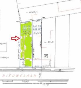
Presentatiebeeld van het pand n° 289185

In verband met dit goed

Referentie: 289185


Gunstig gelegen.
Voor halfopen bebouwing.
In het centrum van Oelegem.
Wg, Gvg, Gmo, Gvkr, Vv.
BEZOEK: vrij te bezichtigen, op eigen risico. P score: A

Algemene informatie

  • Vrij vanafBij de akte
  • PandtypeGronden

Gebouw en tuin gegevens

  • Oppervlakte kadaster299m2

Financiële gegevens

  • Kadastraal inkomen te bepalen

Stedelijke informatie

  • Verkavelingsvergunning
  • Dagvaarding uitgebracht overeenkomstig artikel 6.1.1 of 6.1.41 tot en met 6.1.43. VCRO
  • De meest recente stedelijke bestemming van het pand met de benamingen gebruikt in het register met plannenWoongebied

Documenten en bijlagen

Online verkoop

Doe een bod van

100.000 €

Verkoop informatie

Afgesloten verkoop
Logo van partner Biddit

Startdatum: 24/11/2025 14:00

Einddatum: 02/12/2025 14:00

Geen bod: 1.000 €

De fiche bekijken op Biddit.be

Verkocht door de notaris Michoel, Bremans & Hens, notarissen

Bezoekgegevens

vrij te bezichtigen, op eigen risico