Presentatiebeeld van het pand n° 290844

In verband met dit goed

Referentie: 290844


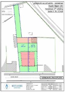
De woning is gelegen aan de Oude Baan 8 te Wuustwezel en biedt de mogelijkheid tot het realiseren van twee halfopen bebouwingen (2 HOB). De totale oppervlakte van het perceel is 985 m².
De verkaveling is voorzien van twee loten (lot 1 – 620 m²) – lot 2 (374 m²) met telkens een perceelbreedte van 10 meter en een perceeldiepte van 37,93 meter. Op lot 2 is een recente garage gebouwd en mag behouden blijven. G score: B P score: D

Algemene informatie

  • Vrij vanafBij de akte
  • PandtypeHuizen
  • Oppervlakte van het woongedeelte193m2
  • Kadastraal inkomen985 €

Samenstelling

  • 2 slaapkamers

Energiegegevens

  • Energiescore (kengetal) van het EPC648 kWh/m2 De wettelijke verplichting tot renovatie is mogelijks van toepassing op dit goed.
  • Unieke code van het EPC-certificaat20251203-0003748904-RES-1

Stedelijke informatie

  • De meest recente stedelijke bestemming van het pand met de benamingen gebruikt in het register met plannenwoongebieden met landelijk karakter
  • overstromingsgebiedGedeeltelijk gelegen in een mogelijk overstromingsgevoelig gebied

Naam van de voorkooprechthebbende overheid (bij prioriteit)

  • Het onroerend goed is beschermd of opgenomen in een vastgestelde inventarisNeen

Uit de hand te koop

Gewenste prijs

380.000 €

Verkocht door de notaris AGORA NOTARISSEN

Heeft u een vraag over dit pand of wenst u een bezoek in te plannen? Neem contact op met de notaris van de verkoper.