Presentatiebeeld van het pand n° 292054

In verband met dit goed

Referentie: 292054


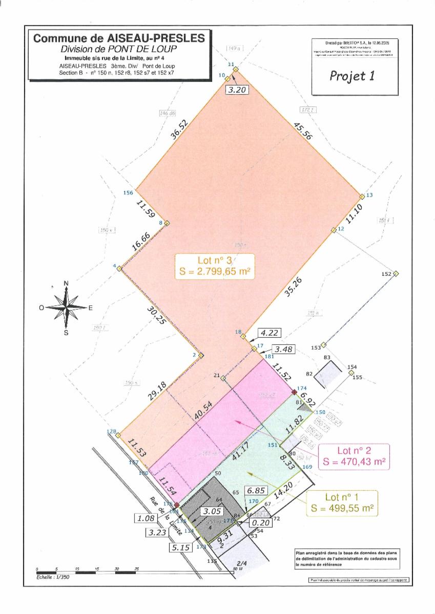
Lot n°3 du plan d'une contenance de 2799,65m². Terrain en zone d'habitat sur +/-50mau plan de secteur et pour le reste en zone d'activité économique industrielle. Libre d'occupation. Visites sur place.

Algemene informatie

  • Vrij vanafBij de akte
  • PandtypeGronden

Gebouw en tuin gegevens

  • Oppervlakte kadaster2800m2

Faciliteit gegevens

  • Nabijgelegen bus
  • Nabijgelegen winkels
  • Scholen
  • Autoweg

Financiële gegevens

  • Kadastraal inkomen te bepalen

Stedelijke informatie

  • Meest recente stedenbouwkundige bestemmingWoongebied

Naam van de voorkooprechthebbende overheid (bij prioriteit)

  • Ingeschreven op de bewaar- of beschermingslijst erfgoedNeen

Uit de hand te koop

Bieden vanaf

52.500 €

Verkocht door de notaris Sophie BELLOTTO, Notaire

Heeft u een vraag over dit pand of wenst u een bezoek in te plannen? Neem contact op met de notaris van de verkoper.

Bezoekgegevens

Visites sur place