Presentatiebeeld van het pand n° 292051

In verband met dit goed

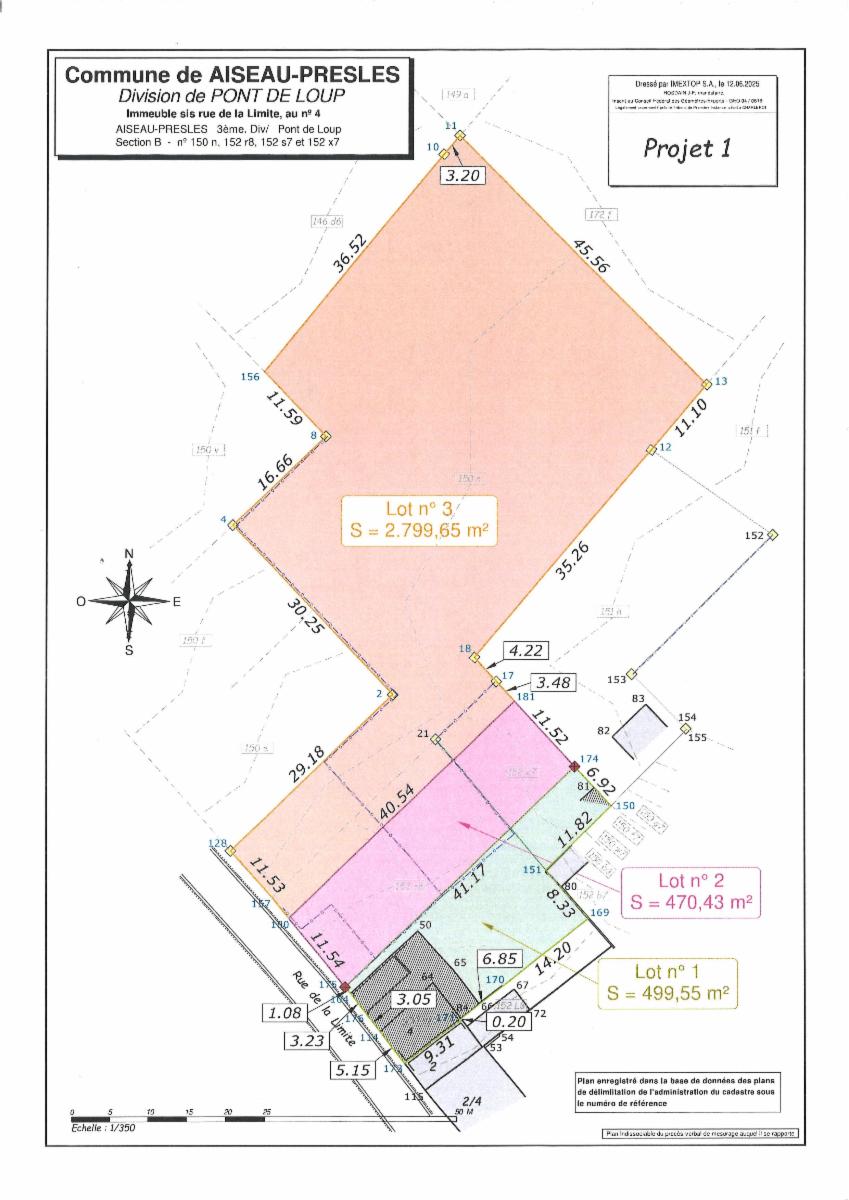
Referentie: 292051


Lot n°2 du plan d'une contenance de 470,43m². Libre d'occupation. Visites sur place.

Algemene informatie

  • Vrij vanafBij de akte
  • PandtypeGronden

Gebouw en tuin gegevens

  • Oppervlakte kadaster470m2

Faciliteit gegevens

  • Nabijgelegen bus
  • Nabijgelegen winkels
  • Scholen
  • Autoweg

Financiële gegevens

  • Kadastraal inkomen te bepalen

Stedelijke informatie

  • Verkoop onderworpen aan toelating
  • Meest recente stedenbouwkundige bestemmingWoongebied
  • Verkoop onderworpen aan machtiging (verduidelijking)autorisation du Juge de Paix pour un des vendeurs

Naam van de voorkooprechthebbende overheid (bij prioriteit)

  • Ingeschreven op de bewaar- of beschermingslijst erfgoedNeen

Uit de hand te koop

Bieden vanaf

45.000 €

Verkocht door de notaris Sophie BELLOTTO, Notaire

Heeft u een vraag over dit pand of wenst u een bezoek in te plannen? Neem contact op met de notaris van de verkoper.

Bezoekgegevens

Visites sur place