Presentatiebeeld van het pand n° 288202

In verband met dit goed

Referentie: 288202


3 percelen bouwgrond voor vrijstaande bebouwing in een rustige landelijke omgeving doch op slechts enkele minuten van het centrum van Vorselaar met alle nodige faciliteiten. Perceelscore A (niet overstromingsgevoelig). De stedenbouwkundige voorschriften zijn deze van het RUP Kern 'randwijken' en kan u downloaden op de website van de gemeente Vorselaar.
De aangrenzende wei en perceel bos zijn eveneens te koop. Op kadastraal plan nummers 169A en 176.
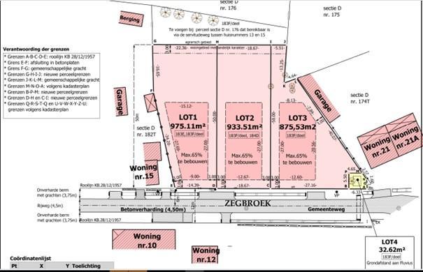
Lot 1: opp. 975,11 m². Vraagprijs: € 255.000,00
Lot 2: opp. 933,51 m². Vraagprijs: € 245.000,00
Lot 3: opp. 875,53 m². Vraagprijs: € 230.000,00 P score: A

Algemene informatie

  • Vrij vanafBij de akte
  • PandtypeGronden

Bijkomende informatie

  • Type van constructieHuis

Gebouw en tuin gegevens

  • Oppervlakte kadaster876m2

Faciliteit gegevens

  • Nabijgelegen bus
  • Nabijgelegen winkels
  • Scholen

Energiegegevens

  • Water
  • Electriciteit

Financiële gegevens

  • Kadastraal inkomen te bepalen

Stedelijke informatie

  • Verkavelingsvergunning
  • De meest recente stedelijke bestemming van het pand met de benamingen gebruikt in het register met plannenwoongebied met landelijk karakter
  • overstromingsgebiedNiet gelegen in een overstromingsgevoelig gebied

Naam van de voorkooprechthebbende overheid (bij prioriteit)

  • Het onroerend goed is beschermd of opgenomen in een vastgestelde inventarisNeen

Uit de hand te koop

Gewenste prijs

230.000 €

Verkocht door de notaris NOTADUX

Heeft u een vraag over dit pand of wenst u een bezoek in te plannen? Neem contact op met de notaris van de verkoper.