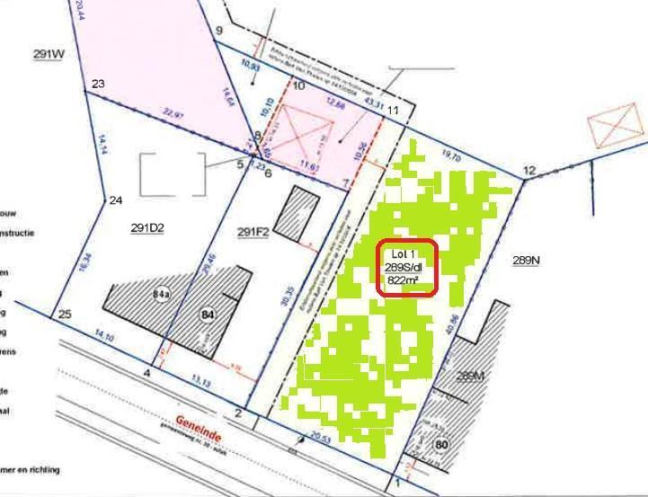
Voor open bebouwing te Westerlo, Tongerlo. Gelegen Geneinde (tussen huisnr. 84 en 80). Met een oppervlakte van 822m² en een breedte a/d straat van 20,53 meter. P score: B
Algemene informatie
Vrij vanafBij de akte
PandtypeGronden
Gebouw en tuin gegevens
Oppervlakte kadaster822m2
Financiële gegevens
Kadastraal inkomen te bepalen
Stedelijke informatie
Verkavelingsvergunning
De meest recente stedelijke bestemming van het pand met de benamingen gebruikt in het register met plannenwoongebied met landelijk karakter