De foto tonen
 
        
      
    
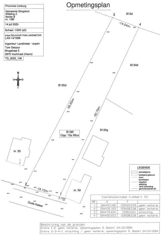
              Gelegen te Niel - bij Sint-Truiden (Gingelom) - Oude Katsei tussen huisnrs 55-59, groot 15a 06ca, deels woongebied met landelijk karakter en deels agrarisch gebied (achterste deel), wijk B n°138 F P0000. 
Vraagprijs: € 158000. 
Info notaris Christophe Nolens 011/68.52.55.  
 P score: A