Presentatiebeeld van het pand n° 293503

In verband met dit goed

Referentie: 293503


Situés dans le village calme de Pry-lez-Walcourt, ces deux terrains bénéficient d’un environnement rural agréable, dans une rue peu fréquentée, avec vue dégagée sur la campagne.

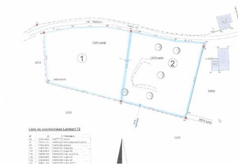
1) Terrain cadastré section B, partie du numéro 194P4P0000, pour une contenance approximative de 24 ares 82 centiares, situé en zone d'habitat à caractère rural.
2) Terrain cadastré section B, partie du numéro 194P4P0000, pour une contenance approximative de 24 ares 99 centiares, situé en zone d'habitat à caractère rural.

Les terrains ne sont pas raccordés à l’eau ni à l’électricité.

Belle superficie permettant différentes possibilités de construction (sous réserve des prescriptions urbanistiques en vigueur).
?? Situation idéale pour un projet sur mesure dans un cadre verdoyant, tout en restant à proximité des commodités du village.

Faire offre à partir de 150.000 € par terrain

Algemene informatie

  • Vrij vanafBij de akte
  • PandtypeGronden

Gebouw en tuin gegevens

  • Street-front land
  • Oppervlakte kadaster2499m2

Faciliteit gegevens

  • Nabijgelegen bus
  • Nabijgelegen trein/station
  • Nabijgelegen winkels
  • Scholen

Energiegegevens

  • Elektrische aansluiting mogelijk

Financiële gegevens

  • Kadastraal inkomen te bepalen

Stedelijke informatie

  • Meest recente stedenbouwkundige bestemmingWoongebied met landelijk karakter

Naam van de voorkooprechthebbende overheid (bij prioriteit)

  • Ingeschreven op de bewaar- of beschermingslijst erfgoedNeen

Uit de hand te koop

Bieden vanaf

150.000 €

Verkocht door de notaris Vincent BAELDEN, Notaire

Heeft u een vraag over dit pand of wenst u een bezoek in te plannen? Neem contact op met de notaris van de verkoper.