Presentatiebeeld van het pand n° 295906

In verband met dit goed

Referentie: 295906


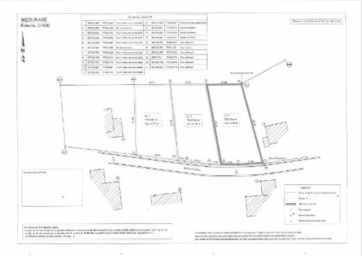
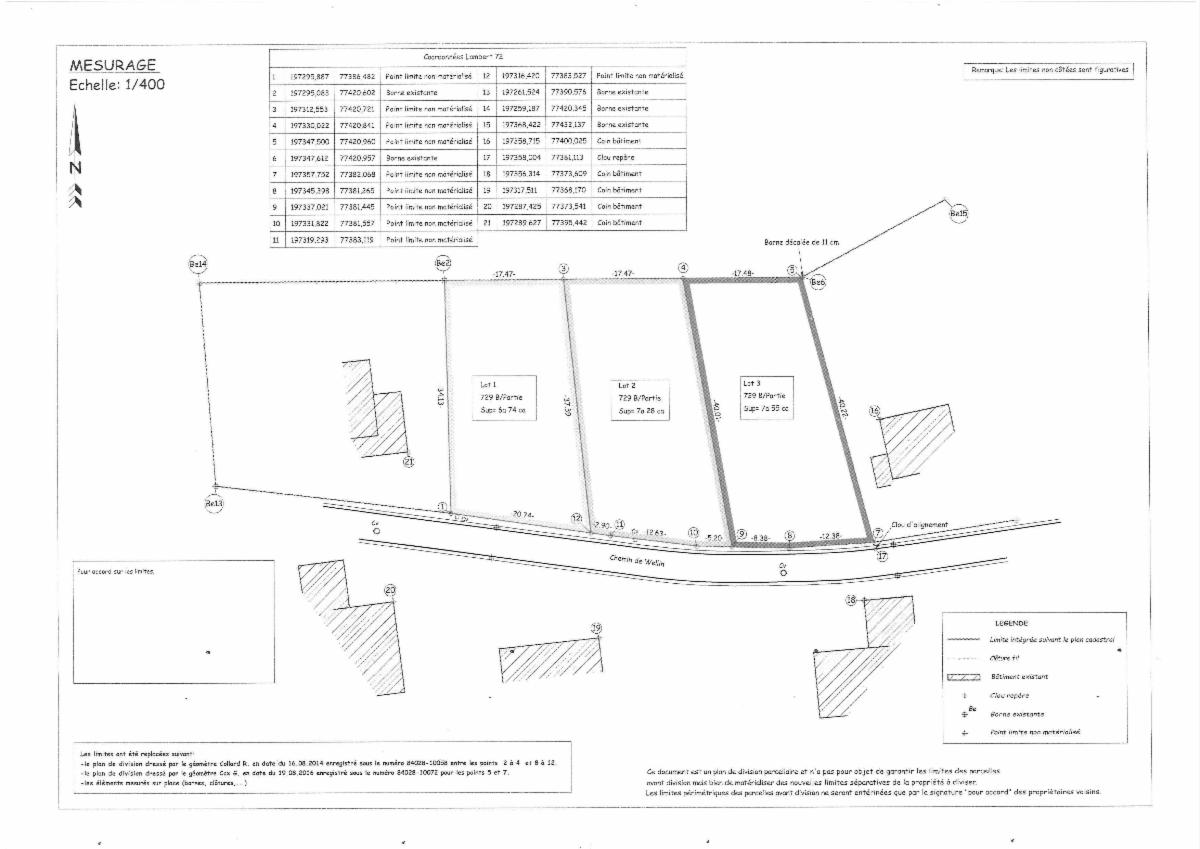
Terrain en zone d'habitat à caractère rural d'environ 20 mètres de façade et d'une superficie de 755 m² dans une rue peu fréquentée du village.
Lot 3 sur le plan de géomètre.

Algemene informatie

  • Vrij vanafBij de akte
  • PandtypeGronden

Gebouw en tuin gegevens

  • Oppervlakte kadaster755m2

Financiële gegevens

  • Kadastraal inkomen te bepalen

Uit de hand te koop

Bieden vanaf

55.000 €

Verkocht door de notaris ArdenNot

Heeft u een vraag over dit pand of wenst u een bezoek in te plannen? Neem contact op met de notaris van de verkoper.