Presentatiebeeld van het pand n° 289918

In verband met dit goed

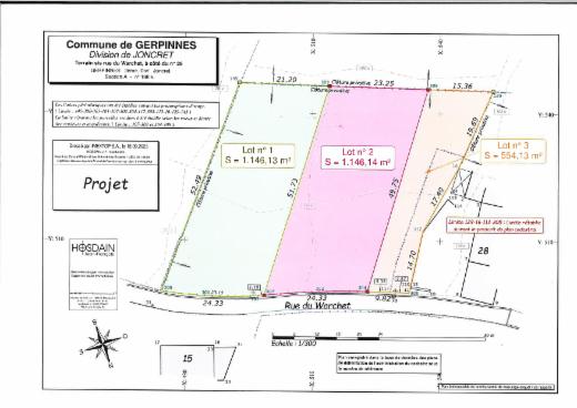
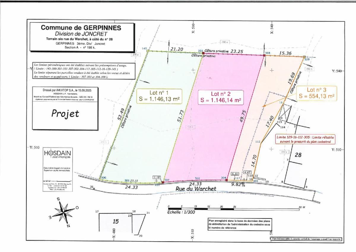
Referentie: 289918


Parcelle de terrain située en zone d'habitat dans un environnement champêtre et calme tout en étant proche du centre et des grands axes routiers.
Portant le LOT 2, d'une contenance de 1.146,13 m², précadastration en cours
Situé en zone d'habitat au plan de secteur et en zone de régime d'assainissement collectif : station d'épuration collective : égouttage précaire voir inexistant - Plan d'Assainissement par Sous bassin Hydrographique : prendre contact avec le bureau d'étude communal.
Le projet est à soumettre au service urbanistique de la Commune de Gerpinnes (071/50 90 30) - les clôtures ne font pas partie de la vente
(parcelle située à côté du numéro 28)

Algemene informatie

  • Vrij vanafBij de akte
  • PandtypeGronden

Gebouw en tuin gegevens

  • Oppervlakte kadaster1146m2

Financiële gegevens

  • Kadastraal inkomen te bepalen

Stedelijke informatie

  • Meest recente stedenbouwkundige bestemmingWoongebied

Naam van de voorkooprechthebbende overheid (bij prioriteit)

  • Ingeschreven op de bewaar- of beschermingslijst erfgoedNeen

Uit de hand te koop

Bieden vanaf

97.410 €

Verkocht door de notaris Alexis BRAHY, Notaire

Heeft u een vraag over dit pand of wenst u een bezoek in te plannen? Neem contact op met de notaris van de verkoper.

Bezoekgegevens

Renseignements en l'étude