Presentatiebeeld van het pand n° 288213

In verband met dit goed

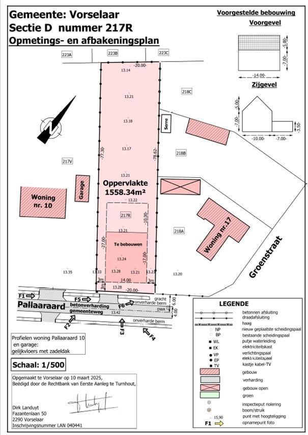
Referentie: 288213


Perceel bouwgrond voor vrijstaande bebouwing op een perceel van 1.558,34 gelegen in een landelijke omgeving.
Stedenbouwkundig attest d.d. 26/5/2025 voor het bouwen van een vrijstaande woning. Perceelscore A (niet overstromingsgevoelig).
Niet opgenomen in het maatregelenregister. P score: A

Algemene informatie

  • Vrij vanafBij de akte
  • PandtypeGronden

Bijkomende informatie

  • Type van constructieHuis

Gebouw en tuin gegevens

  • Oppervlakte kadaster1559m2

Faciliteit gegevens

  • Nabijgelegen bus
  • Nabijgelegen winkels
  • Scholen

Financiële gegevens

  • Kadastraal inkomen te bepalen

Stedelijke informatie

  • De meest recente stedelijke bestemming van het pand met de benamingen gebruikt in het register met plannenwoongebied (Randwijken)
  • overstromingsgebiedNiet gelegen in een overstromingsgevoelig gebied

Naam van de voorkooprechthebbende overheid (bij prioriteit)

  • Het onroerend goed is beschermd of opgenomen in een vastgestelde inventarisNeen

Uit de hand te koop

Gewenste prijs

305.000 €

Verkocht door de notaris NOTADUX

Heeft u een vraag over dit pand of wenst u een bezoek in te plannen? Neem contact op met de notaris van de verkoper.