1000 €
  • Kadastraal inkomen: 171 €
  • Vrij op: 17/04/2026
  • ACTAPLUS, geassocieerde notarissen
  • Contactpersoon: Karel MYNGHEER
  • Tel: (056) 23.87.27
  • Email: karel@actaplus.be
  • Bezoekgegevens
  • na afspraak met het notariskantoor.

Gronden

Lindekapelstraat, 3730 Hoeselt

Doe een bod van
954 €

Presentatiebeeld van het pand n° 291647
Online openbare verkoop
  • Referentie: 291647
  • Perceel weiland te koop in Bilzen-Hoeselt, deels in natuurgebied en deels in landschappelijk waardevolle agrarisch gebied, gelegen ter plaatse "De Linden Bemden" met een oppervlakte van 909 m². Bieden vanaf 954,45 €. Beschikbaar vanaf ondertekening van de akte. P score: D
  • Lopende verkoop
  • Startdatum: 23/02/2026 14:00
  • Einddatum: 03/03/2026 14:00
  • Geen bod: 250 €
  • Vrij vanaf: Bij de akte
  • NEVEN & BEX
  • Contactpersoon: Rachel KREMERS
  • Tel: 012/44.09.49
  • Email: info@nbnotarissen.be

Gronden

Buckenslindestraat, 3730 Hoeselt

Doe een bod van
7.386 €

Presentatiebeeld van het pand n° 291648
Online openbare verkoop
  • Referentie: 291648
  • Perceel hooiland te koop in Bilzen-Hoeselt, in natuurgebied, gelegen ter plaatse "In de Laken" met een oppervlakte van 23 are 45 centiare. Bieden vanaf 7.386,75 €. Beschikbaar vanaf ondertekening van de akte. P score: D
  • Lopende verkoop
  • Startdatum: 23/02/2026 14:00
  • Einddatum: 03/03/2026 14:00
  • Geen bod: 250 €
  • Vrij vanaf: Bij de akte
  • NEVEN & BEX
  • Contactpersoon: Rachel KREMERS
  • Tel: 012/44.09.49
  • Email: info@nbnotarissen.be

Gronden

Hardveldstraat, 3730 Hoeselt

Doe een bod van
4.135 €

Presentatiebeeld van het pand n° 291651
Online openbare verkoop
  • Referentie: 291651
  • Verger à vendre à Bilzen-Hoeselt, en zone agricole à intérêt paysager, sise au lieudit "Het hard veld" d'une superficie de 23 ares 63 centiares. Enchère à partir de 4.135,25 €. Occupé suivant accord oral. Ne tombe pas sous la réglementation du bail à ferme. P score: A
  • Lopende verkoop
  • Startdatum: 23/02/2026 14:00
  • Einddatum: 03/03/2026 14:00
  • Geen bod: 250 €
  • Vrij vanaf: Andere
  • NEVEN & BEX
  • Contactpersoon: Rachel KREMERS
  • Tel: 012/44.09.49
  • Email: info@nbnotarissen.be

Gronden

Hardveldstraat, 3730 Hoeselt

Doe een bod van
1.155 €

Presentatiebeeld van het pand n° 291653
Online openbare verkoop
  • Referentie: 291653
  • Perceel weiland te koop in Bilzen-Hoeselt, in landschappelijk waardevolle agrarisch gebied, gelegen ter plaatse "Het hard veld", oppervlakte van 6 are 60 centiare. Bieden vanaf 1.155 €. In gebruik via mondelinge overeenkomst. Valt niet onder de pachtwetgeving. P score: A
  • Lopende verkoop
  • Startdatum: 23/02/2026 14:00
  • Einddatum: 03/03/2026 14:00
  • Geen bod: 250 €
  • Vrij vanaf: Andere
  • NEVEN & BEX
  • Contactpersoon: Rachel KREMERS
  • Tel: 012/44.09.49
  • Email: info@nbnotarissen.be

Gronden

Riemsterweg, 3742 Martenslinde

Doe een bod van
3.094 €

Presentatiebeeld van het pand n° 291654
Online openbare verkoop
  • Referentie: 291654
  • Verger à vendre à Bilzen-Hoeselt, en zone agricole, sise au lieudit "Geyserveld" d'une superficie de 18 ares 56 centiares. Enchère à partir de 3.094 €. Concerné par un bail à ferme donc vente sous condition suspensive de non exercice du droit de préemption par le bailleur à ferme. P score: C
  • Lopende verkoop
  • Startdatum: 23/02/2026 14:00
  • Einddatum: 03/03/2026 14:00
  • Geen bod: 250 €
  • Vrij vanaf: Andere
  • NEVEN & BEX
  • Contactpersoon: Rachel KREMERS
  • Tel: 012/44.09.49
  • Email: info@nbnotarissen.be

Gronden

Lindekapelstraat, 3730 Hoeselt

Doe een bod van
1.450 €

Presentatiebeeld van het pand n° 291658
Online openbare verkoop
  • Referentie: 291658
  • Formation de lots des lots 1 et 2 ("De Massa A"): bos en weiland à vendre à Bilzen-Hoeselt, sises en zone naturelle au lieudit "De Linden Bemden", pour une superficie totale de 12 ares 97 centiares. Enchère à partir de 1.450 €. Disponible à l'acte. P score: D
  • Lopende verkoop
  • Startdatum: 23/02/2026 14:30
  • Einddatum: 03/03/2026 14:30
  • Geen bod: 250 €
  • Vrij vanaf: Bij de akte
  • NEVEN & BEX
  • Contactpersoon: Rachel KREMERS
  • Tel: 012/44.09.49
  • Email: info@nbnotarissen.be

Gronden

Hardveldstraat, 3730 Hoeselt

Doe een bod van
5.500 €

Presentatiebeeld van het pand n° 291659
Online openbare verkoop
  • Referentie: 291659
  • Lotvorming van loten 4 en 5 ("De Massa B"): hoogstamboomgaarden te koop in Bilzen-Hoeselt, in landschappelijk waardevolle agrarisch gebied, gelegen ter plaatse "Het hard veld", voor een totale oppervlakte van 31 are 2 centiare. Bieden vanaf 5.500 €. In gebruik via mondelinge overeenkomst. Valt niet onder de pachtwetgeving. P score: A
  • Lopende verkoop
  • Startdatum: 23/02/2026 15:00
  • Einddatum: 03/03/2026 15:00
  • Geen bod: 250 €
  • Vrij vanaf: Andere
  • NEVEN & BEX
  • Contactpersoon: Rachel KREMERS
  • Tel: 012/44.09.49
  • Email: info@nbnotarissen.be

Gronden

Hageveldstraat, 3740 Kleine-Spouwen

Doe een bod van
10.293 €

Presentatiebeeld van het pand n° 291662
Online openbare verkoop
  • Referentie: 291662
  • Hoogstamboomgaard te koop in Bilzen-Hoeselt, in agrarisch gebied, gelegen ter plaatse "Berg het gehucht" met een oppervlakte van 58 are 82 centiare (5.882 m²). Bieden vanaf 10.293,50 €. Verpacht dus verkoop onder opschortende voorwaarde van de niet-uitoefening van zijn voorkooprecht door de pachter. P score: A
  • Lopende verkoop
  • Startdatum: 23/02/2026 14:00
  • Einddatum: 03/03/2026 14:00
  • Geen bod: 250 €
  • Vrij vanaf: Andere
  • NEVEN & BEX
  • Contactpersoon: Rachel KREMERS
  • Tel: 012/44.09.49
  • Email: info@nbnotarissen.be

Huizen

101 August Nihoulstraat, 3270 Scherpenheuvel

Doe een bod van
205.000 €

Presentatiebeeld van het pand n° 291775
Uit de hand
  • Referentie: 291775
  • Deze woning is gelegen op wandelafstand van het centrum van Scherpenheuvel, winkels, scholen, het cultureel centrum en het openbaar vervoer, wat de locatie zeer centraal maakt. Op het perceel is voldoende ruimte om één wagen te parkeren, met een verharding van asfalt. De toegang tot de tuin is via een ijzeren poort en de tuin is volledig omheind met betonnen platen, wat de privacy verhoogt. De tuin bevat een grasveld met een wandelpad van steenslag. Indeling van de woning: Gelijkvloers: inkomhal met toegang naar de kelder en trap naar de 1e verdieping, woonkamer, eetkamer, toilet/wasplaats, recent vernieuwde keuken (2019) die via de achterdeur toegang biedt tot de tuin. De keuken is modern en functioneel, en biedt voldoende ruimte. 1e Verdieping: nachthal met trap naar zolder, 2 slaapkamers, eenvoudige badkamer met enkel een zitbad. Zolder: deze ruimte is momenteel niet ingericht, maar biedt potentieel voor verdere ontwikkeling, bijvoorbeeld als extra slaapkamer, werkruimte of opslagruimte. Kelder voor extra bergruimte. Ben je op zoek naar een woning met veel potentieel en een centrale ligging? Dan is dit de ideale kans! G score: D P score: D
  • Aantal kamers: 2
  • Oppervlakte van het woongedeelte: 144m2
  • Aantal badkamers: 1
  • Kadastraal inkomen: 490 €
  • Vrij vanaf: Onmiddellijk
  • MEURIS, CLAES & DE COCK
  • Contactpersoon: Laura LEMMENS
  • Tel: (013) 77.23.00
  • Email: notaris@3270notaris.be

Huizen

1 Place Joseph Wauters, 7860 Lessines

Doe een bod van
150.000 €

Presentatiebeeld van het pand n° 291777
Uit de hand
  • Referentie: 291777
  • Très bonne maison d’habitation 3 façades avec garage et jardin clôturé Située dans un environnement agréable et bénéficiant d’un stationnement aisé, cette solide maison d’habitation 3 façades se distingue par son très bon état d’entretien et ses beaux volumes. Le sous-sol se compose de caves entièrement sèches, idéales pour le stockage. Au rez-de-chaussée, un hall d’entrée dessert en enfilade un bureau, un salon, une salle à manger, ainsi qu’une cuisine équipée comprenant un four, des taques électriques, un réfrigérateur et une hotte. Un accès direct au garage complète ce niveau. Le premier étage offre un palier menant à trois chambres ainsi qu’à une salle de bain équipée d’une baignoire et d’un lavabo. Au deuxième étage, vous trouverez un grenier aménagé, offrant un espace polyvalent pouvant servir de chambre supplémentaire, bureau ou espace de loisirs. À l’extérieur, la maison dispose d’un jardin entièrement clôturé, idéal pour profiter des beaux jours en toute tranquillité. Informations générales : Raccordement à l’égout Citerne d’eau de pluie avec groupe hydrophore Châssis double vitrage Volets aux fenêtres Stationnement facile PEB : F Contrôle électrique : non conforme Superficie cadastrale : 2a 30ca
  • Aantal kamers: 3
  • Aantal badkamers: 1
  • Kadastraal inkomen: 562 €
  • Vrij vanaf: Bij de akte
  • DEVREUX, Laurent
  • Contactpersoon: Caroline RASSON
  • Tel: (068) 33.24.00
  • Email: caroline.rasson.106781@belnot.be
  • Bezoekgegevens
  • Vous pouvez contacter l’Etude au 068/33.24.00 pour les visites.

Appartementen

10/6 Rue de Bruxelles, 4340 Awans

Doe een bod van
135.000 €

Presentatiebeeld van het pand n° 291282
Online openbare verkoop
  • Referentie: 291282
  • Au-dessus du commerce "Vitabulle" : deux appartements réunis en un seul comprenant selon titre de propriété : LOT P1 : situé à l'avant gauche, premier étage : l'appartement proprement dit de style loft avec une terrasse d'une superficie suivant plan de quarante-quatre mètres carrés quatre-vingt-huit décimètres carrés. Superficie du bien : 137,30m² LOT P2 : situé au centre gauche, premier étage : l'appartement proprement dit de style loft avec une terrasse d'une superficie de quarante-cinq mètres carrés septante-huit décimètres carrés. Superficie du bien : 136,24m² Il apparaît qu'en réalité, ces deux appartements ont été réunis en un seul. L'adjudicataire fera son affaire personnelle de cette situation à tous points de vue urbanistiques, administratifs, civils, etc. Il est fait remarquer que le revenu cadastral n’est pas encore déterminé. Si la fin des travaux n’a pas été déclarée au(x) service(s) compétent(s) de l’administration, l’adjudicataire devra y procéder et en fera son affaire personnelle.
  • Aantal kamers: 3
  • Oppervlakte van het woongedeelte: 274m2
  • Lopende verkoop
  • Startdatum: 10/02/2026 12:00
  • Einddatum: 18/02/2026 12:00
  • Geen bod: 1000 €
  • Vrij vanaf: Andere
  • NOTABIS, société notariale
  • Contactpersoon: Lara ISTACE
  • Tel: (04) 220.16.16
  • Email: lara.istace.460035@belnot.be

Gronden

30 Rue de l'Eglise, 4450 Juprelle

Doe een bod van
440.000 €

Presentatiebeeld van het pand n° 291488
Online openbare verkoop
  • Referentie: 291488
  • Situées dans l'agréable commune de Juprelle, proche de toutes commodités, deux parcelles de terrain d'une superficie totale de 17.745 mètres carrés. A 1 minute de la Chaussée de Tongres. A côté de la maison n°30, rue de l'Eglise. Informations : la parcelle se situe en zone d'habitat à caractère rural. Pour obtenir davantage d'informations sur la possibilité de construire la parcelle, veuillez contacter le Service d'Urbanisme de Juprelle.
  • Lopende verkoop
  • Startdatum: 10/02/2026 12:30
  • Einddatum: 18/02/2026 12:30
  • Geen bod: 1000 €
  • Kadastraal inkomen: 139 €
  • Vrij vanaf: Bij de akte
  • NOTABIS, société notariale
  • Contactpersoon: Lara ISTACE
  • Tel: (04) 220.16.16
  • Email: lara.istace.460035@belnot.be

Huizen

16 Nieuwe Beggaardenstraat, 2800 Mechelen

Doe een bod van
550.000 €

Presentatiebeeld van het pand n° 291780
Openbare verkoop
  • Referentie: 291780
  • Gelegen in stadskern van Mechelen. - gelijkvloers: inkomhal, verbindingshal, eetplaats, keuken, badkamer, technische ruimte, woonkamer, sas, 2 wc’s, berging, 2 slaapkamers, toegang tot kelder, gezellige stadstuin; -1e verdieping: traphal met inkom, sas, technische ruimte, wc, keuken, woonkamer, 2 slaapkamers, badkamer; - 2e verdieping: traphal met inkom, eetplaats, keuken, technische ruimte, badkamer, 2 slaapkamers. OPGELET: Het onroerend goed is in de feitelijke toestand opgedeeld in drie afzonderlijke woongelegenheden (gelijkvloers, eerste en tweede verdieping), waarvoor geen stedenbouwkundige vergunning als meergezinswoning werd afgeleverd. Het goed wordt verkocht in de staat waarin het zich bevindt, zonder enige waarborg omtrent de mogelijkheid tot regularisatie. De koper zal op eigen initiatief en verantwoordelijkheid hetzij het pand terugbrengen tot een eengezinswoning, hetzij de vereiste regularisatievergunning bekomen. Blanco bodemattest. Elektrische installatie - niet conform. Asbestveilig m.u.v GLVS. EPC: 376 kWh/m²(GLVS) – 204 kWh/m² (1e V) – 491 kWh/m² (2e V). Verhuurd (GLVS + 1ste VD). Gehuwde kopers dienen in het bezit te zijn van hun trouwboekje en eventueel huwelijkscontract. Verdere inlichtingen op het kantoor van de verkoophoudende notaris. G score: D P score: D
  • Aantal kamers: 6
  • Oppervlakte van het woongedeelte: 296m2
  • Aantal badkamers: 3
  • Kadastraal inkomen: 894 €
  • Vrij vanaf: Andere
  • Notariskantoor Huygens & Lefevre
  • Contactpersoon: Kantoor Not. Huygens & Lefevre
  • Tel: (015) 28.75.40
  • Email: info@notarissenveemarkt.be
  • Bezoekgegevens
  • elke woensdag van 14u-16u en elke vrijdag van 16u-18u vanaf woensdag 14 januari 2026 t.e.m. vrijdag 6 februari 2026.

Huizen

243 Avenue Eugène Mascaux, 6001 Marcinelle

Doe een bod van
80.000 €

Presentatiebeeld van het pand n° 291785
Online openbare verkoop
  • Referentie: 291785
  • Rez-de-chaussée : Hall d’entrée avec compteurs et une surface commerciale à l’état de gros oeuvre. 1er étage : Hall, living, cuisine équipée, salle de bains avec WC et baignoire. 2ème étage : Hall, 3 chambres. Sous-sol : Une cave. - Châssis double vitrage. - Raccordement à l’égout - Chauffage central au gaz de ville -Cadastre et superficie : section B numéro 0171R3P0000 Contenance : 02 a 70 ca R.C. : 1.070,00 €
  • Aantal kamers: 3
  • Aantal badkamers: 1
  • Lopende verkoop
  • Startdatum: 04/03/2026 13:00
  • Einddatum: 12/03/2026 13:00
  • Geen bod: 1000 €
  • Kadastraal inkomen: 1070 €
  • Vrij vanaf: Te bepalen
  • Nicolas Rousseaux, Notaire
  • Contactpersoon: Jackie CARLIER
  • Tel: (071) 31.47.18
  • Email: jackie.carlier.127183@belnot.be
  • Bezoekgegevens
  • Informations sur la vente en l'étude et pour les visites contacter le service GIL au 071/38.84.49 (option 1)

Gronden

Goede Weide, 3270 Scherpenheuvel

Doe een bod van
130.000 €

Presentatiebeeld van het pand n° 281522
Uit de hand
  • Referentie: 281522
  • Bouwgrond 3 a 70 ca voor half open bebouwing met rustige ligging te Scherpenheuvel, Goede Weide. Perceel bouwgrond van 3 a 70 ca voor een ruime eengezinswoning (loten 1 & 3 op het plan) gelegen te Scherpenheuvel, Goede Weide. Lot 3 (zijnde 1 a 27 ca) is een restperceel en is bedoeld om met het naastgelegen perceel een verdere verkaveling en aansluiting met de huidige aanvraag mogelijk te maken. Dit restperceel wordt mee verkocht. Nabij het centrum van Scherpenheuvel (met supermarkt, horeca, bakker, kleuter en basisschool), maar toch in een rustige landelijke omgeving. Het hoofdgebouw telt 2 volwaardige bouwlagen, afgewerkt met hellend (max. 45°, max. kroonlijsthoogte 6m) of plat dak (max. kroonlijsthoogte 6,5m). De kandidaat-koper wordt erop gewezen dat hij zelf inlichtingen dient in te winnen over de stedenbouwkundige mogelijkheden van het goed. P score: B
  • Vrij vanaf: Bij de akte
  • MEURIS, CLAES & DE COCK
  • Contactpersoon: Kantoor Not. Timmermans, Meuris & Claes
  • Tel: (013) 77.23.00
  • Email: notaris@3270notaris.be
  • Bezoekgegevens
  • Vrij te bezoeken

Huizen

68 Rue Clément Brédas, 7134 Leval-Trahegnies

Doe een bod van
80.000 €

Presentatiebeeld van het pand n° 291788
Uit de hand
  • Referentie: 291788
  • Maison sise à la Rue Clément Brédas, 68 Sur et avec 52 ca. Comprenant : Une cave RDC : Séjour, salle de bain, WC, pièce pour la cuisine (non placée). 1er étage : 2 chambres, grenier. PEB : D Electricité conforme. Poêle à bois Châssis double vitrage PVC (neuf) DIU : OK. A l’extérieur : Passage latéral, ruelle. Toiture refaite Raccordée à l’égout. Faire offre à partir de 80.000 € Visites : Permis de l'étude et sur rendez-vous, mercredi 14 H- 16H et le samedi 14H- 16H.
  • Aantal kamers: 2
  • Aantal badkamers: 1
  • Vrij vanaf: Bij de akte
  • Notaire Léopold DERBAIX
  • Contactpersoon: Justa DOUNGMENE FOUE
  • Tel: (064) 36.68.68
  • Email: LEOPOLD.DERBAIX@BELNOT.BE

Huizen

40 Rue des Vignes, 4000 Liège

Doe een bod van
164.000 €

Presentatiebeeld van het pand n° 291792
Uit de hand
  • Referentie: 291792
  • A saisir Maison 2 façades 4 chambres avec jardin – Rue des Vignes 40, 4000 Liège Prix demandé : 164.000 € Découvrez cette maison pleine de potentiel, idéalement située à proximité de toutes les commodités (commerces, écoles, transports et axes autoroutiers). Elle se compose comme suit : • Rez-de-chaussée : un hall d'entrée avec un accès à un living lumineux donnant sur une petite cour, ainsi qu’une cuisine semi-équipée et une sdb avec douche • Entresol : un bureau, parfait pour un espace de travail ou de rangement ainsi que la deuxième sdb avec baignoire • Étage : 4 grandes chambres. • Il y a également une cave saine et pratique pour le rangement . • À l’arrière : un jardin en pente, offrant diverses possibilités d’aménagement. Équipements : • Chauffage central au gaz • Simple vitrage • Travaux de rafraîchissement à prévoir pour remettre la maison au goût du jour. Cette habitation propose de beaux volumes et un excellent potentiel pour qui souhaite personnaliser son futur chez-soi à un prix attractif. ?? Adresse : Rue des Vignes 40, 4000 Liège ?? Prix demandé : 164.000 €
  • Aantal kamers: 4
  • Aantal badkamers: 1
  • Kadastraal inkomen: 617 €
  • Vrij vanaf: Bij de akte
  • Neonotaires - Société Notariale
  • Contactpersoon: Justine HERMANS
  • Tel: (04) 240.55.60
  • Email: justine.hermans.214661@belnot.be

Gronden

lot 4 Rue des Hayettes, 6540 Lobbes

Doe een bod van
135.000 €

Presentatiebeeld van het pand n° 291794
Uit de hand
  • Referentie: 291794
  • Superbe terrain à bâtir situé à Lobbes (Mont-Sainte-Geneviève), rue des Hayettes – LOT 4, dans un environnement verdoyant, calme et paisible. Caractéristiques : • Superficie : 15 ares 63 centiares • Terrain plat et sans arbre • Largeur façade : 17,96 m • Profondeur : ± 87 m Idéal pour un projet résidentiel dans un cadre champêtre. Faire offre à partir de 135.000 € (hors frais). Téléphonez au 0471/527368 Étude des Notaires Coscia
  • Kadastraal inkomen: 15 €
  • Vrij vanaf: Bij de akte
  • Etude des Notaires COSCIA
  • Contactpersoon: Carmelina Bagnara
  • Tel: 0471/527368
  • Email: nicolas.coscia@belnot.be
  • Bezoekgegevens
  • Sur Rendez-vous au numéro suivant 0471/527368

Huizen

3 Rue Banal Bois, 4920 Aywaille

Doe een bod van
250.000 €

Presentatiebeeld van het pand n° 291594
Uit de hand
  • Referentie: 291594
  • Belle maison à rénover à Aywaille, composée au rez-de-chaussée, d'un hall, d'un WC, d'une cuisine semi-équipée, d'un salon, d'une salle à manger, d'un accès aux cave et garage. Au premier étage, de deux chambres, d'un débaras, d'une salle de bain (baignoire et évier). Au sous sol, un garage.Chauffage mazout. Poele à bois. Balcon et terrasse. Pas de jardin mais un bois. Proche du centre d'Aywaille et des grands axes autoroutiers. Visites sur rendez-vous préalables avec l'étude au 04/384.48.41.
  • Aantal kamers: 2
  • Kadastraal inkomen: 951 €
  • Vrij vanaf: Bij de akte
  • Etude SCAVEE, MAGHE ET LENELLE
  • Contactpersoon: Jérémy COLARD
  • Tel: (04) 369.15.19
  • Email: jeremy.colard.357711@belnot.be
  • Bezoekgegevens
  • Visites sur rendez-vous préalables avec l'étude au 04/384.48.41

Huizen

43 Krombekestraat, 8690 Alveringem

Doe een bod van
180.000 €

Presentatiebeeld van het pand n° 291795
Uit de hand
  • Referentie: 291795
  • Op het gelijkvloers bevindt zich een aangename leefruimte met open keuken, evenals een slaapkamer, een badkamer, een berging en een hobbyruimte. Via de traphal bereikt u de verdieping, waar zich twee bijkomende slaapkamers bevinden. Daarnaast beschikt de woning over een groene tuin en een ruime garage. G score: A P score: A
  • Aantal kamers: 3
  • Oppervlakte van het woongedeelte: 166m2
  • Aantal badkamers: 1
  • Kadastraal inkomen: 245 €
  • Vrij vanaf: Bij de akte
  • Notascript Geassocieerde Notarissen
  • Contactpersoon: Bo VANKEMMEL
  • Tel: (057) 33.33.81
  • Email: bo@notascript.be

Appartementen

44 Veurnestraat, 8970 Poperinge

Doe een bod van
360.000 €

Presentatiebeeld van het pand n° 291797
Uit de hand
  • Referentie: 291797
  • Ruim & licht. Instapklaar. Op de 2e verdieping. Biedt alle comfort. Er is een ruime, volledig uitgeruste keuken aanwezig met aansluitend een open leefruimte. Via de gang komt u terecht in de badkamer met inloopdouche en toilet. Hiernaast zijn er 2 slaapkamers aanwezig. Tijdens zonnige dagen kunt u genieten van het uitzicht op het terras. Dit appartement wordt samen met een ondergrondse garage verkocht. G score: D P score: D
  • Aantal kamers: 2
  • Oppervlakte van het woongedeelte: 98m2
  • Aantal badkamers: 1
  • Kadastraal inkomen: 703 €
  • Vrij vanaf: Bij de akte
  • Notascript Geassocieerde Notarissen
  • Contactpersoon: Bo VANKEMMEL
  • Tel: (057) 33.33.81
  • Email: bo@notascript.be

Huizen

9 Meester Hicketlaan, 9830 Sint-Martens-Latem

Doe een bod van
485.000 €

Presentatiebeeld van het pand n° 291800
Online openbare verkoop
  • Referentie: 291800
  • Charmante woning op toplocatie - Centraal in het kunstenaarsdorp Sint-Martens-Latem. Gesitueerd midden in een pittoreske groene omgeving. Op wandelafstand: de Leie, het dorpscentrum met winkels, restaurants en kunstgalerijen, de Royal Latem Golf Club, bibliotheek en sportfaciliteiten. Indeling: - Gelijkvloers: Inkomhall met trap en gastentoilet, zithoek met open haard, eetplaats, keuken, gang, bureau / slaapkamer. Dubbele inpandige garage. Een oprit met open parkeergelegenheden. Goed georiënteerd zonneterras. Aan terras aansluitende tuin. - Verdieping: Nachthal, 3 slaapkamers en badkamer (ligbad, wastafel en WC). Ideaal gelegen voor wie discreet en rustig wil wonen, doch met perfecte bereikbaarheid van N43, R4 en verkeerswissel E40 – E17, alsmede openbaar vervoer – mogelijkheden. Rust en bereikbaarheid elkaar perfect aanvullend. G score: A P score: A
  • Aantal kamers: 3
  • Aantal badkamers: 1
  • Lopende verkoop
  • Startdatum: 09/02/2026 12:00
  • Einddatum: 17/02/2026 12:00
  • Geen bod: 1000 €
  • Kadastraal inkomen: 2154 €
  • Vrij vanaf: Bij de akte
  • Notaris Fabienne FEVERY
  • Contactpersoon: Leen VAN DEN BERGHE
  • Tel: (09) 222.60.90
  • Email: leen.vandenberghe.132795@belnot.be
  • Bezoekgegevens
  • Op donderdagen 22 januari 2026, 29 januari 2026, 5 februari 2026 en 12 februari 2026 telkens van 16u30-18u30 en op zondagen 25 januari 2026, 1 februari 2026, 8 februari 2026 en 15 februari 2026 telkens van 10u-12u

Appartementen

86 Jean Dubrucqlaan, 1080 Sint-Jans-Molenbeek

Doe een bod van
170.000 €

Presentatiebeeld van het pand n° 288084
Online openbare verkoop
  • Referentie: 288084
  • In een gebouw « Grand bloc » gelegen Jean Dubrucqlaan 86 Het appartement « K.10 » op 10e verd. Omvattende doorloop, hal, keuken, living, doorloop met inbouwkast, dressing, badkamer, wc, 2 slaapkamers, terras, kelder nr 30 op ondergr. verd., garage parking nr 55 op ondergr. verd. N.g.k.i. 1.207€. Vrij van gebruik. Woongebied, GCHEWS. EPC B-/89. Contr. elektr. niet conform. Bezoeken (vanaf 27/1 tem 14/2) : dinsdagen en zaterdagen van 9u30-10u30. Begin biedingen : zondag 15.02.26 om 14u - Einde biedingen : maandag 23.02.26 om 14u - Instelprijs : 170.000€ - Bodverhoging : 1.000€ - Ondertekening akte : dinsdag 03.03.26 om 15u30 - www.biddit.be - Ref. pand : 288084.
  • Aantal kamers: 2
  • Aantal badkamers: 1
  • Lopende verkoop
  • Startdatum: 15/02/2026 14:00
  • Einddatum: 23/02/2026 14:00
  • Geen bod: 1000 €
  • Kadastraal inkomen: 1207 €
  • Vrij vanaf: Bij de akte
  • Dhaenens, Leticia
  • Contactpersoon: Nicolas DEFFET
  • Tel: (02) 521.07.96
  • Email: nicolas.deffet.125971@belnot.be
  • Bezoekgegevens
  • (vanaf 27/1 tem 14/2) : dinsdagen en zaterdagen van 9u30-10u30.

Gronden

Rue du Centenaire, 6590 Momignies

Doe een bod van
38.887 €

Presentatiebeeld van het pand n° 291810
Uit de hand
  • Referentie: 291810
  • Magnifique terrain à bâtir À vendre – Terrain à bâtir situé rue du Centenaire, dans un quartier calme et agréable Caractéristiques du terrain : Superficie de dix ares cinquante-et-un centiares (10 a 51 ca) Terrain situé en lotissement : raccordements déjà prévus (eau, électricité, etc.). Proximité des commodités : commerces, écoles et services accessibles facilement, tout en conservant le calme du quartier. Faire offre à partir de 37€/m² soit la somme de 38.887 €
  • Kadastraal inkomen: 9 €
  • Vrij vanaf: Bij de akte
  • STÉVAUX, Marie-Cécile
  • Contactpersoon: Anne-Sophie BERTRAND
  • Tel: (060) 21.10.86
  • Email: annesophie.bertrand.128397@belnot.be

Huizen

22 Cité Godesiabois, 6031 Monceau-sur-Sambre

Doe een bod van
167.500 €

Presentatiebeeld van het pand n° 291806
Uit de hand
  • Referentie: 291806
  • A VENDRE : MONCEAU sur SAMBRE, Cité Godesiabois, 22. Bonne maison d’habitation entièrement rénovée - composition ; - Rez : hall d’entrée – cuisine équipée – salon - living – bureau - cour – petite cave ; - Etage : hall de nuit - 3 chambres – - sous combles – grand grenier aménageable. - chaudière condensation gaz – électricité conforme - double vitrage PVC - Offre à partir de 167.500,00 € - Renseignements: 0471/52 73 68
  • Aantal kamers: 3
  • Kadastraal inkomen: 327 €
  • Vrij vanaf: Bij de akte
  • Etude des Notaires COSCIA
  • Contactpersoon: Carmelina Bagnara
  • Tel: 0471/52 73 68
  • Email: nicolas.coscia@belnot.be
  • Bezoekgegevens
  • Maison d'habitation avec dépendances et jardin

Huizen

1 Arnold-Sauwenlaan, 3650 Stokkem

Doe een bod van
175.000 €

Presentatiebeeld van het pand n° 291793
Online openbare verkoop
  • Referentie: 291793
  • Te renoveren halfopen woning, gelegen te Dilsen-Stokkem, Arnold-Sauwenlaan 1. De woning werd gebouwd in 1966 en bevindt zich op een perceel met een totale oppervlakte van ca. 892 m². De woning biedt tal van mogelijkheden op het vlak van renovatie en herinrichting. Indeling Gelijkvloerse verdieping • Inkomhal met trap naar de verdieping • Polyvalente ruimte • Woonkamer • Praktische berging/wasplaats • Keuken • Apart toilet • Toegang tot de inpandige garage • Tuin Eerste verdieping • Overloop • 3 slaapkamers • Badkamer Verder beschikt de woning over een zolder. De woning is gunstig gelegen en geniet van vlotte verbindingen, in de nabijheid van winkels, scholen en openbaar vervoer. Administratieve bepalingen: EPC: F – 839 kWh/m²jaar Watertoets: • P(erceel)-score: A (geen overstroming gemodelleerd) • G(ebouw)-score: A (geen overstroming gemodelleerd) Voor verdere inlichtingen: Kantoor notarissen Schotsmans & Van Eygen Arnold-Sauwenlaan 10/A, 3650 Dilsen-Stokkem Tel. 089/75.51.65 E-mail: notarissen@schotsmans-vaneygen.be G score: A P score: A
  • Aantal kamers: 3
  • Oppervlakte van het woongedeelte: 190m2
  • Aantal badkamers: 1
  • Lopende verkoop
  • Startdatum: 18/02/2026 10:00
  • Einddatum: 26/02/2026 10:00
  • Geen bod: 1000 €
  • Kadastraal inkomen: 766 €
  • Vrij vanaf: Andere
  • SCHOTSMANS & VAN EYGEN, geassocieerde notarissen
  • Contactpersoon: Florence LAKIERE
  • Tel: (089) 75.51.65
  • Email: florence@schotsmans-vaneygen.be
  • Bezoekgegevens
  • Na telefonische afspraak met het notariskantoor

Appartementen

2E L. Van Merrisstraat, 8970 Poperinge

Doe een bod van
195.000 €

Presentatiebeeld van het pand n° 291802
Uit de hand
  • Referentie: 291802
  • In een kleinschalige en rustige residentie te Poperinge. Via de traphal komt u binnen in de inkom die de twee slaapkamers, badkamer en apart toilet met de leefruimte verbindt. Aansluitend is er keuken met alle nodige uitrustingen. Dit appartement beschikt over een zonnig terras met weids uitzicht. Het appartement wordt samen verkocht met een ondergrondse garage en een extra private berging. Troeven: - EPC klasse B (warmtepomp 2023); - Habito conformiteitsattest; - Asbestveilig; - Volledig herschilderd; - Extra zonnewering achteraan (2023). G score: C P score: C
  • Aantal kamers: 2
  • Oppervlakte van het woongedeelte: 77m2
  • Aantal badkamers: 1
  • Kadastraal inkomen: 694 €
  • Vrij vanaf: Bij de akte
  • Notascript Geassocieerde Notarissen
  • Contactpersoon: Bo VANKEMMEL
  • Tel: (057) 33.33.81
  • Email: bo@notascript.be

Huizen

69 Route du Cronchamps, 4970 Francorchamps

Doe een bod van
449.000 €

Presentatiebeeld van het pand n° 291782
Uit de hand
  • Referentie: 291782
  • L’Étude des Notaires GUYOT & CREMER a le plaisir de vous présenter à la vente cette MAISON UNIFAMILIALE MODERNE idéalement située à Ster, un hameau calme et prisé. Ce bien bénéficie d’un environnement unique, apprécié tant pour sa tranquillité que pour sa proximité immédiate avec de nombreux itinéraires de promenade et le célèbre circuit de Spa-Francorchamps. La propriété comprend également un gîte indépendant pour trois personnes, offrant une opportunité de revenu locatif ! Composition: NIV 0 : grand garage, plusieurs caves dédiées au rangement et à la chaufferie. NIV +1: hall d'entrée, WC avec lave-mains, séjour ouvert avec poêle à bois et une cuisine semi équipée avec ilot, buanderie, une chambre à coucher, une salle de bains à créer et une salle de jeux pouvant être une chambre supplémentaire. NIV+2: hall de nuit, 2 chambres à coucher, grande salle de bains (baignoire d'angle, douche, évier, WC), dressing. Techniques: châssis triple vitrage, chaudière mazout à condensation, citerne 2500L, microstation d'épuration, citerne d'eau de pluie 5000L, compteur électrique bi horaire, électricité conforme, câblage d'alarme prêt, RC= 1078€, PEB B = "126" kWh/m².an - 23.996 kWh/an (ref n°20250325034886). Un bien aux multiples atouts, idéal tant pour une occupation privée que pour un investissement combinant habitation et rendement locatif! Quelques finitions à prévoir pour personnaliser pleinement votre future maison. N'hésitez plus et prenez rendez-vous en l'étude GUYOT & CREMER: 087/77 10 72.
  • Aantal kamers: 4
  • Oppervlakte van het woongedeelte: 145m2
  • Aantal badkamers: 1
  • Kadastraal inkomen: 1078 €
  • Vrij vanaf: Bij de akte
  • GUYOT & CREMER, notaires associés
  • Contactpersoon: Aline SCHMITZ
  • Tel: (087) 77.10.72
  • Email: aline.schmitz.460044@belnot.be

Appartementen

33 Grand'rue, 6800 Libramont-Chevigny

Doe een bod van
145.000 €

Presentatiebeeld van het pand n° 291798
Uit de hand
  • Referentie: 291798
  • Ce bel appartement lumineux idéalement situé dans le centre de Libramont au carrefour de la Grand Rue et de la rue de l'Ancienne Gare bénéficie d'un accès privilégié aux commerces de proximité aux écoles et à la gare. Situé au calme, au premier étage d'un immeuble équipé d'un ascenseur, au-dessus d'une bijouterie, l'appartement construit au début des années 80 est parfaitement entretenu. D'une superficie de 65 mètres carrés, il se compose d'un séjour, d'une cuisine, de deux chambres à coucher, d'une salle de douche, de water-closet et d'un hall. L'appartement est vendu avec son garage fermé ainsi que deux caves. Les visites sont organisées sur rendez-vous uniquement à prendre au numéro 0495/64 78 18
  • Aantal kamers: 2
  • Oppervlakte van het woongedeelte: 65m2
  • Kadastraal inkomen: 743 €
  • Vrij vanaf: Onmiddellijk
  • Augustin FOSSÉPREZ - société notariale
  • Contactpersoon: Laetitia LOUIS
  • Tel: (061) 22.55.50
  • Email: laetitia.louis.125674@belnot.be
  • Bezoekgegevens
  • Sur rendez-vous uniquement à prendre au numéro 0495/64 78 18

Huizen

52 Gentstraat, 9120 Melsele

Doe een bod van
298.000 €

Presentatiebeeld van het pand n° 291783
Uit de hand
  • Referentie: 291783
  • Indeling: gelijkvloers: inkomhal met apart toilet, woon- en eetkamer, keuken met aanpalende bergruimte, overdekt terras met mogelijkheid tot afsluiten, tuin met vrijstaande garage en tuinberging. Eerste verdieping: twee slaapkamers, bureauruimte en een badkamer. Tweede verdieping bereikbaar met vaste trap, mogelijkheid tot inrichten, valtrap naar zolder. Verder is de woning voorzien van airco op de grote slaapkamer en in de woonkamer, de zolder werd recent geïsoleerd, centrale verwarming, 7 zonnepanelen (2.800 kW), thuisbatterij (5.000 kW), rolluiken en de tuin is volledig afsluitbaar door middel van een draaipoort. G score: A P score: A
  • Aantal kamers: 3
  • Oppervlakte van het woongedeelte: 150m2
  • Aantal badkamers: 1
  • Kadastraal inkomen: 458 €
  • Vrij vanaf: Bij de akte
  • VAN der AUWERMEULEN, Michel
  • Contactpersoon: Kimberley DE SUTTER
  • Tel: (03) 773.47.12
  • Email: info@notaris-beveren.be

Huizen

23 Rue du Prè Louis, 4950 Sourbrodt

Doe een bod van
250.000 €

Presentatiebeeld van het pand n° 291417
Online openbare verkoop
  • Referentie: 291417
  • Cette très belle villa datant de 1992, à rénover, présente un potentiel rare et une vue exceptionnelle sur les Fagnes. Situé dans le village de Sourbrodt, ce bien est composé comme suit : RDC : hall d'entrée, WC, salon/salle à manger, cuisine, véranda lumineuse. Grand garage avec 2 portes sectionnelles automatiques. 1er étage : hall de nuit, 3 chambres, 1 salle de bain et 1 salle de douche. Terrasse à l'arrière de la maison et grand jardin faisant tout le tour de celle-ci. Grandes caves aménageables, avec 2 escaliers d’accès. À l’arrière, vous disposez d’un peu plus de 18.300 m² de pâtures, situées en zone agricole, dont une partie est reprise dans le périmètre d'un site Natura 2000. ATTENTION : Le bien est vendu avec tous les encombrants, effets mobiliers et déchets qui y sont présents. L’adjudicataire fera son affaire personnelle de la vidange du bien, à ses frais exclusifs. Nous vous invitons vivement à consulter les conditions de vente annexées à l’annonce sur le site Biddit.be ou Notaire.be, celui-ci reprend les éléments essentiels de cette vente.
  • Aantal kamers: 3
  • Aantal badkamers: 2
  • Lopende verkoop
  • Startdatum: 16/03/2026 13:00
  • Einddatum: 24/03/2026 13:00
  • Geen bod: 1000 €
  • Kadastraal inkomen: 2321 €
  • Vrij vanaf: Bij de akte
  • Marie-Noëlle XHAFLAIRE, Charlotte LOUSBERG & Géraldine FRANCK, notaire
  • Contactpersoon: Nadja PINCKAERS
  • Tel: (087) 78.86.80
  • Email: nadja.pinckaers.131219@belnot.be
  • Bezoekgegevens
  • Sur rendez-vous uniquement, à partir du 20/01/2026

Gronden

Driehoeksstraat, 3530 Houthalen-Helchteren

Doe een bod van
165.000 €

Presentatiebeeld van het pand n° 290425
Uit de hand
  • Referentie: 290425
  • BOWGROND TE KOOP P score: A
  • Kadastraal inkomen: 3 €
  • Vrij vanaf: Bij de akte
  • BOESMANS Paul & Steven, geassocieerde notarissen
  • Contactpersoon: Mariam HASANEIN ZANOUN
  • Tel: (011) 42.20.50
  • Email: mariam@notaris-boesmans.be

Huizen

35 Rue des Hayettes, 6280 Gougnies

Doe een bod van
140.000 €

Presentatiebeeld van het pand n° 291700
Online openbare verkoop
  • Referentie: 291700
  • Maison comprenant: Sous-sol: 1 cave Rez-de-chaussée: Grand salon, salle à manger, cuisine, wc. Etage: 3 chambres, salle de douche Grenier Confort: Grand jardin et garage (donnant sur la rue de Namur 18), châssis PVC double vitrage avec volets manuels, chauffage central au mazout (2 cuves), citerne d'eau de pluie + groupe hydrophore, passage sur le côté. Superficie totale: 9a 50ca Revenu castral: 351,00 € PEB: E Visites: sur RDV au 071/50.10.39
  • Aantal kamers: 3
  • Oppervlakte van het woongedeelte: 144m2
  • Lopende verkoop
  • Startdatum: 25/02/2026 10:00
  • Einddatum: 05/03/2026 10:00
  • Geen bod: 1000 €
  • Kadastraal inkomen: 351 €
  • Vrij vanaf: Bij de akte
  • Coralie de WILDE d´ESTMAEL et Cédric DEL MARMOL notaires associés
  • Contactpersoon: Christelle DEWIT
  • Tel: (071) 50.10.39
  • Email: christelle.dewit.350692@belnot.be
  • Bezoekgegevens
  • Visites sur RDV au 071/50.10.39

Huizen

51 Rue du Bas Coron, 7600 Péruwelz

Doe een bod van
20.000 €

Presentatiebeeld van het pand n° 291711
Online openbare verkoop
  • Referentie: 291711
  • Maison mitoyenne en état de délabrement complet et ne dispose d'aucune commodité (cuisine, salle-de-bain, WC,...) L'entrée donne dans une pièce à vivre, suivi d'une pièce avec une verrière de toit, elle-même suivi d'une véranda donnant sur une cour. Il y a également une annexe au bout de la cour. Le bien dispose de 2 petites chambres à l'étage. Il n'est pas possible de visiter l'étage au vu de l'état du bien. Aucun PEB n'a été réalisé en l'absence de système de chauffage. L'installation électrique est à refaire.
  • Aantal kamers: 2
  • Lopende verkoop
  • Startdatum: 11/02/2026 11:00
  • Einddatum: 19/02/2026 11:00
  • Geen bod: 1000 €
  • Kadastraal inkomen: 171 €
  • Vrij vanaf: Bij de akte
  • Charlotte DE VOS, Notaire
  • Contactpersoon: Elisa DEFRANCOIS
  • Tel: (069) 66.20.33
  • Email: elisa.defrancois.358255@belnot.be
  • Bezoekgegevens
  • Sur rendez-vous avec l'étude

Huizen

349 Chaussée de Mons, 7800 Ath

Doe een bod van
90.000 €

Presentatiebeeld van het pand n° 291719
Uit de hand
  • Referentie: 291719
  • Maison d'habitation à rénover à ATH, avec garage et jardin sise Chaussée de Mons, 349, sur et avec 2 ares 20 ca, comprenant : caves en sous-sol, living, pièce arrière, cuisine sommaire, salle d'eau, 3 chambres et grenier aménageable à l'étage. Cour couverte, jardin et garage au fond, accessible par la rue de Scamps. Electricité non conforme, simple vitrage avec châssis à remplacer. Pas de système de chauffage, donc pas de PEB.
  • Aantal kamers: 3
  • Kadastraal inkomen: 624 €
  • Vrij vanaf: Bij de akte
  • DEGRÈVE Vinciane
  • Contactpersoon: Isabelle MOREAU
  • Tel: (068) 65.71.27
  • Email: isabelle.moreau.201103@belnot.be
  • Bezoekgegevens
  • S'adresser à l'Etude pour inscription

Huizen

267 Avenue Léopold III, 7134 Péronnes-lez-Binche

Doe een bod van
160.000 €

Presentatiebeeld van het pand n° 291511
Uit de hand
  • Referentie: 291511
  • Une maison d’habitation avec jardin et garage, composée comme suit : - Au rez-de-chaussée : un hall d’entrée distribuant une cuisine, un living et un garage suivi d’une chaufferie, d'un wc et du jardin, une terrasse ; - A l’étage : hall de nuit distribuant 3 chambres, une salle de bains, un cagibi et un débarras. Le bien est équipé d'un système d'alarme, du chauffage central au gaz, et de double vitrage. Le bien est situé à proximité des moyens de transports et des axes autoroutiers.
  • Aantal kamers: 3
  • Oppervlakte van het woongedeelte: 162m2
  • Aantal badkamers: 1
  • Kadastraal inkomen: 669 €
  • Vrij vanaf: Onmiddellijk
  • DROULEZ Virginie
  • Contactpersoon: Isabelle DEBAIX
  • Tel: (064) 21.51.11
  • Email: isabelle.debaix.126201@belnot.be
  • Bezoekgegevens
  • Le bien pourra être visité le mercredi de 13h30 à 16h et le samedi de 9h à 11h. Prendre contact avec l'Etude de Maître DROULEZ

Huizen

79 Rue des Stappes, 4100 Seraing

Doe een bod van
75.000 €

Presentatiebeeld van het pand n° 291723
Uit de hand
  • Referentie: 291723
  • Petite maison à rénover située à Seraing, proche du quartier des Biens Communaux, ainsi que des commerces et transports. Elle se compose au rez-de-chaussée d'un salon, d'une cuisine et d'un coin douche avec WC. Au premier étage : une pièce (bureau) et une chambre. Au second étage : un grenier aménageable. Sous-sol : une cave carrelée. Compteur gaz. Installation électrique non conforme. Châssis en PVC double vitrage. PEB : G. Superficie du plancher chauffé selon PEB : 73 m². RC : 260 €. Vente soumise à l'autorisation du Juge de Paix.
  • Aantal kamers: 1
  • Oppervlakte van het woongedeelte: 73m2
  • Kadastraal inkomen: 260 €
  • Vrij vanaf: Bij de akte
  • ADVENTILL, société notariale
  • Contactpersoon: Florence LAMBERT
  • Tel: (04) 234.73.11
  • Email: immo@etudenotariale.be
  • Bezoekgegevens
  • Contactez l'étude au 04/234.73.11

Gronden

Grand'Route, 4367 Fize-le-Marsal

Doe een bod van
106.000 €

Presentatiebeeld van het pand n° 291721
Uit de hand
  • Referentie: 291721
  • Un terrain plat de 1060 m² (lot 4) idéalement situé proches des commodités et de Crisnée en zone à bâtir. À seulement 3 minutes de l'autoroute. 21,61 m de largeur sur 50,89 m de profondeur. Orienté sud-ouest. Renseignements urbanistiques consultables sur le site du Notaire https://immo.notaire.be/fr/property_details/178640. Terrain situé en face du numéro 82. Infos au 0471/13.49.70.
  • Kadastraal inkomen: 12 €
  • Vrij vanaf: Te bepalen
  • Notaire Frédéric LOMBARDO
  • Contactpersoon: Margaux GARNIER
  • Tel: (087) 68.02.88
  • Email: margaux.garnier.127571@belnot.be

Gronden

23 Nieuwelaan, 2950 Kapellen

Doe een bod van
370.000 €

Presentatiebeeld van het pand n° 291724
Uit de hand
  • Referentie: 291724
  • Ruim perceel bouwgrond voor open bebouwing gelegen in de Nieuwelaan te Kapellen, toekomstig huisnummer 23. Rustig gelegen in een groene omgeving doch niet ver van het centrum. Oppervlakte volgens kadaster: 2.020 vierkante meter. Dit perceel komt in aanmerking voor het bouwen van een eengezinswoning in open bebouwing onder de voorwaarden vermeld in het stedenbouwkundig attest. Meer info te bekomen op het notariskantoor. P score: A
  • Kadastraal inkomen: 3 €
  • Vrij vanaf: Bij de akte
  • WUYTS, Filip
  • Contactpersoon: Anthony VAN NOTEN
  • Tel: (03) 664.24.64
  • Email: anthony.vannoten.133165@belnot.be

Huizen

4 Schranshoevelaan, 2547 Lint

Doe een bod van
450.000 €

Presentatiebeeld van het pand n° 291727
Online openbare verkoop
  • Referentie: 291727
  • Voorzien van alle comfort. Gelegen in een rustige straat in het centrum van Lint. - gelijkvloers: inkom, ruime living/eetkamer met veel licht en zicht op de tuin, keuken, wc en garage met veel opbergplaats; - 1e verdiep: 3 kamers, wc en een badkamer; - 2e verdiep: grote ruimte, momenteel niet in gebruik maar veel opties mogelijk. G score: A P score: B
  • Aantal kamers: 3
  • Oppervlakte van het woongedeelte: 216m2
  • Aantal badkamers: 1
  • Lopende verkoop
  • Startdatum: 11/02/2026 11:00
  • Einddatum: 19/02/2026 11:00
  • Geen bod: 1000 €
  • Kadastraal inkomen: 1314 €
  • Vrij vanaf: Bij de akte
  • VAN BOCKRIJCK DANIEL EN GILLES, Geassocieerde notarissen
  • Contactpersoon: Gilles VAN BOCKRIJCK
  • Tel: (03) 454.34.23
  • Email: info@notariaatlint.be
  • Bezoekgegevens
  • zonder afspraak elke woensdag van 14u-16uur en elke zaterdag van 10u-12u vanaf zaterdag 17 januari t.e.m. woensdag 18 februari 2026.

Huizen

28 Beverse Dijk, 9120 Beveren-Kruibeke-Zwijndrecht

Doe een bod van
95.000 €

Presentatiebeeld van het pand n° 291742
Online openbare verkoop
  • Referentie: 291742
  • Woonhuis te Kallo, Beverse Dijk 28. Inkom, woonkamer, keuken, kelder, badkamer en tuin. Boven: 2 slaapkamers. G score: A P score: A
  • Aantal kamers: 2
  • Aantal badkamers: 1
  • Lopende verkoop
  • Startdatum: 16/02/2026 15:00
  • Einddatum: 24/02/2026 15:00
  • Geen bod: 1000 €
  • Kadastraal inkomen: 381 €
  • Vrij vanaf: Te bepalen
  • Tack & De Moor - notarisvennootschap
  • Contactpersoon: Michaël DE BOEY
  • Tel: (03) 776.02.38
  • Email: mdb@tackdemoor.be
  • Bezoekgegevens
  • Vanaf 21/01: iedere woensdag van 14u tot 16u en iedere zaterdag van 10u tot 12u

Huizen

8 Brugstraat, 9770 Kruishoutem

Doe een bod van
265.000 €

Presentatiebeeld van het pand n° 291746
Online openbare verkoop
  • Referentie: 291746
  • Gerenoveerde rijwoning in centrum Kruishoutem. Oppervlakte: 342m². Gelijkvloers: inkom, bureel, woonkamer, keuken, berging, badkamer/wasplaats. Verdieping: 3 slaapkamers, badkamer & zolder. Groot terras, mooie stadstuin, tuinberging, aparte fietstoegang. Zonnepanelen. G score: D P score: D
  • Aantal kamers: 3
  • Oppervlakte van het woongedeelte: 196m2
  • Aantal badkamers: 2
  • Lopende verkoop
  • Startdatum: 23/02/2026 14:00
  • Einddatum: 03/03/2026 14:00
  • Geen bod: 1000 €
  • Kadastraal inkomen: 314 €
  • Vrij vanaf: Bij de akte
  • VAN CAENEGEM & VAN CAENEGEM, geassocieerde notarissen
  • Contactpersoon: Cédric VAN CAENEGEM
  • Tel: (09) 383.50.80
  • Email: cedric@notarisvancaenegem.be
  • Bezoekgegevens
  • Na telefonische afspraak met het kantoor van Notarissen Van Caenegem & Van Caenegem te Kruisem op het nummer 09/383.50.80.

Huizen

4-6-8 Rue Bonnemaison, 7500 Tournai

Doe een bod van
170.000 €

Presentatiebeeld van het pand n° 291733
Uit de hand
  • Referentie: 291733
  • Un ensemble de trois maisons avec jardin et remise, sis à Tournai Rue Bonnemaison n°4-6-8, cadastré selon extrait cadastral récent section L numéros n°0418DP0000 (jardin), 0419BP0000 (remise), 0420BP000 (maison), 0421BP0000 (maison) et 0422HP0000 (maison), d’une contenance suivant mesurage de neuf ares et vingt-et-un centiares (09a 21ca). PLAN : Tel que cet ensemble est bordé de teinte jaune au plan de mesurage dressé en date du six avril deux mille seize, par la SRL PIODA & VAN DER WEE, à Tournai.
  • Aantal kamers: 3
  • Oppervlakte van het woongedeelte: 267m2
  • Vrij vanaf: Bij de akte
  • Pierre-Olivier LOIX & Valentin DELWART, notaires associés
  • Contactpersoon: Bettina CIAPPINA
  • Tel: (069) 22.52.15
  • Email: bettina.ciappina.351226@belnot.be
  • Bezoekgegevens
  • Prendre rendez-vous en l'étude des Notaires Pierre-Olivier LOIX et Valentin DELWART au 069/22.52.15

Huizen

185 Chaussée Impériale, 6060 Gilly

Doe een bod van
159.000 €

Presentatiebeeld van het pand n° 291748
Uit de hand
  • Referentie: 291748
  • Belle maison avec cour et jardin à vendre, d'une surface habitable de +- 168m², située à proximité de toutes commodités (école, commerces, cinéma, transports en communs,...) et d'axes routiers (Route de la Basse Sambre). Sous-sol: grande cave (19,87m²) carrelée avec petite cuisine aménagée, petit cagibi. RDC: hall d'entrée (9,60m²), 1 pièce carrelée de 8,85m² (idéale pour chambre d'enfant ou bureau), spacieux séjour (30,52m²) carrelé et surplombé d'une coupole, cuisine équipée (10,30m²), salle de bain (5m²) avec douche à l'italienne. 1er étage: hall de nuit (3,7m²), 2 chambres spacieuses de 14m² et 19m² avec parquet au sol, châssis PVC, radiateur et volet. 2è étage: premier palier menant à un petit grenier (10m²) avec petit velux, mansardé et éclairé. Second palier menant vers un spacieux grenier aménagé en deux chambres (8,5m² et 9,00m²) séparées par une cloison, parquet au sol, petit velux. Extérieur: cour avec petit jardin (4m²). Présence d'une légère humidité ascensionnelle sur un mur du séjour Chauffage au mazout (citerne de +- 2500L) - PEB D - Electricité non conforme - RC: 416€ - Châssis PVC double vitrage à l'avant et bois à l'arrière - relié aux égouts - Toiture et plateforme refaites. Opportunité à saisir !! - Emplacement parfait pour famille ou investisseur. Pas de grands travaux à prévoir, habitable immédiatement car maison bien entretenue. FAIRE OFFRE A PARTIR DE 159.000,00 EUR (offre par tranche de 1.000,00€). INFORMATIONS PAR L'ETUDE : 071/43.39.15.
  • Aantal kamers: 3
  • Kadastraal inkomen: 416 €
  • Vrij vanaf: Onmiddellijk
  • Sophie LEFEVRE
  • Contactpersoon: Ezgi DAMAR
  • Tel: (071) 36.16.70
  • Email: ezgi.damar.126474@belnot.be

Gronden

Klissenhoek, 2290 Vorselaar

Doe een bod van
260.000 €

Presentatiebeeld van het pand n° 291747
Uit de hand
  • Referentie: 291747
  • Rustig gelegen met zicht op een bos. Verkavelingsvergunning dd. 23/12/2019. Verkaveling niet vervallen. BIEDEN en MEER INFORMATIE te vinden via de BIDDIT-site, gelieve de link https://www.biddit.be/nl/catalog/detail/291747 te gebruiken. P score: A
  • Vrij vanaf: Bij de akte
  • NOTARIS MAYKE OP DE BEECK
  • Contactpersoon: Carolien DOM
  • Tel: (014) 51.42.78
  • Email: dom@notaris-vorselaar.be

Gronden

Klissenhoek, 2290 Vorselaar

Doe een bod van
370.000 €

Presentatiebeeld van het pand n° 291750
Uit de hand
  • Referentie: 291750
  • Met achterliggend perceel bos van 14.420m². Percelen 355L2 en 355A2. Geen voorkooprecht. Verkaveling dd. 23/12/2019, niet vervallen Blanco bodemattest. Geen bosbeheerplan. BIEDEN en MEER INFORMATIE te vinden via de BIDDIT-site, gelieve de link https://www.biddit.be/nl/catalog/detail/291750 te gebruiken. P score: A
  • Vrij vanaf: Bij de akte
  • NOTARIS MAYKE OP DE BEECK
  • Contactpersoon: Carolien DOM
  • Tel: (014) 51.42.78
  • Email: dom@notaris-vorselaar.be

Handelspanden

89 Rue de Namur, 1400 Nivelles

Doe een bod van
300.000 €

Presentatiebeeld van het pand n° 291756
Uit de hand
  • Referentie: 291756
  • À vendre, rez-de-chaussée commercial de ± 380 m², idéalement situé en plein centre-ville. Le bien est actuellement loué pour un montant de 2.000 € par mois, offrant un revenu locatif stable. ? Emplacement stratégique ? Belle superficie ? investissement avec rendement immédiat.
  • Vrij vanaf: Andere
  • Benoit ODIN, Notaire
  • Contactpersoon: Julie CNEUDE
  • Tel: (067) 21.22.24
  • Email: julie.cneude.131698@belnot.be
  • Bezoekgegevens
  • Renseignement et visite par l'entremise de Monsieur Alain MARCHAND 0475/53.38.86

Gronden

Chevaudos, 6860 Assenois

Doe een bod van
85.000 €

Presentatiebeeld van het pand n° 291755
Uit de hand
  • Referentie: 291755
  • A vendre, belle parcelle d'une contenance de 7 ares 49 centiares. Sise à front de voirie équipée de trottoirs et pourvue de réseaux d’eau, d’électricité et de télécommunications. L'assainissement se fait en épuration autonome. Ce terrain se trouve dans le charmant village d'Assenois, non loin de la E411 et de toutes les commodités (écoles, commerces, loisirs). L'acquéreur est invité à prendre tous ses renseignements auprès de l'administration communale quant aux possibilités urbanistiques de ce bien.
  • Kadastraal inkomen: 4 €
  • Vrij vanaf: Onmiddellijk
  • Géraldine KOECKX - Société Notariale
  • Contactpersoon: Andy FROGNET
  • Tel: (061) 55.01.81
  • Email: andy.frognet.357496@belnot.be

Gronden

Chevaudos, 6860 Assenois

Doe een bod van
85.000 €

Presentatiebeeld van het pand n° 291758
Uit de hand
  • Referentie: 291758
  • A vendre, belle parcelle d'une contenance de 7 ares 85 centiares. Sise à front de voirie équipée de trottoirs et pourvue de réseaux d’eau, d’électricité et de télécommunications. L'assainissement se fait en épuration autonome. Ce terrain se trouve dans le charmant village d'Assenois, non loin de la E411 et de toutes les commodités (écoles, commerces, loisirs). L'acquéreur est invité à prendre tous ses renseignements auprès de l'administration communale quant aux possibilités urbanistiques de ce bien.
  • Kadastraal inkomen: 5 €
  • Vrij vanaf: Onmiddellijk
  • Géraldine KOECKX - Société Notariale
  • Contactpersoon: Andy FROGNET
  • Tel: (061) 55.01.81
  • Email: andy.frognet.357496@belnot.be

Huizen

11 Rue Mattéotti, 7134 Leval-Trahegnies

Doe een bod van
130.000 €

Presentatiebeeld van het pand n° 291767
Uit de hand
  • Referentie: 291767
  • Maison 3 façades à rénover Composée comme suit : Rez-de-chaussée : hall d'entrée, garage, buanderie/chaufferie, seconde pièce pouvant servir au rangement 1er étage : hall d'entrée, vaste séjour lumineux, cuisine 2éme étage : hall de nuit, 2 chambres, une salle de bain, wc Extérieur : petite terrasse et jardin Pas de procès-verbal électrique remis à l'acte
  • Aantal kamers: 2
  • Aantal badkamers: 1
  • Kadastraal inkomen: 704 €
  • Vrij vanaf: Bij de akte
  • BABUSIAUX & PIRLOT NOTAIRES ASSOCIES
  • Contactpersoon: Laura WOJCIECHOWSKI
  • Tel: (064) 31.14.20
  • Email: laura.wojciechowski.183400@belnot.be
  • Bezoekgegevens
  • Contacter l'étude par téléphone au 064/31.14.20

Huizen

12 Rue du Cerisier, 1490 Court-St.-Étienne

Doe een bod van
425.000 €

Presentatiebeeld van het pand n° 275996
Uit de hand
  • Referentie: 275996
  • Charmante maison située à Tangissart (Court-Saint-Etienne) située dans un environnement calme avec de beaux espaces de vie. Elle comprend : - au rez-de-chaussée: un hall d'entrée avec wc et lave-main, une cuisine équipée, une buanderie, un vaste séjour, une véranda et une pièce de rangement - au 1er étage: un hall, une salle de bain avec wc séparé, deux belles chambres, une mezzanine - au 2e étage : un vaste espace actuellement à usage de bureaux qui peut être aménagé en chambres. Deux garages fermés sont situés à front de rue. Derrière la maison, vous trouverez une terrasse puis un grand jardin et terrain en zone agricole. Le terrain a fait l'objet d'une division récente (lot 2 b au plan de division et de mesurage). Une servitude de passage permet un accès au jardin le long de la maison voisine (nr 14) pour faciliter l'entretien du jardin et la réalisation d'éventuels travaux d'aménagement. Présence de pompes à chaleur réversibles et de panneaux photovoltaïques.
  • Aantal kamers: 3
  • Oppervlakte van het woongedeelte: 322m2
  • Aantal badkamers: 1
  • Kadastraal inkomen: 1621 €
  • Vrij vanaf: Bij de akte
  • Hervé LECLERCQ, Notaire
  • Contactpersoon: Kathleen CHARLES
  • Tel: (071) 87.70.92
  • Email: kathleen.charles.109025@belnot.be
  • Bezoekgegevens
  • Pour les visites, veuillez contacter Patrick Veltmans au 0475/42.40.39

Huizen

21 Rue de Lesdain, 7620 Jollain-Merlin

Doe een bod van
80.000 €

Presentatiebeeld van het pand n° 291768
Uit de hand
  • Referentie: 291768
  • MAISON D’HABITATION Comprenant : Au rez-de-chaussée : salon, salle à manger, une cuisine non-équipée, une véranda, une salle de bains équipée et un W.C extérieur. A l’étage : deux chambres et un grenier. Extérieure : un garage, un abri de jardin, une cour, une remise, un grand jardin et un atelier. RC : 222,00€ Contenance : 7ares 87 centiares Observations : citerne, escalier escamotable dans le salon Chauffage : mazout Mise en vente avec Maître Loix Pierre-Olivier à Tournai
  • Aantal kamers: 2
  • Kadastraal inkomen: 222 €
  • Vrij vanaf: Bij de akte
  • Anthony PIRARD, Notaire
  • Contactpersoon: Florine COCU
  • Tel: (069) 57.50.21
  • Email: florine.cocu.126292@belnot.be

Huizen

28 Rue Emile Vandervelde, 6182 Souvret

Doe een bod van
73.500 €

Presentatiebeeld van het pand n° 291764
Online openbare verkoop
  • Referentie: 291764
  • MAISON D’HABITATION AVEC JARDIN Composition : Rez-de-chaussée : Salle à manger, salon, cuisine , salle de bains avec baignoire et WC, buanderie, 1er étage : Hall de nuit, deux chambres communicantes, mezzanine. 2ème étage : Un grenier. Sous-sol : Une cave. -Châssis double vitrage -Chauffage central au gaz de ville -Raccordement à l’égout -Jardin -Abris de jardin - Cadastre et superficie : Section B n° 0396DP0000 pour 03 a 92 ca. - R.C. : 223,00 € Visites : G.I.L. :071/38.84.49 (option 1) (Dernière prise de visite : le 23/02/26)
  • Aantal kamers: 2
  • Oppervlakte van het woongedeelte: 139m2
  • Aantal badkamers: 1
  • Lopende verkoop
  • Startdatum: 16/02/2026 14:00
  • Einddatum: 24/02/2026 14:00
  • Geen bod: 1000 €
  • Kadastraal inkomen: 223 €
  • Vrij vanaf: Bij de akte
  • Alexandre PICART - Notaire
  • Contactpersoon: Julie VANDERUS
  • Tel: (071) 46.28.80
  • Email: julie.vanderus.130575@belnot.be
  • Bezoekgegevens
  • G.I.L. :071/38.84.49 (option 1) (Dernière prise de visite : le 23/02/26)

Huizen

31 Route d'Amougies, 7750 Anseroeul

Doe een bod van
495.000 €

Presentatiebeeld van het pand n° 291765
Uit de hand
  • Referentie: 291765
  • à la campagne, de plein pied. Comprenant : *au RDC: un hall avec WC et lavabo, un salon-salle-à-manger très spacieux, une cuisine équipée (5 becs au gaz, four électrique, lave-vaisselle, double évier, hotte, meubles), 4 chambres et une salle de bain (douche à l'italienne, WC et lavabo). *à l'étage, un immense grenier aménageable en 4 chambres et 2 salles de bain. 2 garages pour 2 voitures, terrasse (en gravier) ensoleillée plein sud-ouest et jardin arboré avec un abri de jardin et une petite serre. Double vitrage partout, compteur électrique bihoraire, 21 panneaux photovoltaïques, boiler alimenté par des panneaux thermiques, chauffage central au mazout et une citerne d'eau de pluie. PEB : catégorie C : 220kWh/m²/an Superficie cadastrale : 60 ares 40 centiares. Bien libre à l'acte. Visites sur rendez-vous avec l'étude, par téléphone uniquement, au 069/86.65.04. Le prix mentionné est un prix seulement indicatif, il n'est pas définitif ni contractuel et il n'emporte aucune pollicitation dans le chef des vendeurs. Les biens mis en vente par l'étude peuvent être visionnés via le lien suivant : https://www.notaireloix.be. Le certificat PEB, le plan cadastral et le plan de secteur figurent en annexes sur le site https://www.notaireloix.be et sur le site www.notaire.be.
  • Aantal kamers: 4
  • Kadastraal inkomen: 1038 €
  • Vrij vanaf: Bij de akte
  • Tanguy LOIX Notaire
  • Contactpersoon: Manoé LERAT
  • Tel: (069) 86.65.04
  • Email: manoe.lerat.130328@belnot.be
  • Bezoekgegevens
  • Visites sur rendez-vous avec l'étude, par téléphone uniquement, au 069/86.65.04.

Huizen

45 Rue du Marais, 7110 Houdeng-Aimeries

Doe een bod van
90.000 €

Presentatiebeeld van het pand n° 286657
Uit de hand
  • Referentie: 286657
  • Bonne maison de rangée sur et avec 1a 20ca – RC : 426 € avec caves, cour et grenier aménageable - Comprenant : Hall, vaste séjour, salle à manger, cuisine, salle de bains, wc – Etage : 2 chambres - chauffage convecteur gaz
  • Aantal kamers: 2
  • Aantal badkamers: 1
  • Kadastraal inkomen: 426 €
  • Vrij vanaf: Bij de akte
  • NOTAIRES Frédéric et Antoine DEBOUCHE
  • Contactpersoon: Frédéric DEBOUCHE
  • Tel: (064) 66.20.39
  • Email: frederic.debouche@belnot.be
  • Bezoekgegevens
  • Clef en l'étude sur rdv

Huizen

53 Terbruggen, 4851 Plombières

Doe een bod van
140.000 €

Presentatiebeeld van het pand n° 291431
Online openbare verkoop
  • Referentie: 291431
  • Ancienne ferme comportant étables et dépendances, implantée sur plus de 6.700 mètres carrés de terrain. Rare opportunité. Située dans une ruelle calme, cette propriété vous offre un cadre exceptionnel, une vue imprenable et de nombreuses possibilités d'aménagement. Le bien est à rénover entièrement. L'attention des amateurs est attirée sur le fait que: - le bien est resté inhabité pendant plusieurs années et qu'aucune garantie n'est donnée quant à son état. - la vente est soumise au non-exercice du droit de préemption - voir page 6 des conditions de vente Electricité non conforme. PEB G. Nous vous invitons vivement à consulter les conditions de vente annexées à l’annonce sur le site Biddit.be ou Notaire.be, celui-ci reprend les éléments essentiels de cette vente.
  • Aantal kamers: 3
  • Oppervlakte van het woongedeelte: 167m2
  • Lopende verkoop
  • Startdatum: 23/03/2026 14:00
  • Einddatum: 31/03/2026 14:00
  • Geen bod: 1000 €
  • Kadastraal inkomen: 650 €
  • Vrij vanaf: Bij de akte
  • Marie-Noëlle XHAFLAIRE, Charlotte LOUSBERG & Géraldine FRANCK, notaire
  • Contactpersoon: Nadja PINCKAERS
  • Tel: (087) 78.86.80
  • Email: nadja.pinckaers.131219@belnot.be
  • Bezoekgegevens
  • Prendre contact avec l'étude

Huizen

10 Rue de l'Abbaye, 7382 Audregnies

Doe een bod van
470.000 €

Presentatiebeeld van het pand n° 291682
Uit de hand
  • Referentie: 291682
  • Immeuble d’habitation avec une partie Professionnelle Partie Professionnelle : Sous-sol : / Rez-de-chaussée : sas d’entrée servant de salle d’attente, un cabinet médical, un bureau, une partie sanitaire, un garage. Partie Privée : Sous-sol : cave Rez-de-chaussée : hall d’entrée, vaste séjour, cuisine, vaste garage séparé de l’habitation avec possibilité d’aménagement en hauteur. 1er Etage : hall de nuit avec placards intégrés, six chambres, salle de douche, salle de bains avec douche et double vasque. 2e étage : grenier aménageable accessible par un escalier escamotable. Equipements et Extérieurs : Châssis en bois double vitrage ; Détecteurs incendie ; Fosse septique ; Chauffage central au mazout ; Cuve de + de 3.0000 litres enterrée ; Feu au bois fonctionnel ; Citerne ; Compteur bihoraire ; Vaste jardin.
  • Aantal kamers: 6
  • Oppervlakte van het woongedeelte: 309m2
  • Kadastraal inkomen: 1420 €
  • Vrij vanaf: Te bepalen
  • Stéphanie BILLER Notaire
  • Contactpersoon: Angélique MARLIERE
  • Tel: (065) 36.13.35
  • Email: angelique.marliere.107334@belnot.be
  • Bezoekgegevens
  • prendre contact au 065/36.13.35 option 1

Huizen

65 Rue de Marchienne (JT), 6040 Jumet

Doe een bod van
65.000 €

Presentatiebeeld van het pand n° 291714
Online openbare verkoop
  • Referentie: 291714
  • Jolie maison d'habitation avec terrasse, jardin, passage latéral et petit entrepôt Composition : - Au rez-de-chaussée : hall d'entrée, salon en façade, salle à manger en pièce centrale, cuisine semi-équipée (four, plaque vitro, armoires, évier), terrasse semi-couverte accessible depuis la cuisine, WC extérieur, jardin et petit entrepôt accessible par le passage latéral ; - 1er Etage : hall de nuit, une chambre à l'avant avec un accès vers le grenier, une chambre à l'arrière avec salle de bains concomitante (baignoire, lavabo, WC) ; - 2ème étage : grenier aménagé en chambre ; - Sous-sol : caves ; Particularités: chauffage central mazout (cuve de 2000 litres) et chaudière d'époque (production de l'eau chaude de la cuisine et de la salle de bains), poêle à pellets avec tubage de cheminée extérieure (buse) (le poêle et la buse extérieure ne font pas partie de la vente), châssis PVC double vitrage, électricité non conforme, toiture récente, compteur simple, parquet à l'étage, volet partout sauf à la porte
  • Aantal kamers: 3
  • Aantal badkamers: 1
  • Lopende verkoop
  • Startdatum: 02/02/2026 14:00
  • Einddatum: 10/02/2026 14:00
  • Geen bod: 1000 €
  • Kadastraal inkomen: 594 €
  • Vrij op: 01/03/2026
  • NOTAIRES GROSFILS
  • Contactpersoon: Claire GROSFILS
  • Tel: (071) 32.50.23
  • Email: claire.grosfils@belnot.be
  • Bezoekgegevens
  • Pour visiter l'immeuble, merci de contacter le propriétaire au 0472.573.350

Huizen

19 Rue Victor Cretteur, 7600 Péruwelz

Doe een bod van
20.000 €

Presentatiebeeld van het pand n° 291720
Online openbare verkoop
  • Referentie: 291720
  • Maison mitoyenne à rénover complètement, composée de pièce en enfilade donnant sur une remise et d'une chambre à l'étage. Il n'y a pas de chauffage central, de cuisine, de pièce d'eau ni de wc. Le jardin n'est pas accessible
  • Aantal kamers: 1
  • Lopende verkoop
  • Startdatum: 12/02/2026 11:00
  • Einddatum: 20/02/2026 11:00
  • Geen bod: 1000 €
  • Kadastraal inkomen: 168 €
  • Vrij vanaf: Bij de akte
  • Charlotte DE VOS, Notaire
  • Contactpersoon: Elisa DEFRANCOIS
  • Tel: (069) 66.20.33
  • Email: elisa.defrancois.358255@belnot.be
  • Bezoekgegevens
  • Sur rendez-vous avec l'étude

Huizen

261 Rue La Forestière, 5660 Brûly-de-Pesche

Doe een bod van
150.000 €

Presentatiebeeld van het pand n° 291699
Uit de hand
  • Referentie: 291699
  • Charmant châlet avec étang situé dans un petit coin de paradis. Comprenant garage, véranda et abris de jardin. Se composant comme suit : vide ventilé, séjour, cuisine, salle de douche avec WC, 2 chambres, dressing, buanderie. Combles non aménageables. Chaudière à pellets (ne fonctionnant plus). Châssis bois. Bien situé en zone de loisirs. Superficie : 28ares 33centiares Revenu cadastral : 401,00 euros ATTENTION : le garage ainsi que la véranda ont été construits sans autorisation préalable.
  • Aantal kamers: 2
  • Kadastraal inkomen: 401 €
  • Vrij vanaf: Bij de akte
  • Mélissa CHABOT Notaire
  • Contactpersoon: Celine BRY
  • Tel: (060) 34.40.19
  • Email: melissa.chabot@belnot.be
  • Bezoekgegevens
  • Visites sur rendez-vous à prendre au 0493/63.47.10 OU 060/31.11.57 (privé)

Huizen

6 Oude Brugsepoort, 9800 Deinze

Doe een bod van
350.000 €

Presentatiebeeld van het pand n° 291469
Online openbare verkoop
  • Referentie: 291469
  • Zeer ruime woning met investeringspotentieel en 11 garages in het centrum van Deinze. Deze uitzonderlijk ruime woning is centraal gelegen in Deinze, op wandelafstand van de Markt, winkels, horeca en openbaar vervoer. Dankzij de topligging en de indeling biedt dit pand uitstekende opportuniteiten voor zowel eigen bewoning als investering. De woning beschikt over 5 volwaardige slaapkamers, 3 badkamers, 3 toiletten, een kelder en een zolder, wat zorgt voor een zeer ruime en functionele leefomgeving. Een bijkomende grote troef zijn de 11 garages, die afzonderlijk kunnen worden verhuurd en zo zorgen voor een extra en stabiel rendement. Troeven op een rij: - Centrale ligging in het hart van Deinze; - Op wandelafstand van de Markt; - Zeer ruime woning met veel kamers 5 slaapkamers, 3 badkamers, 3 toiletten; - Kelder en zolder aanwezig; - 11 garages met verhuurpotentieel; - Interessant als opbrengst- en/of investeringspand; - Een uniek pand met tal van mogelijkheden op een absolute toplocatie. G score: A P score: A
  • Aantal kamers: 5
  • Aantal badkamers: 3
  • Lopende verkoop
  • Startdatum: 18/02/2026 13:00
  • Einddatum: 26/02/2026 13:00
  • Geen bod: 1000 €
  • Kadastraal inkomen: 483 €
  • Vrij vanaf: Bij de akte
  • VAN MOFFAERT & TYTGAT, geassocieerde notarissen
  • Contactpersoon: Amélie VAN BRABANDT
  • Tel: (09) 282.76.13
  • Email: info@notarislatem.be
  • Bezoekgegevens
  • De woensdagen 28 januari, 4 februari, 11 februari, en 18 februari 2026, van 14u-16u. De zaterdagen 31 januari, 7 februari, 14 februari, en 21 februari 2026, van 10u-12u

Huizen

75 Rue Colompré, 4020 Liège

Doe een bod van
165.000 €

Presentatiebeeld van het pand n° 291567
Uit de hand
  • Referentie: 291567
  • Cette charmante maison mitoyenne d'une superficie cadastrale de 133m² offre de beaux volumes et un fort potentiel après rénovation. Ce bien se compose comme suit : - Un bel espace de vie : salon, salle à manger, cuisine semi-équipée - Quatre chambres - Salle de douche - Caves - Un jardin. Revenu cadastral : 458€ Cette maison de situe dans un quartier populaire et résidentiel, proche des transports en commun et du centre ville. Ce bien est équipé du chauffage central au gaz et de double vitrage. Bien idéal pour un projet de rénovation, pour une famille ou pour un investisseur
  • Aantal kamers: 4
  • Kadastraal inkomen: 458 €
  • Vrij vanaf: Bij de akte
  • MOTTARD, HUGE & LECLERCQ, Société Notariale
  • Contactpersoon: Lena PIERI
  • Tel: (04) 232.19.27
  • Email: lena.pieri.217351@belnot.be
  • Bezoekgegevens
  • Sur rendez-vous pris en l'étude

Huizen

46 Deerlijksestraat, 8530 Harelbeke

Doe een bod van
72.000 €

Presentatiebeeld van het pand n° 291725
Online openbare verkoop
  • Referentie: 291725
  • Een te renoveren eengezinswoning dichtbij het centrum. De woning beschikt over een tuin, zolderruimte, garage en af te werken aanbouw. Wg. P-score A & G-score: A en ONBEKEND. Renovatieplicht van toepassing. G score: A P score: A
  • Aantal kamers: 3
  • Aantal badkamers: 1
  • Lopende verkoop
  • Startdatum: 18/02/2026 14:00
  • Einddatum: 26/02/2026 14:00
  • Geen bod: 1000 €
  • Kadastraal inkomen: 488 €
  • Vrij vanaf: Bij de akte
  • GEASSOCIEERDE NOTARISSEN DEERLIJK
  • Contactpersoon: Kantoor Notarissen Deerlijk
  • Tel: (056) 73.87.11
  • Email: info@notarissen-deerlijk.be
  • Bezoekgegevens
  • Het goed zal door de kandidaat-kopers kunnen bezocht worden na voorafgaande afspraak met het kantoor 'Geassocieerde Notarissen Deerlijk', via 056/73.87.11 of info@notarissen-deerlijk.be

Appartementen

183 A. Ruzettelaan, 8370 Blankenberge

Doe een bod van
105.000 €

Presentatiebeeld van het pand n° 291726
Online openbare verkoop
  • Referentie: 291726
  • Studio 4/E/2 op V2 in blok IV in res. Neptunus: inkom met hall, living met slaaphoek en terras, keuken, badkamer, toilet en bergkast 4/E/2 op het gelijkvloers. Vrij mits betaling van koopsom en kosten. EPC 142kWh/m². G score: A P score: A
  • Aantal badkamers: 1
  • Lopende verkoop
  • Startdatum: 15/02/2026 11:00
  • Einddatum: 23/02/2026 11:00
  • Geen bod: 1000 €
  • Kadastraal inkomen: 582 €
  • Vrij vanaf: Bij de akte
  • SABBE, Jean-Louis
  • Contactpersoon: Kantoor Not. Jean-Louis Sabbe
  • Tel: (050) 42.82.72
  • Email: info@notarissabbe.com
  • Bezoekgegevens
  • Sleutels af te halen op het notariaat, mits reservering

Appartementen

41 Parklaan, 9150 Bazel

Doe een bod van
255.000 €

Presentatiebeeld van het pand n° 291587
Uit de hand
  • Referentie: 291587
  • Appartement met garage en tuin, gelegen in een rustige woonwijk te Bazel. Via de inkomhal bereikt u de eerste verdieping waar het appartement zich bevindt. De woonruimte bestaat uit een aangename living met aansluitende keuken. Verder zijn er twee slaapkamers, waarvan één directe toegang biedt tot de tuin. Daarnaast beschikt het appartement over een badkamer, uitgerust met een lavabomeubel en een douche. Op het gelijkvloers bevindt zich een garage met oprit, evenals een bijkeuken/aanpalende berging die extra opslagmogelijkheden biedt. Het appartement is momenteel verhuurd. G score: A P score: A
  • Aantal kamers: 2
  • Oppervlakte van het woongedeelte: 85m2
  • Aantal badkamers: 1
  • Kadastraal inkomen: 659 €
  • Vrij vanaf: Te bepalen
  • AMPE & DE VUSSER GEASSOCIEERDE NOTARISSEN
  • Contactpersoon: Gitte DIERICK
  • Tel: (03) 774.10.37
  • Email: gitte.dierick@a-dv.be

Huizen

5 Clos Charles Jarvis, 7030 Saint-Symphorien

Doe een bod van
300.000 €

Presentatiebeeld van het pand n° 291642
Online openbare verkoop
  • Referentie: 291642
  • Saint-Symphorien – Maison 300 m² dans clos résidentiel Située dans un clos résidentiel calme et recherché, cette spacieuse maison familiale d’environ 300 m² offre de très beaux volumes et un excellent confort de vie. Elle se compose au rez-de-chaussée d’un hall d’entrée, WC séparé, bureau, d’un vaste espace salon – salle à manger – cuisine, ainsi que d’un garage une voiture. Le premier étage comprend 4 chambres, une grande salle de bain avec baignoire et douche à l’italienne, ainsi qu’une salle de douche entre deux chambres. Le deuxième étage offre un grand volume aménagé en chambre et salle de jeux, idéal pour une suite parentale, un espace loisirs ou un bureau. Équipements : châssis PVC (bois au 2? étage), citerne d’eau de pluie 10.000 L, gaz de ville, panneaux photovoltaïques. Maison idéale pour une famille à la recherche d’espace, de confort et de tranquillité.
  • Aantal kamers: 4
  • Lopende verkoop
  • Startdatum: 19/02/2026 09:00
  • Einddatum: 27/02/2026 09:00
  • Geen bod: 1000 €
  • Kadastraal inkomen: 1459 €
  • Vrij vanaf: Te bepalen
  • Antoine HAMAIDE et Elise CORNEZ, Notaires associés
  • Contactpersoon: Louise MERLIN
  • Tel: (065) 35.13.64
  • Email: louise.merlin.131532@belnot.be

Huizen

8 Westkade, 9060 Zelzate

Doe een bod van
250.000 €

Presentatiebeeld van het pand n° 291722
Online openbare verkoop
  • Referentie: 291722
  • Centraal gelegen ruime woning, met mooi perceel grond thans gebruikt als grote, groene tuin. Grond heeft vele bouw- en projectmogelijkheden (verkavelbaar). Ruime living en keuken, 5 slaapkamers, badkamer, externe garage, zowel toegankelijk via Westkade als via Stationsstraat. Mogelijkheid om gebouw om te vormen in energiezuinige woning. Openbaar vervoer en vele winkels,… in directe omgeving. Zeer veel potentieel!! G score: C P score: C
  • Aantal kamers: 5
  • Oppervlakte van het woongedeelte: 154m2
  • Aantal badkamers: 1
  • Lopende verkoop
  • Startdatum: 12/02/2026 15:00
  • Einddatum: 20/02/2026 15:00
  • Geen bod: 1000 €
  • Kadastraal inkomen: 733 €
  • Vrij vanaf: Bij de akte
  • BUYSSE & DE ROO, GEASSOCIEERDE NOTARISSEN
  • Contactpersoon: Tom DE ROO
  • Tel: (09) 337.80.80
  • Email: tom.deroo@belnot.be
  • Bezoekgegevens
  • elke woensdag van 16u-18u vanaf woensdag 21 januari 2026 t.e.m. woensdag 18 februari 2026.

Huizen

7 Rue de l'Etang, 6010 Couillet

Doe een bod van
135.000 €

Presentatiebeeld van het pand n° 291712
Uit de hand
  • Referentie: 291712
  • Maison 2 façades avec véranda et jardin, cadastrée suivant extrait de matrice cadastrale récent section B, numéro 0123G3P0000, pour 2 a 25 ca. - Rc non indexé : 461,00 € - Libre d’occupation - Au rez-de-chaussée : hall d’entrée avec escalier, séjour avec poêle et cheminée (salon – SAM), cuisine semi-équipée, sdb avec baignoire, évier et wc – chauffe-eau récent - Au 1er étage; 2 chambres - Au 2ème étage; 1 chambre, grenier (combles – espaces rangements) - Gaz de ville – Châssis DV bois – volets à l’arrière - Cave, véranda, terrasse et jardin - Rens en l’Etude
  • Aantal kamers: 3
  • Aantal badkamers: 1
  • Kadastraal inkomen: 461 €
  • Vrij vanaf: Bij de akte
  • Géraldine Collard, société notariale
  • Contactpersoon: Anne-Sylvie FREROTTE
  • Tel: (071) 68.80.72
  • Email: annesylvie.frerotte.124719@belnot.be
  • Bezoekgegevens
  • Visites sur RDV - s'adresser à l'Etude

Appartementen

1 Rue des Croix du Feu, 7100 La Louvière

Doe een bod van
140.000 €

Presentatiebeeld van het pand n° 291541
Uit de hand
  • Referentie: 291541
  • Prix : Faire offre à partir de 140.000€ Situé au quatrième étage de la Résidence «?Le Stade?» à La Louvière, cet appartement offre un cadre de vie pratique et recherché, à proximité immédiate de la gare, des arrêts de bus, du centre-ville, des écoles et des commerces. Le bien bénéficie d’une vue ouverte et d’un accès direct à toutes les commodités, idéal pour un usage personnel ou un investissement. L’appartement se compose d’un hall d’entrée avec placards, d’une cuisine équipée, d’un séjour lumineux, de deux chambres, d’une salle de douche, d’un WC séparé ainsi que de deux balcons, à l’avant et à l’arrière. Une cave privative complète l’ensemble. Le bien est en bon état général, avec un PEB C, du double vitrage PVC et des volets électriques à l’arrière. Un appartement fonctionnel, bien situé et offrant un excellent potentiel dans un quartier dynamique. Pour en savoir plus sur ce bien, visitez www.notairedemolin.net : vous y trouverez tous les documents utiles. Pour plus d'informations ou pour organiser une visite, contactez l'Etude du Notaire Demolin au 064/54.10.30.
  • Aantal kamers: 2
  • Oppervlakte van het woongedeelte: 75m2
  • Kadastraal inkomen: 1095 €
  • Vrij vanaf: Te bepalen
  • NICOLAS DEMOLIN, NOTAIRE
  • Contactpersoon: Samir LAICHE
  • Tel: (064) 54.10.30
  • Email: samir.laiche.109462@belnot.be
  • Bezoekgegevens
  • Le bien vendu pourra être visité par les candidats-acquéreurs sur rendez-vous en contactant le secrétariat de l'étude du Notaire Nicolas Demolin au 064/54.10.30.

Huizen

12 Rue Stassin, 6000 Charleroi

Doe een bod van
59.000 €

Presentatiebeeld van het pand n° 291760
Uit de hand
  • Referentie: 291760
  • Maison d'habitation située dans une ruelle calme, à proximité des axes routiers, école, commerces et transports en commun; idéale pour jeune couple ou investisseur. Rez-de-chaussée: hall d'entrée (7,26m²), compteur électrique mono-horaire, salon (17,51m²) carrelé, radiateur, coin pour cuisine (3,8m²) avec évier, WC. Châssis en PVC double vitrage - volets électriques au rez-de-chaussée. 1er étage: deux chambres (12,2m² et 7,48m²), plancher en bois, radiateur, salle de douche (2m²) avec toilette - simple évier - douche carrelée. Chaudière à condensation au gaz de marque BULEX installée en 2023 et peu utilisée. 2e étage: grenier (27m²) mansardé, petit velux, plancher au sol (possibilité de l'aménager en 3e chambre). Sous-sols: pas accessible car escalier endommagé. Surface habitable: +/-67m² -- PEB F -- Electricité non conforme -- RC non indexé: 223,00€. FAIRE OFFRE A PARTIR DE 59.000,00 EUR INFORMATIONS PAR L'ETUDE : 071/43.39.15.
  • Aantal kamers: 2
  • Kadastraal inkomen: 223 €
  • Vrij vanaf: Onmiddellijk
  • Sophie LEFEVRE
  • Contactpersoon: Ezgi DAMAR
  • Tel: (071) 36.16.70
  • Email: ezgi.damar.126474@belnot.be

Appartementen

55 Oude Vest, 9200 Dendermonde

Doe een bod van
295.000 €

Presentatiebeeld van het pand n° 291082
Uit de hand
  • Referentie: 291082
  • het appartement bevat: hall, WC, badkamer, berging, keuken, leefruimte, een slaapkamer en een terras G score: D P score: D
  • Aantal kamers: 1
  • Kadastraal inkomen: 771 €
  • Vrij vanaf: Bij de akte
  • Notaris Christiane Denys Dendermonde
  • Contactpersoon: Els BUGGENHOUT
  • Tel: (052) 22.00.00
  • Email: els.buggenhout.112045@belnot.be

Huizen

8 Rue de la Xhavée, 4020 Wandre

Doe een bod van
115.000 €

Presentatiebeeld van het pand n° 253658
Uit de hand
  • Referentie: 253658
  • Rez-de-chaussée : Hall d'entrée : Spacieux et lumineux, avec un sol carrelé accueillant. Salle à manger : Un espace convivial avec une grande table en bois et des chaises confortables. Salon : Équipé d'un poêle à bois pour une atmosphère chaleureuse, avec de grandes fenêtres offrant une vue sur le jardin. Cuisine Accès aux grandes caves : Offrant un espace de stockage supplémentaire ou la possibilité d'aménager une salle de jeux. WC indépendant : Pour plus de commodité. Extérieur : Jardin à l'arrière de la propriété : Spacieux et privé, idéal pour les activités en plein air. Premier étage : Hall de nuit reliant les chambres et la salle de bain. 3 grandes chambres : Offrant à chaque membre de la famille son propre espace privé. Salle de bain : équipée d'une nouvelle douche moderne, d'un lavabo et d'espaces de rangement. Équipements : Chauffage au gaz de ville : Assurant une chaleur confortable et économique. Châssis en bois et PVC double vitrage : Offrant une isolation thermique efficace et préservant le charme esthétique de la maison. Volets manuels : Pour réguler la luminosité et assurer l'intimité. Raccordement à l'égout : Pour un système d'assainissement moderne et pratique. Compteur électrique bihoraire : Permettant de bénéficier d'un tarif avantageux pendant les heures creuses. Remarques : Nécessite un petit rafraîchissement : Quelques travaux de rénovation pourraient être envisagés pour moderniser certaines parties de la maison. Électricité non conforme : La conformité de l'installation électrique doit être vérifiée et peut nécessiter des ajustements pour répondre aux normes actuelles de sécurité. PEB D (Performance Énergétique des Bâtiments) : Une évaluation du PEB est recommandée pour évaluer l'efficacité énergétique de la maison et identifier les éventuelles améliorations à apporter pour réduire la consommation d'énergie.
  • Aantal kamers: 3
  • Aantal badkamers: 1
  • Kadastraal inkomen: 557 €
  • Vrij vanaf: Bij de akte
  • Etude SCAVEE, MAGHE ET LENELLE
  • Contactpersoon: Laura HANEUSE
  • Tel: 04/362.85.77
  • Email: laura.haneuse.352939@belnot.be
  • Bezoekgegevens
  • Visites sur RDV avec l'étude de Maître MOTTARD au 04/362.85.77 - info@notairemottard.be

Gronden

18 Asterlaan, 2620 Hemiksem

Doe een bod van
325.000 €

Presentatiebeeld van het pand n° 291757
Uit de hand
  • Referentie: 291757
  • Perceel bouwgrond voor half open bebouwing gelegen in groene omgeving, 725m², geen bouwverplichting, het naastliggend perceel blijft groengebied. Toegelaten bouwbreedte 8m; bouwdiepte van 9 tot 17m gelijkvloers; tot 13m eerste verdieping. Dakverdieping onder schuin dak met dakbasis op 9,00 m. Links van de woning is een zone voor een aanpalende carport/garage voorzien. Deze zone ligt 5 m achter de bouwlijn van de woning . P score: A Het bushokje voor het perceel kan worden verplaatst. P score: A
  • Vrij vanaf: Bij de akte
  • Notariskantoor VAN LAERE & HENNISSEN, geassocieerde notarissen
  • Contactpersoon: Kristel VAN GAEL
  • Tel: (03) 259.20.00
  • Email: kristel.vangael.104679@belnot.be

Gronden

Les Courtilles, 6750 Musson

Doe een bod van
100.000 €

Presentatiebeeld van het pand n° 291453
Uit de hand
  • Referentie: 291453
  • À vendre, ensemble de cinq parcelles de terrain situées au lieu-dit “Les Courtilles” à Baranzy, pour une contenance totale de 15 049 m² (soit 150 ares 49 centiares). Selon les renseignements urbanistiques, le bien bénéficie : - d’un équipement d’épuration des eaux usées, - d’un accès à une voirie équipée en eau et électricité, - d’une voirie pourvue d’un revêtement solide. Détail des parcelles : - Parcelle 0995BP0000 : 1 470 m² - Parcelle 0995AP0000 : 1 470 m² - Parcelle 0996P0000 : 770 m² - Parcelle 0992YP0000 : 6 238 m² - Parcelle 0992ZP0000 : 5 101 m² Prix souhaité pour l’ensemble : 100 000,00 EUR
  • Vrij vanaf: Bij de akte
  • Aurore FOURNIRET société notariale
  • Contactpersoon: Thiebaud DELMELLE
  • Tel: (063) 57.70.62
  • Email: thiebaud.delmelle.128090@belnot.be

Huizen

54 Rue du Calvaire, 7300 Boussu

Doe een bod van
80.000 €

Presentatiebeeld van het pand n° 291763
Uit de hand
  • Referentie: 291763
  • Maison d’habitation avec 2 façades comprenant: RDC: une salle à manger, un salon, une deuxième salle à manger, une cuisine, une salle de bains ( WC, lavabo, douche) , une annexe avec accès à la salle de bain. ETG: 2 chambres. Combles : petit grenier (accessible avec une échelle). Chauffage : poêle au gaz Châssis double vitrage en bois + volets manuels à l’avant, châssis simple vitrage sur le côté. Grenier non aménageable Une cour, pas de jardin PEB : G Superficie : 80 ca RC : 282 € Faire offre à partir de 80.000 euros
  • Aantal kamers: 2
  • Kadastraal inkomen: 282 €
  • Vrij vanaf: Bij de akte
  • NOTALIBREX, société notariale
  • Contactpersoon: Pierre GLINEUR
  • Tel: (065) 64.13.98
  • Email: pierre.glineur@belnot.be
  • Bezoekgegevens
  • S'adresser en l'étude de Baudour au 065/641398

Huizen

28 Rue de la Fabrique, 5190 Moustier-sur-Sambre

Doe een bod van
185.000 €

Presentatiebeeld van het pand n° 291539
Uit de hand
  • Referentie: 291539
  • Belle maison deux façades située dans un quartier calme. Quelques travaux de finition restent à prévoir, offrant un beau potentiel de personnalisation. Au rez-de-chaussée, la maison se compose de quatre pièces : un living, une salle à manger, une cuisine ainsi qu’une salle de bain. Des caves sont présentes sous une partie de l’habitation. À l’étage, vous trouverez deux chambres de belles dimensions. Le deuxième étage accueille un grenier aménageable, idéal pour créer une chambre supplémentaire, un bureau ou un espace loisirs. La maison est équipée de châssis double vitrage bois en façade avant et double vitrage pvc en façade arrière. Le tout est implanté sur un terrain de 8 ares 66 centiares. Un garage situé à l’arrière du bâtiment complète l’ensemble et bénéficie d’un accès facile via la rue perpendiculaire.
  • Aantal kamers: 2
  • Oppervlakte van het woongedeelte: 104m2
  • Aantal badkamers: 1
  • Kadastraal inkomen: 381 €
  • Vrij vanaf: Bij de akte
  • LP & Co, Notaires associés
  • Contactpersoon: Eric JOISSAINS
  • Tel: (071) 77.19.74
  • Email: eric.joissains.460066@belnot.be

Huizen

23 Hoedstraat, 1070 Anderlecht

Doe een bod van
240.000 €

Presentatiebeeld van het pand n° 290694
Online openbare verkoop
  • Referentie: 290694
  • 2-gevelwoning met garage Gelegen Hoedstraat 23. N.g.k.i. 1.438€. Ondergr. verd. vrij van gebruik, gelijkvloers bewoond door een eigenaar, vrij bij akte, 1e verd. verhuurd (volgens ontvangen info 820€/m), 2e verd. verhuurd (volgens ontvangen info 800€/m) en 3e verd. verhuurd (volgens ontvangen info 600€/m, mondelinge huur). Volgens stedenb.: ééngezinswoning. Er zijn verdenkingen van stedenbouwkundige inbreuken op het goed: “Constructie van volumes in de de tuinzone, wijziging van het esthetische uitzicht van de gevel door het plaatsen van een bewakingscamera en een afvoerbuis en uitbreiding van het aantal woningen van 1 naar 4”. Gemengd gebied, GCHEWS. EPC E- (1e en 2e verd.) en G (-1, 0 en 3e verd.). Contr. elektr. niet conform. Bezoeken : dinsdagen 13-20-27/1 van 17-19u en zaterdagen 17-24-31/1 van 10-12u. Begin biedingen : dinsdag 27.01.26 om 14u - Einde biedingen : woensdag 04.02.26 om 14u - Instelprijs : 240.000€ - Bodvehoging : 1.000€ - Ondertekening akte : donderdag 12.02.26 om 15u - www.biddit.be - Ref. pand : 290694.
  • Aantal kamers: 6
  • Aantal badkamers: 1
  • Lopende verkoop
  • Startdatum: 27/01/2026 14:00
  • Einddatum: 04/02/2026 14:00
  • Geen bod: 1000 €
  • Kadastraal inkomen: 1438 €
  • Vrij vanaf: Te bepalen
  • Van de Mosselaer Sabine
  • Contactpersoon: Alfred MANGAMBA KUKU
  • Tel: (02) 521.92.30
  • Email: not@notamos.be
  • Bezoekgegevens
  • dinsdagen 13-20-27/1 van 17-19u en zaterdagen 17-24-31/1 van 10-12u.

Huizen

89 Rue de la Paix, 7500 Tournai

Doe een bod van
100.000 €

Presentatiebeeld van het pand n° 291643
Uit de hand
  • Referentie: 291643
  • Maison avec jardin sur 1 are 75 centiares comprenant: - Au rez: couloir, salon - salle à manger, cuisine, salle-de-bain (baignoire, évier) - au 1er étage: 2 chambres; - au 2e étage: grenier aménageable Cave Jardin avec terrasse et cabanon Châssis double-vitrage bois et PVC Libre d'occupation
  • Aantal kamers: 2
  • Aantal badkamers: 1
  • Kadastraal inkomen: 344 €
  • Vrij vanaf: Bij de akte
  • SRL Charlotte DECOCK, Notaire
  • Contactpersoon: Yves DUQUENNE
  • Tel: (069) 22.35.35
  • Email: yves.duquenne.354610@belnot.be
  • Bezoekgegevens
  • Sur rendez-vous à prendre en l'étude au 069/22.35.35

Appartementen

11 Haasstraße, 4700 Eupen

Doe een bod van
170.000 €

Presentatiebeeld van het pand n° 291011
Uit de hand
  • Referentie: 291011
  • Zum Verkauf stehen vielseitig nutzbare Parterreräumlichkeiten (ehemals Büros), die als Appartementfläche angeboten wird. Der großzügige funktionale Grundriss bietet zahlreiche Möglichkeiten zur individuellen Raumaufteilung. Die Räumlichkeiten können mit geringem Aufwand ganz nach eigenen Vorstellungen und ggf. in überschaubarer Eigenleistung umgestaltet werden. Dazu kommen: ein vom Appartement aus direkt erreichbarer Keller zwecks Hobbyraum oder Lager und eine private Garage im gemeinsamer Innenhof. Es ist ein ideales Objekt für Käufer, die den Traum einer eigenen geräumigen Wohnung kostengünstig verwirklichen oder einen langfristigen Mehrwert aufbauen möchten.
  • Aantal kamers: 2
  • Oppervlakte van het woongedeelte: 105m2
  • Kadastraal inkomen: 2101 €
  • Vrij vanaf: Bij de akte
  • Jakubowski & Bocken, Notaires associés
  • Contactpersoon: Fleur NIESSEN
  • Tel: (087) 74.20.63
  • Email: fleur.niessen.133413@belnot.be

Gronden

49 Komiezenstraat, 9190 Stekene

Doe een bod van
80.000 €

Presentatiebeeld van het pand n° 291771
Online openbare verkoop
  • Referentie: 291771
  • perceel bouwgrond bestemd voor halfopen bebouwing 1/ De verkoop kan enkel gebeuren aan natuurlijke personen. Koper(s) mogen, op het ogenblik van de ondertekening van het proces-verbaal van toewijs, geen woning, noch bouwgrond in volle eigendom of volledig vruchtgebruik bezitten. 2/ De koper moet op de datum van het proces-verbaal van toewijs, vertrekkende van het laatste gekende aanslagbiljet voor de personenbelasting, een inkomen hebben gehad dat niet minder bedraagt dan (9.725 euro) en het gezamenlijk belastbaar inkomen mag niet meer zijn dan : a) (€ 49.263,00) voor alleenstaande zonder personen ten laste. b) (€ 54.181,00) voor alleenstaande met ernstige handicap zonder personen ten laste. c) (€ 73.886,00) voor alle andere gevallen. - per persoon ten laste zijn voornoemde bedragen te verhogen met (€ 4.919,00). Het bewijs hiervan dient geleverd te worden door een kopij van de laatste belastingbrief personenbelasting van de kandidaat-koper(s). De koper moet uiterlijk op het ogenblik van het verlijden van het proces-verbaal van toewijs in het bezit zijn van een attest van het gemeentebestuur van Stekene van minder dan twee maanden oud dat hij aan voormelde voorwaarden ex artikel 1 en 2 voldoet. Dit attest is af te halen bij de dienst patrimonium op het gemeentehuis van Stekene op basis van voorlegging van de twee voormelde bewijsstukken, te weten het attest van de notaris of de administratie van het kantoor Rechtszekerheid Dendermonde II én een kopij van de laatste belastingbrief personenbelasting. Bij gebrek aan attest van de gemeente Stekene, dient patrimonium, houdt de verzoeker zich het recht voor niet aan deze partij toe te wijzen. De kopers zullen gehouden zijn, binnen de drie jaar, te rekenen vanaf de datum van de ondertekening van het proces-verbaal van toewijs, op de verkochte grond te starten met de nieuwbouw. Binnen de vijf jaar zal op het verkochte perceel een geheel voltooid gebouw opgericht zijn, dat moet voldoen aan al de bepalingen van het lastenboek en van de verkavelingsvergunning. (zie alle concrete informatie in het lastenkohier) Bouwverplichting: De kopers zullen gehouden zijn, binnen de drie jaar, te rekenen vanaf de datum van de ondertekening van het proces-verbaal van toewijs, op de verkochte grond te starten met de nieuwbouw. Binnen de vijf jaar zal op het verkochte perceel een geheel voltooid gebouw opgericht zijn, dat moet voldoen aan al de bepalingen van dit lastenboek en van de verkavelingsvergunning P score: A
  • Lopende verkoop
  • Startdatum: 23/02/2026 10:00
  • Einddatum: 03/03/2026 10:00
  • Geen bod: 500 €
  • Kadastraal inkomen: 2 €
  • Vrij vanaf: Bij de akte
  • Akta, notarisvennootschap
  • Contactpersoon: Arthur VAN DER CRUYSSE
  • Tel: (03) 779.67.93
  • Email: arthur.vandercruysse.352314@belnot.be
  • Bezoekgegevens
  • Daar het goed een onbebouwd perceel betreft, kan het goed vrij bezichtigd/bezocht worden.

Kantoren

33 Boulevard Piercot, 4000 Liège

Doe een bod van
79.000 €

Presentatiebeeld van het pand n° 291498
Uit de hand
  • Referentie: 291498
  • Bureau pour profession libérale très bien situé au sein de la résidence "Parthenon" 5ème étage comprenant : Salle d'attente - WC (avec lave-mains), secrétariat - bureau avec balcon Caractéristiques : ·Chauffage électrique ; Châssis aluminium double-vitrage ; ·Parlophone ; ·Ascenseur ; ·Superficie: +/- 32 m²; ·insonorisation ·Installation électrique conforme. .Proximité tram .Possibilité achat garage pour 35.000,00€ Informations sur la copropriété : ·Appel de fonds de roulement de ± 307€/trimestre pour les communs et l'eau; ·Appel de fonds de réserve de ± 64€/trimestre.
  • Kadastraal inkomen: 795 €
  • Vrij vanaf: Onmiddellijk
  • Sophie MELON, Société Notariale
  • Contactpersoon: Sophie MELON
  • Tel: (04) 343.21.00
  • Email: sophie.melon@belnot.be
  • Bezoekgegevens
  • visites organisées sur rendez-vous avec l'Etude notariale Sophie MELON sophie.melon@belnot.be

Huizen

56 Heegstraat, 2480 Dessel

Doe een bod van
165.000 €

Presentatiebeeld van het pand n° 291604
Online openbare verkoop
  • Referentie: 291604
  • Gelegen vlakbij het centrum. Op een perceel van 11a 69ca. Indeling: - gelijkvloers: inkom, toilet, woonkamer, keuken, inpandige garage, kelder; - 1e verdieping: 3 slaapkamers, badkamer; - niet afgewerkte zolder. G score: A P score: A
  • Aantal kamers: 3
  • Aantal badkamers: 1
  • Lopende verkoop
  • Startdatum: 16/02/2026 14:00
  • Einddatum: 24/02/2026 14:00
  • Geen bod: 1000 €
  • Kadastraal inkomen: 788 €
  • Vrij vanaf: Bij de akte
  • Notaris Heidi Blervacq
  • Contactpersoon: Lieselotte BRECX
  • Tel: (014) 37.23.91
  • Email: lb@notaris-blervacq.be
  • Bezoekgegevens
  • elke zaterdag van 11u-12u vanaf 17 januari 2026 t.e.m. zaterdag 21 februari 2026.

Huizen

32A Rue de l'Abattoir, 6200 Châtelet

Doe een bod van
75.000 €

Presentatiebeeld van het pand n° 288948
Uit de hand
  • Referentie: 288948
  • Ce bien se compose au rez : hall d'entrée, grand living, 2 pièces; à l'entresol: salle de bains; à l'étage: beau palier, 3 chambres; grenier aménageable accessible par un escalier. Caves. Cour et jardinet. Chauffage central gaz (sans certitude de fonctionnement), châssis DV en alu et SV en bois. Raccordée à l'égout. Superficie : 1 a 20 ca - RC: 565 €.
  • Aantal kamers: 3
  • Aantal badkamers: 1
  • Kadastraal inkomen: 565 €
  • Vrij vanaf: Bij de akte
  • Sophie BELLOTTO, Notaire
  • Contactpersoon: Isabelle CARLIER
  • Tel: (071) 38.11.85
  • Email: isabelle.carlier.223258@belnot.be
  • Bezoekgegevens
  • Prendre les clefs sur RDV uniquement en téléphonant à l'étude au 071/38.11.85.

Huizen

8 Place de Béclers, 7532 Béclers

Doe een bod van
195.000 €

Presentatiebeeld van het pand n° 291362
Uit de hand
  • Referentie: 291362
  • Maison en bon état structurel, à restaurer, idéalement située sur la Place de Béclers. Le bien se compose comme suit : Au rez-de-chaussée, un hall d'entrée avec coin vestiaire, un salon et une salle à manger, une pièce intermédiaire donnant accès à la cave et au premier étage, une cuisine, une salle de bain (baignoire et évier) ainsi qu'un WC séparé, attenant à la salle de bain. Le premier étage comporte 4 belles chambres ainsi qu'une pièce de rangement. Cette dernière donne accès via une trappe et un escalier, au grenier du deuxième étage (beau volume permettant d'y aménager une ou plusieurs chambre(s) mansardée(s)). Le bien dispose d'un jardin et d'une terrasse récente à l'arrière de la maison ainsi que d'un passage latéral. Le bien comporte également un grand garage donnant accès par l'arrière à un premier petit atelier abritant notamment la chaudière au mazout. Une second petit atelier se trouve dans la prolongation du premier dans le jardin. Caractéristiques techniques -Le bien est équipé d'un système de chauffage central au mazout (chaudière située dans l'atelier à l'arrière du garage et citerne d'une capacité de plus de 3.000 litres). -Groupe hydrophore dans la cuisine ; -Le bien dispose d'une citerne à eau dont la trappe d'accès se situe sur la terrasse à l'arrière de la maison. -Système d'évacuation des eaux usées : "tout à l'égout". -Fosse septique avec trappe de visite sur la terrasse à l'arrière de la maison. -Double vitrage partout. -Toiture non isolée en tuiles (présence d'Eternit sur le toit de l'annexe).
  • Aantal kamers: 4
  • Aantal badkamers: 1
  • Kadastraal inkomen: 483 €
  • Vrij vanaf: Bij de akte
  • NOTARRY
  • Contactpersoon: Flore VERDONCKT
  • Tel: (069) 54.61.18
  • Email: flore.verdonckt.127027@belnot.be
  • Bezoekgegevens
  • Contacter l'étude notariale de Maître Hélène Ronlez

Huizen

1 Rue de la Vallée, 7387 Roisin

Doe een bod van
180.000 €

Presentatiebeeld van het pand n° 282968
Uit de hand
  • Referentie: 282968
  • Merci de prendre contact avec l'Etude par téléphone uniquement (il ne sera pas donné suite aux demandes par mail). Rez : vestiaire, W.C, salon avec feu à cassette, sàm, cuisine semi-équipée : évier, four, plaque de cuisson. Etage : une grande chambre, deux chambres moyennes, une salle de bain : évier, armoire, douche. Extérieur : jardin, terrasse, remise, abri de jardin. Raccord : chauffage central au mazout, citerne, eau, électricité, double vitrage, chauffe-eau électrique , PEB 20250507028912 cat : G Contenance : 40 ares 60 centiares. Revenue Cadastral : 266 €.
  • Aantal kamers: 3
  • Aantal badkamers: 1
  • Kadastraal inkomen: 266 €
  • Vrij vanaf: Bij de akte
  • Société Notariale Géry LEFEBVRE
  • Contactpersoon: Géry LEFEBVRE
  • Tel: (065) 45.71.68
  • Email: gery.lefebvre@belnot.be

Huizen

7 Tiensesteenweg, 3360 Korbeek-Lo

Doe een bod van
230.000 €

Presentatiebeeld van het pand n° 291657
Online openbare verkoop
  • Referentie: 291657
  • Deze verzorgde woning geniet van een uitstekende bereikbaarheid en onmiddellijke nabijheid van alle voorzieningen zoals supermarkten, winkels en een bushalte. Op het gelijkvloers beschikt de woning over een inkomhal, een aangename leefruimte met keuken, wasplaats, wc, werkruimte, een garage met douchekamer, overdekt terras en tuin. De eerste verdieping omvat twee volwaardige slaapkamers en een badkamer (lavabo, bad en wc). Op de tweede verdieping bevindt zich een derde kamer, die perfect kan dienen als slaapkamer, bureau of hobbyruimte. De woning is goed onderhouden en biedt tal van mogelijkheden voor wie comfortabel wil wonen op een centrale locatie met vlotte verbindingen. Ideaal voor gezinnen, zelfstandigen of investeerders die op zoek zijn naar een woning met potentieel en een sterke ligging. G score: A P score: A
  • Aantal kamers: 3
  • Oppervlakte van het woongedeelte: 180m2
  • Aantal badkamers: 1
  • Lopende verkoop
  • Startdatum: 18/02/2026 14:00
  • Einddatum: 26/02/2026 14:00
  • Geen bod: 1000 €
  • Kadastraal inkomen: 832 €
  • Vrij vanaf: Onmiddellijk
  • Stéphane Van den Bossche & Laurent de Vuyst, Geassocieerde Notarissen
  • Contactpersoon: Kantoor Not. Van den Bossche & de Vuyst
  • Tel: (016) 22.33.44
  • Email: info@1783.be
  • Bezoekgegevens
  • Zonder afspraak elke woensdag van 15u-17u en elke zaterdag van 10u-12u vanaf woensdag 04/02 tem woensdag 25/02

Huizen

5 Au Monsay, 6800 Libramont-Chevigny

Doe een bod van
140.000 €

Presentatiebeeld van het pand n° 291513
Online openbare verkoop
  • Referentie: 291513
  • Située dans le village paisible de Sberchamps, tout en étant à proximité de Libramont-Chevigny et de l’ensemble des commodités, cette maison offre de beaux volumes et un cadre de vie agréable, idéal pour une famille ou un projet d’aménagement selon vos envies. La composition du bien est la suivante : Au rez-de-chaussée : un hall d’entrée desservant un salon, une cuisine, un bureau, deux chambres à coucher, une salle de bain ainsi qu’un WC séparé. À l’étage : Deux chambres supplémentaires et un grand grenier. Au sous-sol : Un garage et des caves sous l’ensemble du bâtiment, apportant de nombreux espaces de rangement. À l’extérieur : un jardin agréable bénéficiant d’une magnifique vue dégagée, parfait pour profiter du calme environnant. Le bien est en très bon état général d’entretien, bien que des travaux de rafraîchissement soient à prévoir afin de le remettre au goût du jour. Caractéristiques techniques : Chauffage central (chaudière installée en 2017) et poêle à bois PEB : G Une opportunité intéressante pour les amateurs de calme, d’espace et de potentiel, dans un environnement verdoyant tout en restant proche des facilités.
  • Aantal kamers: 4
  • Aantal badkamers: 1
  • Lopende verkoop
  • Startdatum: 04/02/2026 13:00
  • Einddatum: 12/02/2026 13:00
  • Geen bod: 1000 €
  • Kadastraal inkomen: 1060 €
  • Vrij vanaf: Bij de akte
  • Augustin FOSSÉPREZ - société notariale
  • Contactpersoon: Lily TROQUET
  • Tel: (061) 22.55.50
  • Email: lily.troquet.125674@belnot.be
  • Bezoekgegevens
  • Le bien pourra être visité par les candidats-acquéreurs, par rendez-vous préalable, en prenant contact avec Ad Valoris au 082/77.18.77 avec Monsieur FRANCK, (tapez 1).

Appartementen

420 Nieuwe Wereldstraat, 7700 Moeskroen

Doe een bod van
225.000 €

Presentatiebeeld van het pand n° 291661
Online openbare verkoop
  • Referentie: 291661
  • PRENDRE CONTACT AVEC L'ETUDE NOTARIALE AVANT LE DEPOT DE TOUTE ENCHERE. Loft de haut standing aménagé dans une ancienne usine réaffectée, comprenant : - au rez-de-chaussée : hall d'entrée desservant une vaste pièce de vie lumineuse avec cuisine ouverte hyper équipée, salle de douche (douche à l'italienne + wc), superbe terrasse sans vis-à-vis; - à l'étage : hall de nuit desservant une suite parentale avec dressing et salle de douche (douche à l'italienne et wc) , 2 chambres supplémentaires dont une également avec sa douche et un meuble vasque. - accès privatif à un garage 2 voitures situé en sous-sol (porte motorisée). CONFORT & CARACTERISTIQUES : Situé dans le " Village du Castert ", ce loft récent (score énergétique "A") est équipé du chauffage au sol par pompe à chaleur et de châssis triple vitrage en aluminium et d'une cave à vin exceptionnelle.
  • Aantal kamers: 3
  • Lopende verkoop
  • Startdatum: 02/02/2026 15:00
  • Einddatum: 10/02/2026 15:00
  • Geen bod: 1000 €
  • Vrij vanaf: Te bepalen
  • Mathilde VAN DEN BERGH, Notaire
  • Contactpersoon: Michaël LOIN
  • Tel: (056) 34.22.60
  • Email: michael.loin.217610@belnot.be
  • Bezoekgegevens
  • Contacter l'étude du notaire Mathilde VAN DEN BERGH à Mouscron au 056/34.22.60.

Huizen

38 Rue de Verviers, 7160 Chapelle-lez-Herlaimont

Doe een bod van
130.000 €

Presentatiebeeld van het pand n° 291671
Uit de hand
  • Referentie: 291671
  • Descriptif :Charmante maison familiale avec jardin, passage latéral et offrant de nombreuses possibilités d’aménagement. Au rez-de-chaussée, vous découvrirez un hall d’entrée, un salon, une salle à manger, un living , une cuisine, une salle de bain ainsi qu’une cour couverte.À l’étage, le hall de nuit dessert trois chambres, idéales pour une famille ou un projet d’investissement. Le bien dispose également d’un grenier aménageable, offrant un bel espace supplémentaire selon vos envies, de trois caves pratiques pour le rangement, ainsi que d’un jardin, véritable atout pour les moments de détente en extérieur. PEB : G-630 RC :704€(sous réserve du contrôle du cadastre) Faire offre à partir de 130.000 € Visites uniquement sur rendez-vous au 0491/64.23.10
  • Aantal kamers: 3
  • Kadastraal inkomen: 704 €
  • Vrij vanaf: Bij de akte
  • Thierry BRICOUT, Notaire
  • Contactpersoon: Sandy LUFRANO
  • Tel: (064) 22.13.52
  • Email: sandy.lufrano.130922@belnot.be
  • Bezoekgegevens
  • Visites uniquement sur rendez-vous au 0491/64.23.10

Huizen

2A Rue Léon Génie, 4317 Faimes

Doe een bod van
44.000 €

Presentatiebeeld van het pand n° 291670
Online openbare verkoop
  • Referentie: 291670
  • Maison située en zone rurale, au calme. Le bien offre un beau potentiel d'aménagement et des volumes intéressants.
  • Aantal kamers: 3
  • Lopende verkoop
  • Startdatum: 02/02/2026 13:00
  • Einddatum: 10/02/2026 13:00
  • Geen bod: 1000 €
  • Kadastraal inkomen: 270 €
  • Vrij vanaf: Bij de akte
  • Olivier de LAMINNE de BEX, Société notariale
  • Contactpersoon: Ruxandra RIPEANU
  • Tel: (019) 32.29.10
  • Email: ruxandra.ripeanu.130518@belnot.be
  • Bezoekgegevens
  • Contacter l'Etude au 019/32.29.10

Huizen

19 Chaussée de Nivelles, 4300 Oleye

Doe een bod van
330.000 €

Presentatiebeeld van het pand n° 290780
Uit de hand
  • Referentie: 290780
  • Joli bungalow situé dans un endroit calme et à proximité de toutes commodités, composé comme suit : - au rez de chaussée : un spacieux hall d'entrée avec water-closet, un coin salon et salle-à-manger, une cuisine, une salle de douche, quatre chambres, - aux sous-sols un garage, une buanderie, caves - au 1er étage : espace de rangements Le bien se situe dans un lotissement, les prescriptions y relatives sont consultables en l'étude. Visite virtuelle ici : https://my.matterport.com/show/?m=A3N9nKRDf2m Pour plus d'informations et visites: 019/32.23.08 - info@bdnot.be
  • Aantal kamers: 4
  • Kadastraal inkomen: 842 €
  • Vrij vanaf: Onmiddellijk
  • OLIVIER BEAUDUIN, SOCIETE NOTARIALE
  • Contactpersoon: Maud GENOT
  • Tel: (019) 32.23.08
  • Email: maud.genot.129098@belnot.be
  • Bezoekgegevens
  • Via l'étude au 019/32.23.08

Huizen

87 Sint-Legerstraat, 7711 Dottenijs

Doe een bod van
150.000 €

Presentatiebeeld van het pand n° 291673
Uit de hand
  • Referentie: 291673
  • ACTALEX 056/562040 A VENDRE – MAISON semi-mitoyenne avec parking (1 voiture), passage latéral, 2 chambres, grenier aménageable en 2 chambres supplémentaires, précédemment à usage de cabinet dentaire (possibilités multiples d’aménagements), à proximité immédiate de toutes les commodités du village de Dottignies Adresse : DOTTIGNIES, Rue de Saint-Léger, 87 2 chambres + grenier aménageable en 2 chambres supplémentaires Parking à l’arrière (1 voiture) Passage latéral Droits d’enregistrement 3% (pour un 1er achat – suivant les conditions) Maison comprenant : -Sous-sol : 2 caves carrelées saine -Rez-de-chaussée : hall d’entrée, wc avec lave-mains, bureau, salon, salle à manger, cuisine semi-équipée très lumineuse, arrière-cuisine, salle de bain (à rénover), buanderie-chaufferie (accès vers l’extérieur). -1er étage : hall de nuit, 2 chambres (1 grande, 1 petite) -2ème étage : grenier aménageable en 1 ou 2 chambres, accessible par escalier fixe donnat dans le hall de nuit du 1er étage -Extérieur : parking (1 voiture), passage latéral Possibilités multiples d’aménagements Carrelage travertin partout au rez-de-chaussée. Chauffage central au mazout + possibilité insert ou poele. Châssis bois double-vitrage. Superficie : 222 m² – superficie utile : 171 m² – RC : 406 Euros Maison idéalement située, proche de toutes commodités (axes routiers et autoroutiers, transports en commun, nombreux commerces, écoles, église, …).
  • Aantal kamers: 2
  • Oppervlakte van het woongedeelte: 171m2
  • Aantal badkamers: 1
  • Kadastraal inkomen: 406 €
  • Vrij vanaf: Te bepalen
  • ACTALEX NOTAIRES ASSOCIES - GEASSOCIEERDE NOTARISSEN
  • Contactpersoon: Dorothée CALLEWAERT
  • Tel: (056) 56.20.40
  • Email: dorothee.callewaert.460040@belnot.be
  • Bezoekgegevens
  • ACTALEX 056/562040

Huizen

8 Boterbloemstraat, 8650 Merkem

Doe een bod van
285.000 €

Presentatiebeeld van het pand n° 291680
Uit de hand
  • Referentie: 291680
  • Indeling: inkom, wc, leefruimte, keuken met zicht op de tuin. 1e verdiep: 4 slaapkamers & badkamer. Extra: garage, zolderberging & tuinberging. Lichtrijke omheinde tuin met zonnig terras. Niet gelegen in Watergevoelig openruimtegebied. De opgegeven prijs is een richtprijs. Bieden kan via Biddit.be "verkopen uit de hand" of per mail. G score: A P score: B
  • Aantal kamers: 4
  • Aantal badkamers: 1
  • Kadastraal inkomen: 381 €
  • Vrij vanaf: Bij de akte
  • Ghesquière, Breyne, De Brabandere & Degryse, notariskantoor
  • Contactpersoon: Kantoor NK Ter Waarde
  • Tel: (057) 20.77.98
  • Email: info@nkterwaarde.be

Gronden

Rue de l'Industrie, 7040 Aulnois

Doe een bod van
70.000 €

Presentatiebeeld van het pand n° 291684
Uit de hand
  • Referentie: 291684
  • parcelle de terrain sis à front de la rue de l'Industrie (entre les habitations portant les numéros 68 et 70)
  • Kadastraal inkomen: 6 €
  • Vrij vanaf: Bij de akte
  • ETUDE BOUTTIAU
  • Contactpersoon: Edmond-Charles BOUTTIAU
  • Tel: (065) 34.05.70
  • Email: edmondcharles.bouttiau@belnot.be

Gronden

Meidoornstraat, 2430 Vorst

Doe een bod van
89.000 €

Presentatiebeeld van het pand n° 291540
Uit de hand
  • Referentie: 291540
  • Perceel landbouwgrond, gelegen op het einde van de Meidoornstraat, Vorst met een totale oppervlakte van 1ha18a35ca. Verpacht, ter beschikking na oogst van de wassende vruchten Kadastrale nummers: - 13045/C/69A - 13045/C/70
  • Kadastraal inkomen: 25 €
  • Vrij vanaf: Bij de akte
  • VAN ERMENGEM & DE GRAEF, NOTARISSEN
  • Contactpersoon: Annelies VANSTRAELEN
  • Tel: (014) 34.75.70
  • Email: annelies.vanstraelen.460028@belnot.be
  • Bezoekgegevens
  • Dit perceel is vrij te bezoeken

Huizen

173 Oostrozebekestraat, 8770 Ingelmunster

Doe een bod van
199.000 €

Presentatiebeeld van het pand n° 291690
Uit de hand
  • Referentie: 291690
  • Halfopen woning met diverse mogelijkheden te Ingelmunster, Oostrozebekestraat 173, met (gedeelde) oprit en met uitweg achteraan de tuin. Oppervlakte: 341m². KI: 359 EUR. Gelijkvloers: inkom met traphal, ruime woonkamer, keuken#, wasplaats, badkamer met ligbad, wastafel en toilet. Garage. 1e verdieping: traphal, 3 slaapkamers. Kelder. Zolder. Diepe tuin met tuinhuis en uitweg naar de achterliggende garageweg. Deels enkele beglazing, deels hoogrendementsbeglazing. Verwarming: gaskachels in keuken en woonkamer. Verhuurd. Vraagprijs: 199.000,00 EUR. Administratief en technisch: Geen afgebakende oeverzone/afgebakend overstromingsgebied; geen risicozone voor overstromingen; geen signaalgebied. P-score B, G-score A. Blanco bodemattest. Stedenbouw: Gvg (geen vergunningen uitgereikt); Wg (Woongebied); Gmo (Geen rechterlijke herstelmaatregel of bestuurlijke maatregel); Gvv (Geen verkavelingsvergunning); Gvkr (Geen voorkooprecht ruimtelijke ordening); Gworg (Geen watergevoelig openruimtegebied). Vastgesteld bouwkundig erfgoed (geen monument). Geen bos of natuurgebied. Asbestinventarisattest: niet-asbestveilig. Geen renovatieplicht (vastgesteld bouwkundig erfgoed). Elektrische installatie: conform verklaard (22/02/2011). G score: A P score: B
  • Aantal kamers: 3
  • Oppervlakte van het woongedeelte: 109m2
  • Aantal badkamers: 1
  • Kadastraal inkomen: 359 €
  • Vrij vanaf: Andere
  • Jo Debyser & Mathieu Melis, geassocieerde notarissen
  • Contactpersoon: Stefanie MARTENS
  • Tel: (051) 74.42.32
  • Email: stefanie.martens@notariaatardooie.be

Appartementen

122 Rue de la Station, 6110 Montigny-le-Tilleul

Doe een bod van
230.000 €

Presentatiebeeld van het pand n° 290379
Uit de hand
  • Referentie: 290379
  • Au sein de la résidence les Cyprès, un appartement (au 1er étage) de 2 chambres + jardin + garage situé à Montigny-Le-Tilleul, rue de la Station, 122 et composé comme suit : - un hall d’entrée avec WC (+/- 12 m²), - un living (+/- 31 m²), - une cuisine équipée (+/- 8,5 m²), - une buanderie ( +/- 4,5 m²), - une salle de bain avec douche (+/- 6,7 m²) , - 2 chambres (1 chambre +/- 11,7 m² et 1 chambre avec WC +/- 14 m²). Balcon avant avec marquise. Garage : Garage 1 voiture avec porte basculante électrique (n°3). Cave : au sous-sol (+/- 7,5 m²). Jardinet avec cabane de jardin. Châssis PVC double vitrage + volets. Ascenseur. Chauffage central au mazout (chaudière collective). RC : 1.189€ - PEB : C. Les visites s'effectuent du lundi au vendredi de 16h30 à 19h. Uniquement sur RDV au 071/41.45.34. Faire offre à partir de 230.000€.
  • Aantal kamers: 2
  • Aantal badkamers: 1
  • Kadastraal inkomen: 1189 €
  • Vrij vanaf: Bij de akte
  • Gilles FRANCE Notaire
  • Contactpersoon: Charlotte METZ
  • Tel: (071) 41.45.34
  • Email: charlotte.metz.127191@belnot.be
  • Bezoekgegevens
  • Les visites s'effectuent du lundi au vendredi de 16h30 à 19h. Uniquement sur RDV au 071/41.45.34

Huizen

62 Wilderstraat, 1082 Sint-Agatha-Berchem

Doe een bod van
150.000 €

Presentatiebeeld van het pand n° 291592
Online openbare verkoop
  • Referentie: 291592
  • Een gebouw, een renteniershuis met 1 verd. Wilderstraat 62, oppervlakte 2a 10ca. Omvattende: : kelderverd. : kelders, stookruimte/wasruimte – gelijkvloers : tuintje vooraan, inkomhal, salon, eetkamer, keuken, wc, terras en tuin – 1e verd. : hal , 2 slaapkamers, badkamer met wc – zolder: grote ruimte ingericht als slaapkamer. N.g.k.i.. 1140€. Momenteel bezet door de eigenaar.. Woongebied met residentieel karakter. EPC : F/305. Wijzigingen aan de voorgevel (metselwerk geschilderd, vervanging van schrijnwerk), zonder dat hiervoor een stedenbouwkundige vergunning is verleend. Bezoeken: na voorafgaande afspraak met het agentschap 2.0. (+32 2 209 10 70) vanaf woensdag 14 januari 2026 tot en met dinsdag 10 februari 2026. Begin biedingen : dinsdag 03.02.26 om 10u - Einde biedingen: woensdag11.02.26 om 10u - Instelprijs : 150.000€ - Bodverhoging : 1.000€ - Ondertekening akte : maandag 23.02.26 om 12u - www.biddit.be - Ref. pand : 291592.
  • Aantal kamers: 3
  • Aantal badkamers: 1
  • Lopende verkoop
  • Startdatum: 03/02/2026 10:00
  • Einddatum: 11/02/2026 10:00
  • Geen bod: 1000 €
  • Kadastraal inkomen: 1140 €
  • Vrij vanaf: Te bepalen
  • Maxime van der STRATEN WAILLET, société notariale
  • Contactpersoon: Corelle MORIAUX
  • Tel: (02) 615.13.09
  • Email: cm@SWnot.be
  • Bezoekgegevens
  • na voorafgaande afspraak met het agentschap 2.0. (+32 2 209 10 70) vanaf woensdag 14 januari 2026 tot en met dinsdag 10 februari 2026.

Huizen

35 Noordlaan, 3600 Genk

Doe een bod van
160.000 €

Presentatiebeeld van het pand n° 291578
Online openbare verkoop
  • Referentie: 291578
  • Een woonhuis, op en met grond en alle aanhorigheden, gelegen Noordlaan 35, in woongebied, sectie H, nummer 2/S/84_P0000, 03a96ca. Niet-geïndexeerd kadastraal inkomen 485,00 euro. G score: A P score: A
  • Aantal kamers: 3
  • Lopende verkoop
  • Startdatum: 23/02/2026 11:00
  • Einddatum: 03/03/2026 11:00
  • Geen bod: 1000 €
  • Kadastraal inkomen: 485 €
  • Vrij vanaf: Onmiddellijk
  • Clercx, Böse & van der Weij, geassocieerde notarissen
  • Contactpersoon: Natalie DELISSEN
  • Tel: (089) 35.44.88
  • Email: nd@abcnotarissen.be
  • Bezoekgegevens
  • zaterdag 07/02, 14/02, 21/02 en 28/02, telkens van 11.30u-12.30u

Huizen

75 Avenue de l'Hôpital, 7000 Mons

Doe een bod van
150.000 €

Presentatiebeeld van het pand n° 291681
Uit de hand
  • Referentie: 291681
  • Proche de toutes commodités et de Mons intramuros, cette maison de rangée remarquablement entretenue offre de beaux volumes, ainsi qu'un double accès (avant-arrière) et deux garages. Au rez-de-chaussée, la porte d'entrée donne sur un couloir qui dessert un salon/bureau, et un grand living. Dans la continuité de ce dernier se trouvent d'un côté la cuisine et la salle de bain, et de l'autre côté la véranda qui donne accès au jardin. Dans le jardin on retrouve une annexe où se trouve actuellement la chaudière murale gaz (gaz de ville). Au bout du jardin, une porte donne accès à la ruelle qu'il faut traverser pour accéder aux deux garages. Au premier étage, l'espace est occupé par deux chambres. Le grenier a déjà été partiellement aménagé avec vélux et stores électriques intégrés. Une grande cave sous la pièce côté rue de l'Hôpital complète le bien.
  • Aantal kamers: 2
  • Oppervlakte van het woongedeelte: 134m2
  • Aantal badkamers: 1
  • Kadastraal inkomen: 629 €
  • Vrij vanaf: Bij de akte
  • Tiphène FREDERIC, Notaire
  • Contactpersoon: Tiphene FRÉDÉRIC
  • Tel: (065) 11.10.10
  • Email: tiphene.frederic@belnot.be

Gronden

6660 Nadrin

Doe een bod van
12.282 €

Presentatiebeeld van het pand n° 291694
Online openbare verkoop
  • Referentie: 291694
  • Située à Nadrin, belle terre agricole libre d’occupation d’une contenance totale selon cadastre de 81 ares 88 centiares. Cadastre : Section F numéros 824B et 827B
  • Lopende verkoop
  • Startdatum: 12/02/2026 12:00
  • Einddatum: 20/02/2026 12:00
  • Geen bod: 1000 €
  • Kadastraal inkomen: 27 €
  • Vrij vanaf: Bij de akte
  • François DOGNÉ, Société Notariale
  • Contactpersoon: François DOGNE
  • Tel: (061) 28.80.77
  • Email: francois.dogne@belnot.be

Gronden

6660 Nadrin

Doe een bod van
4.006 €

Presentatiebeeld van het pand n° 291696
Online openbare verkoop
  • Referentie: 291696
  • Située à Nadrin, belle terre agricole libre d’occupation d’une contenance totale selon cadastre de 26 ares 71 centiares. Cadastre : section F numéros 1022C et 1024D
  • Lopende verkoop
  • Startdatum: 12/02/2026 12:00
  • Einddatum: 20/02/2026 12:00
  • Geen bod: 500 €
  • Kadastraal inkomen: 11 €
  • Vrij vanaf: Bij de akte
  • François DOGNÉ, Société Notariale
  • Contactpersoon: François DOGNE
  • Tel: (061) 28.80.77
  • Email: francois.dogne@belnot.be

Gronden

1 Rue de Wibrin, 6660 Nadrin

Doe een bod van
12.327 €

Presentatiebeeld van het pand n° 291697
Online openbare verkoop
  • Referentie: 291697
  • Situé à Nadrin, vaste terrain situé pour partie en zone d’habitat à caractère rural, agricole et de loisir d’une contenance totale selon cadastre de 82 ares 18 centiares. Ce terrain offre une largeur à route d’approximativement 15 mètres pour atteindre, au fond du terrain, une largeur maximale d’environ 104 mètres, sur une profondeur approximative de 150 mètres. Le terrain est idéalement orienté, avec l’arrière vers le sud-est.
  • Lopende verkoop
  • Startdatum: 12/02/2026 12:00
  • Einddatum: 20/02/2026 12:00
  • Geen bod: 1000 €
  • Kadastraal inkomen: 43 €
  • Vrij vanaf: Bij de akte
  • François DOGNÉ, Société Notariale
  • Contactpersoon: François DOGNE
  • Tel: (061) 28.80.77
  • Email: francois.dogne@belnot.be

Gronden

6660 Nadrin

Doe een bod van
10.111 €

Presentatiebeeld van het pand n° 291698
Online openbare verkoop
  • Referentie: 291698
  • Parcelle boisée d’une contenance d’après cadastre de 01ha 44a 45ca, située en zone forestière au plan de secteur (très petite partie zone agricole). Cadastrée seciton F numéro 1797E
  • Lopende verkoop
  • Startdatum: 12/02/2026 12:00
  • Einddatum: 20/02/2026 12:00
  • Geen bod: 1000 €
  • Kadastraal inkomen: 4 €
  • Vrij vanaf: Bij de akte
  • François DOGNÉ, Société Notariale
  • Contactpersoon: François DOGNE
  • Tel: (061) 28.80.77
  • Email: francois.dogne@belnot.be

Huizen

1 Rue de Wibrin, 6660 Nadrin

Doe een bod van
110.000 €

Presentatiebeeld van het pand n° 291688
Online openbare verkoop
  • Referentie: 291688
  • Située au cœur du village très recherché de Nadrin, cette ancienne ferme en pierre constitue une opportunité rare pour un projet de rénovation ambitieux, dans un cadre rural de qualité. L’ensemble se compose d’une maison d’habitation et de plusieurs granges attenantes, offrant des volumes exceptionnels et de nombreuses possibilités d’aménagement. La partie habitation comprend notamment : • un rez-de-chaussée avec cuisine, salle à manger, buanderie et espaces de service, • trois chambres aux étages, • un vaste grenier exploitable selon les besoins, • une cave. Les granges, aux dimensions généreuses, permettent d’envisager de multiples affectations : extension de l’habitation, création de logements supplémentaires, espace professionnel ou projet à vocation touristique (sous réserve des autorisations requises). D’importants travaux de rénovation sont à prévoir (structure, techniques et finitions), mais le bien offre une base authentique pour qui souhaite redonner vie à un ensemble rural de caractère. Le tout s’inscrit dans un environnement apprécié pour son calme, son charme et sa proximité avec la nature, tout en restant facilement accessible.
  • Aantal kamers: 3
  • Lopende verkoop
  • Startdatum: 12/02/2026 12:00
  • Einddatum: 20/02/2026 12:00
  • Geen bod: 1000 €
  • Kadastraal inkomen: 309 €
  • Vrij vanaf: Bij de akte
  • François DOGNÉ, Société Notariale
  • Contactpersoon: François DOGNE
  • Tel: (061) 28.80.77
  • Email: francois.dogne@belnot.be
  • Bezoekgegevens
  • sur rendez-vous préalable dans les tranches horaires suivantes : - 14 01 2026, de 14h00 à 16h00 - 23 01 2026, de 14h00 à 16h00 - 02 02 2026, de 14h00 à 16h00 - 11 02 2026, de 14h00 à 16h00 - 18 02 2026 de 14h00 à 16h00

Gronden

6660 Nadrin

Doe een bod van
11.665 €

Presentatiebeeld van het pand n° 291693
Online openbare verkoop
  • Referentie: 291693
  • Située à Nadrin, belle terre agricole libre d’occupation d’une contenance totale selon cadastre de 77 ares 77 centiares. Accès aisé via grand route. Cadastre : Section E numéros 441A et 507C
  • Lopende verkoop
  • Startdatum: 12/02/2026 12:00
  • Einddatum: 20/02/2026 12:00
  • Geen bod: 1000 €
  • Kadastraal inkomen: 27 €
  • Vrij vanaf: Bij de akte
  • François DOGNÉ, Société Notariale
  • Contactpersoon: François DOGNE
  • Tel: (061) 28.80.77
  • Email: francois.dogne@belnot.be
  • Bezoekgegevens
  • Sur place

Gronden

6666 Wibrin

Doe een bod van
12.000 €

Presentatiebeeld van het pand n° 291707
Online openbare verkoop
  • Referentie: 291707
  • Situées à Wibrin, parcelles de bois d’une contenance totale selon cadastre de 93 ares 80ca. Peuplement d’épicéas. Cadastre : section D numéros 940B2 et 940Y
  • Lopende verkoop
  • Startdatum: 12/02/2026 12:00
  • Einddatum: 20/02/2026 12:00
  • Geen bod: 500 €
  • Kadastraal inkomen: 35 €
  • Vrij vanaf: Bij de akte
  • François DOGNÉ, Société Notariale
  • Contactpersoon: François DOGNE
  • Tel: (061) 28.80.77
  • Email: francois.dogne@belnot.be

Gronden

6666 Wibrin

Doe een bod van
2.500 €

Presentatiebeeld van het pand n° 291716
Online openbare verkoop
  • Referentie: 291716
  • Située à Wibrin, parcelle de bois d’une contenance totale selon cadastre de 24 ares 60ca. Peuplement d’épicéas. Cadastre : section D numéros 1011C et 1011V.
  • Lopende verkoop
  • Startdatum: 12/02/2026 12:00
  • Einddatum: 20/02/2026 12:00
  • Geen bod: 500 €
  • Kadastraal inkomen: 1 €
  • Vrij vanaf: Bij de akte
  • François DOGNÉ, Société Notariale
  • Contactpersoon: François DOGNE
  • Tel: (061) 28.80.77
  • Email: francois.dogne@belnot.be

Gronden

6982 Samrée

Doe een bod van
25.000 €

Presentatiebeeld van het pand n° 291717
Online openbare verkoop
  • Referentie: 291717
  • Situé à Samrée, parcelle de bois d’une contenance totale selon cadastre de 01ha 20a 70ca. Peuplement d’épicéas. Cadastre : section B numéros 381D4, 381E4 et 387M4.
  • Lopende verkoop
  • Startdatum: 12/02/2026 12:00
  • Einddatum: 20/02/2026 12:00
  • Geen bod: 1000 €
  • Kadastraal inkomen: 12 €
  • Vrij vanaf: Bij de akte
  • François DOGNÉ, Société Notariale
  • Contactpersoon: François DOGNE
  • Tel: (061) 28.80.77
  • Email: francois.dogne@belnot.be

Gronden

6660 Nadrin

Doe een bod van
26.220 €

Presentatiebeeld van het pand n° 291705
Online openbare verkoop
  • Referentie: 291705
  • Situé à Nadrin, 3 terres agricoles, d’une contenance totale selon cadastre de 01ha 74 80ca. Composé de 3 blocs de 92a50ca, 37a 30ca et 45a. Cadastre : section F numéro 2762S Numéro 2775E Numéros 2806D et 2806E
  • Lopende verkoop
  • Startdatum: 12/02/2026 12:00
  • Einddatum: 20/02/2026 12:00
  • Geen bod: 1000 €
  • Kadastraal inkomen: 51 €
  • Vrij vanaf: Bij de akte
  • François DOGNÉ, Société Notariale
  • Contactpersoon: François DOGNE
  • Tel: (061) 28.80.77
  • Email: francois.dogne@belnot.be

Huizen

77 Averboodse Baan, 2431 Veerle

Doe een bod van
199.000 €

Presentatiebeeld van het pand n° 291480
Online openbare verkoop
  • Referentie: 291480
  • Rustig gelegen in een groene, landelijke omgeving en biedt een prachtig uitzicht op bos en velden. De woning beschikt over een solide basis en tal van mogelijkheden voor renovatie en herinrichting. Indeling: - gelijkvloers:-inkomhal met trap naar de eerste verdieping, toegang tot de kelder en de garage, keuken, woonkamer en een veranda met apart toilet; - eerste verdieping: badkamer met ligbad en toilet, 3 slaapkamers; - kelder en garage: praktische kelderbergruimte en inpandige garage; - buitenruimte: omheinde tuin met open zicht op omliggende bossen en velden. G score: A P score: A
  • Aantal kamers: 3
  • Aantal badkamers: 1
  • Lopende verkoop
  • Startdatum: 02/02/2026 10:00
  • Einddatum: 10/02/2026 10:00
  • Geen bod: 1000 €
  • Kadastraal inkomen: 708 €
  • Vrij vanaf: Andere
  • Libra-Notarissen
  • Contactpersoon: Marieke MATTHEEUWS
  • Tel: (014) 91.94.50
  • Email: mm@libranot.be
  • Bezoekgegevens
  • elke zaterdag van 10u-12u en dit vanaf zaterdag 17 januari 2026 t.e.m. zaterdag 7 februari 2026.

Huizen

66 Rue du Bosquet, 1495 Tilly

Doe een bod van
215.000 €

Presentatiebeeld van het pand n° 291660
Online openbare verkoop
  • Referentie: 291660
  • Rez-de-chaussée: hall d'entrée; grand séjour (salon/salle à manger) avec cheminée; cuisine avec accès terrasse et jardin ; salle de bains (baignoire, lavabo, WC) et 2 chambres. 1er étage : palier ; 2 chambres mansardées en enfilade ; grenier et combles. Sous-sol : garage avec buanderie/atelier et 2 caves. Passage carrossable; terrasse et beau grand jardin clôturé. Confort : Châssis PVC et alu double vitrage + volets, poêles au mazout (2 citernes de 1 .S00L non enterrée), électricité simple horaire, toiture en ardoises naturelles, raccordement égouts. Remarque: Maison d'habitation en bon état d'entretien à confortabiliser située dans un quartier calme. Visites: Sur RDV avec Mr FRANCK au 0476/422.607
  • Aantal kamers: 4
  • Aantal badkamers: 1
  • Lopende verkoop
  • Startdatum: 28/01/2026 10:00
  • Einddatum: 05/02/2026 10:00
  • Geen bod: 1000 €
  • Kadastraal inkomen: 704 €
  • Vrij vanaf: Bij de akte
  • MARC HENRY, notaires associés
  • Contactpersoon: Marc HENRY
  • Tel: (085) 84.10.80
  • Email: marc.henry@belnot.be
  • Bezoekgegevens
  • Sur RDV avec Mr FRANCK au 0476/422.607

Appartementen

57 Turnhoutseweg, 2340 Beerse

Doe een bod van
299.000 €

Presentatiebeeld van het pand n° 291618
Uit de hand
  • Referentie: 291618
  • Prachtig recent gelijkvloers appartement (2022) gelegen nabij het centrum van Beerse. Het appartement omvat een inkomhal, ruime woonkamer met open keuken, berging, badkamer, afzonderlijk gastentoilet, één slaapkamer. Bovendien beschikt het over een ruim terras. Het appartement is voorzien van alle comfort (vloerverwarming, keramische parket, zonnepanelen, laadpaal voor elektrische wagen,...). Daarnaast beschikt het appartement over een ondergrondse autostaanplaats en een praktische berging. G score: C P score: D
  • Aantal kamers: 1
  • Aantal badkamers: 1
  • Kadastraal inkomen: 909 €
  • Vrij vanaf: Bij de akte
  • Notaris Marie-Ghislaine Brosens
  • Contactpersoon: Yasmine NARJIS
  • Tel: (014) 61.06.06
  • Email: yasmine.narjis.222768@belnot.be

Huizen

28 Rue du Terril, 7000 Mons

Doe een bod van
115.000 €

Presentatiebeeld van het pand n° 291669
Uit de hand
  • Referentie: 291669
  • Près du Terril de l'Héribus, une maison d'habitation avec terrasse partiellement couverte. Au rez-de-chaussée, un sas d'entrée, salon, salle à manger, cuisine équipée, WC séparé, une chambre ou un bureau, une salle de bains avec baignoire et lavabo, buanderie avec boiler et chaudière au gaz de ville. A l'étage, un grand palier pouvant servir de bureau et une chambre. A l'extérieur, une terrasse partiellement couverte et une remise aménagée. Châssis double vitrage - chauffage central au gaz de ville. PEB n°20241218021727 - Niveau F Visites sur inscription avec l'agence GIL (tél : 071/.38.84.49 - option 2)
  • Aantal kamers: 2
  • Oppervlakte van het woongedeelte: 120m2
  • Aantal badkamers: 1
  • Kadastraal inkomen: 344 €
  • Vrij vanaf: Bij de akte
  • Robberechts, Emmanuelle
  • Contactpersoon: Emmanuelle ROBBERECHTS
  • Tel: (069) 66.20.26
  • Email: emmanuelle.robberechts@belnot.be
  • Bezoekgegevens
  • Visites sur inscription avec l'agence GIL (tél : 071/.38.84.49 - option 2)

Gronden

54 Millerdries, 3770 Millen

Doe een bod van
110.000 €

Presentatiebeeld van het pand n° 291672
Uit de hand
  • Referentie: 291672
  • Bouwgrond voor eengezinswoning in half open bebouwing in een kleine verkaveling – rustig residentieel gelegen - vlot bereikbaar (E 313, Tongeren, Bilzen, Riemst, Luik). Gelegen langs huisnr. 54 A. Bestemming: woongebied met landelijk karakter. Perceeloppervlakte: 410 m² - perceelbreedte: 10m50. P score: A
  • Vrij vanaf: Onmiddellijk
  • Vuylsteke & Bunkens
  • Contactpersoon: Paulette DELMANS
  • Tel: (012) 44.01.44
  • Email: info@vbnot.be

Huizen

40 Rue Montavaux, 7080 Frameries

Doe een bod van
125.000 €

Presentatiebeeld van het pand n° 291603
Uit de hand
  • Referentie: 291603
  • Maison 3 façades à rénover •Rez-de-chaussée: Une pièce à l’avant, une salle de bains, un WC, un vaste séjour lumineux avec cuisine équipée (four, réfrigérateur, taque vitrocéramique et lave-vaisselle). •Étage: Deux chambres. •Extérieurs: Garage avec annexe, vaste jardin équipé d'un chalet. •Sous-sol: Cave. •Grenier •Divers: Volets et double vitrage, une fenêtre en simple vitrage, chauffage par convecteur au gaz. Contenance: 7 a 84 ca RC: 640,00 €
  • Aantal kamers: 2
  • Kadastraal inkomen: 640 €
  • Vrij vanaf: Bij de akte
  • Antoine HAMAIDE et Elise CORNEZ, Notaires associés
  • Contactpersoon: Gloria TESO
  • Tel: (065) 35.13.64
  • Email: gloria.teso.131532@belnot.be

Huizen

25 Maurice Charlentstraat, 1160 Oudergem

Doe een bod van
195.000 €

Presentatiebeeld van het pand n° 291624
Online openbare verkoop
  • Referentie: 291624
  • Volledig te renoveren woonhuis met mooi potentieel Ideaal gelegen, in een rustige straat, Maurice Charlentsraat 25, opp. 1a 35ca, nabij de metrostations Beaulieu, Delta en Hankar, Bruto oppervlakte: 139m² (volgens EPC). Het huis is onderworpen aan een onbewoonbaarheidsbesluit + taks onbewoonbaarheid (zie document en lastenkohier te downloaden over dit punt). N.g.k.i. : 810€. EPC : G/673. Contr. elektr. niet conform. Vrij van gebruik. Woongebied. Bezoekdagen : vanaf 11/2 tot en met 28/2/26 : elke woensdag van 12u30-14u30 en elke zaterdag van 14-16u. Begin biedingen : dinsdag 24.02.26 om 14u - Einde biedingen : woensdag 04.03.26 om 14u - Instelprijs : 195.000€ - Bodverhoging : 1.000€ - Ondertekening akte : maandag 09.03.26 om 11u - www.biddit.be - Ref. pand : 291624.
  • Aantal kamers: 4
  • Oppervlakte van het woongedeelte: 139m2
  • Lopende verkoop
  • Startdatum: 24/02/2026 14:00
  • Einddatum: 04/03/2026 14:00
  • Geen bod: 1000 €
  • Kadastraal inkomen: 840 €
  • Vrij vanaf: Bij de akte
  • DAMIEN COLLON - ANTOINE LOGÉ, geassocieerde notarissen
  • Contactpersoon: Victoria GILSON
  • Tel: (02) 378.71.05
  • Email: victoria.gilson.132829@belnot.be
  • Bezoekgegevens
  • vanaf 11/2 tot en met 28/2/26 : elke woensdag van 12u30-14u30 en elke zaterdag van 14-16u.

Huizen

16 Rue du Perron, 4590 Ouffet

Doe een bod van
125.000 €

Presentatiebeeld van het pand n° 291655
Uit de hand
  • Referentie: 291655
  • L'étude du Notaire Fabienne Houmard a le plaisir de vous présenter cette maison villageoise nécessitant des travaux importants de rénovation. Situé dans le charmant village d'Ouffet, ce bien saura vous séduire par sa situation centrale et son beau potentiel. Proche de toutes commodités (magasin, boulangerie, pompe à essence, arrêt de bus, école, ...), cette maison est composée comme suit : - Au sous-sol : une cave. - Au rez-de-chaussée : une chambre, une pièce pouvant accueillir la future cuisine, en partie ouverte sur la pièce de vie, toutes deux donnant accès au jardin. - Au premier étage : 4 chambres et une salle de bain. - Au deuxième étage : un gregnier non-aménagé. Pas de système de chauffage central, châssis double-vitrage PVC. Le bien est également vendu avec un garage jouxtant la maison. RC : 290,00 €.
  • Aantal kamers: 5
  • Aantal badkamers: 1
  • Kadastraal inkomen: 290 €
  • Vrij vanaf: Bij de akte
  • Fabienne HOUMARD, notaire
  • Contactpersoon: Delphine GARCET
  • Tel: (085) 31.33.44
  • Email: delphine.garcet.173856@belnot.be
  • Bezoekgegevens
  • Visite uniquement sur rendez-vous (Contactez l'étude au 085/31.33.44)

Huizen

4 Warde, 7901 Thieulain

Doe een bod van
50.000 €

Presentatiebeeld van het pand n° 291638
Online openbare verkoop
  • Referentie: 291638
  • Le bien est composé d'une entrée qui donne directement sur la pièce de vie. Il y a ensuite 2 pièces de vie + une autre petite pièce pouvant servir de bureau/salle de jeux. Il y a une cuisine en couloir avec taque et four, une salle-de-bain en enfilade (évier, bain, WC broyeur). Le bien dispose d'un grenier et d'une cave. A l'extérieur, il y a une cour avec un petit espace vert et une annexe dont une partie du toit est en très mauvais état. La maison est reliée à l'égout. Le poêle à pellets et le lave-vaisselle ne font pas partie de la vente Photos à caractère non contractuel
  • Aantal kamers: 1
  • Lopende verkoop
  • Startdatum: 02/03/2026 15:00
  • Einddatum: 10/03/2026 15:00
  • Geen bod: 1000 €
  • Kadastraal inkomen: 233 €
  • Vrij vanaf: Bij de akte
  • Charlotte DE VOS, Notaire
  • Contactpersoon: Elisa DEFRANCOIS
  • Tel: (069) 66.20.33
  • Email: elisa.defrancois.358255@belnot.be
  • Bezoekgegevens
  • Sur rendez-vous avec l'étude au 069/66.20.33

Huizen

183 Breebos, 2330 Merksplas

Doe een bod van
215.000 €

Presentatiebeeld van het pand n° 291667
Uit de hand
  • Referentie: 291667
  • In Chaletpark Ter Heide (voorheen Breebos). Kadastraal gekend sectie G nummer 591/W/6 P0001. Mooie nieuwe keuken met vaatwas, oven , microgolf, kookplaat, dampkap en veel kastruimte; nieuwe badkamerinrichting met inloopdouche, hang wc, mooi lavabo-meubel, led verlichtingen. Nieuwe overgordijnen inbegrepen. Gezellige tuin met terras. Alles afgebakend met hagen en schuttingen. Voorzieningen: alle voorzieningen aanwezig - Daikin airco voor koeling en verwarming. Aanvullend infrarood vloerverwarming zone-regelbaar. Zonneboiler voor warm water. Volledige inrichting met 17 zonnepanelen en bijna 11 kWh batterijen. Stedenbouw: vergunning (uitbouw en tuinberging zonder vergunning), gebied voor verblijfsrecreatie, verkaveling. BIEDEN en MEER INFORMATIE te vinden via de BIDDIT-site, gelieve de link https://www.biddit.be/nl/catalog/detail/291667 te gebruiken. G score: A P score: A
  • Aantal kamers: 2
  • Aantal badkamers: 1
  • Kadastraal inkomen: 180 €
  • Vrij vanaf: Bij de akte
  • NOTARIS JAN STOEL
  • Contactpersoon: Sonja WOUTERS
  • Tel: (014) 63.30.43
  • Email: sw@notariaatmerksplas.be

Huizen

34 Rue Fernand Musin, 4340 Awans

Doe een bod van
225.000 €

Presentatiebeeld van het pand n° 291261
Uit de hand
  • Referentie: 291261
  • VENTE DE GRÉ À GRÉ SOUMISE À AUTORISATION JUDICIAIRE Maison à rafraichir sis à Awans, rue Fernand Musin, 34 Commune d’Awans – 1ère division - Awans Une maison d’habitation sise rue Fernand Musin, 34, cadastrée selon extrait de matrice cadastrale récent section B numéro 0974H2P0000 d’une superficie de deux cent soixante-deux mètres carrés (262 m²) pour un revenu cadastral de huit cent vingt euros (820,00€) PRIX DEMANDE : 225.000,00 EUR Composition : Au rez-de-chaussée : un hall d’entrée, un WC, une cuisine, un living carrelé, une annexe, un garage avec porte sectorielle ; Au premier étage : un palier avec placards, une salle de bains (baignoire, douche), trois chambres Au sous-sol : 3 caves A l’extérieur : une cour et un long jardin, dépendances Equipements : - châssis double PVC - Chauffage central au mazout - Installation électrique non conforme - urbanisme : zone d’habitat à caractère rural au plan de secteur - BDES : parcelle non soumise à des obligations décret sols - Réduction des droits d’enregistrement possible si respect des conditions Pour plus de renseignements : s'adresser en l'étude
  • Aantal kamers: 3
  • Aantal badkamers: 1
  • Kadastraal inkomen: 820 €
  • Vrij vanaf: Bij de akte
  • Gabriel RASSON & Benjamine WILKIN , société notariale
  • Contactpersoon: Gaëlle HUTOIS
  • Tel: (04) 252.18.72
  • Email: gaelle.hutois.356712@belnot.be

Gronden

De Heuvels, 2430 vorst

Doe een bod van
15 €

Presentatiebeeld van het pand n° 291545
Uit de hand
  • Referentie: 291545
  • 9 percelen grond gelegen in woonuitbreidingsgebied, achter De Heuvels en Geelsebaan, Vorst met een totale oppervlakte van 3a16a29ca. Percelen zijn afzonderlijk te koop. Gewenste prijs € 15/m² Verpacht, ter beschikking na oogst van de wassende vruchten Kadastrale nummers: 13045/C/140: 4800m² 13045/C/141: 4235 m² 13045/C/149: 6410 m² 13045/C/137R: 844 m² 13045/C/137C; 3090 m² 13045/C/151S: 1835 m² 13045/C/152: 3220 m² 13045/C/154: 4100 m² 13045/C/153 3095 m²
  • Kadastraal inkomen: 5 €
  • Vrij vanaf: Bij de akte
  • VAN ERMENGEM & DE GRAEF, NOTARISSEN
  • Contactpersoon: Annelies VANSTRAELEN
  • Tel: (014) 34.75.70
  • Email: annelies.vanstraelen.460028@belnot.be
  • Bezoekgegevens
  • Dit perceel is vrij te bezoeken

Gronden

Meerlaarstraat, 2430 Vorst

Doe een bod van
59.000 €

Presentatiebeeld van het pand n° 291543
Uit de hand
  • Referentie: 291543
  • Perceel grond gelegen in landschappelijk waardevol agrarisch gebied, gelegen achter Verboekt en Meerlaarstraat, Vorst met een totale oppervlakte van 82a60a. Verpacht, ter beschikking na oogst van de wassende vruchten Kadastrale nummers 13045/C/1037 13045/C/752
  • Kadastraal inkomen: 18 €
  • Vrij vanaf: Bij de akte
  • VAN ERMENGEM & DE GRAEF, NOTARISSEN
  • Contactpersoon: Annelies VANSTRAELEN
  • Tel: (014) 34.75.70
  • Email: annelies.vanstraelen.460028@belnot.be
  • Bezoekgegevens
  • Dit perceel is vrij te bezoeken

Huizen

21 Beernegemstraat, 8700 Tielt

Doe een bod van
378.000 €

Presentatiebeeld van het pand n° 291689
Uit de hand
  • Referentie: 291689
  • Deze instapklare rijwoning is gelegen in het stadscentrum van Tielt en omvat op de gelijkvloerse verdieping een inkomhal (met trap naar de eerste verdieping), een toilet, een woon- en eetkamer, een keuken en een garage met wasruimte. Via de trap bereikt u de eerste verdieping waar een nachtgang toegang geeft tot vier slaapkamers en een badkamer (voorzien van enkele lavabo, wc en douche). De woning beschikt eveneens over een zolder (bereikbaar via een schuiftrap in de nachtgang) en over een kelder. Voor de woning vindt u extra parkeerruimte. Achter de woning vindt u een gezellige stadstuin met twee terrassen (waarvan één overdekt) en een tuinberging. Winkels en scholen zijn op wandel- of fietsafstand gelegen. G score: A P score: A
  • Aantal kamers: 4
  • Oppervlakte van het woongedeelte: 203m2
  • Aantal badkamers: 1
  • Kadastraal inkomen: 745 €
  • Vrij vanaf: Bij de akte
  • Notaris Benedikt DEBERDT
  • Contactpersoon: Colin VANPARYS
  • Tel: (051) 40.00.09
  • Email: colin.vanparys.132506@belnot.be
  • Bezoekgegevens
  • Na telefonische afspraak via notariskantoor

Appartementen

816 Bergense Steenweg, 1070 Anderlecht

Doe een bod van
155.000 €

Presentatiebeeld van het pand n° 291327
Online openbare verkoop
  • Referentie: 291327
  • In een appartementsgebouw gelegen Bergensesteenweg 816 hoek Frans Van Kalkenlaan en Felix De Cuyperstraat Het appartement op 1e verd. met kelder en parking Omvattende inkomhal met vestiaire, wc, badkamer, living, keuken, 2 slaapkamers met terras, kelder nr 100 op niv. Mezzanine, autostaanplaats nr G.P. 19 op ondergr. verd. N.g.k.i. 1.227€. Vrij ten laatste 2 maand nadat de toewijzing definitief wordt. Woongebied. EPC B/77. Contr. elektr. niet conform. Bezoeken (vanaf 27/1 tem 14/2) : elke dinsdag en elke zaterdag van 11u30-12u30. Begin biedingen : zondag 15.02.26 om 14u - Einde biedingen : maandag 23.02.26 om 14u - Instelprijs : 155.000€ - Bodverhoging : 1.000€ - Ondertekening akte : dinsdag 03.03.26 om 14u30 - www.biddit.be - Ref. pand : 291327.
  • Aantal kamers: 2
  • Aantal badkamers: 1
  • Lopende verkoop
  • Startdatum: 15/02/2026 14:00
  • Einddatum: 23/02/2026 14:00
  • Geen bod: 1000 €
  • Kadastraal inkomen: 1227 €
  • Vrij vanaf: Andere
  • Dhaenens, Leticia
  • Contactpersoon: Leticia DHAENENS
  • Tel: (02) 521.07.96
  • Email: etude@notairedhaenens.be
  • Bezoekgegevens
  • (vanaf 27/1 tem 14/2) : elke dinsdag en elke zaterdag van 11u30-12u30.

Appartementen

15 A. Vanhouttelaan, 8670 Koksijde

Doe een bod van
250.000 €

Presentatiebeeld van het pand n° 291072
Online openbare verkoop
  • Referentie: 291072
  • In residentie ALBERGO, Arthur Vanhouttelaan 15, 3e afdeling, sectie A nr 65/W P0000, groot 1.222m² (geheelheid perceel): 1) APPARTEMENT "11 01/02" (op plan getekend "01/01") op 1e verdiep: a)in privatieve en exclusieve eigendom:inkom, inkomhall, vestiaire, wc, berging, badkamer, living met open keuen en terrassen, 2 slaapkamers uitgevende op voormelde terrassen ; b) in mede-eigendom en gedwongen onverdeeldheid :35/1.000sten in de gemene delen van het gebouw waaronder de grond 2)GARAGE "G/36" in de ondergrond (niveau -1):a)in privatieve en exclusieve eigendom:de garage zelf; b) in mede-eigendom en gedwongen onverdeeldheid :5/1.000sten in de gemene delen van het gebouw waaronder de grond 3)BERGING "15" in de ondergrond (niveau -1):a) in privatieve en exclusieve eigendom:de berging zelf; b) in mede-eigendom en gedwongen onverdeeldheid :1/1.000ste in de gemene delen van het gebouw waaronder de grond KI = € 1072 - EPC : 113 kWh/m²jaar (B) certificaatnummer 20240909-000-3352450-res-1 -vrij van gebruik - Bwjr 2008 - Gunstig bodemattest dd 17/10/2023 Stdbwk inl:stdb verg, gwp “Veurne-westkust” bestemming “woongebieden”, niet opgenomen in inventaris bouwkundig erfgoed, geen dagvaardingen, geen voorkooprecht, geen verkavelingsvergunning, niet gelegen in mogelijk of effectief overstromingsgevoelig gebied; niet gelegen is in een afgebakend overstromingsgebied of afgebakende oeverzone; niet gelegen is in een risicozone voor overstromingen, P-score “A” en G-score “A”. G score: A P score: A
  • Aantal kamers: 2
  • Lopende verkoop
  • Startdatum: 26/02/2026 15:00
  • Einddatum: 06/03/2026 15:00
  • Geen bod: 1000 €
  • Kadastraal inkomen: 1072 €
  • Vrij vanaf: Onmiddellijk
  • Notaris Thomas DUSSELIER
  • Contactpersoon: Baudouin D'HOOGHE
  • Tel: (050) 63.20.20
  • Email: baudouin.dhooghe.182600@belnot.be
  • Bezoekgegevens
  • ZATERDAGEN 14/2, 21/2 EN 28/2 + WOENSDAGEN 18/2, 25/2 en 4/3 telkens tussen 10.00 en 12.00 uur

Huizen

9 Rue du Beau Site, 4400 Flémalle

Doe een bod van
149.000 €

Presentatiebeeld van het pand n° 291701
Uit de hand
  • Referentie: 291701
  • Située dans un quartier calme et à proximité de nombreuses commodités (écoles, transports en communs, commerces), cette maison deux façades dispose d'une superficie habitable de +- 95m². La maison se compose comme suit : Au Rez-de-chaussée : un hall d'entrée, un WC avec coin buanderie, une pièce de vie spacieuse (30m²), une cuisine à rénover (13m²), et une pergola démontable (8m²) donnant sur un beau petit jardin orienté sud-est et accessible par l'arrière. Au 1er étage : un hall de nuit dessert une salle de douche, un WC séparé, deux chambres (11m² & 8m²), et un bureau (5m²). Grenier non aménageable. Au sous-sol : deux caves de rangement et un local chaufferie. Aspects techniques : châssis pvc double vitrage, chauffage central au gaz de ville (chaudière récente), adoucisseur d'eau. Electricité non conforme, PEB E (352 kWh/m².an) n°20250927007527. Visites sur RDV avec Md RIGA au 04/234.92.63 ou par mail (mathilde.riga.353186@belnot.be). FAIRE OFFRE A PARTIR DE 149.000,00€, sous réserve d'acceptation.
  • Aantal kamers: 2
  • Oppervlakte van het woongedeelte: 95m2
  • Kadastraal inkomen: 500 €
  • Vrij vanaf: Bij de akte
  • Charlotte LABEYE et Ophélie LALLEMEND, Société Notariale
  • Contactpersoon: Mathilde RIGA
  • Tel: (04) 233.81.15
  • Email: mathilde.riga.353186@belnot.be
  • Bezoekgegevens
  • Visites sur RDV avec Md RIGA au 04/234.92.63 ou par mail (mathilde.riga.353186@belnot.be).

Huizen

16 Emiel De Molstraat, 9400 Ninove

Doe een bod van
140.000 €

Presentatiebeeld van het pand n° 291709
Uit de hand
  • Referentie: 291709
  • Te renoveren rijwoning met o.a.: 2 slaapkamer, badkamer en zolder. G score: A P score: A
  • Aantal kamers: 2
  • Aantal badkamers: 1
  • Kadastraal inkomen: 287 €
  • Vrij vanaf: Bij de akte
  • Jeroom Creytens, notarisvennootschap
  • Contactpersoon: Kantoor Not. Jeroom Creytens
  • Tel: (054) 33.20.82
  • Email: info@notariaatmeerbeke.be

Huizen

39 Schalkem, 9402 Meerbeke

Doe een bod van
200.000 €

Presentatiebeeld van het pand n° 291710
Online openbare verkoop
  • Referentie: 291710
  • Een landelijk gelegen te renoveren woonhuis met o.a.: 3 slaapkamers, badkamer, kelder, garage en tuin. G score: A P score: A
  • Aantal kamers: 3
  • Aantal badkamers: 1
  • Lopende verkoop
  • Startdatum: 23/02/2026 10:00
  • Einddatum: 03/03/2026 10:00
  • Geen bod: 1000 €
  • Kadastraal inkomen: 503 €
  • Vrij vanaf: Bij de akte
  • Jeroom Creytens, notarisvennootschap
  • Contactpersoon: Sofie VERNAILLEN
  • Tel: (054) 33.20.82
  • Email: sv@notariaatmeerbeke.be
  • Bezoekgegevens
  • Het goed zal door de kandidaat-kopers kunnen bezocht worden op: zaterdag 14 februari 2026, zaterdag 21 februari 2026, zaterdag 28 februari 2026 telkens van 14u-16u, zonder voorafgaande afspraak

Gronden

21 Heibraak, 2310 Rijkevorsel

Doe een bod van
215.000 €

Presentatiebeeld van het pand n° 291708
Uit de hand
  • Referentie: 291708
  • In een rustige en kindvriendelijke wijk. Gelegen vlakbij het centrum van Rijkevorsel. Gelegen in RUP Woonomgevingen (artikel 3 randwijken overdruk) de dato 17 juni 2024. Op het verkavelingsplan aangeduid als lot 12. BIEDEN en MEER INFORMATIE te vinden via de BIDDIT-site, gelieve de link https://www.biddit.be/nl/catalog/detail/291708 te gebruiken. P score: B
  • Vrij vanaf: Bij de akte
  • PHILIPPE VERLINDEN, NOTARIS
  • Contactpersoon: Jorga OOMEN
  • Tel: (03) 340.21.94
  • Email: jo@notariaatrijkevorsel.be

Andere

1 Rue de Wibrin, 6660 Nadrin

Doe een bod van
80.000 €

Presentatiebeeld van het pand n° 291691
Online openbare verkoop
  • Referentie: 291691
  • Située au cœur du village très recherché de Nadrin, terrain situé en zone d’habitat à caractère rural avec ancien bâtiment rural y érigé, d’une contenance totale de 15 ares 66 centiares selon cadastre. Il est situé à front de la rue de Wibrin et idéal pour un projet de rénovation ou de démolition/reconstruction, par exemple, d’une habitation, après obtention des autorisations nécessaires. Possibilité de réduction des droits d’enregistrement.
  • Lopende verkoop
  • Startdatum: 12/02/2026 12:00
  • Einddatum: 20/02/2026 12:00
  • Geen bod: 1000 €
  • Kadastraal inkomen: 27 €
  • Vrij vanaf: Bij de akte
  • François DOGNÉ, Société Notariale
  • Contactpersoon: François DOGNE
  • Tel: (061) 28.80.77
  • Email: francois.dogne@belnot.be
  • Bezoekgegevens
  • sur rendez-vous préalable dans les tranches horaires suivantes : - 14 01 2026, de 14h00 à 16h00 - 23 01 2026, de 14h00 à 16h00 - 02 02 2026, de 14h00 à 16h00 - 11 02 2026, de 14h00 à 16h00 - 18 02 2026 de 14h00 à 16h00

Andere

1 Rue de Wibrin, 6660 Nadrin

Doe een bod van
92.991 €

Presentatiebeeld van het pand n° 291692
Online openbare verkoop
  • Referentie: 291692
  • Bâtiment rural avec terrain en zone bâtissable à Nadrin Située au cœur du village très recherché de Nadrin, ancien bâtiment rural sur et avec terrain situé en zone d’habitat à caractère rural, d’une contenance totale de 36 ares 50 centiares selon cadastre. Il est situé à front de la rue de Wibrin et idéal pour un projet de rénovation ou de démolition/reconstruction, par exemple, d’une habitation, après obtention des autorisations nécessaires. Possibilité de réduction des droits d’enregistrement.
  • Lopende verkoop
  • Startdatum: 12/02/2026 12:00
  • Einddatum: 20/02/2026 12:00
  • Geen bod: 1000 €
  • Kadastraal inkomen: 42 €
  • Vrij vanaf: Bij de akte
  • François DOGNÉ, Société Notariale
  • Contactpersoon: François DOGNE
  • Tel: (061) 28.80.77
  • Email: francois.dogne@belnot.be

Gronden

6660 Nadrin

Doe een bod van
57.225 €

Presentatiebeeld van het pand n° 291703
Online openbare verkoop
  • Referentie: 291703
  • Situé à Nadrin, vaste terrain agricole, d’une contenance totale selon cadastre de 03ha 81a 50ca. Le terrain est libre de tout bail à ferme et bénéficie d’un accès facile à route. Cadastre : section F numéro 1823D, 2008C, 2010C2, 2010E2, 2027B, 2038C, 2039A, 2040C, 2046A, 2047A, 2051H, 2054, 2057, 2058, 2069B, 2071A
  • Lopende verkoop
  • Startdatum: 12/02/2026 12:00
  • Einddatum: 20/02/2026 12:00
  • Geen bod: 1000 €
  • Kadastraal inkomen: 111 €
  • Vrij vanaf: Bij de akte
  • François DOGNÉ, Société Notariale
  • Contactpersoon: François DOGNE
  • Tel: (061) 28.80.77
  • Email: francois.dogne@belnot.be

Gronden

6660 Nadrin

Doe een bod van
42.202 €

Presentatiebeeld van het pand n° 291704
Online openbare verkoop
  • Referentie: 291704
  • Situé à Nadrin, vaste terrain agricole, d’une contenance totale selon cadastre de 02ha 81a 35ca. Le terrain est libre de tout bail à ferme et bénéficie d’un accès facile à route. Cadastre : section F numéro 2261X et 2261C4.
  • Lopende verkoop
  • Startdatum: 12/02/2026 12:00
  • Einddatum: 20/02/2026 12:00
  • Geen bod: 1000 €
  • Kadastraal inkomen: 74 €
  • Vrij vanaf: Bij de akte
  • François DOGNÉ, Société Notariale
  • Contactpersoon: François DOGNE
  • Tel: (061) 28.80.77
  • Email: francois.dogne@belnot.be

Gronden

6666 Wibrin

Doe een bod van
18.000 €

Presentatiebeeld van het pand n° 291706
Online openbare verkoop
  • Referentie: 291706
  • Situé à Wibrin, parcelle de bois d’une contenance totale selon cadastre de 82 ares. Peuplement d’épicéas, situé en zone natura 2000. Cadastre : section D numéros 758A, 759F et 760C
  • Lopende verkoop
  • Startdatum: 12/02/2026 12:00
  • Einddatum: 20/02/2026 12:00
  • Geen bod: 1000 €
  • Kadastraal inkomen: 11 €
  • Vrij vanaf: Bij de akte
  • François DOGNÉ, Société Notariale
  • Contactpersoon: François DOGNE
  • Tel: (061) 28.80.77
  • Email: francois.dogne@belnot.be

Huizen

1 Remincourt, 7864 Deux-Acren

Doe een bod van
247.500 €

Presentatiebeeld van het pand n° 291687
Uit de hand
  • Referentie: 291687
  • Belle villa 4 façades avec jardin et garage Située dans un environnement agréable, cette charmante villa 4 façades construite en 1967 vous séduira par ses volumes, sa luminosité et son potentiel. Elle se compose comme suit : Sous-sol : Nombreuses caves sèches offrant de vastes espaces de rangement, communicantes avec le garage (1 voiture). Chaudière Buderus. Rez-de-chaussée : Vaste hall d’entrée desservant un bureau ou chambre, une salle de bains (baignoire, lavabo), un WC séparé, une agréable salle à manger avec feu au bois, une cuisine ouverte équipée (réfrigérateur, taques vitrocéramiques, hotte, four, double évier), un salon, ainsi qu’une véranda offrant une belle vue sur le jardin. 1er étage : Palier desservant 3 grandes chambres ainsi que 2 petites pièces pouvant servir de dressing, bureau ou espace de rangement. Extérieurs : Jardin agréable, passage latéral. Informations complémentaires : PEB : G Contrôle électrique : non conforme Raccordement à l’égout Les fenêtres sont équipées de volets Citerne à mazout de + de 3.000L Superficie cadastrale : 5a 67ca
  • Aantal kamers: 4
  • Aantal badkamers: 1
  • Kadastraal inkomen: 840 €
  • Vrij vanaf: Bij de akte
  • DEVREUX, Laurent
  • Contactpersoon: Caroline RASSON
  • Tel: (068) 33.24.00
  • Email: caroline.rasson.106781@belnot.be
  • Bezoekgegevens
  • Vous pouvez contacter l’Etude au 068/33.24.00 pour les visites.

Huizen

46 Rue de Flémalle, 4101 Jemeppe-sur-Meuse

Doe een bod van
165.000 €

Presentatiebeeld van het pand n° 291562
Uit de hand
  • Referentie: 291562
  • Maison 2 façades lumineuse et rénovée à Jemeppe-sur Meuse composée de : AU REZ-DE-CHAUSSEE : un hall d'entrée, une cuisine moderne et équipée, un living (salon et salle à manger) et une buanderie avec WC. 1ER ETAGE : un palier, une chambre à rue, une chambre à l'arrière et une salle de bains avec une douche, une baignoire, deux éviers et un WC. 2EME ETAGE : une grande chambre. EXTERIEUR : une terrasse, un grand jardin et un abri de jardin. Electricité conforme. Toiture refaite en 2020. Porte d'entrée et châssis PVC double vitrage en façade avant remplacés en 2024. Châssis PVC double vitrage en façade arrière remplacés en 2020 (à l’exception des fenêtres de la salle de bains et de la chambre au premier étage qui sont de 2004). Volets à chaque fenêtre sauf au dernier étage. RC non indexé : 347 euros
  • Aantal kamers: 3
  • Aantal badkamers: 1
  • Kadastraal inkomen: 347 €
  • Vrij vanaf: Bij de akte
  • Caroline BURETTE - société notariale
  • Contactpersoon: Céline SEGERS
  • Tel: (04) 337.07.38
  • Email: celine.segers.354286@belnot.be
  • Bezoekgegevens
  • Visites sur rendez-vous pris en l'Etude au 04/337.07.38

Huizen

53 Avenue du Clos Sadin, 1420 Braine-l'Alleud

Doe een bod van
190.000 €

Presentatiebeeld van het pand n° 291601
Online openbare verkoop
  • Referentie: 291601
  • Une maison d'habitation 4 façades avec jardin sise Clos du Sadin numéro 53 à Braine l'Alleud. Habitable avec sous-sol (garage et chaufferie) - rez-de-chaussée (séjour, cuisine, véranda, WC) - 1er étage (3 chambres, SDB) et grenier. PEB F. Contr. électr. non conforme. Pour une demande de visite, envoyez "SADIN 53 » au 0472/890.178. Un lien vous sera envoyé avec les créneaux disponibles. Mise à prix 190.000 euros.
  • Aantal kamers: 3
  • Aantal badkamers: 1
  • Lopende verkoop
  • Startdatum: 23/02/2026 14:00
  • Einddatum: 03/03/2026 14:00
  • Geen bod: 1000 €
  • Kadastraal inkomen: 1256 €
  • Vrij vanaf: Onmiddellijk
  • Jérôme Dory – Société Notariale
  • Contactpersoon: Zoé GAUDIN
  • Tel: (02) 511.81.47
  • Email: zoe.gaudin.124263@belnot.be

Huizen

48 Rue Anthime Boulvin, 7300 Boussu

Doe een bod van
160.000 €

Presentatiebeeld van het pand n° 291606
Uit de hand
  • Referentie: 291606
  • Superficie : 278 m² – Revenu cadastral total : 324,00 EUR État : bon état, libre d’occupation à l’acte Rez-de-chaussée : Hall d’entrée avec WC séparé, Deux salons, Cuisine non équipée avec balcon. Sous-sol : Quatre caves, jardin accessible par l’extérieur ou via les caves 1er étage : Palier, trois chambres, Salle de douche avec accès vers le grenier. Grenier : aménageable. Extérieur : Jardin entièrement clôturé par plaques en béton. Commodités : Châssis PVC double vitrage. Toiture neuve (non isolée, pare-vapeur). Chauffage central au mazout (chaudière ACV). Citerne à mazout de 2.500 litres. Maison à rafraîchir. Possibilité de construire des garages côté rue latérale. ? PEB : G Visites : Sur RDV avec l’Étude Prix : Offre à partir de 160.000,00 EUR
  • Aantal kamers: 3
  • Kadastraal inkomen: 324 €
  • Vrij vanaf: Bij de akte
  • Jean-Charles DASSELEER, Notaire
  • Contactpersoon: Stefano VACCA
  • Tel: (065) 78.43.32
  • Email: stefano.vacca.133066@belnot.be
  • Bezoekgegevens
  • Avec l'Etude le samedi de 10h à 12h

Huizen

23 Rue des Sars, 7000 Mons

Doe een bod van
300.000 €

Presentatiebeeld van het pand n° 280706
Uit de hand
  • Referentie: 280706
  • Maison bel-étage à restaurer avec jardin et garage comprenant : RDC: hall, 2 bureaux et 1 WC ETG 1 : salon, salle à manger, cuisine, wc, terrasse et jardin ETG 2: hall de nuit, 3 chambres et 1 salle de bains (avec baignoire, bidet et évier) ETG 3 : 1 grand grenier aménageable RC: 1.655€ Superficie: 2a 92ca Chauffage : mazout (air pulsé) Châssis: simple vitrage PEB : D Egout ok cave 1 Faire offre à partir de 300.000 euros
  • Aantal kamers: 3
  • Kadastraal inkomen: 1655 €
  • Vrij vanaf: Bij de akte
  • NOTALIBREX, société notariale
  • Contactpersoon: Pierre GLINEUR
  • Tel: (065) 64.13.98
  • Email: pierre.glineur@belnot.be
  • Bezoekgegevens
  • S'adresser en l'étude des Notaires GLINEUR & KOEUNE - site de Baudour au 065/64.13.98

Gronden

Noordoosthoek, 8301 Ramskapelle

Doe een bod van
122.910 €

Presentatiebeeld van het pand n° 291605
Online openbare verkoop
  • Referentie: 291605
  • Gemeente Knokke-Heist, negende afdeling (voorheen Ramskapelle) - Een perceel bouwland gelegen te Knokke-Heist (Ramskapelle), ter plaatse genaamd “Noordoosthoek”, gekend volgens titel onder de sectie A, deel van nummer 1/A en 2, met een gezamenlijke oppervlakte van dertigduizend honderdtweeënveertig vierkante meter (30.142 m²), en thans gekend op het kadaster (volgens kadastraal uittreksel in datum van 03 oktober 2025) als “bouwland”, onder de sectie A, nummer 0001DP0000, met een oppervlakte van twaalfduizend tweehonderdeenennegentig vierkante meter (12.291 m²), en een laatst gekend kadastraal inkomen van tweeënnegentig euro nul cent (€ 92,00). P score: D
  • Lopende verkoop
  • Startdatum: 09/02/2026 13:00
  • Einddatum: 17/02/2026 13:00
  • Geen bod: 1000 €
  • Kadastraal inkomen: 92 €
  • Vrij vanaf: Onmiddellijk
  • VVD NOTARISVENNOOTSCHAP
  • Contactpersoon: Anouchka DEMETS
  • Tel: (050) 40.40.40
  • Email: info@vvdnotarissen.be
  • Bezoekgegevens
  • Bezoeken via geassocieerde notarissen Van Damme, Van Damme & Delaere te 8200 Brugge (Sint-Andries). Voor een bezoek mag u contact opnemen per mail anouchka@vvdnotarissen.be of telefonisch op het nummer 050/40.40.40.

Gronden

Noordoosthoek, 8301 Ramskapelle

Doe een bod van
169.000 €

Presentatiebeeld van het pand n° 291607
Online openbare verkoop
  • Referentie: 291607
  • Gemeente Knokke-Heist, negende afdeling (voorheen Ramskapelle) - Een perceel bouwland gelegen te Knokke-Heist (Ramskapelle), ter plaatse genaamd “Noordoosthoek”, gekend volgens titel onder de sectie A, deel van nummer 1/A en 2, met een gezamenlijke oppervlakte van dertigduizend honderdtweeënveertig vierkante meter (30.142 m²), en thans gekend op het kadaster (volgens kadastraal uittreksel in datum van 03 oktober 2025) als “bouwland”, onder de sectie A, nummer 0002P0000, met een oppervlakte van zestienduizend negenhonderd vierkante meter (16.900 m²), en een laatst gekend kadastraal inkomen van honderdzesentwintig euro nul cent (€ 126,00). P score: D
  • Lopende verkoop
  • Startdatum: 09/02/2026 13:00
  • Einddatum: 17/02/2026 13:00
  • Geen bod: 1000 €
  • Kadastraal inkomen: 126 €
  • Vrij vanaf: Onmiddellijk
  • VVD NOTARISVENNOOTSCHAP
  • Contactpersoon: Anouchka DEMETS
  • Tel: (050) 40.40.40
  • Email: info@vvdnotarissen.be
  • Bezoekgegevens
  • Bezoeken via geassocieerde notarissen Van Damme, Van Damme & Delaere te 8200 Brugge (Sint-Andries). Voor een bezoek mag u contact opnemen per mail anouchka@vvdnotarissen.be of telefonisch op het nummer 050/40.40.40.

Gronden

Noordoosthoek, 8301 Ramskapelle

Doe een bod van
22.100 €

Presentatiebeeld van het pand n° 291608
Online openbare verkoop
  • Referentie: 291608
  • Gemeente Knokke-Heist, negende afdeling (voorheen Ramskapelle) - Een perceel bouwland gelegen te Knokke-Heist (Ramskapelle), ter plaatse genaamd “Noordoosthoek”, gekend volgens titel onder de sectie A, nummer 3A, oppervlakte van tweeduizend tweehonderdentien vierkante meter (2.210 m²), en thans gekend op het kadaster (volgens kadastraal uittreksel in datum van 03 oktober 2025) als “bouwland”, onder de sectie A, nummer 0003AP0000, met een identieke oppervlakte, en een laatst gekend kadastraal inkomen van veertien euro nul cent (€ 14,00). P score: D
  • Lopende verkoop
  • Startdatum: 09/02/2026 13:00
  • Einddatum: 17/02/2026 13:00
  • Geen bod: 1000 €
  • Kadastraal inkomen: 14 €
  • Vrij vanaf: Onmiddellijk
  • VVD NOTARISVENNOOTSCHAP
  • Contactpersoon: Anouchka DEMETS
  • Tel: (050) 40.40.40
  • Email: info@vvdnotarissen.be
  • Bezoekgegevens
  • Bezoeken via geassocieerde notarissen Van Damme, Van Damme & Delaere te 8200 Brugge (Sint-Andries). Voor een bezoek mag u contact opnemen per mail anouchka@vvdnotarissen.be of telefonisch op het nummer 050/40.40.40.

Gronden

Noordoosthoek, 8301 Ramskapelle

Doe een bod van
48.600 €

Presentatiebeeld van het pand n° 291609
Online openbare verkoop
  • Referentie: 291609
  • Gemeente Knokke-Heist, negende afdeling (voorheen Ramskapelle) - Een perceel bouwland gelegen te Knokke-Heist (Ramskapelle), ter plaatse genaamd “Noordoosthoek”, gekend volgens titel onder de sectie A, nummer 7, met een oppervlakte van vierduizend achthonderdzestig vierkante meter (4.860 m²), en thans gekend op het kadaster (volgens kadastraal uittreksel in datum van 03 oktober 2025) als “bouwland”, onder de sectie A, nummer 0007P0000, met een identieke oppervlakte en een laatst gekend kadastraal inkomen van tweeëndertig euro nul cent (€ 32,00). P score: D
  • Lopende verkoop
  • Startdatum: 09/02/2026 13:00
  • Einddatum: 17/02/2026 13:00
  • Geen bod: 1000 €
  • Kadastraal inkomen: 32 €
  • Vrij vanaf: Onmiddellijk
  • VVD NOTARISVENNOOTSCHAP
  • Contactpersoon: Anouchka DEMETS
  • Tel: (050) 40.40.40
  • Email: info@vvdnotarissen.be
  • Bezoekgegevens
  • Bezoeken via geassocieerde notarissen Van Damme, Van Damme & Delaere te 8200 Brugge (Sint-Andries). Voor een bezoek mag u contact opnemen per mail anouchka@vvdnotarissen.be of telefonisch op het nummer 050/40.40.40.

Huizen

110-112 Bergenstraat, 8020 Ruddervoorde

Doe een bod van
465.000 €

Presentatiebeeld van het pand n° 291611
Uit de hand
  • Referentie: 291611
  • In de Bergenstraat te Ruddervoorde (nr. 110–112) bevindt zich deze woning met veel potentieel, gelegen op een ruim perceel van 1.929 m². Dankzij de royale grondoppervlakte, de bijgebouwen en de afzonderlijke garage is dit een unieke opportuniteit voor wie op zoek is naar ruimte en mogelijkheden. De woning is op te frissen en omvat op het gelijkvloers een inkomhal, een living, een keuken, een badkamer met douche, toilet en lavabo, een berging en één slaapkamer. Op de eerste verdieping zijn er twee slaapkamers. Buiten geniet u van een zeer ruime tuin met diverse bijgebouwen, ideaal voor hobby’s, opslag of een atelier. De afzonderlijke garage vormt een extra troef. Deze eigendom biedt een uitstekende basis om naar eigen smaak te moderniseren, in een rustige omgeving met goede bereikbaarheid. G score: A P score: A
  • Aantal kamers: 3
  • Aantal badkamers: 1
  • Kadastraal inkomen: 594 €
  • Vrij vanaf: Bij de akte
  • Notariskantoor Denoo & Dewitte, geassocieerde notarissen
  • Contactpersoon: Els BOLLE
  • Tel: (050) 82.23.51
  • Email: els.bolle.179838@belnot.be

Huizen

17 Rozenlaan, 2980 Zoersel

Doe een bod van
484.000 €

Presentatiebeeld van het pand n° 291613
Online openbare verkoop
  • Referentie: 291613
  • In een rustige en groene woonomgeving. Op een perceel van 1.000 m². Biedt een aangename woonindeling en tal van mogelijkheden voor wie op zoek is naar ruimte en comfort. Via de inkomhal komt men in de lichtrijke leefruimte met eet- en zitplaats, die aansluit op de open ingerichte keuken. Dit zorgt voor een open en aangename leefomgeving. Op het gelijkvloers bevindt zich een apart toilet, een bergplaats, een inpandige garage en een veranda met zicht op de tuin. De tuin is ruim en biedt rust en privacy. Achteraan het perceel is er bovendien een vrijstaande garage met aansluitend een houten tuinhuis, ideaal als extra bergruimte of hobbyruimte. Op de eerste verdieping zijn 4 volwaardige slaapkamers en een badkamer uitgerust met een ligbad en een toilet. Daarnaast beschikt de woning over een zolderverdieping, bereikbaar via een schuiftrap, die kan dienen als bijkomende opslagruimte. Deze vrijstaande woning combineert een gunstige ligging met een ruim perceel en een praktische indeling, en vormt een interessante opportuniteit voor gezinnen of kopers die op zoek zijn naar een woning met potentieel. G score: A P score: B
  • Aantal kamers: 4
  • Oppervlakte van het woongedeelte: 290m2
  • Aantal badkamers: 1
  • Lopende verkoop
  • Startdatum: 16/02/2026 10:00
  • Einddatum: 24/02/2026 10:00
  • Geen bod: 1000 €
  • Kadastraal inkomen: 2226 €
  • Vrij vanaf: Andere
  • AGORA NOTARISSEN
  • Contactpersoon: Sanne NUYTEMANS
  • Tel: (03) 670.19.90
  • Email: sn@agoranotarissen.be
  • Bezoekgegevens
  • op zaterdag 24/1, 31/1, 7/2, 14/2, 21/2 van 10u tot 12u.

Appartementen

7/1 Kloosterlaan, 3001 Heverlee

Doe een bod van
360.000 €

Presentatiebeeld van het pand n° 291612
Online openbare verkoop
  • Referentie: 291612
  • Dit is de bieding voor enkel het appartement; er kan ook geboden worden op het appartement + garagebox. Kandidaat-kopers kunnen indien gewenst bieden op zowel de afzonderlijke loten en de massa. Ruim appartement op eerste verdieping, residentieel gelegen in Heverlee, op wandelafstand van het station van Heverlee en op korte afstand van het centrum van Leuven. Het appartement heeft een inkomhal, keuken, woonkamer- en eetkamer, badkamer, 2 wc's, 4 slaapkamers, berging, vernieuwd terras en een kelder in de ondergrondse verdieping. De woning wordt elektrisch verwarmd. Er is een lift aanwezig in het gebouw. G score: A P score: A
  • Aantal kamers: 4
  • Oppervlakte van het woongedeelte: 155m2
  • Aantal badkamers: 1
  • Lopende verkoop
  • Startdatum: 02/02/2026 10:00
  • Einddatum: 10/02/2026 10:00
  • Geen bod: 1000 €
  • Kadastraal inkomen: 1846 €
  • Vrij vanaf: Bij de akte
  • JANSEN, WALLAYS & DE MEUTTER
  • Contactpersoon: Anouska VANDEN BEMPT
  • Tel: 016241192
  • Email: avb@notarissen-vaart.be
  • Bezoekgegevens
  • Zonder voorafgaandelijke afspraak, vanaf zaterdag 10 januari 2026 tot en met zaterdag 7 februari 2026: elke zaterdag van 14u-16u en elke woensdag van 13u-15u

Gronden

14 Gebroeders Romboutsstraat, 2800 Mechelen

Doe een bod van
185.000 €

Presentatiebeeld van het pand n° 291617
Uit de hand
  • Referentie: 291617
  • Met een oppervlakte van 2a 38ca. Recht naast huisnummer 16. Mogelijkheid tot bouwen mits bekomen van verkavelingsvergunning of stedenbouwkundig attest. Geschikt voor gesloten bebouwing. De grond is regelmatig van vorm en heeft een perceelsbreedte van 6 meter. De eigendom is residentieel gelegen aan een baan met enkel plaatselijk verkeer. Het centrum van Mechelen ligt op ca 2 kilometer. De tuin is zuidwaarts georiënteerd. BIEDEN en MEER INFORMATIE te vinden via de BIDDIT-site, gelieve de link https://www.biddit.be/nl/catalog/detail/291617 te gebruiken. P score: A
  • Vrij vanaf: Bij de akte
  • Luyten & Spruyt
  • Contactpersoon: Kantoor Not. Luyten & Spruyt
  • Tel: (015) 28.52.10
  • Email: info@luyten-spruyt.be
  • Bezoekgegevens
  • vrij te bezichtigen.

Huizen

145 Scheutlaan, 1070 Anderlecht

Doe een bod van
230.000 €

Presentatiebeeld van het pand n° 291151
Online openbare verkoop
  • Referentie: 291151
  • Een eigendom (volgens kad. woonhuis) Gelegen Scheutlaan 145-147 omvattende woonhuis met 1,5 verdiep, kantoren, werkplaats met opslagplaats. Opp. 1a 74ca. N.g.k.i. 1.621€. Vrij van gebruik. Gemengd gebied, parkzone. Contr. elektr. niet conform. Bezoeken : woensdagen 7-14-21-28/1, 4/2 van 10-12u en zaterdagen 10-17-24-31/1 van 11u30-13u30. Begin biedingen : woensdag. 28.01.26 om 12u – Einde biedingen : donderdag 05.02.26 om 12u - Instelprijs : 230.000€ - Bodverhoging : 1.000€ - Ondertekening akte : donderdag 12.02.26 om 11u - www.biddit.be - Ref. pand : 291151
  • Aantal kamers: 2
  • Lopende verkoop
  • Startdatum: 28/01/2026 12:00
  • Einddatum: 05/02/2026 12:00
  • Geen bod: 1000 €
  • Kadastraal inkomen: 1621 €
  • Vrij vanaf: Bij de akte
  • Knops & Devleeschouwer - notaires associés
  • Contactpersoon: Stéphane DETIENNE
  • Tel: (02) 262.05.50
  • Email: stephane.detienne.353063@belnot.be
  • Bezoekgegevens
  • woensdagen 7-14-21-28/1, 4/2 van 10-12u en zaterdagen 10-17-24-31/1 van 11u30-13u30.

Huizen

69 Rue du Tige, 5580 Rochefort

Doe een bod van
140.000 €

Presentatiebeeld van het pand n° 291623
Uit de hand
  • Referentie: 291623
  • Maison à proximité du centre de Rochefort, offrant de beaux espaces et se situant à deux pas de toutes les commodités (magasin, transport en commun, école,...). Composition : - RDC : Salon, salle à manger, cuisine, hall, salle de bain, pour une superficie totale de 67 m² + 1 garage ; - 1er étage : 2 chambres à coucher, 1bureau, hall, pour une superficie totale de 48,41 m² ; - 2ème étage : 1 chambre et 1 grenier, pour une superficie totale de 44 m². - Extérieur : 1 cour Remarques : toit en bon état, cuisine équipée, châssis double vitrage, PEB E (20240920010582). Faire offre à partir de 140.000,00 €, sous réserve d'acceptation par les vendeurs. Ces visites seront organisées sur rendez-vous par l'étude. Visites sur RDV au 082/21.10.10.
  • Aantal kamers: 3
  • Aantal badkamers: 1
  • Kadastraal inkomen: 567 €
  • Vrij vanaf: Bij de akte
  • Notaire Nathalie COMPERE, Société notariale
  • Contactpersoon: Victorien MELCHIOR
  • Tel: (084) 21.10.10
  • Email: victorien.melchior.107847@belnot.be
  • Bezoekgegevens
  • Ces visites seront organisées sur rendez-vous par l'étude. Visites sur RDV au 082/21.10.10.

Huizen

2 Gohimont, 4960 Bevercé

Doe een bod van
385.000 €

Presentatiebeeld van het pand n° 291460
Uit de hand
  • Referentie: 291460
  • À découvrir sans attendre! Dans un environnement verdoyant et calme, cette spacieuse villa à parachever vous offre un énorme potentiel. Implantée sur un magnifique terrain de plus de 5.000 m² agrémenté d’un étang privé. Elle se compose comme suit: - Rez-de-chaussée : Hall d’entrée spacieux, séjour lumineux avec vue sur le jardin, cuisine, 2 chambres à coucher, salle de bain, garage et buanderie ; - A l'étage: 3 chambres dont une suite parentale avec salle de bain privative (à terminer), salle de bain supplémentaire (à terminer) et hall de nuit avec accès direct à une grande terrasse ; - Très grand grenier offrant de nombreuses possibilités d’aménagement. Villa contemporaine à terminer selon vos goûts et besoins, volumes généreux et belle disposition des pièces Visite virtuelle : https://tour.giraffe360.com/ea325d44ba104c9da1327a0941e91d9a Techniques: chauffage central au mazout, double vitrage, PEB classe D (282 kWh/m².an - 66 916 kWh/an).
  • Aantal kamers: 6
  • Oppervlakte van het woongedeelte: 238m2
  • Aantal badkamers: 3
  • Kadastraal inkomen: 1014 €
  • Vrij vanaf: Bij de akte
  • Anne-Catherine Wathelet Notaire
  • Contactpersoon: Ingrid LELOTTE
  • Tel: (087) 22.51.61
  • Email: ingrid.lelotte.357909@belnot.be
  • Bezoekgegevens
  • Visite uniquement sur rendez-vous

Huizen

90 Rue des Gaulx, 6180 Courcelles

Doe een bod van
60.000 €

Presentatiebeeld van het pand n° 291621
Online openbare verkoop
  • Referentie: 291621
  • Maison d'habitation avec jardin séparé comprenant: Rez: espace salle à manger avec cuisine équipée et salon Etage 1: 2 chambres, salle de bain Etage 2: 1 chambre et grenier Cave Jardin séparé de 315 ca à proximité, rue du Sécheron
  • Aantal kamers: 3
  • Lopende verkoop
  • Startdatum: 03/02/2026 13:00
  • Einddatum: 11/02/2026 13:00
  • Geen bod: 1000 €
  • Kadastraal inkomen: 285 €
  • Vrij vanaf: Te bepalen
  • LEBRUN Olivier
  • Contactpersoon: Laurence SCORNAUX
  • Tel: (071) 45.56.47
  • Email: laurence.scornaux.111690@belnot.be
  • Bezoekgegevens
  • RDV à prendre avec l'étude du Notaire Olivier LEBRUN (071/45.56.47)

Huizen

3 Avenue de l'Eglise, 7860 Lessines

Doe een bod van
110.000 €

Presentatiebeeld van het pand n° 291402
Uit de hand
  • Referentie: 291402
  • Maison d'habitation 2 façades avec jardin. Comprenant: Au rez-de-chaussée: un hall d'entrée, un salon ouvert sur une salle à manger, une cuisine, une salle de douche, une buanderie et un jardin. À l’étage: 3 chambres, un bureau et un grenier aménageable. Au sous-sol: cave. Aspects techniques : châssis simple & double vitrage, chauffage central au gaz. Maison à rénover offrant un beau potentiel et à proximité du centre de Lessines. Renseignements, visites et offres : étude du Notaire Donatienne d'Harveng au 068/33.84.14
  • Aantal kamers: 3
  • Aantal badkamers: 1
  • Kadastraal inkomen: 468 €
  • Vrij vanaf: Bij de akte
  • Donatienne d´HARVENG, Notaire
  • Contactpersoon: Laeticia CAVELIER
  • Tel: (068) 33.84.14
  • Email: laeticia.cavelier.125450@belnot.be
  • Bezoekgegevens
  • Sur rendez-vous avec l'étude du Notaire Donatienne d'Harveng au 068/33.84.14

Huizen

46 Lauwsestraat, 8511 Aalbeke

Doe een bod van
130.000 €

Presentatiebeeld van het pand n° 291633
Online openbare verkoop
  • Referentie: 291633
  • Perceel grond (856m²) met polyvalente zaal. Mogelijkheid tot sloop en bouw van 2 tot 3 woningen. G score: D P score: D
  • Lopende verkoop
  • Startdatum: 28/01/2026 15:00
  • Einddatum: 05/02/2026 15:00
  • Geen bod: 1000 €
  • Kadastraal inkomen: 1432 €
  • Vrij vanaf: Bij de akte
  • DAELS, DAELS, DEFAUW & PARK Geassocieerde notarissen
  • Contactpersoon: Michiel DAELS
  • Tel: (056) 26.50.30
  • Email: michiel.daels@belnot.be
  • Bezoekgegevens
  • Woensdag 14 januari 2026 van 14u tot 16u; Vrijdag 23 januari 2026 van 14u tot 16u; Vrijdag 30 januari 2026 van 14u tot 16u

Huizen

31 Rue du Maïeur Jean Duhot, 7350 Thulin

Doe een bod van
170.000 €

Presentatiebeeld van het pand n° 291249
Uit de hand
  • Referentie: 291249
  • Maison 4 façades comprenant: Rez-de-chaussée à réaménager Hall d’entrée, plusieurs pièces (salon – salle à manger – ancienne cuisine -ancienne salle de bains) Caves Etages : -Salle de bain avec baignoire, évier simple, wc -Cuisine équipée avec coin à manger (four, taque et hotte) Frigo et Lave vaisselle ne font pas partie de la vente -Salon -Bureau ou chambre d’enfant, une chambre à l’avant, une chambre à l’arrière Grenier aménageable non isolé Toiture de la deuxième partie de la maison complètement refaite et isolée 2 compteurs gaz et électricité déjà installés Chauffage gaz, chassis double vitrage. Grand jardin
  • Aantal kamers: 2
  • Kadastraal inkomen: 503 €
  • Vrij vanaf: Te bepalen
  • Anne WUILQUOT et Emmanuel NIZET, notaires associés
  • Contactpersoon: Félicia SALEMI
  • Tel: (065) 71.81.20
  • Email: felicia.salemi.352189@belnot.be

Huizen

66 Rue Naniot, 4000 Liège

Doe een bod van
240.000 €

Presentatiebeeld van het pand n° 289129
Uit de hand
  • Referentie: 289129
  • RENSEIGNEMENTS FOURNIS DE BONNE FOI MAIS SANS GARANTIE Ville de Liège – 2ème division Une maison sise rue Naniot 66 cadastrée section D numéro 0445S3P0000 pour une superficie de 126 mètres carrés et un revenu cadastral de 820 euros. Composition : Rez de chaussée : - Couloir carrelé, living + salon (moquette), cuisine équipée, un WC 1er étage : - Salle de bain composée d’une douche et d’un évier (linoléum) - Deux chambres à coucher dont une avec moquette 2ème étage : - Un salon, une cuisine, une salle de bain composée d’une douche, d’un évier et d’un WC, - Une grande chambre à coucher Jardin au moins deux Plusieurs caves (châssis simple vitrage en bois) Caractéristiques : - PEB : numéro 20250910022286 /Espe : 46.529 kWh/an/catégorie D/ 314 kWh/m²/an, - Installation électrique : Non conforme, Chauffage au gaz, - Châssis double vitrage en PVC et en aluminium dans la cuisine (volets sur certains châssis), - Toiture en ordre, - Chaudière en ordre. Visites : Renseignements en l’Etude (04/252.18.72) Occupation : Occupé, bien libre à l'acte. PRIX DEMANDE : 240.000 € Possibilité de bénéficier des taux d’enregistrement réduits si toutes les conditions sont remplies.
  • Aantal kamers: 3
  • Aantal badkamers: 2
  • Kadastraal inkomen: 820 €
  • Vrij vanaf: Bij de akte
  • Gabriel RASSON & Benjamine WILKIN , société notariale
  • Contactpersoon: Emilie LEONARD
  • Tel: (04) 252.18.72
  • Email: emilie.leonard.356712@belnot.be
  • Bezoekgegevens
  • Prendre contact avec l'étude du notaire Wilkin

Huizen

23 Rue Emile-Lessire, 5150 Floreffe

Doe een bod van
240.000 €

Presentatiebeeld van het pand n° 291627
Online openbare verkoop
  • Referentie: 291627
  • Dans la région "Entre-Sambre-et-Meuse", située dans le beau village de Buzet au cœur de la commune de Floreffe, charmante maison entièrement rénovée d'une superficie habitable de +/- 130 m², avec terrasse et jardin, se composant comme suit : au rez-de-chaussée : un hall d'entrée, un WC, un bureau, une chaufferie, une cuisine équipée ouverte sur un grand living avec feu ouvert ; à l'étage : un hall de nuit, une salle de bain et 3 chambres (de 12m², 12m² et 9 m²). Fait également partie de la vente : un quart indivis en pleine propriété d'une parcelle de bois située à l'arrière du bien (cadastrée numéro 0381BP0000) d'une superficie de 7 ares 70 centiares, offrant une vue boisée et une absence de vis-à-vis à l'arrière de la propriété. Bien proche de toutes les facilités (écoles, commerces,...) et des grands axes routiers (autoroute E42, N90,...). Châssis en PVC double vitrage. Citerne à mazout d'une contenance de 2.400 litres. PEB : D. Grande terrasse de +/- 30 m². Garage d'une superficie de +/- 32 m². Pour les visites, s'adresser à Mathieu que vous pouvez joindre au 0477/36 25 93.
  • Aantal kamers: 3
  • Aantal badkamers: 1
  • Lopende verkoop
  • Startdatum: 24/02/2026 14:00
  • Einddatum: 04/03/2026 14:00
  • Geen bod: 1000 €
  • Kadastraal inkomen: 1110 €
  • Vrij vanaf: Bij de akte
  • ALEXANDRE HÉBRANT, NOTAIRES ASSOCIES
  • Contactpersoon: Gaelle LEMAIRE
  • Tel: (081) 22.01.13
  • Email: gaelle.lemaire.112524@belnot.be
  • Bezoekgegevens
  • Pour les visites, s'adresser à Mathieu que vous pouvez joindre au 0477/36 25 93.

Huizen

6 Regentiestraat, 9100 Sint-Niklaas

Doe een bod van
255.000 €

Presentatiebeeld van het pand n° 278805
Uit de hand
  • Referentie: 278805
  • Charmante duplex in hartje Sint-Niklaas. Instapklaar appartement met een bewoonbare oppervlakte van 130 vierkante meter gelegen op de eerste en tweede verdieping.. De woning combineert een functionele indeling met een rijke lichtinval en authentieke elementen. Via de ruime inkomhal leidt de marmeren trap je naar de eerste verdieping, Daar bevindt zich een volledig ingerichte keuken, de ruime woonkamer met aansluitend een veranda of terras als je de schuiframen openzet. Een ruime slaapkamer en een badkamer met douche, ligbad, toilet en lavabo en aansluiting voor een wasmachine. Deze verdieping is ook nog voorzien van een bergruimte. Op de tweede verdieping is nog een grote slaapkamer en volledig ingerichte badkamer. Centrale verwarming op gas en hoogrendementsbeglazing. Bezoeken via telefonisch contact met de eigenaar 0498474352 G score: A P score: A
  • Aantal kamers: 2
  • Aantal badkamers: 2
  • Kadastraal inkomen: 677 €
  • Vrij vanaf: Bij de akte
  • D´hoore Ann Michèle notarisvennootschap
  • Contactpersoon: Lara VANOUTRIVE
  • Tel: 0498474352
  • Email: sander.vanacker57@gmail.com
  • Bezoekgegevens
  • via telefonisch contact met de eigenaar 0498474352

Appartementen

6 Regentiestraat, 9100 Sint-Niklaas

Doe een bod van
255.000 €

Presentatiebeeld van het pand n° 279051
Uit de hand
  • Referentie: 279051
  • Charmante duplex in hartje Sint-Niklaas. Instapklaar appartement met een bewoonbare oppervlakte van 130 vierkante meter gelegen op de eerste en tweede verdieping.. De woning combineert een functionele indeling met een rijke lichtinval en authentieke elementen. Via de ruime inkomhal leidt de marmeren trap je naar de eerste verdieping, Daar bevindt zich een volledig ingerichte keuken, de ruime woonkamer met aansluitend een veranda of terras als je de schuiframen openzet. Een ruime slaapkamer en een badkamer met douche, ligbad, toilet en lavabo en aansluiting voor een wasmachine. Deze verdieping is ook nog voorzien van een bergruimte. Op de tweede verdieping is nog een grote slaapkamer en volledig ingerichte badkamer. Centrale verwarming op gas en hoogrendementsbeglazing. Bezoeken via telefonisch contact met de eigenaar 0498474352 G score: A P score: A
  • Aantal kamers: 2
  • Aantal badkamers: 2
  • Kadastraal inkomen: 677 €
  • Vrij vanaf: Bij de akte
  • D´hoore Ann Michèle notarisvennootschap
  • Contactpersoon: Lara VANOUTRIVE
  • Tel: 0498474352
  • Email: sander.vanacker57@gmail.com
  • Bezoekgegevens
  • Bezoek via telefonisch contact met de eigenaar 0498474352

Handelspanden

46 Place Albert Ier, 6820 Florenville

Doe een bod van
215.000 €

Presentatiebeeld van het pand n° 291636
Uit de hand
  • Referentie: 291636
  • Emplacement idéalement situé sur la Place Albert 1er, cœur dynamique du centre-ville de Florenville – un lieu en pleine transformation urbaine, pensé pour attirer vie locale, événements et visiteurs. Ville connue pour son accueil, ses commerces, cafés et restaurants ouverts aussi le dimanche, ainsi que pour sa position au cœur de la vallée de la Semois. Votre futur commerce sur 3 niveaux Imaginez votre activité prospérer dans un bâtiment idéalement structuré comprenant : ? Commerce principal visible depuis la place ? 3 étages polyvalents ? Réserve spacieuse ? Chaudière récente Viessmann ? Double vitrage, confort et économies d’énergie Parfaitement adapté aux activités de proximité, artisanales et orientées vers l’expérience client, peu sensibles à la concurrence du e-commerce, à savoir, par exemple : - Commerce de bouche, traiteur, épicerie fine - Crêperie ou salon de thé - Bar à vins / cave à dégustation - Pâtisserie artisanale / boulangerie locale - Magasin de produits du terroir / circuits courts Le plus ? La place est en train de devenir un point névralgique d’animations, marchés et vie sociale, avec une halle récemment inaugurée qui attire habitants et visiteurs ! Un emplacement porteur pour les commerçants qui veulent créer du lien, proposer une expérience locale et profiter de la redynamisation du centre-ville.
  • Kadastraal inkomen: 2974 €
  • Vrij vanaf: Bij de akte
  • Christophe VAZQUEZ & Marie GERARD - Notaires associés
  • Contactpersoon: Belinda HEINEN
  • Tel: (061) 31.14.77
  • Email: belinda.heinen.126615@belnot.be

Huizen

13A Piepestraat, 3770 Riemst

Doe een bod van
190.000 €

Presentatiebeeld van het pand n° 291644
Online openbare verkoop
  • Referentie: 291644
  • Rustig gelegen belle-étage woning met tuin en garage, in de dorpskern van Zichen-Zussen-Bolder. Op de gelijkvloerse verdieping bevindt zich de inkomhal, ingerichte keuken, living en WC. Op de eerste verdieping zijn er 2 slaapkamers, een badkamer en een berging/kleine slaapkamer. De woning is onderkelderd; de garage bevindt zich onder de woning en is afgesloten met een sectionale poort. In de zuidwestelijk gerichte tuin is er een aangelegd terras en tuinhuis. De woning heeft EPC-label C. Supermarkt, bakker, apotheek, school en bushalte zijn op wandelafstand bereikbaar. De woning is gelegen binnen de perimeter van de mergelgroeven; het advies van de gemeente Riemst kan integraal nagelezen worden in de verkoopsvoorwaarden. Er zijn erfdienstbaarheden van waterafvoer van de dakgoten, toegang tot de disconnector vooraan de woning en recht van licht en zicht voor de aanpalende woning. Ook dit wordt uitvoerig omschreven in de verkoopsvoorwaarden. G score: B P score: B
  • Aantal kamers: 2
  • Oppervlakte van het woongedeelte: 90m2
  • Aantal badkamers: 1
  • Lopende verkoop
  • Startdatum: 23/02/2026 12:00
  • Einddatum: 03/03/2026 12:00
  • Geen bod: 1000 €
  • Kadastraal inkomen: 423 €
  • Vrij vanaf: Bij de akte
  • Vuylsteke & Bunkens
  • Contactpersoon: Liesbeth COENEGRACHTS
  • Tel: (012) 44.01.44
  • Email: liesbeth.coenegrachts@vbnot.be
  • Bezoekgegevens
  • Na telefonische afspraak met het kantoor van notarissen Vuylsteke & Bunkens

Huizen

8 Rue de la Résistance, 6698 Grand-Halleux

Doe een bod van
110.000 €

Presentatiebeeld van het pand n° 291595
Online openbare verkoop
  • Referentie: 291595
  • Immeuble à rénover composé de 3 appartements et une ancienne surface commerciale située dans le centre de Grand-Halleux. Ce bien se compose comme suit: 1: Ancienne surface commerciale, garage, réserves et atelier. 2: Appartement situé au rez-de-chaussée composé de: hall, cuisine, salle de bains, séjour, ddébarras et de 2 chambres. Chauffage central au mazout. Loué (sans bail écrit, sans caution et sans état des lieux) à 450 €. 3: Appartement situé au 1er et 2ème étage composé de: 1 pièce non-aménagée, hall, cuisine, séjour, 4 chambres et 1 salle de bains. Les pièces au 2ème étage peuvent être aménagées en pièce de vie mansardées. Chauffage central au mazout. Libre. 4: Appartement éventuelle possible situé au 1er étage (en cours d'aménagement) sous réserve de l'autorisation de la commune (permis expiré).Chauffage central au gaz. 5: Appartement situé au 1er étage et 2ème étage mansardé composé de: cuisine, séjour, salle de bains, buanderie et 1 chambre au 2ème étage. Chauffage central au gaz. Loué (avec bail et état des lieux mais sans caution) à 480 €. Jardin à droite de l'immeuble. Electricité conforme pour l'appartement 5, le reste non conforme (5 compteurs). 4 compteurs d'eau. Panneaux photovoltaïques, fosse septique, citerne à gaz. Merci de ne pas déranger les occupants.
  • Aantal kamers: 7
  • Lopende verkoop
  • Startdatum: 23/02/2026 14:00
  • Einddatum: 03/03/2026 14:00
  • Geen bod: 1000 €
  • Kadastraal inkomen: 3969 €
  • Vrij vanaf: Andere
  • Cesar, Bernard
  • Contactpersoon: Celine JACOT
  • Tel: (080) 86.20.23
  • Email: celine.jacot.125781@belnot.be
  • Bezoekgegevens
  • Prendre rendez-vous en l'Etude

Huizen

3 Rue de la Poste, 6850 Offagne

Doe een bod van
150.000 €

Presentatiebeeld van het pand n° 291598
Uit de hand
  • Referentie: 291598
  • Au cœur du village d’Offagne, cette maison du début du 20ième siècle à restaurer construite sur un terrain de 10 ares 04 centiares dispose d’un grand jardin arboré et se compose comme suit : Sous-sol : salle de bains avec wc, chaufferie, cave donnant accès au jardin Rez-de-chaussée : hall d’entrée, 2 pièces de 16 m² à usage de cuisine et de salon/salle-à-manger, une cage d’escaliers Etage : 2 pièces de 16 m² à usage de chambre, une cage d’escaliers Grenier Garage mitoyen indépendant avec porte sectionnelle électrique, atelier avec cuve à mazout, ayant un accès direct au jardin. Toiture en ardoises (bon état), châssis bois simple vitrage avec volets, compteur bihoraire, chaudière Buderus.
  • Aantal kamers: 2
  • Aantal badkamers: 1
  • Kadastraal inkomen: 292 €
  • Vrij vanaf: Bij de akte
  • FRANCOIS GILSON, NOTAIRE
  • Contactpersoon: Etienne ISTACE
  • Tel: (061) 53.31.90
  • Email: etienne.istace.108753@belnot.be
  • Bezoekgegevens
  • visites sur rendez-vous en l'étude

Huizen

20A Van Eycklaan, 3590 Diepenbeek

Doe een bod van
295.000 €

Presentatiebeeld van het pand n° 291639
Online openbare verkoop
  • Referentie: 291639
  • Moderne halfopen woning met inpandige garage en tuin in een residentiele omgeving te Diepenbeek. Gelijkvloers: inpandige garage, inkomhal, toilet, keuken, leefruimte en berging. Verdiep: nachthal, 3 slaapkamers, toilet, 1 badkamer met douche en 1 lavabo en 1 badkamer met bad en dubbele lavabo. G score: A P score: A
  • Aantal kamers: 3
  • Aantal badkamers: 2
  • Lopende verkoop
  • Startdatum: 09/02/2026 14:00
  • Einddatum: 17/02/2026 14:00
  • Geen bod: 1000 €
  • Kadastraal inkomen: 802 €
  • Vrij vanaf: Bij de akte
  • Van der Linden & Vleugels, geassocieerde notarissen
  • Contactpersoon: Lize VRANKEN
  • Tel: (011) 45.53.00
  • Email: lize.not@riaat.be
  • Bezoekgegevens
  • Het goed zal door kandidaat-kopers kunnen bezocht worden op zaterdag 31 januari 2026 en zaterdag 7 februari 2026, telkens van 10u tot 12u. Kandidaat-kopers kunnen zich op deze momenten aanbieden aan de woning.

Gronden

Rue de la Carrière, 5543 Heer

Doe een bod van
35.000 €

Presentatiebeeld van het pand n° 260856
Uit de hand
  • Referentie: 260856
  • Beau terrain de 8 ares en zone d'habitat. Façade +- 35m, semblant équipé, libre. Prix souhaité: 35.000,00 EUR sauf offre supérieure. Renseignements en l’étude.
  • Vrij vanaf: Bij de akte
  • Philippe LAURENT, société notariale
  • Contactpersoon: Chloé GRIDLET
  • Tel: (082) 71.14.24
  • Email: chloe.gridlet.133918@belnot.be
  • Bezoekgegevens
  • Sur place

Appartementen

6-14 Zwedenstraat, 1060 Sint-Gillis

Doe een bod van
170.000 €

Presentatiebeeld van het pand n° 291641
Online openbare verkoop
  • Referentie: 291641
  • In een gebouw genaamd « residentie ZUID-ZWEDEN » gelegen Zwedenstraat 6-14 Het appartement « A.52 » op 5e verd. Een ruim appartement in een goed onderhouden en modern gebouw, ideaal gelegen, nabij handelszaken en openbaar vervoer. Omvattende inkomhal, living, keuken, wasplaats, nachthal, wc, 2 slaapkamers, badkamer, kelder nr 9, autostaanplaats nr 16 op ondergr. verd. N.g.k.i. 1.098€. Bewoond door eigenaar. Woongebied. EPC B/78. Contr. elektr. niet conform. Bezoeken : zaterdagen 17-24-31/1 van 10-12u en woensdagen 14-21-28/1 van 13-15u. Begin biedingen : zondag 25.01.26 om 12u - Einde biedingen : maandag 02.02.26 om 12u - Instelprijs : 170.000€ - Bodverhoging : 1.000€ - Ondertekening akte : woensdag 04.02.26 om 14u - www.biddit.be - Ref. pand : 291641.
  • Aantal kamers: 2
  • Aantal badkamers: 1
  • Lopende verkoop
  • Startdatum: 25/01/2026 12:00
  • Einddatum: 02/02/2026 12:00
  • Geen bod: 1000 €
  • Kadastraal inkomen: 1098 €
  • Vrij vanaf: Bij de akte
  • Guy DESCAMPS, société notariale
  • Contactpersoon: Elisabeth RUBBERS
  • Tel: (02) 537.37.01
  • Email: elisabeth.rubbers@thibaut-descamps.be
  • Bezoekgegevens
  • zaterdagen 17-24-31/1 van 10-12u en woensdagen 14-21-28/1 van 13-15u.

Huizen

79 Rue de Jurbise, 7011 Ghlin

Doe een bod van
290.000 €

Presentatiebeeld van het pand n° 291599
Uit de hand
  • Referentie: 291599
  • Belle maison de commerce avec garages située à proximité des grands axes routiers pour une contenance selon cadastre de 3 ares 30 centiares comprenant : une cave non utilisée au sous-sol ; au rez de chaussée : un hall d’entrée, une pièce utilisée auparavant comme espace de vente, un grand salon/salle à manger, une cuisine semi-équipée, une SDD, un WC séparé, une cour avec jardin, une grande buanderie, 4 garages dont 1 double avec un espace voiture et une place occupée par la chaudière et la cuve à mazout. Au 1er étage : 2 chambres dont une avec dressing, une salle de jeu/bureau, une SDD avec WC. Au 2ème étage : 2 chambres avec un grand grenier aménageable. Double vitrage, CC au mazout (cuve 2.400L) + insert à bois dans le salon. 3 chambres sont équipées d’une climatisation alimentée par un moteur. Adoucisseur d’eau. Une citerne d’eau de pluie non utilisée. La toiture des garages a été refaite en 2025. Installation électrique conforme. PEB D. Descriptif non contractuel - Faire offre à partir de 290.000 € - Visites sur rdv – s’adresser à l’Etude 065/23.53.12.
  • Aantal kamers: 4
  • Kadastraal inkomen: 1303 €
  • Vrij vanaf: Bij de akte
  • NOTALAW
  • Contactpersoon: Morgane VELDEMAN
  • Tel: (065) 23.53.12
  • Email: morgane.veldeman.126227@belnot.be

Gronden

Noordoosthoek, 8301 Ramskapelle

Doe een bod van
362.610 €

Presentatiebeeld van het pand n° 291610
Online openbare verkoop
  • Referentie: 291610
  • Knokke-Heist, negende afdeling (voorheen Ramskapelle) - De percelen bouwland gelegen te Knokke-Heist (Ramskapelle), ter plaatse genaamd “Noordoosthoek”. Samenvoeging koop 1, koop 2, koop 3 en 4 (de massa) voor een totale oppervlakte van 36.261m² & K.I.: € 264,00. Drie percelen zijn afdoende bereikbaar vanaf de openbare weg; een perceel is enkel toegankelijk over percelen toebehorend aan derden. De percelen worden allen benut als bouwland. Ze situeren zich langsheen en inwaarts de Heistlaan tegenover huisnummer 354. Het Perceel 1/D is van de openbare weg gescheiden door een gracht. De noordoostelijke grens van perceel nummer 7 wordt gevormd door een ondiepe gracht. De zuidoostelijke grens van de vier percelen situeert zich in het midden van de daar gelegen gracht. P score: D
  • Lopende verkoop
  • Startdatum: 09/02/2026 13:00
  • Einddatum: 17/02/2026 13:00
  • Geen bod: 1000 €
  • Kadastraal inkomen: 264 €
  • Vrij vanaf: Onmiddellijk
  • VVD NOTARISVENNOOTSCHAP
  • Contactpersoon: Anouchka DEMETS
  • Tel: (050) 40.40.40
  • Email: info@vvdnotarissen.be
  • Bezoekgegevens
  • Bezoeken via geassocieerde notarissen Van Damme, Van Damme & Delaere te 8200 Brugge (Sint-Andries). Voor een bezoek mag u contact opnemen per mail anouchka@vvdnotarissen.be of telefonisch op het nummer 050/40.40.40.

Garage

7 Kloosterlaan, 3001 Heverlee

Doe een bod van
30.000 €

Presentatiebeeld van het pand n° 291614
Online openbare verkoop
  • Referentie: 291614
  • Dit is de bieding voor enkel de garage; er kan ook geboden worden op het appartement + garagebox. Kandidaat-kopers kunnen indien gewenst bieden op zowel de afzonderlijke loten en de massa. Garagebox in de kelderverdieping, met mogelijk ruimte voor 2 wagens (ongeveer 39m²), residentieel gelegen in Heverlee, op wandelafstand van het station van Heverlee en op korte afstand van het centrum van Leuven. G score: A P score: A
  • Lopende verkoop
  • Startdatum: 02/02/2026 11:00
  • Einddatum: 10/02/2026 11:00
  • Geen bod: 1000 €
  • Vrij vanaf: Bij de akte
  • JANSEN, WALLAYS & DE MEUTTER
  • Contactpersoon: Anouska VANDEN BEMPT
  • Tel: 016241192
  • Email: avb@notarissen-vaart.be
  • Bezoekgegevens
  • Zonder voorafgaandelijke afspraak, vanaf zaterdag 10 januari 2026 tot en met zaterdag 7 februari 2026: elke zaterdag van 14u-16u en elke woensdag van 13u-15u

Appartementen

7/1 Kloosterlaan, 3001 Heverlee

Doe een bod van
400.000 €

Presentatiebeeld van het pand n° 291615
Online openbare verkoop
  • Referentie: 291615
  • Dit is de bieding voor het appartement + garagebox. Er kan ook geboden worden op het appartement en de garage afzonderlijk. Kandidaat-kopers kunnen indien gewenst bieden op zowel de afzonderlijke loten en de massa. Ruim appartement op eerste verdieping, residentieel gelegen in Heverlee, op wandelafstand van het station van Heverlee en op korte afstand van het centrum van Leuven. Het appartement heeft een inkomhal, keuken, woonkamer- en eetkamer, badkamer, 2 wc's, 4 slaapkamers, berging, vernieuwd terras en een kelder in de ondergrondse verdieping. De woning wordt elektrisch verwarmd. Garagebox is tevens gelegen in de kelderverdieping, met mogelijk ruimte voor 2 wagens (ongeveer 39m²). Er is een lift aanwezig in het gebouw. G score: A P score: A
  • Aantal kamers: 4
  • Oppervlakte van het woongedeelte: 155m2
  • Aantal badkamers: 1
  • Lopende verkoop
  • Startdatum: 03/02/2026 11:00
  • Einddatum: 11/02/2026 11:00
  • Geen bod: 1000 €
  • Kadastraal inkomen: 1846 €
  • Vrij vanaf: Bij de akte
  • JANSEN, WALLAYS & DE MEUTTER
  • Contactpersoon: Anouska VANDEN BEMPT
  • Tel: 016241192
  • Email: avb@notarissen-vaart.be
  • Bezoekgegevens
  • Zonder voorafgaandelijke afspraak, vanaf zaterdag 10 januari 2026 tot en met zaterdag 7 februari 2026: elke zaterdag van 14u-16u en elke woensdag van 13u-15u

Kantoren

10 Sint-Guidocorso, 1070 Anderlecht

Doe een bod van
285.000 €

Presentatiebeeld van het pand n° 291152
Online openbare verkoop
  • Referentie: 291152
  • Een administratief gebouw Gelegen Sint-Guidocorso 10 voor een oppervlakte van 90ca. N.g.k.i. 2.570€. Vrij van gebruik. Woongebied, GCHEWS, structurerende ruimte, omringd door handelskern. Contr. elektr. niet conform. Bezoeken : woensdagen 7-14-21-28/1, 4/2 van 12u30-14u30 en zaterdagen 10-17-24-31/1 van 9-11u. Begin biedingen : woensdag. 28.01.26 om 12u - Einde biedingen : donderdag 05.02.26 om 12u - Instelprijs : 285.000€ - Bodverhoging : 1.000€ - Ondertekening akte : donderdag 12.02.26 om 11u - www.biddit.be - Ref. pand : 291152
  • Lopende verkoop
  • Startdatum: 28/01/2026 12:00
  • Einddatum: 05/02/2026 12:00
  • Geen bod: 1000 €
  • Kadastraal inkomen: 2570 €
  • Vrij vanaf: Bij de akte
  • Knops & Devleeschouwer - notaires associés
  • Contactpersoon: Stéphane DETIENNE
  • Tel: (02) 262.05.50
  • Email: stephane.detienne.353063@belnot.be
  • Bezoekgegevens
  • woensdagen 7-14-21-28/1, 4/2 van 12u30-14u30 en zaterdagen 10-17-24-31/1 van 9-11u.

Huizen

8 Rue de Cambron, 7800 Ath

Doe een bod van
100.000 €

Presentatiebeeld van het pand n° 291616
Uit de hand
  • Referentie: 291616
  • Reçu offre de 97.000€ Maison de ville proche du centre disposée comme suit: Rez : hall, salon, salle à manger, cuisine, sdb+wc. Étage : 3 chambres Cave, Grenier aménageable Pas de cour, ni de jardin Poêle au gaz Toiture tuiles, refaite il y a +/- 9 ans, non isolée Bien libre Travaux à prévoir
  • Aantal kamers: 3
  • Aantal badkamers: 1
  • Kadastraal inkomen: 446 €
  • Vrij vanaf: Bij de akte
  • Notalya
  • Contactpersoon: Cassandra DHERINNE
  • Tel: (068) 28.21.61
  • Email: cassandra.dherinne.352130@belnot.be

Huizen

2 Rue de la Pompe, 4860 Pepinster

Doe een bod van
165.000 €

Presentatiebeeld van het pand n° 290750
Uit de hand
  • Referentie: 290750
  • L'Etude des Notaires Guyot & Cremer a le plaisir de vous proposer à la vente cette nouvelle construction sous gros œuvre fermé située à Pepinster. Ce bien se trouve dans une petite ruelle, à proximité immédiate du centre-ville et de toutes ses commodités : boulangerie, école, arrêts de bus, etc. Cette maison moderne, mitoyenne, offre une belle opportunité pour les personnes souhaitant personnaliser leur futur lieu de vie! Composition: NIV 0: garage (18,75m²), buanderie (7,41m²) et hall d'entrée (6,62m²). NIV+1: séjour ouvert avec coin cuisine, salon et salle à manger à aménager (31,52m²). NIV +2: palier (3,49m²), WC (2,45m²), 2 chambres à coucher (10 et 10,18m²) et une salle de bains (4,35m²). Techniques: permis obtenu le 19/09/2023, toiture neuve, châssis PVC DV, pignon isolé, citerne d'eau de pluie 3000L, RC actuel = 1€, PEB à réaliser à la finalisation des travaux, superficie de la parcelle 110m². Prise de rendez-vous en l'étude GUYOT & CREMER : 087/77 10 72
  • Aantal kamers: 2
  • Oppervlakte van het woongedeelte: 95m2
  • Aantal badkamers: 1
  • Kadastraal inkomen: 1 €
  • Vrij vanaf: Bij de akte
  • GUYOT & CREMER, notaires associés
  • Contactpersoon: Aline SCHMITZ
  • Tel: (087) 77.10.72
  • Email: aline.schmitz.460044@belnot.be
  • Bezoekgegevens
  • PEPINSTER - MAISON DE VILLE AVEC GARAGE EN GROS OEUVRE FERME

Huizen

99 Rue des Chaufours, 7300 Boussu

Doe een bod van
180.000 €

Presentatiebeeld van het pand n° 291622
Uit de hand
  • Referentie: 291622
  • Superficie : 370 m² – Revenu cadastral total : 411,00 EUR État : bon état, libre d’occupation à l’acte Rez-de-chaussée cumulé : Pièce à l’avant. Grande pièce de vie à l’arrière avec puits de lumière. - Cuisine semi équipée : gazinière, four, double évier. - Salle de bains : bain, lavabo. Sol entièrement carrelé. - WC séparé. Sous-sol : deux caves. 1er étage : Palier, deux chambres. Sol en vinyle. Grenier : aménageable, équipé de deux nouveaux Velux. Extérieur : Passage latéral piéton fermé par deux portes. Remise en dur, chalet en bois. Jardin entièrement clôturé. Commodités : Châssis PVC double vitrage neuf. Toiture en tuiles isolées. Plateforme en roofing isolée. Volets mécaniques. Chaudière gaz Buderus à condensation. Nouveau crépi sur la façade et le pignon gauche. Bardage en ardoise sur le pignon droit. ? PEB : E Visites : Sur RDV avec l’Étude le samedi de 10h à 12h
  • Aantal kamers: 2
  • Aantal badkamers: 1
  • Kadastraal inkomen: 411 €
  • Vrij vanaf: Bij de akte
  • Jean-Charles DASSELEER, Notaire
  • Contactpersoon: Stefano VACCA
  • Tel: (065) 78.43.32
  • Email: stefano.vacca.133066@belnot.be
  • Bezoekgegevens
  • sur RDV avec l'Etude

Huizen

43 Schoolstraat, 9500 Goeferdinge

Doe een bod van
398.000 €

Presentatiebeeld van het pand n° 290073
Uit de hand
  • Referentie: 290073
  • Woning is gelegen in de schoolstraat te Goeferdinge. Rustige ligging met het centrum van Geraardsbergen in handbereik. Het biedt een mooie voortuin met een lange oprit. De benedenverdieping biedt een eetkamer en een woonkamer die aan elkaar verbonden zijn. Er is een open keuken. Er is ook een kelder aanwezig. De bovenverdieping beschikt over twee grote slaapkamers en één klein. Ook is er een grote kamer dat kan gebruikt worden als hobbykamer, logeerkamer of berging. Er zijn twee badkamers met elk een wc waarvan ook één met een inloopdouche en de ander met een ligbad. Er is ook een zolder aanwezig dat kan gebruikt worden voor stockage of kan omgetoverd worden tot een extra kamer. De woning bevat ook een Finse sauna met twee inligplaatsen. Buiten is er een grote en groene tuin voorzien met een lounge, tuinhuis en twee terrassen. Indien interesse, gelieve ons kantoor te contacteren. G score: A P score: A
  • Aantal kamers: 3
  • Aantal badkamers: 2
  • Kadastraal inkomen: 490 €
  • Vrij vanaf: Bij de akte
  • De Man & Bracke, geassocieerde notarissen
  • Contactpersoon: Chiara JANS
  • Tel: (054) 41.22.22
  • Email: chiara.jans.130088@belnot.be

Huizen

41 Sint-Gillisstraat, 9170 De Klinge

Doe een bod van
275.000 €

Presentatiebeeld van het pand n° 291620
Uit de hand
  • Referentie: 291620
  • Rijwoning met 4 slaapkamers te Sint-Gillisstraat 41 - 9170 De Klinge met vlotte verbinding E34. Indeling gelijkvloers: inkomhal, apart toilet, woonkamer, geïnstalleerde keuken, badkamer met ligbad douche en lavabo. Eerste verdieping: via de nachthal naar de 2 slaapkamers. Tweede verdieping: via vaste trap naar 2 slaapkamers + een ruimte met de CV-installatie. Buiten is er een koer met stal. Extra info.: K.i 470, Opp. 130 m², keuring elektriciteit conform (!). EPC-asbestattest en keuring elektriciteit beschikbaar op aanvraag. G score: B P score: B
  • Aantal kamers: 4
  • Aantal badkamers: 1
  • Kadastraal inkomen: 470 €
  • Vrij vanaf: Bij de akte
  • RAEMDONCK NOTARISVENNOOTSCHAP
  • Contactpersoon: Joris TERREBROOD
  • Tel: (03) 727.10.80
  • Email: joris.terrebrood.126326@belnot.be

Huizen

30 Rue de la Ville, 6181 Gouy-lez-Piéton

Doe een bod van
90.000 €

Presentatiebeeld van het pand n° 291548
Online openbare verkoop
  • Referentie: 291548
  • Cette maison 3 façades se compose comme suit : Sous-sol : caves. Rez-de-chaussée : un hall d'entrée, un séjour, une cuisine, un wc séparé et une pièce donnant accès au garage. 1er étage : un hall de nuit, 2 chambres, un dressing/bureau et une salle de douche. Grenier : combles de rangement. Extérieur : une terrasse et un jardin. Divers : - Châssis DV et SV - Chauffage central au gaz (sans garantie de fonctionnement) - Revenu cadastral non indexé : 749€ - Superficie du terrain : 5a 75ca - PEB : E / Consommation spécifique d’énergie primaire : 354kWh/m².an - Electricité : installation non conforme. Visites sur rendez-vous au 0473/46.09.03
  • Aantal kamers: 2
  • Lopende verkoop
  • Startdatum: 26/01/2026 14:00
  • Einddatum: 03/02/2026 14:00
  • Geen bod: 2500 €
  • Kadastraal inkomen: 749 €
  • Vrij vanaf: Te bepalen
  • Notaires DUPUIS et Associés
  • Contactpersoon: Alison ES
  • Tel: 0473/46.09.03
  • Email: alison.es.352489@belnot.be
  • Bezoekgegevens
  • Visites sur rendez-vous au 0473/46.09.03 (mr PREVOT)

Appartementen

40 Golflaan, 8670 Oostduinkerke

Doe een bod van
545.000 €

Presentatiebeeld van het pand n° 291626
Uit de hand
  • Referentie: 291626
  • Appartement te koop op de tweede verdieping in residentie Mosduin te Oostduinkerke, op wandelafstand van het strand. Het appartement bestaat uit een inkomhal, toilet, badkamer met ligbad, berging, een lichtrijke woonkamer met terrassen, keuken, twee slaapkamers, waarvan één met douchecel, een zolderruimte (ingericht als slaapkamer) gelegen boven het appartement en een aparte ruime berging gelegen in de kelderverdieping van het gebouw. De zonnige terrassen grenzend aan de woonkamer bieden een prachtig wijds zicht. Mogelijkheid tot aankoop van een garage in het gebouw. Troeven: ideale ligging op wandelafstand van winkels en strand met toch een rustige ligging. G score: A P score: A
  • Aantal kamers: 3
  • Oppervlakte van het woongedeelte: 116m2
  • Aantal badkamers: 1
  • Kadastraal inkomen: 935 €
  • Vrij vanaf: Bij de akte
  • TAKT Notarissen
  • Contactpersoon: Kantoor TAKT Notarissen
  • Tel: (058) 23.31.19
  • Email: info@takt.be

Gronden

Rue de Bouges, 6927 Resteigne

Doe een bod van
130.000 €

Presentatiebeeld van het pand n° 291310
Uit de hand
  • Referentie: 291310
  • RESTEIGNE (TELLIN) : BEAU TERRAIN CONSTRUCTIBLE D’UNE CONTENANCE DE 15A 07CA COMMUNE DE TELLIN/4ème DIVISION/RESTEIGNE Désignation cadastrale : Section B, Numéro 0332C2 P0000. RCNI : 9,00 €. Situé en partie en zone d’habitat à caractère rural et en partie en zone agricole.
  • Kadastraal inkomen: 9 €
  • Vrij vanaf: Te bepalen
  • Philippe de WASSEIGE, Notaire
  • Contactpersoon: Philippe de WASSEIGE
  • Tel: (084) 24.53.34
  • Email: philippe.dewasseige@belnot.be

Huizen

99 Nerenweg, 9270 Kalken

Doe een bod van
595.000 €

Presentatiebeeld van het pand n° 291628
Uit de hand
  • Referentie: 291628
  • Vrijstaande woning te koop Kalken G score: A P score: A
  • Aantal kamers: 3
  • Oppervlakte van het woongedeelte: 297m2
  • Aantal badkamers: 1
  • Kadastraal inkomen: 1318 €
  • Vrij vanaf: Bij de akte
  • NOTARIAAT KALKENSE MEERSEN, geassocieerde notarissen
  • Contactpersoon: Els DANCKAERT
  • Tel: (09) 367.62.43
  • Email: els.danckaert.132035@belnot.be
  • Bezoekgegevens
  • Bezoek na afspraak via 0473 64 13 64 (spreek gerust een bericht in en laat uw naam en telefoonnummer achter)

Appartementen

40 Rue de Virton, 6747 Saint-Léger

Doe een bod van
195.000 €

Presentatiebeeld van het pand n° 291630
Online openbare verkoop
  • Referentie: 291630
  • L’étude du notaire TAHON a le plaisir de vous présenter ce très bel appartement 2 chambres logé au sein de la résidence « Les Murets », construite en 2008 et équipée d’un ascenseur. Très bien située au cœur du village de Saint-Léger et à quelques pas seulement du lac de Conchibois, cette résidence vous séduira tant par son parking intérieur que ses finitions soignées. Le séjour profite en outre d’une lumière traversante et de deux terrasses qui vous permettront de profiter des beaux jours sans interruption. DESCRIPTIF : RDC : cave et parking intérieur, 2e étage : hall d’entrée, 2 chambres, salle de bain, WC séparé, séjour et cuisine ouverte. REMARQUES : Surface selon PEB : 116 m², Provisions charges trimestrielles : 641,25 €, Châssis PVC double vitrage, Chauffage central mazout, Toiture en ardoises, Actuellement loué mais libre de bail et d’occupation à partir du 01/03/2026, PEB n° 20251030019314 – E.spéc : 132 kWh/m².an – E.totale : 15.304 kWh/an. BIEN CADASTRE SUR : Saint-Léger – 1ère div., section A, numéros 1181F3 P0007, P0015 et P0023 ; Revenu cadastral : 775 €. RENSEIGNEMENTS ET VISITES : contacter l’étude du notaire Tahon au 063/22.06.38 LES ENCHÈRES NE POURRONT ÊTRE ÉMISES QU’EXCLUSIVEMENT ONLINE PAR LE BIAIS DU SITE WWW.BIDDIT.BE Enchères : début le 12/02/2026 à 14h et clôture le 20/02/2026 à 14h, sous réserve d’éventuelles prolongations (voir art. 9 des cond. gén.) en raison du sablier et/ou d’une panne de la plateforme d’enchères. Pas de paiement en espèces.
  • Aantal kamers: 2
  • Oppervlakte van het woongedeelte: 116m2
  • Aantal badkamers: 1
  • Lopende verkoop
  • Startdatum: 12/02/2026 14:00
  • Einddatum: 20/02/2026 14:00
  • Geen bod: 1000 €
  • Kadastraal inkomen: 775 €
  • Vrij op: 01/03/2026
  • Catherine TAHON - société notariale
  • Contactpersoon: Jonas BORCHGRAEVE
  • Tel: (063) 21.50.60
  • Email: jonas.borchgraeve.178509@belnot.be
  • Bezoekgegevens
  • Contacter l’étude du notaire Tahon au 063/22.06.38

Appartementen

61 Mercatorstraat, 9100 Sint-Niklaas

Doe een bod van
310.000 €

Presentatiebeeld van het pand n° 290727
Uit de hand
  • Referentie: 290727
  • Instapklaar triplex appartement met mogelijkheid tot 3 extra kamers. Statige voormalige apothekerswoning met hoge plafonds. In 2021 werden grondige renovatiewerken afgerond G score: C P score: C
  • Aantal kamers: 3
  • Oppervlakte van het woongedeelte: 253m2
  • Aantal badkamers: 1
  • Kadastraal inkomen: 1049 €
  • Vrij vanaf: Te bepalen
  • D´hoore Ann Michèle notarisvennootschap
  • Contactpersoon: Lara VANOUTRIVE
  • Tel: (03) 776.02.67
  • Email: fiona@notariaatdhoore.be
  • Bezoekgegevens
  • neem contact op met eigenaar 0485 44 31 74

Huizen

63 Gontrodestraat, 9050 Gentbrugge

Doe een bod van
200.000 €

Presentatiebeeld van het pand n° 291640
Online openbare verkoop
  • Referentie: 291640
  • Rouwkoper: De besloten vennootschap "APlusExperts", met zetel te 9890 Gavere, Ommegangstraat 3, RPR Gent, afdeling Gent, BTW BE0864.542.093, oorspronkelijk toegewezen aan € 268.000,00. Goed gelegen en te restaureren ruime woning. In rustige buurt van Gentbrugge. Op fietsafstand van het centrum van Gent en vlotte verbinding naar E40 en E17. Met tuintje, ruime leefkamer, afzonderlijke ruime keuken, badkamer en 3 grote slaapkamers. G score: B P score: B
  • Aantal kamers: 3
  • Aantal badkamers: 1
  • Lopende verkoop
  • Startdatum: 10/02/2026 14:00
  • Einddatum: 18/02/2026 14:00
  • Geen bod: 1000 €
  • Kadastraal inkomen: 594 €
  • Vrij vanaf: Bij de akte
  • NOTARIS CHRISTOPHE DELRIVE
  • Contactpersoon: Kantoor Not. Christophe Delrive
  • Tel: (09) 225.01.75
  • Email: christophe.delrive@belnot.be
  • Bezoekgegevens
  • Na telefonische afspraak met het notariskantoor

Huizen

153 Jozef Duthoystraat, 8790 Waregem

Doe een bod van
200.000 €

Presentatiebeeld van het pand n° 291637
Uit de hand
  • Referentie: 291637
  • Zit- en eethoek, wasplaats, keuken, kelder. 1ste verdiep : 1 slaapkamer, dressing (of 2de slaapkamer), badkamer. Zolder. Dubbele garage achteraan. 3 regenputten. Aardgas. Dubbel glas. Rookmelders. Tuin + overdekt terras. G score: B P score: B
  • Aantal kamers: 1
  • Oppervlakte van het woongedeelte: 96m2
  • Aantal badkamers: 1
  • Kadastraal inkomen: 356 €
  • Vrij vanaf: Bij de akte
  • NATHALIE DESIMPEL - ELISABETH DESIMPEL - RONNY VAN EECKHOUT, geassocie
  • Contactpersoon: Kantoor Not. Desimpel, Desimpel & Van Eeckhout
  • Tel: (056) 62.76.90
  • Email: info@aktum.be
  • Bezoekgegevens
  • Na voorafgaand telefonisch contact met het notariaat op nr. 056/62.76.90

Gronden

249 Rue Emile Vandervelde, 7033 Cuesmes

Doe een bod van
50.000 €

Presentatiebeeld van het pand n° 290982
Uit de hand
  • Referentie: 290982
  • très belle parcelle de terrain à bâtir (à côté du numéro 249) et très bien située d'une contenance de 6 ares 19 ca- façade : 12m53- Longueur: 43m 48- raccordements à prévoir
  • Vrij vanaf: Bij de akte
  • Jean-Marc MICHIELS, Notaire
  • Contactpersoon: Melanie MONTAGNER
  • Tel: (065) 35.18.73
  • Email: melanie.montagner.124347@belnot.be
  • Bezoekgegevens
  • Directement sur place

Huizen

1 Lange Haagstraat, 1700 Dilbeek

Doe een bod van
1.050.000 €

Presentatiebeeld van het pand n° 291554
Online openbare verkoop
  • Referentie: 291554
  • Exclusieve eigendom "Villa van Wolsem" bereikbaar via een privatieve oprijlaan met garages en bergruimte. In de tuin bevindt zich een zwembad met ronde betonnen duiktoren en kleedkamers. Residentieel gelegen nabij handelszaken, scholen en openbaar vervoer. Vlotte verbinding met Brussel en autosnelwegen. RUIMTELIJKE ORDENING/ONROEREND ERFGOED: Vg, Wg-Ag-Pg, Gmo, Gvkr, Gvv, opgenomen de inventaris van vastgesteld bouwkundig erfgoed. RISICOZONE OVERSTROMING - WATERPARAGRAAF: Niet gelegen in risicozone voor overstromingen, wel (deels) gelegen is in een overstromingsgevoelig gebied, niet gelegen is in een afgebakend overstromingsgebied, niet gelegen is in een afgebakende oeverzone, niet gelegen is in een signaalgebied. P(erceel)-score: A (percelen 26/A/2P0000, 25/HP0000, 25/GP0000), C (perceel 25/MP0000) en D (percelen 26/WP0000, 25/XP0000, 22/AP0000 en 26/LP0001) en G(ebouw)-score: A (percelen 26/A/2P0000,25/HP0000, 25/XP0000) en onbekend (percelen 25/MP0000, 26/WP0000, 25/GP0000, 22/AP0000 en 26/LP0001). EPC met certificaatnummer 20210316-0002387975-RES-1, Energielabel F - 913 kWh/(m² jaar). PV TOEWIJS: Donderdag 12/02/2026 om 13u30. GEEN OPSCHORTENDE VOORWAARDE. Luchtbeelden via Drone: https://youtu.be/0DqltexVG_0 G score: A P score: A
  • Aantal kamers: 6
  • Aantal badkamers: 4
  • Lopende verkoop
  • Startdatum: 03/02/2026 10:00
  • Einddatum: 11/02/2026 10:00
  • Geen bod: 1000 €
  • Kadastraal inkomen: 4006 €
  • Vrij vanaf: Andere
  • Notaris Vanessa Di Gesualdo
  • Contactpersoon: Vanessa DI GESUALDO
  • Tel: (02) 466.66.55
  • Email: digesualdo.v@interaktnot.be
  • Bezoekgegevens
  • Woensdagen 14, 21, 28 januari 2026 en 4 februari 2026 van 15u-17u en zaterdagen 17, 24, 31 januari 2026 en 7 februari 2026 van 11u-13u

Huizen

4 Tramstraat, 9052 Zwijnaarde

Doe een bod van
195.000 €

Presentatiebeeld van het pand n° 291527
Online openbare verkoop
  • Referentie: 291527
  • Deze ruime rijwoning in Zwijnaarde omvat op het gelijkvloers een ruime inkomhal met opslagruimte, een apart toilet, een badkamer, een grote woonkamer en aanpalende keuken met ingebouwde kastruimte. De keuken kijkt uit op de tuin met terras. De eerste verdieping omvat 4 slaapkamers waarvan momenteel één omgebouwd tot badkamer en een aparte opslagruimte. De tweede verdieping omvat 2 slaapkamers met een aparte opslagruimte. Het pand is verder af te werken. Meer informatie kan u terugvinden in de algemene verkoopsvoorwaarden, verkrijgbaar via biddit. Asbestveilig (maar mogelijk niet asbestvrij) – elektriciteit niet conform – EPC B (geen renovatieverplichting). De woning is residentieel gelegen en vlot bereikbaar via de gewestwegen. G score: A P score: A
  • Aantal kamers: 5
  • Oppervlakte van het woongedeelte: 201m2
  • Aantal badkamers: 2
  • Lopende verkoop
  • Startdatum: 11/02/2026 14:30
  • Einddatum: 19/02/2026 14:30
  • Geen bod: 1000 €
  • Kadastraal inkomen: 823 €
  • Vrij vanaf: Andere
  • NOTAS, geassocieerde notarissen
  • Contactpersoon: Magaly PIENS
  • Tel: (09) 225.60.60
  • Email: magaly.piens.350976@belnot.be
  • Bezoekgegevens
  • Elke woensdag van 14 uur tot 16 uur en elke zaterdag van 14 uur tot 16 uur met eerste bezoekdag op zaterdag 17 januari 2026

Huizen

Rue du Festinoy, 7011 Ghlin

Doe een bod van
160.000 €

Presentatiebeeld van het pand n° 291556
Uit de hand
  • Referentie: 291556
  • Maison d'habitation idéalement située dans un quartier calme à quelques minutes de l'autoroute. Composée de trois caves au sous-sol; un hall d'entrée, salon, salle à manger ouverts sur une cuisine équipée avec coin repas, salle de bains, véranda. Au premier étage : trois chambres et au deuxième étage un grenier aménageable. Equipements: jardin, châssis en simple et double vitrage, volets, chauffage au gaz; alarme, détecteurs incendie.
  • Aantal kamers: 3
  • Oppervlakte van het woongedeelte: 168m2
  • Aantal badkamers: 1
  • Kadastraal inkomen: 547 €
  • Vrij vanaf: Bij de akte
  • Stéphanie BILLER Notaire
  • Contactpersoon: Angélique MARLIERE
  • Tel: (065) 36.13.35
  • Email: angelique.marliere.107334@belnot.be
  • Bezoekgegevens
  • prendre contact avec l'étude au 065/36.13.35 option 1

Huizen

2 Berlijnstraat, 2660 Hoboken

Doe een bod van
599.000 €

Presentatiebeeld van het pand n° 291553
Uit de hand
  • Referentie: 291553
  • Instapklaar. Perfect voor artsenpraktijk, kinesitherapiepraktijk, tandarts,... vrije beroepen. etc. - gelijkvloers: 3 praktijkruimtes, wachtruimte, garage, tuin, praktische keuken, hall; - 1e verdieping: 3 slaapkamers, hall, living, 1 grote badkamer met ligbad, douche, dubbele lavabo, 1 kleine badkamer: lavabo en douche; - zolderverdieping: af te werken, mogelijkheid vierde slaapkamer met dressing/badkamer te maken. EPC: C label, geen renovatieplicht. ASBESTVEILIG. MOBISCORE: 8,4 /10. Goed gelegen, in de buurt van parken, scholen en invalswegen naar A12. VRIJ VANAF AKTE. Alarmsysteem aanwezig. Wg, Vg, Gmo, Gvkr, Gvv. BEZOEK: na telefonische afspraak met het notariskantoor via 03/827.44.22. BIEDEN en MEER INFORMATIE te vinden via de BIDDIT-site, gelieve de link https://www.biddit.be/nl/catalog/detail/291553 te gebruiken. G score: A P score: A
  • Aantal kamers: 3
  • Oppervlakte van het woongedeelte: 333m2
  • Aantal badkamers: 2
  • Kadastraal inkomen: 2015 €
  • Vrij vanaf: Bij de akte
  • Notaris Stephanie De Buysere
  • Contactpersoon: Kantoor Not. Stephanie De Buysere
  • Tel: (03) 827.44.22
  • Email: info@notaris2610.be
  • Bezoekgegevens
  • na telefonische afspraak met het notariskantoor via 03/827.44.22.

Huizen

17 Verhenis, 3700 Henis

Doe een bod van
235.000 €

Presentatiebeeld van het pand n° 291563
Online openbare verkoop
  • Referentie: 291563
  • Deze charmante woning met tuin in Tongeren, Henis, beschikt over 3 slaapkamers en 2 badkamers. Recent gerenoveerd en ideaal voor een gezin met kinderen. Landelijk gelegen. Niet overstromingsgevoelig. G score: A P score: A
  • Aantal kamers: 3
  • Aantal badkamers: 2
  • Lopende verkoop
  • Startdatum: 02/03/2026 14:00
  • Einddatum: 10/03/2026 14:00
  • Geen bod: 1000 €
  • Kadastraal inkomen: 361 €
  • Vrij vanaf: Bij de akte
  • NOTARISKANTOOR HOUGAERTS & PEYLS
  • Contactpersoon: Els SCHABON
  • Tel: 012398127
  • Email: els.schabon.103309@belnot.be
  • Bezoekgegevens
  • Na contactname met het notariskantoor

Huizen

24 Anjersstraat, 9308 Hofstade

Doe een bod van
340.000 €

Presentatiebeeld van het pand n° 291499
Uit de hand
  • Referentie: 291499
  • Deze halfopen bebouwing met tuin biedt een comfortabele en praktische indeling, ideaal voor gezinnen. De woning is rustig gelegen en beschikt over voldoende ruimte binnen én buiten. Op het gelijkvloers bevindt zich een inkomhal met gastentoilet, een keuken en een lichtrijke woonkamer. De eerste verdieping beschikt over een badkamer, drie ruime slaapkamers en één kleinere slaapkamer, die perfect kan dienen als kinderkamer, bureau of dressing. Daarnaast is er een garage, ideaal voor het stallen van een wagen en extra bergruimte. De tuin vormt een fijne plek om te ontspannen en te genieten van het buitenleven. Vanaf 10/1 elke zaterdag tussen 10u-13u, na telefonische afspraak 0478/72.12.43 G score: A P score: A
  • Aantal kamers: 4
  • Kadastraal inkomen: 803 €
  • Vrij vanaf: Bij de akte
  • VO.S, GEASSOCIEERDE NOTARISSEN
  • Contactpersoon: Lindsay VERMEIR
  • Tel: (054) 33.22.80
  • Email: administratie@notvos.be
  • Bezoekgegevens
  • Vanaf 10/1 elke zaterdag tussen 10u-13u, na telefonische afspraak 0478/72.12.43

Handelspanden

244 Maastrichtersteenweg, 3770 Riemst

Doe een bod van
225.000 €

Presentatiebeeld van het pand n° 291566
Online openbare verkoop
  • Referentie: 291566
  • Dit instapklaar handelspand inclusief ruim duplex-appartement is gelegen op een boogscheut van het bruisend centrum van Maastricht, op een perceel van 2 are 70ca. Deze woning heeft een bruikbare vloeroppervlakte (volgens opgave EPC) van 309m² en als volgt ingedeeld: - Kelder: toegankelijk via een vaste trap, deels onderkelderd met verschillende bergkelders. - Gelijkvloers: gemeenschappelijke inkomhal, gelagzaal met plaats voor 100 personen, bar met aansluitend een industriële keuken (over te nemen), sanitair blok (heren - en damestoiletten), kleine buitenruimte (koertje). - 1ste verdieping: inkomhal, apart toilet met aansluiting was-en droogmachine, ruime en lichtrijke woon-en eetkamer, open keuken met toegang tot het zuid-georiënteerde dakterras. - 2de verdieping: nachthal met airco, technische ruimte met recente condenserende gasketel, 3 ruime slaapkamers, met prachtig verzicht over de velden, badkamer met douche, toilet, wastafel dubbel in meubel. G score: A P score: A
  • Aantal badkamers: 1
  • Lopende verkoop
  • Startdatum: 04/02/2026 14:00
  • Einddatum: 12/02/2026 14:00
  • Geen bod: 1000 €
  • Kadastraal inkomen: 1373 €
  • Vrij vanaf: Onmiddellijk
  • NEVEN & BEX
  • Contactpersoon: Rebecca NOBEN
  • Tel: 012440948
  • Email: rebecca.noben@nbnotarissen.be
  • Bezoekgegevens
  • Iedere woensdag en iedere donderdag van 16u-17u, en dit vanaf 7 januari 2026, enkel na telefonische afspraak met het notariskantoor

Huizen

6 Westvaartdijk, 2830 Willebroek

Doe een bod van
250.000 €

Presentatiebeeld van het pand n° 291565
Online openbare verkoop
  • Referentie: 291565
  • Met achterbouw voor polyvalent gebruik. Gelegen "Klein Willebroek aan het water". Indeling: - kelder: wasruimte en aparte doorgang naar de straat; - gelijkvloers: living, keuken, terras, af te werken achterbouw, vijver; - 1e verdieping: 2 slaapkamers, badkamer met bad en douche; - 2e verdieping: mezzanine met hobby- en bureelruimte, slaapkamer en dakterras. G score: A P score: A
  • Aantal kamers: 3
  • Oppervlakte van het woongedeelte: 213m2
  • Aantal badkamers: 1
  • Lopende verkoop
  • Startdatum: 11/02/2026 14:00
  • Einddatum: 19/02/2026 14:00
  • Geen bod: 1000 €
  • Kadastraal inkomen: 557 €
  • Vrij op: 01/04/2026
  • VAN DEN ABBEELE & RUYSEN, geassocieerde notarissen
  • Contactpersoon: Kantoor Not. Van den Abbeele & Ruysen
  • Tel: (03) 232.30.01
  • Email: info@britselei10.be
  • Bezoekgegevens
  • elke woensdag van 14u-16u vanaf 14/1 en elke zaterdag van 11u-13u vanaf 17/1.

Huizen

18 Hemelrijkstraat, 2340 Beerse

Doe een bod van
460.000 €

Presentatiebeeld van het pand n° 291568
Uit de hand
  • Referentie: 291568
  • VRIJSTAANDE WONING MET RUIME TUIN. Op zoek naar een woning met veel potentieel en ruimte om je eigen stempel op te drukken? Deze vrijstaande woning biedt volop mogelijkheden en een ruime tuin om te genieten van de buitenlucht. De woning is ideaal voor wie bereid is om wat op te frissen en er een persoonlijke draai aan te geven. Kenmerken van de woning: • Vrijstaande bebouwing met veel privacy en een ruime tuin, perfect voor tuinliefhebbers en buitenactiviteiten. • Zonnepanelen, wat zorgt voor lagere energiekosten en een duurzamer huis. Hierbij is een batterij geplaatst, voor de opslag. • Bovenverdieping nog in te richten naar wens — ideaal om extra kamers te creëren of de ruimte naar eigen voorkeur in te delen. • Overdekt terras (niet vergund), perfect om te genieten van het buitenleven, ongeacht het weer. • 2 ingerichte slaapkamers op de benedenverdieping. Op de beneden verdieping is de garage ook omgebouwd tot derde slaapkamer. Ideaal voor een gezin of als kantoor- of gastkamers. • Badkamer op de benedenverdieping met douche en toilet voor maximaal gemak. • EPC label B, wat betekent dat de woning energiezuinig is en je kunt profiteren van lagere energiekosten. • De woning is zeker op te frissen, met ruimte om het huis naar je eigen smaak en wensen te moderniseren. • Woning voorzien van glasvezel. Locatie: Gelegen in een rustige buurt in Beerse. Voor meer informatie en bezoek, neem gerust contact met ons op! G score: A P score: A
  • Aantal kamers: 2
  • Oppervlakte van het woongedeelte: 192m2
  • Aantal badkamers: 1
  • Kadastraal inkomen: 1058 €
  • Vrij vanaf: Bij de akte
  • NOTURA - Segers, Eyskens en Luyten
  • Contactpersoon: Kantoor Notura
  • Tel: (014) 42.51.51
  • Email: kantoor+turnhout@notura.be
  • Bezoekgegevens
  • via notariskantoor

Huizen

108 Avenue Reine Astrid, 4802 Verviers

Doe een bod van
220.000 €

Presentatiebeeld van het pand n° 291564
Uit de hand
  • Referentie: 291564
  • L'Etudes de notaires associés FASSIN & FALLA a le plaisir de vous faire découvrir cette grande maison d'habitation située Avenue Reine Astrid 108 à Heusy/Verviers. Idéalement située sur un grand axe, à seulement 30 mètres des commerces et de l’école "Notre-Dame" de Heusy, cette maison unifamiliale bénéficie d’un emplacement stratégique, offrant une excellente visibilité et un accès aisé à toutes les commodités. Le rez-de-chaussée accueille un espace bureau parfaitement adapté à l’exercice d’une activité professionnelle ou libérale (consultation, cabinet, profession indépendante, télétravail) , tout en conservant une séparation claire avec les espaces de vie privés, ainsi que la cave de rangement. Au premier étage, vous découvrirez une agréable pièce de vie lumineuse avec feu ouvert, une cuisine installée dans une extension, ainsi qu’un accès direct à la terrasse et au jardin. Le deuxième étage se compose de deux belles chambres et d’une salle de bains dont les travaux restent à finaliser (isolation, étanchéité et installation de la douche), laissant la possibilité de la personnaliser selon vos goûts. Au troisième étage, un palier dessert deux chambres mansardées, une salle de douche équipée (douche, WC broyeur et lavabo) ainsi qu’un accès au toit. Cette maison nécessitera des travaux pour être parfaitement finie (remise aux normes électrique, isolation de l'annexe comprenant la cuisine et la salle-de-bains, rafraichissement pour remettre la maison à votre goût) néanmoins, celle-ci est équipée de châssis bois ou PVC double vitrage partout et d'une chaudière à condensation Vaillant récente. Cette maison combine emplacement de choix, volumes généreux et flexibilité d’aménagement, idéale tant pour une famille que pour un indépendant souhaitant concilier habitation et activité professionnelle. Peb n°20251216046085 Label C.
  • Aantal kamers: 4
  • Oppervlakte van het woongedeelte: 242m2
  • Aantal badkamers: 1
  • Kadastraal inkomen: 1009 €
  • Vrij vanaf: Te bepalen
  • Armand & Amélie FASSIN, Notaires Associés
  • Contactpersoon: Alexandra PIRON
  • Tel: (087) 29.29.75
  • Email: alexandra.piron.353858@belnot.be

Huizen

43 Rue de Fosses, 6250 Presles

Doe een bod van
70.000 €

Presentatiebeeld van het pand n° 291571
Uit de hand
  • Referentie: 291571
  • Maison 3 façades à rénover complètement, se composant comme suit: SOUS-SOL : très grande cave divisée en 5 pièces. REZ-DE-CHAUSSEE : pièce pouvant servir de salon salle/à manger, cuisine, salle de bain et 3 pièces supplémentaires, grand garage avec fosse, jardin dont l’accès se fait par la cave. 1er ETAGE : 2 chambres. Grenier : accessible par une trappe. Aucun système de chauffage Bien libre d’occupation à l’acte authentique. VISITES : sur rendez-vous auprès de la société GIL au 071/38.84.49.
  • Aantal kamers: 2
  • Kadastraal inkomen: 401 €
  • Vrij vanaf: Bij de akte
  • Clarence BALIEUX - NOTAIRE
  • Contactpersoon: Clarence BALIEUX
  • Tel: (071) 31.01.30
  • Email: clarence.balieux@belnot.be
  • Bezoekgegevens
  • Visites sur rendez-vous auprès de la société GIL au 071/38.84.49

Huizen

13 Rue Lambert Dewonck, 4432 Alleur

Doe een bod van
205.000 €

Presentatiebeeld van het pand n° 290915
Uit de hand
  • Referentie: 290915
  • Cette maison d’habitation, idéalement située, d’une surface habitable de 148m² (selon PEB) se compose comme suit : Au sous-sol : d’une cave (10m²), Au rez-de-chaussée : d’un hall d’entrée (10m²), d’un living (34m²), d’une cuisine récente (27m²), d’une salle de bain (6m²) et d’un WC ; Au premier étage : d’un palier (3m²) et de 3 chambres (deux en enfilades (de 21²m au total) et la troisième (13m²)) ; Et enfin, au dernier étage : d’un grenier (37m²). Ornée d’un jardin orienté à l’est. Équipée de châssis de fenêtres double vitrage et de volets. Chauffage central au mazout. (PEB E – 407 kWh/m².an –60.074 kWh/an) (Électricité non-conforme -Compteur mono horaire).
  • Aantal kamers: 3
  • Oppervlakte van het woongedeelte: 148m2
  • Kadastraal inkomen: 585 €
  • Vrij vanaf: Bij de akte
  • Etude Notariale Rosu & Lemaire, Notaires associés
  • Contactpersoon: Lévi ROSU
  • Tel: (04) 239.89.89
  • Email: notaire@rosu.be
  • Bezoekgegevens
  • sur rendez-vous - Contacter l'étude : 04/239.89.89

Gronden

Rue du Bosquet, 6220 Wangenies

Doe een bod van
525.000 €

Presentatiebeeld van het pand n° 291542
Uit de hand
  • Referentie: 291542
  • Très beau terrain offrant de nombreuses possibilités, d'une contenance selon cadastre de 1ha 93a 20ca. Idéal pour investisseurs. Situé partie en zone d'habitat et partie en zone d'aménagement communal concertée. Accès à deux rues: - rue du Bosquet :+/- 120m de façade - rue Saint Fiacre: +/- 90m de façade Cadastré section A numéro 0231W P0000 Renseignements en l'étude: 071/81.18.05
  • Kadastraal inkomen: 137 €
  • Vrij vanaf: Bij de akte
  • Muriel DE ROOSE et Victoria MOMMAERTS - Notaires associés
  • Contactpersoon: Muriel DE ROOSE
  • Tel: (071) 81.18.05
  • Email: muriel.deroose@belnot.be

Gronden

68 Bois Tonnin, 7134 Epinois

Doe een bod van
147.000 €

Presentatiebeeld van het pand n° 291538
Online openbare verkoop
  • Referentie: 291538
  • Ville de Binche – 4ième division – EPINOIS : 1) une parcelle de bois située au lieu-dit « Bois Tonnin », section B numéro 0170 D 3 P0000, pour une superficie cadastrale de 90a65ca ; RC non indexé : 36€. 2) une parcelle de bois située au lieu-dit « Les 40 Bonniers », section B numéro 0170 E 3 P0000, pour une superficie cadastrale de 1 ha 07 a 10 ca; RC non indexé : 25€. 3) une maison d’habitation située Bois Tonnin numéro 68, section B numéro 0170 R 2 P0000, pour une superficie cadastrale de 55ca ; RC non indexé : 359€. 4) un bâtiment repris au cadastre sous nature de « installation sport » situé Bois Tonnin numéro 68 +, section B numéro 0170 X 2 P0000, pour une superficie cadastrale de 90 ca, RC non indexé : 257€. 5) une parcelle de terrain reprise au cadastre sous nature de « terre » située au lieu-dit « Dr du Bois Tonnin », section B numéro 0170 Y P0000, pour une superficie cadastrale de 23 ares ; RC non indexé : 6€. 6) une parcelle de terrain reprise au cadastre sous nature de « terre » située au lieu-dit « Bois Tonnin », section B numéro 0170 Z 2 P0000, pour une superficie cadastrale de 1ha84a09ca; RC non indexé : 53€.
  • Lopende verkoop
  • Startdatum: 19/02/2026 13:00
  • Einddatum: 27/02/2026 13:00
  • Geen bod: 1000 €
  • Kadastraal inkomen: 736 €
  • Vrij vanaf: Te bepalen
  • Pol DECRUYENAERE - Notaire
  • Contactpersoon: Anne-Lise WILLAME
  • Tel: (064) 31.11.80
  • Email: info@notairedecruyenaere.be
  • Bezoekgegevens
  • Moyennant permis préalable à demander à l’Etude du Notaire Pol DECRUYENAERE – permis sur lequel sera indiqué le numéro de téléphone du débiteur saisi.

Huizen

67 Schillebeekstraat, 9500 Overboelare

Doe een bod van
249.000 €

Presentatiebeeld van het pand n° 291576
Uit de hand
  • Referentie: 291576
  • Ben je op zoek naar een woning met ruimte én renovatiemogelijkheden? Deze charmante woning in de rustige Schillebeekstraat te Geraardsbergen biedt tal van mogelijkheden voor wie zijn eigen thuis wil creëren of een waardevolle investering zoekt. Je betreedt de woning via een inkomhal die toegang geeft tot het salon en de leefruimte. Verder op het gelijkvloers vind je een gezellige woonkamer, een keuken met aansluitende eetkamer, een kleine berging met toegang tot de kelder, extra opbergruimte en een apart toilet. Op de bovenverdieping bevinden zich drie volwaardige slaapkamers en een badkamer. De ruime zolder biedt uitbreidingsmogelijkheden voor een extra kamer of hobbyruimte. Buitenruimte: De woning beschikt over een kleine voortuin en een diepe achtertuin met achteraan een garage. Ideaal voor tuinliefhebbers of wie extra opslag- of parkeerruimte zoekt. Troeven: - Inkomhal en praktische indeling - 3 slaapkamers + uitbreidbare zolder - Diepe achtertuin met garage - Gelegen in een rustige, kindvriendelijke straat - Nabij centrum Geraardsbergen, scholen, winkels en openbaar vervoer - Volledig te renoveren naar eigen smaak G score: A P score: B
  • Aantal kamers: 3
  • Kadastraal inkomen: 597 €
  • Vrij vanaf: Bij de akte
  • NOTARIS LAURENT RENS
  • Contactpersoon: Lindsay VANDENBOSSCHE
  • Tel: (054) 41.20.06
  • Email: lindsay.vandenbossche.132779@belnot.be
  • Bezoekgegevens
  • Voor meer informatie contacteer notaris Laurent Rens 054/41.20.06 of laurent.rens@belnot.be

Huizen

294 Rue Caulier, 7063 Neufvilles

Doe een bod van
120.000 €

Presentatiebeeld van het pand n° 291573
Online openbare verkoop
  • Referentie: 291573
  • maison d'habitation à rénover avec très grand jardin et grand atelier (+/- 39 m²), située à proximité de la gare de Neufvilles, comprenant : *sous-sol : cave avec chaudière au mazout *rez : 3 pièces pouvant servir de séjour (salon - salle à manger- voir même chambre au rez), wc, cuisine, salle de bain (avec évier, wc et bain) * 1er étage : 3 chambres *Equipement : châssis double vitrage en pvc (et simple vitrage en bois au rez, côté jardin), chauffage central au mazout **VISITES : Clef en l'Etude **Occupation : libre **Attention, voir permis obtenu le 28/10/2021 par les vendeurs (fin de validité le 28/10/2026, mais possibilité de prolongation de 2 ans, si envoi de la demande 45 jours avant l'expiration du délai) **pour tous renseignements complémentaires, n'hésitez pas à contacter l'Etude : 067/33.11.17 ou consulter notre site : www.bricout.be (annonces immobilières)
  • Aantal kamers: 3
  • Oppervlakte van het woongedeelte: 231m2
  • Lopende verkoop
  • Startdatum: 09/02/2026 15:00
  • Einddatum: 17/02/2026 15:00
  • Geen bod: 2000 €
  • Kadastraal inkomen: 430 €
  • Vrij vanaf: Bij de akte
  • Xavier Bricout, Notaire
  • Contactpersoon: Monique KNAEPEN
  • Tel: (067) 33.11.17
  • Email: monique.knaepen.131557@belnot.be
  • Bezoekgegevens
  • clef en l'Etude

Huizen

29 Rue des Combattants, 6140 Fontaine-l'Évêque

Doe een bod van
65.000 €

Presentatiebeeld van het pand n° 291588
Online openbare verkoop
  • Referentie: 291588
  • Maison d’habitation avec jardin et garage Sous-sol : cave Rez : Hall d’entrée, salon, salle à manger, cuisine, sdb (wc, douche, baignoire, meuble double vasque) Etage : 3 chambres grenier Cadastre : section A numéro 193Z3P0000 (maison pour 3are 82 centiares) Jardin-Garage Commodités : chauffage central au mazout, châssis en bois et certains double vitrage, volet partout enlèvement des éventuels encombrants demeurera à charge des adjudicataires PEB délivré le 15 mai 2025 (réf. 20250515001460- G522 KWH/m².an) Fol enchérisseur : Monsieur VOLAND Raphaël domicilié à 7000 Mons, Chemin de la Procession 433/21 Adjugé en première adjudication à 102.000 €
  • Aantal kamers: 3
  • Oppervlakte van het woongedeelte: 133m2
  • Aantal badkamers: 1
  • Lopende verkoop
  • Startdatum: 28/01/2026 14:00
  • Einddatum: 05/02/2026 14:00
  • Geen bod: 1000 €
  • Kadastraal inkomen: 570 €
  • Vrij vanaf: Bij de akte
  • Alexandre PICART - Notaire
  • Contactpersoon: Julie VANDERUS
  • Tel: (071) 46.28.80
  • Email: julie.vanderus.130575@belnot.be
  • Bezoekgegevens
  • moyennant contact préalable avec la société G.I.L. au 071/38.84.49.

Huizen

73 Chemin du Prince, 7050 Erbisoeul

Doe een bod van
150.000 €

Presentatiebeeld van het pand n° 291440
Uit de hand
  • Referentie: 291440
  • Maison 3 façades idéalement située à Erbisoeul sur le Chemin du Prince n°73 sur et avec terrain de 8a57ca. La maison à rénover se compose entre autres : salon-sam, chambre en façade avant, hall desservant l’étage, coin cuisine, cuisine non équipée, sdb avec wc, chambre à l’arrière. A l’étage : deux chambres et un espace grenier. Garage et remises. Jardin. CC au mazout, simple vitrage, volets, caves. Beau potentiel pour la région. Descriptif non contractuel. Faire offre de minimum 15 jours. Visite s’adresser à l’Etude au 065/23.53.12 Faire offre à partir de 150.000,00€.
  • Aantal kamers: 2
  • Kadastraal inkomen: 446 €
  • Vrij vanaf: Bij de akte
  • NOTALAW
  • Contactpersoon: Morgane VELDEMAN
  • Tel: (065) 23.53.12
  • Email: morgane.veldeman.126227@belnot.be

Huizen

249 Rue Emile Vandervelde, 7033 Cuesmes

Doe een bod van
130.000 €

Presentatiebeeld van het pand n° 290981
Uit de hand
  • Referentie: 290981
  • Bonne maison d'habitation avec travaux important à prévoir, très bien située et comprenant au rez: hall, wc séparé, grand salon, salle à manger, cuisine non équipée- Etage: 2 chambres, pièce avec lavabo et wc (pas de SDB)- grenier aménagé sous pente-garage-cave (frigo-congélateur inclus)- chauffage central au gaz (chaudière récente)-jardin-SUP: 4ares 81 ca-RC non déterminé- LOT 1 au plan du géomètre
  • Aantal kamers: 2
  • Vrij vanaf: Bij de akte
  • Jean-Marc MICHIELS, Notaire
  • Contactpersoon: Melanie MONTAGNER
  • Tel: (065) 35.18.73
  • Email: melanie.montagner.124347@belnot.be
  • Bezoekgegevens
  • Sur rendez-vous avec l'Etude

Appartementen

221 Sylvain Dupuislaan, 1070 Anderlecht

Doe een bod van
125.000 €

Presentatiebeeld van het pand n° 291494
Online openbare verkoop
  • Referentie: 291494
  • In een gebouw “residentie WESTLAND II” gelegen Sylvain Dupuislaan 221 Het appartement type I op 6e verd. Omvattende inkomhal met kast en vuilniskoker, living met schoorsteen, keuken, nachthal, wc, badkamer, 2 slaapkamers, terras, kelder nr C.34 op ondergr. verd., garagebox nr 18 op ondergr. verd. N.g.k.i. 1.395€. Vrij van gebruik. Woongebied, in structurerende ruimte. EPC D-/204. Contr. elektr. niet conform. Bezoeken : zaterdagen 24-31/1, 7/2 van 14-16u en dinsdagen 20-27/1, 3/2 van 12u30-14u30. Begin biedingen : maandag. 02.02.26 om 11u - Einde biedingen : dinsdag 10.02.26 om 11u - Instelprijs : 125.000€ - Bodverhoging : 1.000€ - Ondertekening akte : vrijdag 13.02.26 om 9u - www.biddit.be - Ref. pand : 291494.
  • Aantal kamers: 2
  • Aantal badkamers: 1
  • Lopende verkoop
  • Startdatum: 02/02/2026 11:00
  • Einddatum: 10/02/2026 11:00
  • Geen bod: 1000 €
  • Kadastraal inkomen: 1395 €
  • Vrij vanaf: Bij de akte
  • ALTER EGO, Notaires associés
  • Contactpersoon: Marie DERESE
  • Tel: (02) 204.50.10
  • Email: mde@alterego-notaires.be
  • Bezoekgegevens
  • zaterdagen 24-31/1, 7/2 van 14-16u en dinsdagen 20-27/1, 3/2 van 12u30-14u30.

Huizen

27 Rue de la Croix-Rouge, 6041 Gosselies

Doe een bod van
80.000 €

Presentatiebeeld van het pand n° 288492
Uit de hand
  • Referentie: 288492
  • Cette maison 2 façades se compose comme suit : Sous-sol : 1 cave. Rez-de-chaussée : un hall d'entrée, un wc séparé, un séjour, une cuisine et un garage. 1er étage : un hall de nuit, 2 chambres, un bureau et une salle de bain. Extérieur : une cour et un jardin. Divers : - Libre à l'acte - Châssis SV - Chauffage : poêle au gaz - Superficie habitable : +/- 70m² - Revenu cadastral non indexé : 505€ - Superficie du terrain : 1a 79ca - PEB : F / Consommation spécifique d’énergie primaire : 476kWh/m².an - Electricité : installation non conforme. Visites sur rendez-vous et renseignements au 0470/99.77.13
  • Aantal kamers: 2
  • Oppervlakte van het woongedeelte: 70m2
  • Kadastraal inkomen: 505 €
  • Vrij vanaf: Bij de akte
  • Notaires DUPUIS et Associés
  • Contactpersoon: Alison ES
  • Tel: 0470/99.77.13
  • Email: alison.es.352489@belnot.be
  • Bezoekgegevens
  • Visites sur rendez-vous au 0470/99.77.13

Huizen

99 Dries, 9420 Bambrugge

Doe een bod van
675.000 €

Presentatiebeeld van het pand n° 291119
Uit de hand
  • Referentie: 291119
  • Ruime meergezinswoning met 2 appartementen, tuin & dakterras. Op een rustige en groene locatie in Bambrugge vind je deze meergezinswoning uit 1969, bestaande uit twee zeer ruime appartementen, elk met een eigen garagebox. Dit pand biedt een unieke kans voor investeerders, grote gezinnen, kangoeroewonen of wie wonen en verhuren wil combineren. Gelijkvloers appartement - 184 m² + privatieve tuin. Het gelijkvloers appartement bevindt zich in een goede staat en biedt een uitzonderlijk grote woonoppervlakte. Indeling o.a.: ruime leefruimte met grote raampartijen, volledig uitgeruste keuken, badkamer met ligbad en douche, 2 grote slaapkamers; Aansluitend: mooie, grote privatieve tuin; Garagebox + private parkeerplaatsen. Dit appartement is instapklaar en ideaal voor wie comfortabel en gelijkvloers wil wonen met veel ruimte binnen én buiten. Appartement 1e verdieping - 134 m² + dakterras van 30 m². Op de 1e verdieping bevindt zich een 2e zeer ruim appartement dat nog te renoveren is, maar veel potentieel heeft. Indeling o.a.: grote leefruimte, keuken, badkamer, 3 slaapkamers; Groot dakterras van 30 m² met open zicht en garagebox. Troeven van het pand: Totale perceeloppervlakte: 832 m²; 2 afzonderlijke, ruime appartementen; Elk appartement beschikt over een garagebox; Rustige ligging in woongebied met landelijk karakter; Open zichten & groene omgeving; Treinstation op wandelafstand; Ideaal voor verhuur, kangoeroewonen of meerfamiliaal wonen; Ligging: de woning ligt in een aangename, rustige buurt in Bambrugge, op slechts 10 km van Aalst, met goede bereikbaarheid en vlotte verbinding naar de E40. Winkels, scholen en lokale voorzieningen bevinden zich in de nabije omgeving. G score: A P score: A
  • Aantal kamers: 5
  • Oppervlakte van het woongedeelte: 318m2
  • Aantal badkamers: 2
  • Kadastraal inkomen: 1550 €
  • Vrij vanaf: Bij de akte
  • LINGIER, Paul
  • Contactpersoon: Koen DE CLERCQ
  • Tel: (053) 21.42.56
  • Email: koen.declercq.201145@belnot.be

Gronden

Rue de Baisieux, 7370 Elouges

Doe een bod van
68.000 €

Presentatiebeeld van het pand n° 280420
Uit de hand
  • Referentie: 280420
  • RUE DE BAISIEUX 2 parcelles de terrain : Contenance par parcelle : 10 ares, 25 mètres de façade Prix : faire offre à partir de 75 000 euros/parcelle. Bien occupé
  • Kadastraal inkomen: 15 €
  • Vrij vanaf: Andere
  • Société Notariale Géry LEFEBVRE
  • Contactpersoon: gery LEFEBVRE
  • Tel: (065) 45.71.68
  • Email: gery.lefebvre@belnot.be

Huizen

1 Rue du Feureu, 7100 Haine-Saint-Pierre

Doe een bod van
100.000 €

Presentatiebeeld van het pand n° 291557
Uit de hand
  • Referentie: 291557
  • HAINE-SAINT-PIERRE - RUE DU FEUREU, 1 Maison d’habitation comprenant : Rez : hall, pièce avant, grand living, cuisine, WC, caves Etage : palier, 2 grandes chambres, 1 dressing, salle de douche avec évier et WC, grenier aménageable Convecteurs gaz au rdc, châssis simple et double vitrage PAS DE JARDIN – NI COUR Superficie : 1 are 01 centiares RC : 743€ PEB : E– 404 kWh/m2.an Visites : clef en l’étude, la réserver au 064/23.82.90.
  • Aantal kamers: 2
  • Kadastraal inkomen: 743 €
  • Vrij vanaf: Bij de akte
  • Delplanche, Martin
  • Contactpersoon: Valerie PÂQUET
  • Tel: (064) 23.82.90
  • Email: valerie.paquet.132043@belnot.be
  • Bezoekgegevens
  • Clef en l'étude, la réserver au 064/23.82.90

Huizen

1 Breemlaan, 2530 Boechout

Doe een bod van
325.000 €

Presentatiebeeld van het pand n° 291561
Online openbare verkoop
  • Referentie: 291561
  • Volledig te renoveren. Met tuin. Alles gelijkvloers: inkomhal, living-eetkamer, open keuken, berg- en wasruimte, grote en kleine slaapkamer, bureel, badkamer met douche en bad, inpandige garage, zolder. G score: A P score: A
  • Aantal kamers: 2
  • Aantal badkamers: 1
  • Lopende verkoop
  • Startdatum: 10/02/2026 14:00
  • Einddatum: 18/02/2026 14:00
  • Geen bod: 1000 €
  • Kadastraal inkomen: 1395 €
  • Vrij op: 01/04/2026
  • VAN DEN ABBEELE & RUYSEN, geassocieerde notarissen
  • Contactpersoon: Kantoor Not. Van den Abbeele & Ruysen
  • Tel: (03) 232.30.01
  • Email: info@britselei10.be
  • Bezoekgegevens
  • elke woensdag van 14u-16u vanaf 14/1 en elke zaterdag van 11u-13u vanaf 17/1.

Huizen

32 Rue de la Centenaire, 6224 Wanfercée-Baulet

Doe een bod van
450.000 €

Presentatiebeeld van het pand n° 291426
Uit de hand
  • Referentie: 291426
  • Spacieuse villa avec jardin et garage d'une superficie de 23 ares et 52 centiares, située à Wanfercée-Baulet, rue de la Centenaire, 32 et composée comme suit : - Au rez-de-chaussée (+/- 138,5 m²) : vaste hall d’entrée (+/- 19 m²), living spacieux (+/- 52 m²), cuisine super équipée avec îlot central (+/- 23 m²) + partie professionnelle avec 2 pièces de +/- 30 m² et de +/-14,5 m². - Au 1er étage (+/-120 m²) : 3 chambres + une salle de bain (avec baignoire en coin + douche). - Au sous-sol (à l'arrière): Garage 2 voitures accessible par le passage latéral. Grand jardin clôturé + terrasse de 40 m². Possibilité de 4 places de parking devant la maison. 32 panneaux photovoltaïques. Citerne d’eau de pluie fonctionnelle. Electricité conforme. Châssis double vitrage en PVC. Chauffage central au mazout. PEB : B. RC : 1.435€. Les visites s'effectuent uniquement les lundis et vendredis de 16h30 à 19h. Uniquement sur RDV au 071/41.45.34. Faire offre à partir de 450.0000€.
  • Aantal kamers: 3
  • Aantal badkamers: 1
  • Kadastraal inkomen: 1435 €
  • Vrij vanaf: Bij de akte
  • Gilles FRANCE Notaire
  • Contactpersoon: Charlotte METZ
  • Tel: (071) 41.45.34
  • Email: charlotte.metz.127191@belnot.be
  • Bezoekgegevens
  • Les visites s'effectuent uniquement les lundis et vendredis de 16h30 à 19h. Uniquement sur RDV au 071/41.45.34

Huizen

16 Grand'Place, 4590 Ouffet

Doe een bod van
300.000 €

Presentatiebeeld van het pand n° 291472
Uit de hand te koop
  • Referentie: 291472
  • A Ouffet, une jolie maison de type villa située Grand'Place 16. Cette maison est composée comme suit : - Au sous-sol : un garage avec une cave et un local chaufferie - buanderie ; - Au rez-de-chaussée : un hall d'entrée en "L" (1.85x1.4 et 2.9x2.16) avec vestiaire et WC (WC suspendu avec lavabo - 1.7x1.2), un séjour carrelé avec cassette à bois et balcon à rue (8x4), une cuisine équipée carrelée et en chêne (3.1x2.8), avec accès à une grande véranda (7.55x4) ; - Au 1er étage : un hall de nuit sur parquet flottant (3x2.2), une salle de douche sur parquet flottant ((3x1.85) WC, cabine de douche et lavabo), trois chambres (deux grandes (4x3.9 & 4x3.88) et une plus petite (3.14x2.77)). La maison dispose d'un jardin avec abri de jardin. Equipements : châssis de l'étage double vitrage PVC - châssis de la véranda double vitrage - châssis façade avant au rez-de-chaussée plus anciens - chauffage central mazout (chaudière récente) - cassette à bois dans le séjour - volets aux fenêtres - porte de garage électrique - système d'alarme. Atouts : maison en très bon état d'entretien, bien agencée, avec grande et belle véranda récente sur toute la largeur de la maison - très bien située et donnant sur la Grand Place d'Ouffet très arborée, avec parking aisé à proximité - écoles (maternelle-primaire-secondaire) à proximité et la rue commerçante est à deux pas.
  • Aantal kamers: 3
  • Oppervlakte van het woongedeelte: 168m2
  • Kadastraal inkomen: 1110 €
  • Vrij vanaf: Bij de akte
  • Bénédicte LECOMTE, Société Notariale
  • Contactpersoon: Maud DUCHESNE
  • Tel: (086) 36.62.06
  • Email: maud.duchesne.131086@belnot.be
  • Bezoekgegevens
  • Sur rendez-vous avec l'étude

Huizen

12 Rue Augustin Vermer, 5570 Beauraing

Doe een bod van
285.000 €

Presentatiebeeld van het pand n° 291575
Uit de hand te koop
  • Referentie: 291575
  • Immeuble à appartements multiples composé : 1/ au REZ-DE-CHAUSSÉE : Un studio comprenant un salon, une cuisine, une salle de douches avec évier et w-c, une chambre. (PEB D) 2/ au REZ-DE_CHAUSSEE : Un appartement comprenant un salon, une cuisine, un hall, une salle de douches avec évier, un w-c, une chambre, la cage d’escalier accédant au sous-sol et trois caves au sous-sol. (PEB C) 3/ au niveau des 1er et 2° ETAGES (en duplex) : un appartement (libre d'occupation) comprenant : . au premier étage : la cage d’escalier donnant accès au rez-de-chaussée, un hall, un w-c, une salle de douches avec évier, une salle à manger, une cuisine, deux chambres et la cage d’escalier donnant accès au deuxième étage. . au deuxième étage : un espace comprenant 3 greniers et un grenier inaccessible. (PEB G) Acte de base consultable en l'étude. Possibilité d'acquérir l'immeuble ou les unités privatives séparément : 1/ Studio au rez-de-chaussée (gauche) au prix souhaité de 65.000,00 € (revenu cadastral = 280,00 €) 2/ appartement au rez-de-chaussée au prix souhaité de 95.000,00 € (revenu cadastral = 316,00 €) 3/ appartement en duplex aux 1er et 2° étages au prix souhaité de 125.000,00 € (revenu cadastral = 362,00 €).
  • Aantal kamers: 4
  • Vrij vanaf: Te bepalen
  • FRIPPIAT Antoine
  • Contactpersoon: Sabrina MATHIEU
  • Tel: (084) 38.81.21
  • Email: sabrina.mathieu.105825@belnot.be
  • Bezoekgegevens
  • Prise de rendez-vous en l'étude.

Huizen

127 Pelgrimsstraat, 7700 Moeskroen

Doe een bod van
319.000 €

Presentatiebeeld van het pand n° 291570
Uit de hand te koop
  • Referentie: 291570
  • réf. étude : ML-2026-0001 SECTEUR BOIS FICHAUX - Maison entièrement rénovée avec jardin de +/- 450 m² et parking privé pour 2 voitures, comprenant : - au rez-de-chaussée : hall d'entrée, wc séparé avec lave-mains, cellier, vaste pièce ouverte aménagée en salle à manger, cuisine équipée avec ilot central amovible et agréable salon côté jardin, terrasse, jardin d'env. 450 m² exposé sud-ouest (avec grand abri et module de jeux) ; - au 1er étage : hall de nuit desservant 2 chambres (1 avec dressing), une salle de bain (baignoire, meuble double vasque) et un 2nd wc séparé avec lave-mains; - au 2nd étage : hall de nuit desservant 2 chambres supplémentaires. CONFORT ET CARACTERISTIQUES : Feu au bois / pellets avec pierre réfractaire (inclus dans la vente, en l'état), châssis en PVC (double vitrage), 13 panneaux photovoltaïques (facture d'électricité mensuelle de 47€ pour famille de 5). Libre d'occupation le 01/08/2026. VISITES sur rendez-vous par téléphone avec le vendeur au 0474/72.27.60
  • Aantal kamers: 4
  • Aantal badkamers: 1
  • Vrij op: 01/08/2026
  • Mathilde VAN DEN BERGH, Notaire
  • Contactpersoon: Michaël LOIN
  • Tel: (056) 34.22.60
  • Email: michael.loin.217610@belnot.be
  • Bezoekgegevens
  • Sur rendez-vous par téléphone avec le vendeur au 0474/72.27.60

Huizen

103 Drapstraat, 9220 Hamme

Doe een bod van
700.000 €

Presentatiebeeld van het pand n° 291580
Uit de hand te koop
  • Referentie: 291580
  • Deze instapklare villa, gebouwd in 1998 en in 2012 uitgebreid met een bijgebouw met aparte ingang, biedt een unieke combinatie van hedendaagse architectuur, hoogwaardige materialen en een uitzonderlijke woonervaring. Gelegen op een perceel van 1.013 m², met een straatbreedte van ca. 28 meter, en vlakbij een prachtig natuurgebied. De woning is bovendien energiezuinig (EPC-waarde B). * Indeling en troeven: • Inkomhal met ingebouwde vestiaire en aparte WC; • Royale leefruimte met open keuken en grote raampartijen in duurzaam padoukhout, die zorgen voor overvloedige lichtinval en een prachtig zicht op tuin en terras; • Gelijkvloers: vloer in blauwe steen, zithoek in padoukhout; • Vide die een open en ruimtelijk gevoel creëert; • Onderhoudsvriendelijke tuin met terras in blauwe steen, een prachtige zwemvijver en een tuinhuis in padoukhout; • Garage en ruime parkeergelegenheid. 1e verdiep (origineel gedeelte 1998): • 4 slaapkamers; • Badkamer met douche, ligbad en toilet; • Kleine badkamer met douche. Nieuwbouwgedeelte (2012): • Aparte inkom; • Multifunctionele ruimte met vloer in epoxy; • Op het 1e verdiep: een slaapkamer en een badkamer met douche en toilet; • Ramen in aluminium kader met dubbel glas. Locatie: Rustige, gunstige buurt nabij alle voorzieningen zoals winkels, scholen en openbaar vervoer. Van hieruit geniet u een vlotte verbinding met diverse invalswegen én de luxe van wonen vlakbij een natuurgebied. Werd uw interesse geprikkeld door deze moderne, hedendaagse villa met zwemvijver? G score: B P score: C
  • Aantal kamers: 5
  • Oppervlakte van het woongedeelte: 327m2
  • Aantal badkamers: 2
  • Kadastraal inkomen: 1798 €
  • Vrij op: 15/07/2026
  • SVEN HEYVAERT, NOTARISVENNOOTSCHAP
  • Contactpersoon: Pauline PASSEMIERS
  • Tel: (052) 47.70.83
  • Email: pauline@notarisheyvaert.be
  • Bezoekgegevens
  • Voor meer informatie of een bezoek, contacteer notaris Heyvaert via info@notarisheyvaert.be of 052/477083.

Huizen

86 Pamelstraat, 9400 Ninove

Doe een bod van
120.000 €

Presentatiebeeld van het pand n° 291423
Online verkoop
  • Referentie: 291423
  • Rijwoning met o.a.: 2 slaapkamers en badkamer. Oppervlakte 140 m². Woongebied. P- & G-score: B. G score: B P score: B
  • Aantal kamers: 2
  • Aantal badkamers: 1
  • Lopende verkoop
  • Startdatum: 09/02/2026 14:00
  • Einddatum: 17/02/2026 14:00
  • Geen bod: 1000 €
  • Kadastraal inkomen: 409 €
  • Vrij vanaf: Bij de akte
  • Caudron, Herzeel & Breckpot, geassocieerde notarissen
  • Contactpersoon: Christoffel DE VRIENDT
  • Tel: (053) 21.11.05
  • Email: chloe@notch.be
  • Bezoekgegevens
  • Het goed zal door de kandidaat-kopers kunnen bezocht worden op zaterdagen 31 januari 2026, 7 februari 2026 en 14 februari 2026, telkens van 14u-15u

Huizen

237 Chaussée de Ramioul, 4400 Ivoz-Ramet

Doe een bod van
200.000 €

Presentatiebeeld van het pand n° 289698
Uit de hand te koop
  • Referentie: 289698
  • Située dans un quartier agréable de Flémalle, cette maison bel-étage proche des transports en commun saura vous séduire par sa luminosité, et son agréable jardin idéal pour profiter des beaux jours. Elle est composée au rez-de-jardin d’un salon, d’une salle à manger et d’une spacieuse cuisine et à l’étage de 2 chambres spacieuses, d’une salle de bain et d’un bureau. Elle dispose au rez-de-chaussée d’un grand garage.
  • Aantal kamers: 2
  • Aantal badkamers: 1
  • Kadastraal inkomen: 714 €
  • Vrij vanaf: Bij de akte
  • Fabienne JEANDRAIN, Notaire
  • Contactpersoon: Fabienne JEANDRAIN
  • Tel: (04) 337.02.77
  • Email: fabienne.jeandrain@belnot.be
  • Bezoekgegevens
  • Visites sur rendez-vous

Huizen

51 Arthur Borghijsstraat, 2870 Puurs-Sint-Amands

Doe een bod van
250.000 €

Presentatiebeeld van het pand n° 289650
Uit de hand te koop
  • Referentie: 289650
  • Gunstig gelegen woonhuis met 3 slaapkamers en grote garage/werkplaats achterin de tuin (ook bereikbaar via losweg), gedeeltelijk gerenoveerd, dak vernieuwd, gelegen in een rustige straat, parkeergelegenheid, enkel richtingstraat - snelle verbinding Antwerpen/Brussel/Gent G score: B P score: B
  • Aantal kamers: 3
  • Oppervlakte van het woongedeelte: 113m2
  • Aantal badkamers: 1
  • Kadastraal inkomen: 307 €
  • Vrij vanaf: Bij de akte
  • Verhaegen en Verlinden, Notarisvennootschap
  • Contactpersoon: Vicky MOONS
  • Tel: (03) 889.01.10
  • Email: vicky.moons.128223@belnot.be
  • Bezoekgegevens
  • na telefonisch contact met het notariskantoor

Huizen

35 Rue des Comtes de Robiano, 1440 Braine-le-Château

Doe een bod van
175.000 €

Presentatiebeeld van het pand n° 291434
Uit de hand te koop
  • Referentie: 291434
  • Maison 3 façades située à Braine-le-Château, sur un terrain de 359,62m² selon mesurage, se composant comme suit : Au rez-de-chaussée : - un salon ; - une salle à manger ; - une cuisine ; - une salle de bain ; Au premier étage : - trois chambres ; Au sous-sol : Une cave/buanderie ; Un grenier. Le bien est vendu avec le terrain/jardin contigu (et pigeonnier à abattre) d'une contenance de 175,54m². Actuellement louée (bail en cours depuis le 1er mai 2004). PEB G et installation électrique non conforme, mais un potentiel énorme pour les projets ambitieux. Située hors zone d’aléa d’inondation. Faites votre offre à partir de 175.000 €. Visites sur rendez-vous au 010/77.18.77 avec Mr FRANCK, tapez 5.
  • Aantal kamers: 3
  • Kadastraal inkomen: 684 €
  • Vrij vanaf: Andere
  • ETIENNE DERYCKE ET BENEDICTE VANDENBORRE, NOTAIRES ASSOCIES
  • Contactpersoon: Aurore SARLET
  • Tel: (02) 390.02.18
  • Email: aurore.sarlet.222009@belnot.be
  • Bezoekgegevens
  • Visites sur rendez-vous au 010/77.18.77 avec Mr FRANCK, tapez 5.

Huizen

10 Rue des Comtes de Robiano, 1440 Braine-le-Château

Doe een bod van
300.000 €

Presentatiebeeld van het pand n° 291416
Uit de hand te koop
  • Referentie: 291416
  • Située à Braine-le-Château, rue des Comtes de Robiano n°10, cette maison d’habitation 3 chambres avec jardin offre un cadre de vie agréable dans un environnement résidentiel apprécié. Le bien n’est pas situé en zone d’inondation, le certificat PEB est de catégorie G et l’installation électrique n’est pas conforme. Cette maison constitue une excellente base pour un projet de rénovation, permettant aux futurs acquéreurs d’aménager les espaces selon leurs envies et de valoriser pleinement le potentiel du bien. Une opportunité rare dans un secteur recherché de Braine-le-Château, à découvrir sans tarder ! Faire offre à partir de 300.000,00€. Visites sur rendez-vous au 010/77.18.77 avec Mr FRANCK, tapez 5.
  • Aantal kamers: 3
  • Aantal badkamers: 1
  • Kadastraal inkomen: 1303 €
  • Vrij vanaf: Bij de akte
  • ETIENNE DERYCKE ET BENEDICTE VANDENBORRE, NOTAIRES ASSOCIES
  • Contactpersoon: Aurore SARLET
  • Tel: (02) 390.02.18
  • Email: aurore.sarlet.222009@belnot.be
  • Bezoekgegevens
  • Visites sur rendez-vous au 010/77.18.77 avec Mr FRANCK, tapez 5.

Gronden

5 Rue du Piloris et sise au lieu dit Waideprès, 7604 Brasménil

Doe een bod van
60.000 €

Presentatiebeeld van het pand n° 291583
Uit de hand te koop
  • Referentie: 291583
  • VILLE DE PERUWELZ, Quatrième division, BRASMENIL Un terrain sis à front de la rue du Pilori, cadastré selon titre et selon extrait de matrice cadastrale daté du 09/09/2025, Section B, numéros 0357DP0000, 0358AP0000 et 0356CP0000, pour une contenance totale de quatorze ares soixante centiares (14a 60ca). Revenu cadastral pour l’ensemble : dix euros (10,00 €). PRIX INDICATIF : 60.000,00 EUROS Etudes supplémentaires SRL Charlotte DECOCK, Notaire
  • Kadastraal inkomen: 10 €
  • Vrij vanaf: Bij de akte
  • ESPACE NOTAIRES - Société notariale
  • Contactpersoon: Suyada WAYNO
  • Tel: (069) 64.65.00
  • Email: suyada.wayno.460047@belnot.be
  • Bezoekgegevens
  • Contacter l'étude au 069 64 65 00

Huizen

14 Anjerlaan, 2870 Puurs-Sint-Amands

Doe een bod van
395.000 €

Presentatiebeeld van het pand n° 290365
Uit de hand te koop
  • Referentie: 290365
  • Zeer mooi onderhouden halfopen bebouwing met 3 slaapkamers - recent gerenoveerde ingerichte keuken/badkamer - zolderkamer - kleine kelder - garage/oprit - gelegen in doodlopende straat - speeltuin dichtbij - sporttereinen op wandelafstand - nieuw dak - nieuwe condensatieverwarmingsketel - tuinhuis aanwezig - snelle verbinding Antwerpen/Brussel G score: A P score: A
  • Aantal kamers: 3
  • Oppervlakte van het woongedeelte: 174m2
  • Aantal badkamers: 1
  • Kadastraal inkomen: 642 €
  • Vrij vanaf: Bij de akte
  • Verhaegen en Verlinden, Notarisvennootschap
  • Contactpersoon: Vicky MOONS
  • Tel: (03) 889.01.10
  • Email: vicky.moons.128223@belnot.be
  • Bezoekgegevens
  • na telefonish contact met notariskantoor

Huizen

30 Rozenveldstraat, 3210 Linden

Doe een bod van
380.000 €

Presentatiebeeld van het pand n° 291555
Online verkoop
  • Referentie: 291555
  • Goed onderhouden woning in een rustige, residentiële wijk te Linden. Het gelijkvloers omvat een woonkamer, keuken, badkamer, twee slaapkamers en een ruime veranda. Op de zolderverdieping bevindt zich een ruime slaapkamer met toilet. Verder beschikt de woning over een garage en een aangename, ruime tuin. Ideaal voor comfortabel wonen in alle rust. G score: A P score: A
  • Aantal kamers: 3
  • Oppervlakte van het woongedeelte: 117m2
  • Aantal badkamers: 1
  • Lopende verkoop
  • Startdatum: 02/02/2026 13:00
  • Einddatum: 10/02/2026 13:00
  • Geen bod: 1000 €
  • Kadastraal inkomen: 1331 €
  • Vrij vanaf: Bij de akte
  • Notaris Raf Lenaerts
  • Contactpersoon: Rupi KAUR
  • Tel: (016) 63.33.43
  • Email: rupi.kaur@notariaatlubbeek.be
  • Bezoekgegevens
  • Zaterdag 17 januari 2026 van 10u-14u; zaterdag 24 januari 2026 van 10u-14u; woensdag 28 januari 2026 van 11u-14u; zaterdag 31 januari 2026 van 10u-14u; zaterdag 7 februari 2026 van 10u-14u

Huizen

37 Piercostraat, 3400 Landen

Doe een bod van
40.000 €

Presentatiebeeld van het pand n° 291505
Online verkoop
  • Referentie: 291505
  • Deze te renoveren woning biedt een mooie kans als investeringspand. Ideaal gelegen, het pand bevindt zich dicht bij alle voorzieningen. De nog aanwezige roerende goederen, rommel, afval, … zijn begrepen in de verkoop en de koper zal deze dus zelf dienen te ontruimen. Tuin aanwezig. G score: D P score: D
  • Aantal kamers: 2
  • Aantal badkamers: 1
  • Lopende verkoop
  • Startdatum: 03/02/2026 14:00
  • Einddatum: 11/02/2026 14:00
  • Geen bod: 1000 €
  • Kadastraal inkomen: 250 €
  • Vrij vanaf: Bij de akte
  • Notariskantoor Kris Pexsters
  • Contactpersoon: Michèle LEMACHE
  • Tel: 011230682
  • Email: michele@notarislanden.be
  • Bezoekgegevens
  • Na telefonische afspraak (sleutel af te halen op het notariskantoor). Het betreden van de plaats gebeurt op eigen risico.

Huizen

5 Steenweg Hulst-Lessen, 9140 Elversele

Doe een bod van
559.000 €

Presentatiebeeld van het pand n° 291508
Uit de hand te koop
  • Referentie: 291508
  • Gunstig gelegen woning in de rand van Sint Niklaas met zonnige tuin en vlotte verbinding E17. (Steenweg Hulst-Lessen 5 Elversele ) Indeling gelijkvloers: inkomhal met apart toilet, bureauruimte, ruime lichtrijke woonkamer voorzien van parket en grote strakke gashaard, open keuken. (50m²) Annex een berging met toegang naar buiten. Eerste verdieping: nachthal met apart toilet, 3 slaapkamers. Ruime moderne badkamer met ligbad, inloopdouche en dubbele lavabo en een tweede (!) badkamer met douche en lavabo. Ideaal voor een vlot ochtendritueel. De grote badkamer geeft toegang tot een dressingruimte. Tweede verdieping: vaste trap naar de volledig ingerichte zolder. (45m²) Indien gewenst kan de zolder nog ingedeeld worden in afzonderlijke ruimtes en biedt tal van mogelijkheden. Buiten is er een zonnige tuin met terras aan de woning alsook een terras achteraan in de tuin. Extra info: De woning is instapklaar en afgewerkt met oog voor detail. Er werd gekozen om te werken met kwaliteitsvolle materialen. Opp. 623 m², B.J. 2003, K.i. 702, CV op aardgas,(nieuwe ketel dd 2023) niet overstromingsgevoelig. Keuring elektrische installaties en EPC B beschikbaar op aanvraag. Troeven: Gunstig gelegen, EPC label B, hedendaagse afwerking, veel ruimte. Bezoeken op afspraak van 17/01 tot 18/01. Biedingen mogelijk tot 22/01/2026. Interesse? Contacteer vrijblijvend de eigenaar op het nummer: 0478/62.19.65. G score: A P score: A
  • Aantal kamers: 3
  • Aantal badkamers: 2
  • Kadastraal inkomen: 702 €
  • Vrij vanaf: Bij de akte
  • RAEMDONCK NOTARISVENNOOTSCHAP
  • Contactpersoon: Joris TERREBROOD
  • Tel: (03) 727.10.80
  • Email: joris.terrebrood.126326@belnot.be

Huizen

77 Rue des Tilleuls, 4400 Flémalle-Grande

Doe een bod van
177.000 €

Presentatiebeeld van het pand n° 291486
Uit de hand te koop
  • Referentie: 291486
  • Maison unifamiliale de type social (voir conditions pour acheter en l'Etude) située à Flémalle, rue des Tilleuls 77. Visites sur place le mercredi 21 janvier à 14h30 et le mercredi 04 février à 14h30. Maison 2 façades avec trois chambres et jardin. Composition : Sous-sol : caves avec accès au jardin. Rez-de-chaussée : hall d'entrée, séjour lumineux, cuisine non équipée (à installer), WC séparé. 1er étage : hall de nuit, trois chambres, salle de douche avec évier et WC. Grenier non aménageable accessible par une trappe. Eléments techniques : Chauffage central au gaz, châssis PVC double vitrage (volet au séjour). PEB C (207 kWh/m².an) n°20250925018437. Visites sur place le mercredi 21 janvier à 14h30 et le mercredi 04 février à 14h30.
  • Aantal kamers: 3
  • Oppervlakte van het woongedeelte: 95m2
  • Kadastraal inkomen: 426 €
  • Vrij vanaf: Bij de akte
  • Charlotte LABEYE et Ophélie LALLEMEND, Société Notariale
  • Contactpersoon: Mathilde RIGA
  • Tel: (04) 233.81.15
  • Email: mathilde.riga.353186@belnot.be
  • Bezoekgegevens
  • Visites sur place le mercredi 21 janvier à 14h30 et le mercredi 04 février à 14h30.

Gronden

Sint-Kristoffelstraat, 8650 Houthulst

Doe een bod van
125.000 €

Presentatiebeeld van het pand n° 291495
Uit de hand te koop
  • Referentie: 291495
  • Bouwgrond met een oppervlakte van 384 ca met erop een af te breken garage , gunstig zuidgericht en gelegen nabij het centrum van Houthulst. Mogelijkheid om aan 6% te bouwen, ideaal voor wie zijn eigen woonproject wil realiseren op een goed gelegen locatie. Vlotte bereikbaarheid en nabijheid van winkels, scholen en andere voorzieningen. P score: D
  • Kadastraal inkomen: 52 €
  • Vrij vanaf: Bij de akte
  • KINT-MAERTENS-VANDERMEERSCH, geassocieerd notarissen
  • Contactpersoon: Stefanie BAERT
  • Tel: (051) 70.12.78
  • Email: stefanie.baert.460061@belnot.be

Huizen

432 Bruggestraat, 8930 Menen

Doe een bod van
250.000 €

Presentatiebeeld van het pand n° 291462
Uit de hand te koop
  • Referentie: 291462
  • Deze woning beschikt over een gelijkvloerse verdieping met een inkomhal, gastentoilet, living met eetruimte en open geïnstalleerde keuken en een technische berging. Op de eerste verdieping bevinden zich 3 slaapkamers en een badkamer met douche, ligbad, toilet en dubbele lavabo. Daarnaast beschikt de woning ook over een kelder en een aangename, zuid-westgerichtte tuin met tuinhuis. Centrale verwarming op gas. Regenwaterput aanwezig. Hoogrendementsglas. EPC = label D (geen renovatieverplichting). Elektriciteitskeuring conform. Blanco bodemattest. Stedenbouw: Woongebied, vergund, geen verkaveling, geen voorkooprecht. Geen risicozone voor water. Perceel- en gebouwenscore C. G score: C P score: C
  • Aantal kamers: 3
  • Kadastraal inkomen: 552 €
  • Vrij vanaf: Bij de akte
  • Notariaat Vanhixe & Huyghe, geassocieerde notarissen
  • Contactpersoon: Manon RAES
  • Tel: (056) 50.90.02
  • Email: manon.raes.222697@belnot.be
  • Bezoekgegevens
  • Bezoek mogeiljk via voorafgaandelijke afspraak met het notariskantoor 056/50.90.02

Huizen

13 Weeldestuk, 8200 Sint-Andries

Doe een bod van
238.000 €

Presentatiebeeld van het pand n° 291514
Online verkoop
  • Referentie: 291514
  • Magnifiek gelegen alleenstaande bungalow in de wijk "Hermitage" te Sint-Andries. Deze woning omvat een inkomhal, toilet, woonkamer met veranda uitkijkend op de omliggende tuin en toegang tot het terras, uitgeruste keuken en een garage met aansluiting voor wasmachine. De garage is uitgerust met een elektrische garagepoort. Via een vaste trap bereikt u de ruime zolder, deze strekt zich over de volledige verdieping. De tuin is voorzien van een houten buitenberging. Verder heb je nog een badkamer met wastafel en inloopdouche. De oprit biedt plaats voor een extra wagen. Dit pand is uitermate rustig gelegen in een autoluwe straat. G score: A P score: C
  • Aantal kamers: 3
  • Aantal badkamers: 1
  • Lopende verkoop
  • Startdatum: 10/02/2026 14:00
  • Einddatum: 18/02/2026 14:00
  • Geen bod: 1000 €
  • Kadastraal inkomen: 1239 €
  • Vrij vanaf: Bij de akte
  • VVD NOTARISVENNOOTSCHAP
  • Contactpersoon: Anouchka DEMETS
  • Tel: (050) 40.40.40
  • Email: anouchka@vvdnotarissen.be
  • Bezoekgegevens
  • Bezoeken via geassocieerde notarissen Van Damme, Van Damme & Delaere te 8200 Brugge (Sint-Andries). Voor een bezoek mag u contact opnemen per mail anouchka@vvdnotarissen.be of telefonisch op het nummer 050/40.40.40.

Appartementen

14 Avenue Delchambre, 4500 Huy

Doe een bod van
315.000 €

Presentatiebeeld van het pand n° 289460
Uit de hand te koop
  • Referentie: 289460
  • Un appartement de standing au cœur de Huy – L’espace d’une maison, le confort de la ville Vous vendez votre maison mais souhaitez conserver de beaux volumes, une vraie sensation d’espace et un cadre de vie confortable et sécurisé ? Cet appartement a été pensé pour vous. Situé en plein centre de Huy, à deux pas de son magnifique cœur historique, ce grand appartement de standing séduit immédiatement par ses beaux volumes, ses matériaux de qualité et son atmosphère chaleureuse. Tout a été pensé pour le confort et la tranquillité : • Sécurité renforcée • Cave • Grand emplacement de parking Conçu à l’origine pour accueillir le mobilier généreux d’une maison, il offre de superbes sensations d’espace, rares en centre-ville, permettant d’y vivre aisément et sereinement, aujourd’hui comme pour les années à venir. L’emplacement est un véritable atout : tous les commerces sont accessibles à pied : banque, boulangerie, pharmacie, épiceries, supermarché à 5 minutes, proximité immédiate des arrêts de bus, du centre culturel, de la piscine et à quelques minutes de magnifiques balades le long de la Meuse. Ici, tout peut se faire à pied si vous le souhaitez, tout en profitant du dynamisme de la ville et de la douceur de vie qu’offre Huy. Un bien idéal pour celles et ceux qui souhaitent tourner la page de l’entretien d’une maison, sans renoncer à l’espace, au standing et au plaisir de vivre dans un lieu élégant, pratique et rassurant. Faire offre à partir de 315.000 €.
  • Aantal kamers: 2
  • Oppervlakte van het woongedeelte: 148m2
  • Aantal badkamers: 1
  • Kadastraal inkomen: 1863 €
  • Vrij vanaf: Bij de akte
  • NELLESSEN & VACCARI NOTAIRES ASSOCIES
  • Contactpersoon: Sophie BARTHÉLEMY
  • Tel: (085) 21.10.09
  • Email: sophie.barthelemy.352766@belnot.be
  • Bezoekgegevens
  • Renseignements et visites en l'Etude des Notaires Didier NELLESSEN et Letizia VACCARI - Avenue Charles et Léopold Godin 6/1 4500 Huy - 085/21.10.09 (notaire@vanelnot.be)

Huizen

7A Rue Bonnet, 7041 Havay

Doe een bod van
370.000 €

Presentatiebeeld van het pand n° 291519
Uit de hand te koop
  • Referentie: 291519
  • Prix : Faire offre à partir de 370.000€ Située dans un environnement calme et verdoyant, cette villa 4 façades offre un cadre de vie agréable avec une belle vue sur les champs. Implantée sur 1.080 m², elle dispose d’un grand jardin, d’une terrasse, d’un garage et de plusieurs emplacements de parking. Les commerces, écoles, transports et l’autoroute sont facilement accessibles. Le rez-de-chaussée comprend un hall d’entrée avec rangements, un WC, une salle à manger, un salon avec possibilité d'installation de feu ouvert et une cuisine équipée. A l’étage : 3 chambres dont une avec dressing, une salle de bains/douches, ainsi que des combles accessibles via une trappe. La maison est en bon état général. Elle est équipée de châssis en PVC à double vitrage, de volets à l’étage, d’un système d’alarme, d’une citerne d’eau de pluie avec groupe hydrophore, d’une fosse septique et d’un chauffage central au mazout. Des travaux sont à prévoir : remplacement de certains châssis présentant des infiltrations, traitement de traces d’humidité, révision de la porte de garage, rafraîchissement général. L’installation électrique n’est pas conforme et le bien dispose d’un certificat PEB de catégorie C. Une très belle villa, offrant de beaux volumes et un environnement paisible. Pour en savoir plus sur ce bien, visitez www.notairedemolin.net : vous y trouverez tous les documents utiles. Pour plus d'informations ou pour organiser une visite, contactez l'Etude du Notaire Demolin au 064/54.10.30.
  • Aantal kamers: 3
  • Oppervlakte van het woongedeelte: 129m2
  • Aantal badkamers: 1
  • Kadastraal inkomen: 837 €
  • Vrij vanaf: Bij de akte
  • NICOLAS DEMOLIN, NOTAIRE
  • Contactpersoon: Samir LAICHE
  • Tel: (064) 54.10.30
  • Email: samir.laiche.109462@belnot.be
  • Bezoekgegevens
  • Le bien vendu pourra être visité par les candidats-acquéreurs sur rendez-vous en contactant le secrétariat de l'étude du Notaire Nicolas Demolin au 064/54.10.30.

Huizen

75 Rue du Petit Canton, 6460 Saint-Remy

Doe een bod van
80.000 €

Presentatiebeeld van het pand n° 281739
Uit de hand te koop
  • Referentie: 281739
  • Avec beau petit terrain, vue arrière dégagée sur les champs Rez : salle à manger - séjour, chambre, buanderie, sdb Etage : 3 chambres Electricité non conforme, poêle au bois, abri de jardin Certificat PEB n°20250403001556 ( F - 499 kWh.m²) Cadastrée section B n°0236NP0000 pour 6a 30ca – RC : 240€
  • Aantal kamers: 4
  • Aantal badkamers: 1
  • Kadastraal inkomen: 240 €
  • Vrij vanaf: Bij de akte
  • Vincent MAILLARD notaire et associés
  • Contactpersoon: Bernadette PONCELET
  • Tel: (060) 21.11.16
  • Email: anne.dimanche.129569@belnot.be
  • Bezoekgegevens
  • sur RDV à prendre avec Monsieur LEGROS au 0472/63.69.56

Huizen

245 Brusselsesteenweg, 1730 Asse

Doe een bod van
120.000 €

Presentatiebeeld van het pand n° 291504
Online verkoop
  • Referentie: 291504
  • Te renoveren woning met tuin en garage is gelegen op een terrein van 4a15ca. Het linkse deel van de te renoveren woning kan als volgt omschreven worden: Indeling gelijkvloers: leefruimte, keuken en bergruimte. De trap naar de bovenverdieping bevindt zich in een kleine gang. Indeling eerste verdieping: een open ruimte met een aparte toegang tot een (mogelijke) kamer en badkamer. In de open ruimte op de eerste verdieping, bevindt zich een trap naar de tweede (onder het dak gelegen) verdieping. Het rechtse deel van de te renoveren woning kan als volgt omschreven worden: Een trap naar de eerste verdieping waarin een kleine ruimte is en een trap naar de tweede verdieping. De tweede verdieping bestaat uit een (onder het dak gelegen) open ruimte. Achter de garagepoort is er een oprit aanwezig naar de garageruimte. Links van deze garage is de tuin . G score: A P score: A
  • Aantal kamers: 2
  • Lopende verkoop
  • Startdatum: 10/02/2026 13:00
  • Einddatum: 18/02/2026 13:00
  • Geen bod: 1000 €
  • Kadastraal inkomen: 722 €
  • Vrij vanaf: Bij de akte
  • Aileen RENIERS, Notaris
  • Contactpersoon: Grietje VAN BUGGENHOUT
  • Tel: (02) 568.16.50
  • Email: grietje.vanbuggenhout.128561@belnot.be

Huizen

67 Rue de la Chapelle, 6887 Straimont

Doe een bod van
150.000 €

Presentatiebeeld van het pand n° 291522
Online verkoop
  • Referentie: 291522
  • Située au cœur du charmant village de Straimont (Commune d'Herbeumont), en plein milieu rural ardennais, cette spacieuse maison villageoise 3 façades séduira les amateurs de caractère, d’espace et de projets de rénovation. La maison se compose au rez-de-chaussée d’un vaste hall d’entrée de 15,50 m², d’une salle à manger de 14,80 m² équipée d’un poêle à pellets, d’une cuisine de 16,70 m², d’une arrière-cuisine de 8 m² avec accès direct au jardin, d’un salon de 16,86 m² avec feu ouvert à cassette, d’un hall intérieur de 3,68 m², d’un WC avec lave-mains de 1,20 m² ainsi que d’une cave voûtée de 13 m². Le premier étage offre un palier spacieux de 12 m², quatre chambres aux superficies confortables de respectivement 18,44 m², 16,55 m², 15 m² et 12 m², un hall de nuit de 7 m² ainsi qu’une salle de bain avec WC de 9 m². Le deuxième étage comprend un grenier aménageable, laissant entrevoir de belles possibilités d’extension ou d’aménagement selon les besoins. À l’extérieur, le bien dispose d’une grange d’environ 50 m² répartie sur deux niveaux, idéale pour un atelier, un espace de stockage ou un futur aménagement, d’un garage pour une voiture, d’une dépendance de 7 m², d’un ancien WC, d’un passage latéral carrossable ainsi que d’un jardin orienté à l’est. Au niveau des équipements, la maison est raccordée à l’eau de ville et aux égouts, dispose d’une citerne d’eau de pluie, de châssis en PVC double vitrage avec volets, d’une installation électrique bi-horaire avec compteur budget, ainsi que d’un système de chauffage combinant poêle à pellets et cassette à bois. La toiture est en ardoises et n’est pas isolée. Des travaux de rénovation sont à prévoir, offrant l’opportunité de repenser et de valoriser ce bien selon les envies et les besoins de l’acquéreur.
  • Aantal kamers: 4
  • Lopende verkoop
  • Startdatum: 09/02/2026 13:00
  • Einddatum: 17/02/2026 13:00
  • Geen bod: 1000 €
  • Kadastraal inkomen: 324 €
  • Vrij vanaf: Bij de akte
  • Augustin FOSSÉPREZ - société notariale
  • Contactpersoon: Louise BAIJOT
  • Tel: (061) 22.55.50
  • Email: louise.baijot.125674@belnot.be
  • Bezoekgegevens
  • Visites sur rendez-vous au 082/77.18.77 avec Madame VAN DEN HOVE, tapez 2.

Kantoren

8 Rue Eugène Ysaye, 4000 Liège

Doe een bod van
290.000 €

Presentatiebeeld van het pand n° 291200
Uit de hand te koop
  • Referentie: 291200
  • L'immeuble se compose comme suit : Au rez-de-chaussée : - lot 1 : une pièce bureau, une kitchenette, un wc et deux pièces à usage de bureaux (45,10m²) + cave - lot 2 : un hall d'entrée, une pièce type salle d'attente (actuellement local vélo), une seconde pièce bureau avec wc et local de rangement, un couloir, une troisième pièce bureau (actuellement vestiaire et 2 douches), une kitchenette, une pièce et un wc, un quatrième pièce bureau (actuellement vestiaire et 2 douches) (97,50m²) + cave - trois emplacements de parking couverts accessibles par le volet électrique en façade + un espace parking vélo Au premier étage : - lot 3 : un vaste espace bureau avec coin cuisine (97,70m²), des sanitaires hommes et femmes, un espace sous toiture + cave
  • Kadastraal inkomen: 3552 €
  • Vrij vanaf: Bij de akte
  • NOTABIS, société notariale
  • Contactpersoon: Lara ISTACE
  • Tel: (04) 220.16.16
  • Email: lara.istace.460035@belnot.be

Garage

210 Rue de l'Espérance, 4000 Liège

Doe een bod van
80.000 €

Presentatiebeeld van het pand n° 291535
Uit de hand te koop
  • Referentie: 291535
  • Ancienne maison d’habitation transformée en deux garages / espace de stockage, offrant un fort potentiel d’exploitation ou de réaménagement (sous réserve des autorisations administratives à obtenir). Ce bien se situe dans un quartier résidentiel, à proximité immédiate du centre ville, et est actuellement libre d'occupation. Le bien se compose comme suit : - Un vaste garage - Un jardin - Un grenier - Une cave - Un W.C. indépendant - Une pièce arrière, pouvant servir de stockage ou d'atelier. Surface cadastrale : 257 m² Revenu cadastral : 247€
  • Kadastraal inkomen: 247 €
  • Vrij vanaf: Bij de akte
  • MOTTARD, HUGE & LECLERCQ, Société Notariale
  • Contactpersoon: Lena PIERI
  • Tel: (04) 232.19.27
  • Email: lena.pieri.217351@belnot.be
  • Bezoekgegevens
  • Sur rendez-vous pris en l'étude

Huizen

22A Rue Docteur Laurent, 6640 Sibret

Doe een bod van
170.000 €

Presentatiebeeld van het pand n° 291533
Online openbare verkoop
  • Referentie: 291533
  • LOT 1 : Maison d'habitation plain-pied 3 façades "rue Docteur Laurent 22A", cadastrée Commune de VAUX-SUR-SÛRE 6ème division Sibret (82026) section D n° 0764MP0000, de 1953, RC 592€, sur et avec terrain de 02a 60ca, comprenant : hall d'entrée avec escalier, cuisine semi équipée (pas de frigo), salle à manger, chambre, salle de bains (évier, douche), buanderie-chaufferie ; étage : grenier aménageable non isolé accessible par escalier fixe ; pas de cave. Equipements : toiture ardoise, chauffage central mazout, châssis PVC double vitrage avec volets manuels, électricité non conforme, PEB D, revêtement façades en plastique imitation briques, égouts. Extérieur : cour, jardin et garage.
  • Aantal kamers: 1
  • Oppervlakte van het woongedeelte: 98m2
  • Aantal badkamers: 1
  • Lopende verkoop
  • Startdatum: 26/01/2026 13:00
  • Einddatum: 03/02/2026 13:00
  • Geen bod: 500 €
  • Kadastraal inkomen: 592 €
  • Vrij vanaf: Bij de akte
  • Quentin BOINET - société notariale
  • Contactpersoon: Pascal LIEGEOIS
  • Tel: (061) 21.11.22
  • Email: pascal.liegeois.131656@belnot.be
  • Bezoekgegevens
  • Sur rendez-vous via l'étude (061/21.11.22)

Gronden

6640 Sibret

Doe een bod van
10.000 €

Presentatiebeeld van het pand n° 291537
Online openbare verkoop
  • Referentie: 291537
  • LOT 2 : 2 parcelles de bois, cadastrées Commune de VAUX-SUR-SÛRE 6ème division Sibret (82026) section D n° 1554B (09a 00ca, 100% en Natura 2000) et 1554C (10a 70ca, 100% en Natura 2000), soit 19a 60ca, RC 2€, gros épicéas et taillis de chênes et hêtres.
  • Lopende verkoop
  • Startdatum: 26/01/2026 13:00
  • Einddatum: 03/02/2026 13:00
  • Geen bod: 100 €
  • Kadastraal inkomen: 2 €
  • Vrij vanaf: Bij de akte
  • Quentin BOINET - société notariale
  • Contactpersoon: Pascal LIEGEOIS
  • Tel: (061) 21.11.22
  • Email: pascal.liegeois.131656@belnot.be

Huizen

139 Rue des Déportés, 7061 Casteau

Doe een bod van
225.000 €

Presentatiebeeld van het pand n° 291550
Uit de hand
  • Referentie: 291550
  • Maison 3 façades en bon état – Libre d’occupation Maison d’habitation trois façades en bon état, comprenant au rez-de-chaussée un séjour, une cuisine équipée, une salle de douche avec WC, une chambre et une chaufferie. À l’étage : deux chambres et un grenier. Jardin avec terrasse, grande remise et deux emplacements de parking. ? Électricité conforme ? Libre d’occupation
  • Aantal kamers: 3
  • Aantal badkamers: 1
  • Kadastraal inkomen: 404 €
  • Vrij vanaf: Bij de akte
  • Amélie Lecomte & Alexandre Lecomte, Notaires associés
  • Contactpersoon: Alexandre LECOMTE
  • Tel: (067) 55.08.20
  • Email: alexandre.lecomte@belnot.be
  • Bezoekgegevens
  • sur rendez vous au 0489 29 77 11

Huizen

49 Rue du Château, 7740 Pecq

Doe een bod van
52.500 €

Presentatiebeeld van het pand n° 290422
Online openbare verkoop
  • Referentie: 290422
  • Située sur une parcelle d’environ 300 m², cette maison unifamiliale de plain-pied constitue une opportunité idéale pour investisseurs ou amateurs de rénovation prêts à donner une seconde vie à cette maison. Le bien se compose actuellement d’un volume simple à repenser intégralement selon vos envies. L’absence d’étage permet une reconfiguration complète des espaces ou, sous réserve des autorisations urbanistiques, une extension ou une surélévation. ?? Travaux importants à prévoir : Rénovation complète du bâtiment Électricité non conforme Absence de système de chauffage Aménagement intérieur à créer intégralement ? Les atouts : Terrain de ± 300 m² Jardin offrant un bel espace extérieur Nombreuses possibilités d’aménagement Opportunité rare pour création d’un logement sur mesure ou projet d’investissement ?? Vente publique : transparence et accès ouvert à tous aux conditions et modalités décrites dans le cahier des charges. ?? Situation : environnement calme / résidentiel (à adapter si nécessaire). ?? Un bien à fort potentiel destiné à un public prêt à donner une seconde vie à cette maison. PEB : n°20251202029746 - classe G Mise à prix : 52.500 € Plus d’informations? Contactez-nous au 069/55 71 00 (entre 9h00 et 12h00) ou par e-mail à camille.delvaux@belnot.be
  • Aantal kamers: 1
  • Lopende verkoop
  • Startdatum: 02/02/2026 11:00
  • Einddatum: 10/02/2026 11:00
  • Geen bod: 2500 €
  • Kadastraal inkomen: 266 €
  • Vrij vanaf: Andere
  • Camille DELVAUX - Notaire
  • Contactpersoon: Camille DELVAUX
  • Tel: (069) 55.71.00
  • Email: camille.delvaux@belnot.be
  • Bezoekgegevens
  • Pour plus d’informations ou pour organiser une visite, contactez-nous au 069/55 71 00 (entre 9h et 12h00) ou par e-mail à camille.delvaux@belnot.be

Huizen

57 Mimosalaan, 8400 Oostende

Doe een bod van
300.000 €

Presentatiebeeld van het pand n° 291551
Online openbare verkoop
  • Referentie: 291551
  • Oostende 9e afd (Stene), sectie B, nummer 263MP0000, opp. 497 m², BJ 1970, niet-geïndexeerd KI € 1673 Vg, Wg, Gmo, Gvkpr, Vv, Gworg Overstromingsgevoelig vanuit zee - score D Niet-asbestveilig label F - renovatieverplichting Elektrische keuring niet conform G score: D P score: D
  • Aantal kamers: 5
  • Lopende verkoop
  • Startdatum: 09/02/2026 14:00
  • Einddatum: 17/02/2026 14:00
  • Geen bod: 1000 €
  • Kadastraal inkomen: 1673 €
  • Vrij vanaf: Bij de akte
  • De Jonghe & Verrewaere, Geassocieerde Notarissen
  • Contactpersoon: Sylvie VERREWAERE
  • Tel: (059) 70.14.64
  • Email: sylvie.verrewaere@belnot.be
  • Bezoekgegevens
  • elke woensdag en elke zaterdag van 13 uur tot 14.30 uur, en dit vanaf woensdag 28 januari 2026 tot en met 14 februari 2026.

Huizen

6 Rue de la Culture, 7011 Ghlin

Doe een bod van
90.000 €

Presentatiebeeld van het pand n° 291530
Uit de hand
  • Referentie: 291530
  • Maison d’habitation à rénover avec jardin et garage comprenant: RDC: un séjour, une pièce de vie, un salon, une chambre, une cuisine non équipée, un espace buanderie, une salle de bains (avec évier, wc et douche) ETG: une chambre avec évier et un grenier aménageable châssis: simple vitrage bois Chauffage: central mazout (cuve de 1.500L) – le système de chauffage ne fonctionne plus. 1 petite cave Superficie: 8 ares Rc 508€ Faire offre à partir de 75.000 euros
  • Aantal kamers: 2
  • Kadastraal inkomen: 508 €
  • Vrij vanaf: Bij de akte
  • NOTALIBREX, société notariale
  • Contactpersoon: Pierre GLINEUR
  • Tel: (065) 64.13.98
  • Email: pierre.glineur@belnot.be
  • Bezoekgegevens
  • S'adresser en l'étude des Notaires GLINEUR & KOEUNE - site de Baudour au 065/64.13.98

Huizen

156 Zonnebeekseweg, 8900 Ieper

Doe een bod van
200.000 €

Presentatiebeeld van het pand n° 291500
Online openbare verkoop
  • Referentie: 291500
  • Ruime woning met achtergelegen loods en garage. G score: C P score: D
  • Aantal kamers: 4
  • Aantal badkamers: 1
  • Lopende verkoop
  • Startdatum: 26/01/2026 13:00
  • Einddatum: 03/02/2026 13:00
  • Geen bod: 1000 €
  • Kadastraal inkomen: 1432 €
  • Vrij vanaf: Bij de akte
  • MICHAËL MERTENS - ASTRID DEDEURWAERDERE, GEASSOCIEERDE NOTARISSEN
  • Contactpersoon: Lisa LEFEVERE
  • Tel: (057) 20.25.32
  • Email: lisa@mdnotarissen.be
  • Bezoekgegevens
  • Na contact met notariskantoor kan een gezamenlijk bezoekmoment worden ingepland

Huizen

20 Rue Plume-Coq, 7190 Écaussinnes-d'Enghien

Doe een bod van
75.000 €

Presentatiebeeld van het pand n° 291502
Uit de hand
  • Referentie: 291502
  • Sous-sol : Cave Rez-de-chaussée : Living - Cuisine non équipée Etage : Deux chambres en enfilade - Salle de bain à renouveler Sous les combles : Grenier aménageable Dépendances : Jardin Commodités : Egout - Eau de ville - Gaz de ville - Electricité - Téléphone -Télédistribution - Châssis en PVC - Double vitrage - Volets Manuels Parcelle non soumice à des obligations au regard du Décret Sols
  • Aantal kamers: 2
  • Kadastraal inkomen: 245 €
  • Vrij vanaf: Bij de akte
  • A&D SABIAU, notaires associés
  • Contactpersoon: Catherine LIÉNARD
  • Tel: (067) 44.28.13
  • Email: cl@sabiau.be

Huizen

49 Rue du Foyer Leuzois, 7900 Leuze-en-Hainaut

Doe een bod van
185.000 €

Presentatiebeeld van het pand n° 291201
Uit de hand
  • Referentie: 291201
  • Maison située dans un quartier calme. Le bien est composé au rez d'un hall qui donne vers une cuisine équipée (four, frigo, taque vitre, hotte, lave-vaisselle, évier), buanderie avec wc broyeur, salon, salle-ma-manger avec cassette au pellet, une salle-de-bain avec douche (non fonctionnelle car le panneau est fissuré), meuble évier, garage. Il y a un couloir qui mène au garage et au jardin. A l'étage, il y a trois chambres. Il y également un grenier dont l'accès est par une des chambres. A l'extérieur, il y a un beau jardin clôturé avec terrasse, remise et chalet de jardin. Aspects techniques : chaudière à condensation, adoucisseur eau, le bien est raccordé à l'égout, pvc double vitrage et volet, citerne eau de 2.500 litres raccordée.
  • Aantal kamers: 3
  • Kadastraal inkomen: 409 €
  • Vrij vanaf: Bij de akte
  • Charlotte DE VOS, Notaire
  • Contactpersoon: Elisa DEFRANCOIS
  • Tel: (069) 66.20.33
  • Email: elisa.defrancois.358255@belnot.be
  • Bezoekgegevens
  • Sur rendez-vous avec l'étude

Handelspanden

51 Stationsstraat, 3800 Sint-Truiden

Doe een bod van
590.000 €

Presentatiebeeld van het pand n° 291503
Online openbare verkoop
  • Referentie: 291503
  • Zeer interessante opbrengsteigendom me authentieke voorgevel, bestaande uit 2 handelsruimtes, 1 appartement/studio en 5 vakantielogies. Op de gelijkvloerse verdieping bevinden zich de 2 handelsruimtes, genummerd 0.1 en 0.2 (waarvan 1 echter thans als woning wordt gebruikt). De handelsruimte gelegen aan de linkerzijde gezien vanaf de straatkant beschikt over een (overdekte) binnenkoer). Het appartement genummerd 1.2 bevindt zich aan de rechterzijde gezien vanaf de straatkant op de eerste verdieping; aan de linkerzijde is de vakantielogie “unit 1.1” gelegen. Zowel de vakantielogie als het appartement beschikken over een terras aan de achterzijde. Op de tweede en derde verdieping bevinden zich telkens 2 vakantielogies (units 2.1 en 2.2 op de tweede verdieping en units 3.1 en 3.2 op de derde verdieping). In de kelderverdieping bevinden zich 3 kelderruimtes waarvan 1 voor de tellers en meters; daarnaast is er nog een ruimte voorzien voor fietsen. De asbestattesten luiden “asbestveilig”. Voor het appartement/studio op de eerste verdieping werd een EPC-residentieel opgemaakt (label C); voor de handelsruimte die feitelijk als woning wordt gebruikt werd eveneens een EPC-residentieel opgemaakt (label F). Voor de handelsruimte werd een EPC-niet-residentieel opgemaakt (label F). Ook voor de gemeenschappelijke delen is een EPC voorhanden. Het pand is opgenomen als vastgesteld bouwkundig erfgoed. Om het pand te bezichtigen, moet contact opgenomen worden met het kantoor van notarissen Vuylsteke & Bunkens. G score: A P score: A
  • Aantal badkamers: 7
  • Lopende verkoop
  • Startdatum: 23/02/2026 12:00
  • Einddatum: 03/03/2026 12:00
  • Geen bod: 1000 €
  • Kadastraal inkomen: 4686 €
  • Vrij vanaf: Bij de akte
  • Vuylsteke & Bunkens
  • Contactpersoon: Liesbeth COENEGRACHTS
  • Tel: 012/44.01.45
  • Email: liesbeth.coenegrachts@vbnot.be
  • Bezoekgegevens
  • Na telefonische afspraak met het kantoor van notarissen Vuylsteke & Bunkens

Huizen

11 Allée des Lacs, 6280 Loverval

Doe een bod van
210.000 €

Presentatiebeeld van het pand n° 291506
Uit de hand
  • Referentie: 291506
  • Cette villa pleine de charme offre un potentiel considérable pour ceux qui souhaitent la rénover à leur goût, tout en bénéficiant d'une situation géographique privilégiée. Elle se trouve dans un quartier calme et prisé, offrant à la fois tranquillité et proximité avec les commodités locales. Description du bien : Hall d’entrée, salle à manger lumineuse, cuisine, living, une salle de bain, trois belles chambres à coucher, un grenier avec possibilité d'aménagement pour agrandir l’espace de vie, un garage, caves offrant un espace de rangement supplémentaire. Caractéristiques techniques : • Chauffage au gaz de ville, avec une nouvelle chaudière récemment installée • Citerne à eau de pluie de 15 000 litres, idéale pour une utilisation domestique • Raccordé aux égouts • Châssis simple et double vitrage Cette villa représente une opportunité unique pour ceux qui souhaitent transformer ce bien en un lieu de vie exceptionnel. N'attendez plus pour organiser une visite et découvrir tout le potentiel de cette maison !
  • Aantal kamers: 2
  • Kadastraal inkomen: 1160 €
  • Vrij vanaf: Bij de akte
  • Sophie LEFEVRE
  • Contactpersoon: Sophie LEFEVRE
  • Tel: (071) 36.16.70
  • Email: sophie.lefevre@belnot.be

Huizen

102 Prins Albertstraat, 8800 Roeselare

Doe een bod van
180.000 €

Presentatiebeeld van het pand n° 291510
Online openbare verkoop
  • Referentie: 291510
  • Zeer goed onderhouden en instapklare halfopen woning te Roeselare, voorzien van een achterliggende tuin met aparte berging. De woning is als volgt ingedeeld: Gelijkvloers: Inkomhal, apart toilet en een ruime en lichtrijke leefruimte met open keuken. Eerste verdieping: Nachthal, twee slaapkamers, twee badkamers en een aparte opslagruimte. Tweede verdieping: Nachthal, één slaapkamer en een extra opslagruimte. De woning is uitstekend onderhouden, functioneel ingedeeld en instapklaar. Een ideale gezinswoning of interessante investering. Bezoek op vaste momenten na voorafgaande contact met notariskantoor. G score: A P score: A
  • Aantal kamers: 3
  • Oppervlakte van het woongedeelte: 162m2
  • Aantal badkamers: 2
  • Lopende verkoop
  • Startdatum: 10/02/2026 14:00
  • Einddatum: 18/02/2026 14:00
  • Geen bod: 1000 €
  • Kadastraal inkomen: 617 €
  • Vrij vanaf: Bij de akte
  • NOTARISSEN TERRYN & VANDEPUTTE
  • Contactpersoon: Gauthier SNOECK
  • Tel: (051) 20.26.16
  • Email: gauthier.snoeck@tvnotarissen.be
  • Bezoekgegevens
  • Dinsdag 20/1: tussen 17u en 18u. Zaterdag 31/1: tussen 16u30 en 17u30. Dinsdag 3/2: tussen 17u en 18u. Zaterdag 7/2: tussen 16u30 en 17u30. Dinsdag 10/2: tussen 17u en 18u. Zaterdag 14/2: tussen 16u30 en 17u30. Dinsdag 17/2: tussen 17u en 18u.

Huizen

1 Vlierbesstraat, 3990 Grote-Brogel

Doe een bod van
220.000 €

Presentatiebeeld van het pand n° 291501
Uit de hand
  • Referentie: 291501
  • Bent u op zoek naar een renovatieproject met een stevige basis in een rustige, landelijke omgeving? Deze halfopen bebouwing in de Vlierbesstraat 1 te Peer (Grote-Brogel) biedt u de unieke kans om een woning van 165 m² volledig naar eigen smaak te moderniseren. De woning beschikt over een EPC-label F. De elektrische keuring is momenteel niet conform. Dit biedt u de kans om de elektriciteit volledig te vernieuwen volgens de modernste standaarden tijdens uw renovatiewerken. Een belangrijk pluspunt: de woning is reeds officieel asbestveilig verklaard, wat u tijd en kosten bespaart bij de start van de werken. Grijp de kans om van deze woning een moderne, energiezuinige thuis te maken. Je kan deze woning bezichtigen op de kijkdagen die plaatsvinden op elke zaterdag vanaf 10 januari tot en met 31 januari tussen 10 en 11 uur. Biedingen vanaf € 220.000,00 via Biddit. G score: A P score: A
  • Aantal kamers: 3
  • Oppervlakte van het woongedeelte: 165m2
  • Aantal badkamers: 1
  • Kadastraal inkomen: 674 €
  • Vrij vanaf: Bij de akte
  • Clercx, Böse & van der Weij, geassocieerde notarissen
  • Contactpersoon: Ines ACKERMANS
  • Tel: (089) 35.44.88
  • Email: ia@abcnotarissen.be
  • Bezoekgegevens
  • Je kan deze woning bezichtigen op de kijkdagen die plaatsvinden op elke zaterdag vanaf 10 januari tot en met 31 januari tussen 10u en 11u

Huizen

105 Rue de Condé, 7971 Basècles

Doe een bod van
90.000 €

Presentatiebeeld van het pand n° 291507
Uit de hand
  • Referentie: 291507
  • Se composant comme suit : SOUS-SOL : cave (+/- 10 m²) REZ : Hall d'entrée (+/- 8 m²), Wc (+/- 2 m²), cuisine (+/- 12 m²), living (+/- 38 m²), buanderie (+/- 9 m²), 2 chambres (+/- 9 et 15 m²), salle de bains (+/- 9 m²), véranda (+/- 12 m²), salon d'accueil (+/- 12 m²) ETAGE : 1 chambre (+/- 20 m²) et grenier non aménagé (+/- 55 m²) Le tout sur 5 ares 10 ca PARTICULARITES : Les différents moyens de chauffage (gaz, convecteurs, pellet, mazout et cuve) sont laissés à la disposition des futurs acquéreurs mais SANS GARANTIE des vendeurs sur leur fonctionnement. En effet, il sera utile de les faire REVISER avant l'utilisation.
  • Aantal kamers: 3
  • Aantal badkamers: 1
  • Kadastraal inkomen: 342 €
  • Vrij vanaf: Bij de akte
  • JONNIAUX, Constant
  • Contactpersoon: Annie DE KEYZER
  • Tel: (065) 62.04.33
  • Email: annie.dekeyzer.130757@belnot.be

Huizen

18 Rue des Brasseurs, 7000 Mons

Doe een bod van
170.000 €

Presentatiebeeld van het pand n° 291263
Uit de hand
  • Referentie: 291263
  • Maison d'habitation trois façades comprenant : Au sous-sol : une cave avec cuve à mazout. Au rez-de-chaussée : un hall d'entrée, un salon, une salle à manger, une cuisine semi-équipée, une salle de bain (douche, évier avec espace pour machine à laver + sèche linge, chaudière), un WC séparé. A l'étage : Hall de nuit, 4 chambres (dont 1 avec accès au grenier). Combles : un grenier composé de 2 pièces. Divers : 2 remises, garage 1 voiture (porte électrique), un jardin. RC : 820€. Superficie : 2 a 80 ca. Chauffage central au mazout (- de 2500l) + foyers au gaz. Châssis double vitrage PVC. Châssis en simple vitrage bois dans la pièce de vie. Raccordements : eau, gaz, électricité, égouts. PEB : F
  • Aantal kamers: 4
  • Kadastraal inkomen: 820 €
  • Vrij vanaf: Bij de akte
  • NOTALIBREX, société notariale
  • Contactpersoon: Lune MATHIEU
  • Tel: (065) 35.26.23
  • Email: lune.mathieu.460043@belnot.be
  • Bezoekgegevens
  • Visites sur rendez-vous en l'étude des Notaires KOEUNE et GLINEUR au 065/35.26.23

Huizen

11 Rue du Chêne à Mouches, 6540 Mont-Sainte-Geneviève

Doe een bod van
270.000 €

Presentatiebeeld van het pand n° 291512
Uit de hand
  • Referentie: 291512
  • Maison 3 façades avec jardin et garage 2 voitures. Comprenant salle-à-manger, salon, cuisine équipée, dressing, salle de bains (avec wc) + wc séparé, cave et 2 grandes chambres. Chaudière mazout, panneaux photovoltaïques, pergola, véranda et serre.
  • Aantal kamers: 2
  • Aantal badkamers: 1
  • Kadastraal inkomen: 386 €
  • Vrij vanaf: Bij de akte
  • M&V Notaires Associés
  • Contactpersoon: Teresa DI GENNARO
  • Tel: (071) 32.07.25
  • Email: teresa.digennaro.222781@belnot.be

Huizen

55 Provinciebaan, 2470 Retie

Doe een bod van
603.700 €

Presentatiebeeld van het pand n° 291516
Uit de hand
  • Referentie: 291516
  • Met achtergebouw. Met inbegrip van achterliggende grond en naastliggende bouwgrond. Indeling: - gelijkvloers: inkomhal, leefruimte, eetkamer, keuken, hal, wasplaats, wc en veranda; - boven: nachthal, badkamer en 3 slaapkamers. Verwarming met gaskachels. De bouwgrond ligt in de verkaveling 104/280 van 28/12/1979. BIEDEN en MEER INFORMATIE te vinden via de BIDDIT-site, gelieve de link https://www.biddit.be/nl/catalog/detail/291516 te gebruiken. G score: A P score: A
  • Aantal kamers: 3
  • Aantal badkamers: 1
  • Kadastraal inkomen: 585 €
  • Vrij vanaf: Onmiddellijk
  • SZABO notarissen
  • Contactpersoon: Johnny VAN LAER
  • Tel: (014) 27.90.72
  • Email: johnny@szabonotarissen.be
  • Bezoekgegevens
  • na telefonische afspraak op het nummer 0475 49 08 37.

Huizen

53 Vaartstraat, 2340 Beerse

Doe een bod van
270.000 €

Presentatiebeeld van het pand n° 291517
Uit de hand
  • Referentie: 291517
  • Deze te renoveren woning is gelegen in een rustige en aangename woonomgeving, op korte afstand van het centrum van Beerse. De woning beschikt over een inkomhal die toegang biedt tot de leefruimte met aansluitende keuken, bijkeuken en kleine badkamer (douche, wc en lavabo). Verder zijn er drie slaapkamers en een badkamer uitgerust met een ligbad en lavabo. De woning is bovendien voorzien van een kelder en een ruime zolder, die extra mogelijkheden biedt. Buiten geniet u van een ruime werkplaats, een garage, een tuinberging en een overdekt terras met aangrenzende zuidgerichte tuin, ideaal om in alle rust te ontspannen. G score: A P score: A
  • Aantal kamers: 3
  • Aantal badkamers: 2
  • Kadastraal inkomen: 738 €
  • Vrij vanaf: Bij de akte
  • Notaris Marie-Ghislaine Brosens
  • Contactpersoon: Yasmine NARJIS
  • Tel: (014) 61.06.06
  • Email: yasmine.narjis.222768@belnot.be

Appartementen

77 Josse Goffinlaan, 1082 Sint-Agatha-Berchem

Doe een bod van
85.000 €

Presentatiebeeld van het pand n° 291490
Online openbare verkoop
  • Referentie: 291490
  • In een gebouw “residentie CAP FERRAT” gelegen Josse Goffinlaan 77 Het appartement type B op 4e verd. links Omvattende hal met vestiaire en kast, living, wc, badkamer, slaapkamer, terras met kast, keuken, kelder nr 10 op ondergr. verd. N.g.k.i. 852€. Vrij van gebruik. Woongebied. EPC G/864. Contr. elektr. niet conform. Bezoeken : zaterdagen 24-31/1, 7/2 van 11u30-13u30 en dinsdagen 20-27/1, 3/2 van 10-12u. Begin biedingen : maandag. 02.02.26 om 11u - Einde biedingen : dinsdag 10.02.26 om 11u - Instelprijs : 85.000€ - Bodverhoging : 1.000€ - Ondertekening akte : vrijdag 13.02.26 om 17u - www.biddit.be - Ref. pand : 291490.
  • Aantal kamers: 1
  • Aantal badkamers: 1
  • Lopende verkoop
  • Startdatum: 02/02/2026 11:00
  • Einddatum: 10/02/2026 11:00
  • Geen bod: 1000 €
  • Kadastraal inkomen: 852 €
  • Vrij vanaf: Bij de akte
  • ALTER EGO, Notaires associés
  • Contactpersoon: Marie DERESE
  • Tel: (02) 204.50.10
  • Email: mde@alterego-notaires.be
  • Bezoekgegevens
  • zaterdagen 24-31/1, 7/2 van 11u30-13u30 en dinsdagen 20-27/1, 3/2 van 10-12u.

Appartementen

4 Henry Dunantlaan, 1140 Evere

Doe een bod van
160.000 €

Presentatiebeeld van het pand n° 291473
Online openbare verkoop
  • Referentie: 291473
  • In een appartementsgebouw gelegen Henry Dunantlaan 4 : A. Het appartement C.4. op de 4e verd. Omvattende: hal met bergplaats, living met terras langs de kant van de straat, badk., wc, bergplaats vuilniskoker, 2 slaapkamers, keuken, achterterras, 2 kelders 20 en 21 in de kelderverd. B. De garage parking GPI In de kelderverdieping. N.g.k.i. 1.412€. Vrij van gebruik. Woongebied met residentieel karakter. EPC : G/346. Contr. elektr. niet conform. Bezoekdagen : zaterdag 24-31/1 en 7/2/26 van 9-11u en dinsdag 20-27/1 en 3/2/26 van 15-17u. Begin biedingen : maandag 02.02.26 om 11u - Einde biedingen : dinsdag 10.02.26 om 11u - Instelprijs : 160.000€ - Bodverhoging : 1.000€ - Ondertekening akte : vrijdag 13.02.26 om 16u - www.biddit.be - Ref. pand : 291473.
  • Aantal kamers: 2
  • Aantal badkamers: 1
  • Lopende verkoop
  • Startdatum: 02/02/2026 11:00
  • Einddatum: 10/02/2026 11:00
  • Geen bod: 1000 €
  • Kadastraal inkomen: 1412 €
  • Vrij vanaf: Bij de akte
  • ALTER EGO, Notaires associés
  • Contactpersoon: Marie DERESE
  • Tel: (02) 204.50.10
  • Email: mde@alterego-notaires.be
  • Bezoekgegevens
  • zaterdag 24-31/1 en 7/2/26 van 9-11u en dinsdag 20-27/1 en 3/2/26 van 15-17u.

Huizen

283 Rue Ropaix, 7370 Blaugies

Doe een bod van
280.000 €

Presentatiebeeld van het pand n° 291515
Uit de hand
  • Referentie: 291515
  • Belle Villa à parachever comprenant : hall, wc, living, cuisine équipée, buanderie, salle de bain avec baignoire et douche, 4 chambres ( possibilité de 2 petites chambres supplémentaires ), vide ventilé, grand jardin, passage latéral de chaque coté de l'immeuble, double vitrage PVC, citerne ( 10000L ), raccordements usuels, radiateurs et chaudière à prévoir.
  • Aantal kamers: 4
  • Oppervlakte van het woongedeelte: 151m2
  • Aantal badkamers: 1
  • Vrij vanaf: Bij de akte
  • ETUDE RAUCENT
  • Contactpersoon: Joëlle BERLEMONT
  • Tel: (065) 61.08.50
  • Email: joelle.berlemont.130252@belnot.be
  • Bezoekgegevens
  • Prendre RDV en l'étude

Huizen

21 Rue de Marchienne, 6142 Leernes

Doe een bod van
245.000 €

Presentatiebeeld van het pand n° 291521
Uit de hand
  • Referentie: 291521
  • Découvrez cette magnifique villa située dans un quartier paisible de Leernes. Ce bien vous séduira par ses grands espaces et son agencement fonctionnel. • Rez-de-chaussée : - Un spacieux hall d’entrée offrant un accès au salon et à la salle à manger - Une cuisine équipée avec un espace dinatoire. - Deux chambres confortables. - Une salle de bain complète avec baignoire, douche et toilette. • Premier étage : - Un grand espace aménageable/ grenier, offrant de multiples possibilités selon vos besoins (chambres supplémentaires, bureau, espace de loisirs, etc.). • Sous-sol : - Une cave pratique. - Un garage intégré. • Extérieur : - Un jardin spacieux et sans vis-à-vis, idéal pour profiter de moments en famille ou entre amis. Cette villa combine charme, espace et tranquillité. Parfaite pour une famille ou toute personne en quête d’un cadre de vie agréable, elle vous offre également un potentiel d’aménagement pour personnaliser les lieux selon vos envies. Contactez-nous dès maintenant pour organiser une visite au 071.29.75.50 Ne tardez pas, cette opportunité est unique !
  • Aantal kamers: 2
  • Oppervlakte van het woongedeelte: 192m2
  • Kadastraal inkomen: 969 €
  • Vrij vanaf: Bij de akte
  • Christophe HOSPEL - NOTAIRE
  • Contactpersoon: Ch HOSPEL
  • Tel: (071) 29.75.50
  • Email: funda.gurkan.127993@belnot.be
  • Bezoekgegevens
  • VISITES au 071.29.75.50

Garage

100-102 Tweekerkenstraat, 1210 Sint-Joost-ten-Node

Doe een bod van
15.000 €

Presentatiebeeld van het pand n° 291493
Online openbare verkoop
  • Referentie: 291493
  • Twee garages nrs 1 en 2 In een appartementsgebouw gelegen Tweekerkenstraat 100-102. N.g.k.i. 123€ per garage. Vrij van gebruik. Woongebied. Bezoekdagen: dinsdag 20/1, 27/1 en 3/2/26 van 15-17u en zaterdag 24/1, 31/1 en 7/2/26 van 16u30-18u30. Begin biedingen : woensdag 04.02.26 om 13u - Einde biedingen : donderdag 12.02.26 om 13u - Instelprijs : 15.000€ - Bodverhoging : 1.000€ - Ondertekening akte : donderdag 19.02.26 om 14u - www.biddit.be - Ref. pand : 291493.
  • Lopende verkoop
  • Startdatum: 04/02/2026 13:00
  • Einddatum: 12/02/2026 13:00
  • Geen bod: 1000 €
  • Kadastraal inkomen: 246 €
  • Vrij vanaf: Bij de akte
  • ACTEA, notaires associés
  • Contactpersoon: Marylisa GONCALVES SOARES
  • Tel: (02) 227.40.61
  • Email: marylisa.goncalvessoares@actea.be
  • Bezoekgegevens
  • dinsdag 20/1, 27/1 en 3/2/26 van 15-17u en zaterdag 24/1, 31/1 en 7/2/26 van 16u30-18u30.

Huizen

18 Steenstraat, 8530 Harelbeke

Doe een bod van
59.000 €

Presentatiebeeld van het pand n° 291526
Uit de hand
  • Referentie: 291526
  • Te renoveren woning te koop in Harelbeke, ideaal voor wie op zoek is naar een renovatieproject met potentieel (70 m²). De woning beschikt op het gelijkvloers over een leefruimte, keuken, veranda en een afzonderlijk toilet. Op de eerste verdieping bevinden zich twee slaapkamers. Daarnaast is er een zolder die bijkomende mogelijkheden biedt. Verder is er ook een stookolietank, maar deze is niet gekeurd. Het pand dient volledig gerenoveerd te worden, wat de koper de kans geeft om de woning volledig naar eigen smaak en hedendaagse normen in te richten. Bezichtigingen: bel de curator 0477 313 397, voor een afspraak. G score: A P score: A
  • Aantal kamers: 2
  • Kadastraal inkomen: 205 €
  • Vrij vanaf: Bij de akte
  • NOTARIS HENDRIK MOENS
  • Contactpersoon: Emma VANDEVENNE
  • Tel: (056) 41.14.48
  • Email: emma.vandevenne.131581@belnot.be
  • Bezoekgegevens
  • Bezichtigingen: bel de curator 0477 313 397, voor een afspraak.

Huizen

16 Sasplein, 2830 Willebroek

Doe een bod van
295.000 €

Presentatiebeeld van het pand n° 291496
Online openbare verkoop
  • Referentie: 291496
  • Gelegen in het charmante Klein-Willebroek, aan het sas. Ideaal voor kleine gezinnen of koppels. Omvat een lichte en gezellige woonkamer met een houten vloer en een sfeervolle open haard, een moderne keuken, 2 slaapkamers en 2 badkamers, en een gezellige buitenruimte. Er is een uitstekende verbinding met het openbaar vervoer en belangrijke invalswegen, zoals de A12. G score: A P score: A
  • Aantal kamers: 2
  • Aantal badkamers: 2
  • Lopende verkoop
  • Startdatum: 02/02/2026 15:00
  • Einddatum: 10/02/2026 15:00
  • Geen bod: 1000 €
  • Kadastraal inkomen: 329 €
  • Vrij vanaf: Bij de akte
  • Bart Drieskens & Frank Goddeeris
  • Contactpersoon: Karel DEKIEN
  • Tel: (011) 52.05.93
  • Email: karel.dekien@notarisdrieskens.be
  • Bezoekgegevens
  • op woensdag 21 januari, zaterdag 17 januari en zaterdag 24 januari van 14u-16u of na afspraak met de eigenaar.

Huizen

109 Rue de Liège, 4800 Verviers

Doe een bod van
120.000 €

Presentatiebeeld van het pand n° 291528
Online openbare verkoop
  • Referentie: 291528
  • Charmante maison idéalement située à proximité immédiate du centre de Verviers et de toutes les commodités. Composition du bien : Au rez-de-chaussée : un hall d'entrée, une grande pièce de vie et une cuisine équipée. A l'étage : une salle de bain en cours de construction et deux chambres à coucher. Au sous-sol : salle de bain, cave et chaufferie. Le bien est équipé d’un chauffage central au gaz et de châssis PVC double vitrage. PEB : G. Électricité non conforme.
  • Aantal kamers: 2
  • Oppervlakte van het woongedeelte: 130m2
  • Lopende verkoop
  • Startdatum: 16/02/2026 15:00
  • Einddatum: 24/02/2026 15:00
  • Geen bod: 1000 €
  • Kadastraal inkomen: 870 €
  • Vrij vanaf: Bij de akte
  • Renaud CHAUVIN & Baudouin TRISTANT - Société notariale
  • Contactpersoon: Jessica LOPEZ KALAVASSIS
  • Tel: (087) 33.04.60
  • Email: jessica.lopezkalavassis.221923@belnot.be
  • Bezoekgegevens
  • Prendre contact avec l'Etude pour convenir d'une visite

Gronden

De Streep, 2430 Vorst

Doe een bod van
135.000 €

Presentatiebeeld van het pand n° 262329
Uit de hand
  • Referentie: 262329
  • Perceel brouwgrond gelegen te Vorst, De streep (verkaveling aan Dikstraat) met een oppervlakte van 550 m², geschikt voor open bebouwing. Straatbreedte: 15.30m. Kadastraal nummer: 13045/C/1081A
  • Kadastraal inkomen: 2 €
  • Vrij vanaf: Bij de akte
  • VAN ERMENGEM & DE GRAEF, NOTARISSEN
  • Contactpersoon: Annelies VANSTRAELEN
  • Tel: (014) 34.75.70
  • Email: annelies.vanstraelen.460028@belnot.be
  • Bezoekgegevens
  • Dit perceel is vrij te bezoeken

Huizen

51 Rue Joseph Gorin, 7540 Kain

Doe een bod van
300.000 €

Presentatiebeeld van het pand n° 291509
Uit de hand
  • Referentie: 291509
  • Maison 4 façades, sur et avec terrain de 6 ares 58 centiares, située dans le village de Kain, à proximité de la ville de Tournai et de toutes les commodités. Au rez-de-chaussée : hall d'entrée, séjour lumineux avec coin salon et salle à manger ave ouverture sur une cuisine équipée (four, taques, hotte, lave-vaisselle, frigo), buanderie, salle de bain avec WC séparé, deux chambres à coucher dont une plus petite (pouvant servir de bureau) Garage avec porte sectionnelle motorisée A l'étage : étage en cours d'aménagement offrant un bel espace supplémentaire Au sous-sol : petite cave A l'extérieur : jardin entièrement clôturé et terrasse De plus, le bien offre un double accès via deux rues différentes. Caractéristiques complémentaires : - Pompe à chaleur; - Châssis double vitrage en PVC; - Volets manuels; - Feu à pellet (PLUS FONCTIONNEL); - Deux citernes d'eau de pluie de 3.000 litres; - Fosse septique reliée aux égouts; - Adoucisseur d'eau; - Compteur bihoraire; - Groupe hydrophore présent (SANS GARANTIE DE FONCTIONNEMENT); Le dossier d'intervention ultérieur contient notamment des factures de : - L'isolation de la toiture en 2023; - La pose d'un nouvel escalier en 2023; - La pose de parquet à l'étage en 2023; - La rénovation de la toiture en 2020; - La pose de nouveaux châssis en 2012; !!! Le vendeur se réserve le droit d’occuper le bien un mois après la signature de l’acte authentique. !!!
  • Aantal kamers: 2
  • Kadastraal inkomen: 1065 €
  • Vrij vanaf: Te bepalen
  • Marie-Christine Deronne, société notariale
  • Contactpersoon: Zélie LEMOINE
  • Tel: (069) 22.44.14
  • Email: zelie.lemoine.182121@belnot.be
  • Bezoekgegevens
  • Sur rendez-vous en l'étude de Maître Marie-Christine Deronne au 069/22.44.14

Gronden

3 Turkije, 9681 Nukerke

Doe een bod van
180.000 €

Presentatiebeeld van het pand n° 291546
Uit de hand
  • Referentie: 291546
  • Perceel bouwgrond voor open bebouwing gelegen in een verkaveling. Oppervlakte 855m². Straatbreedte is 23m en het perceel is ongeveer 37m diep. Woongebied met landelijk karakter, Verkavelingsvergunning. P-score: A. Voor meer info, contacteer het notariskantoor. P score: A
  • Vrij vanaf: Bij de akte
  • GHYS, DE BRAUWERE & DE GRAVE, geassocieerde notarissen
  • Contactpersoon: Domien VERVONDEL
  • Tel: (055) 38.81.31
  • Email: domien@notgdd.be

Gronden

6640 Sibret

Doe een bod van
2.000 €

Presentatiebeeld van het pand n° 291544
Online openbare verkoop
  • Referentie: 291544
  • LOT 3 : 3 parcelles de fonds de bois, cadastrées Commune de VAUX-SUR-SÛRE 6ème division Sibret (82026) section D n° 1622D (05a 60ca, 65% en Natura 2000), 1622E (09a 20ca, 51% en Natura 2000) et 1810S (14a 30ca), soit 29a 10ca, RC 6€.
  • Lopende verkoop
  • Startdatum: 26/01/2026 13:00
  • Einddatum: 03/02/2026 13:00
  • Geen bod: 100 €
  • Kadastraal inkomen: 6 €
  • Vrij vanaf: Bij de akte
  • Quentin BOINET - société notariale
  • Contactpersoon: Pascal LIEGEOIS
  • Tel: (061) 21.11.22
  • Email: pascal.liegeois.131656@belnot.be

Appartementen

114 Veldlaan, 1040 Etterbeek

Doe een bod van
160.000 €

Presentatiebeeld van het pand n° 291529
Online openbare verkoop
  • Referentie: 291529
  • Appartement 1 slaapkamer à Etterbeek In een goed onderhouden appartementsgebouw gelegen Veldlaan 114, het appartement op de 1e verdieping rechts omvattende inkomhall, living, wc, badkamer, 1 slaapkamer, keuken met terras, twee kelders op ondergr. verd. N.g.k.i. 743€. Vrij van gebruik. Woongebied. EPC E-/265. Contr. elekt. niet conform. Bezoeken ZONDER AFSPRAAK: zaterdagen 10-17-24/1 van 10-12u en woensdagen 14-21-28/1 van 12-14u. Begin biedingen : woensdag 21.01.26 om 12u - Einde biedingen : donderdag 29.01.26 om 12u - Instelprijs : 160.000€ - Bodverhoging : 1.000€ - Ondertekening akte : dinsdag 03.02.26 om 11u - www.biddit.be - Ref. pand : 291529.
  • Aantal kamers: 1
  • Aantal badkamers: 1
  • Lopende verkoop
  • Startdatum: 21/01/2026 12:00
  • Einddatum: 29/01/2026 12:00
  • Geen bod: 1000 €
  • Kadastraal inkomen: 743 €
  • Vrij vanaf: Bij de akte
  • François Dhont et Simon Krug, notaires associés
  • Contactpersoon: Louise DHONT
  • Tel: (02) 217.30.40
  • Email: louise.dhont@not-dhont.be
  • Bezoekgegevens
  • ZONDER AFSPRAAK: zaterdagen 10-17-24/1 van 10-12u en woensdagen 14-21-28/1 van 12-14u.

Huizen

55 Heiveldstraat, 9120 Beveren

Doe een bod van
259.000 €

Presentatiebeeld van het pand n° 291348
Uit de hand
  • Referentie: 291348
  • Als je op zoek bent naar een woning die zich aan de rand van het centrum bevindt, rustig en toch dicht bij alles gelegen, dan is dit een ideale match. Op wandelafstand van Singelberg en de winkels, een goede bakker, scholen en de oprit van de E34. Bij het binnenkomen kom je terecht in een lange inkomhal die toegang biedt tot de leefruimte en keuken. De gezandstraalde trap en deuren springen meteen in het oog. De gezellige leefruimte sluit mooi aan op de ruime keuken, waardoor een aangename, open woonbeleving ontstaat. Achteraan bevindt zich een praktische wasplaats met een authentieke, nog werkende handwaterpomp. Vanuit de wasplaats heb je toegang tot zowel de badkamer als de tuin. De badkamer heeft een ligbad, wc en een lavabo. De grote westgerichte tuin is een absolute troef: hier geniet je volop van de namiddag- en avondzon. Het ruime terras en het grote tuinhuis maken dit tot een ideale plek om te ontspannen of te genieten met familie en vrienden. Op de bovenverdieping vind je een ruime slaapkamer aan de voorzijde en een 2e kamer die perfect dienst kan doen als slaapkamer, speelkamer of bureau. Via deze kamer bereik je de zolder, die dankzij de vaste trap eenvoudig kan worden ingericht als 3e slaapkamer of zelfs kan worden opgedeeld in 2 extra kamers. De oprit biedt plaats aan een grote wagen en vormt een extra pluspunt bij deze gunstig gelegen woning. Geen renovatieverplichting. Met wat klusjes hier en daar kan je deze woning omtoveren tot een warme, gezellige thuis. G score: B P score: A
  • Aantal kamers: 3
  • Aantal badkamers: 1
  • Kadastraal inkomen: 473 €
  • Vrij vanaf: Te bepalen
  • Notarissen VERCOUTEREN - LOUAGIE - VAN GOETHEM
  • Contactpersoon: Philip GIELIS
  • Tel: (03) 750.98.60
  • Email: info@notarisvercouteren.be
  • Bezoekgegevens
  • Bezoek mogelijk na contact met de eigenaar op het nummer: 0497/89.48.44

Appartementen

3 Weverijstraat, 8900 Ieper

Doe een bod van
285.000 €

Presentatiebeeld van het pand n° 291552
Uit de hand
  • Referentie: 291552
  • Ieper 3e afd., sectie E, nummer 351/07Z2P0044 en KI € 739 Bestaande uit: inkom, toilet, vestiaire, leefruimte met open keuken en terras, berging, twee slaapkamers en badkamer, 158/10.000sten in de algemene gemeenschappelijke delen Bouwjaar 2008 - recent geschilderd, heel goede staat Energielabel B - score 153 kWh/(m² jaar) Elektriciteit niet conform Overstromingsgevoelig score B Stedelijk, Vg, Gvv, Gmo, Gworg, Gvv Mogelijkheid om garage in de ondergrond bij aan te kopen gekend 351/07Z2P0153 en KI € 82 en 27/10.000sten in de algemene gemeenschappelijke delen voor € 25.000,00 G score: B P score: B
  • Aantal kamers: 2
  • Aantal badkamers: 1
  • Kadastraal inkomen: 739 €
  • Vrij vanaf: Onmiddellijk
  • De Jonghe & Verrewaere, Geassocieerde Notarissen
  • Contactpersoon: Sylvie VERREWAERE
  • Tel: (059) 70.14.64
  • Email: sylvie.verrewaere@belnot.be
  • Bezoekgegevens
  • Bezoek na telefonische afspraak : 0475/235131

Huizen

112 Lierseweg, 2200 Herentals

Doe een bod van
500.000 €

Presentatiebeeld van het pand n° 291272
Online openbare verkoop
  • Referentie: 291272
  • Building van 3 appartementen; gekend ten kadaster sectie E nummer 0386N2P0000; met een oppervlakte van 2a 08ca. Indeling: - gelijkvloers: garage, hall, living, hall, W.C., berging, 2 slaapkamers, badkamer, keuken en binnenkoer; - eerste en tweede verdieping: living, keuken, berging, hall, 2 slaapkamers, badkamer en terras; - kelder -EPC Lierseweg 112: label D (371), EPC Lierseweg 112A: label B (174), EPC Lierseweg 112B; label F (549) -renovatieplicht voor Lierseweg 112B, elektriciteit niet-conform, verwarming op gas, asbestveilig (maar niet asbestvrij) -Bouwjaar 1966, woongebied, vergunning (doch niet geheel gebouwd conform de afgeleverde vergunning), verkavelingsvergunning, geen recht van voorkoop, blanco bodemattest, geen onroerend erfgoed -Lierseweg 112 (gelijkvloers) is opgenomen in de inventaris van ongeschikte en onbewoonbare woningen. De notaris vestigt de aandacht van de liefhebbers op het belang voor hen om vóór het afsluiten van de verkoop : -bij de bevoegde dienst alle inlichtingen in te winnen omtrent de stedenbouwkundige toestand van het goed ; -persoonlijk na te gaan of het verkochte goed overeenstemt met de door de bevoegde overheden afgeleverde vergunningen. G score: B P score: D
  • Aantal kamers: 6
  • Aantal badkamers: 3
  • Lopende verkoop
  • Startdatum: 28/01/2026 10:00
  • Einddatum: 05/02/2026 10:00
  • Geen bod: 1000 €
  • Kadastraal inkomen: 1948 €
  • Vrij vanaf: Onmiddellijk
  • VERLINDEN, Marc
  • Contactpersoon: Isabelle ZEEUWS
  • Tel: (014) 54.42.35
  • Email: isabelle@notarismarcverlinden.be
  • Bezoekgegevens
  • op zaterdag 10/1, 17/1, 24/1 en 31/1 van 10u-12u.

Huizen

1 Bosschelweg, 3950 Kaulille

Doe een bod van
85.000 €

Presentatiebeeld van het pand n° 291439
Online openbare verkoop
  • Referentie: 291439
  • Woning (HOB) met een oppervlakte van 05a 30ca gelegen in het centrum van Kaulille. Gekend ten kadaster sectie B nr. 0360ZP0000. De woning bestaat uit een inkom met living, eetkamer, keuken, aanbouw/veranda, toilet, badkamer, trap naar de bovenverdieping, 2 slaapkamers. Aan de linkerzijde bevindt zich een grote garage. De woning is vrij van gebruik. De woning dient volledig gerenoveerd te worden. Mogelijkheden tot afbraak en bouw nieuwe woning na te vragen bij de gemeente. EPC F (renovatieplicht). Stedenbouw: Gvg-Wg-Gmo-Gvkr-Gvv. G score: D P score: D
  • Aantal kamers: 2
  • Aantal badkamers: 1
  • Lopende verkoop
  • Startdatum: 09/02/2026 10:00
  • Einddatum: 17/02/2026 10:00
  • Geen bod: 1000 €
  • Kadastraal inkomen: 421 €
  • Vrij vanaf: Onmiddellijk
  • Notaris Hilde ENGELS
  • Contactpersoon: Kantoor Not. Hilde Engels
  • Tel: (089) 46.42.68
  • Email: hilde.engels@notaris-engels.be
  • Bezoekgegevens
  • Na telefonische afspraak met het kantoor van notaris Hilde Engels

Gronden

6 Tiendenschuurstraat, 2811 Leest

Doe een bod van
250.000 €

Presentatiebeeld van het pand n° 291235
Online openbare verkoop
  • Referentie: 291235
  • VERKOOP 1 bestaat uit : - een perceel bouwgrond (voor open bebouwing), gelegen deels in woongebied met landelijk karakter en deels in agrarisch gebied, met een oppervlakte van 7 are 62 centiare; - een perceel achtergrond, gelegen in agrarisch gebied, met een oppervlakte van 1 are 43 centiare (overeenkomstig de splitsing zoals in bijlage weergegeven, mag dit perceel niet vertuind worden); Zoals deze percelen aangeduid staan als LOT 1 en LOT 1A op het plan toegevoegd in bijlage. Onder opschortende voorwaarde van het voorkooprecht ten voordele van de Vlaamse Waterweg. P score: A
  • Lopende verkoop
  • Startdatum: 01/02/2026 11:00
  • Einddatum: 09/02/2026 11:00
  • Geen bod: 1000 €
  • Vrij vanaf: Bij de akte
  • Notaris Valérie Benfeld
  • Contactpersoon: Kantoor Not. Valérie Benfeld
  • Tel: (015) 41.30.05
  • Email: info@notariaatvb.be
  • Bezoekgegevens
  • elke zaterdag, na tel. afspr. met bevestiging (015/41.30.05)

Huizen

6 Tiendenschuurstraat, 2811 Leest

Doe een bod van
350.000 €

Presentatiebeeld van het pand n° 291236
Online openbare verkoop
  • Referentie: 291236
  • VERKOOP 2 bestaat uit : - een te renoveren hoeve gelegen deels in woongebied met landelijk karakter en deels in agrarisch gebied, met een oppervlakte van 7 are 70 centiare (aantal slaapkamers niet bepaald); - een perceel achtergrond, gelegen in agrarisch gebied, met een oppervlakte van 1 are 43 centiare (overeenkomstig de splitsing zoals in bijlage weergegeven, mag dit perceel niet vertuind worden); Zoals deze percele aangeduid staan als LOT 2 en LOT 2A op het plan toegevoegd in bijlage. Onder opschortende voorwaarde van het voorkooprecht ten voordele van de Vlaamse Waterweg G score: A P score: A
  • Aantal kamers: 3
  • Aantal badkamers: 1
  • Lopende verkoop
  • Startdatum: 01/02/2026 11:00
  • Einddatum: 09/02/2026 11:00
  • Geen bod: 1000 €
  • Kadastraal inkomen: 337 €
  • Vrij vanaf: Bij de akte
  • Notaris Valérie Benfeld
  • Contactpersoon: Kantoor Not. Valérie Benfeld
  • Tel: (015) 41.30.05
  • Email: info@notariaatvb.be
  • Bezoekgegevens
  • elke zaterdag, na tel. afspr. met bevestiging (015/41.30.05)

Huizen

41 Rue Tincelle, 4470 Saint-Georges-sur-Meuse

Doe een bod van
160.000 €

Presentatiebeeld van het pand n° 289495
Uit de hand
  • Referentie: 289495
  • Nous proposons à la vente cette maison 4 façades située dans un quartier calme et verdoyant. Le rez-de-chaussée comprend un séjour lumineux, une cuisine équipée (lave-vaisselle, taques vitrocéramiques, four et hotte), une buanderie ainsi qu’un espace bureau pouvant également convenir à un usage professionnel grâce à son entrée indépendante. L’étage se compose de 3 chambres, d’une salle d’eau (baignoire, lavabo, WC) et d’un palier pouvant servir de bureau ou de dressing. Le bien dispose en outre de combles aménageables et d’une cave. Un jardin d’environ 530 m² complète l’ensemble de ce bien. L’installation électrique est conforme. Une visite virtuelle est disponible via le lien suivant : https://www.klapty.com/tour/XD10DrIxs4 Le bien est situé en zone B’ de plan d’exposition au bruit (PEB) et en zone B du plan de développement à long terme (PDLT) de l’aéroport de Liège-Bierset. Offre à faire pour au plus tard le 6 février et exclusivement selon le modèle disponible en l’Etude. Publicité non contractuelle.
  • Aantal kamers: 3
  • Oppervlakte van het woongedeelte: 168m2
  • Aantal badkamers: 1
  • Kadastraal inkomen: 503 €
  • Vrij vanaf: Bij de akte
  • Etudes Notariales associées
  • Contactpersoon: Christelle VITOUX
  • Tel: (085) 25.00.55
  • Email: info@lesnotaires.be
  • Bezoekgegevens
  • Veuillez contacter l'étude au 085/25.00.55

Huizen

149 Vennestraat, 3600 Genk

Doe een bod van
594.000 €

Presentatiebeeld van het pand n° 291367
Online openbare verkoop
  • Referentie: 291367
  • Deze opbrengsteigendom combineert wonen en ondernemen op een uitstekende locatie. Het gebouw bestaat uit 1 handelspand, 1studio en 4 appartementen. Alle privatieven zijn momenteel verhuurd. Gelegen in de bruisende Vennestraat, in de nabijheid v/h centrum van Genk, het openbaar vervoer, scholen en winkels. Een absolute meerwaarde is de wandelafstand tot de C-mine, wat deze eigendom extra aantrekkelijk maakt voor huurders én investeerders. De zonnepanelen zijn NIET inbegrepen in de verkoop: hiervoor werd een huurcontract afgesloten met een afzonderlijke firma. Het huurcontract kan opgevraagd worden bij het notariskantoor, en kan eventueel verder gezet worden. De huurcontracten kunnen op aanvraag bezorgd worden. Er zijn afzonderlijke EPC-attesten voor het handelspand en de appartementen met de volgende gegevens: - bus 01: energielabel B met certificaatnr 20230629-0002932322-KNR-1 - bus 02: 362 kWh/m²/jaar met certificaatnr 20211122-0002495900-RES-1 - bus 11: 154 kWh/m²/jaar met certificaatnr 20230629-0002932493-RES-1 - bus 12: 168 kWh/m²jaar met certificaatnr 20230626-0002046779-RES-1 - bus 21: 147 kWh/m²jaar met certificaatnr 20230629-0001759912-RES-2 - bus 22: 386 kWh/m² jaar met certificaatnr 20241121-0003454548-RES-1. Studio - virtuele tour https://view.ricoh360.com/631324ff-2b34-418f-ac02-b74c6a0bbdea / SMV https://youtu.be/rAyg_9nIxVs Appt 2 - virtuele tour https://view.ricoh360.com/f6dbc974-44c0-4d34-9c78-195bd4409843 / SMV https://youtu.be/EA_f4gS-9aA Appt 1 - virtuele tour https://view.ricoh360.com/f8f17c97-674f-4dc7-9a13-c948708c3913 / SMV https://youtu.be/gwR9ZiOUTqs Appt 4 - virtuele tour https://view.ricoh360.com/2d51c419-10a0-4232-9d94-25cf310de4c5 / SMV https://youtu.be/5oiR2vYAKeM Appt 3 - virtuele tour https://view.ricoh360.com/f7eb57f0-a340-4b4c-b7fc-448e22bbd78f / SMV https://youtu.be/dvb-3LtGG8k Momenteel wordt er een wassalon uitgebaat in het handelsgedeelte. De uitbating van het wassalon kan eventueel mee overgenomen worden, maar dit is apart met de eigenaar te bespreken. Het PV van toewijzing is voorzien op dinsdag 10 februari 2026 om 16u in het kantoor te Genk. Bezichtiging mogelijk na afspraak met het notariskantoor. G score: C P score: C
  • Aantal kamers: 8
  • Aantal badkamers: 5
  • Lopende verkoop
  • Startdatum: 26/01/2026 15:00
  • Einddatum: 03/02/2026 15:00
  • Geen bod: 1000 €
  • Kadastraal inkomen: 3523 €
  • Vrij vanaf: Andere
  • NOTARACT
  • Contactpersoon: Kantoor NOTARACT
  • Tel: (089) 51.83.51
  • Email: info@notaract.be
  • Bezoekgegevens
  • Na afspraak met het notariskantoor

Kantoren

2-8 Hoveniersstraat, 2018 Antwerpen

Doe een bod van
42.000 €

Presentatiebeeld van het pand n° 291443
Online openbare verkoop
  • Referentie: 291443
  • Kantoorruimte gelegen in het prestigieuze Antwerps Diamant Centrum, hart van de internationale diamantwijk. Gevestigd in een hoogbeveiligd kantoorcomplex met uitstekende bereikbaarheid. Ideaal voor diamantair of investeerder die op zoek is naar een locatie met uitstraling en professionaliteit. Bezichtingen sterk aanbevolen voor wie waarde en potentieel weet te herkennen. G score: C P score: C
  • Lopende verkoop
  • Startdatum: 03/02/2026 13:00
  • Einddatum: 11/02/2026 13:00
  • Geen bod: 1500 €
  • Kadastraal inkomen: 1122 €
  • Vrij vanaf: Bij de akte
  • SCRIPTAS Notarissen
  • Contactpersoon: Kantoor Scriptas Notarissen
  • Tel: (03) 233.61.39
  • Email: info@scriptasnotarissen.be
  • Bezoekgegevens
  • op woensdag 21/1, 28/1, 4/2 van 14u-15u.

Gronden

1541 Sint-Pieters-Kapelle

Doe een bod van
47.000 €

Presentatiebeeld van het pand n° 291420
Online openbare verkoop
  • Referentie: 291420
  • LOT 1. COMMUNE DE PAJOTTEGEM/Dixième division/SINT-PIETERS-KAPELLE. Une pâture située au lieu-dit « Heysel », cadastrée selon extrait récent de la matrice cadastrale, section C, numéro 0532FP0000, pour une superficie d’un hectare cinq ares septante centiares (1 ha 5 a 70 ca). Une terre située au lieu-dit « Heysel », cadastrée selon extrait récent de la matrice cadastrale, section C, numéro 0663FP0000, pour une superficie de treize ares (13a). Libres de bail à ferme – occupation précaire jusqu’à l’enlèvement des récoltes croissantes.
  • Lopende verkoop
  • Startdatum: 09/02/2026 14:00
  • Einddatum: 17/02/2026 14:00
  • Geen bod: 1000 €
  • Kadastraal inkomen: 92 €
  • Vrij vanaf: Bij de akte
  • Maryline VANDENDORPE, Notaire - Notaris
  • Contactpersoon: Marine VAN LAEREN
  • Tel: (02) 395.30.44
  • Email: marine.vanlaeren.128330@belnot.be
  • Bezoekgegevens
  • Directement sur place.

Gronden

1540 Herne

Doe een bod van
57.500 €

Presentatiebeeld van het pand n° 291421
Online openbare verkoop
  • Referentie: 291421
  • LOT 2 . COMMUNE DE PAJOTTEGEM/Huitième division/HERNE. Une pâture située au lieu-dit « Schaerkauter », cadastrée selon extrait récent de la matrice cadastrale, section E, numéro 0257RP0000, pour une superficie d’un hectare septante-sept ares nonante-cinq centiares (1 ha 77 a 95 ca) et douze centiares (12ca). Une pâture située au lieu-dit « Schaerkauter (lot 2)», cadastrée selon extrait récent de la matrice cadastrale, section E, numéro 0258W2P0000, pour une superficie de soixante-et-un ares nonante-et-un centiares (61 a 91 ca). Libres de bail à ferme – occupation précaire jusqu’à l’enlèvement des récoltes croissantes.
  • Lopende verkoop
  • Startdatum: 09/02/2026 14:00
  • Einddatum: 17/02/2026 14:00
  • Geen bod: 1000 €
  • Kadastraal inkomen: 161 €
  • Vrij vanaf: Bij de akte
  • Maryline VANDENDORPE, Notaire - Notaris
  • Contactpersoon: Marine VAN LAEREN
  • Tel: (02) 395.30.44
  • Email: marine.vanlaeren.128330@belnot.be
  • Bezoekgegevens
  • Directement sur place.

Handelspanden

39 Vissersstraat, 8370 Blankenberge

Doe een bod van
130.000 €

Presentatiebeeld van het pand n° 291449
Online openbare verkoop
  • Referentie: 291449
  • Opgenomen in het leegstandsregister. Te bezichtigen op eigen risico. EPC 670kWh/m². Vrij mits betaling van koopsom en kosten. G score: D P score: D
  • Aantal badkamers: 3
  • Lopende verkoop
  • Startdatum: 08/02/2026 13:00
  • Einddatum: 16/02/2026 13:00
  • Geen bod: 1000 €
  • Kadastraal inkomen: 2131 €
  • Vrij vanaf: Bij de akte
  • SABBE, Jean-Louis
  • Contactpersoon: Kantoor Not. Jean-Louis Sabbe
  • Tel: (050) 42.82.72
  • Email: info@notarissabbe.com
  • Bezoekgegevens
  • Te betreden op eigen risico - mits reservering van de sleutel op kantoor

Huizen

43 Rue du Ternia, 5670 Treignes

Doe een bod van
150.000 €

Presentatiebeeld van het pand n° 291454
Uit de hand
  • Referentie: 291454
  • Maison au cœur du village de Treignes, à proximité des nombreux musées. Rez-de-chaussée : salle à manger, salon, cuisine, salle de bain, WC, débarras, atelier. Etage : 4 chambres. Cave. 3 greniers. La maison est vendue avec un garage situé à 300 mètres (rue de la Gare 2+). Maison cadastrée section B numéro 0138/03B P0000 (1a 90ca). RC : 421 euros. Garage cadastré section B numéro 0118F3 P0000 (37ca). RC : 52 euros. PEB : G. Faire offre à partir de 150.000 euros. VISITES UNIQUEMENT LE MARDI ET LE VENDREDI DE 16 A 18H. PRENDRE RENDEZ-VOUS AU 0475 90 10 38.
  • Aantal kamers: 4
  • Kadastraal inkomen: 473 €
  • Vrij vanaf: Te bepalen
  • Philippe LAMBINET, notaires associés
  • Contactpersoon: Pierre DANVOYE
  • Tel: (060) 34.40.61
  • Email: philippe.lambinet@belnot.be

Garage

182 Turnhoutsebaan, 2140 Borgerhout

Doe een bod van
20.000 €

Presentatiebeeld van het pand n° 291451
Online openbare verkoop
  • Referentie: 291451
  • Nummer 22. Gelegen op de 2e kelderverdieping. G score: A P score: A
  • Lopende verkoop
  • Startdatum: 03/02/2026 15:00
  • Einddatum: 11/02/2026 15:00
  • Geen bod: 500 €
  • Vrij vanaf: Bij de akte
  • Verhaert & Dumoulin notarissen
  • Contactpersoon: Kantoor Not. Verhaert & Dumoulin
  • Tel: (03) 200.22.42
  • Email: info@vdwnotarissen.be
  • Bezoekgegevens
  • op woensdag van 15u-17u, na tel. afspr? met het notariskantoor vanaf woensdag 14/1 tem woensdag 4/2.

Appartementen

47 Rue du Canal, 4100 Seraing

Doe een bod van
149.000 €

Presentatiebeeld van het pand n° 291345
Uit de hand
  • Referentie: 291345
  • Cet appartement partiellement rénové se compose d'une cuisine de 10m² avec nouvelle cuisine équipée (four, lave-vaisselle, frigo, taques et hotte), d'un living lumineux de 26m². Les chambres à coucher donnent sur l'arrière. La plus petite mesure 8m² et dispose de placards, quant à la plus grande, elle mesure 14m² et dispose d'une partie dressing. Salle-de-bain (baignoire, un évier). WC. Espace technique (nouvelle chaudière). Cave au sous-sol. Garage. Balcon sur l'avant. Chauffage au gaz. Petite copropriété de 5 appartements.
  • Aantal kamers: 2
  • Aantal badkamers: 1
  • Kadastraal inkomen: 852 €
  • Vrij vanaf: Bij de akte
  • BERNARD DEGIVE - SOCIETE NOTARIALE
  • Contactpersoon: Valerie LALLEMAND
  • Tel: (04) 371.40.11
  • Email: valerie.lallemand.109629@belnot.be
  • Bezoekgegevens
  • S'adresser à l'Etude.

Appartementen

81 Gaverlandstraat, 9120 Melsele

Doe een bod van
369.000 €

Presentatiebeeld van het pand n° 291464
Uit de hand
  • Referentie: 291464
  • Een rustig gelegen (op te frissen) ruim duplex-appartement op de eerste verdieping + garage nabij het centrum van Melsele, dicht bij de winkels, openbaar vervoer en scholen. Op het gelijkvloers een trap naar de eerste verdieping. Indeling appartement (verdiep 1): Hal met apart toilet, zeer ruime living (50 m²) + klein terras, ingerichte keuken met een mooi terras (zonnekant), berging. Verdieping 2: Ruime nachthal, 4 ruime slaapkamers, badkamer, berging. Garagebox: om de hoek in de straat. G score: A P score: A
  • Aantal kamers: 4
  • Kadastraal inkomen: 976 €
  • Vrij vanaf: Bij de akte
  • VAN der AUWERMEULEN, Michel
  • Contactpersoon: Jessica MERCKX
  • Tel: (03) 773.47.12
  • Email: jessica.merckx.129882@belnot.be

Appartementen

44 Molenborre, 1500 Halle

Doe een bod van
320.000 €

Presentatiebeeld van het pand n° 291264
Online openbare verkoop
  • Referentie: 291264
  • Ben je op zoek naar een instapklaar duplexappartement met een bewoonbare oppervlakte van 133 m² in het centrum van Halle? Dan is dit pand precies wat je zoekt. Via de ruime inkomhal met ingebouwde kasten kom je terecht in de lichte en gezellige leefruimtes. De open haard zorgt voor extra sfeer, terwijl de moderne Dovy-keuken volledig uitgerust is om comfortabel te koken. Daarnaast zijn er twee aangename terrassen waar het heerlijk ontspannen is. Op de bovenverdieping bevinden zich twee ruime slaapkamers van respectievelijk 18 m² en 16 m². De badkamer beschikt over een inloopdouche, een ligbad en een dubbele wastafel in het meubel. Verder is er een zolderruimte die eventueel kan worden ingericht als derde slaapkamer. Op elk niveau is een toilet aanwezig. Extra bergruimte en een garage zijn eveneens inbegrepen. Dit alles bevindt zich op wandelafstand van winkels, openbaar vervoer, scholen en belangrijke invalswegen. Aarzel niet en neem contact op voor meer informatie of om een bezoek te plannen. Instelpremie van 1% van toepassing op het eerste bod! Appartement vrij op 31 maart 2026, momenteel nog verhuurd en in opzeg. G score: D P score: D
  • Aantal kamers: 2
  • Lopende verkoop
  • Startdatum: 12/02/2026 14:00
  • Einddatum: 20/02/2026 14:00
  • Geen bod: 1000 €
  • Kadastraal inkomen: 1407 €
  • Vrij op: 31/03/2026
  • Notaris Koen Diegenant
  • Contactpersoon: Charles BEKAERT
  • Tel: (02) 356.43.07
  • Email: charles.bekaert.165571@belnot.be

Gronden

7740 Warcoing

Doe een bod van
13.000 €

Presentatiebeeld van het pand n° 291471
Uit de hand
  • Referentie: 291471
  • Terre de 21 a 25 ca, libre d'occupation.
  • Kadastraal inkomen: 16 €
  • Vrij vanaf: Bij de akte
  • Pauline RAVAUX - Notaire
  • Contactpersoon: Christelle BERTON
  • Tel: (069) 44.25.50
  • Email: christelle.berton.127860@belnot.be

Gronden

7500 Tournai

Doe een bod van
20.000 €

Presentatiebeeld van het pand n° 291475
Uit de hand
  • Referentie: 291475
  • Terre agricole de 40 ares, libre d'occupation.
  • Kadastraal inkomen: 28 €
  • Vrij vanaf: Bij de akte
  • Pauline RAVAUX - Notaire
  • Contactpersoon: Christelle BERTON
  • Tel: (069) 44.25.50
  • Email: christelle.berton.127860@belnot.be

Huizen

138 Vieux Chemin d'Ath, 7548 Warchin

Doe een bod van
135.000 €

Presentatiebeeld van het pand n° 290906
Uit de hand
  • Referentie: 290906
  • La maison est composée comme suit : - Sous-sol: Cave - Rez-de-chaussée: Salle à manger, salon, cuisine, buanderie, salle d'eau, véranda, WC - 1er étage: 2 chambres - 2ème étage: Grenier aménageable + 1 garage avec accès à la maison, jardin avec remise, fosse septique L'ensemble des pièces utiles (PEB, plan de secteur, …) sont visionnables via : https://immo.notaire.be/fr/
  • Aantal kamers: 2
  • Oppervlakte van het woongedeelte: 131m2
  • Kadastraal inkomen: 607 €
  • Vrij vanaf: Bij de akte
  • Nadège Giordano- Notaire
  • Contactpersoon: Aurélie VERLOOY
  • Tel: (069) 35.23.89
  • Email: info@notaire-giordano.be
  • Bezoekgegevens
  • S'adresser en l'étude du notaire Nadège GIORDANO (069/35.23.89 et taper 1 pour l'immobilier)

Gronden

6687 Bertogne

Doe een bod van
3.280 €

Presentatiebeeld van het pand n° 291479
Online openbare verkoop
  • Referentie: 291479
  • Commune de BASTOGNE – Huitième division – FLAMIERGE 1/ Une terre sise « Au Vieux Mousty », cadastrée section E, numéro 1291AP0000, pour une contenance de quinze ares quarante centiares (15a 40ca); 2/ Une terre sise « Au Vieux Mousty », cadastrée section E, numéro 1292P0000, pour une contenance de huit ares nonante centiares (8a 90ca); Parcelles situées de part et d’autre d’un chemin de terre. Zone agricole.
  • Lopende verkoop
  • Startdatum: 29/01/2026 10:00
  • Einddatum: 06/02/2026 10:00
  • Geen bod: 1000 €
  • Kadastraal inkomen: 6 €
  • Vrij vanaf: Bij de akte
  • Jean-François LAPAILLE - Société notariale
  • Contactpersoon: Hervé DIDIER
  • Tel: (061) 26.61.18
  • Email: herve.didier.125179@belnot.be
  • Bezoekgegevens
  • Contacter l'étude au 061/26.61.18 ou par mail à l'adresse h.didier@notairelapaille.be

Gronden

6687 Bertogne

Doe een bod van
10.017 €

Presentatiebeeld van het pand n° 291481
Online openbare verkoop
  • Referentie: 291481
  • Commune de BASTOGNE – Huitième division – FLAMIERGE Une jolie parcelle de terre sise « Aux Bruyères » cadastrée section E, numéro 1385C3P0000, pour une contenance totale de septante-quatre ares vingt centiares (74a 20ca) ; Parcelle à route. Zone agricole. Jouissance à l’acte.
  • Lopende verkoop
  • Startdatum: 29/01/2026 10:00
  • Einddatum: 06/02/2026 10:00
  • Geen bod: 1000 €
  • Kadastraal inkomen: 22 €
  • Vrij vanaf: Bij de akte
  • Jean-François LAPAILLE - Société notariale
  • Contactpersoon: Hervé DIDIER
  • Tel: (061) 26.61.18
  • Email: herve.didier.125179@belnot.be
  • Bezoekgegevens
  • Contacter l'étude au 061/26.61.18 ou par mail à l'adresse h.didier@notairelapaille.be

Huizen

12 Halve Maanstraat, 8470 Gistel

Doe een bod van
795.000 €

Presentatiebeeld van het pand n° 291343
Uit de hand
  • Referentie: 291343
  • Unieke investeringskans in het hart van Gistel! In een verzorgd appartementsgebouw worden 5 afzonderlijke appartementen samen aangeboden. Dankzij de centrale ligging – op wandelafstand van winkels, scholen en openbaar vervoer – geniet u van een toplocatie met gegarandeerde verhuurbaarheid. Vier van de vijf appartementen zijn reeds verhuurd, wat betekent dat u meteen kan rekenen op een direct rendement. Het gebouw is instapklaar en ideaal voor wie op zoek is naar een solide vastgoedbelegging met zekerheid en groeipotentieel. G score: A P score: A
  • Aantal kamers: 8
  • Aantal badkamers: 5
  • Vrij vanaf: Andere
  • Notaris Jessica Verhaeghe
  • Contactpersoon: Thomas VAN GOOL
  • Tel: (059) 27.95.79
  • Email: thomas@notaris-verhaeghe.be

Huizen

23 Rue du Progrès, 7170 Bois-d'Haine

Doe een bod van
250.000 €

Presentatiebeeld van het pand n° 291442
Uit de hand
  • Referentie: 291442
  • Prix : Faire offre à partir de 250.000€ Située à Manage, cette maison récente de 2017 offre 202 m² habitables et un agencement idéal pour une grande famille. Le rez-de-chaussée comprend une chambre, un WC séparé, une buanderie et une cuisine ouverte sur la salle à manger et le salon. A l’étage, deux chambres et une salle de bains avec WC. Le deuxième étage propose un dressing/bureau et deux chambres supplémentaires. Le jardin, entièrement clôturé et orienté plein Sud, offre un cadre agréable et calme. Deux emplacements de parking complètent le bien. La maison dispose d’un chauffage central au gaz avec chaudière à condensation, de châssis double vitrage, d'un PEB B et d’une électricité conforme. Proche des commodités, des transports, de la gare, des bus et à environ 667 m de l’autoroute, elle offre un excellent confort de vie dans un quartier pratique et résidentiel. Pour en savoir plus sur ce bien, visitez www.notairedemolin.net : vous y trouverez tous les documents utiles. Pour plus d'informations ou pour organiser une visite, contactez l'Etude du Notaire Demolin au 064/54.10.30.
  • Aantal kamers: 5
  • Oppervlakte van het woongedeelte: 202m2
  • Aantal badkamers: 1
  • Kadastraal inkomen: 925 €
  • Vrij vanaf: Bij de akte
  • NICOLAS DEMOLIN, NOTAIRE
  • Contactpersoon: Samir LAICHE
  • Tel: (064) 54.10.30
  • Email: samir.laiche.109462@belnot.be
  • Bezoekgegevens
  • Le bien vendu pourra être visité par les candidats-acquéreurs sur rendez-vous en contactant le secrétariat de l'étude du Notaire Nicolas Demolin au 064/54.10.30.

Huizen

19 Rue des Joncquières, 6061 Montignies-sur-Sambre

Doe een bod van
97.000 €

Presentatiebeeld van het pand n° 291477
Uit de hand
  • Referentie: 291477
  • Maison d'habitation comprenant : - Sous-sol : cave - Rez-de-chaussée : hall d'entrée, salon, salle à manger, cuisine non équipée - 1er étage : hall de nuit, 3 chambres - 2ème étage : grenier - Divers : volet électrique, parking devant façade, châssis double vitrage, jardin
  • Aantal kamers: 3
  • Kadastraal inkomen: 418 €
  • Vrij vanaf: Bij de akte
  • Bernard LEMAIGRE et Héléna STORMS, Notaires Associés
  • Contactpersoon: Bernard LEMAIGRE
  • Tel: (071) 32.09.94
  • Email: info@monnotaire.be
  • Bezoekgegevens
  • Renseignements en l'Etude

Huizen

12 Windmolenberg, 1200 Sint-Lambrechts-Woluwe

Doe een bod van
444.500 €

Presentatiebeeld van het pand n° 289711
Online openbare verkoop
  • Referentie: 289711
  • Aangename ééngezinswoning 3 slaapkamers met tuin gelegen Windmolenberg 12 voor een oppervlakte van 1a 72ca, in een rustige residentiële wijk. Omvattende op ondergr. verd. : kelders, garage, wasplaats - op glvl. : hal, WC, living, eetkamer, keuken en tuin - op 1e verd. : 3 slaapkamers, WC, badkamer met WC - Zolderverd. : zolder. N.g.k.i. 1.988€. Bew. opp. (volgens EPC) : 153m². Ramen PVC dubbele beglazing, verwarming op gas. Dichtbij winkels, metro, bus en tram. Vrij bij akte. EPC E-/256. Contr. elektr. conform van 2017 maar sindsdien werden wel kleine elektrische werkzaamheden uitgevoerd. Bezoeken na afspraak : woensdagen 14-21-28/1 van 15-17u, zaterdagen 17-24/1, 7/2 van 14-16u en vrijdag 30/1 van 14-16u. Gelieve de verkoopvoorwaarden te raadplegen op BIDDIT. Begin biedingen : maandag 02.02.26 om 10u - Einde biedingen : dinsdag 10.02.26 om 10u - Instelprijs : 444.500€ - Bodverhoging : 1.000€. Ondertekening akte : vrijdag 13.02.26 om 16u - www.biddit.be - Ref. pand : 289711.
  • Aantal kamers: 3
  • Oppervlakte van het woongedeelte: 153m2
  • Aantal badkamers: 1
  • Lopende verkoop
  • Startdatum: 02/02/2026 10:00
  • Einddatum: 10/02/2026 10:00
  • Geen bod: 1000 €
  • Kadastraal inkomen: 1988 €
  • Vrij vanaf: Bij de akte
  • ACTALYS, Notaires associés
  • Contactpersoon: Henri VANDERLINDEN
  • Tel: 02/204.09.59
  • Email: hva@actalys.be
  • Bezoekgegevens
  • na afspraak : woensdagen 14-21-28/1 van 15-17u, zaterdagen 17-24/1, 7/2 van 14-16u en vrijdag 30/1 van 14-16u.

Gronden

Nachtegaal, 3800 Zepperen

Doe een bod van
50.000 €

Presentatiebeeld van het pand n° 291456
Uit de hand
  • Referentie: 291456
  • Twee percelen grond te koop te Zepperen, Sint-Truiden, groot 83 aren 94 centiaren, agrarisch gebied. Vlotte en snelle bereikbaarheid. Vrij van pacht. P score: A
  • Vrij vanaf: Bij de akte
  • Emile Jageneau & Alexandre Jageneau, geassocieerde notarissen
  • Contactpersoon: Kantoor Not. Jageneau & Jageneau
  • Tel: (011) 32.30.27
  • Email: alexandre.jageneau@belnot.be

Huizen

15 Oostkouterstraat, 9220 Hamme

Doe een bod van
269.000 €

Presentatiebeeld van het pand n° 291463
Uit de hand
  • Referentie: 291463
  • Woning (gesloten bebouwing) en garage te Hamme in een rustige gelegen straat, nabij het centrum. Indeling: droge kelder; Gelijkvloers: voortuin, inkomhal met trap naar verdieping, ruime living, ingerichte keuken, ruime berging, wasplaats, apart toilet, achtertuin met toegang tot de garage. Verdiep 1: ruime nachthal, 3 slaapkamers, badkamer. Dakverdieping: ruime zolder (mogelijks volledig in te richten). De woning geniet van een uitstekende ligging nabij de dijk en het dentrum van Hamme. Winkels, scholen (kleuter en lager), apotheek, slager en horeca zijn te voet bereikbaar. Rustige en veilige buurt, ideaal voor jonge gezinnen! G score: A P score: A
  • Aantal kamers: 3
  • Kadastraal inkomen: 339 €
  • Vrij vanaf: Bij de akte
  • VAN der AUWERMEULEN, Michel
  • Contactpersoon: Jessica MERCKX
  • Tel: (03) 773.47.12
  • Email: jessica.merckx.129882@belnot.be

Gronden

Broekzijstraat, 2275 Lille

Doe een bod van
50.000 €

Presentatiebeeld van het pand n° 291441
Online openbare verkoop
  • Referentie: 291441
  • Sectie E, nummer 125/G P0000, groot 2.303 m². Niet verpacht. Aanvaarding na betaling. Geen voorkooprecht. Gelegen rechts naast "Broekzijstraat 114" (gezien vanuit de straatkant). Perceelscore of P-score : A (geen overstroming gemodelleerd). Geen vergunning uitgereikt. Geen verkavelingsvergunning. Agrarisch gebied. Geen dagvaarding uitgebracht. Geen rechterlijke herstelmaatregel of bestuurlijke maatregel opgelegd. Geen voorkooprecht ruimtelijke ordening aanwezig. Geen watergevoelig openruimtegebied. De gemeente Lille heeft op 7 januari 2026 een nieuw stedenbouwkundig uittreksel bezorgd, waaruit blijkt dat het goed volledig is gelegen in agrarisch gebied. Dit werd namelijk verkeerdelijk vermeld in het vorige stedenbouwkundig uittreksel van 5 november 2025. P score: A
  • Lopende verkoop
  • Startdatum: 26/01/2026 13:00
  • Einddatum: 03/02/2026 13:00
  • Geen bod: 1000 €
  • Vrij vanaf: Onmiddellijk
  • VAN EEPOEL & VAN DYCK, geassocieerde notarissen
  • Contactpersoon: Kantoor Not. Van Eepoel & Van Dyck
  • Tel: (014) 88.10.62
  • Email: info@vaneepoel-vandyck.be
  • Bezoekgegevens
  • vrij te bezichtigen.

Huizen

67 Kleibeekstraat, 9100 Sint-Niklaas

Doe een bod van
150.000 €

Presentatiebeeld van het pand n° 291444
Online openbare verkoop
  • Referentie: 291444
  • Op te frissen woonhuis te Sint-Niklaas, Kleibeekstraat 67. Inkom, woonkamer met eetkamer, keuken, badkamer, berging en tuin. Boven: 2 slaapkamers en badkamer met douche. G score: D P score: D
  • Aantal kamers: 2
  • Aantal badkamers: 2
  • Lopende verkoop
  • Startdatum: 02/02/2026 15:00
  • Einddatum: 10/02/2026 15:00
  • Geen bod: 1000 €
  • Kadastraal inkomen: 404 €
  • Vrij vanaf: Te bepalen
  • Tack & De Moor - notarisvennootschap
  • Contactpersoon: Michaël DE BOEY
  • Tel: (03) 776.02.38
  • Email: mdb@tackdemoor.be
  • Bezoekgegevens
  • Elke zaterdag van 10 uur tot 12 uur en elke woensdag van 14 uur tot 16 uur

Huizen

4 Midzelen, 2860 Sint-Katelijne-Waver

Doe een bod van
400.000 €

Presentatiebeeld van het pand n° 291430
Online openbare verkoop
  • Referentie: 291430
  • Notaris Marc Verdonck te Sint-Katelijne-Waver zal, nagemeld goed online verkopen, door middel van biedingen, welke online starten op de site www.biddit.be, vanaf maandag 16/02/2026 om 13.00 u en sluiten op dinsdag 24/02/2026 om 13.00 u. Een woning (deels onvergund) op en met grond en verdere aanhorigheden, gestaan en gelegen te Sint-Katelijne-Waver, Midzelen 4, en ter plaatse genaamd "AERTVELDEN", thans ten kadaster gekend, sectie D, nummers 67/P partitie P0000 ('huis' - 1.595 m²), 67/02/G partitie P0000 ('weg' - 430 m²) en 68/R partitie P0000 ('warmoesgrond' - 1.164 m²), met gezamenlijke oppervlakte van drieduizend honderd negenentachtig vierkante meter (3.189 m²). Gezamenlijk KI (niet-geïndexeerd): duizend honderd zevenenzeventig (1.177,00 EUR). Indeling: glvl.: inkomhal met trap, woonkamer, keuken, bijkeuken/wasplaats/berging, badkamer met wc, slaapkamer, 2 garages en tuin. 1e verdiep: nachthal, badkamer, 4 slaapkamers en zolderruimtes. keuring elektr.: niet conform. EPC: 20240611-0003278681-RES-1: 516 kWh/m² jaar (label F). asbestattest: Niet-asbestveilig. Stedenbouwk. info: 1) bestemming: agrarische gebieden ; 2) stedenb. verg.: het bouwen van een paardenstal d.d. 26 september 2005, 3) stedenbouwk. overtreding: ja (zie nagemeld). Blanco bodemattesten. Vrij zuiver en onbelast. Beschikbaar na definitief worden van verkoping, mits volledige betaling van prijs en kosten. Voorkooprecht: De Vlaamse Waterweg. Erfdienstbare weg aanwezig. MELDING!: STEDENBOUWKUNDIGE OVERTREDING: Er is een stedenbouwkundige overtreding, voor het uitvoeren van verbouwingswerken zonder vergunning d.d. 03 maart 1995, BO/1995/14226 (hiervoor werd een regularisatie aangevraagd maar deze werd geweigerd). Er werden namelijk verbouwingen en uitbreidingen gedaan van een bestaande hoeve (hoeve werd gezet tussen 1919 en 1930 volgens kadaster) en dit zonder vergunning en in agrarisch gebied. Hiervoor werd een proces-verbaal afgeleverd met nr. 838. Momenteel zijn er geen herstelvorderingen opgelegd ingevolge verjaring. De verjaring heeft alleen tot gevolg dat de overtreder beschermd is tegen de strafvordering en/of de herstelvordering van de handhavende overheid. De verjaring is dus niet gelijk te stellen met een vergunning en neemt het illegale karakter van de werken niet weg. De verjaarde constructie blijft met andere woorden illegaal. Indien er nieuwe illegale werken aan zo’n verjaarde constructie worden uitgevoerd zal in beginsel een eventueel later bevel tot herstel ook betrekking hebben op de voorheen bestaande illegaliteit. PV TOEWIJZING: na aanvaarding hoogste bod, en bij niet-uitoefening van het voorkooprecht, ondertekening op notariskantoor Vlaeymans, Verdonck & Knevels te Sint-Katelijne-Waver, Duffelsesteenweg 20, op maandag 02/03/2026 om 18.00 u. G score: A P score: A
  • Aantal kamers: 5
  • Lopende verkoop
  • Startdatum: 16/02/2026 13:00
  • Einddatum: 24/02/2026 13:00
  • Geen bod: 1000 €
  • Kadastraal inkomen: 1177 €
  • Vrij vanaf: Andere
  • VLAEYMANS, VERDONCK & KNEVELS
  • Contactpersoon: Jasmien BREUGELMANS
  • Tel: (015) 31.43.31
  • Email: jasmien.breugelmans.217615@belnot.be
  • Bezoekgegevens
  • elke woensdag van 14.00 u tot 17.00 u en van 19.00 u tot 20.30 u, en dit vanaf woensdag 14/01/2026 tot en met woensdag 18/02/2026

Gronden

1540 Herne

Doe een bod van
97.000 €

Presentatiebeeld van het pand n° 291422
Online openbare verkoop
  • Referentie: 291422
  • LOT 3. COMMUNE DE PAJOTTEGEM/Huitième division/HERNE. Une terre située au lieu-dit « Postborre », cadastrée selon extrait récent de la matrice cadastrale, section L, numéro 0336P0000, pour une superficie de soixante-deux ares septante centiares (62 a 70 ca). Une terre située au lieu-dit « Postborre », cadastrée selon extrait récent de la matrice cadastrale, section L, numéro 0338P0000, pour une superficie d’un hectare quatre-vingt ares (1ha 80a). Libres de bail à ferme – occupation précaire jusqu’à l’enlèvement des récoltes croissantes.
  • Lopende verkoop
  • Startdatum: 09/02/2026 14:00
  • Einddatum: 17/02/2026 14:00
  • Geen bod: 1000 €
  • Kadastraal inkomen: 176 €
  • Vrij vanaf: Bij de akte
  • Maryline VANDENDORPE, Notaire - Notaris
  • Contactpersoon: Marine VAN LAEREN
  • Tel: (02) 395.30.44
  • Email: marine.vanlaeren.128330@belnot.be
  • Bezoekgegevens
  • Directement sur place.

Appartementen

182 Turnhoutsebaan, 2140 Borgerhout

Doe een bod van
310.000 €

Presentatiebeeld van het pand n° 291450
Online openbare verkoop
  • Referentie: 291450
  • In hartje Antwerpen. Lichtrijk. Open ruimte met woonruimte, keuken, 1 slaapkamer, badkamer en sauna, omgevend plat dak te gebruiken als zonneterras, kelder en autostaanplaats. Nabij openbaar vervoer en winkels. G score: A P score: A
  • Aantal kamers: 1
  • Oppervlakte van het woongedeelte: 154m2
  • Aantal badkamers: 1
  • Lopende verkoop
  • Startdatum: 03/02/2026 15:00
  • Einddatum: 11/02/2026 15:00
  • Geen bod: 1000 €
  • Kadastraal inkomen: 1222 €
  • Vrij vanaf: Bij de akte
  • Verhaert & Dumoulin notarissen
  • Contactpersoon: Kantoor Not. Verhaert & Dumoulin
  • Tel: (03) 200.22.42
  • Email: info@vd-notarissen.be
  • Bezoekgegevens
  • op woensdag van 15u-17u, na tel. afspr? met het notariskantoor vanaf woensdag 14/1 tem woensdag 4/2.

Huizen

18B Rue Maurice Duchêne, 4340 Othée

Doe een bod van
199.000 €

Presentatiebeeld van het pand n° 291455
Online openbare verkoop
  • Referentie: 291455
  • Spacieuse Maison Bel-Étage 3 Façades à Othée (Awans) - à remettre au goût du jour Découvrez cette charmante habitation offrant de beaux volumes et un cadre de vie paisible au cœur du village prisé d'Othée. Avec une superficie habitable généreuse de 281 m², cette maison type « bel-étage » est idéale pour une famille cherchant de l'espace et du potentiel. Points forts : - Espaces extérieurs : Profitez d'un agréable jardin arboré au calme, complété par un terrain adjacent longeant la propriété, offrant des possibilités d'aménagement. - Volume : 281 m² habitables (sans compter la véranda) répartis sur plusieurs niveaux. Composition du bien : - Rez-de-chaussée (Niveau rue) : Un grand hall d'entrée accueillant desservant une cave, une buanderie pratique, un garage spacieux et un atelier (idéal pour les bricoleurs). - 1er étage (Rez-de-jardin) : Un hall menant à un grand séjour lumineux, une cuisine, une véranda offrant une vue sur le jardin, 2 belles chambres confortables ainsi qu’une salle de bains (baignoire et WC). - 2ème étage : Un grenier déjà aménagé et un grand grenier supplémentaire aménageable selon vos besoins (chambre additionnelle, bureau, salle de jeux,...). Cette maison allie le calme de la campagne hesbignonne à la proximité immédiate des commodités d'Awans et des axes autoroutiers. Prévoir quelques travaux de rafraîchissement pour révéler tout le cachet de cette charmante propriété.
  • Aantal kamers: 3
  • Oppervlakte van het woongedeelte: 281m2
  • Aantal badkamers: 1
  • Lopende verkoop
  • Startdatum: 02/02/2026 13:00
  • Einddatum: 10/02/2026 13:00
  • Geen bod: 1000 €
  • Kadastraal inkomen: 804 €
  • Vrij vanaf: Bij de akte
  • Françoise WERA, Candice COLLARD, Didier TIMMERMANS, notaires associés
  • Contactpersoon: Natacha DEVILLERS
  • Tel: (04) 247.53.39
  • Email: natacha.devillers.352894@belnot.be
  • Bezoekgegevens
  • Prendre rendez-vous en l'étude pour fixer une visite

Huizen

338 Rue de Gilly, 6010 Couillet

Doe een bod van
55.000 €

Presentatiebeeld van het pand n° 291425
Online openbare verkoop
  • Referentie: 291425
  • Maison d'habitation à rénover avec jardin et terrasse, située à proximité des commerces et des axes autoroutiers, elle se compose: - Rez-de-chaussée : Salon , Salle à manger , Cuisine comprenant : évier, hotte et meubles de rangement et W.C. avec lave-mains, véranda; Superficie habitable au rez de : 38,37 m² - 1er étage : Palier et 2 chambres d'approximativement 14 m² chacune; Superficie habitable : 28, 45 m² - 2ème étage : Grenier aménageable de 13,37 m² et une chambre/bureau : de 7,64 m² Superficie habitable totale : 74,46 m² Infos complémentaires : - Cave de 13,41 m²; - Poêle au gaz; - Compteur électrique simple horaire; - Châssis simple vitrage bois - Volets électriques - Toiture en tuile (non isolé) - Boiler électrique - Compteur eau - Compteur gaz - Citerne eau de pluie
  • Aantal kamers: 3
  • Oppervlakte van het woongedeelte: 74m2
  • Lopende verkoop
  • Startdatum: 04/02/2026 11:00
  • Einddatum: 12/02/2026 11:00
  • Geen bod: 1000 €
  • Kadastraal inkomen: 297 €
  • Vrij vanaf: Bij de akte
  • Société Notariale Ghigny & Associés
  • Contactpersoon: Ornella COLACI
  • Tel: (071) 81.10.43
  • Email: ornella.colaci.108860@belnot.be
  • Bezoekgegevens
  • Sur rendez-vous uniquement au 0473/46.09.03

Appartementen

6 Zuidstraat, 8800 Roeselare

Doe een bod van
250.000 €

Presentatiebeeld van het pand n° 291447
Uit de hand
  • Referentie: 291447
  • Op te frissen appartement met 2 terrassen gelegen op het 2e verdiep met een oppervlakte van +- 116 m². Inkomhall -living met zithoek en terras- deels ingerichte keuken met terras - berging - gastentoilet - 2 slaapkamers + kleinere kamer-badkamer - en in kelderverdiep autostandplaats Ramen PVC - rolluiken en dubbele beglazing verwarming: collectieve centrale installatie met warmtenet en condenserende ketel G score: B P score: B
  • Aantal kamers: 3
  • Kadastraal inkomen: 1259 €
  • Vrij vanaf: Bij de akte
  • VERSTRAETE - VIAENE notarisvennootschap
  • Contactpersoon: Marie-Ange MYLLE
  • Tel: (051) 20.01.52
  • Email: marieange.mylle.357776@belnot.be

Gronden

Westbroek, 9200 Grembergen

Doe een bod van
150.000 €

Presentatiebeeld van het pand n° 291458
Online openbare verkoop
  • Referentie: 291458
  • Dit perceel bouwgrond betreft lot 2 van de verkaveling, geschikt voor open bebouwing gelegen nabij de Zeelsebaan/Westbroeck. Dit perceel heeft een oppervlakte van 1.516,66 m². P score: C
  • Lopende verkoop
  • Startdatum: 02/02/2026 15:00
  • Einddatum: 10/02/2026 15:00
  • Geen bod: 1000 €
  • Vrij vanaf: Bij de akte
  • SVEN HEYVAERT, NOTARISVENNOOTSCHAP
  • Contactpersoon: Kantoor Not. Sven Heyvaert
  • Tel: (052) 47.70.83
  • Email: sven@notarisheyvaert.be
  • Bezoekgegevens
  • vrij

Appartementen

12 Avenue de Batta, 4500 Huy

Doe een bod van
125.000 €

Presentatiebeeld van het pand n° 291452
Uit de hand
  • Referentie: 291452
  • Noue proposons à la vente, dans un complexe résidentiel et commercial, dénommé "RESIDENCE COMTE BASIN" et "SHOPPING CENTER BATTA", un appartement bénéficiant d'une vue splendide sur le Fort et la Collégiale, au sein d'une copropriété bien tenue, lequel se compose comme suit : Au 10ième étage : Un hall d'entrée, un séjour, une cuisine, une salle de bains, une chambre. Ce bien bénéficie également d'une cave privative idéale pour le stockage et est entouré d'une terrasse. Caractéristiques techniques : châssis double vitrage, chauffage commun au gaz de ville. Prix : faire offre à partir de 125.000€ (sous réserve de l'acceptation du propriétaire). Informations données à titre indicatif et non contractuel ! A visiter sans tarder !!!
  • Aantal kamers: 1
  • Aantal badkamers: 1
  • Kadastraal inkomen: 743 €
  • Vrij vanaf: Bij de akte
  • Etudes Notariales associées
  • Contactpersoon: Alessia GUIDOLIN
  • Tel: (085) 25.00.55
  • Email: info@lesnotaires.be
  • Bezoekgegevens
  • Veuillez contacter l'étude au 085/25.00.55

Garage

17+ Kapelstraat, 8500 Kortrijk

Doe een bod van
38.500 €

Presentatiebeeld van het pand n° 291461
Uit de hand
  • Referentie: 291461
  • Een vlot bereikbare garagebox op Overleie. Deze garage is gelegen in een garagecomplex en biedt een veilige parkeerplek voor je wagen, maar ook extra opslagruimte voor wie dat nodig heeft. Neem snel contact op voor meer info of een bezichtiging! Gebouwenscore: A Perceelscore: A Asbestveilig 20251218-000.132.000 G score: A P score: A
  • Kadastraal inkomen: 74 €
  • Vrij vanaf: Bij de akte
  • Notaris Lien GALLE
  • Contactpersoon: Lien GALLE
  • Tel: (056) 22.11.57
  • Email: lien.galle@belnot.be

Huizen

37 Brugstraat, 3370 Vertrijk

Doe een bod van
220.000 €

Presentatiebeeld van het pand n° 291465
Online openbare verkoop
  • Referentie: 291465
  • Deze woning omvat op de gelijkvloerse verdieping: inkom rechtstreeks in een deel van de woonkamer. Hier bevind zich ook een aparte WC met handenwasser en trap naar de 1ste verdieping. Lichtrijke leefruimte met grote ramen en zicht op de tuin. Een ruime open keuken met gasfornuis en oven en toegang naar grote berging. De berging is voorzien van een aansluiting voor wasmachine, waterontharder van “Eco Water”, meters van water, gas en elektriciteit (digitale meter). Op de eerste verdieping hebben we een zeer ruime nachthal in laminaatparket die toegang geeft tot 3 slaapkamers en badkamer. De slaapkamers zijn allemaal voorzien van laminaatparket. 2 grote kamers kijken uit op de tuin. De 3de grote kamer ligt aan de voorkant van de woning. Badkamer voorzien van ligbad (combinatie douche), enkele wastafel en WC. Er is een zolderluik met schuiftrap naar de zolderruimte over de volledige lengte van de woning. De tuin is volledig omheind door een hoge haag en beschikt over ruim tuinhuis met overkapping. Deze woning en zijn omgeving stralen rust uit omringd door groen, nabij centra en grote invalswegen. G score: A P score: A
  • Aantal kamers: 3
  • Aantal badkamers: 1
  • Lopende verkoop
  • Startdatum: 02/02/2026 14:00
  • Einddatum: 10/02/2026 14:00
  • Geen bod: 1000 €
  • Kadastraal inkomen: 1110 €
  • Vrij vanaf: Bij de akte
  • Diels, Van Eylen & Grauls
  • Contactpersoon: Kantoor Not. Diels, Van Eylen & Grauls
  • Tel: (016) 72.07.20
  • Email: info@notarisboutersem.be
  • Bezoekgegevens
  • Elke zaterdag zonder afspraak van 14u-16u (vanaf zaterdag 17 januari 2026 tot en met zaterdag 7 februari 2026)

Huizen

27 Rue des Champs, 7500 TOURNAI

Doe een bod van
190.000 €

Presentatiebeeld van het pand n° 291300
Uit de hand
  • Referentie: 291300
  • Bonne maison d’habitation à rénover (belle situation) sise à Tournai comprenant : Au rez-de-chaussée : un hall d’entrée avec wc et lave-mains, un salon-salle-à-manger, une cuisine ancienne avec accès terrasse couverte, Au sous-sol : une cage d’escalier, une cave centrale avec compteurs, une buanderie, un garage (long) avec chaudière et accès extérieur arrière, une pièce couverte avec grille vers extérieur. À l’étage 1 : un hall de nuit avec un petit placard et trappe vers le grenier, une salle de douche (douche, lavabo, bidet), une chambre arrière avec lavabo, une chambre avant (moyenne), et une petite chambre (avec armoire). À l’étage 2 : un grand grenier aménageable (avec bonne charpente et sous-toiture), accès au grenier via trappe, À l’extérieur : une terrasse carrelée, couverte avec tôle en plastique, un jardin avec de beaux arbustes.
  • Aantal kamers: 3
  • Oppervlakte van het woongedeelte: 114m2
  • Vrij vanaf: Bij de akte
  • Pierre-Olivier LOIX & Valentin DELWART, notaires associés
  • Contactpersoon: Bettina CIAPPINA
  • Tel: (069) 22.52.15
  • Email: bettina.ciappina.351226@belnot.be
  • Bezoekgegevens
  • Prendre rendez-vous en l'étude des Notaires Pierre-Olivier LOIX et Valentin DELWART au 069/22.52.15

Huizen

45 Rue Américaine, 6900 Marche-en-Famenne

Doe een bod van
90.000 €

Presentatiebeeld van het pand n° 291467
Uit de hand
  • Referentie: 291467
  • Au coeur de la ville de Marche-en-Famenne, à proximité immédiate des écoles et commerces, jolie petite maison 2 façades nécessitant quelques travaux de rénovation. composition au sous-sol: chaufferie avec chaudière et citerne à mazout, wc, lavabo, baignoire au rez-de-chaussée : une pièce en entrant, une pièce en arrière (cuisine non meublée) ; à l'étage: 2 chambres et grenier aménageable châssis double vitrage en PVC
  • Aantal kamers: 2
  • Aantal badkamers: 1
  • Kadastraal inkomen: 312 €
  • Vrij vanaf: Bij de akte
  • Michel JACQUET, Notaire
  • Contactpersoon: Angelique DOCQUIER
  • Tel: (084) 31.20.48
  • Email: angelique.docquier.133140@belnot.be
  • Bezoekgegevens
  • Prendre rendez-vous en l'étude

Huizen

11 Heikant, 2370 Arendonk

Doe een bod van
350.000 €

Presentatiebeeld van het pand n° 291478
Uit de hand
  • Referentie: 291478
  • Rustig gelegen. Indeling: - gelijkvloers: inkom, woon- en eetkamer, geïnstalleerde keuken, slaapkamer 1, badkamer met lavabo, ligbad en toilet, berging, wasplaats/cv ruimte, slaapkamer 2; - buiten: garage en tuinberging. Grote tuin. G score: A P score: B
  • Aantal kamers: 2
  • Aantal badkamers: 1
  • Kadastraal inkomen: 832 €
  • Vrij vanaf: Onmiddellijk
  • Notaris Thomas Coeckelbergs
  • Contactpersoon: Nathasia SLEGERS
  • Tel: (014) 68.94.60
  • Email: nathasia@notariscoeckelbergs.be

Huizen

59 Hogerlucht, 9600 Ronse

Doe een bod van
179.000 €

Presentatiebeeld van het pand n° 291468
Uit de hand
  • Referentie: 291468
  • Te renoveren alleenstaande woning te koop met grandioos zicht, op een rustige ligging aan de rand van de stad. Indeling: Inkomhall met marmeren trap, ruime lichtgevende living, keuken, berging, veranda, wc, inpandige garage, 2 zeer ruime slaapkamers en heel grote zolder waar gemakkelijk 2 bijkomende slaapkamers kunnen worden toegevoegd, oprit en tuin met mooi zicht op muziekbos. G score: A P score: A
  • Aantal kamers: 2
  • Aantal badkamers: 1
  • Kadastraal inkomen: 713 €
  • Vrij vanaf: Bij de akte
  • NOTARIS, FLAMANT Philippe, NOTAIRE
  • Contactpersoon: Catharina VANDENHOLE
  • Tel: (055) 46.00.00
  • Email: catharina.vandenhole.127142@belnot.be

Huizen

8 Het gat van den Dijk, 9150 Rupelmonde

Doe een bod van
425.000 €

Presentatiebeeld van het pand n° 291147
Uit de hand
  • Referentie: 291147
  • Te renoveren open bebouwing nabij de Polders Van Kruibeke. U betreedt de woning via de trap naar de voordeur, die uitkomt in een inkomhal op de eerste verdieping. Hier vindt u een gastentoilet en toegang tot de verschillende leefruimtes. De keuken geeft rechtstreeks toegang tot de ruime woonkamer, die uitzicht biedt op de groene tuin. Op de eerste verdieping bevinden zich alsnog drie slaapkamers, een berging en een badkamer. De benedenverdieping biedt eveneens drie slaapkamers, met toegang tot de kelder en de garage, die aansluit op een handige carport. De ruime tuin is volledig omgeven door groen en biedt tal van mogelijkheden voor tuinliefhebbers. De ligging van de woning is een bijkomende troef: rustig en toch vlot bereikbaar, met de Polders van Kruibeke binnen handbereik. G score: A P score: D
  • Aantal kamers: 6
  • Oppervlakte van het woongedeelte: 152m2
  • Kadastraal inkomen: 1115 €
  • Vrij vanaf: Te bepalen
  • AMPE & DE VUSSER GEASSOCIEERDE NOTARISSEN
  • Contactpersoon: Gitte DIERICK
  • Tel: (03) 774.10.37
  • Email: gitte.dierick@a-dv.be

Huizen

55 Rue Paul Pastur, 6224 Wanfercée-Baulet

Doe een bod van
225.000 €

Presentatiebeeld van het pand n° 291482
Uit de hand
  • Referentie: 291482
  • Charmante et spacieuse maison possédant de beaux volumes, avec un beau jardin et deux garages située proche de toutes commodités d’une superficie totale de 843 m² (RC 827). Composition : RDC : salle à manger, salon, pièce arrière donnant sur le jardin, cuisine, salle de douche, Etages : 5 chambres + salle de douche Grenier. Deux feux ouverts, CCM, châssis DV bois, raccordement à l’égout OK. Beau Jardin, 2 garages, pigeonnier. Faire offre à partir de 225.000 euros. Pour les visites appeler l’étude au 071/82.30.30 ou mail à olivier.vandenbroucke.notaire@skynet.be.
  • Aantal kamers: 5
  • Kadastraal inkomen: 827 €
  • Vrij vanaf: Te bepalen
  • Olivier VANDENBROUCKE, notaire
  • Contactpersoon: Barbara PAOLI
  • Tel: (071) 82.30.30
  • Email: barbara.paoli.133256@belnot.be
  • Bezoekgegevens
  • Pour les visites appeler l’étude au 071/82.30.30 ou mail à olivier.vandenbroucke.notaire@skynet.be.

Appartementen

20 Nachtegaallaan, 2630 Aartselaar

Doe een bod van
205.000 €

Presentatiebeeld van het pand n° 291483
Online openbare verkoop
  • Referentie: 291483
  • Ontdek dit aangename en goed uitgerust appartement in het hart van het huiselijke Aartselaar: Gelegen in de rustige en goed gelegen Vogelwijk, biedt dit appartement alles voor comfortabel wonen: 2 slaapkamers, badkamer, gezellige leefruimte, Keuken & technische ruimte, alsook een autostaanplaats én kelder. G score: A P score: A
  • Aantal kamers: 2
  • Aantal badkamers: 1
  • Lopende verkoop
  • Startdatum: 09/02/2026 10:00
  • Einddatum: 17/02/2026 10:00
  • Geen bod: 1000 €
  • Kadastraal inkomen: 768 €
  • Vrij vanaf: Onmiddellijk
  • Peter DEHANDSCHUTTER & Annelies PODEVYN, Geassocieerde Notarissen
  • Contactpersoon: Kantoor Not. Dehandschutter & Podevyn
  • Tel: (03) 870.85.55
  • Email: info@notarissenaartselaar.be
  • Bezoekgegevens
  • elke woensdag van 16u-18u en elke zaterdag van 10u-12u vanaf 10 januari 2026 t.e.m. 14 februari 2026. De notaris houdt zich het recht voor om de bezoekmomenten te wijzigen.

Garage

65/65 Dascottelei, 2100 Deurne

Doe een bod van
15.000 €

Presentatiebeeld van het pand n° 291492
Online openbare verkoop
  • Referentie: 291492
  • Genummerd “2” en “6”. In een appartementsgebouw.
  • Lopende verkoop
  • Startdatum: 09/02/2026 14:00
  • Einddatum: 17/02/2026 14:00
  • Geen bod: 1000 €
  • Vrij vanaf: Bij de akte
  • Notariaat Boeykens-Vreven
  • Contactpersoon: Elissa SUREDA-CASTELLO
  • Tel: (03) 203.57.70
  • Email: elissa.sureda@boeykens-vreven.be
  • Bezoekgegevens
  • op maandag van 17u-18u vanaf maandag 12 januari 2026 t.e.m. 16 februari 2026.

Huizen

31 Rue Neuve, 6810 Jamoigne

Doe een bod van
180.000 €

Presentatiebeeld van het pand n° 291457
Online openbare verkoop
  • Referentie: 291457
  • Situé au cœur de Jamoigne, cet espace vous offre un potentiel illimité pour un projet sur-mesure : bureau professionnel, crèche, cabinet médical, espace de vente, ou même centre de services. Laissez libre cours à votre imagination ! Le bien comprend : • Un hall d'entrée spacieux, parfait pour accueillir vos clients et donner le ton de votre projet • 6 pièces modulables, à agencer selon vos besoins – bureaux, salles de réunion, chambres, ou encore zones de petit commerce de proximité • Cuisine pour répondre aux besoins d’un espace de travail ou de réception • Sanitaires pour plus de confort • Grenier à aménager selon vos idées • Cave sur toute la surface, idéale pour le stockage ou une extension de votre activité Pourquoi ce bien est fait pour vous ? • Structure béton solide, idéale pour toute transformation ou aménagement • Bel emplacement dans la rue Neuve à Jamoigne, avec un fort potentiel de visibilité et de trafic • Parfait pour une profession libérale, une crèche, un petit commerce, friterie, ou tout autre projet commercial ou de services
  • Aantal kamers: 6
  • Lopende verkoop
  • Startdatum: 02/02/2026 14:00
  • Einddatum: 10/02/2026 14:00
  • Geen bod: 1000 €
  • Kadastraal inkomen: 4603 €
  • Vrij vanaf: Bij de akte
  • Christophe VAZQUEZ & Marie GERARD - Notaires associés
  • Contactpersoon: Belinda HEINEN
  • Tel: (061) 31.14.77
  • Email: belinda.heinen.126615@belnot.be

Huizen

1 Place Dom Marie Albert, 6823 Villers-devant-Orval

Doe een bod van
200.000 €

Presentatiebeeld van het pand n° 291491
Uit de hand
  • Referentie: 291491
  • À deux pas de Florenville et de la célèbre abbaye d’Orval, découvrez cette spacieuse maison en pierre, idéale pour une famille nombreuse à la recherche d’un logement accessible et plein de charme. - De l’espace pour vivre, grandir et partager - Cuisine équipée - Salle à manger conviviale & vaste salon - 5 chambres - 2 salles de bain - Grenier aménageable - Cave sous toute la maison - Petite terrasse suspendue & espace communal à l’arrière - Confort assuré : - Chauffage central - Toiture isolée - Double vitrage - Électricité conforme Un vrai plus : tous les critères pour un crédit social sont remplis. Environnement calme, proche des commodités et de la nature.
  • Aantal kamers: 5
  • Kadastraal inkomen: 711 €
  • Vrij vanaf: Bij de akte
  • Christophe VAZQUEZ & Marie GERARD - Notaires associés
  • Contactpersoon: Belinda HEINEN
  • Tel: (061) 31.14.77
  • Email: belinda.heinen.126615@belnot.be

Huizen

347 Rue de Gozée, 6110 Montigny-le-Tilleul

Doe een bod van
175.000 €

Presentatiebeeld van het pand n° 288738
Uit de hand
  • Referentie: 288738
  • Charmante villa 4 façades de 109 m² Elle se compose de 5 pièces , dont une salle de bain et une cuisine . À l’extérieur, vous trouverez un petit jardinet à aménager selon vos envies. La villa dispose également d’un espace atelier ainsi que d’un garage. Grand grenier aménageable Proche des grands axes, commerces, et transports en commun Cette villa offre de belles possibilités. Ne tardez pas à la visiter !
  • Aantal kamers: 1
  • Oppervlakte van het woongedeelte: 109m2
  • Kadastraal inkomen: 788 €
  • Vrij vanaf: Bij de akte
  • Christophe HOSPEL - NOTAIRE
  • Contactpersoon: Christophe HOSPEL
  • Tel: (071) 29.75.50
  • Email: immo@hospel-notaire.be
  • Bezoekgegevens
  • Contacter l'étude du notaire HOSPEL au 071/29.75.50

Huizen

14 Balkweg, 1981 Hofstade

Doe een bod van
200.000 €

Presentatiebeeld van het pand n° 291308
Online openbare verkoop
  • Referentie: 291308
  • GEMEENTE ZEMST, 2e afdeling Rustig gelegen en gezellige halfopen woning met tuin. Kadastraal gekend: sectie A, nr 0087G6P0000; perceelopp.: 4 are 5 ca; KI (niet-geïndexeerd) 499 €. Rustig gelegen nabij de dorpskern van Hofstade op fietsafstand v/h station van Mechelen. De woning werd gedeeltelijk gerenoveerd met een nieuwe aanbouw in 2018 en heeft een lang uitgerekte Z-gerichte tuin. De uitweg naast het huis is gedeeld met het aanpalend perceel en moet altijd vrij blijven. Indeling: 1) Gelijkvloers: inkomhal, trap naar verdieping, leefruimte met open keuken, afzonderlijke wc, badkamer (met wc, ligbad en inloopdouche), tuin. 2) 1e verdieping: 2 slaapkamers 3) Zolder 4) Kleine kelder Algemene informatie: CV met condenserende ketel - Stedenbouw: Wg & Ag - Omgevingsvergunning afgeleverd (voor verbouwen en/of uitbreiden op 30/4/2018) - Voorkooprecht Vlaamse Codex Wonen niet van toepassing - Blanco bodemattest - EPC score C - EPC 251 kWh/m²/jaar - certificaatnr 20251007-0003015032-RES-2. Niet-Asbestveilig (zie asbestinventarisattest). AREI: niet conform. P-score D / G-score A BEZOEK: na tel. afspr. met notariskantoor: 015/61 15 26 - elke woensdag van 14u-16u en elke zaterdag van 10u-12u vanaf woensdag 14/1 tem zaterdag 7/2. Instelpremie: De eerste bieder die een bedrag gelijk of hoger dan de instelprijs biedt, krijgt een premie van 1 %, berekend op zijn eerste bod, op voorwaarde dat het goed definitief aan hem wordt toegewezen en mits hij aan alle verkoopsvoorwaarden voldoet. G score: A P score: D
  • Aantal kamers: 2
  • Aantal badkamers: 1
  • Lopende verkoop
  • Startdatum: 02/02/2026 14:00
  • Einddatum: 10/02/2026 14:00
  • Geen bod: 1000 €
  • Kadastraal inkomen: 499 €
  • Vrij vanaf: Bij de akte
  • Kathleen Van Steen, notarisvennootschap
  • Contactpersoon: Kantoor Not. Kathleen Van Steen
  • Tel: (015) 61.15.26
  • Email: info@notariaatzemst.be
  • Bezoekgegevens
  • na tel. afspr. met notariskantoor: 015/61 15 26 - elke woensdag van 14u-16u en elke zaterdag van 10u-12u vanaf woensdag 14/1 tem zaterdag 7/2.

Huizen

3 Rue de Mortagne, 7910 Forest

Doe een bod van
220.000 €

Presentatiebeeld van het pand n° 290377
Uit de hand
  • Referentie: 290377
  • Bonne maison d'habitation 4 façades avec jardin. Comprenant: Au rez-de-chaussée: un salon, une salle à manger, une cuisine, une salle de bain, une chambre, une véranda, une buanderie un jardin et un grand garage détaché de la maison. À l’étage: un grenier aménageable. Aspects techniques : double vitrage en bois, chauffage central au mazout. Renseignements, visites et offres : étude du Notaire Donatienne d'Harveng au 068/33.84.14.
  • Aantal kamers: 1
  • Aantal badkamers: 1
  • Kadastraal inkomen: 411 €
  • Vrij vanaf: Bij de akte
  • Donatienne d´HARVENG, Notaire
  • Contactpersoon: Laeticia CAVELIER
  • Tel: (068) 33.84.14
  • Email: laeticia.cavelier.125450@belnot.be
  • Bezoekgegevens
  • Sur rendez-vous avec l'étude du Notaire Donatienne d'Harveng au 068/33.84.14

Appartementen

3 Mombersstraat, 3700 Tongeren

Doe een bod van
156.000 €

Presentatiebeeld van het pand n° 291089
Uit de hand
  • Referentie: 291089
  • Dit appartement is gelegen in het centrum van Tongeren op een boogscheut van de grote markt en bevindt zich op de tweede verdieping in een gebouw met vier verdiepingen. Het appartement heeft een totale bewoonbare oppervlakte van 80 m². Door de gunstige ligging zijn het openbaar vervoer, het historische stadscentrum, de scholen, de grote markt, horeca en talrijke handelszaken op wandelafstand bereikbaar en ook de autosnelweg E313 ligt slechts op 5 kilometer afstand. U kan het appartement bereiken via de gemeenschappelijke inkomhal met de lift of de trap. Indeling: Inkomhal met gastentoilet, ruime woon- en eetkamer van 34 m² met grote raampartijen en een aansluitende ingerichte ruime keuken. Er zijn 2 slaapkamers van respectievelijk 9 en 15 m². Een badkamer ingericht met een ligbad met geïntegreerde douche, een wasmeubel met lavabo en plaats voor een wasmachine. Vooraan het gebouw in de woon- en eetkamer is er een klein sta-terras en aan de achterkant van het gebouw aansluitend op de keuken is er een ruimer zonneterras van 4 m². In de kelderverdieping is er een ruime kelder van 8 m² aanwezig en een parkeergarage met een afgesloten garagebox bereikbaar via de inrit op de Momberstraat. Centrale verwarming met radiatoren op een Bosch gascondensatieketel, dubbele beglazing G score: A P score: A
  • Aantal kamers: 2
  • Oppervlakte van het woongedeelte: 80m2
  • Aantal badkamers: 1
  • Kadastraal inkomen: 1043 €
  • Vrij vanaf: Bij de akte
  • NOTARIX
  • Contactpersoon: David LAENEN
  • Tel: (012) 23.11.37
  • Email: david.laenen@notarispragt.be
  • Bezoekgegevens
  • Na telefonisch contact met notariskantoor Notarix BV geassocieerde notarissen Neesen, Pragt & Monard op het nummer 012/23.11.37

Huizen

90 Dries, 9112 Sinaai-Waas

Doe een bod van
140.000 €

Presentatiebeeld van het pand n° 291045
Online openbare verkoop
  • Referentie: 291045
  • Mooi centraal gelegen woning in dorpskom Sinaai: -gelijkvloers: inkom, wc met lavabo, ruime keuken, ruime living, eetkamer, badkamer; -1e verdieping: nachthall, 2 slaapkamers; -2e verdieping (vaste trap): hal, 2 kamers. G score: A P score: A
  • Aantal kamers: 2
  • Aantal badkamers: 1
  • Lopende verkoop
  • Startdatum: 03/02/2026 10:00
  • Einddatum: 11/02/2026 10:00
  • Geen bod: 1000 €
  • Kadastraal inkomen: 483 €
  • Vrij vanaf: Bij de akte
  • VAN der VEKEN, Raf
  • Contactpersoon: Lies TEMMERMAN
  • Tel: (03) 772.37.71
  • Email: lies.temmerman@notariaatbelsele.be
  • Bezoekgegevens
  • Elke woensdag van 14u-15u en elke zaterdag van 11u-12u, en dit vanaf zaterdag 10 januari tot en met zaterdag 7 februari 2026

Huizen

86-88-90 Dries, 9112 Sinaai-Waas

Doe een bod van
425.000 €

Presentatiebeeld van het pand n° 291046
Online openbare verkoop
  • Referentie: 291046
  • 3 mooi aanpalende centraal gelegen woningen in de dorpskom van Sinaai (loten 1, 2 en 3 samen). G score: A P score: A
  • Aantal kamers: 7
  • Aantal badkamers: 3
  • Lopende verkoop
  • Startdatum: 03/02/2026 15:00
  • Einddatum: 11/02/2026 15:00
  • Geen bod: 1000 €
  • Kadastraal inkomen: 1250 €
  • Vrij vanaf: Bij de akte
  • VAN der VEKEN, Raf
  • Contactpersoon: Lies TEMMERMAN
  • Tel: (03) 772.37.71
  • Email: lies.temmerman@notariaatbelsele.be
  • Bezoekgegevens
  • Elke woensdag van 14u-15u en elke zaterdag van 11u-12u, en dit vanaf zaterdag 10 januari tot en met zaterdag 7 februari 2026

Appartementen

12 Leiestraat, 8520 Kuurne

Doe een bod van
218.000 €

Presentatiebeeld van het pand n° 291412
Online openbare verkoop
  • Referentie: 291412
  • Mooie penthouse, gelegen op de 3de verdieping, van de kleinschalige residentie Ter Leie, Leiestraat 12 te Kuurne. De penthouse beschikt over een mooie lichtrijke leefruimte met open keuken en een groot terras van 22m². De keuken is volledig geïnstalleerd, net als de badkamer. Er zijn 2 volwaardige slaapkamers, een apart toilet, een berging en een grote bergzolder. Er is vanuit de lift rechtstreekse toegang tot de penthouse. Voorzien van zonnepanelen en vloerverwarming. Volledig geschilderd. Inclusief een afgesloten berging op het gelijkvloers, fietsenberging en vuilnisberging. Gelegen: woongebied. EPC: 83kWh/m² (cert.: 34023-G-OMV_2020102622/EP14854/A001/D01/SD006). Vg, Gmo, Gvkr, Vv. Niet gelegen in Watergevoelig openruimtegebied. G score: C P score: C
  • Aantal kamers: 2
  • Aantal badkamers: 1
  • Lopende verkoop
  • Startdatum: 02/02/2026 14:00
  • Einddatum: 10/02/2026 14:00
  • Geen bod: 1000 €
  • Vrij vanaf: Onmiddellijk
  • Ghesquière, Breyne, De Brabandere & Degryse, notariskantoor
  • Contactpersoon: Sofie LEMAHIEU
  • Tel: 057224582
  • Email: sofie@nkterwaarde.be
  • Bezoekgegevens
  • Via de heer Jochen Stroobant op het nummer 0471/18.13.21

Huizen

87 Romain Rollandlaan, 1070 Anderlecht

Doe een bod van
375.000 €

Presentatiebeeld van het pand n° 291330
Online openbare verkoop
  • Referentie: 291330
  • Een mooi en groot eengezinsherenhuis in Art Deco-stijl Gebouwd door de beroemde architect Pierre Hollemans, te restaureren, te Anderlecht, Romain Rollandlaan 87 (vijverwijk), opp. 1a 75ca. Het wordt gepresenteerd als een atypisch en uitzonderlijk pand voor het naoorlogse patrimonium in Brussel. Uitzonderlijk goed gelegen, net tegenover een kleuterschool en een lagere school, op 100 m van een grootwarenhuis en parken, in de buurt van het openbaar vervoer (trams, bussen, metro), ziekenhuizen, sportcentra en de ring. Groene en rustige wijk. Omvat: 224 m² over 2 verdiepingen, met een oudersuite (50 m²), 2 grote kamers van 16 m² plus een kleinere, mooie woon- en eetkamer van 32 m², aparte keuken, 2 badkamers, veranda van 12 m² met een grote tuin, voortuin en 2 parkeerplaatsen (13 m² en 17 m²), kelders. Vrij van gebruik. Woongebied met residentieel karakter. EPC : G/641. Contr. elektr. niet conform. Het goed kan door de kopers worden bezocht op afspraak, te maken via e-mail op het volgende adres: olivier11280@gmail.com. Begin biedingen : donderdag 29.01.26 om 13u - Einde biedingen : vrijdag 06.02.26 om 13u - Instelprijs : 375.000€ - Bodverhoging : 1.000€ - Ondertekening akte : maandag 09.02.26 om 16u - www.biddit.be - Ref. pand : 291330.
  • Aantal kamers: 3
  • Oppervlakte van het woongedeelte: 224m2
  • Aantal badkamers: 2
  • Lopende verkoop
  • Startdatum: 29/01/2026 13:00
  • Einddatum: 06/02/2026 13:00
  • Geen bod: 1000 €
  • Vrij vanaf: Bij de akte
  • Heindryckx Alexis, Notaire
  • Contactpersoon: Alexis HEINDRYCKX
  • Tel: (02) 522.09.37
  • Email: notaire@not-heindryckx.be
  • Bezoekgegevens
  • Het goed kan door de kopers worden bezocht op afspraak, te maken via e-mail op het volgende adres: olivier11280@gmail.com.

Huizen

19 Sprokkelweg, 8520 Kuurne

Doe een bod van
268.000 €

Presentatiebeeld van het pand n° 291413
Uit de hand
  • Referentie: 291413
  • degelijke woning ruime kelder, eetkamer, keuken en aansluitend berging ruime kamers op de verdieping en grote zolder garage met oprit voor 2 wagens G score: A P score: A
  • Aantal kamers: 3
  • Kadastraal inkomen: 674 €
  • Vrij vanaf: Bij de akte
  • NOTARIAAT DEKIERE
  • Contactpersoon: Michelle DE WITTE
  • Tel: (056) 66.60.25
  • Email: michelle.dewitte.102046@belnot.be

Gronden

Vuurkruiserslaan, 8870 Izegem

Doe een bod van
598.000 €

Presentatiebeeld van het pand n° 291260
Uit de hand
  • Referentie: 291260
  • Te koop BOUWGROND in woongebied Vuurkruiserslaan 8870 Izegem met een oppervlakte van 1.761 m². P score: D
  • Kadastraal inkomen: 19 €
  • Vrij vanaf: Bij de akte
  • LAGA & LAGA NOTARISSEN
  • Contactpersoon: Soraya VERDUYN
  • Tel: (051) 30.33.25
  • Email: soraya.verduyn.128546@belnot.be

Appartementen

136 Adolphe Willemynsstraat, 1070 Anderlecht

Doe een bod van
150.000 €

Presentatiebeeld van het pand n° 291374
Online openbare verkoop
  • Referentie: 291374
  • In een gebouw met tuin omvattende 2 appartementen, Adolphe Willemynsstraat 136 : Duplex-Appartement (lot 1) Omvattende : in kelderverd. : 2 slaapkamers, nachthal met priv. trap naar het 1e verd., douchecel met wc – gelijkvloers (bel-étage) : living, eetkamer, keuken, badk., wc. N.g.k.i. 726€. EPC : G/427 (kelderverd.) en E/272 (gelijkvl.) – Contr. elektr. niet conform. In gebruik door eigenaar. Woongebied. Bezoekdagen : zaterdag 31/1, 7/2, 14/2 en 21/2/26 van 11u30-13u30. Begin biedingen : donderdag 19.02.26 om 12u - Einde biedingen : vrijdag 27.02.26 om 12u - Instelprijs : 150.000€ - Bodverhoging : 1.000€ - Ondertekening akte : donderdag 05.03.26 om 11u - www.biddit.be - Ref. pand : 291374.
  • Aantal kamers: 2
  • Aantal badkamers: 1
  • Lopende verkoop
  • Startdatum: 19/02/2026 12:00
  • Einddatum: 27/02/2026 12:00
  • Geen bod: 1000 €
  • Kadastraal inkomen: 726 €
  • Vrij vanaf: Te bepalen
  • VRONINKS, RICKER & WEYTS & SACRÉ - notaires
  • Contactpersoon: Laurence DELAVIGNETTE
  • Tel: 02/513.75.74.
  • Email: laurence.delavignette@notassoc.be
  • Bezoekgegevens
  • zaterdag 31/1, 7/2, 14/2 en 21/2/26 van 11u30-13u30.

Gronden

Rue Loneux, 4470 Saint-Georges-sur-Meuse

Doe een bod van
50.000 €

Presentatiebeeld van het pand n° 291172
Uit de hand
  • Referentie: 291172
  • Terrain d'une superficie de 911,08 m² Le terrain se situe en zone C’ du plan d’exposition au bruit (PEB) et en zone B du plan de développement à long terme (PDLT) de l'aéroport de Liège-Bierset. Une fiche descriptive reprenant les principales caractéristiques du bien vendu peut être obtenue sur simple demande à l'étude. Visite virtuelle : https://www.klapty.com/tour/Xri0qOo2Sy La date limite pour les dépôt des offres est le 3 février 2026. POUR LES VISITES, MERCI DE CONTACTER L'ETUDE AU 04/239.75.15
  • Kadastraal inkomen: 12 €
  • Vrij vanaf: Bij de akte
  • Audrey PETERS - société notariale
  • Contactpersoon: Alys DISPA
  • Tel: (04) 239.75.15
  • Email: alys.dispa.358254@belnot.be
  • Bezoekgegevens
  • POUR LES VISITES, MERCI DE CONTACTER L'ETUDE AU 04/239.75.15

Huizen

8 Rue du Bois, 7830 Silly

Doe een bod van
72.900 €

Presentatiebeeld van het pand n° 291328
Online openbare verkoop
  • Referentie: 291328
  • ONLINE VERKOOP Silly – Bassily woonhuis in ruïne met bijgebouwen en boomgaard rue du Bois, 8, opp. 32a 94ca. Omvattende: een hoofdgebouw en diverse bijgebouwen. N.g.k.i. 292,00 €. Gebruik: Vrij van gebruik. Stedenb.: landelijk woongebied en landbouwgebied. EPC : nee - elektr. niet conform. Eventuele sanering ten laste van de aannemer. Bezoek: op verzoek, op eigen risico van elke liefhebber. Begin biedingen : maandag 19.01.2026 om 13u – Einde biedingen : dinsdag 27.01.2026 om 13u - Instelprijs: 72.900,00 € - Bodverhoging. : 1.000€ - Ondertekening akte : maandag 02.02.2026 om 17u - www.biddit.be - Ref. pand : 5131. Geass. Not. J. MARTROYE de JOLY • 02/536.00.30.
  • Aantal kamers: 2
  • Lopende verkoop
  • Startdatum: 19/01/2026 13:00
  • Einddatum: 27/01/2026 13:00
  • Geen bod: 1000 €
  • Kadastraal inkomen: 292 €
  • Vrij vanaf: Bij de akte
  • Jean MARTROYE de JOLY & Quentin DE RUYDTS, Notaires associés
  • Contactpersoon: Jennifer HALL
  • Tel: (02) 536.00.30
  • Email: jh@not1190.be
  • Bezoekgegevens
  • Op verzoek, op eigen risico van elke liefhebber

Huizen

29 et 31 Avenue Emile Theys, 1410 Waterloo

Doe een bod van
850.000 €

Presentatiebeeld van het pand n° 291424
Uit de hand
  • Referentie: 291424
  • Idéalement située entre le centre commercial et la gare de Waterloo, sur un terrain de 17 ares 02, cette maison est actuellement scindée en deux logements distincts. Elle se compose comme suit: Numéro 29 : Au rez-de-chaussée, hall d'entrée ouvert sur salon, suivi de la salle-à-manger et de la cuisine équipée. WC séparé, 1 sdd. Terrasse couverte donnant sur le jardin orienté SO avec cabanon de rangement. A l'étage, petit hall de nuit desservant 3 chambres. Grenier de rangement sous toiture accessible via une chambre. Vaste parking à l'avant. Caves (buanderie, chaudière au mazout et cave à vin). Châssis DV + volets. Citerne de 5000L enterrée. Numéro 31 : Au rez-de-chaussée, hall d'entrée avec placard, salon, salle-à-manger, cuisine équipée, WC séparé, buanderie. A l'étage, hall de nuit desservant 3 chambres et une salle de bain (2 éviers, bain, douche et wc). terrasse et jardin SO. Cave. Pas de grenier. Garage 1 voiture + vaste parking à l'avant. Eau et chauffage communs au deux maisons. Maison atypique avec potentiel intéressant à visiter sur rendez-vous avec l'étude.
  • Aantal kamers: 6
  • Oppervlakte van het woongedeelte: 280m2
  • Aantal badkamers: 1
  • Kadastraal inkomen: 2908 €
  • Vrij vanaf: Bij de akte
  • WATERKEYN-EDRICH, notaires associés
  • Contactpersoon: Gaëlle MASSON
  • Tel: (02) 354.03.00
  • Email: gm@notaire-olivierwaterkeyn.be
  • Bezoekgegevens
  • Visites sur rendez-vous avec l'Etude - Mme Masson 02/354 03 00

Garage

11+ Gallo-Romeinenlaan, 2550 Kontich

Doe een bod van
17.000 €

Presentatiebeeld van het pand n° 291428
Online openbare verkoop
  • Referentie: 291428
  • Nummer 6. Gelegen in woongebied, vergunning uitgereikt en asbestveilig. Geen dagvaarding, herstelvordering of bestuurlijke maatregel. Verkavelingsvergunning aanwezig, geen voorkooprecht. Geen risicozone voor overstromingen (P-score A, G-score A). Perfect voor opslag of als investering! Vrij te bezoeken. G score: A P score: A
  • Lopende verkoop
  • Startdatum: 19/01/2026 15:00
  • Einddatum: 27/01/2026 15:00
  • Geen bod: 1000 €
  • Vrij vanaf: Bij de akte
  • Notaris ISABEL CLAESSENS
  • Contactpersoon: Céline MICHIELSENS
  • Tel: (03) 303.44.40
  • Email: celine@notarisclaessens.be
  • Bezoekgegevens
  • garage nr 6 is vrij te bez. Op verzoek kan de garage worden geopend. Gelieve hiervoor contact op te nemen met het kantoor.

Gronden

Hullestraat, 9890 Vurste

Doe een bod van
29.000 €

Presentatiebeeld van het pand n° 291427
Online openbare verkoop
  • Referentie: 291427
  • Perceel landbouwgrond (2590 m²) en weiland (4080 m²), ter plaatse gekend als 'Lompkensbulck' en 'Langemeer'. Vrij van pacht sinds 25/12/2025. P-score: D (bouwland) en B (weiland). P score: D
  • Lopende verkoop
  • Startdatum: 23/02/2026 10:00
  • Einddatum: 03/03/2026 10:00
  • Geen bod: 1000 €
  • Vrij op: 20/04/2026
  • Hulsbosch, Rijckbosch & Hulsbosch, geassocieerde notarissen
  • Contactpersoon: Sofie TACK
  • Tel: (09) 233.33.43
  • Email: sofie.tack@notariaatdepinte.be
  • Bezoekgegevens
  • vrij

Appartementen

15 Konijnenberg, 2180 Ekeren

Doe een bod van
180.000 €

Presentatiebeeld van het pand n° 291432
Online openbare verkoop
  • Referentie: 291432
  • Ruim te renoveren appartement. Met kelder, autostaanplaats en terras aan de achterzijde. Klein gebouw, geen lift. Niet verhuurd. Elektriciteit niet conform. Vergunning uitgereikt. Woongebied. Geen voorkooprecht, geen dagvaarding /herstelvordering, geen bestuurlijke maatregel, geen verkavelingsvergunning. Energielabel B. Geen renovatieplicht. Asbestveilig (niet asbestvrij). Geen risicozone voor overstromingen (P-score B, G-score A). Toewijzing 29 januari 2026 om 15u. Opschortende voorwaarde voor het verkrijgen van een financiering uitgesloten. G score: A P score: B
  • Aantal kamers: 2
  • Oppervlakte van het woongedeelte: 94m2
  • Aantal badkamers: 1
  • Lopende verkoop
  • Startdatum: 20/01/2026 15:00
  • Einddatum: 28/01/2026 15:00
  • Geen bod: 1000 €
  • Kadastraal inkomen: 949 €
  • Vrij vanaf: Bij de akte
  • Notaris ISABEL CLAESSENS
  • Contactpersoon: Céline MICHIELSENS
  • Tel: (03) 303.44.40
  • Email: celine@notarisclaessens.be
  • Bezoekgegevens
  • op zaterdag 10/1, 17/1, 24/1 van 10u-12u en op dinsdag 13/1, 20/1, 27/1 van 14u-16u.

Industrie

4605 Meiveldlaan, 3800 Sint-Truiden

Doe een bod van
590.000 €

Presentatiebeeld van het pand n° 291418
Online openbare verkoop
  • Referentie: 291418
  • Bedrijfsunit van ongeveer 840 m², Meiveldlaan 4605 (voorheen Schurhovenveld 1107) te-Sint-Truiden, kad.: wijk D n° 304 A 2 P0011, op gelijkvloers, KI: € 2.969, bouwjaar 2022, geen asbestinventaris vereist, geen EPC vereist, 1.204/10.000sten in mede-eigendom, hoogte ongeveer 6 m, 2 grote elektrische rolpoorten van +/- 4,5x4,5m, 3 lichtkoepels, elektriciteit, water, algemene brandcentrale. G score: A P score: A
  • Lopende verkoop
  • Startdatum: 26/01/2026 14:00
  • Einddatum: 03/02/2026 14:00
  • Geen bod: 1000 €
  • Kadastraal inkomen: 2969 €
  • Vrij vanaf: Bij de akte
  • Notaris Nolens Christophe
  • Contactpersoon: Christophe NOLENS
  • Tel: (011) 68.52.55
  • Email: christophe.nolens@notaris-nolens.be
  • Bezoekgegevens
  • Na telefonische afspraak via telefoonnummer 0495/53.33.26 en dit vanaf 10 januari 2026 tot en met 3 februari 2026

Gronden

Rue Forsvache, 4460 Grâce-Hollogne

Doe een bod van
50.000 €

Presentatiebeeld van het pand n° 279949
Uit de hand
  • Referentie: 279949
  • Nous procédons à la vente de deux terrains situés à Grâce-Hollogne (Hollogne-aux-Pierres). Disposants d’une surface respective de 3 ares 93 centiares (393m²) à un prix de 50.000,00€ pour le LOT1 et 3 ares 26 centiares (326m²) à un prix de 45.000,00€ pour le LOT 2. Ces terrains bénéficient d’une localisation idéale à proximité des grands axes routiers et de toutes commodités. Ces deux terrains avaient fait l’objet d’un permis d’urbanisme en 2016 pour construire 2 maisons jointives, 3 chambres, actuellement périmé.
  • Kadastraal inkomen: 4 €
  • Vrij vanaf: Onmiddellijk
  • Etude Notariale Rosu & Lemaire, Notaires associés
  • Contactpersoon: Lévi ROSU
  • Tel: (04) 239.89.89
  • Email: notaire@rosu.be
  • Bezoekgegevens
  • Pas de visite prévues - Pour information, contacter l'étude au 04/239.89.89

Huizen

54 Schoolstraat, 3800 Sint-Truiden

Doe een bod van
235.000 €

Presentatiebeeld van het pand n° 291370
Uit de hand
  • Referentie: 291370
  • Gelegen op wandelafstand van het centrum van Sint-Truiden. Omvattende: Gelijkvloers: inkomhal, keuken, living met eetruimte, open veranda-koer, stallingen met toilet. 1ste verdieping: overloop, 3 slaapkamers en badkamer met toilet. 2de verdieping: niet-ingerichte zolder. Andere: kelder, garage, tuin. Er is een barst in het pleisterwerk op 1 slaapkamer. Afpaling van het perceel: zie bijgevoegd plan. G score: A P score: A
  • Aantal kamers: 3
  • Aantal badkamers: 1
  • Kadastraal inkomen: 838 €
  • Vrij vanaf: Bij de akte
  • Van Hoof & Versele Geassocieerde Notarissen
  • Contactpersoon: Heidi JOLLING
  • Tel: (011) 56.01.33
  • Email: hj@v2notarissen.be

Gronden

6 Tiendenschuurstraat, 2811 Leest

Doe een bod van
30.000 €

Presentatiebeeld van het pand n° 291237
Online openbare verkoop
  • Referentie: 291237
  • VERKOOP 3 Betreft een perceel landbouwgrond gelegen achter de Tiendenschuurstraat 6, 2811 Leest (Mechelen) en heeft uitweg via buurtweg nummer 31 naar de Tiendenschuurstraat. P score: A
  • Lopende verkoop
  • Startdatum: 02/02/2026 11:00
  • Einddatum: 10/02/2026 11:00
  • Geen bod: 1000 €
  • Vrij vanaf: Bij de akte
  • Notaris Valérie Benfeld
  • Contactpersoon: Kantoor Not. Valérie Benfeld
  • Tel: (015) 41.30.05
  • Email: info@notariaatvb.be
  • Bezoekgegevens
  • elke zaterdag, na tel. afspr. met bevestiging (015/41.30.05)

Huizen

2 Rue du Pachis Wiaux, 6200 Châtelet

Doe een bod van
150.000 €

Presentatiebeeld van het pand n° 291429
Uit de hand
  • Referentie: 291429
  • Maison 4 façades avec garage et jardinet d’une superficie de 1 a et 36 ca, située à Châtelet, rue du Pachis Wiaux, 2 et comprenant : Au sous-sol : caves. Au rez-de-chaussée (+/- 47 m²) : un hall d’entrée (+/- 6 m²) + WC (+/- 1 m²), un salon (+/- 17 m²), une salle à manger (+/- 15,5 m²) et une cuisine (+/- 7,5 m²). Au 1er étage (+/-60m²) : un hall de nuit (+/- 4 m²), une salle de bain (+/- 5 m²) et 4 chambres (+/- 7 m²; 12 m²; 15 m² et 17 m²). Garage attenant à la maison - Jardinet arrière - Chauffage au mazout- Châssis en PVC double vitrage - RC : 684€ - PEB : E. Les visites s'effectuent du lundi au vendredi de 16h30 à 19h. Uniquement sur RDV au 071/41.45.34. Faire offre à partir de 150.000€.
  • Aantal kamers: 4
  • Aantal badkamers: 1
  • Kadastraal inkomen: 684 €
  • Vrij vanaf: Bij de akte
  • Gilles FRANCE Notaire
  • Contactpersoon: Charlotte METZ
  • Tel: (071) 41.45.34
  • Email: charlotte.metz.127191@belnot.be
  • Bezoekgegevens
  • Les visites s'effectuent du lundi au vendredi de 16h30 à 19h. Uniquement sur RDV au 071/41.45.34

Huizen

36 Sentier Maroquin, 7801 Irchonwelz

Doe een bod van
25.000 €

Presentatiebeeld van het pand n° 291435
Uit de hand
  • Referentie: 291435
  • Maison insalubre, en retrait par un chemin sur 1a 38ca - RC 282€. Accessible par un sentier piétonnier depuis la rue des Fourches ou depuis le Sentier Maroquin.
  • Aantal kamers: 1
  • Kadastraal inkomen: 282 €
  • Vrij vanaf: Onmiddellijk
  • Laurent BARNICH & Quentin DUCARME, notaires associés
  • Contactpersoon: Isabelle DACHY
  • Tel: (068) 28.21.76
  • Email: isabelle.dachy.131177@belnot.be
  • Bezoekgegevens
  • Visites: sur place - Renseignements : étude des notaires associés Laurent BARNICH et Quentin DUCARME à Ath 068/28.21.76

Huizen

27 Rue du Loyable, 4540 Ampsin

Doe een bod van
135.000 €

Presentatiebeeld van het pand n° 291409
Uit de hand
  • Referentie: 291409
  • Idéalement située entre Huy et Amay, à proximité de toutes commodités (axe routier, commerces, transport en commun...), cette charmante maison offre de beaux volumes à restaurer. La maison avec terrain, est actuellement scindée en deux parties et est également agrémentée d'une remise. Un bunker est présent sur la parcelle de terrain. Une visite des lieux vous permettrait de visualiser au mieux le grand potentiel de cet immeuble. L'électricité étant à revoir entièrement, il n'y aura pas de contrôle électrique effectué avant la vente.
  • Aantal kamers: 3
  • Kadastraal inkomen: 452 €
  • Vrij vanaf: Bij de akte
  • Moïra PLENEVAUX & Thérèse DE NIJS, notaires associées
  • Contactpersoon: Nicole NILLES
  • Tel: (085) 21.12.68
  • Email: nicole.nilles.221738@belnot.be
  • Bezoekgegevens
  • information en l'Etude au 085/21.12.68

Huizen

298 Chaussée de Bruxelles, 7500 Tournai

Doe een bod van
250.000 €

Presentatiebeeld van het pand n° 288026
Uit de hand
  • Referentie: 288026
  • Belle villa avec jardin sur 12 ares 30 centiares comprenant: -au rez-de-chaussée: Hall, living (avec feu cassette), grande cuisine équipée (taques électriques, lave-vaisselle, four) avec feu à bois, véranda, une chambre ou bureau, salle-de-bain (douche, baignoire, lavabo), wc -au 1er étage: une chambre, une suite parentale avec douche, lavabo, wc, baignoire balnéo, coffre -un garage avec porte électrique -cave Grand jardin avec cabanon et terrasse Spécificités techniques: citerne à eau, châssis double vitrage PVC, persiennes, chauffage central au gaz
  • Aantal kamers: 3
  • Aantal badkamers: 2
  • Kadastraal inkomen: 991 €
  • Vrij vanaf: Bij de akte
  • SRL Charlotte DECOCK, Notaire
  • Contactpersoon: Yves DUQUENNE
  • Tel: (069) 22.35.35
  • Email: yves.duquenne.354610@belnot.be
  • Bezoekgegevens
  • Sur rendez-vous à prendre en l'étude au 069/22.35.35

Huizen

11 Michel Dierickxstraat, 9750 Zingem

Doe een bod van
525.000 €

Presentatiebeeld van het pand n° 291379
Uit de hand
  • Referentie: 291379
  • Ontdek deze charmante woning in het rustige Kruisem, ideaal voor wie houdt van comfort en rust. De woning beschikt over een inkomhal met toilet, ruime living, keuken en berging, badkamer en beneden is er een praktische bureau- of hobbyruimte voorzien. Op de bovenverdieping bevinden zich 3 slaapkamers, er is ook een zolderruimte aanwezig. De ruime zolder met vaste trap, momenteel gebruikt als bergruimte, kan desgewenst nog afgewerkt worden tot bijkomende kamers. De woning is omringd door tuin en terras, de ruime garage biedt extra bergruimte en parkeergelegenheid. Een perfecte thuis voor een gezin met alle benodigdheden binnen handbereik. G score: A P score: C
  • Aantal kamers: 4
  • Oppervlakte van het woongedeelte: 185m2
  • Aantal badkamers: 1
  • Kadastraal inkomen: 1135 €
  • Vrij vanaf: Onmiddellijk
  • Van Innis & De Wever, geassocieerde notarissen
  • Contactpersoon: Yelke SEGERS
  • Tel: (09) 384.10.20
  • Email: yelke@notariaatzingem.be

Huizen

42 Hoogstraat, 1570 Pajottegem

Doe een bod van
206.500 €

Presentatiebeeld van het pand n° 291041
Online openbare verkoop
  • Referentie: 291041
  • Een woonhuis, een landgebouw en een perceel hooiland Gelegen aan de Hoogstraat 42, Hoogstraat 42+ en Bolleweide voor een oppervlakte van 42a 40ca. Omvattende op glvl.: woonkamer, eetkamer, keuken met ruimte voor ontbijttafel en elektrische kookplaat, dampkap, oven en koelkast, ruime wasplaats met aansluiting voor wasmachine, badkamer met ligbad, wc en enkele wastafel, 2 bergruimtes, kleine schuur die toegang verleent tot de tuin en een grote schuur. Op de 1e verd.: nachthal, 3 slaapkamers, onafgewerkte berging. De woning omvat een bergzolder die bereikbaar is via een luik zonder trap in 1 van de slaapkamers. Het dak is recenter, doch werd noch geïsoleerd, noch voorzien van een onderdak. Raamwerken aan de voorgevel zijn voorzien van dubbele beglazing in PVC, raamwerken aan de achtergevel zijn voorzien van enkele beglazing en houten schrijnwerkerij. Rolluiken enkel voorzien op het glvl. Achter de woning bevindt zich een zeer ruime tuin met landelijk uitzicht. Meerdere koterijen in slechte staat van onderhoud. Ruime binnenkoer met ruimte voor 3 à 4 wagens. Voor de binnenkoer ligt een 2e perceel grond met een oppervlakte van 1970 m². R.c.n.i. 487€. Vrij na betaling van onkosten en prijs (uiterlijk binnen de 6 weken na def. toewijs. Landschappelijk waardevol agrarisch gebied (= zonevreemd), geen recente sted. vergunning, geen dagvaarding, geen verkavelingsvergunning, geen voorkooprecht. EPC F/920. Contr. elektr. niet conform. Bezoeken: woensdagen 28/1, 4-11/2 van 14-16u en zaterdagen 31/1, 7-14/2 van 10-12u. Begin biedingen : dinsdag 10.02.26 om 10u - Einde biedingen : woensdag 18.02.26 om 10u - Instelprijs : 206.500€ - Bodverhoging : 1.000€ - Ondertekening akte : maandag 23.02.26 om 10u - www.biddit.be - Ref. pand : 291041.
  • Aantal kamers: 3
  • Aantal badkamers: 1
  • Lopende verkoop
  • Startdatum: 10/02/2026 10:00
  • Einddatum: 18/02/2026 10:00
  • Geen bod: 1000 €
  • Kadastraal inkomen: 487 €
  • Vrij vanaf: Bij de akte
  • VEREEKEN & VYVEY
  • Contactpersoon: Elien HANNON
  • Tel: (02) 363.09.47
  • Email: elien@vvnothalle.be
  • Bezoekgegevens
  • woensdagen 28/1, 4-11/2 van 14-16u en zaterdagen 31/1, 7-14/2 van 10-12u.

Huizen

11 Rue Albert 1er, 4480 Engis

Doe een bod van
40.000 €

Presentatiebeeld van het pand n° 290841
Online openbare verkoop
  • Referentie: 290841
  • Vaste maison d’habitation, à rénover, d’une surface habitable de 161m² (selon PEB) se compose comme suit : Au sous-sol : de caves (20m²) ; Au rez-de-chaussée : d’un hall d’entrée (10m²), d’un living (30m²), d’une cuisine (9m²), d’une arrière-cuisine (4m²), d’une véranda (17m²) et d’une remise (35m²) ; Au premier étage : d’un hall de nuit (6m²), d’une salle de bain (15m²) et de 3 chambres (6-13-14m²) ; Et enfin, au 2ème étage : de greniers (22m²). Equipée d’une citerne à eau de pluie. Chauffage central au gaz. (PEB F – 458 kWh/m².an –73975 kWh/an) (Électricité non-conforme).
  • Aantal kamers: 3
  • Oppervlakte van het woongedeelte: 161m2
  • Aantal badkamers: 1
  • Lopende verkoop
  • Startdatum: 02/02/2026 11:00
  • Einddatum: 10/02/2026 11:00
  • Geen bod: 1000 €
  • Kadastraal inkomen: 426 €
  • Vrij vanaf: Bij de akte
  • Etude Notariale Rosu & Lemaire, Notaires associés
  • Contactpersoon: Lévi ROSU
  • Tel: (04) 239.89.89
  • Email: notaire@rosu.be
  • Bezoekgegevens
  • sur rendez-vous - Contacter l'étude : 04/239.89.89

Huizen

4 Rue de la Marsalle, 4040 Herstal

Doe een bod van
95.000 €

Presentatiebeeld van het pand n° 291411
Online openbare verkoop
  • Referentie: 291411
  • Maison unifamiliale à vendre – Herstal (Rue de la Masalle 4) Proche de toutes commodités et accès rapide à l’autoroute Située à Herstal, dans une rue facilement accessible, cette maison unifamiliale offre un beau potentiel d’aménagement et conviendra parfaitement à un acquéreur souhaitant adapter le bien à son projet de vie. Sa situation est idéale, à proximité immédiate des commerces, écoles, transports en commun et des grands axes autoroutiers. Le bien se compose: - Rez-de-chaussée : une cuisine ouverte sur la salle à manger, accès à la véranda, salon Un espace de vie convivial avec de larges volumes. - Premier étage, à achever : cet espace offre une page blanche à l’acquéreur, permettant d’y aménager chambres, salle de bain et/ou bureau selon ses besoins. - Sous-sol / cave : accès au jardin, deux pièces affectées comme chambres, local technique
  • Aantal kamers: 2
  • Aantal badkamers: 1
  • Lopende verkoop
  • Startdatum: 21/01/2026 14:00
  • Einddatum: 29/01/2026 14:00
  • Geen bod: 1000 €
  • Kadastraal inkomen: 371 €
  • Vrij vanaf: Bij de akte
  • ADVENTILL, société notariale
  • Contactpersoon: Yassine BETTAHI
  • Tel: (04) 234.73.11
  • Email: contact@etudenotariale.be
  • Bezoekgegevens
  • Contactez l'étude au 04/234.73.11

Huizen

51 Rue Jean-Baptiste Ledoux, 6040 Jumet

Doe een bod van
140.000 €

Presentatiebeeld van het pand n° 291013
Uit de hand
  • Referentie: 291013
  • Ville de CHARLEROI – Vingtième division – Section de JUMET – Troisième division – Article : 52.363 La maison d’habitation sur et avec terrain, avec jardin, l’ensemble sis Rue Jean-Baptiste Ledoux numéro 51, cadastré selon titre section D numéro 994i2 et partie des numéros 994Z3 et 994A4 et selon extrait cadastral récent (datant du 01 octobre 2025) section D numéro 0994X4P0000 pour une contenance de 2ares 95centiares. Revenu cadastral récent non indexé : 418 €. Cette maison à remettre au goût du jour avec cour et jardin est en vente, sise à Jumet, Rue Jean-Baptiste Ledoux numéro 51 Elle comporte : ° rez-de-chaussée : salon-salle à manger, cuisine, hall, salle de bains ; ° au premier étage : deux grandes chambres ; ° grenier : avec large possibilité d’aménagement ; ° Commodités : ° partiellement cavée, cour et grand jardin, châssis double vitrage, toit récemment rénové. ° chauffage : poêle au gaz non raccordé.
  • Aantal kamers: 2
  • Aantal badkamers: 1
  • Kadastraal inkomen: 418 €
  • Vrij vanaf: Te bepalen
  • NOTAIRE LINKER
  • Contactpersoon: Claire LAVEAUX
  • Tel: (071) 34.11.11
  • Email: claire.laveaux.352899@belnot.be
  • Bezoekgegevens
  • Le bien pourra être visité par les candidats-acquéreurs, sur rendez-vous, UNIQUEMENT au numéro 0499/550.226.

Huizen

86 Dries, 9112 Sinaai-Waas

Doe een bod van
140.000 €

Presentatiebeeld van het pand n° 291043
Online openbare verkoop
  • Referentie: 291043
  • Mooi centraal gelegen woning in dorpskom Sinaai: -Gelijkvloers: inkom, zitkamer met teller-ruimte, keuken met lavabo, koer; -1e verdieping: nachthal, slaapkamer 1, badkamer met wc, lavabo en douchecel en slaapkamer 2; -2e verdieping (vaste trap): ruime polyvalente kamer, ruimte met boiler. G score: A P score: A
  • Aantal kamers: 2
  • Aantal badkamers: 1
  • Lopende verkoop
  • Startdatum: 03/02/2026 10:00
  • Einddatum: 11/02/2026 10:00
  • Geen bod: 1000 €
  • Kadastraal inkomen: 265 €
  • Vrij vanaf: Bij de akte
  • VAN der VEKEN, Raf
  • Contactpersoon: Lies TEMMERMAN
  • Tel: (03) 772.37.71
  • Email: lies.temmerman@notariaatbelsele.be
  • Bezoekgegevens
  • Elke woensdag van 14u-15u en elke zaterdag van 11u-12u, en dit vanaf zaterdag 10 januari tot en met zaterdag 7 februari 2026

Huizen

88 Dries, 9112 Sinaai-Waas

Doe een bod van
145.000 €

Presentatiebeeld van het pand n° 291044
Online openbare verkoop
  • Referentie: 291044
  • Mooi centraal gelegen woning in Dorpskom Sinaai: Gelijkvloers: hal, zitkamer, eetkamer, keuken, badkamer en koer; 1e verdieping: hal, 2 normale slaapkamers en 1 kleine slaapkamer; 2e verdieping (vaste trap): polyvalente kamer. G score: A P score: A
  • Aantal kamers: 3
  • Aantal badkamers: 1
  • Lopende verkoop
  • Startdatum: 03/02/2026 10:00
  • Einddatum: 11/02/2026 10:00
  • Geen bod: 1000 €
  • Kadastraal inkomen: 502 €
  • Vrij vanaf: Bij de akte
  • VAN der VEKEN, Raf
  • Contactpersoon: Lies TEMMERMAN
  • Tel: (03) 772.37.71
  • Email: lies.temmerman@notariaatbelsele.be
  • Bezoekgegevens
  • Elke woensdag van 14u-15u en elke zaterdag van 11u-12u, en dit vanaf zaterdag 10 januari tot en met zaterdag 7 februari 2026

Handelspanden

6 la houppe, 7880 Flobecq

Doe een bod van
195.000 €

Presentatiebeeld van het pand n° 290461
Uit de hand
  • Referentie: 290461
  • Dit voormalige Taverne-Restaurant, biedt een ideale locatie voor een veelbelovende toekomst. Geniet van een landelijke en gezellige sfeer, met directe toegang tot de natuur. Het zonnige zomerterras biedt optimaal comfort voor overdag, een perfecte omgeving en een sfeer van absolute ontspanning. Binnen creëert de houtkachel een warme en intieme sfeer, perfect voor winterse maaltijden. Commercieel gebouw gelegen in het hart van het Pays des Collines, op de grens van de Vlaamse Ardennen; een ideale plek om te wandelen. Een favoriete bestemming voor wandelaars, trekkers, fietsers en ruiters, die door het Brakelbos dwalen met zijn rijke en gevarieerde fauna en flora, om vervolgens te genieten van de vergezichten over het platteland van Vloesberg.
  • Kadastraal inkomen: 951 €
  • Vrij vanaf: Bij de akte
  • Notaire Serge CAMBIER
  • Contactpersoon: Aurore COTTON
  • Tel: (068) 44.50.02
  • Email: aurore.cotton.131920@belnot.be

Huizen

20 Quesnoit, 7890 Wodecq

Doe een bod van
240.000 €

Presentatiebeeld van het pand n° 291414
Uit de hand
  • Referentie: 291414
  • Charmante woning gelegen in een groene en landelijke omgeving, voorzien van diverse bijgebouwen, garages, kleine hangar, op en met een terrein van 7 are 60 centiare. De binnenruimtes bestaan uit een kelder, woonkamer, keuken, eetkamer, bureau, badkamer en 1 slaapkamer. De zolder is inrichtbaar. Installaties / Comfort: houten kozijnen met dubbele beglazing (rolluiken aan de voorzijde), dak in goede staat (te isoleren), verwarming via mazoutkachels (tank van 1.200 liter), warmwaterproductie via elektrische boiler, elektrische installatie te herzien (zie verslag). ((mogelijkheid tot het verwerven van extra grond; informatie op aanvraag bij het notariskantoor))
  • Aantal kamers: 1
  • Aantal badkamers: 1
  • Kadastraal inkomen: 304 €
  • Vrij vanaf: Bij de akte
  • Notaire Serge CAMBIER
  • Contactpersoon: Aurore COTTON
  • Tel: (068) 44.50.02
  • Email: aurore.cotton.131920@belnot.be

Huizen

40 Papiermolenstraat, 9500 Geraardsbergen

Doe een bod van
105.000 €

Presentatiebeeld van het pand n° 291415
Online openbare verkoop
  • Referentie: 291415
  • Gesloten bebouwing en kleine stadstuin in het centrum van Geraardsbergen, vlak bij het station van Geraardsbergen. Met o.a.: 2 slaapkamers en badkamer. Geen renovatieverplichting: EPC-label C. P- & G-score: A. G score: A P score: A
  • Aantal kamers: 2
  • Oppervlakte van het woongedeelte: 104m2
  • Aantal badkamers: 1
  • Lopende verkoop
  • Startdatum: 05/02/2026 12:00
  • Einddatum: 13/02/2026 12:00
  • Geen bod: 1000 €
  • Kadastraal inkomen: 220 €
  • Vrij vanaf: Bij de akte
  • Notaris Sofie HAEGEMAN
  • Contactpersoon: Sofie PAUWELS
  • Tel: (054) 50.04.56
  • Email: sofie@notariaatidegem.be
  • Bezoekgegevens
  • Het goed zal door de kandidaat-kopers kunnen bezocht worden mits voorafgaande afspraak via het notariskantoor, waar kandidaat-kopers de sleutels van het pand kunnen ophalen. Deze bezichtiging gebeurt op risico van de kandidaat-koper

Huizen

6 David Van Beverstraat, 1150 Sint-Pieters-Woluwe

Doe een bod van
1.730.000 €

Presentatiebeeld van het pand n° 291257
Online openbare verkoop
  • Referentie: 291257
  • Een opbrengstgebouw Van Beverstraat 6, opp. 2a 43ca. Bestaande uit de volgende eenheden: 1. Niveau gelijkvloers: priv. lot « Rez-de-chaussée », omvattend : lokaal, bureau 3, luchtsluis, een cel, gangen 2 en 3, ontvangstruimte, bureaus 1 en 2, wc 1 en 2. N.g.k.i. : 2.129€. Contr. elekt. niet conf. EPC G 2. niveau 1e verd.: priv. lot « Etage +1 », omvattende: keuken, bergplaats, gangen 1 en 2, réserve, eetzaal, bureau 5, douchecel, vestiaire, bureaus 1, 2, 3 en 4. N.g.k.i. 2.728€. Contr. elekt. niet conf. EPC G 3. niveau 2e verd.: priv. lot « Etage +2 », omvattende: keuken, vergaderzaal, gevangenenlokaal, advocatenlokaal, luchtsluizen 1, 2 en 3, réserve, wc 1 en 2, herentoiletten, douchecel, douchelokaal, bureaus 1, 2, 3 en 4. N.g.k.i.. 2.728€. Contr. elekt. niet conf. EPC G 4. niveau 3e verd. : A. Het appartement achteraan « 3.1 », omvattende: keuken, bergplaats, luchtsluis, woonkamer, badkamer, gang, wc, 2 kamers. N.g.k.i. 1.202€. Contr. elektr. conf. EPC E- B. Het appartement vooraan « 3.2 », omvattende: keuken, bergplaats, luchtsluis, woonkamer, badkamer, gang, wc, 2 kamers. N.g.k.i. 1.239€. Contr. elektr. conf. EPC E 5. niveau 4e verd. : A. Het appartement achteraan « 4.1 », omvattende : keuken, bergplaats, luchtsluis, woonkamer, badkamer, gang, wc, 1 kamer. N.g.k.i. 1.004€. Contr. elektr. conf. EPC G B. Het appartement vooraan « 4.2 », compr. keuken, luchtsluis, woonkamer, badkamer, gang, wc, 1 kamer. N.g.k.i. 969€. Contr. elektr. conf. EPC G Vrij van gebruik. Woongebied met residentieel karakter. Bezoekdagen : woensdag 7, 14, 21 en 28/1/26 van 10-12u, zaterdag 10, 17, 24 en 31/1/26 van 9- 11u en dinsdag 3/2/26 van 10-12u. Begin biedingen : maandag 26.01.26 om 13u – Einde biedingen : dinsdag 03.02.26 om 13u - Instelprijs : 1.730.000€ - Bodverhoging : 2.000€ - Ondertekening akte : maandag 09.02.26 om 11u30 in het gemeentehuis van Sint-Pieters-Woluwe, Charles Thielemanslaan 93 - www.biddit.be - Ref. pand : 291257.
  • Aantal kamers: 6
  • Aantal badkamers: 4
  • Lopende verkoop
  • Startdatum: 26/01/2026 13:00
  • Einddatum: 03/02/2026 13:00
  • Geen bod: 2000 €
  • Kadastraal inkomen: 11999 €
  • Vrij vanaf: Bij de akte
  • Justine DE SMEDT & Justine VAN LERBERGE, notaires associés
  • Contactpersoon: Julien PLANCQUAERT
  • Tel: (02) 770.60.34
  • Email: julien.plancquaert.351537@belnot.be
  • Bezoekgegevens
  • woensdag 7, 14, 21 en 28/1/26 van 10-12u, zaterdag 10, 17, 24 en 31/1/26 van 9- 11u en dinsdag 3/2/26 van 10-12u.

Huizen

34 Rue de Pâturages, 7041 Givry

Doe een bod van
127.500 €

Presentatiebeeld van het pand n° 291349
Uit de hand
  • Referentie: 291349
  • Maison d'habitation à rénover offrant de belles possibilités comprenant: SS: caves - Rez: hall d'entrée, salle à manger, cuisine, salon, salle de bain (évier, douche, w.c) - Etages : 5 chambres, hall (bureau) , salle de bain (baignoire, évier) - Grenier aménageable - Garage - passage latéral, remises, w.c. extérieur, cour et jardin. Chauffage central mazout - 4 ares 95 centiares R.C: 650 euros. Offre actuelle de 127.500 EUR. .
  • Aantal kamers: 5
  • Aantal badkamers: 2
  • Kadastraal inkomen: 650 €
  • Vrij vanaf: Bij de akte
  • Etude Elleboudt, Société Notariale
  • Contactpersoon: Philippe ELLEBOUDT
  • Tel: (065) 58.63.16
  • Email: philippe.elleboudt@belnot.be
  • Bezoekgegevens
  • Sur rendez-vous à prendre en l'Etude

Huizen

2 Rue du Tombois, 6640 Vaux-sur-Sûre

Doe een bod van
260.000 €

Presentatiebeeld van het pand n° 291168
Uit de hand
  • Referentie: 291168
  • Maison d'habitation avec une grange, un carport et un jardin. Au rez-de-chaussée : un hall d'entrée, un WC, un débarras, un séjour avec poêle à bois, une cuisine équipée, une chaufferie/buanderie avec accès au jardin, un dégagement avec escalier vers étage. A l'étage : trois chambres, une salle-de-bain et le hall de nuit.
  • Aantal kamers: 3
  • Aantal badkamers: 1
  • Kadastraal inkomen: 732 €
  • Vrij vanaf: Andere
  • Marie KLELS Société notariale
  • Contactpersoon: Manon JADOUL
  • Tel: 061 53 14 77
  • Email: manon.jadoul.131060@belnot.be
  • Bezoekgegevens
  • Visites sur rendez-vous avec le propriétaire - prendre directement contact avec l'Etude au 061 53 14 77

Huizen

111 Du Chastellei, 2170 Merksem

Doe een bod van
204.400 €

Presentatiebeeld van het pand n° 291419
Online openbare verkoop
  • Referentie: 291419
  • Gelegen op een rustige en vlot bereikbare locatie. Deze woning met een aangename leefruimte, meerdere slaapkamers en praktische indeling is ideaal voor gezinnen. In de nabijheid van winkels, scholen, park en openbaar vervoer, combineert deze woning comfortabel wonen met een uitstekende bereikbaarheid. G score: D P score: D
  • Aantal kamers: 3
  • Oppervlakte van het woongedeelte: 160m2
  • Aantal badkamers: 1
  • Lopende verkoop
  • Startdatum: 19/01/2026 13:00
  • Einddatum: 27/01/2026 13:00
  • Geen bod: 1000 €
  • Kadastraal inkomen: 711 €
  • Vrij vanaf: Bij de akte
  • LaTo
  • Contactpersoon: Kantoor LATO Notarissen
  • Tel: (03) 827.10.38
  • Email: info@lato.be
  • Bezoekgegevens
  • op woensdag 7/1, 14/1, 21/1/2026 van 14u-15u en op zaterdag 10/1, 17/1, 24/1/2026 van 11u-12u.

Huizen

161 Rue du Pairay, 4100 Seraing

Doe een bod van
40.000 €

Presentatiebeeld van het pand n° 291438
Online openbare verkoop
  • Referentie: 291438
  • Bien à haut potentiel moyennant rénovation complète ! Composition : Rez-de-chaussée : living composé de trois pièces en enfilades, WC, cuisine, terrasse, jardin et garage sur l'arrière. 1er étage : deux chambres, un bureau et une salle de bains (évier, baignoire, WC). 2e étage : une chambre et un grenier (deux pièces). Sous-sol : quatre grandes caves, accessibles tant par l’intérieur que par le passage latéral menant à la rue. Pas de chauffage central (convecteur gaz) - PEB F - installation électrique non conforme - jardin à débroussailler Envie de visiter? Contacter Monsieur MANTIONE Antonino au 0494/06.92.28 - info@amnotservices.be
  • Aantal kamers: 3
  • Lopende verkoop
  • Startdatum: 09/02/2026 11:00
  • Einddatum: 17/02/2026 11:00
  • Geen bod: 1000 €
  • Kadastraal inkomen: 575 €
  • Vrij vanaf: Bij de akte
  • Canavesi & Van Daele - Société Notariale
  • Contactpersoon: Emilie VAN DAELE
  • Tel: (04) 337.05.82
  • Email: emilie.vandaele@belnot.be
  • Bezoekgegevens
  • Visite sur rendez-vous. Monsieur MANTIONE Antonino 0494/06.92.28 – info@amnotservices.be

Huizen

13 Rue Alfred Delcominette, 4540 Amay

Doe een bod van
235.000 €

Presentatiebeeld van het pand n° 291247
Uit de hand
  • Referentie: 291247
  • Idéalement située dans un quartier calme, à proximité du centre d'Amay et de toutes ses commodités (écoles, commerces, gare, etc...), cette charmante maison, à rafraîchir, aura tout pour vous plaire ! Elle se compose, au rez-de-chaussée, d'un hall d'entrée avec un magnifique escalier menant à l'étage, un living, un wc et une cuisine donnant accès à une terrasse surplombant le jardin. L'étage comprend un hall de nuit desservant 3 chambres et une salle de bains. Le sous-sol offre des caves et un garage avec volet électrique, accessible par l'arrière via un passage latéral. Le jardin est entièrement clôturé. Pas de procès-verbal d'électricité dans la mesure où le système doit être revu. Châssis double vitrage, en PVC à l'étage, en bois pour le reste - volets électriques pour l'arrière de l'immeuble, la porte de garage et la porte d'entrée principale, volets manuels pour le reste.
  • Aantal kamers: 3
  • Aantal badkamers: 1
  • Kadastraal inkomen: 775 €
  • Vrij vanaf: Bij de akte
  • Moïra PLENEVAUX & Thérèse DE NIJS, notaires associées
  • Contactpersoon: Nicole NILLES
  • Tel: (085) 21.12.68
  • Email: nicole.nilles.221738@belnot.be
  • Bezoekgegevens
  • information en l'Etude au 085/21.12.68

Huizen

153 Rue des Marbriers, 6032 Mont-sur-Marchienne

Doe een bod van
200.000 €

Presentatiebeeld van het pand n° 291410
Uit de hand
  • Referentie: 291410
  • Située sur la commune de Mont-sur-Marchienne, dans un quartier extrêmement calme, cette maison dispose de nombreux atouts. Elle se situe à proximité des voies rapides et des commerces et nécessite très peu de travaux pour être habitable. Les possibilités d'agrandissement sont multiples : une 3ème chambre dans le grenier ou une pièce supplémentaire à l'arrière. Composition : hall d'entrée, grand séjour, cuisine équipée, palier de nuit donnant accès à deux chambres, une salle de bains et au grenier. Commodités : toiture révisée et isolée, châssis triple vitrage en bois d'afzélia, CC gaz BUDERUS, terrasse, jardin, abri de jardin, caves, servitude à votre profit. Excellent résultat PEB : niveau D.
  • Aantal kamers: 2
  • Oppervlakte van het woongedeelte: 152m2
  • Aantal badkamers: 1
  • Kadastraal inkomen: 611 €
  • Vrij vanaf: Bij de akte
  • HUSSON, Nathalie
  • Contactpersoon: Paul FROIDEVILLE
  • Tel: (071) 36.13.97
  • Email: paul.froideville.178244@belnot.be
  • Bezoekgegevens
  • Sur rendez-vous avec l'étude du notaire Nathalie HUSSON au 0460/977.975.

Huizen

12 Rue Léon Langlois, 7160 Piéton

Doe een bod van
80.000 €

Presentatiebeeld van het pand n° 290812
Online openbare verkoop
  • Referentie: 290812
  • ~ Clé à retirer en l'Etude sur rdv préalable ~ Idéalement située à quelques minutes des grands axes routiers et dans un quartier calme, cette maison offre une multitude d'opportunités grâce aux volumes généreux de l'habitation. Au sous-sol : caves et salle de bains. Au RDC : hall d'entrée, 4 pièces. Au 1er étage : vaste hall de nuit, WC, 4 chambres dont une de 28 m² et une autre avec balcon. Au 2ème étage : double grenier aménageable. Jardin - RC : 649 € - Raccordements eau - gaz - électricité - égouts. Superficie totale (mesurée) = 427 m²
  • Aantal kamers: 4
  • Oppervlakte van het woongedeelte: 202m2
  • Aantal badkamers: 1
  • Lopende verkoop
  • Startdatum: 02/02/2026 13:00
  • Einddatum: 10/02/2026 13:00
  • Geen bod: 1000 €
  • Kadastraal inkomen: 649 €
  • Vrij vanaf: Onmiddellijk
  • NOTAREUL
  • Contactpersoon: Céline PILLOUD
  • Tel: (064) 44.23.06
  • Email: celine.pilloud.130682@belnot.be
  • Bezoekgegevens
  • Clé à retirer en l'Etude sur rendez-vous préalable

Handelspanden

308/1 Bredabaan, 2170 Merksem

Doe een bod van
115.000 €

Presentatiebeeld van het pand n° 291216
Online openbare verkoop
  • Referentie: 291216
  • Op een uiterst commerciële ligging langs de Bredabaan te Merksem bevindt zich dit veelzijdige handelshuis met tal van mogelijkheden. Dankzij de uitstekende zichtbaarheid en vlotte bereikbaarheid is dit pand ideaal voor zelfstandigen, investeerders of ondernemers. Het gelijkvloers omvat een handelsruimte met etalage, douchekamer en toilet. De eerste verdieping betreft één grote ruimte. De Bredabaan staat bekend om haar levendige handelsactiviteit, goede verbindingen met het openbaar vervoer en een vlotte aansluiting naar Antwerpen-centrum en belangrijke invalswegen. In de directe omgeving bevinden zich tal van winkels, horeca en voorzieningen. G score: A P score: A
  • Lopende verkoop
  • Startdatum: 27/01/2026 15:00
  • Einddatum: 04/02/2026 15:00
  • Geen bod: 1000 €
  • Kadastraal inkomen: 1170 €
  • Vrij vanaf: Bij de akte
  • NOTARIS VAN ROOSBROECK MERKSEM
  • Contactpersoon: Tahnee WUYTS
  • Tel: (03) 645.87.96
  • Email: tahnee@notarisvanroosbroeck-merksem.be
  • Bezoekgegevens
  • zonder afspr. elke woensdag van 14u-16u en elke zaterdag van 11u-13u vanaf woensdag 7/1 tem zaterdag 31/1.

Huizen

5 Clos des Hauts Aimonts, 7050 Erbisoeul

Doe een bod van
350.000 €

Presentatiebeeld van het pand n° 291299
Online openbare verkoop
  • Referentie: 291299
  • Située dans un quartier particulièrement prisé, cette grande villa aux dimensions généreuses a été construite en 2002 sur une magnifique parcelle de 39 ares du lotissement « Le Parc d’Erbisoeul », garantie d'un environnement calme et verdoyant. Les pièces de la maison (hall, living, cuisine, buanderie, bureau, salle de bains, chambres, hall de nuit, salle de douche, garage) sont extrêmement spacieuses. Un bien d'exception qui justifie pleinement d'aller jusqu'au fond du Clos des Hauts Aimonts où se niche cette belle propriété. Visites exclusivement par intermédiaire : contacter l'étude NOTAREUL à MORLANWELZ.
  • Aantal kamers: 3
  • Aantal badkamers: 2
  • Lopende verkoop
  • Startdatum: 08/02/2026 12:00
  • Einddatum: 16/02/2026 12:00
  • Geen bod: 1000 €
  • Kadastraal inkomen: 1770 €
  • Vrij vanaf: Te bepalen
  • NOTAREUL
  • Contactpersoon: Vincent REUL
  • Tel: (064) 44.23.06
  • Email: vincent.reul@belnot.be
  • Bezoekgegevens
  • CONTACTER L'ETUDE

Gronden

27 Eikelsblok, 2330 Merksplas

Doe een bod van
189.000 €

Presentatiebeeld van het pand n° 291380
Uit de hand
  • Referentie: 291380
  • bouwgrond van 552m² te koop P score: C
  • Kadastraal inkomen: 4 €
  • Vrij vanaf: Bij de akte
  • Michoel, Bremans & Hens, notarissen
  • Contactpersoon: Veerle GRUYAERT
  • Tel: (03) 314.51.77
  • Email: veerle.gruyaert.214749@belnot.be

Huizen

62 Rue Anne de Molina, 4821 Andrimont

Doe een bod van
140.000 €

Presentatiebeeld van het pand n° 291381
Online openbare verkoop
  • Referentie: 291381
  • Spacieuse maison unifamiliale située dans un quartier calme et agréable d’Andrimont, à proximité des commodités. Composition du bien : - Au rez-de-chaussée : hall d’entrée et bel espace de vie lumineux comprenant une cuisine équipée (sans lave-vaisselle) ouverte qui donne sur la salle à manger et le salon ; - Au premier étage : hall, petit bureau, deux chambres à coucher et une salle de bains avec douche, évier et WC ; - Au deuxième étage : hall, bureau, deux chambres à coucher dont une avec accès à une belle terrasse en toiture d’environ 13,5 m². Le bien se complète de : - trois caves et une chaufferie en sous-sol ; - un garage et - un jardin. Située dans un quartier calme et proche des commodités. Très beau potentiel pour une famille ou un projet de rénovation dans un environnement paisible et proche des facilités. Châssis double vitrage PEB : F. Electricité non conforme
  • Aantal kamers: 4
  • Lopende verkoop
  • Startdatum: 16/02/2026 15:00
  • Einddatum: 24/02/2026 15:00
  • Geen bod: 1000 €
  • Kadastraal inkomen: 830 €
  • Vrij vanaf: Bij de akte
  • Renaud CHAUVIN & Baudouin TRISTANT - Société notariale
  • Contactpersoon: Jessica LOPEZ KALAVASSIS
  • Tel: (087) 33.04.60
  • Email: jessica.lopezkalavassis.221923@belnot.be
  • Bezoekgegevens
  • Sur rendez-vous avec l'Etude au 087/33.04.60

Gronden

Steenveldstraat, 3740 Eigenbilzen

Doe een bod van
9.529 €

Presentatiebeeld van het pand n° 291382
Online openbare verkoop
  • Referentie: 291382
  • Gelegen te Bilzen-Hoeselt. Ter plaatse "Groot Steenberger Veld". Met een oppervlakte van 18a15ca. Gelegen in agrarisch gebied - geen verkaveling - geen vergunning afgeleverd - geen voorkooprecht - niet verpacht - geen overstromingsgevoelig gebied. P-score: D. www.biddit.be voor meer info. P score: D
  • Lopende verkoop
  • Startdatum: 04/02/2026 10:00
  • Einddatum: 12/02/2026 10:00
  • Geen bod: 1000 €
  • Vrij vanaf: Bij de akte
  • DELTA Notarissen
  • Contactpersoon: Sofie STEEGEN
  • Tel: (011) 15.33.47
  • Email: sofie.steegen@deltanotarissen.be
  • Bezoekgegevens
  • vrij te bezichtigen.

Gronden

Steenveldstraat, 3740 Eigenbilzen

Doe een bod van
7.707 €

Presentatiebeeld van het pand n° 291383
Online openbare verkoop
  • Referentie: 291383
  • Gelegen te Bilzen-Hoeselt. Ter plaatse "Groote Steenberger Veld". Met een oppervlakte van 14a 68ca. Gelegen in agrarisch gebied- geen verkaveling - geen vergunning afgeleverd - geen voorkooprecht - niet verpacht - geen overstromingsgevoelig gebied. P-score: A. www.biddit.be voor meer info. P score: A
  • Lopende verkoop
  • Startdatum: 04/02/2026 10:00
  • Einddatum: 12/02/2026 10:00
  • Geen bod: 1000 €
  • Vrij vanaf: Bij de akte
  • DELTA Notarissen
  • Contactpersoon: Sofie STEEGEN
  • Tel: (011) 15.33.47
  • Email: sofie.steegen@deltanotarissen.be
  • Bezoekgegevens
  • vrij te bezichtigen.

Gronden

Steenveldstraat, 3740 Eigenbilzen

Doe een bod van
4.699 €

Presentatiebeeld van het pand n° 291385
Online openbare verkoop
  • Referentie: 291385
  • Gelegen te Bilzen-Hoeselt. Ter plaatse "Groot Steenbergerveld". Met een oppervlakte van 8a 95 ca. Gelegen in agrarisch gebied- geen verkaveling - geen vergunning afgeleverd - geen voorkooprecht - niet verpacht - geen overstromingsgevoelig gebied. P-score: D. www.biddit.be voor meer info. P score: D
  • Lopende verkoop
  • Startdatum: 04/02/2026 10:00
  • Einddatum: 12/02/2026 10:00
  • Geen bod: 1000 €
  • Vrij vanaf: Bij de akte
  • DELTA Notarissen
  • Contactpersoon: Sofie STEEGEN
  • Tel: (011) 15.33.47
  • Email: sofie.steegen@deltanotarissen.be
  • Bezoekgegevens
  • vrij te bezichtigen.

Gronden

Steenveldstraat, 3740 Eigenbilzen

Doe een bod van
5.387 €

Presentatiebeeld van het pand n° 291386
Online openbare verkoop
  • Referentie: 291386
  • Gelegen te Bilzen-Hoeselt. Ter plaatse "Groot Steenbergerveld". Met een oppervlakte van 10a 26ca. Gelegen in agrarisch gebied- geen verkaveling - geen vergunning afgeleverd - geen voorkooprecht - niet verpacht - geen overstromingsgevoelig gebied. P-score: A. www.biddit.be voor meer info. P score: A
  • Lopende verkoop
  • Startdatum: 04/02/2026 10:00
  • Einddatum: 12/02/2026 10:00
  • Geen bod: 1000 €
  • Vrij vanaf: Bij de akte
  • DELTA Notarissen
  • Contactpersoon: Sofie STEEGEN
  • Tel: (011) 15.33.47
  • Email: sofie.steegen@deltanotarissen.be
  • Bezoekgegevens
  • vrij te bezichtigen.

Gronden

Steenveldstraat, 3740 Eigenbilzen

Doe een bod van
10.201 €

Presentatiebeeld van het pand n° 291387
Online openbare verkoop
  • Referentie: 291387
  • Gelegen te Bilzen-Hoeselt. Ter plaatse "Groote Steenberger Veld". Met een oppervlakte van 19a 43ca. Gelegen in agrarisch gebied- geen verkaveling - geen vergunning afgeleverd - geen voorkooprecht - niet verpacht - geen overstromingsgevoelig gebied. P-score: A. www.biddit.be voor meer info. P score: A
  • Lopende verkoop
  • Startdatum: 04/02/2026 10:00
  • Einddatum: 12/02/2026 10:00
  • Geen bod: 1000 €
  • Vrij vanaf: Bij de akte
  • DELTA Notarissen
  • Contactpersoon: Sofie STEEGEN
  • Tel: (011) 15.33.47
  • Email: sofie.steegen@deltanotarissen.be
  • Bezoekgegevens
  • vrij te bezichtigen.

Gronden

Steenveldstraat, 3740 Eigenbilzen

Doe een bod van
10.201 €

Presentatiebeeld van het pand n° 291388
Online openbare verkoop
  • Referentie: 291388
  • Gelegen te Bilzen-Hoeselt. Ter plaatse "Groote Steenberger Veld". Met een oppervlakte van 19a 43ca. Gelegen in agrarisch gebied- geen verkaveling - geen vergunning afgeleverd - geen voorkooprecht - niet verpacht - geen overstromingsgevoelig gebied. P-score: A. www.biddit.be voor meer info. P score: A
  • Lopende verkoop
  • Startdatum: 04/02/2026 10:00
  • Einddatum: 12/02/2026 10:00
  • Geen bod: 1000 €
  • Vrij vanaf: Onmiddellijk
  • DELTA Notarissen
  • Contactpersoon: Sofie STEEGEN
  • Tel: (011) 15.33.47
  • Email: sofie.steegen@deltanotarissen.be
  • Bezoekgegevens
  • vrij te bezichtigen.

Gronden

Hoelbeekstraat, 3746 Hoelbeek

Doe een bod van
7.980 €

Presentatiebeeld van het pand n° 291391
Online openbare verkoop
  • Referentie: 291391
  • Gelegen te Bilzen-Hoeselt (Hoelbeek). Ter plaatse "Rage Veld". Met een oppervlakte van 15a 20ca. Gelegen in agrarisch gebied- geen verkaveling - geen vergunning afgeleverd - geen voorkooprecht - niet verpacht - geen overstromingsgevoelig gebied. P-score: A. www.biddit.be voor meer info. P score: A
  • Lopende verkoop
  • Startdatum: 04/02/2026 10:00
  • Einddatum: 12/02/2026 10:00
  • Geen bod: 1000 €
  • Vrij vanaf: Bij de akte
  • DELTA Notarissen
  • Contactpersoon: Sofie STEEGEN
  • Tel: (011) 15.33.47
  • Email: sofie.steegen@deltanotarissen.be
  • Bezoekgegevens
  • vrij te bezichtigen.

Gronden

Hoelbeekstraat, 3746 Hoelbeek

Doe een bod van
7.245 €

Presentatiebeeld van het pand n° 291392
Online openbare verkoop
  • Referentie: 291392
  • Gelegen te Bilzen-Hoeselt (Hoelbeek). Ter plaatse "Heiliger Bemd". Met een oppervlakte van 13a 80ca. Gelegen in deels landschappelijk waardevolle agrarische gebieden en deels natuurgebied- geen verkaveling - geen vergunning afgeleverd - geen voorkooprecht - niet verpacht - geen overstromingsgevoelig gebied. P-score: D. www.biddit.be voor meer info. P score: D
  • Lopende verkoop
  • Startdatum: 04/02/2026 10:00
  • Einddatum: 12/02/2026 10:00
  • Geen bod: 1000 €
  • Vrij vanaf: Bij de akte
  • DELTA Notarissen
  • Contactpersoon: Sofie STEEGEN
  • Tel: (011) 15.33.47
  • Email: sofie.steegen@deltanotarissen.be
  • Bezoekgegevens
  • vrij te bezichtigen.

Gronden

Hemerikberg, 3740 Eigenbilzen

Doe een bod van
9.450 €

Presentatiebeeld van het pand n° 291396
Online openbare verkoop
  • Referentie: 291396
  • Gelegen te Bilzen-Hoeselt (Hoelbeek). Ter plaatse "Hoogveld". Met een oppervlakte van 18a 00ca. Gelegen in landschappelijk waardevolle agrarische gebieden - geen verkaveling - geen vergunning afgeleverd - geen voorkooprecht - niet verpacht - geen overstromingsgevoelig gebied. P-score: D. www.biddit.be voor meer info. P score: D
  • Lopende verkoop
  • Startdatum: 04/02/2026 10:00
  • Einddatum: 12/02/2026 10:00
  • Geen bod: 1000 €
  • Vrij vanaf: Bij de akte
  • DELTA Notarissen
  • Contactpersoon: Sofie STEEGEN
  • Tel: (011) 15.33.47
  • Email: sofie.steegen@deltanotarissen.be
  • Bezoekgegevens
  • vrij te bezichtigen.

Gronden

Hemerikberg, 3740 Eigenbilzen

Doe een bod van
4.883 €

Presentatiebeeld van het pand n° 291397
Online openbare verkoop
  • Referentie: 291397
  • Gelegen te Bilzen-Hoeselt (Hoelbeek). Ter plaatse "Hoog Veld". Met een oppervlakte van 09a 30ca. Gelegen in landschappelijk waardevolle agrarische gebieden - geen verkaveling - geen vergunning afgeleverd - geen voorkooprecht - niet verpacht - geen overstromingsgevoelig gebied. P-score: A. www.biddit.be voor meer info. P score: A
  • Lopende verkoop
  • Startdatum: 04/02/2026 10:00
  • Einddatum: 12/02/2026 10:00
  • Geen bod: 1000 €
  • Vrij vanaf: Bij de akte
  • DELTA Notarissen
  • Contactpersoon: Sofie STEEGEN
  • Tel: (011) 15.33.47
  • Email: sofie.steegen@deltanotarissen.be
  • Bezoekgegevens
  • vrij te bezichtigen.

Gronden

Smeetsstraat, 3620 Gellik

Doe een bod van
8.348 €

Presentatiebeeld van het pand n° 291398
Online openbare verkoop
  • Referentie: 291398
  • Ter plaatse "Grote Kiwitheide". Met een oppervlakte van 15a 90ca. Gelegen in deels landschappelijk waardevolle agrarische gebieden en deels natuurgebied- geen verkaveling - geen vergunning afgeleverd - geen voorkooprecht - niet verpacht - geen overstromingsgevoelig gebied. P-score: A. www.biddit.be voor meer info. P score: A
  • Lopende verkoop
  • Startdatum: 04/02/2026 10:00
  • Einddatum: 12/02/2026 10:00
  • Geen bod: 1000 €
  • Vrij vanaf: Bij de akte
  • DELTA Notarissen
  • Contactpersoon: Sofie STEEGEN
  • Tel: (011) 15.33.47
  • Email: sofie.steegen@deltanotarissen.be
  • Bezoekgegevens
  • vrij te bezichtigen.

Gronden

Puthofstraat, 3740 Waltwilder

Doe een bod van
3.990 €

Presentatiebeeld van het pand n° 291399
Online openbare verkoop
  • Referentie: 291399
  • Gelegen te Bilzen-Hoeselt (Waltwilder). Ter plaatse "Achterveld". Met een oppervlakte van 07a 60ca. Gelegen in natuurgebied- geen verkaveling - geen vergunning afgeleverd - geen voorkooprecht - niet verpacht - geen overstromingsgevoelig gebied. P-score: D. www.biddit.be voor meer info. P score: D
  • Lopende verkoop
  • Startdatum: 04/02/2026 10:00
  • Einddatum: 12/02/2026 10:00
  • Geen bod: 1000 €
  • Vrij vanaf: Bij de akte
  • DELTA Notarissen
  • Contactpersoon: Sofie STEEGEN
  • Tel: (011) 15.33.47
  • Email: sofie.steegen@deltanotarissen.be
  • Bezoekgegevens
  • vrij te bezichtigen.

Gronden

Sillenbeekweg, 3740 Rosmeer

Doe een bod van
12.075 €

Presentatiebeeld van het pand n° 291400
Online openbare verkoop
  • Referentie: 291400
  • Gelegen te Bilzen-Hoeselt (Rosmeer). Ter plaatse "Op Den Gelkerweg". Met een oppervlakte van 23a00ca. Gelegen in agrarische gebieden - geen verkaveling - geen vergunning afgeleverd - geen voorkooprecht - niet verpacht - geen overstromingsgevoelig gebied. P-score: D. www.biddit.be voor meer info. P score: D
  • Lopende verkoop
  • Startdatum: 04/02/2026 10:00
  • Einddatum: 12/02/2026 10:00
  • Geen bod: 1000 €
  • Vrij vanaf: Bij de akte
  • DELTA Notarissen
  • Contactpersoon: Sofie STEEGEN
  • Tel: (011) 15.33.47
  • Email: sofie.steegen@deltanotarissen.be
  • Bezoekgegevens
  • vrij te bezichtigen.

Gronden

Sillenbeekweg, 3740 Rosmeer

Doe een bod van
8.232 €

Presentatiebeeld van het pand n° 291401
Online openbare verkoop
  • Referentie: 291401
  • Gelegen te Bilzen-Hoeselt (Rosmeer). Ter plaatse "Op Den Gelker Weg". Met een oppervlakte van 15a 68ca. Gelegen in agrarische gebieden - geen verkaveling - geen vergunning afgeleverd - geen voorkooprecht - niet verpacht - geen overstromingsgevoelig gebied. P-score: D. www.biddit.be voor meer info. P score: D
  • Lopende verkoop
  • Startdatum: 04/02/2026 10:00
  • Einddatum: 12/02/2026 10:00
  • Geen bod: 1000 €
  • Vrij vanaf: Bij de akte
  • DELTA Notarissen
  • Contactpersoon: Sofie STEEGEN
  • Tel: (011) 15.33.47
  • Email: sofie.steegen@deltanotarissen.be
  • Bezoekgegevens
  • vrij te bezichtigen.

Huizen

2 Hemerikberg, 3740 Mopertingen

Doe een bod van
183.750 €

Presentatiebeeld van het pand n° 291404
Online openbare verkoop
  • Referentie: 291404
  • Op ruim perceel (perceelbreedte: +/- 35m). Deze open bebouwing op een perceel van maar liefst 18a 40ca biedt tal van mogelijkheden voor wie houdt van karakter, ruimte en een groene omgeving. Ligging: Gelegen in het gezellige Bilzen-Hoeselt (Mopertingen) op korte afstand van winkels, scholen en openbaar vervoer. Deze woning combineert een rustige ligging met een vlotte bereikbaarheid. Indeling: Met een bewoonbare oppervlakte van ca. 100 m² beschikt deze woning over een functionele indeling: Gelijkvloers: inkomhal, leefruimte, keuken. 1e verdieping: nachthal en 3 volwaardige slaapkamers, kamer met optie om badkamer met toilet te maken. De woning beschikt momenteel niet over een stedenbouwkundige vergunning, maar wordt vergund geacht. De woning is te renoveren, wat de ideale kans biedt om deze naar eigen smaak en noden om te vormen tot een hedendaags woonproject. Een buitenkans voor investeerders, doe-het-zelvers of gezinnen die hun droomwoning willen realiseren op een toplocatie in Bilzen-Hoeselt (Mopertingen). G score: C P score: D
  • Aantal kamers: 3
  • Oppervlakte van het woongedeelte: 100m2
  • Lopende verkoop
  • Startdatum: 04/02/2026 10:00
  • Einddatum: 12/02/2026 10:00
  • Geen bod: 1000 €
  • Kadastraal inkomen: 659 €
  • Vrij vanaf: Bij de akte
  • DELTA Notarissen
  • Contactpersoon: Sofie STEEGEN
  • Tel: (011) 15.33.47
  • Email: sofie.steegen@deltanotarissen.be
  • Bezoekgegevens
  • na afspraak met het notariskantoor.

Gronden

Mopertingenstraat, 3740 Bilzen

Doe een bod van
9.608 €

Presentatiebeeld van het pand n° 291405
Online openbare verkoop
  • Referentie: 291405
  • Gelegen te Bilzen-Hoeselt (Mopertingen). Ter plaatse "Mopertingen Het Dorp". Met een oppervlakte van 18a30ca. Gelegen in woongebied met landelijk karakter - geen verkaveling - geen vergunning afgeleverd - geen voorkooprecht - niet verpacht - geen overstromingsgevoelig gebied. P-score: A. www.biddit.be voor meer info. P score: A
  • Lopende verkoop
  • Startdatum: 04/02/2026 10:00
  • Einddatum: 12/02/2026 10:00
  • Geen bod: 1000 €
  • Vrij vanaf: Bij de akte
  • DELTA Notarissen
  • Contactpersoon: Sofie STEEGEN
  • Tel: (011) 15.33.47
  • Email: sofie.steegen@deltanotarissen.be
  • Bezoekgegevens
  • vrij te bezichtigen.

Gronden

1547 Biévène

Doe een bod van
95.000 €

Presentatiebeeld van het pand n° 291407
Uit de hand
  • Referentie: 291407
  • Une pâture et un bois sis au lieu-dit "CARMOISBOS" à Biévène accessible via le chemin n°71. Repris en zone agricole pour une contenance totale de 1 hectares 65 ares 68 centiares. Cadastrés section D numéros 0440GP0000 et 0440KP0000 Revenu cadastral (non indexé) : 85,00€ Renseignements, visites et offres: étude du Notaire Donatienne d'Harveng: 068/33.84.14
  • Kadastraal inkomen: 85 €
  • Vrij vanaf: Bij de akte
  • Donatienne d´HARVENG, Notaire
  • Contactpersoon: Laeticia CAVELIER
  • Tel: (068) 33.84.14
  • Email: laeticia.cavelier.125450@belnot.be
  • Bezoekgegevens
  • Sur rendez-vous avec l'étude du Notaire Donatienne d'Harveng au 068/33.84.14

Huizen

28 Aststraat, 3300 Bost

Doe een bod van
45.000 €

Presentatiebeeld van het pand n° 291313
Online openbare verkoop
  • Referentie: 291313
  • In het rustige Bost, op een gunstige ligging nabij snelweg, winkels en scholen, bevindt zich deze rijwoning die volledig te renoveren is. Een ideale opportuniteit voor handige investeerders of kopers die hun eigen woonproject willen realiseren. De woning biedt een stevige basis en veel mogelijkheden, maar dient grondig aangepakt te worden. Indeling: - Gelijkvloers: twee ruimtes - Eerste verdieping: twee ruimtes - Zolder: bereikbaar, met schuifraam - Berging: aparte, losstaande ruimte - Koer: aanwezig tussen woning en berging - Terras: niet aanwezig Troeven: - Centrale en vlot bereikbare ligging - Nabij belangrijke invalswegen - Dicht bij winkels en scholen - Veel renovatie- en inrichtingspotentieel Bent u op zoek naar een renovatieproject met mogelijkheden? Dan is deze woning zeker een bezoek waard. G score: B P score: B
  • Aantal kamers: 2
  • Aantal badkamers: 1
  • Lopende verkoop
  • Startdatum: 20/01/2026 13:00
  • Einddatum: 28/01/2026 13:00
  • Geen bod: 1000 €
  • Kadastraal inkomen: 495 €
  • Vrij vanaf: Andere
  • Notaris Bert VALKENIERS
  • Contactpersoon: Luna VINCK
  • Tel: (016) 78.17.26
  • Email: luna@notarisvalkeniers.be
  • Bezoekgegevens
  • elke woensdag van 14u-16u en elke zaterdag van 10u-12u vanaf woensdag 7/1 tem zaterdag 24/1. De woning wordt betreden op eigen risico gezien de huidige staat.

Appartementen

522 Romeinsesteenweg, 1853 Strombeek-Bever

Doe een bod van
165.000 €

Presentatiebeeld van het pand n° 291312
Online openbare verkoop
  • Referentie: 291312
  • Dicht bij Brussel. Op de 3e verdieping. Omvat: living, keuken met terras aan de voorkant, hall, badkamer, wc, kleedkamer en 2 slaapkamers langs achter met terras en muurkast. Kelder en een garage. G score: A P score: A
  • Aantal kamers: 2
  • Oppervlakte van het woongedeelte: 96m2
  • Aantal badkamers: 1
  • Lopende verkoop
  • Startdatum: 28/01/2026 11:00
  • Einddatum: 05/02/2026 11:00
  • Geen bod: 1000 €
  • Kadastraal inkomen: 1179 €
  • Vrij vanaf: Bij de akte
  • NOTARIS SANDRY GYPENS
  • Contactpersoon: Kantoor Not. Sandry Gypens
  • Tel: (02) 267.06.54
  • Email: sandry.gypens@belnot.be
  • Bezoekgegevens
  • elke woensdag van 18u-20u en elke zaterdag van 14u-16u vanaf 14/1 tem 31/1.

Gronden

Bremstraat, 2330 Merksplas

Doe een bod van
60.000 €

Presentatiebeeld van het pand n° 291271
Online openbare verkoop
  • Referentie: 291271
  • Gunstig gelegen. Met een oppervlakte van 1ha 67a 50ca. P-score A. G-score onbekend. Voorkooprecht voor de pachter alsook Maatwerkgebieden PAS. P score: A
  • Lopende verkoop
  • Startdatum: 02/02/2026 14:00
  • Einddatum: 10/02/2026 14:00
  • Geen bod: 1000 €
  • Vrij vanaf: Andere
  • Notaris Thomas Coeckelbergs
  • Contactpersoon: Nathasia SLEGERS
  • Tel: (014) 68.94.60
  • Email: nathasia@notariscoeckelbergs.be
  • Bezoekgegevens
  • vrij te bezichtigen.

Appartementen

41 Waaslandstraat, 2660 Hoboken

Doe een bod van
87.500 €

Presentatiebeeld van het pand n° 291242
Online openbare verkoop
  • Referentie: 291242
  • OPENBARE VERKOPING DOOR NOTARIS LISA SCHAMP VIA BIDDIT (enkel online bieden, met instelpremie) GOED GELEGEN 3-SLAAPKAMER-APPARTEMENT OP 3e VERDIEPING MET GARAGEBOX ACHTER HOOFDGEBOUW te Hoboken, Waaslandstraat 41 INFO: Indeling: living, keuken, 3 slaapkamers, badkamer, terras. KI: appartement 637 € en garage 89 €. Beschikbaar & Ingenottreding: volgens veilvoorwaarden. BEZOEK: zonder afspr. elke maandag en zaterdag van 11u-13u vanaf 21/1 tot het einde van de biedingen. Kenmerk: “”…Stedenbouwkundige vergunning voor het bouwen van 30 autoboxen vergund voor een nieuw bijgebouw vergund door het college van burgmeester en schepenen de dato 30 januari 1968 en -voor het bouwen van 3 appartementshuizen vergund door het college van burgemeester en schepenen de dato 26 september 1967 en -voor het bouwen van 3 woningen met appartementen vergund door het college van burgemeester en schepenen de dato 18 juni 1968 (meergezinswoning)…”” EPC en EK zie opgeladen document. EPC: 537 kwh/m²jaar – Energielabel F. Renovatieplicht JA. Asbestattest: zie bijlage. Watergevoelig openruimtegebied: NEE. BIEDEN en MEER INFORMATIE te vinden via de BIDDIT-site, gelieve de link https://www.biddit.be/nl/catalog/detail/291242 te gebruiken. Toewijzing op het kantoor van de notaris op 20 februari 2026 om 14u. G score: B P score: B
  • Aantal kamers: 3
  • Aantal badkamers: 1
  • Lopende verkoop
  • Startdatum: 09/02/2026 14:00
  • Einddatum: 17/02/2026 14:00
  • Geen bod: 1000 €
  • Kadastraal inkomen: 637 €
  • Vrij vanaf: Andere
  • DECKERS NOTARISSEN
  • Contactpersoon: Kantoor Deckers Notarissen
  • Tel: (03) 233.76.33
  • Email: info@deckersnotarissen.be
  • Bezoekgegevens
  • zonder afspr. elke maandag en zaterdag van 11u-13u vanaf 21/1 tot het einde van de biedingen.

Huizen

31-33 Breendonkstraat, 3800 Sint-Truiden

Doe een bod van
155.000 €

Presentatiebeeld van het pand n° 291378
Online openbare verkoop
  • Referentie: 291378
  • Reeds gestript. Aantal slaapkamers onbepaald. Met 3 autostaanplaatsen (via een publieke parking), wijk H 571 B 2 + 571 L2 + 571 K2 + 582 D2. Voor in totaal 606m². Vrij van gebruik. Gelegen in Woongebied met cultureel en/of esthetische waarde. Totaal KI 1.726€. Waterrapport G-score= D, P-score=D. EPC: F renovatieplicht. Niet in Worg. Niet-asbestveilig. Voor mogelijkheden zich te bevragen bij dienst stedenbouw. Indeling: a) van het gebouw (31, 33 en 33+) Breendonkstraat: een casco gebouw, zonder vloer, waar alles weggebroken is buiten de steunmuren en volledig te renoveren is als woning, eventueel appartement of kantoor (afhangend van eventuele bestemming of aan te vragen bestemmingswijziging) - gelijkvloers: inkom, (eventueel parking doch smal), trap naar de verdieping, 4 ruimtes , atelier bestaande uit een grotere en kleinere ruimte, tuin met opening achteraan om naar de parkeerplaatsen te gaan. - 1e verdieping: geen vloer meer, momenteel 1 open ruimte met gelijkvloers b) - 3 onderscheiden afgebakende autostaanplaatsen achter de tuin van het gebouw, deel uitmakend van een grotere bovengrondse parking (toegang via toegang via de Diesterstraat. G score: D P score: D
  • Aantal kamers: 1
  • Oppervlakte van het woongedeelte: 250m2
  • Lopende verkoop
  • Startdatum: 26/01/2026 13:00
  • Einddatum: 03/02/2026 13:00
  • Geen bod: 1000 €
  • Kadastraal inkomen: 1726 €
  • Vrij vanaf: Bij de akte
  • Notaris Nolens Christophe
  • Contactpersoon: Christophe NOLENS
  • Tel: (011) 68.52.55
  • Email: christophe.nolens@belnot.be
  • Bezoekgegevens
  • na tel. afspr. via telefoonnr 0495/53.33.26 en dit vanaf 10/1 tem 3/2.

Huizen

432 Avenue Emile Herman, 7170 Bois-d'Haine

Doe een bod van
70.000 €

Presentatiebeeld van het pand n° 290452
Online openbare verkoop
  • Referentie: 290452
  • Maison de commerce avec dépendances, jardin et garage. Composition : Au rez-de-chaussée, à rue, une surface commerciale avec arrière-boutique. A l'arrière, salon, salle à manger avec sortie vers le jardin, cuisine non équipée, wc et bureau. 1er 1/2 niveau: studio comprenant cuisine équipée, living, wc, une chambre et une salle de douche (douche, wc, lavabo). 1er étage : hall de nuit avec poêle à pellet, 2 chambre côté rue et à l'arrière, une grande chambre parentale à finir avec salle de bain (wc, 2 lavabos et baignoire), autre salle d'eau à terminer (lavabo, wc et baignoire). 2ème étage : une grande chambre avec poêle à pellet et deux autres pièces à usage de grenier. Cave avec chaudière et citerne à mazout de 2.500 litres. Jardin avec garage donnant sur la rue de La Poudrerie. Passage latéral.
  • Aantal kamers: 4
  • Aantal badkamers: 2
  • Lopende verkoop
  • Startdatum: 16/02/2026 11:00
  • Einddatum: 24/02/2026 11:00
  • Geen bod: 2000 €
  • Kadastraal inkomen: 1426 €
  • Vrij vanaf: Bij de akte
  • Benoit BOSMANS, Notaire
  • Contactpersoon: Madison POTY
  • Tel: (064) 44.23.34
  • Email: madison.poty.124883@belnot.be
  • Bezoekgegevens
  • Visites avec la société GIL sur rendez-vous au 071/38.84.49

Gronden

Steenveldstraat, 3740 Eigenbilzen

Doe een bod van
7.807 €

Presentatiebeeld van het pand n° 291384
Online openbare verkoop
  • Referentie: 291384
  • Gelegen te Bilzen-Hoeselt. Ter plaatse "Groote Steenberger Veld". Met een oppervlakte van 14a 87ca. Gelegen in agrarisch gebied- geen verkaveling - geen vergunning afgeleverd - geen voorkooprecht - niet verpacht - geen overstromingsgevoelig gebied. P-score: A. www.biddit.be voor meer info. P score: A
  • Lopende verkoop
  • Startdatum: 04/02/2026 10:00
  • Einddatum: 12/02/2026 10:00
  • Geen bod: 1000 €
  • Vrij vanaf: Bij de akte
  • DELTA Notarissen
  • Contactpersoon: Sofie STEEGEN
  • Tel: (011) 15.33.47
  • Email: sofie.steegen@deltanotarissen.be
  • Bezoekgegevens
  • vrij te bezichtigen.

Gronden

Hemerikberg, 3740 Eigenbilzen

Doe een bod van
13.125 €

Presentatiebeeld van het pand n° 291389
Online openbare verkoop
  • Referentie: 291389
  • Gelegen te Bilzen-Hoeselt. Ter plaatse "Hemerijkenberg". Met een oppervlakte van 25a 00ca. Gelegen in landschappelijk waardevolle agrarische gebieden- geen verkaveling - geen vergunning afgeleverd - geen voorkooprecht - niet verpacht - geen overstromingsgevoelig gebied. P-score: D. www.biddit.be voor meer info. P score: D
  • Lopende verkoop
  • Startdatum: 04/02/2026 10:00
  • Einddatum: 12/02/2026 10:00
  • Geen bod: 1000 €
  • Vrij vanaf: Bij de akte
  • DELTA Notarissen
  • Contactpersoon: Sofie STEEGEN
  • Tel: (011) 15.33.47
  • Email: sofie.steegen@deltanotarissen.be
  • Bezoekgegevens
  • vrij te bezichtigen.

Gronden

Hoelbeekstraat, 3746 Hoelbeek

Doe een bod van
5.565 €

Presentatiebeeld van het pand n° 291390
Online openbare verkoop
  • Referentie: 291390
  • Gelegen te Bilzen-Hoeselt (Hoelbeek). Ter plaatse " Rage Veld". Met een oppervlakte van 10a 60ca. Gelegen in agrarisch gebied- geen verkaveling - geen vergunning afgeleverd - geen voorkooprecht - niet verpacht - geen overstromingsgevoelig gebied. P-score: A. www.biddit.be voor meer info. P score: A
  • Lopende verkoop
  • Startdatum: 04/02/2026 10:00
  • Einddatum: 12/02/2026 10:00
  • Geen bod: 1000 €
  • Vrij vanaf: Bij de akte
  • DELTA Notarissen
  • Contactpersoon: Sofie STEEGEN
  • Tel: (011) 15.33.47
  • Email: sofie.steegen@deltanotarissen.be
  • Bezoekgegevens
  • vrij te bezichtigen.

Gronden

Hemerikberg, 3740 Eigenbilzen

Doe een bod van
5.408 €

Presentatiebeeld van het pand n° 291395
Online openbare verkoop
  • Referentie: 291395
  • Gelegen te Bilzen-Hoeselt (Hoelbeek). Ter plaatse "De Beken Bemden". Met een oppervlakte van 10a 30ca. Gelegen in deels landschappelijk waardevolle agrarische gebieden en deels natuurgebied- geen verkaveling - geen vergunning afgeleverd - geen voorkooprecht - niet verpacht - geen overstromingsgevoelig gebied. P-score: D. www.biddit.be voor meer info. P score: D
  • Lopende verkoop
  • Startdatum: 04/02/2026 10:00
  • Einddatum: 12/02/2026 10:00
  • Geen bod: 1000 €
  • Vrij vanaf: Bij de akte
  • DELTA Notarissen
  • Contactpersoon: Sofie STEEGEN
  • Tel: (011) 15.33.47
  • Email: sofie.steegen@deltanotarissen.be
  • Bezoekgegevens
  • vrij te bezichtigen.

Gronden

Maastrichterstraat, 3740 Rosmeer

Doe een bod van
12.065 €

Presentatiebeeld van het pand n° 291403
Online openbare verkoop
  • Referentie: 291403
  • Te Bilzen-Hoeselt (Rosmeer). Ter plaatse "Op Den Gelkerweg". Met een oppervlakte van 22a 98ca. Gelegen in agrarische gebieden - geen verkaveling - geen vergunning afgeleverd - geen voorkooprecht - niet verpacht - geen overstromingsgevoelig gebied. P-score: D. www.biddit.be voor meer info. P score: D
  • Lopende verkoop
  • Startdatum: 04/02/2026 10:00
  • Einddatum: 12/02/2026 10:00
  • Geen bod: 1000 €
  • Vrij vanaf: Bij de akte
  • DELTA Notarissen
  • Contactpersoon: Sofie STEEGEN
  • Tel: (011) 15.33.47
  • Email: sofie.steegen@deltanotarissen.be
  • Bezoekgegevens
  • vrij te bezichtigen.

Gronden

Mopertingenstraat, 3740 Mopertingen

Doe een bod van
19.399 €

Presentatiebeeld van het pand n° 291406
Online openbare verkoop
  • Referentie: 291406
  • Gelegen te Bilzen-Hoeselt (Mopertingen). Ter plaatse "Hoogveld". Met een oppervlakte van 36a 95ca. Gelegen in agrarisch gebied - geen verkaveling - geen vergunning afgeleverd - geen voorkooprecht - niet verpacht - geen overstromingsgevoelig gebied. P-score: A. www.biddit.be voor meer info. P score: A
  • Lopende verkoop
  • Startdatum: 04/02/2026 10:00
  • Einddatum: 12/02/2026 10:00
  • Geen bod: 1000 €
  • Vrij vanaf: Bij de akte
  • DELTA Notarissen
  • Contactpersoon: Sofie STEEGEN
  • Tel: (011) 15.33.47
  • Email: sofie.steegen@deltanotarissen.be
  • Bezoekgegevens
  • vrij te bezichtigen.

Gronden

De Lusthoven, 2370 Arendonk

Doe een bod van
80.000 €

Presentatiebeeld van het pand n° 291267
Online openbare verkoop
  • Referentie: 291267
  • Gunstig gelegen. Met een oppervlakte van 2ha 12a 33ca. P-score B. G-score onbekend. Voorkooprecht voor de pachter. P score: B
  • Lopende verkoop
  • Startdatum: 02/02/2026 14:00
  • Einddatum: 10/02/2026 14:00
  • Geen bod: 1000 €
  • Vrij vanaf: Andere
  • Notaris Thomas Coeckelbergs
  • Contactpersoon: Nathasia SLEGERS
  • Tel: (014) 68.94.60
  • Email: nathasia@notariscoeckelbergs.be
  • Bezoekgegevens
  • vrij te bezichtigen.

Gronden

De Lusthoven, 2370 Arendonk

Doe een bod van
40.000 €

Presentatiebeeld van het pand n° 291269
Online openbare verkoop
  • Referentie: 291269
  • Gunstig gelegen. Met een oppervlakte van 1ha 1a 99ca. P-score B. G-score onbekend. Voorkooprecht voor de pachter. P score: B
  • Lopende verkoop
  • Startdatum: 02/02/2026 14:00
  • Einddatum: 10/02/2026 14:00
  • Geen bod: 1000 €
  • Vrij vanaf: Andere
  • Notaris Thomas Coeckelbergs
  • Contactpersoon: Nathasia SLEGERS
  • Tel: (014) 68.94.60
  • Email: nathasia@notariscoeckelbergs.be
  • Bezoekgegevens
  • vrij te bezichtigen.

Appartementen

106 de Stassartstraat, 1050 Elsene

Doe een bod van
150.000 €

Presentatiebeeld van het pand n° 291219
Online openbare verkoop
  • Referentie: 291219
  • Gelijkvloers met tuin In een opbrengsthuis met aanhorigheden op en met grond, de Stassartstraat, 106 : - de entiteit gelegen op de kelderverdieping en op het gelijkvloers, omvattende: - gelijkvloers : drie ineenlopende plaatsen, een wasruimte wc lokaal, keuken, en het priv. en exclusief genot van de koer en de tuin. - kelderverdieping : de lokalen (kelders) 5 tot 9 die een integraal onderdeel van het gelijkvloers vormen (zonder gezamenlijke gedeeltes) en de kelders C3 en C4. N.g.k.i.: 737€ OPMERKING De aandacht van de koper wordt hier gevestigd op de onregelmatige situatie van het verkochte goed, aangezien de feitelijke situatie 'commercieel' niet overeenkomt met de toegestane situatie 'woning'. De koper zal het goed aldus in de huidige staat aanvaarden en zal, volledig op eigen kosten, zelf zorg dragen voor alle stedenbouwkundige regularisaties, volledig zonder tussenkomst van de verkoper en zonder enig verhaal. Lasten mede-eigendom : +/- 175€/maand ((inclusief de oproep van het reservefonds). Verhuurd. Handelshuurovereenkomst van 5 juni 2009 voor 9 jaar, geregistreerd. Huur: 1.200€/maand. Stedenbouw: Wettig gebruik: Woning. Het huidige gebruik als winkel is onregelmatig. Bezoekdagen: vanaf woensdag 7 januari 2026 : woensdag van 9u30 tot 11u30 en zaterdag van 12u30 tot 14u30, zonder afspraak. Begin biedingen : woensdag 28.01.26 om 13u - Einde biedingen : donderdag 05.02.26 om 13u - Instelprijs : 150.000€ - Bodverhoging : 1.000€ - Ondertekening akte : maandag 09.02.26 om 16u - www.biddit.be - Ref. pand : 291219.
  • Aantal kamers: 1
  • Lopende verkoop
  • Startdatum: 28/01/2026 13:00
  • Einddatum: 05/02/2026 13:00
  • Geen bod: 1000 €
  • Kadastraal inkomen: 737 €
  • Vrij vanaf: Andere
  • Van Blerk, Constant
  • Contactpersoon: Maria RISTUCCIA
  • Tel: (02) 410.20.05
  • Email: constant.vanblerk@belnot.be
  • Bezoekgegevens
  • vanaf woensdag 7 januari 2026 : woensdag van 9u30 tot 11u30 en zaterdag van 12u30 tot 14u30, zonder afspraak.

Huizen

13 Rue de Binche, 6567 Merbes-le-Château

Doe een bod van
145.000 €

Presentatiebeeld van het pand n° 291360
Uit de hand
  • Referentie: 291360
  • Maison d'habitation située Rue de Binche 13 à Merbes-le-Château Composée comme suit: Rez-de-chaussée: Séjour, cuisine, véranda située à l'arrière de la cuisine, salle de bains avec douche, lavabo et W.C. 1er étage: 4 chambres 2e étage: Grenier Garage et passage latéral Long jardin et remise Chauffage central au gaz et châssis double vitrage en aluminium Revenu cadastral: 639 € Superficie: 9 a 80 ca PEB F (465.kWh/m².an)
  • Aantal kamers: 4
  • Oppervlakte van het woongedeelte: 171m2
  • Aantal badkamers: 1
  • Kadastraal inkomen: 639 €
  • Vrij vanaf: Bij de akte
  • Françoise MOURUE & Florence AULIT - Société notariale
  • Contactpersoon: Florine TUTTOLOMONDO
  • Tel: (071) 55.53.92
  • Email: florine.tuttolomondo.133363@belnot.be
  • Bezoekgegevens
  • S'adresser en l'Etude

Gronden

Het Plat Veld, 3590 Diepenbeek

Doe een bod van
14.000 €

Presentatiebeeld van het pand n° 291351
Online openbare verkoop
  • Referentie: 291351
  • Met een oppervlakte van 32a 40ca. Vg afgeleverd, Gvv, Gmo. Wordt thans wel verpacht. Alle foto's en overige informatie te raadplegen via Biddit.be. P score: A
  • Lopende verkoop
  • Startdatum: 27/01/2026 10:00
  • Einddatum: 04/02/2026 10:00
  • Geen bod: 1000 €
  • Vrij vanaf: Andere
  • DELTA Notarissen
  • Contactpersoon: Ilya SAEREN
  • Tel: (011) 15.33.50
  • Email: ilya.saeren@deltanotarissen.be
  • Bezoekgegevens
  • vrij te bezichtigen.

Gronden

Maastrichterpoort, 3740 Bilzen

Doe een bod van
80.000 €

Presentatiebeeld van het pand n° 291352
Online openbare verkoop
  • Referentie: 291352
  • Met een oppervlakte van 6a83ca. Gelegen in een residentiele omgeving. Geen vergunning afgeleverd, woongebied met landelijk karakter, geen herstelmaatregel, verkavelingsvergunning, geen voorkooprecht. Het goed is thans verpacht. Alle foto’s en overige informatie te raadplegen via deze website. P score: A
  • Lopende verkoop
  • Startdatum: 27/01/2026 10:00
  • Einddatum: 04/02/2026 10:00
  • Geen bod: 1000 €
  • Vrij vanaf: Andere
  • DELTA Notarissen
  • Contactpersoon: Ilya SAEREN
  • Tel: (011) 15.33.50
  • Email: ilya.saeren@deltanotarissen.be
  • Bezoekgegevens
  • vrij te bezichtigen.

Huizen

48 Onderstraat, 3730 Werm

Doe een bod van
140.000 €

Presentatiebeeld van het pand n° 291357
Online openbare verkoop
  • Referentie: 291357
  • Halfopen bebouwing. Op een perceel van 6a 45ca. Centraal gelegen, vlakbij alle toegangswegen. Gelijkvloers: Inkomhal met trappenhal naar 1ste verdieping, leefruimte, keuken, badkamer met lavabo, bad en douche, bureau ruimte, apart toilet. 1ste verdieping: nachthal, 4 slaapkamers. Zolder. 2 garages Geen vergunning afgeleverd, woongebied met landelijk karakter, geen herstelmaatregel, geen verkavelingsvergunning, geen voorkooprecht. Het goed wordt thans verhuurd. Alle foto’s, virtueel bezoek en overige informatie te raadplegen via deze website. G score: D P score: D
  • Aantal kamers: 4
  • Aantal badkamers: 1
  • Lopende verkoop
  • Startdatum: 27/01/2026 10:00
  • Einddatum: 04/02/2026 10:00
  • Geen bod: 1000 €
  • Kadastraal inkomen: 446 €
  • Vrij vanaf: Andere
  • DELTA Notarissen
  • Contactpersoon: Ilya SAEREN
  • Tel: (011) 15.33.50
  • Email: ilya.saeren@deltanotarissen.be
  • Bezoekgegevens
  • na afspr. met het notariskantoor. Gelieve het kantoor te contacteren voor een bezichtiging in te plannen.

Appartementen

8 A Avenue du Champ de Mai, 1410 Waterloo

Doe een bod van
499.000 €

Presentatiebeeld van het pand n° 291365
Uit de hand
  • Referentie: 291365
  • Idéalement situé au calme entre le centre et la gare. Appartement au 2ème étage/4 se composant comme suit : hall d'entrée, séjour avec cuisine ouverte et arrière cuisine, grande terrasse laissant apparaître le nez du Lion de Waterloo. Hall de nuit avec vestiaire, WC séparé avec lave-mains, remise avec chaudière, 1sdd, 1 chambre, 1 bureau, 1 grande chambre avec salle de bain et WC, les trois donnant sur la terrasse arrière. Les deux terrasses bénéficient d'un espace de rangement fermé. L'appartement compte également une grande cave. Chauffage individuel au gaz. PEB B. Vaste parking à l'avant. Opportunité rare dans cet immeuble, à visiter sans tarder.
  • Aantal kamers: 2
  • Oppervlakte van het woongedeelte: 120m2
  • Aantal badkamers: 1
  • Kadastraal inkomen: 1955 €
  • Vrij vanaf: Bij de akte
  • WATERKEYN-EDRICH, notaires associés
  • Contactpersoon: Gaëlle MASSON
  • Tel: (02) 354.03.00
  • Email: gm@notaire-olivierwaterkeyn.be
  • Bezoekgegevens
  • Visites sur rendez-vous avec l'Etude - Mme Masson 02/354 03 00

Handelspanden

33 Sint-Markoenstraat, 9032 Wondelgem

Doe een bod van
527.500 €

Presentatiebeeld van het pand n° 291170
Uit de hand
  • Referentie: 291170
  • MULTIFUNCTIONEEL PAND MET DUPLEXAPPARTEMENT In een belangrijke doorgangsstraat tussen Gent en Evergem, ter hoogte van Wondelgem, ligt dit multifuntioneel pand (LOT 5) met op het gelijkvloers een handelszaak met inkom, toonzaal, 2 bergplaatsen, keuken en toilet. Boven het handelsgedeelte bevindt zich een degelijk duplexappartement. Op de eerste verdieping is er een ruime leefruimte met aanpalend een volledig geïnstalleerde keuken, voorzien van alle toestellen. Verder is er nog een badkamer met toilet en douche en 2 bureau’s. Op de tweede verdieping zijn 2 -3 slaapkamers. Renovatieplicht: ja G score: D P score: D
  • Aantal badkamers: 1
  • Kadastraal inkomen: 1854 €
  • Vrij vanaf: Onmiddellijk
  • Van Steenberge Bernard, notarisvennootschap
  • Contactpersoon: Bianca DE BRUYNE
  • Tel: (09) 369.02.74
  • Email: bianca.debruyne.108621@belnot.be

Gronden

1 Krankebeek, 2230 Herselt

Doe een bod van
130.000 €

Presentatiebeeld van het pand n° 286767
Uit de hand
  • Referentie: 286767
  • Een perceel grond gelegen in het RUP Woonzones met bestemming “Zone voor wonen met bijzonder karakter”, gelegen te Herselt (Ramsel), Krankebeek. Deze grond bevindt zich in een doodlopende straat in een groene omgeving. Gekadastreerd sectie I, nr 264EP0000 met een oppervlakte van 5a 74ca en een KI van 1 euro. Vergunning gereikt: 1976: verkavelingsvergunning - gewestplan: gebied voor dagrecreatie (opgeheven door het RUP) - geen voorkooprecht - geen erfgoed - watertoets: P-Score D (gemene delen P-Score A (& G-score A(perc 262EP0000)) niet gelegen in een risicozone voor overstromingen - geen WORG - gelegen in het gemeentelijk RUP Woonzones met bestemming “Zone voor wonen met bijzonder karakter” - 1/20ste gemene delen van het weekendverblijfpark “Krankebeek” worden mee verkocht: perceelnrs 262KP0000, 262EP0000 en 262LP0000 (verdere info te verkrijgen op het kantoor) - kapmachtiging 2025 exotenbestrijding (voor perceel 262E & 262L) Voor vragen in verband met bouwmogelijkheden, kan u contact opnemen met de gemeente Herselt, dienst ruimtelijke ordening. P score: D
  • Kadastraal inkomen: 1 €
  • Vrij vanaf: Bij de akte
  • Principal notarissen - Van Thielen-Michiels
  • Contactpersoon: Bart VAN THIELEN
  • Tel: (014) 54.45.80
  • Email: immo@principal-notarissen.be

Gronden

Rue de la Bruyère, 6001 Charleroi

Doe een bod van
15.000 €

Presentatiebeeld van het pand n° 291368
Uit de hand
  • Referentie: 291368
  • Parcelle de terrain boisée de +-75 ares. Cadastrée section C0756P23 en nature de bois et reprise en zone de Parc au plan de secteur de Charleroi. Documents complémentaires disponibles et téléchargeables sur le site www.biddit.be.
  • Kadastraal inkomen: 6 €
  • Vrij vanaf: Bij de akte
  • Jean-Frédéric VIGNERON & Laurent VIGNERON-Notaires associés
  • Contactpersoon: Dominique BOUCHAT
  • Tel: (010) 84.44.54
  • Email: dominique.bouchat.350759@belnot.be

Appartementen

34 Rue de la Gare, 5310 Eghezée

Doe een bod van
230.000 €

Presentatiebeeld van het pand n° 291375
Uit de hand
  • Referentie: 291375
  • Situé au rez-de-chaussée d’une petite copropriété bien tenue, cet appartement offre un cadre de vie pratique, moderne et parfaitement entretenu. Une opportunité idéale pour un premier achat ou un investissement long terme grâce à des locataires soigneux déjà en place. L’appartement se compose d’une chambre, d’un bureau pouvant servir de chambre d’appoint, d’un bel espace de vie lumineux ouvert sur la terrasse et le jardin, ainsi que d’une cuisine équipée en excellent état. Ce qu’il propose : • 1 chambre + 1 bureau (chambre d’appoint possible) • Séjour ouvert sur la terrasse et le jardin • Cuisine équipée moderne • Espace buanderie avec rangement • Châssis PVC double vitrage + volets • Grande cave de ± 6 m² • Garage 1 voiture de ± 15 m² + emplacement extérieur • Appartement en parfait état d’entretien, aucun travaux à prévoir • Actuellement loué à des locataires soigneux • Confort moderne, copropriété calme et bien entretenue Un bien clé en main, idéalement situé, offrant un excellent rapport qualité/prix et une rentabilité assurée. ?? Infos & visites : Thibault – 0486/97.87.00 ? Un appartement pratique, soigné et prêt à vivre… une valeur sûre.
  • Aantal kamers: 2
  • Oppervlakte van het woongedeelte: 60m2
  • Aantal badkamers: 1
  • Kadastraal inkomen: 893 €
  • Vrij vanaf: Bij de akte
  • WATILLON-HAMES, société notariale
  • Contactpersoon: Clément LÉONARD
  • Tel: (081) 22.91.23
  • Email: clement.leonard.214659@belnot.be
  • Bezoekgegevens
  • ?? Infos & visites : Thibault – 0486/97.87.00

Huizen

27 Rue Reine Astrid, 1473 Glabais

Doe een bod van
295.000 €

Presentatiebeeld van het pand n° 291373
Uit de hand
  • Referentie: 291373
  • Maison d’habitation 4 façades avec jardin, développée sur 4 niveaux. Rez-de-chaussée : Hall d’entrée, salon (11,74 m²), salle à manger (14,25 m²), cuisine non équipée (10,21 m²), salle de bains avec WC (6,70 m²) et terrasse. Entresol : Une chambre (10,31 m²). Premier étage : Palier, deux chambres (11,69 m² et 14,09 m²) et un bureau (4,14 m²). Grenier : Espace aménageable d’environ 20 m². Sous-sol : Ancienne cave à charbon et chaufferie. Extérieurs et annexes : Remise et annexe située au fond du jardin comprenant un atelier et un espace de stockage. Superficie habitable (hors sous-sol et annexe) : ± 117,92 m². Châssis partiellement en double vitrage et simple vitrage. Chauffage par chaudière au mazout. Situation idéale, proche des axes routiers menant facilement à Waterloo, Genappe et Wavre via la N25. Renseignements : Étude des Notaires François Noë & Gaëtan Lemaire – 067/41.15.80 Visites : ?? 0489/29.77.11.
  • Aantal kamers: 3
  • Kadastraal inkomen: 581 €
  • Vrij vanaf: Bij de akte
  • François NOE & Gaëtan LEMAIRE, Notaires associés
  • Contactpersoon: Natacha VANDENHENDE
  • Tel: (067) 41.15.80
  • Email: natacha.vandenhende.168476@belnot.be
  • Bezoekgegevens
  • 0489/29.77.11

Huizen

342 Rue des Ardennes, 5570 Winenne

Doe een bod van
105.000 €

Presentatiebeeld van het pand n° 291347
Uit de hand
  • Referentie: 291347
  • Découvrez cette maison d’habitation entièrement à rénover, implantée sur un terrain de 19 ares 59 centiares, offrant une situation au calme et proche des commodités. Cette propriété se compose de quatre niveaux, incluant une cave hors sol au rez-de-chaussée, couvrant l'ensemble de la maison, de quatre pièces de vie spacieuses au premier niveau (100 m2), de quatre pièces de vie à réhabiliter selon vos envies au deuxième étage (72 m2) et d’un grenier avec une belle hauteur sous plafond. Contactez dès aujourd’hui l’Etude des Maîtres Véronique DOLPIRE & Mélanie BRACK au 082/21.33.43 afin de planifier une visite.
  • Aantal kamers: 1
  • Kadastraal inkomen: 793 €
  • Vrij vanaf: Bij de akte
  • Véronique DOLPIRE & Mélanie BRACK, Notaires associés
  • Contactpersoon: Mathilde PAQUET
  • Tel: (082) 22.21.15
  • Email: mathilde.paquet.132464@belnot.be

Huizen

35 Bilzerweg, 3690 Zutendaal

Doe een bod van
179.000 €

Presentatiebeeld van het pand n° 291350
Online openbare verkoop
  • Referentie: 291350
  • In open bebouwing op een groot perceel van bijna 63 aren. Centraal gelegen, vlakbij alle toegangswegen. Gelijkvloers: Inkomhal met trappenhal naar 1ste verdieping, grote en lichtrijke leefruimte, keuken, kleine badkamer met lavabo en douche, bureau ruimte, apart toilet. 1ste verdieping: nachthal, 3 slaapkamers, 1 badkamer met bad en lavabo, saunaruimte. Zolder: Toegankelijk via luik in de nachthal. Tuin met bijgebouw aanwezig. Dubbele beglazing Deels onderkelderd Vergunning afgeleverd, agrarisch gebied en natuurgebied, waardoor het onroerend goed in principe zonevreemd gelegen is. Geen herstelmaatregel, geen verkavelingsvergunning, geen voorkooprecht. Het goed is niet verhuurd. Alle foto’s, virtueel bezoek en overige informatie te raadplegen via deze website. G score: A P score: A
  • Aantal kamers: 3
  • Aantal badkamers: 2
  • Lopende verkoop
  • Startdatum: 27/01/2026 10:00
  • Einddatum: 04/02/2026 10:00
  • Geen bod: 1000 €
  • Kadastraal inkomen: 840 €
  • Vrij vanaf: Bij de akte
  • DELTA Notarissen
  • Contactpersoon: Ilya SAEREN
  • Tel: (011) 15.33.50
  • Email: ilya.saeren@deltanotarissen.be
  • Bezoekgegevens
  • na afspr. met het notariskantoor. Gelieve het kantoor te contacteren voor een bezichtiging in te plannen.

Gronden

3740 Beverst

Doe een bod van
21.000 €

Presentatiebeeld van het pand n° 291353
Online openbare verkoop
  • Referentie: 291353
  • Perceel bos met een oppervlakte van 53a25ca/ Gelegen in bosgebied en landschappelijk waardevol agrarisch gebied. Niet verpacht. Geen vergunning afgeleverd, geen herstelmaatregel, geen verkavelingsvergunning, geen voorkooprecht. Het goed is niet verhuurd of verpacht. Alle foto’s en overige informatie te raadplegen via deze website. P score: A
  • Lopende verkoop
  • Startdatum: 27/01/2026 10:00
  • Einddatum: 04/02/2026 10:00
  • Geen bod: 1000 €
  • Vrij vanaf: Bij de akte
  • DELTA Notarissen
  • Contactpersoon: Ilya SAEREN
  • Tel: (011) 15.33.50
  • Email: ilya.saeren@deltanotarissen.be
  • Bezoekgegevens
  • vrij te bezichtigen.

Gronden

3730 Hoeselt

Doe een bod van
36.000 €

Presentatiebeeld van het pand n° 291356
Online openbare verkoop
  • Referentie: 291356
  • Perceel 1: 43a 97ca Perceel 2: 25a 05 ca Perceel 3: 21a 52ca. Allen gelegen in landschappelijk waardevol agrarisch gebied + VEN gebied. Perceel 1 wordt thans verpacht. De overige percelen zijn vrij van gebruik. Voorkooprecht voor percelen 2 + 3 (Natuur). Geen vergunning, geen verkaveling, geen herstelmaatregel van toepassing. Alle foto’s en overige informatie te raadplegen via Biddit.be P score: D
  • Lopende verkoop
  • Startdatum: 27/01/2026 10:00
  • Einddatum: 04/02/2026 10:00
  • Geen bod: 1000 €
  • Vrij vanaf: Andere
  • DELTA Notarissen
  • Contactpersoon: Ilya SAEREN
  • Tel: (011) 15.33.50
  • Email: ilya.saeren@deltanotarissen.be
  • Bezoekgegevens
  • vrij te bezichtigen.

Huizen

148 Route Napoléon, 4400 Ivoz-Ramet

Doe een bod van
85.000 €

Presentatiebeeld van het pand n° 291361
Online openbare verkoop
  • Referentie: 291361
  • Maison unifamiliale offrant une distribution fonctionnelle et de beaux volumes, idéale pour une famille ou un projet à personnaliser. Le rez-de-chaussée se compose d’un agréable salon de 17 m², d’une salle à manger de 11 m², d’une cuisine de 13 m², d’une salle de bain ainsi que d’un WC séparé. Les espaces de vie sont bien distincts et offrent un cadre confortable au quotidien. À l’étage, deux chambres de 11 m² et 13 m², lumineuses et bien proportionnées, pouvant également convenir pour un espace bureau ou chambre d’enfant. La maison dispose d’un vaste sous-sol divisé en trois pièces de 23 m², 18 m² et 13 m², idéal pour le rangement, une buanderie, un atelier ou un espace de loisirs. Un grenier de 19 m² complète le bien et offre un potentiel supplémentaire d’aménagement ou de stockage. Un bien aux multiples possibilités, à découvrir sans tarder.
  • Aantal kamers: 2
  • Oppervlakte van het woongedeelte: 98m2
  • Lopende verkoop
  • Startdatum: 03/02/2026 13:00
  • Einddatum: 11/02/2026 13:00
  • Geen bod: 1000 €
  • Kadastraal inkomen: 441 €
  • Vrij vanaf: Bij de akte
  • Fabienne JEANDRAIN, Notaire
  • Contactpersoon: Cléa COLLURA
  • Tel: (04) 337.02.77
  • Email: clea.collura.178277@belnot.be

Huizen

12 Klein Zottegem, 9521 Letterhoutem

Doe een bod van
159.000 €

Presentatiebeeld van het pand n° 291364
Online openbare verkoop
  • Referentie: 291364
  • Ruime woning met terras en diepe tuin. Gelegen in het landelijke Letterhoutem. Bestaat uit een gelijkvloers met verdieping en zolder met in totaal 3 slaapkamers. G score: A P score: A
  • Aantal kamers: 3
  • Oppervlakte van het woongedeelte: 197m2
  • Aantal badkamers: 1
  • Lopende verkoop
  • Startdatum: 03/02/2026 14:00
  • Einddatum: 11/02/2026 14:00
  • Geen bod: 1000 €
  • Kadastraal inkomen: 409 €
  • Vrij vanaf: Andere
  • De Wilde, Pieter
  • Contactpersoon: Pieter DE WILDE
  • Tel: (09) 360.01.93
  • Email: info@notarispieterdewilde.be
  • Bezoekgegevens
  • op zaterdag 3/1, 10/1, 17/1, 24/1, 31/1 van 10u-12u en op zaterdag 7/2 van 10u-12u, na afspraak via https://calendly.com/notarispieterdewilde/klein-zottegem-12-9521-letterhoutem

Huizen

65 Avenue de Chérémont, 1300 Wavre

Doe een bod van
325.000 €

Presentatiebeeld van het pand n° 290816
Uit de hand
  • Referentie: 290816
  • Idéalement située, à proximité des accès N25/N4/E411, maison 4 façades à rénover sur +-9 ares. Agréable vue arrière dégagée. Très beau potentiel! A 5min du centre de Wavre et de ses facilités. Composition: Rez: Hall/Salle à manger/Cuisine/Wc/Salle de bains. ETAGE 1: 3 chambres. ETAGE 2: Grenier. ETAGE -1: Cave. Garage. Faire offre à partir de 325.000€. VISITE UNIQUEMENT SUR RENDEZ-VOUS le MARDI DE 16H A 18H et le SAMEDI DE 14H A 16H! VISITES A PARTIR DU 06 JANVIER 2026! Contact visite: 0493/02.21.44. Documents complémentaires disponibles et téléchargeables sur le site www.biddit.be.
  • Aantal kamers: 3
  • Aantal badkamers: 1
  • Kadastraal inkomen: 919 €
  • Vrij vanaf: Bij de akte
  • Jean-Frédéric VIGNERON & Laurent VIGNERON-Notaires associés
  • Contactpersoon: Dominique BOUCHAT
  • Tel: (010) 84.44.54
  • Email: dominique.bouchat.350759@belnot.be

Appartementen

45 Rue de l'Ecorcherie, 7500 Tournai

Doe een bod van
115.000 €

Presentatiebeeld van het pand n° 291366
Uit de hand
  • Referentie: 291366
  • A VENDRE - APPARTEMENT lumineux avec 1 chambre et grande terrasse, situé au 5ème étage de la Résidence Roi Soleil, avec ascenseur, au calme et à proximité immédiate du Centre-Ville, de toutes commodités, et du Pont des Trous Adresse : TOURNAI, Rue de l'Ecorcherie, 45-Bloc 5 Localisation exceptionnelle 1 Chambre Grande terrasse offrant une large vue dégagée sur la Ville de Tournai et son patrimoine historique Superficie 44 m² PEB C  Droits d’enregistrement 3% (pour un 1er achat – suivant les conditions) Appartement comprenant : hall d’entrée, wc, cuisine, living lumineux avec baie vitrée offrant une large vue dégagée sur la Ville de Tournai et son patrimoine historique (Cathédrale, Beffroi, classés à l'UNESCO), salle de bain (baignoire-lavabo), chambre, grande terrasse. La Résidence dispose d'un ascenseur. Parquet flottant. Chauffage central au gaz. Châssis aluminium double-vitrage. VILLE DE TOURNAI 1° division Dans un immeuble à appartements multiples, Résidence "Roi Soleil", sis Rue de L'Ecorcherie 45, cadastré section E, numéro(s) 55L P0019, pour une superficie utile de 44 m².  Rédiger une offre pour ce bien : https://actalex.be/modele-doffre/ Prix et renseignements communiqués à titre informatif, sous réserve de confirmation
  • Aantal kamers: 1
  • Oppervlakte van het woongedeelte: 44m2
  • Aantal badkamers: 1
  • Kadastraal inkomen: 699 €
  • Vrij vanaf: Andere
  • ACTALEX NOTAIRES ASSOCIES - GEASSOCIEERDE NOTARISSEN
  • Contactpersoon: Sébastien STRICANNE
  • Tel: (056) 56.20.40
  • Email: sebastien.stricanne.130740@belnot.be
  • Bezoekgegevens
  • 0496/713267

Huizen

1 Rue de Magery, 6680 Tillet

Doe een bod van
100.000 €

Presentatiebeeld van het pand n° 291341
Online openbare verkoop
  • Referentie: 291341
  • Située dans le petit village paisible de Houmont (Sainte-Ode), au coeur de l'Ardenne, cette authentique bâtisse en pierre sans vis-à-vis direct, offre un cadre rural paisible et une vue dégagée sur les prairies environnantes. Elle séduira les amateurs de biens de caractère à rénover, avec ses grands espaces aux nombreuses possibilités d'aménagement: caves sous toute la maison, grenier aménageable, atelier et annexes agricoles. Le corps de logis se compose comme suit : au rez-de-chaussée : hall d'entrée, vaste salon/salle à manger, cuisine, bureau; au premier étage : hall de nuit, salle de bains et quatre belles chambres. Une partie du terrain est occupée selon bail à ferme, sans droit de préemption.
  • Aantal kamers: 4
  • Oppervlakte van het woongedeelte: 213m2
  • Aantal badkamers: 1
  • Lopende verkoop
  • Startdatum: 26/01/2026 10:00
  • Einddatum: 03/02/2026 10:00
  • Geen bod: 1000 €
  • Kadastraal inkomen: 490 €
  • Vrij vanaf: Te bepalen
  • Sophie Robinet, société notariale
  • Contactpersoon: Sophie ROBINET
  • Tel: (061) 61.10.09
  • Email: sophie.robinet@belnot.be
  • Bezoekgegevens
  • Pour tout renseignement complémentaire ou demande de visite, merci de contacter l’étude du notaire Sophie Robinet à Saint-Hubert au 061/61.10.09.

Gronden

Rue de Magery, 6680 Tillet

Doe een bod van
100.000 €

Presentatiebeeld van het pand n° 291376
Online openbare verkoop
  • Referentie: 291376
  • Situé dans le petit village paisible de Houmont (Sainte-Ode), au coeur de l'Ardenne, ce superbe terrain de 2ha 51a 29ca présente une façade à rue d'environ 50 mètres. Il est situé en zone d'habitat à caractère rural sur une profondeur de 50 mètres et pourrait donc se prêter à différents projets de construction (sous réserve d'obtention des autorisations urbanistiques ad hoc). Le solde de la parcelle est situé en zone agricole. Le terrain est loué selon bail à ferme et est proposé à la vente sous la condition suspensive du non-exercice du droit de préemption du locataire. Très belle situation à 14 minutes de Bastogne, à 16 minutes de Vaux-sur-Sûre et à 5 min de la N4. Un lieu idéal pour celles et ceux qui recherchent la tranquillité, loin de l’agitation, tout en étant entourés de paysages authentiques et préservés.
  • Lopende verkoop
  • Startdatum: 26/01/2026 11:30
  • Einddatum: 03/02/2026 11:30
  • Geen bod: 1000 €
  • Kadastraal inkomen: 38 €
  • Vrij vanaf: Andere
  • Sophie Robinet, société notariale
  • Contactpersoon: Sophie ROBINET
  • Tel: (061) 61.10.09
  • Email: sophie.robinet@belnot.be
  • Bezoekgegevens
  • Pour tout renseignement complémentaire, merci de contacter l’étude du notaire Sophie Robinet à Saint-Hubert au 061/61.10.09.

Gronden

18+ Rue des Jonquilles, 6680 Tillet

Doe een bod van
30.000 €

Presentatiebeeld van het pand n° 291377
Online openbare verkoop
  • Referentie: 291377
  • Situé dans le petit village paisible de Houmont (Sainte-Ode), au coeur de l'Ardenne, ce superbe terrain d' 1ha 93a 24ca présente une façade à rue d'environ 17 mètres. Il est situé en zone d'habitat à caractère rural sur une profondeur d'un peu plus de 50 mètres et pourrait donc se prêter à un projet de construction (sous réserve d'obtention des autorisations urbanistiques). Le solde de la parcelle est situé en zone agricole. Le terrain est loué selon bail à ferme et est proposé à la vente sous la condition suspensive du non-exercice du droit de préemption du locataire. Très belle situation à 14 minutes de Bastogne, à 16 minutes de Vaux-sur-Sûre et à 5 min de la N4. Un lieu idéal pour celles et ceux qui recherchent la tranquillité, loin de l’agitation, tout en étant entourés de paysages authentiques et préservés.
  • Lopende verkoop
  • Startdatum: 26/01/2026 13:00
  • Einddatum: 03/02/2026 13:00
  • Geen bod: 1000 €
  • Kadastraal inkomen: 25 €
  • Vrij vanaf: Andere
  • Sophie Robinet, société notariale
  • Contactpersoon: Sophie ROBINET
  • Tel: (061) 61.10.09
  • Email: sophie.robinet@belnot.be
  • Bezoekgegevens
  • Pour tout renseignement complémentaire, merci de contacter l’étude du notaire Sophie Robinet à Saint-Hubert au 061/61.10.09.

Gronden

33 Sint-Markoenstraat, 9032 Wondelgem

Doe een bod van
130.000 €

Presentatiebeeld van het pand n° 291372
Uit de hand
  • Referentie: 291372
  • IN OPTIE - verkoopovereenkomst in opmaak !!! Unieke bouwgrond voor halfopen bebouwing in Wondelgem (Gent) Unieke bouwgrond voor halfopen bebouwing gelegen in Wondelgem, Sint-Markoenstraat 33 – Korte Kerkstraat. Op wandelafstand van tram, trein en bus. Vlot en veilig met de fiets naar Gent en omgeving. Winkels, horeca, lagere scholen, sporthal en park in de buurt. LOT 1 - 161,65 m² - bieden vanaf 95.000 euro LOT 2 - 202,93 m² - bieden vanaf 115.000 euro LOT 3 - 174,35 m² - bieden vanaf 100.000 euro LOT 4 - 211,55 m² - bieden vanaf 130.000 euro Voor meer informatie kan u zich steeds richten per mail aan bianca.debruyne.108621@belnot.be of per telefoon 09 369 02 74 P score: D
  • Vrij vanaf: Onmiddellijk
  • Van Steenberge Bernard, notarisvennootschap
  • Contactpersoon: Bianca DE BRUYNE
  • Tel: (09) 369.02.74
  • Email: bianca.debruyne.108621@belnot.be

Huizen

40 Rue Visé Voie, 4680 Oupeye

Doe een bod van
350.000 €

Presentatiebeeld van het pand n° 291334
Uit de hand
  • Referentie: 291334
  • Le bien se compose comme suit: -au rez-de-chaussée, un appartement (+/- 89 m² d'après PEB) comprend : séjour (+/- 24 m²), cuisine semi-équipée (+/- 11 m²), 1 chambre (+/- 11 m²), salle de bains (+/- 5 m²), hall de nuit, véranda et accès au garage 1, un commerce avec WC (+/- 30 m²) et un jardin, -au premier étage : un appartement (+/- 100 m² d'après PEB ) comprend : séjour (+/- 32 m²), cuisine équipée (+/- 14 m²), deux chambres (+/- 22 m² et 14 m²), salle de bains (+/- 8 m²), hall et grenier aménageable ; -deux garages. -trois caves en sous-sol. Opportunité à saisir ! Informations données à titre indicatif et non contractuelles.
  • Aantal kamers: 3
  • Kadastraal inkomen: 1938 €
  • Vrij vanaf: Bij de akte
  • Murielle BODSON & Mélissa DUPONT, Société Notariale
  • Contactpersoon: Sophie CHAVANNE
  • Tel: (04) 349.37.67
  • Email: sophie.chavanne.133538@belnot.be
  • Bezoekgegevens
  • Sur rendez-vous

Huizen

53 Rue Hector Fontaine, 7973 Grandglise

Doe een bod van
40.000 €

Presentatiebeeld van het pand n° 291333
Online openbare verkoop
  • Referentie: 291333
  • Rez : Hall d'entrée, salle à manger, salon, cuisine, salle de bain, WC, 2 chambres, 4 pièces. Etage : Grenier Jardin.
  • Aantal kamers: 2
  • Aantal badkamers: 1
  • Lopende verkoop
  • Startdatum: 16/02/2026 10:00
  • Einddatum: 24/02/2026 10:00
  • Geen bod: 1000 €
  • Kadastraal inkomen: 369 €
  • Vrij vanaf: Te bepalen
  • Julien FRANEAU, Notaire
  • Contactpersoon: Nicolas VERHOLLE
  • Tel: (065) 33.52.12
  • Email: nicolas.verholle.106393@belnot.be
  • Bezoekgegevens
  • Contacter Monsieur LERICHE de la société "GIL" au 071/38.84.49 (option 2)

Huizen

84 Zandvoordedorpstraat, 8400 Zandvoorde

Doe een bod van
120.000 €

Presentatiebeeld van het pand n° 291344
Online openbare verkoop
  • Referentie: 291344
  • Bestaat uit: - Gelijkvloers: living, keuken en badkamer; - Tussenverdieping: voltekamer; - Eerste verdieping: slaapkamer met bergruimte. Tuin met bergruimte aanwezig, alsook een kelder. G score: B P score: B
  • Aantal kamers: 2
  • Aantal badkamers: 1
  • Lopende verkoop
  • Startdatum: 28/01/2026 13:00
  • Einddatum: 05/02/2026 13:00
  • Geen bod: 1000 €
  • Kadastraal inkomen: 123 €
  • Vrij vanaf: Bij de akte
  • Notariaat Filip Maertens & François-Xavier Willems
  • Contactpersoon: Kantoor Not. Maertens & Willems
  • Tel: (050) 45.44.45
  • Email: info@notmw.be
  • Bezoekgegevens
  • Op zaterdag 17/1, 31/1 van 8u30-10u en op donderdag 22/1, 29/1 van 18u-19u30

Gronden

Molenstraat, 1850 Grimbergen

Doe een bod van
11.980 €

Presentatiebeeld van het pand n° 291342
Online openbare verkoop
  • Referentie: 291342
  • Perceel grond van ca. 11,98 are. In de rustige Molenstraat te Beigem, Grimbergen, gelegen in agrarisch gebied. Dit perceel biedt tal van mogelijkheden en is niet gelegen in een overstromingsgevoelig gebied. Ideaal voor wie ruimte, privacy en flexibiliteit zoekt, met een vlotte bereikbaarheid naar Grimbergen en omliggende steden. PV van toewijs donderdag 5 februari om 15u. P score: A
  • Lopende verkoop
  • Startdatum: 19/01/2026 15:00
  • Einddatum: 27/01/2026 15:00
  • Geen bod: 1000 €
  • Vrij vanaf: Bij de akte
  • AKT.NOTARISSEN
  • Contactpersoon: Kantoor AKT.NOTARISSEN
  • Tel: (02) 720.01.77
  • Email: cevc@aktnotarissen.be
  • Bezoekgegevens
  • vrij te bezichtigen.

Gronden

Tiletumstraat, 8755 Wingene

Doe een bod van
335.203 €

Presentatiebeeld van het pand n° 290789
Uit de hand
  • Referentie: 290789
  • Een mooi blok landbouwgrond Perceel 307 (bovenste) heeft een perceelscore D, doch dit betreft slechts een heel klein deeltje, de overige percelen hebben perceelscore A. P score: A
  • Kadastraal inkomen: 164 €
  • Vrij op: 30/09/2026
  • Notariskantoor Verhaeghe, Baert & Vertriest
  • Contactpersoon: Kimberly DESPLENTER
  • Tel: (051) 68.85.20
  • Email: kimberly.desplenter.352991@belnot.be

Gronden

Stocquoy, 7830 Hellebecq

Doe een bod van
110.000 €

Presentatiebeeld van het pand n° 291346
Online openbare verkoop
  • Referentie: 291346
  • Terrain à bâtir à front de rue du Stocquoy à Hellebecq - sup. 16a 69ca - façade 19,63 m - prof +-66m (en liseré jaune sur le plan annexé) - Lien Biddit https://www.biddit.be/fr/catalog/detail/291346
  • Lopende verkoop
  • Startdatum: 17/02/2026 11:00
  • Einddatum: 25/02/2026 11:00
  • Geen bod: 1000 €
  • Kadastraal inkomen: 62 €
  • Vrij vanaf: Onmiddellijk
  • Laurent BARNICH & Quentin DUCARME, notaires associés
  • Contactpersoon: Isabelle DACHY
  • Tel: (068) 28.21.76
  • Email: isabelle.dachy.131177@belnot.be
  • Bezoekgegevens
  • Visites: sur place - Renseignements : étude des notaires associés Laurent BARNICH et Quentin DUCARME à Ath 068/28.21.76

Gronden

12+ Warempage, 6983 Ortho

Doe een bod van
60.000 €

Presentatiebeeld van het pand n° 291332
Online openbare verkoop
  • Referentie: 291332
  • Il est mis en vente à Warempage un ensemble immobilier rural d’une superficie totale de 67 ares 74 centiares, composé de plusieurs parcelles contiguës formant un ensemble foncier cohérent, ainsi que de bâtiments agricoles existants, comprenant notamment une grange, des étables et un hangar. Le bien est situé dans un environnement rural de qualité, apprécié pour son calme, son cadre verdoyant et son implantation au sein du village de Warempage. L’ensemble est actuellement donné à bail à ferme, lequel est en vigueur jusqu’au 30 avril 2027 au plus tard. L’adjudication est réalisée sous la condition suspensive du non-exercice du droit de préemption du preneur, conformément à la législation wallonne relative au bail à ferme. L’acquéreur sera, le cas échéant, subrogé dans les droits et obligations du bailleur, conformément aux dispositions légales applicables. Par sa surface, sa configuration foncière et la présence de bâtiments déjà implantés, ce bien constitue une opportunité foncière intéressante pour un acquéreur à la recherche d’un ensemble rural de belle envergure.
  • Lopende verkoop
  • Startdatum: 09/02/2026 12:00
  • Einddatum: 17/02/2026 12:00
  • Geen bod: 1000 €
  • Vrij vanaf: Te bepalen
  • François Catinus, Société Notariale
  • Contactpersoon: Adeline BERBÉ
  • Tel: (061) 39.56.06
  • Email: adeline.berbe.460019@belnot.be

Huizen

21 Weg naar Geneuth, 3630 Mechelen-aan-de-Maas

Doe een bod van
99.000 €

Presentatiebeeld van het pand n° 291316
Online openbare verkoop
  • Referentie: 291316
  • Op te frissen woning met tuin, groot 6a 72ca, vlakbij de N78 en de E314. P- & G-score A. Vg 24/12/1948, bufferzone. Kadastraal gekend onder 1° afdeling sectie A als nummer 0530MP0000. Alle voorzieningen zoals openbaar vervoer (bushalte), slager, bakker, kapper, apotheek, dokter, kinesist, warenhuizen, restaurants, scholen... zijn vlot te bereiken. Ook toeristische trekpleisters, zoals Maasmechelen Village, bevinden zich op enkele kilometers. G score: A P score: A
  • Aantal kamers: 2
  • Oppervlakte van het woongedeelte: 93m2
  • Aantal badkamers: 1
  • Lopende verkoop
  • Startdatum: 20/01/2026 11:00
  • Einddatum: 28/01/2026 11:00
  • Geen bod: 1000 €
  • Kadastraal inkomen: 337 €
  • Vrij vanaf: Andere
  • SMEETS & VERDONCK, GEASSOCIEERDE NOTARISSEN
  • Contactpersoon: Kantoor Not. Smeets & Verdonck
  • Tel: (089) 76.43.61
  • Email: info@smeetsverdonck.be
  • Bezoekgegevens
  • Na telefonisch contact met het notariskantoor

Appartementen

2 Kerkstraat, 2060 Antwerpen

Doe een bod van
150.000 €

Presentatiebeeld van het pand n° 291335
Online openbare verkoop
  • Referentie: 291335
  • Appartement op de 6e verdieping, centraal gelegen, op wandelafstand van Antwerpen-Centraal. Niet verhuurd. Gelegen in RUP 2060, best.: zone voor centrumfuncties en zone voor publiek domein, vergunning uitgereikt. Energiezuinig: EPC C (253 kWh/m²/jr), geen renovatieplicht en asbestveilig (niet asbestvrij). Elektr. niet conform. Niet in risicozone van overstromingen (P-score D, G-score D). Geen VKR, geen dagvaarding of herstelvordering, geen bestuurlijke maatregel en geen verkavelingsvergunning. G score: D P score: D
  • Aantal kamers: 2
  • Oppervlakte van het woongedeelte: 85m2
  • Aantal badkamers: 1
  • Lopende verkoop
  • Startdatum: 19/01/2026 14:00
  • Einddatum: 27/01/2026 14:00
  • Geen bod: 1000 €
  • Kadastraal inkomen: 1026 €
  • Vrij vanaf: Bij de akte
  • Notaris ISABEL CLAESSENS
  • Contactpersoon: Céline MICHIELSENS
  • Tel: (03) 303.44.40
  • Email: celine@notarisclaessens.be
  • Bezoekgegevens
  • op woensdag 7/1, 14/1, 21/1 van 15u-17u en zaterdag 10/1, 17/1, 24/1 van 14u-16u.

Appartementen

10 Haagbeukenlaan, 1200 Sint-Lambrechts-Woluwe

Doe een bod van
95.000 €

Presentatiebeeld van het pand n° 289799
Online openbare verkoop
  • Referentie: 289799
  • Appartement nr 51 type flat op de 13e verd. Zeer zonnige studio met veel lichtinval en mooi uitzicht over heel Brussel in een goed onderhouden gebouw omringd door groen, ideaal gelegen dicht bij winkels, openbaar vervoer en crèches/scholen. Haagbeukenlaan 10, in een compl. « Park Robert Schuman - Paviljoen XV », langs de kant van het park. Omv. : hal, keuken met terras , living met terras, badk. met wc, kelder nr 51. N.g.k.i. 768€. Vrij van gebruik bij de akte. Woongeb. met résidentieel karakter. EPC: D/172. Contr. elektr. niet conform. Bez. (zonder afspraak): woensdagen 21/1, 28/1 en 4/2/2026 van 16-18u en zaterdagen 17/1, 24/1 en 31/1/2026 van 13-15u. Begin biedingen : donderdag 29.01.26 om 12u - Einde biedingen : vrijdag 06.02.26 om 12u - Instelprijs : 95.000€ - Bodverhoging : 1.000€ - Ondertekening akte: maandag 09.02.26 om 14u - www.biddit.be - Ref. pand : 289799.
  • Aantal badkamers: 1
  • Lopende verkoop
  • Startdatum: 29/01/2026 12:00
  • Einddatum: 06/02/2026 12:00
  • Geen bod: 1000 €
  • Kadastraal inkomen: 768 €
  • Vrij vanaf: Bij de akte
  • Guy DESCAMPS, société notariale
  • Contactpersoon: Elisabeth RUBBERS
  • Tel: (02) 537.37.01
  • Email: elisabeth.rubbers@thibaut-descamps.be
  • Bezoekgegevens
  • (zonder afspraak): woensdagen 21/1, 28/1 en 4/2/2026 van 16-18u en zaterdagen 17/1, 24/1 en 31/1/2026 van 13-15u.

Appartementen

510 Boomsesteenweg, 2020 Antwerpen

Doe een bod van
130.000 €

Presentatiebeeld van het pand n° 291337
Online openbare verkoop
  • Referentie: 291337
  • Op de 2e verdieping. Omvat: inkomdeur, living, keuken, badkamer en slaapkamer, met kelder in de kelderverdieping. Gvg (verm. van verg.), Wg,Gmo, Gvkr, Gvv. KI €423,00. P-en G-score: "C". Asbestveilig, Conform elektrische installatie, EPC label "D" (geen renovatieplicht), blanco bodemattest. Stookolietank aanwezig. Maandelijkse provisie : €157,00. Zie verkoopsvoorwaarden. G score: C P score: C
  • Aantal kamers: 1
  • Aantal badkamers: 1
  • Lopende verkoop
  • Startdatum: 26/01/2026 15:00
  • Einddatum: 03/02/2026 15:00
  • Geen bod: 1000 €
  • Kadastraal inkomen: 423 €
  • Vrij vanaf: Bij de akte
  • NOTARIAAT BART VAN TULDEN
  • Contactpersoon: Kantoor Not. Bart Van Tulden
  • Tel: (03) 235.53.50
  • Email: info@notariaatkerkstraat74.be
  • Bezoekgegevens
  • elke vrijdag van 16u-18u en zaterdag van 10u-12u vanaf 16/1 tem 31/1.

Handelspanden

6 Rue du Géant, 1400 Nivelles

Doe een bod van
90.000 €

Presentatiebeeld van het pand n° 285801
Online openbare verkoop
  • Referentie: 285801
  • In een gebouw « Residentie Le Guerseli », rue du Géant 6 : A. Het lokaal dienstig als winkel « R6 » Gelegen op het gelijkvloers, uitgevend aan de voor- en achterkant van het gebouw. B. Het reservelokaal « R6 » op de 1e verdieping N.g.k.i. 2.196€. Vrij van gebruik. Woongebied. Bezoekdagen (vanaf zaterdag 3/1 tot en met maandag 26/1/26) : zaterdag 3, 10, 17 en 24/1/26 van 12-14u, woensdag 7, 14 en 21/1/26 van 12-14u en maandag 26/1/26 van 12-14u. Begin biedingen : maandag 19.01.26 om 13u - Einde biedingen : dinsdag 27.01.26 om 13u - Instelprijs : 90.000€ - Bodverhoging : 1.000€ - Ondertekening akte : donderdag 29.01.26 om 14u - www.biddit.be - Ref. pand : 285801.
  • Lopende verkoop
  • Startdatum: 19/01/2026 13:00
  • Einddatum: 27/01/2026 13:00
  • Geen bod: 1000 €
  • Kadastraal inkomen: 2196 €
  • Vrij vanaf: Bij de akte
  • Justine DE SMEDT & Justine VAN LERBERGE, notaires associés
  • Contactpersoon: Alexandre PINON
  • Tel: (02) 770.60.34
  • Email: Alexandre.PINON@notwoluwe.be
  • Bezoekgegevens
  • (vanaf zaterdag 3/1 tot en met maandag 26/1/26) : zaterdag 3, 10, 17 en 24/1/26 van 12-14u, woensdag 7, 14 en 21/1/26 van 12-14u en maandag 26/1/26 van 12-14u.

Huizen

86 Rue du Canal, 4684 Haccourt

Doe een bod van
165.000 €

Presentatiebeeld van het pand n° 291340
Online openbare verkoop
  • Referentie: 291340
  • Belle maison récemment rénovée située dans un quartier calme de Haccourt, proche du canal et des commodités. Elle offre un vaste séjour ouvert avec cuisine équipée(hotte, plaques, four, micro-ondes, frigo)-salon-salle à manger, buanderie, WC séparé, salle de bains avec wc, ainsi que 4 chambres dont une suite parentale avec dressing salle de douche et wc, un bureau, et deux caves. Chauffage au gaz à condensation, toiture & châssis récents, chauffage au sol, finitions à achever dans quelques pièces. Parking en façade Atouts : rénovation récente – suite parentale – 4 chambres + bureau – quartier calme.
  • Aantal kamers: 4
  • Oppervlakte van het woongedeelte: 252m2
  • Aantal badkamers: 1
  • Lopende verkoop
  • Startdatum: 19/01/2026 14:00
  • Einddatum: 27/01/2026 14:00
  • Geen bod: 1000 €
  • Kadastraal inkomen: 455 €
  • Vrij vanaf: Andere
  • Nathalie BOZET, société notariale
  • Contactpersoon: Damien PERREZ
  • Tel: (04) 264.02.42
  • Email: damien.perrez.128686@belnot.be
  • Bezoekgegevens
  • Visites sur rendez-vous avec un fondé de pouvoirs de l’étude au 0494/06.92.28, du lundi au samedi entre 9 heures et 19 heures, à partir du 30 décembre 2025 jusqu’au 27 janvier 2026 inclus

Huizen

362 Engelandstraat, 1180 Ukkel

Doe een bod van
500.000 €

Presentatiebeeld van het pand n° 291331
Online openbare verkoop
  • Referentie: 291331
  • ROUWKOOP Ukkel Woonhuis met tuin Gelegen Engelandstraat 362 voor een oppervlakte van 6a 70ca. Omvattende garage, kelders, inkomhal, eetkamer, living, keuken, 2 wc’s, 7 slaapkamers, 2 badkamers, doucheruimte. N.g.k.. 1.939€. Vrij van gebruik. Woongebied met residentieel karakter. EPC F/316. Contr. elektr. niet conform. Rouwkoper: M. Kamba Balapukayi (vandaag overleden) en zijn echtgenote Mevr. Karekezi Marie-Madeleine, gedomicilieerd te 1150 St-Pieters-Woluwe, Brand Whitlocklaan 5 . Bedrag van de toewijzing : 607.000€. Bezoeken : dinsdagen 6/1 en 13/1/26 van 10-12u, donderdagen 8/1 en 15/1/26 van 10-12u en zaterdagen 10/1 en 17/1/26 van 10-12u. Begin biedingen : donderdag 12.02.26 om 14u – Einde biedingen : vrijdag 20.02.26 om 14u - Instelprijs : 500.000€ - Bodverhoging : 1.000€ - Ondertekening akte : vrijdag 27.02.26 om 11u30 - www.biddit.be - Ref. pand : 291331
  • Aantal kamers: 7
  • Aantal badkamers: 2
  • Lopende verkoop
  • Startdatum: 12/02/2026 14:00
  • Einddatum: 20/02/2026 14:00
  • Geen bod: 1000 €
  • Kadastraal inkomen: 1939 €
  • Vrij vanaf: Bij de akte
  • David Indekeu, Notaire
  • Contactpersoon: Martin STANTCHEV
  • Tel: (02) 219.11.14
  • Email: martin.stantchev.125484@belnot.be
  • Bezoekgegevens
  • dinsdagen 6/1 en 13/1/26 van 10-12u, donderdagen 8/1 en 15/1/26 van 10-12u en zaterdagen 10/1 en 17/1/26 van 10-12u.

Huizen

40 Mezenlaan, 1800 Vilvoorde

Doe een bod van
690.600 €

Presentatiebeeld van het pand n° 291338
Online openbare verkoop
  • Referentie: 291338
  • Zeldzame kans in Vilvoorde! Deze woning wordt samen met meerdere aangrenzende percelen grond verkocht, goed voor een totale oppervlakte van ca. 11.200 m². Ideaal voor wie ruimte, privacy en een project met toekomstpotentieel zoekt. Waarom dit pand een opportuniteit is: - Ruime woning met 4 slaapkamers, living, keuken, veranda en garage; - Volledig onderkelderd met grote zolder; - Grote gronden van in totaal ca. 1 hectare 12 are, perfect voor tuin, dieren of projectmogelijkheden; - Renovatieproject met EPC F en niet-conforme elektriciteit; - Rustige ligging, toch vlot bereikbaar naar Vilvoorde centrum en omliggende steden. PV van toewijs donderdag 5 februari 2026 om 14u. G score: A P score: A
  • Aantal kamers: 3
  • Oppervlakte van het woongedeelte: 119m2
  • Aantal badkamers: 1
  • Lopende verkoop
  • Startdatum: 19/01/2026 15:00
  • Einddatum: 27/01/2026 15:00
  • Geen bod: 1000 €
  • Kadastraal inkomen: 1084 €
  • Vrij vanaf: Bij de akte
  • AKT.NOTARISSEN
  • Contactpersoon: Kantoor AKT.NOTARISSEN
  • Tel: (02) 720.01.77
  • Email: cevc@aktnotarissen.be
  • Bezoekgegevens
  • Op zaterdag 21/03, 28/03 en 25/04 van 10u-12u

Gronden

Kleinveldeken, 1850 Grimbergen

Doe een bod van
96.525 €

Presentatiebeeld van het pand n° 291339
Online openbare verkoop
  • Referentie: 291339
  • Totale oppervlakte ca. 1,29 ha. Gelegen aan Kleinveldeken 65/B en Beigemkauter 121/B & 126. Ideaal voor wie ruimte, privacy of een toekomstig project zoekt. PV van toewijs donderdag 5 februari 2026 om 14u30. P score: A
  • Lopende verkoop
  • Startdatum: 19/01/2026 15:00
  • Einddatum: 27/01/2026 15:00
  • Geen bod: 1000 €
  • Vrij vanaf: Bij de akte
  • AKT.NOTARISSEN
  • Contactpersoon: Kantoor AKT.NOTARISSEN
  • Tel: (02) 720.01.77
  • Email: cevc@aktnotarissen.be
  • Bezoekgegevens
  • vrij te bezichtigen.

Huizen

127 Josafatstraat, 1030 Schaarbeek

Doe een bod van
150.000 €

Presentatiebeeld van het pand n° 290747
Online openbare verkoop
  • Referentie: 290747
  • Een woon- en opbrengsthuis met 2 gevels Gelegen Josaphatstraat 127 omvattende : - een voorgebouw met 3 wooneenheden en een achtergebouw. N.g.k.i. 1.448€. Glvl. En -1 bewoond door eigenaar, 1e verd. verhuurd 620€ + 30€ lasten/maand, 2e en zolder verhuurd 1000€/maand. Woongebied, GCHEWS. EPC E+231 (-1 en glvl.), F/328 (1e verd.), G/493 (2e verd. en zolder). Contr. elektr. niet conform. Bezoeken : maandagen 5-12-19-26/1 van 14-16u en zaterdagen 10-17-24/1 van 13-15u. Begin biedingen : maandag 19.01.26 om 13u – Einde biedingen : dinsdag 27.01.26 om 13u - Instelprijs : 150.000€ - Bodverhoging : 1.000€ - Ondertekening akte : woensdag 04.02.26 om 15u - www.biddit.be - Ref. pand : 290747.
  • Aantal kamers: 6
  • Aantal badkamers: 2
  • Lopende verkoop
  • Startdatum: 19/01/2026 13:00
  • Einddatum: 27/01/2026 13:00
  • Geen bod: 1000 €
  • Kadastraal inkomen: 1448 €
  • Vrij vanaf: Andere
  • Van de Mosselaer Sabine
  • Contactpersoon: Alfred MANGAMBA KUKU
  • Tel: (02) 521.92.30
  • Email: not@notamos.be
  • Bezoekgegevens
  • maandagen 5-12-19-26/1 van 14-16u en zaterdagen 10-17-24/1 van 13-15u.

Appartementen

260 Franklin Rooseveltlaan, 1050 Brussel

Doe een bod van
305.000 €

Presentatiebeeld van het pand n° 290370
Online openbare verkoop
  • Referentie: 290370
  • In een appartementsgebouw « Residentie Les Nations », Blok A, Franklin Rooseveltlaan 260: Het appartement « 203 » op de 2e verd. Omvattende: hal, badkamer, 2 wc, 2 slaapkamers, keuken met terras, living, balkonnetjes vooraan en achteraan, kelder nr 9 in kelderverdieping. N.g.k.i. 1.636€. In gebruik door de verkoper, die het goed zal vrij maken voor ten laatste 12 april 2026. Woongebied, GCHEWS en langsheen een structurerende ruimte. EPC : C-/136. Contr. elektr. conform. Bezoekdagen: zaterdag 24/1, 31/1, 7/2 en 14/2/26 van 11u30-13u30 en woensdag 28/1, 4/2, 11 en 18/2 van 15-17u. Begin biedingen : woensdag 11.02.26 om 13u - Einde biedingen : donderdag 19.02.26 om 13u - Instelprijs : 305.000€ - Bodverhoging : 1.000€ - Ondertekening akte : woensdag 25.02.26 om 14u - www.biddit.be - Ref. pand : 290370.
  • Aantal kamers: 2
  • Aantal badkamers: 1
  • Lopende verkoop
  • Startdatum: 11/02/2026 13:00
  • Einddatum: 19/02/2026 13:00
  • Geen bod: 1000 €
  • Kadastraal inkomen: 1636 €
  • Vrij op: 12/04/2026
  • Jean VAN den WOUWER, Notaire
  • Contactpersoon: Yves VAN STEENBERGHE
  • Tel: (02) 512.45.19
  • Email: yvs@notvdw.be
  • Bezoekgegevens
  • zaterdag 24/1, 31/1, 7/2 en 14/2/26 van 11u30-13u30 en woensdag 28/1, 4/2, 11 en 18/2 van 15-17u.