Presentatiebeeld van het pand n° 292811

In verband met dit goed

Referentie: 292811


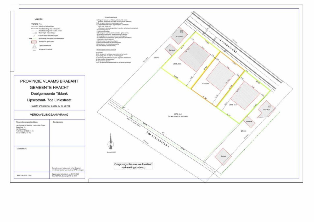
Ontdek lot 2, het middelste van 3 percelen, van deze nieuwe verkaveling in de Lipsestraat te Tildonk: een prachtig perceel bouwgrond van 6a 61ca. De ideale plek om uw woondroom waar te maken, op een toplocatie tussen Haacht en Leuven.

Het perceel is bestemd voor open bebouwing en biedt ruime bouwmogelijkheden.
U kan er namelijk een woning realiseren met maximaal twee bouwlagen, waarbij op het gelijkvloers tot 15 meter diep mag worden gebouwd en op de verdieping tot 12 meter. De maximale bouwbreedte bedraagt 13 meter en biedt zo tal van mogelijkheden voor een royale en lichtrijke woning.
Architecturaal kan u alle richtingen uit want zowel een plat dak als een hellend dak (tussen 0° en 45°) is toegestaan. Zo kan u de woning volledig naar eigen smaak vormgeven.
Een carport is toegestaan en kan geplaatst worden op minimaal 1 meter van de perceelgrens, of op de perceelgrens indien gekoppeld aan een gelijkaardige constructie bij de buur.

Een absolute troef is de zuidwest georiënteerde tuin, waar u optimaal geniet van zon in de namiddag en avond. Perfect voor lange zomeravonden met familie en vrienden.

De ligging tussen Haacht en Leuven combineert rust, groen en vlotte verbindingen naar scholen, winkels en belangrijke invalswegen.
Een uitstekende bouwgrond dus voor wie op zoek is naar ruimte, flexibiliteit en een sterke ligging in een aangename omgeving.

Alle relevante documenten en vergunningen zijn beschikbaar op ons kantoor of kunnen geraadpleegd worden via onze website. P score: A

Algemene informatie

  • Vrij vanafBij de akte
  • PandtypeGronden

Bijkomende informatie

  • Oriëntatie van het goedZW
  • Type van constructieHuis

Gebouw en tuin gegevens

  • Vlakke grond
  • Oppervlakte kadaster661m2
  • Diepte van het stuk grond33m
  • Breedte van de grond aan de straatkant21m

Financiële gegevens

  • Kadastraal inkomen te bepalen

Stedelijke informatie

  • Verkavelingsvergunning
  • De meest recente stedelijke bestemming van het pand met de benamingen gebruikt in het register met plannenWoonzone
  • overstromingsgebiedNiet gelegen in een overstromingsgevoelig gebied

Naam van de voorkooprechthebbende overheid (bij prioriteit)

  • Het onroerend goed is beschermd of opgenomen in een vastgestelde inventarisNeen

Uit de hand te koop

Gewenste prijs

225.000 €

Verkocht door de notaris Verkoopbureau Notarishuis Leuven BV

Heeft u een vraag over dit pand of wenst u een bezoek in te plannen? Neem contact op met de notaris van de verkoper.