Presentatiebeeld van het pand n° 288150

In verband met dit goed

Referentie: 288150


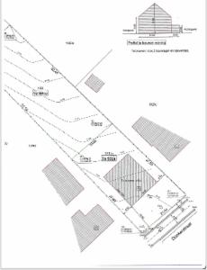
Ontdek deze unieke kans: twee aaneengelegen percelen grond van samen 17a66ca, uitstekend gelegen met een vlotte verbinding naar de E40 én het centrum van Ternat. De perfecte combinatie van ruimte, rust en bereikbaarheid – ideaal voor wie droomt van een eigentijdse woning met een grote tuin.

Het perceel is 21,44m breed en de voorschriften laten een open bebouwing toe met een gevelbreedte van 12,95m en maximaal twee bouwlagen. Daarbij kan u kiezen voor een plat dak (kroonlijsthoogte van 6,5m) of een hellend dak (kroonlijsthoogte van 6m). Op het gelijkvloers mag tot 15m diep gebouwd worden en op de verdieping tot 12m. De voorziene afstand van 4m tot de perceelgrenzen zorgt voor voldoende licht en ruimte rondom de woning.
Alle verhardingen dienen uitgevoerd te worden in waterdoorlatende materialen of met brede voegen, helemaal in de lijn met duurzame voorschriften.
Het achterste deel (tuinzone) is een ideale plek om tot rust te komen, een speelruimte te creëren of een siervijver of zwembad te plaatsen. Hier geniet u van groen en privacy, zonder in te boeten aan comfort.

Voor meer informatie en voorwaarden raden wij steeds aan contact op te nemen met de stedenbouwkundige dienst van de gemeente. Het stedenbouwkundig attest is beschikbaar via Notarishuis Leuven en te raadplegen via onze website.

Deze gronden combineren dus ruimte en een topligging. Met deze oppervlakte, bouwmogelijkheden en goede bereikbaarheid is dit dé uitgelezen kans om de woning van uw dromen te realiseren. P score: A

Algemene informatie

  • Vrij vanafBij de akte
  • PandtypeGronden

Gebouw en tuin gegevens

  • Vlakke grond
  • Oppervlakte kadaster1766m2
  • Breedte van de grond aan de straatkant21m

Financiële gegevens

  • Kadastraal inkomen te bepalen

Stedelijke informatie

  • De meest recente stedelijke bestemming van het pand met de benamingen gebruikt in het register met plannenWoongebieden en agrarische gebieden
  • overstromingsgebiedNiet gelegen in een overstromingsgevoelig gebied

Naam van de voorkooprechthebbende overheid (bij prioriteit)

  • Het onroerend goed is beschermd of opgenomen in een vastgestelde inventarisNeen

Uit de hand te koop

Gewenste prijs

370.000 €

Verkocht door de notaris Verkoopbureau Notarishuis Leuven BV

Heeft u een vraag over dit pand of wenst u een bezoek in te plannen? Neem contact op met de notaris van de verkoper.